-
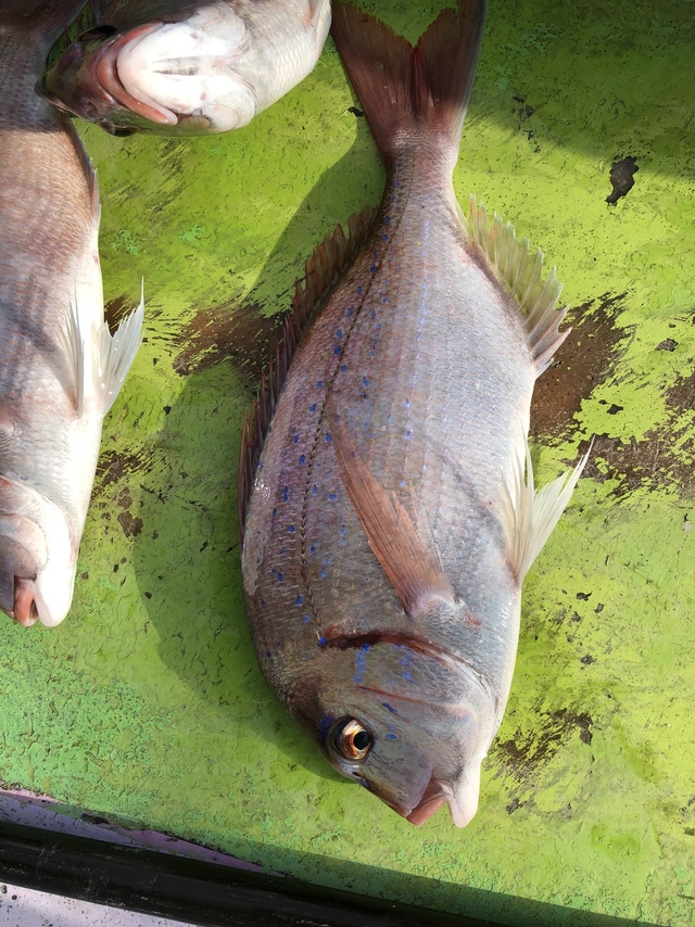
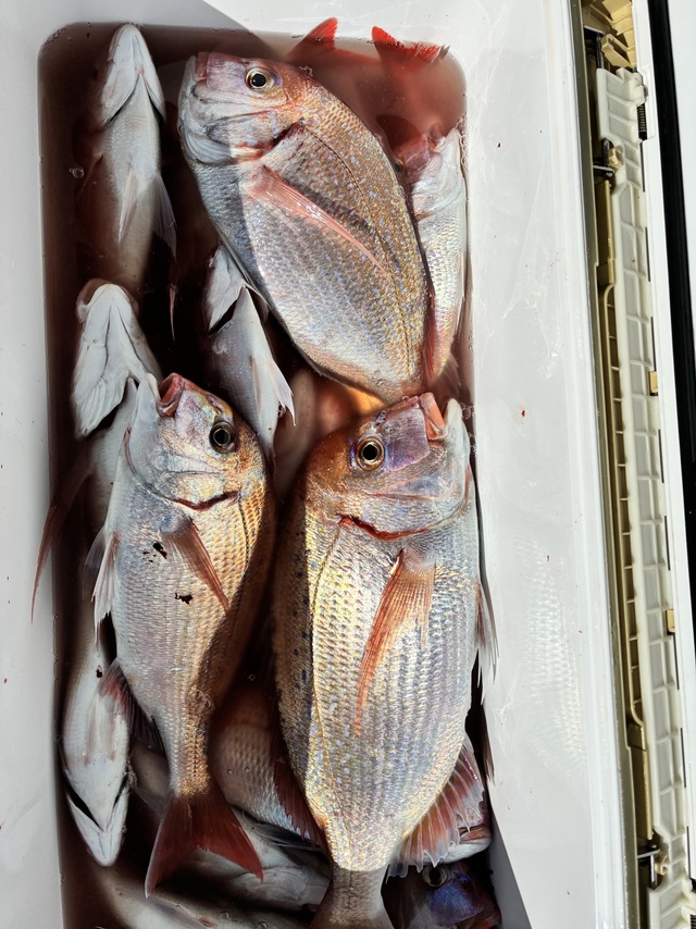
隆正丸
千葉県 旭市 飯岡漁港2日前釣行日:2025年11月12日(水)小潮ハナダイ
(チダイ)25~40cm 10~40匹 イサキ イナダ 釣行当日の潮汐
200 0 -40 0:00 6:00 12:00 18:00 24:00釣行当日の気象
-
日の出
06:09
日の入
16:32
-
月の出
23:16
月の入
12:30
-
天気
晴れ後時々曇り
-
気温
16℃/10℃
-
気圧
1025.0hPa
-
風
北北東
4.0m/s -
波
南南東
0.9m/s -
水温
19.2℃
-
潮
小潮
-
月齢
21.6
-
BI
8.8
釣行当日の気象情報を表示 釣行当日の気象情報を隠す -
新栄丸
千葉県 鴨川市 江見漁港2日前釣行日:2025年11月12日(水)小潮ハナダイ
(チダイ)クロムツ アジ スミヤキ サバ マダイ マハタ イシダイ ワラサ イサキ キントキ カイワリ ホウボウ メジナ キダイ ウマヅラ 朝から好調(^^)v 黒ムツから狙い、良型中心にポツポツポツ釣れました。ビギナーさんも満足釣果です(#^.^#)余裕で美味しいお魚狙って、こちらもしっかり釣れました。