-
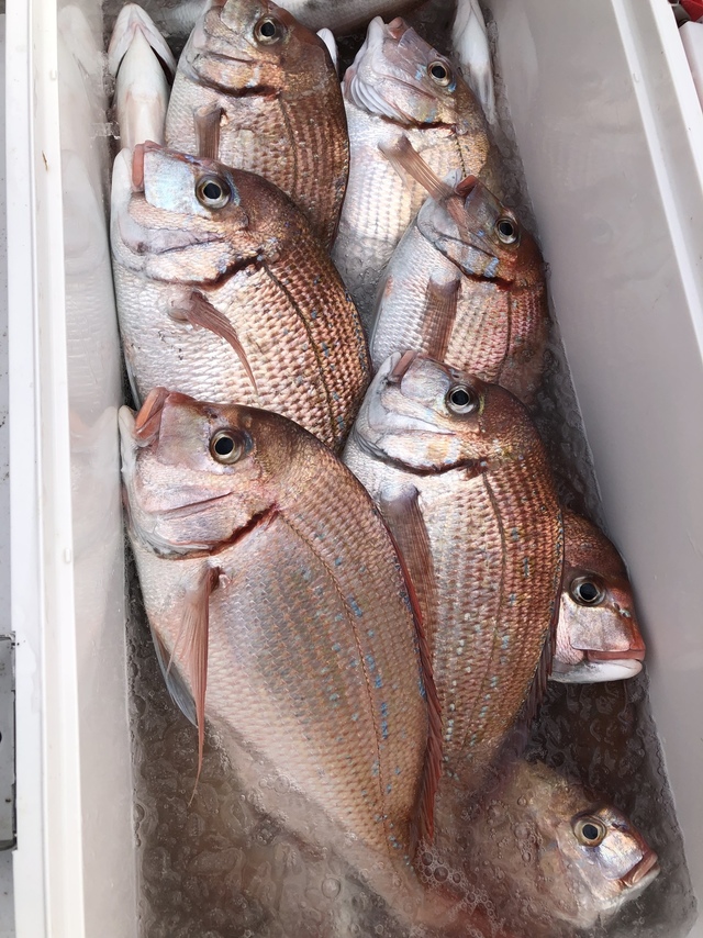
東丸
千葉県 安房郡鋸南町 保田港13日前釣行日:2026年4月22日(水)中潮ハナダイ
(チダイ)マダイ 0.60~3.10kg 0~3匹 クロダイ 釣行当日の潮汐
200 0 -40 0:00 6:00 12:00 18:00 24:00釣行当日の気象
-
日の出
05:00
日の入
18:19
-
月の出
08:31
月の入
-
天気
晴れ後時々曇り
-
気温
23℃/13℃
-
気圧
1017.3hPa
-
風
南南東
3.7m/s -
波
南南西
0.2m/s -
水温
18.1℃
-
潮
中潮
-
月齢
4.6
-
BI
8.6
釣行当日の気象情報を表示 釣行当日の気象情報を隠す -
優光丸
千葉県 旭市 飯岡漁港13日前釣行日:2026年4月22日(水)中潮ハナダイ
(チダイ)マダイ 0.40~0.70kg 0~5匹 カサゴ カンダイ ベラ ショウサイフグ ヒラメ カワハギ ホウボウ カナガシラ マハタ テンヤマダイ船。前半はアタリ少なく撃沈(泣)。 その後ポイント大きく移動。 ぶーーーーーーんと走り続けてアタック!アタリは増えたが、ゲストの猛攻ッ!!!花鯛、カサゴ、カンダイ、ベラ、ショウサイフグ、ヒラメ、カワハギ、ホウボウ、カナガシラ、マハタと多彩過ぎるゲスト達(笑)。 皆様お土産は確保ッ!しかし本命の真鯛ちゃんはイマイチ数伸び悩み…チクショォォォォォォォォォォォォォォォォォォォォ!!!次回はもっとポイント絞って頑張ります!。
釣行当日の潮汐
200 0 -40 0:00 6:00 12:00 18:00 24:00釣行当日の気象
-
日の出
04:55
日の入
18:16
-
月の出
08:25
月の入
23:58
-
天気
晴れ後時々曇り
-
気温
23℃/13℃
-
気圧
1017.4hPa
-
風
南南東
3.6m/s -
波
東南東
1.3m/s -
水温
16.4℃
-
潮
中潮
-
月齢
4.6
-
BI
8.4
釣行当日の気象情報を表示 釣行当日の気象情報を隠す -
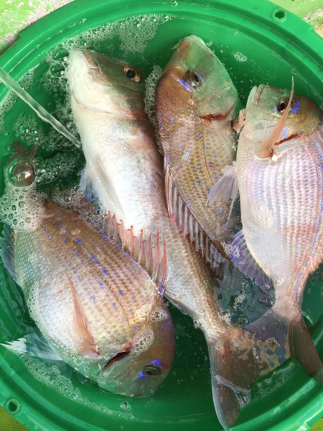
豊国丸
千葉県 富津市 竹岡港13日前釣行日:2026年4月22日(水)中潮ハナダイ
(チダイ)合計1匹 タイ 合計5匹 トラフグ 2.10kg 合計1匹 シロアマダイ 1.50kg 合計1匹 ホウボウ カサゴ スタート上げ潮期待も流れなく移動し流れもよい。 前半から南西やや強めになり早上がりしました。
釣行当日の潮汐
200 0 -40 0:00 6:00 12:00 18:00 24:00釣行当日の気象
-
日の出
05:00
日の入
18:19
-
月の出
08:31
月の入
-
天気
晴れ後時々曇り
-
気温
23℃/13℃
-
気圧
1017.2hPa
-
風
南
3.0m/s -
波
南南西
0.2m/s -
水温
18.1℃
-
潮
中潮
-
月齢
4.6
-
BI
8.6
釣行当日の気象情報を表示 釣行当日の気象情報を隠す -
東丸
千葉県 安房郡鋸南町 保田港14日前釣行日:2026年4月21日(火)中潮ハナダイ
