-
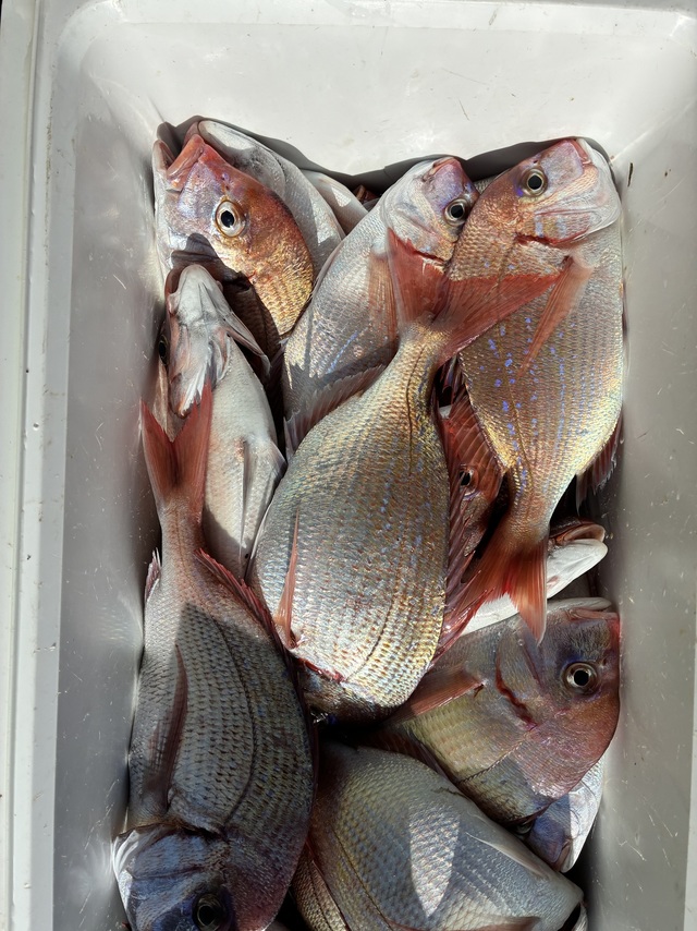
東丸
千葉県 安房郡鋸南町 保田港20日前釣行日:2026年4月15日(水)中潮ハナダイ
(チダイ)マダイ 0.80~7.20kg 1~6匹 クロダイ 釣行当日の潮汐
200 0 -40 0:00 6:00 12:00 18:00 24:00釣行当日の気象
-
日の出
05:09
日の入
18:13
-
月の出
03:37
月の入
15:48
-
天気
曇りのち一時雨
-
気温
22℃/15℃
-
気圧
1014.4hPa
-
風
北東
2.3m/s -
波
南南西
0.2m/s -
水温
15.8℃
-
潮
中潮
-
月齢
27.1
-
BI
9.8
釣行当日の気象情報を表示 釣行当日の気象情報を隠す -
豊国丸
千葉県 富津市 竹岡港21日前釣行日:2026年4月14日(火)中潮ハナダイ
(チダイ)タイ トラフグ 1.60~2.60kg 合計4匹 キジハタ イトヨリ ホウボウ カサゴ 本日、出船しました。 潮の流れはよくなってきましたがタイの活性悪く苦戦でした。
釣行当日の潮汐
200 0 -40 0:00 6:00 12:00 18:00 24:00釣行当日の気象
-
日の出
05:10
日の入
18:12
-
月の出
03:10
月の入
14:42
-
天気
晴れ後時々曇り
-
気温
23℃/14℃
-
気圧
1017.6hPa
-
風
北北東
2.2m/s -
波
南西
0.2m/s -
水温
15.6℃
-
潮
中潮
-
月齢
26.1
-
BI
9.3
釣行当日の気象情報を表示 釣行当日の気象情報を隠す -
第1二三丸
千葉県 山武市 片貝旧港21日前釣行日:2026年4月14日(火)中潮ハナダイ
(チダイ)22~28cm 0~2匹 イサキ 25~37cm 1~11匹 マダイ メジナ カサゴ ウマヅラ 一昨日イサキ釣り船の情報では、 水温が下がってしまい型程度の釣果で苦労したらしい、 状況が良い方に変わっている事を願いつつ沖出し、 ポイントの水温は13,8℃、1℃位高いけどまだ低い、 少し有った反応で釣りしてみたらアタリは出た、 バタバタ釣れないがポツポツと誰かにアタル、 釣れるイサキは中型から良型でサイズ的には悪くない、 この反応を逃がさない様に必死で操船してました、 それでもアタリが出なく成ったので潮回り、 元の位置に反応は少し残っていたので期待したが、 型程度しかアタリが無くてこのポイントを断念した、 しかしその後がアタリの出る反応を見付けられず、 ポイント移動の連続でした。 中盤過ぎて残り時間も少なくなって来たので、 片貝沖のポイントに移動してみましたが、 前回型が出たポイントも周ったが、 反応を見付けられず、型を見れない人もいました。潮音13~14℃。
釣行当日の潮汐
200 0 -40 0:00 6:00 12:00 18:00 24:00釣行当日の気象
-
日の出
05:07
日の入
18:09
-
月の出
03:06
月の入
14:38
-
天気
晴れ後時々曇り
-
気温
22℃/14℃
-
気圧
1017.8hPa
-
風
北東
2.1m/s -
波
南東
1.0m/s -
水温
15.1℃
-
潮
中潮
-
月齢
26.1
-
BI
8.9
釣行当日の気象情報を表示 釣行当日の気象情報を隠す -
東丸
千葉県 安房郡鋸南町 保田港21日前釣行日:2026年4月14日(火)中潮ハナダイ