他アジ・スミヤキ・さば今日も前半でクーラーは賑やか!! 後半はマダイ釣りから入って最後は沖五目まで・・・。マダイ・マハタ・石鯛・ワラサ・イサキ・キントキ・カイワリ・ホウボウ・メジナ・キダイ・ハナダイ・ウマヅラハギ等今日も魚種多彩です美味しく食べてあげてください。明日も黒ムツ五目で出船致します。まだ3名ですのでご予約お待ちしております。今週末土・日はガラガラですのでお電話お待ちしております。
釣行当日の潮汐
200 0 -40 0:00 6:00 12:00 18:00 24:00釣行当日の気象
-
日の出
06:11
日の入
16:36
-
月の出
23:20
月の入
12:32
-
天気
晴れ後時々曇り
-
気温
16℃/10℃
-
気圧
1024.6hPa
-
風
北東
3.4m/s -
波
南
0.9m/s -
水温
19.8℃
-
潮
小潮
-
月齢
21.6
-
BI
8.8
釣行当日の気象情報を表示 釣行当日の気象情報を隠す -
豊国丸
千葉県 富津市 竹岡港2日前釣行日:2025年11月12日(水)小潮ハナダイ
(チダイ)合計2匹 マダイ 最大1.20kg 合計16匹 イナダ オニカサゴ ホウボウ 本日、朝のうち北東強めでした。 シャクリマダイ二度目の挑戦の方へ 型物ヒットも切られる。 お土産確保はできました!