(チダイ)マダイ 0.60~2.00kg 1~4匹 クロダイ マダイ船。南西の強風とうねりの中、タナも取りが 難しかったのですが、何とか11名でオデコ無しでした。
釣行当日の潮汐
200 0 -40 0:00 6:00 12:00 18:00 24:00釣行当日の気象
-
日の出
05:01
日の入
18:18
-
月の出
07:26
月の入
23:01
-
天気
曇りのち時々晴れ
-
気温
25℃/14℃
-
気圧
1008.6hPa
-
風
南西
5.9m/s -
波
南南西
0.7m/s -
水温
17.9℃
-
潮
中潮
-
月齢
3.6
-
BI
8.0
釣行当日の気象情報を表示 釣行当日の気象情報を隠す -
東丸
千葉県 安房郡鋸南町 保田港15日前釣行日:2026年4月20日(月)中潮ハナダイ
(チダイ)マダイ 0.60~5.40kg 2~11匹 クロダイ マダイ船。移動後1投目から、納竿まで食い活発で2㌔、3㌔、4㌔交えてバリバリ絶好調! 13名で64枚。
釣行当日の潮汐
200 0 -40 0:00 6:00 12:00 18:00 24:00釣行当日の気象
-
日の出
05:03
日の入
18:17
-
月の出
06:30
月の入
21:53
-
天気
曇り時々晴れ
-
気温
24℃/14℃
-
気圧
1016.9hPa
-
風
東北東
2.2m/s -
波
南南西
0.2m/s -
水温
17.5℃
-
潮
中潮
-
月齢
2.6
-
BI
8.4
釣行当日の気象情報を表示 釣行当日の気象情報を隠す -
長五郎丸
千葉県 旭市 飯岡漁港16日前釣行日:2026年4月19日(日)中潮ハナダイ
(チダイ)マダイ 0.40~2.70kg 0~4匹 カサゴ アジ メバル イナダ テンヤマダイ。水深:34m。
釣行当日の潮汐
200 0 -40 0:00 6:00 12:00 18:00 24:00釣行当日の気象
-
日の出
04:59
日の入
18:13
-
月の出
05:38
月の入
20:35
-
天気
晴れ時々曇り
-
気温
21℃/13℃
-
気圧
1016.5hPa
-
風
北東
2.2m/s -
波
南東
1.9m/s -
水温
15.9℃
-
潮
中潮
-
月齢
1.6
-
BI
7.6
釣行当日の気象情報を表示 釣行当日の気象情報を隠す -
豊国丸
千葉県 富津市 竹岡港16日前釣行日:2026年4月19日(日)中潮ハナダイ
(チダイ)合計2匹 タイ 合計2匹 トラフグ 3.00kg 合計1匹 イナダ ホウボウ カサゴ ハタ 本日もべた凪の中、出船しました。 んー前半、流れはいいのにタイの活性低めアセアセというよりエビへの反応悪く苦戦。 途中、艫名人へ青物ヒット〜 やり取りから型良さそう? 無事にイナダ玉網へ。 これがまた、尻尾のあたりに孫針ガッツリヒットしてたのでなかなかレアな引きでした。 2流しほど、アタリ多いポイントへ移動し、お土産釣ってから上げ潮、戻って勝負もダメでした。
釣行当日の潮汐
200 0 -40 0:00 6:00 12:00 18:00 24:00釣行当日の気象
-
日の出
05:04
日の入
18:17
-
月の出
05:44
月の入
20:38
-
天気
晴れ時々曇り
-
気温
24℃/13℃
-
気圧
1016.5hPa
-
風
北北東
1.9m/s -