(チダイ)マダイ 0.60~6.40kg 0~5匹 クロダイ アジ マダイ船。 モンスター6.4㌔を頭に5.0㌔、3.4㌔、3.0㌔と 2㌔台を中心に好調でした。 10名でオデコは1名でした。
釣行当日の潮汐
200 0 -40 0:00 6:00 12:00 18:00 24:00釣行当日の気象
-
日の出
05:10
日の入
18:12
-
月の出
03:10
月の入
14:42
-
天気
晴れ後時々曇り
-
気温
23℃/14℃
-
気圧
1017.2hPa
-
風
北東
2.3m/s -
波
南西
0.2m/s -
水温
15.6℃
-
潮
中潮
-
月齢
26.1
-
BI
9.3
釣行当日の気象情報を表示 釣行当日の気象情報を隠す -
隆正丸
千葉県 旭市 飯岡漁港22日前釣行日:2026年4月13日(月)若潮ハナダイ
(チダイ)25~38cm 3~20匹 アジ 25~40cm 14~40匹 サバ コマセ船。11号で出船。海上凪良く、本日も好調でした。クーラー満タンで楽しめました。 水深:30M。
釣行当日の潮汐
200 0 -40 0:00 6:00 12:00 18:00 24:00釣行当日の気象
-
日の出
05:07
日の入
18:08
-
月の出
02:39
月の入
13:33
-
天気
曇り時々晴れ
-
気温
22℃/14℃
-
気圧
1017.8hPa
-
風
南
3.5m/s -
波
南南東
1.1m/s -
水温
15.1℃
-
潮
若潮
-
月齢
25.1
-
BI
8.0
釣行当日の気象情報を表示 釣行当日の気象情報を隠す -
東丸
千葉県 安房郡鋸南町 保田港22日前釣行日:2026年4月13日(月)若潮ハナダイ
(チダイ)マダイ 0.70~6.20kg 0~3匹 クロダイ マダイ船。前半、型物中心にアタリ活発でバラシ。ハリス切れが残念。6.2㌔を頭に3.4㌔、2.9㌔とbigdeyでした。
釣行当日の潮汐
200 0 -40 0:00 6:00 12:00 18:00 24:00釣行当日の気象
-
日の出
05:12
日の入
18:12
-
月の出
02:42
月の入
13:38
-
天気
曇り時々晴れ
-
気温
23℃/14℃
-
気圧
1017.4hPa
-
風
南南東
2.0m/s -
波
南西
0.2m/s -
水温
15.2℃
-
潮
若潮
-
月齢
25.1
-
BI
9.0
釣行当日の気象情報を表示 釣行当日の気象情報を隠す -
第三孝徳丸
千葉県 山武市 片貝旧港22日前釣行日:2026年4月13日(月)若潮ハナダイ
(チダイ)23~32cm 4~9匹 アジ 23~35cm 7~30匹 クロメバル 25~28cm 合計11匹 サバ 33~39cm 合計8匹 今日は花鯛五目で出船でアジを少し釣りたいとのことで昨日型を見たポイントから始め二時間余りで竿頭30匹釣れた方がいて他にも皆さん何匹かず釣れて花鯛釣りに変更、何か所か転々と周り型は出るのですが数が伸びず他にお黒メバルやサバも釣れて皆さんお土産になり帰港しました、皆さんどうも有り難う御座いましたまた宜しくお願いします。・4月26日(日)イサキ花鯛で出船予定。・29日(水)イサキ花鯛で出船予定。・5月1日(金)イサキ花鯛で出船予定。・2日(土)イサキ花鯛で出船予定。・3日(日)イサキ花鯛で出船予定。・6日(水)イサキ花鯛で出船予定。・15日(金)イサキ花鯛で出船予定。・16日(土)花鯛五目で出船予定で他の曜日も予約が入ればイサキ・花鯛またはイサキ花鯛のリレー釣りで出船しますので問い合わせお願いします。