釣行当日の潮汐
200 0 -40 0:00 6:00 12:00 18:00 24:00釣行当日の気象
-
日の出
06:12
日の入
16:37
-
月の出
23:21
月の入
12:33
-
天気
晴れ後時々曇り
-
気温
16℃/10℃
-
気圧
1024.9hPa
-
風
北北東
3.6m/s -
波
南南西
0.2m/s -
水温
19.8℃
-
潮
小潮
-
月齢
21.6
-
BI
8.8
釣行当日の気象情報を表示 釣行当日の気象情報を隠す -
第二新亀丸
千葉県 山武市 新片貝港2日前釣行日:2025年11月12日(水)小潮ハナダイ
(チダイ)25~40cm 3~17匹 潮濁り水温下り食い渋り後半大型花鯛混じってポツリ釣れ
釣行当日の潮汐
200 0 -40 0:00 6:00 12:00 18:00 24:00釣行当日の気象
-
日の出
06:09
日の入
16:33
-
月の出
23:17
月の入
12:30
-
天気
晴れ後時々曇り
-
気温
16℃/10℃
-
気圧
1025.0hPa
-
風
北北東
3.1m/s -
波
南東
0.7m/s -
水温
16.8℃
-
潮
小潮
-
月齢
21.6
-
BI
8.8
釣行当日の気象情報を表示 釣行当日の気象情報を隠す -
新栄丸
千葉県 鴨川市 江見漁港3日前釣行日:2025年11月11日(火)小潮ハナダイ
(チダイ)クロムツ メダイ アジ スミヤキ サバ マダイ 竿頭5匹 イサキ 竿頭15匹 キントキ ホウボウ カイワリ キダイ 今日も(^^)v 黒ムツから入って、最初からポツポツポツ・・・全員しっかりお土産釣りました。余裕で美味しいお魚さんへ・・・数付き悪いもののこちらもしっかりお土産(^^♪他メダイ・アジ・スミヤキ・さば。 後半はコマセ五目釣り!マダイは3連発有、1kg前後多く、イサキも適当に釣れ。最後に沖五目で、キントキ、3点かけ等、ホウボウ・カイワリ・キダイ・ハナダイ等本日も魚種多彩です。明日も黒ムツ五目で出船致しますのでご予約のお電話お待ちしております。
釣行当日の潮汐
200 0 -40 0:00 6:00 12:00 18:00 24:00釣行当日の気象
-
日の出
06:10
日の入
16:37
-
月の出
22:14
月の入
11:57
-
天気
曇り
-
気温
18℃/10℃
-
気圧
1017.5hPa
-
風
北
4.2m/s -
波
南東
0.8m/s -
水温
19.9℃
-
潮
小潮
-
月齢
20.6
-
BI
8.9
釣行当日の気象情報を表示 釣行当日の気象情報を隠す -
隆正丸
千葉県 旭市 飯岡漁港4日前釣行日:2025年11月10日(月)中潮ハナダイ
(チダイ)25~40cm 15~40匹 イサキ イナダ コマセ船。11号で出船。 本日も良型主体でお土産ばっちりでした。 水深:30M。 潮色と流れ:薄濁ゆるい。 風向きと強さ:北弱い。 波高:2.0-2.5M。
釣行当日の潮汐
200 0 -40 0:00 6:00 12:00 18:00 24:00釣行当日の気象
-
日の出
06:07
日の入
16:34
-
月の出
21:00
月の入
11:13
-
天気
晴れ時々曇り
-
気温
21℃/11℃
-
気圧
1005.8hPa
-
風
北北西
2.0m/s -
波
南南東
1.6m/s -
水温
19.3℃
-
潮
中潮
-
月齢
19.6
-
BI
8.8
釣行当日の気象情報を表示 釣行当日の気象情報を隠す -
第二新亀丸