波
南南西
0.2m/s -
水温
17.1℃
-
潮
中潮
-
月齢
1.6
-
BI
7.7
釣行当日の気象情報を表示 釣行当日の気象情報を隠す -
長五郎丸
千葉県 旭市 飯岡漁港17日前釣行日:2026年4月18日(土)大潮ハナダイ
(チダイ)マダイ 0.40~2.50kg 2~5匹 カサゴ アジ ホウボウ 水深:24m。【乗合】今日は前半アタリがなく激渋でしたが、後半から良型多くポツポツ上がりゲスト混じりでお土産でした。
釣行当日の潮汐
200 0 -40 0:00 6:00 12:00 18:00 24:00釣行当日の気象
-
日の出
05:00
日の入
18:12
-
月の出
05:00
月の入
19:18
-
天気
晴れ時々曇り
-
気温
20℃/12℃
-
気圧
1019.8hPa
-
風
北北東
0.6m/s -
波
東南東
2.1m/s -
水温
15.6℃
-
潮
大潮
-
月齢
0.6
-
BI
10.6
釣行当日の気象情報を表示 釣行当日の気象情報を隠す -
東丸
千葉県 安房郡鋸南町 保田港17日前釣行日:2026年4月18日(土)大潮ハナダイ
(チダイ)マダイ 0.70~5.40kg 0~4匹 クロダイ マダイ船。潮速く、流し釣り誰に偏ることなく、平均的にヒットでした。 16名でオデコは2名でした。
釣行当日の潮汐
200 0 -40 0:00 6:00 12:00 18:00 24:00釣行当日の気象
-
日の出
05:05
日の入
18:16
-
月の出
05:06
月の入
19:21
-
天気
晴れ時々曇り
-
気温
22℃/12℃
-
気圧
1019.7hPa
-
風
北
1.2m/s -
波
南南西
0.2m/s -
水温
16.6℃
-
潮
大潮
-
月齢
0.6
-
BI
9.4
釣行当日の気象情報を表示 釣行当日の気象情報を隠す -
山賀丸
千葉県 南房総市 小浦漁港17日前釣行日:2026年4月18日(土)大潮チダイ
合計1匹 トラフグ 1.30~3.00kg 合計4匹 キジハタ 62cm サバフグ 合計4匹 7名様。
釣行当日の潮汐
200 0 -40 0:00 6:00 12:00 18:00 24:00釣行当日の気象
-
日の出
05:05
日の入
18:15
-
月の出
05:05
月の入
19:21
-
天気
晴れ時々曇り
-
気温
22℃/12℃
-
気圧
1019.7hPa
-
風
北
1.2m/s -
波
南南西
0.2m/s -
水温
16.6℃
-
潮
大潮
-
月齢
0.6
-
BI
9.5
釣行当日の気象情報を表示 釣行当日の気象情報を隠す -
東丸
千葉県 安房郡鋸南町 保田港18日前釣行日:2026年4月17日(金)大潮ハナダイ
(チダイ)マダイ 0.70~5.00kg 0~4匹 クロダイ マダイ船。今日も、大型5㌔、3㌔、2㌔クラス中心に ボリュームたっぷりでした。 何故か、バラシも数枚ありました。 12名でオデコは3名でした。
釣行当日の潮汐
200 0 -40 0:00 6:00 12:00 18:00 24:00釣行当日の気象
-
日の出
05:06
日の入
18:15
-
月の出
04:33
月の入
18:07
-
天気
晴れ後時々曇り
-
気温
19℃/10℃