釣行当日の潮汐
200 0 -40 0:00 6:00 12:00 18:00 24:00釣行当日の気象
-
日の出
05:08
日の入
18:08
-
月の出
02:39
月の入
13:34
-
天気
曇り時々晴れ
-
気温
22℃/14℃
-
気圧
1017.6hPa
-
風
南南東
3.0m/s -
波
南東
1.1m/s -
水温
14.9℃
-
潮
若潮
-
月齢
25.1
-
BI
8.0
釣行当日の気象情報を表示 釣行当日の気象情報を隠す -
優光丸
千葉県 旭市 飯岡漁港22日前釣行日:2026年4月13日(月)若潮ハナダイ
(チダイ)マダイ 0.40~1.50kg 3~5匹 カサゴ イナダ テンヤマダイ船。朝イチから花鯛の猛攻撃。 掛けてもほぼ花鯛ッ!!ポイント移動繰り返しつつ探りポツポツ本命混じり始めようやく1キロ越えゲット。 中盤から後半にかけては良型主体で真鯛確保! その他ゲストではカサゴ、イナダ等も混じり皆様お土産もゲット。明日の定休日前におデコなく全員本命確保出来たので良かったぁ。
釣行当日の潮汐
200 0 -40 0:00 6:00 12:00 18:00 24:00釣行当日の気象
-
日の出
05:07
日の入
18:08
-
月の出
02:39
月の入
13:33
-
天気
曇り時々晴れ
-
気温
22℃/14℃
-
気圧
1017.8hPa
-
風
南
3.5m/s -
波
南南東
1.1m/s -
水温
15.1℃
-
潮
若潮
-
月齢
25.1
-
BI
8.0
釣行当日の気象情報を表示 釣行当日の気象情報を隠す -
太幸丸
千葉県 旭市 飯岡漁港23日前釣行日:2026年4月12日(日)長潮ハナダイ
(チダイ)18~35cm 0~15匹 マダイ ウマヅラ メバル カサゴ アジ 28~40cm 0~10匹 コマセ五目。 ハナダイ! 他にマダイ!ウマヅラ!メバル!カサゴ! が釣れました。 反応は海底付近でメインはアジ釣りでした。 良型ハナダイも顔見れました。 喰いは渋めなものの、上手く誘って喰わせた人はまずまずの釣果でしたね。
釣行当日の潮汐
100 0 -20 0:00 6:00 12:00 18:00 24:00釣行当日の気象
-
日の出
05:08
日の入
18:07
-
月の出
02:08
月の入
12:28
-
天気
晴れ
-
気温
19℃/12℃
-
気圧
1014.4hPa
-
風
北東
2.2m/s -
波
南南東
0.9m/s -
水温
15.2℃
-
潮
長潮
-
月齢
24.1
-
BI
8.0
釣行当日の気象情報を表示 釣行当日の気象情報を隠す -
清勝丸
千葉県 旭市 飯岡漁港23日前釣行日:2026年4月12日(日)長潮ハナダイ