千葉県 山武市 新片貝港4日前釣行日:2025年11月10日(月)中潮ハナダイ
(チダイ)25~37cm 5~16匹 潮濁り水温下り食い渋り後半大型花鯛混じってポツリ釣れイナダ混じって釣れました
釣行当日の潮汐
200 0 -40 0:00 6:00 12:00 18:00 24:00釣行当日の気象
-
日の出
06:07
日の入
16:35
-
月の出
21:01
月の入
11:13
-
天気
晴れ時々曇り
-
気温
20℃/11℃
-
気圧
1005.8hPa
-
風
北北西
2.2m/s -
波
南南東
1.4m/s -
水温
17.1℃
-
潮
中潮
-
月齢
19.6
-
BI
8.9
釣行当日の気象情報を表示 釣行当日の気象情報を隠す -
聡丸
千葉県 鴨川市 太海漁港5日前釣行日:2025年11月9日(日)中潮ハナダイ
(チダイ)クロムツ 竿頭20匹 アマダイ キダイ ホウボウ カイワリ フラッシャーサビキ五目のクロムツ~アマダイ五目のリレーへ出船。 Fサビキ五目は、クロムツは反応ビッシリで、今日は1流し目から好調に食いました。 良型・中型がダブルも・トリプルもあり短時間でしたが数伸びて、トップは20匹10匹以上の方多数。良い外道は入れ食いゾロゾロ~でお刺身サイズも多く交じって爆釣でした。 後半のアマダイ五目は、アマダイ・キダイ・ハナダイ・ホウボウ・カイワリなどなど。 予報とは違ってポイントに到着と同時に、雨降ってきて、時折ゲリラ豪雨かと思うほどの土砂降りでした。
釣行当日の潮汐
200 0 -40 0:00 6:00 12:00 18:00 24:00釣行当日の気象
-
日の出
06:08
日の入
16:39
-
月の出
19:53
月の入
10:21
-
天気
雨時々止む
-
気温
19℃/12℃
-
気圧
1019.4hPa
-
風
南西
3.2m/s -
波
南東
1.5m/s -
水温
20.0℃
-
潮
中潮
-
月齢
18.6
-
BI
7.6
釣行当日の気象情報を表示 釣行当日の気象情報を隠す -
新栄丸
千葉県 鴨川市 江見漁港5日前釣行日:2025年11月9日(日)中潮ハナダイ
(チダイ)マダイ 最大1.30kg 竿頭9匹 イサキ メジナ ホウボウ カイワリ キントキ キダイ ヤガラ ヒラソーダ カサゴ マダイ五目釣り、 強い雨の中、又気合の入った船長についてきてくれて有難うございました<(__)>釣らせたいという気持ちが強すぎて厳しくなってしまうようで・・・・お許しを!マダイは大型は出なかったものの前半はしっかり楽しめました。最大1.3㎏程度、1kg前後が中心でトップは9匹程度、4匹・3匹(2人)・・・・。そこでいつもの悪いところが・・じっと我慢出来ないのが船長で、釣れていない方にお土産釣らせたくて沖五目に走っちゃって、後半は沖での釣り!マダイだけやっていればもう少し数出たかも……って言ってました。マダイの他、イサキお土産・メジナ・ホウボウ・カイワリ・キントキ・ハナダイ・キダイ・ヤガラ・ヒラソーダ・カサゴ等今日も魚種多彩(^^)v明日は黒ムツ・五目で出船致しますのでご予約お待ちしております。黒ムツは今日も好調のようです。
釣行当日の潮汐
200 0 -40 0:00 6:00 12:00 18:00 24:00釣行当日の気象
-
日の出
06:08
日の入
16:39
-
月の出
19:53
月の入
10:21
-
天気
雨時々止む
-
気温
19℃/12℃
-
気圧
1019.4hPa
-
風
南西
3.2m/s -
波
南東
1.3m/s -