-
気圧
1023.7hPa
-
風
北北東
3.8m/s -
波
南南西
0.2m/s -
水温
16.1℃
-
潮
大潮
-
月齢
29.1
-
BI
10.0
釣行当日の気象情報を表示 釣行当日の気象情報を隠す -
東丸
千葉県 安房郡鋸南町 保田港19日前釣行日:2026年4月16日(木)大潮ハナダイ
(チダイ)マダイ 0.70~4.40kg 1~7匹 クロダイ マダイ船。北の強風でうねりも高かったのですが、 12名でオデコなしと好調でした。 2㌔、3㌔、4㌔とボリューム満点!
釣行当日の潮汐
200 0 -40 0:00 6:00 12:00 18:00 24:00釣行当日の気象
-
日の出
05:08
日の入
18:14
-
月の出
04:04
月の入
16:56
-
天気
曇り時々晴れ
-
気温
24℃/12℃
-
気圧
1009.9hPa
-
風
北
5.8m/s -
波
北
0.4m/s -
水温
16.1℃
-
潮
大潮
-
月齢
28.1
-
BI
10.5
釣行当日の気象情報を表示 釣行当日の気象情報を隠す -
太幸丸
千葉県 旭市 飯岡漁港20日前釣行日:2026年4月15日(水)中潮ハナダイ
(チダイ)アジ 28~43cm 6~31匹 マダイ メバル カサゴ サバ コマセ五目。 アジ! 他にハナダイ!マダイ!メバル!カサゴ!サバ! が釣れました。 今日はジャンボアジ・ジャンボサバが主体でした。 ハナダイは良型なんですけど、型見る程度でしたね。
釣行当日の潮汐
200 0 -40 0:00 6:00 12:00 18:00 24:00釣行当日の気象
-
日の出
05:04
日の入
18:10
-
月の出
03:33
月の入
15:44
-
天気
曇りのち一時雨
-
気温
20℃/15℃
-
気圧
1014.9hPa
-
風
東
2.0m/s -
波
南東
1.2m/s -
水温
15.3℃
-
潮
中潮
-
月齢
27.1
-
BI
9.8
釣行当日の気象情報を表示 釣行当日の気象情報を隠す -
清勝丸
千葉県 旭市 飯岡漁港20日前釣行日:2026年4月15日(水)中潮ハナダイ
(チダイ)20~35cm 4~8匹 アジ 25~42cm 25~62匹 アジ大漁~\(^o^)/ 明日は予報悪く出船中止します。 明後日はアジハナダイ五目(コマセ)と沖根魚又はマダイ 午後マダイで出船予定です。 変更あればまたお知らせいたします。(大サバ、ウマズラ、メバル、ムシガレイ、カサゴ) アジ大漁!クーラー満タン!重く嬉しい悲鳴でした!アジはビッグサイズ!アジのシーズンが来ました。アジフライ、お刺身、たたき、干物とたくさんのレパートリー!楽しみですね。 これからは毎日募集してます。 募集中 22日(水)沖根魚(アラ鬼カサゴ) 土日平日アマダイ、沖根魚などリクエストして下さい! ミニ仕立て船(5人~)なども募集します。 4月からはアジ、イサキ、ハナダイ五目(コマセ)、アマダイ、マダイ、沖根魚、ヤリイカ、アカムツで出船予定です! ヤリイカまた出船しますので是非お待ちしております。出船するなら今までとは違う方向へ行く予定です。 春は天候が変わりやすいので早めにご予約した方は近くなりましたら出船の確認お願いいたします。 変更、お知らせあればまたこちらで載せます。 