(チダイ)20~35cm 1~8匹 アジ 25~42cm 7~20匹 明日はアジハナダイ五目(コマセ)と沖根魚又はマダイ 午後マダイで出船予定です!(カンダイ、大サバ、ウマズラ、メバル、ムシガレイ、カサゴ混)アジ大漁!水温下がり反応イマイチでしたが、多彩なゲストが混じりアジはビッグサイズ!アジのシーズンが来ました。アジフライ、お刺身、たたき、干物とたくさんのレパートリーがあり美味しそうでした。 これからは毎日募集してます。土日平日アマダイ、沖根魚などリクエストして下さい! ミニ仕立て船(5人~)なども募集します。 4月からはアジ、イサキ、ハナダイ五目(コマセ)、アマダイ、マダイ、沖根魚、ヤリイカ、アカムツで出船予定です! ヤリイカまた出船しますので是非お待ちしております。出船するなら今までとは違う方向へ行く予定です。 春は天候が変わりやすいので早めにご予約した方は近くなりましたら出船の確認お願いいたします。 変更、お知らせあればまたこちらで載せます。 人数集まれば出船致します。 人数が集まらないと出船できません。 人数と釣果次第で変更します。 天候の変わりやすい季節です、中止等お知らせで載せますが、遅い時間になる時もありますのでご心配の方は電話でお問い合わせ下さい。 初めての方や慣れていない方は是非、船長の見える場所へお座り下さい! 予約時すぐに電話に出れない時がありますが折り返します! 千葉東金横芝ICから匝瑳市(旭市隣)まで高速道路が延長になりました。最終、匝瑳ICで降りて右折、海沿いで是非いらっしゃってください。速くなりますよ~! 集合時間 ヤリイカ、沖根魚、アカムツ、アマダイ3時30分 アジハナダイ五目、マダコ、マダイ、イサキ五目4時 午後船は12時 時間厳守でお願いいたします! もし遅れる等の場合は早急にご連絡下さい。他のお客様を待たせてしまう、出船時間も遅れてしまいます。 リクエスト、人数天候等により変更あります! テンヤは遊動式しかけで!初心者でも釣れますよ~! 初心者の方、予約時お知らせ下さい。 救命胴衣(無料)、レンタル貸竿(基本無料。有料も有)ございます。
釣行当日の潮汐
100 0 -20 0:00 6:00 12:00 18:00 24:00釣行当日の気象
-
日の出
05:08
日の入
18:07
-
月の出
02:08
月の入
12:28
-
天気
晴れ
-
気温
19℃/12℃
-
気圧
1014.4hPa
-
風
北東
2.2m/s -
波
南南東
0.9m/s -
水温
15.2℃
-
潮
長潮
-
月齢
24.1
-
BI
8.0
釣行当日の気象情報を表示 釣行当日の気象情報を隠す -
長五郎丸
千葉県 旭市 飯岡漁港23日前釣行日:2026年4月12日(日)長潮ハナダイ
(チダイ)マダイ 0.30~0.70kg 1~2匹 カサゴ ヒラメ イナダ 水深:16m。【乗合】今日はアタリ少なく激渋でしたがゲスト混じりでお土産にはなりました!。
釣行当日の潮汐
100 0 -20 0:00 6:00 12:00 18:00 24:00釣行当日の気象
-
日の出
05:08
日の入
18:07
-
月の出
02:08
月の入
12:28
-
天気
晴れ
-
気温
19℃/12℃
-
気圧
1014.4hPa
-
風
北東
2.2m/s -
波
南南東
0.9m/s -
水温
15.2℃
-
潮
長潮
-
月齢
24.1
-
BI
8.0
釣行当日の気象情報を表示 釣行当日の気象情報を隠す -
隆正丸
千葉県 旭市 飯岡漁港23日前釣行日:2026年4月12日(日)長潮ハナダイ
(チダイ)25~35cm 1~10匹 アジ 25~38cm 5~30匹 サバ ウマズラハギ マダイ シケ後で水温低下で前半ダメでしたが後半ポツポツアタリお土産になりました。今後も期待出来そうです。2隻高低。水深:30M。
釣行当日の潮汐