水温
20.0℃
-
潮
中潮
-
月齢
18.6
-
BI
7.6
釣行当日の気象情報を表示 釣行当日の気象情報を隠す -
新栄丸
千葉県 鴨川市 江見漁港6日前釣行日:2025年11月8日(土)中潮ハナダイ
(チダイ)クロムツ メダイ アジ スミヤキ サバ マダイ 最大1.50kg 合計3匹 イサキ マハタ カイワリ キントキ ホウボウ 竿頭4匹 ウマヅラハギ オニカサゴ カサゴ キダイ メジナ サバ ヒラソーダ 黒ムツ・五目で出船、 魚種多彩に楽しめました(^^)v前半はフラッシャーサビキ釣り!黒ムツ少なめも美味しいお魚多点かけ入れ食い!!他メダイ・アジ・サバ・スミヤキ。 後半はマダイから狙い、今日は気配ありで、最大1.5㎏程度ですがトップは3匹、2匹(3人)・・・・・最後の40分は沖五目で多彩に釣れました。イサキはしっかりお土産で、マハタ・カイワリ・キントキ・ホウボウ(トップ4匹)・ウマヅラハギ・オニカサゴ・カサゴ・ハナダイ・キダイ・メジナ・サバ・ヒラソーダ等美味しく食べてあげてください。明日は5:15集合でマダイ五目釣りに出船致します。マダイとハタ狙いながら沖五目まで行けるかなぁ~??ガラガラですのでご予約お待ちしております。2本竿で遊びたい方もお待ちしております。
釣行当日の潮汐
200 0 -40 0:00 6:00 12:00 18:00 24:00釣行当日の気象
-
日の出
06:07
日の入
16:40
-
月の出
18:45
月の入
09:15
-
天気
曇り
-
気温
18℃/12℃
-
気圧
1027.7hPa
-
風
北東
3.9m/s -
波
東
1.1m/s -
水温
20.2℃
-
潮
中潮
-
月齢
17.6
-
BI
7.1
釣行当日の気象情報を表示 釣行当日の気象情報を隠す -
聡丸
千葉県 鴨川市 太海漁港6日前釣行日:2025年11月8日(土)中潮ハナダイ
(チダイ)クロムツ 竿頭7匹 アマダイ キダイ マダイ カイワリ カンコ フラッシャーサビキ五目のクロムツ~アマダイ五目のリレーへ出船。 Fサビキ五目は、クロムツはエサ反応ビッシリでしたが、良型・中型がポツリでダブルもありましたが、潮流れないからか数伸びずトップ7匹。良い外道は反応バリバリで、お刺身サイズも交じって、食いも良くゾロゾロ~と付き、多点掛けと手返しで、クーラー満タン。良い外道は好調継続中です。 後半のアマダイ五目は、小型アマダイ・キダイ・ハナダイ・マダイ カイワリ・カンコなど
釣行当日の潮汐
200 0 -40 0:00 6:00 12:00 18:00 24:00釣行当日の気象
-
日の出
06:07
日の入
16:40
-
月の出
18:45
月の入
09:15
-
天気
曇り
-
気温
18℃/12℃
-
気圧
1027.7hPa
-
風
北東
3.9m/s -
波
東
1.3m/s -
水温
20.2℃
-
潮
中潮
-
月齢
17.6
-
BI
7.1
釣行当日の気象情報を表示 釣行当日の気象情報を隠す -
隆正丸
千葉県 旭市 飯岡漁港6日前釣行日:2025年11月8日(土)中潮ハナダイ
(チダイ)25~43cm 10~40匹 コマセ船。11号で出船。デカハナダイ主体で楽しめました。クーラー満タンで早上がりでした。水深:30M。
釣行当日の潮汐
200 0 -40 0:00 6:00 12:00 18:00 24:00釣行当日の気象
-
日の出
06:05
日の入
16:35
-
月の出
18:39
月の入
09:14
-
天気