人数集まれば出船致します。 人数が集まらないと出船できません。 人数と釣果次第で変更します。 天候の変わりやすい季節です、中止等お知らせで載せますが、遅い時間になる時もありますのでご心配の方は電話でお問い合わせ下さい。 初めての方や慣れていない方は是非、船長の見える場所へお座り下さい! 予約時すぐに電話に出れない時がありますが折り返します! 千葉東金横芝ICから匝瑳市(旭市隣)まで高速道路が延長になりました。最終、匝瑳ICで降りて右折、海沿いで是非いらっしゃってください。速くなりますよ~! 集合時間 ヤリイカ、沖根魚、アカムツ、アマダイ3時30分 アジハナダイ五目、マダコ、マダイ、イサキ五目4時 午後船は12時 時間厳守でお願いいたします! もし遅れる等の場合は早急にご連絡下さい。他のお客様を待たせてしまう、出船時間も遅れてしまいます。 リクエスト、人数天候等により変更あります! テンヤは遊動式しかけで!初心者でも釣れますよ~! 初心者の方、予約時お知らせ下さい。 救命胴衣(無料)、レンタル貸竿(基本無料。有料も有)ございます。
釣行当日の潮汐
200 0 -40 0:00 6:00 12:00 18:00 24:00釣行当日の気象
-
日の出
05:04
日の入
18:10
-
月の出
03:33
月の入
15:44
-
天気
曇りのち一時雨
-
気温
20℃/15℃
-
気圧
1014.9hPa
-
風
東
2.0m/s -
波
南東
1.2m/s -
水温
15.3℃
-
潮
中潮
-
月齢
27.1
-
BI
9.8
釣行当日の気象情報を表示 釣行当日の気象情報を隠す -
隆正丸
千葉県 旭市 飯岡漁港20日前釣行日:2026年4月15日(水)中潮ハナダイ
(チダイ)アジ 25~40cm 10~30匹 サバ サバ メバル カサゴ イシダイ コマセ船。18号で出船。1日サバが多くトラブル多かったが、ジャンボアジポツポツかかりました。ハナダイは少なめでした。また次回期待しましょう。 水深:30M。 潮色と流れ:濁りゆるい。 風向きと強さ:北東弱い。 波高:1.0-1.5M。
釣行当日の潮汐
200 0 -40 0:00 6:00 12:00 18:00 24:00釣行当日の気象
-
日の出
05:04
日の入
18:10
-
月の出
03:33
月の入
15:44
-
天気
曇りのち一時雨
-
気温
20℃/15℃
-
気圧
1014.9hPa
-
風
東
2.0m/s -
波
南東
1.2m/s -
水温
15.3℃
-
潮
中潮
-
月齢
27.1
-
BI
9.8
釣行当日の気象情報を表示 釣行当日の気象情報を隠す
千葉県の人気魚種の釣果情報
- 千葉県×マダイ
- 千葉県×ブリ
- 千葉県×マアジ
- 千葉県×イサキ
- 千葉県×カサゴ
- 千葉県×アカアマダイ
- 千葉県×ゴマサバ
- 千葉県×ヒラメ
- 千葉県×ヒラマサ
- 千葉県×ヤリイカ
- 千葉県×マダコ
- 千葉県×キジハタ
- 千葉県×アオリイカ
- 千葉県×スズキ
- 千葉県×サワラ
- 千葉県×カンパチ
- 千葉県×メバル
- 千葉県×タチウオ
- 千葉県×シロギス
- 千葉県×オニカサゴ
- 千葉県×ケンサキイカ
- 千葉県×マハタ
- 千葉県×クロダイ