100 0 -20 0:00 6:00 12:00 18:00 24:00釣行当日の気象
-
日の出
05:08
日の入
18:07
-
月の出
02:08
月の入
12:28
-
天気
晴れ
-
気温
19℃/12℃
-
気圧
1014.4hPa
-
風
北東
2.2m/s -
波
南南東
0.9m/s -
水温
15.2℃
-
潮
長潮
-
月齢
24.1
-
BI
8.0
釣行当日の気象情報を表示 釣行当日の気象情報を隠す -
龍鳳丸
千葉県 旭市 飯岡漁港23日前釣行日:2026年4月12日(日)長潮ハナダイ
(チダイ)25~35cm 2~20匹 アジ 25~35cm 3~16匹 外道 ウマズラハギ
釣行当日の潮汐
100 0 -20 0:00 6:00 12:00 18:00 24:00釣行当日の気象
-
日の出
05:08
日の入
18:07
-
月の出
02:08
月の入
12:28
-
天気
晴れ
-
気温
19℃/12℃
-
気圧
1014.4hPa
-
風
北東
2.2m/s -
波
南南東
0.9m/s -
水温
15.2℃
-
潮
長潮
-
月齢
24.1
-
BI
8.0
釣行当日の気象情報を表示 釣行当日の気象情報を隠す -
太幸丸
千葉県 旭市 飯岡漁港26日前釣行日:2026年4月9日(木)小潮ハナダイ
(チダイ)18~33cm 5~15匹 アジ 28~38cm 1~10匹 マダイ ウマヅラ カンダイ メバル カサゴ コマセ五目。 ハナダイ! アジ! 他にマダイ!ウマヅラ!カンダイ!メバル!カサゴ! が釣れました。 反応の割に喰いは渋めでした。 なかなか思うように誘いにのってくれませんでしたね。
釣行当日の潮汐
200 0 -40 0:00 6:00 12:00 18:00 24:00釣行当日の気象
-
日の出
05:12
日の入
18:05
-
月の出
00:07
月の入
09:25
-
天気
晴れ後時々曇り
-
気温
19℃/11℃
-
気圧
1022.9hPa
-
風
南
5.1m/s -
波
南南東
1.1m/s -
水温
15.0℃
-
潮
小潮
-
月齢
21.1
-
BI
7.5
釣行当日の気象情報を表示 釣行当日の気象情報を隠す -
隆正丸
千葉県 旭市 飯岡漁港26日前釣行日:2026年4月9日(木)小潮ハナダイ
(チダイ)25~35cm 2~13匹 アジ 25~35cm 2~15匹 サバ コマセ船。11号で出船。反応の割に食い渋でしたがアジ混じりでお土産になりました。またシケ後期待したいです。水深:30M。
釣行当日の潮汐
200 0 -40 0:00 6:00 12:00 18:00 24:00釣行当日の気象
-
日の出
05:12
日の入
18:05
-
月の出
00:07
月の入
09:25
-
天気
晴れ後時々曇り
-
気温
19℃/11℃
-
気圧
1022.9hPa
-
風
南
5.1m/s -
波
南南東
1.1m/s -
水温
15.0℃
-
潮
小潮
-
月齢
21.1
-
BI
7.5
釣行当日の気象情報を表示 釣行当日の気象情報を隠す
千葉県の人気魚種の釣果情報
- 千葉県×マダイ
- 千葉県×ブリ
- 千葉県×マアジ
- 千葉県×イサキ
- 千葉県×カサゴ
- 千葉県×アカアマダイ
- 千葉県×ゴマサバ
- 千葉県×ヒラメ
- 千葉県×ヒラマサ
- 千葉県×ヤリイカ
- 千葉県×マダコ
- 千葉県×キジハタ