晴れ後時々曇り
-
気温
17℃/12℃
-
気圧
1028.0hPa
-
風
北北東
4.2m/s -
波
東
1.0m/s -
水温
19.5℃
-
潮
中潮
-
月齢
17.6
-
BI
7.6
釣行当日の気象情報を表示 釣行当日の気象情報を隠す -
長五郎丸
千葉県 旭市 飯岡漁港6日前釣行日:2025年11月8日(土)中潮ハナダイ
(チダイ)25~40cm 13~35匹 マダイ カサゴ カンパチ イサキ イナダ 【乗合】今日は終始コンスタントに上がり、ジャンボハナダイ多くお土産になりました。
釣行当日の潮汐
200 0 -40 0:00 6:00 12:00 18:00 24:00釣行当日の気象
-
日の出
06:05
日の入
16:35
-
月の出
18:39
月の入
09:14
-
天気
晴れ後時々曇り
-
気温
17℃/12℃
-
気圧
1028.0hPa
-
風
北北東
4.2m/s -
波
東
1.0m/s -
水温
19.5℃
-
潮
中潮
-
月齢
17.6
-
BI
7.6
釣行当日の気象情報を表示 釣行当日の気象情報を隠す -
第二新亀丸
千葉県 山武市 新片貝港6日前釣行日:2025年11月8日(土)中潮ハナダイ
(チダイ)20~41cm 5~35匹 潮濁り水温下り食い渋り大型花鯛混じって釣れイサキ混じってる
釣行当日の潮汐
200 0 -40 0:00 6:00 12:00 18:00 24:00釣行当日の気象
-
日の出
06:05
日の入
16:36
-
月の出
18:41
月の入
09:14
-
天気
晴れ後時々曇り
-
気温
17℃/12℃
-
気圧
1028.0hPa
-
風
北北東
3.4m/s -
波
東
0.9m/s -
水温
17.5℃
-
潮
中潮
-
月齢
17.6
-
BI
7.3
釣行当日の気象情報を表示 釣行当日の気象情報を隠す -
新栄丸
千葉県 鴨川市 江見漁港7日前釣行日:2025年11月7日(金)中潮ハナダイ
(チダイ)クロムツ スミヤキ メダイ アジ サバ キントキ カイワリ キダイ メジナ ホウボウ 黒ムツ・五目で出船、 大鯛バラシ(T_T)(T_T)1発目、フラッシャーに大鯛かかって水面でハズレ・・しばらく浮いていたけど救えず残念朝から黒ムツポツポツポツ、途中美味しいお魚狙ってまた黒ムツへ・・・・黒ムツ小型~良型・美味しいお魚、皆さんお土産釣れたようです。前半でokです。他スミヤキ・メダイ・アジ・さばも マダイは気配なく最後の35分沖五目釣り、こちらは入れ食いでキントキ・ホウボウ・カイワリ・キダイ・ハナダイ・メジナと、楽しめました。
釣行当日の潮汐
200 0 -40 0:00 6:00 12:00 18:00 24:00釣行当日の気象
-
日の出
06:06
日の入
16:40
-
月の出
17:44
月の入
08:01
-
天気
晴れ後時々曇り
-
気温
22℃/14℃
-
気圧
1020.2hPa
-
風
北
2.9m/s -
波
東
1.8m/s -
水温
20.3℃
-
潮
中潮
-
月齢
16.6
-
BI
7.7
釣行当日の気象情報を表示 釣行当日の気象情報を隠す
千葉県の人気魚種の釣果情報
- 千葉県×マダイ
- 千葉県×ブリ
- 千葉県×マアジ
- 千葉県×ヒラメ
- 千葉県×カサゴ
- 千葉県×アカアマダイ
- 千葉県×タチウオ
- 千葉県×カワハギ
- 千葉県×ゴマサバ
- 千葉県×ヒラマサ
- 千葉県×サワラ
- 千葉県×アオリイカ
- 千葉県×イサキ
- 千葉県×カンパチ