- 千葉県×アカムツ
- 千葉県×チダイ
- 千葉県×マゴチ
- 千葉県×クロムツ
- 千葉県×スルメイカ
- 千葉県×アオハタ
- 千葉県×アカハタ
- 千葉県×キハダ
- 千葉県×キダイ
- 千葉県×シロアマダイ
- 千葉県×キンメダイ
- 千葉県×アラ
- 千葉県×カワハギ
- 千葉県×カツオ
- 千葉県×クロソイ
- 千葉県×ホウボウ
- 千葉県×メダイ
- 千葉県×メジナ
- 千葉県×カイワリ
- 千葉県×ショウサイフグ
- 千葉県×チカメキントキ
- 千葉県×シログチ
- 千葉県×オオモンハタ
- 千葉県×イトヨリダイ
- 千葉県×シマアジ
- 千葉県×マコガレイ
- 千葉県×アイナメ
- 千葉県×ウスメバル
- 千葉県×シイラ
- 千葉県×ウッカリカサゴ
- 千葉県×メバチ
- 千葉県×オオメハタ
- 千葉県×アコウダイ
- 千葉県×クログチ
- 千葉県×クエ
- 千葉県×イシダイ
- 千葉県×タカサゴ
- 千葉県×ウマヅラハギ
- 千葉県×アカイサキ
- 千葉県×ムシガレイ
- 千葉県×ユメカサゴ
- 千葉県×オオサガ
- 千葉県×トラフグ
- 千葉県×メイチダイ
- 千葉県×クロシビカマス
- 千葉県×ハガツオ
- 千葉県×ロウニンアジ
- 千葉県×フエフキダイ
- 千葉県×アヤメカサゴ
- 千葉県×ムツ
- 千葉県×ホウキハタ
- 千葉県×マアナゴ
- 千葉県×アブラボウズ
- 千葉県×キチヌ
- 千葉県×ハチビキ
- 千葉県×シロサバフグ
- 千葉県×マサバ
- 千葉県×ハマフエフキ
- 千葉県×オオクチイシナギ
- 千葉県×クロメジナ
- 千葉県×カナガシラ
- 千葉県×バラムツ
- 千葉県×コロダイ
- 千葉県×ヒメダイ
- 千葉県×ムロアジ
- 千葉県×マトウダイ
- 千葉県×コウイカ
- 千葉県×カミナリイカ
- 千葉県×スマ
- 千葉県×ヒラソウダ
- 千葉県×ヒガンフグ
- 千葉県×ヘダイ
- 千葉県×アズマハナダイ
- 千葉県×キュウセン
- 千葉県×アカメフグ
各都道府県の人気魚種の釣果情報
- 岩手県×スルメイカ
- 岩手県×マダラ
- 岩手県×ブリ
- 岩手県×マコガレイ
- 岩手県×ヒラメ
- 宮城県×ヒラメ
- 宮城県×マアジ
- 宮城県×アイナメ
- 宮城県×マコガレイ
- 宮城県×メバル
- 福島県×マダイ
- 福島県×ヒラメ
- 福島県×チダイ
- 福島県×キツネメバル
- 福島県×アイナメ
- 茨城県×マダイ
- 茨城県×ブリ
- 茨城県×ヒラメ
- 茨城県×マダコ
- 茨城県×カサゴ
- 埼玉県×サワラ
- 埼玉県×タチウオ
- 埼玉県×マダイ
- 埼玉県×マアジ
- 埼玉県×ブリ
- 千葉県×マダイ
- 千葉県×ヒラメ
- 千葉県×マアジ
- 千葉県×イサキ
- 千葉県×マハタ
- 東京都×マアジ
- 東京都×タチウオ
- 東京都×シロギス
- 東京都×マダコ
- 東京都×スズキ
- 神奈川県×マアジ
- 神奈川県×マダイ
- 神奈川県×ブリ
- 神奈川県×アカアマダイ
- 神奈川県×タチウオ
- 新潟県×マダイ
- 新潟県×ブリ
- 新潟県×マアジ
- 新潟県×ゴマサバ
- 新潟県×キダイ
- 富山県×アオリイカ
- 富山県×マダイ
- 富山県×ブリ
- 富山県×キジハタ
- 富山県×カサゴ