- 千葉県×アオリイカ
- 千葉県×スズキ
- 千葉県×サワラ
- 千葉県×カンパチ
- 千葉県×メバル
- 千葉県×タチウオ
- 千葉県×シロギス
- 千葉県×オニカサゴ
- 千葉県×ケンサキイカ
- 千葉県×マハタ
- 千葉県×クロダイ
- 千葉県×アカムツ
- 千葉県×チダイ
- 千葉県×マゴチ
- 千葉県×クロムツ
- 千葉県×スルメイカ
- 千葉県×アオハタ
- 千葉県×アカハタ
- 千葉県×キハダ
- 千葉県×キダイ
- 千葉県×シロアマダイ
- 千葉県×キンメダイ
- 千葉県×アラ
- 千葉県×カワハギ
- 千葉県×カツオ
- 千葉県×クロソイ
- 千葉県×ホウボウ
- 千葉県×メダイ
- 千葉県×メジナ
- 千葉県×カイワリ
- 千葉県×ショウサイフグ
- 千葉県×チカメキントキ
- 千葉県×シログチ
- 千葉県×オオモンハタ
- 千葉県×イトヨリダイ
- 千葉県×シマアジ
- 千葉県×マコガレイ
- 千葉県×アイナメ
- 千葉県×ウスメバル
- 千葉県×シイラ
- 千葉県×ウッカリカサゴ
- 千葉県×メバチ
- 千葉県×オオメハタ
- 千葉県×アコウダイ
- 千葉県×クログチ
- 千葉県×クエ
- 千葉県×イシダイ
- 千葉県×タカサゴ
- 千葉県×ウマヅラハギ
- 千葉県×アカイサキ
- 千葉県×ムシガレイ
- 千葉県×ユメカサゴ
- 千葉県×オオサガ
- 千葉県×トラフグ
- 千葉県×メイチダイ
- 千葉県×クロシビカマス
- 千葉県×ハガツオ
- 千葉県×ロウニンアジ
- 千葉県×フエフキダイ
- 千葉県×アヤメカサゴ
- 千葉県×ムツ
- 千葉県×ホウキハタ
- 千葉県×マアナゴ
- 千葉県×アブラボウズ
- 千葉県×キチヌ
- 千葉県×ハチビキ
- 千葉県×シロサバフグ
- 千葉県×マサバ
- 千葉県×ハマフエフキ
- 千葉県×オオクチイシナギ
- 千葉県×クロメジナ
- 千葉県×カナガシラ
- 千葉県×バラムツ
- 千葉県×コロダイ
- 千葉県×ヒメダイ
- 千葉県×ムロアジ
- 千葉県×マトウダイ
- 千葉県×コウイカ
- 千葉県×カミナリイカ
- 千葉県×スマ
- 千葉県×ヒラソウダ
- 千葉県×ヒガンフグ
- 千葉県×ヘダイ
- 千葉県×アズマハナダイ
- 千葉県×キュウセン
- 千葉県×アカメフグ
各都道府県の人気魚種の釣果情報
- 岩手県×スルメイカ
- 岩手県×マダラ
- 岩手県×ブリ
- 岩手県×マコガレイ
- 岩手県×ヒラメ
- 宮城県×ヒラメ
- 宮城県×マアジ
- 宮城県×アイナメ
- 宮城県×マコガレイ
- 宮城県×メバル
- 福島県×マダイ
- 福島県×ヒラメ
- 福島県×チダイ
- 福島県×キツネメバル
- 福島県×アイナメ
- 茨城県×マダイ
- 茨城県×ブリ
- 茨城県×ヒラメ
- 茨城県×マダコ
- 茨城県×カサゴ
- 埼玉県×サワラ
- 埼玉県×タチウオ
- 埼玉県×マダイ
- 埼玉県×マアジ
- 埼玉県×ブリ
- 千葉県×マダイ
- 千葉県×ヒラメ
- 千葉県×マアジ
- 千葉県×イサキ
- 千葉県×マハタ
- 東京都×マアジ
- 東京都×タチウオ
- 東京都×シロギス
- 東京都×マダコ
- 東京都×スズキ
- 神奈川県×マアジ
- 神奈川県×マダイ
- 神奈川県×ブリ
- 神奈川県×アカアマダイ
- 神奈川県×タチウオ
- 新潟県×マダイ
- 新潟県×ブリ
- 新潟県×マアジ
- 新潟県×ゴマサバ