- 千葉県×キジハタ
- 千葉県×スズキ
- 千葉県×マハタ
- 千葉県×オニカサゴ
- 千葉県×クロムツ
- 千葉県×アカムツ
- 千葉県×メバル
- 千葉県×チダイ
- 千葉県×アカハタ
- 千葉県×マダコ
- 千葉県×ヤリイカ
- 千葉県×クロダイ
- 千葉県×シロギス
- 千葉県×アオハタ
- 千葉県×キハダ
- 千葉県×カツオ
- 千葉県×キダイ
- 千葉県×マゴチ
- 千葉県×スルメイカ
- 千葉県×シロアマダイ
- 千葉県×キンメダイ
- 千葉県×ショウサイフグ
- 千葉県×クロソイ
- 千葉県×イトヨリダイ
- 千葉県×シログチ
- 千葉県×ホウボウ
- 千葉県×アラ
- 千葉県×メダイ
- 千葉県×メジナ
- 千葉県×カイワリ
- 千葉県×シイラ
- 千葉県×オオモンハタ
- 千葉県×ケンサキイカ
- 千葉県×チカメキントキ
- 千葉県×シマアジ
- 千葉県×ウスメバル
- 千葉県×アイナメ
- 千葉県×オオメハタ
- 千葉県×ウマヅラハギ
- 千葉県×アコウダイ
- 千葉県×イシダイ
- 千葉県×ウッカリカサゴ
- 千葉県×クロマグロ
- 千葉県×クエ
- 千葉県×マコガレイ
- 千葉県×ユメカサゴ
- 千葉県×ヒラソウダ
- 千葉県×メバチ
- 千葉県×オオサガ
- 千葉県×コウイカ
- 千葉県×クロシビカマス
- 千葉県×メイチダイ
- 千葉県×ムシガレイ
- 千葉県×ホウキハタ
- 千葉県×ロウニンアジ
- 千葉県×アヤメカサゴ
- 千葉県×ハガツオ
- 千葉県×ムツ
- 千葉県×カミナリイカ
- 千葉県×マハゼ
- 千葉県×フエフキダイ
- 千葉県×マサバ
- 千葉県×キチヌ
- 千葉県×ハチビキ
- 千葉県×クログチ
- 千葉県×アカカマス
- 千葉県×ウメイロ
- 千葉県×ハマフエフキ
- 千葉県×シロサバフグ
- 千葉県×アカイサキ
- 千葉県×クロメジナ
- 千葉県×ヒメダイ
- 千葉県×コロダイ
- 千葉県×アカヤガラ
- 千葉県×ヒガンフグ
- 千葉県×アカメフグ
- 千葉県×スマ
- 千葉県×ムロアジ
- 千葉県×オオクチイシナギ
- 千葉県×ヘダイ
- 千葉県×カナガシラ
- 千葉県×マトウダイ
- 千葉県×バラムツ
- 千葉県×オキアジ
- 千葉県×キュウセン
- 千葉県×シロダイ
- 千葉県×カマスサワラ
- 千葉県×Array
- 千葉県×Array
各都道府県の人気魚種の釣果情報
- 岩手県×マダラ
- 岩手県×スルメイカ
- 岩手県×ケンサキイカ
- 岩手県×ブリ
- 岩手県×マコガレイ
- 宮城県×ヒラメ
- 宮城県×マアジ
- 宮城県×マコガレイ
- 宮城県×アイナメ
- 宮城県×メバル
- 福島県×マダイ
- 福島県×ヒラメ
- 福島県×メバル
- 福島県×チダイ
- 福島県×アイナメ
- 茨城県×マダイ
- 茨城県×ヒラメ
- 茨城県×ブリ
- 茨城県×カサゴ
- 茨城県×マダコ
- 埼玉県×サワラ
- 埼玉県×タチウオ
- 埼玉県×マダイ
- 埼玉県×ブリ
- 埼玉県×ホウボウ
- 千葉県×マダイ
- 千葉県×ヒラメ
- 千葉県×マアジ
- 千葉県×イサキ
- 千葉県×マハタ
- 東京都×マアジ
- 東京都×タチウオ
- 東京都×シロギス
- 東京都×マダコ
- 東京都×スズキ
- 神奈川県×マアジ
- 神奈川県×マダイ
- 神奈川県×タチウオ
- 神奈川県×アカアマダイ
- 神奈川県×ブリ
- 新潟県×マダイ
- 新潟県×マアジ
- 新潟県×ゴマサバ
- 新潟県×ブリ
- 新潟県×キダイ