- 石川県×ブリ
- 石川県×キジハタ
- 石川県×マダイ
- 石川県×カサゴ
- 石川県×ウッカリカサゴ
- 福井県×ケンサキイカ
- 福井県×マダイ
- 福井県×アオリイカ
- 福井県×スルメイカ
- 福井県×マアジ
- 静岡県×マダイ
- 静岡県×イサキ
- 静岡県×マアジ
- 静岡県×ブリ
- 静岡県×タチウオ
- 愛知県×ブリ
- 愛知県×マダイ
- 愛知県×タチウオ
- 愛知県×ホウボウ
- 愛知県×ヒラメ
- 三重県×ブリ
- 三重県×マダイ
- 三重県×ヒラメ
- 三重県×カサゴ
- 三重県×アカアマダイ
- 京都府×ケンサキイカ
- 京都府×ブリ
- 京都府×マダイ
- 京都府×スルメイカ
- 京都府×アオリイカ
- 大阪府×マダイ
- 大阪府×サワラ
- 大阪府×ブリ
- 大阪府×スズキ
- 大阪府×タチウオ
- 兵庫県×ブリ
- 兵庫県×マダイ
- 兵庫県×マダコ
- 兵庫県×サワラ
- 兵庫県×タチウオ
- 和歌山県×マダイ
- 和歌山県×ブリ
- 和歌山県×マアジ
- 和歌山県×イサキ
- 和歌山県×シロアマダイ
- 鳥取県×ケンサキイカ
- 鳥取県×アオリイカ
- 鳥取県×スルメイカ
- 鳥取県×マダイ
- 鳥取県×アオハタ
- 島根県×ケンサキイカ
- 島根県×スルメイカ
- 島根県×ゴマサバ
- 島根県×マアジ
- 島根県×コウイカ
- 岡山県×スズキ
- 岡山県×マダイ
- 岡山県×ヒラメ
- 岡山県×キジハタ
- 岡山県×クロダイ
- 広島県×マダイ
- 広島県×ブリ
- 広島県×キジハタ
- 広島県×サワラ
- 広島県×シロギス
- 山口県×ケンサキイカ
- 山口県×アオリイカ
- 山口県×キジハタ
- 山口県×ブリ
- 山口県×マダイ
- 徳島県×ブリ
- 徳島県×マアジ
- 徳島県×チダイ
- 徳島県×イサキ
- 徳島県×キダイ
- 香川県×マダイ
- 香川県×アオリイカ
- 香川県×キジハタ
- 香川県×クロダイ
- 香川県×シロギス
- 愛媛県×マダイ
- 愛媛県×ブリ
- 愛媛県×キジハタ
- 愛媛県×タチウオ
- 愛媛県×サワラ
- 高知県×カンパチ
- 高知県×イサキ
- 高知県×アカアマダイ
- 高知県×マダイ
- 高知県×マアジ
- 福岡県×マダイ
- 福岡県×ヤリイカ
- 福岡県×ケンサキイカ
- 福岡県×ヒラマサ
- 福岡県×ブリ
- 佐賀県×マダイ
- 佐賀県×ヒラマサ
- 佐賀県×アカアマダイ
- 佐賀県×キダイ
- 佐賀県×キジハタ
- 長崎県×マダイ
- 長崎県×キジハタ
- 長崎県×オオモンハタ
- 長崎県×アオハタ
- 長崎県×ブリ
- 熊本県×マダイ
- 熊本県×ヒラメ
- 熊本県×メバル
- 熊本県×キジハタ
- 熊本県×カサゴ
- 鹿児島県×カンパチ
- 鹿児島県×マダイ
- 鹿児島県×ケンサキイカ
- 鹿児島県×オオモンハタ
- 鹿児島県×バラハタ
- 沖縄県×スジアラ
- 沖縄県×バラハタ
- 沖縄県×キハダ
- 沖縄県×ハマフエフキ
- 沖縄県×クエ







































マダイ船。本日、満員御礼で感謝です。潮型悪く、オマツリばかりで大苦戦。ようやく、上り際1時間前に潮型もやや戻り、連続ヒットで、一安心でした。