- 新潟県×キダイ
- 富山県×アオリイカ
- 富山県×マダイ
- 富山県×ブリ
- 富山県×キジハタ
- 富山県×カサゴ
- 石川県×ブリ
- 石川県×キジハタ
- 石川県×マダイ
- 石川県×カサゴ
- 石川県×ウッカリカサゴ
- 福井県×ケンサキイカ
- 福井県×マダイ
- 福井県×アオリイカ
- 福井県×スルメイカ
- 福井県×マアジ
- 静岡県×マダイ
- 静岡県×イサキ
- 静岡県×マアジ
- 静岡県×ブリ
- 静岡県×タチウオ
- 愛知県×ブリ
- 愛知県×マダイ
- 愛知県×タチウオ
- 愛知県×ホウボウ
- 愛知県×ヒラメ
- 三重県×ブリ
- 三重県×マダイ
- 三重県×ヒラメ
- 三重県×カサゴ
- 三重県×アカアマダイ
- 京都府×ケンサキイカ
- 京都府×ブリ
- 京都府×マダイ
- 京都府×スルメイカ
- 京都府×アオリイカ
- 大阪府×マダイ
- 大阪府×サワラ
- 大阪府×ブリ
- 大阪府×スズキ
- 大阪府×タチウオ
- 兵庫県×ブリ
- 兵庫県×マダイ
- 兵庫県×マダコ
- 兵庫県×サワラ
- 兵庫県×タチウオ
- 和歌山県×マダイ
- 和歌山県×ブリ
- 和歌山県×マアジ
- 和歌山県×イサキ
- 和歌山県×シロアマダイ
- 鳥取県×ケンサキイカ
- 鳥取県×アオリイカ
- 鳥取県×スルメイカ
- 鳥取県×マダイ
- 鳥取県×アオハタ
- 島根県×ケンサキイカ
- 島根県×スルメイカ
- 島根県×ゴマサバ
- 島根県×マアジ
- 島根県×コウイカ
- 岡山県×スズキ
- 岡山県×マダイ
- 岡山県×ヒラメ
- 岡山県×キジハタ
- 岡山県×クロダイ
- 広島県×マダイ
- 広島県×ブリ
- 広島県×キジハタ
- 広島県×サワラ
- 広島県×シロギス
- 山口県×ケンサキイカ
- 山口県×アオリイカ
- 山口県×キジハタ
- 山口県×ブリ
- 山口県×マダイ
- 徳島県×ブリ
- 徳島県×マアジ
- 徳島県×チダイ
- 徳島県×イサキ
- 徳島県×キダイ
- 香川県×マダイ
- 香川県×アオリイカ
- 香川県×キジハタ
- 香川県×クロダイ
- 香川県×シロギス
- 愛媛県×マダイ
- 愛媛県×ブリ
- 愛媛県×キジハタ
- 愛媛県×タチウオ
- 愛媛県×サワラ
- 高知県×カンパチ
- 高知県×イサキ
- 高知県×アカアマダイ
- 高知県×マダイ
- 高知県×マアジ
- 福岡県×マダイ
- 福岡県×ヤリイカ
- 福岡県×ケンサキイカ
- 福岡県×ヒラマサ
- 福岡県×ブリ
- 佐賀県×マダイ
- 佐賀県×ヒラマサ
- 佐賀県×アカアマダイ
- 佐賀県×キダイ
- 佐賀県×キジハタ
- 長崎県×マダイ
- 長崎県×キジハタ
- 長崎県×オオモンハタ
- 長崎県×アオハタ
- 長崎県×ブリ
- 熊本県×マダイ
- 熊本県×ヒラメ
- 熊本県×メバル
- 熊本県×キジハタ
- 熊本県×カサゴ
- 鹿児島県×カンパチ
- 鹿児島県×マダイ
- 鹿児島県×ケンサキイカ
- 鹿児島県×オオモンハタ
- 鹿児島県×バラハタ
- 沖縄県×スジアラ
- 沖縄県×バラハタ
- 沖縄県×キハダ
- 沖縄県×ハマフエフキ
- 沖縄県×クエ






































マダイ船。移動後バリバリ。2㌔、3㌔オーバー交えて好調でした。 オマツリバラシやらハリス切れやらあり残念でした。9名でオデコなしでした。