- 富山県×アオリイカ
- 富山県×マダイ
- 富山県×キジハタ
- 富山県×カサゴ
- 富山県×ヤリイカ
- 石川県×ブリ
- 石川県×マダイ
- 石川県×キジハタ
- 石川県×マアジ
- 石川県×カサゴ
- 福井県×ケンサキイカ
- 福井県×マダイ
- 福井県×スルメイカ
- 福井県×アオリイカ
- 福井県×マアジ
- 静岡県×マダイ
- 静岡県×マアジ
- 静岡県×イサキ
- 静岡県×タチウオ
- 静岡県×アカアマダイ
- 愛知県×ブリ
- 愛知県×マダイ
- 愛知県×タチウオ
- 愛知県×ヒラメ
- 愛知県×マアジ
- 三重県×マダイ
- 三重県×ブリ
- 三重県×ヒラメ
- 三重県×カサゴ
- 三重県×サワラ
- 京都府×ケンサキイカ
- 京都府×ブリ
- 京都府×マダイ
- 京都府×スルメイカ
- 京都府×アオリイカ
- 大阪府×ブリ
- 大阪府×スズキ
- 大阪府×サワラ
- 大阪府×マダイ
- 大阪府×カサゴ
- 兵庫県×ブリ
- 兵庫県×マダイ
- 兵庫県×マダコ
- 兵庫県×サワラ
- 兵庫県×タチウオ
- 和歌山県×マダイ
- 和歌山県×ブリ
- 和歌山県×マアジ
- 和歌山県×イサキ
- 和歌山県×シロアマダイ
- 鳥取県×ケンサキイカ
- 鳥取県×アオハタ
- 鳥取県×カサゴ
- 鳥取県×スルメイカ
- 鳥取県×マダイ
- 島根県×ケンサキイカ
- 島根県×スルメイカ
- 島根県×ゴマサバ
- 島根県×マアジ
- 島根県×コウイカ
- 岡山県×スズキ
- 岡山県×マダイ
- 岡山県×クロダイ
- 岡山県×ヒラメ
- 岡山県×キジハタ
- 広島県×マダイ
- 広島県×ブリ
- 広島県×キジハタ
- 広島県×シロギス
- 広島県×サワラ
- 山口県×ケンサキイカ
- 山口県×キジハタ
- 山口県×マダイ
- 山口県×イサキ
- 山口県×アオリイカ
- 徳島県×ブリ
- 徳島県×マアジ
- 徳島県×チダイ
- 徳島県×イサキ
- 徳島県×カンパチ
- 香川県×マダイ
- 香川県×アオリイカ
- 香川県×ヒラメ
- 香川県×キジハタ
- 香川県×シロギス
- 愛媛県×マダイ
- 愛媛県×ブリ
- 愛媛県×キジハタ
- 愛媛県×カワハギ
- 愛媛県×カサゴ
- 高知県×カンパチ
- 高知県×イサキ
- 高知県×マアジ
- 高知県×マダイ
- 高知県×チダイ
- 福岡県×マダイ
- 福岡県×ヤリイカ
- 福岡県×ケンサキイカ
- 福岡県×ブリ
- 福岡県×ヒラマサ
- 佐賀県×ブリ
- 佐賀県×サワラ
- 佐賀県×マダイ
- 佐賀県×アオリイカ
- 佐賀県×アカアマダイ
- 長崎県×マダイ
- 長崎県×キジハタ
- 長崎県×オオモンハタ
- 長崎県×ブリ
- 長崎県×アオハタ
- 熊本県×マダイ
- 熊本県×タチウオ
- 熊本県×キジハタ
- 熊本県×カサゴ
- 熊本県×ヒラメ
- 大分県×マダイ
- 大分県×ブリ
- 大分県×ウマヅラハギ
- 大分県×カサゴ
- 大分県×イサキ
- 鹿児島県×カンパチ
- 鹿児島県×オオモンハタ
- 鹿児島県×アカハタ
- 鹿児島県×マダイ
- 鹿児島県×バラハタ
- 沖縄県×スジアラ
- 沖縄県×タカサゴ
- 沖縄県×キハダ
- 沖縄県×バラハタ
- 沖縄県×クエ




































コマセ船。 11号で出船。 本日も良型主体で楽しめました。今後も楽しみです。 水深:30M。 潮色と流れ:薄濁ゆるい。 風向きと強さ:北東ほどほど。 波高:1.0-1.5M。