-
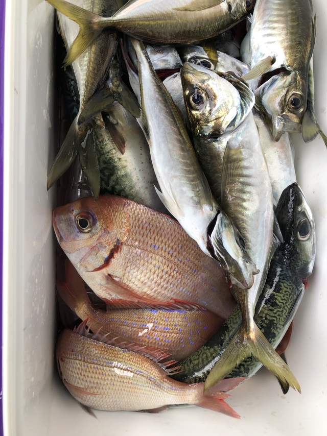
隆正丸
千葉県 旭市 飯岡漁港184日前釣行日:2025年6月5日(木)長潮ハナダイ
(チダイ)アジ 25~40cm 20~40匹 ウマズラハギ 釣行当日の潮汐
100 0 -20 0:00 6:00 12:00 18:00 24:00釣行当日の気象
-
日の出
04:21
日の入
18:50
-
月の出
13:18
月の入
00:43
-
天気
晴れ
-
気温
24℃/18℃
-
気圧
1008.4hPa
-
風
北北西
0.4m/s -
波
南
0.9m/s -
水温
18.8℃
-
潮
長潮
-
月齢
9.0
-
BI
7.5
釣行当日の気象情報を表示 釣行当日の気象情報を隠す -
長五郎丸
千葉県 旭市 飯岡漁港184日前釣行日:2025年6月5日(木)長潮ハナダイ
(チダイ)マダイ 0.30~2.00kg 0~7匹 カサゴ ハタ ホウボウ メバル ガンゾウ ヒラメ イナダ テンヤマダイ。 【乗合】今日は中鯛を中心にゲスト混じりでお土産になりました。
釣行当日の潮汐
100 0 -20 0:00 6:00 12:00 18:00 24:00釣行当日の気象
-
日の出
04:21
日の入
18:50
-
月の出
13:18
月の入
00:43
-
天気
晴れ
-
気温
24℃/18℃
-
気圧
1008.4hPa
-
風
北北西
0.4m/s -
波
南
0.9m/s -
水温
18.8℃
-
潮
長潮
-
月齢
9.0
-
BI
7.5
釣行当日の気象情報を表示 釣行当日の気象情報を隠す -
第三孝徳丸
千葉県 山武市 片貝旧港185日前釣行日:2025年6月4日(水)小潮ハナダイ
(チダイ)20~30cm 0~2匹 イサキ 29~38cm 8~35匹 アジ 20~40cm 2~16匹 サバ 36~44cm 3~8匹 今日もリレー釣りで出船、少しうねりのある中時間になり投入しすぐ当たりがありイサキの型は出るのですがバラシが多く逆潮で流れてしまう為反応に乗ってられず何度も流し変えるような感じで後半は片貝沖でアジを釣って釣りをやっていた人はお土産十分になり帰港しました、皆さんどうも有り難う御座いましたまた宜しくお願いします。・6月7日(土)イサキ花鯛で出船予定。・8日(日)イサキ花鯛で出船予定。・10日(火)イサキ花鯛で出船予定。・14日(土)イサキ花鯛で出船予定で他の曜日も予約が入ればイサキ・花鯛・テンヤ真鯛どちらでも出船しますので問い合わせお願いします。(例年通りでしたら7月1日火曜日よりヒラメ解禁です、問い合わせお願いします。)
釣行当日の潮汐
200 0 -40 0:00 6:00 12:00 18:00 24:00釣行当日の気象
-
日の出
04:22
日の入
18:49
-
月の出
12:22
月の入
00:20
-
天気
曇り時々晴れ
-
気温
27℃/18℃
-
気圧
998.7hPa
-
風
南東
1.1m/s -
波
南南東
1.3m/s -
水温
20.5℃
-
潮
小潮
-
月齢
8.0
-
BI
7.1
釣行当日の気象情報を表示 釣行当日の気象情報を隠す -
第二新亀丸
千葉県 山武市 新片貝港185日前釣行日:2025年6月4日(水)小潮ハナダイ
(チダイ)18~32cm 7~12匹 アジ 26~42cm 7~12匹 潮濁り食い渋り後半大型アジサパ混じってポツリ釣れました
釣行当日の潮汐
200 0 -40 0:00 6:00 12:00 18:00 24:00釣行当日の気象
-
日の出
04:22
日の入
18:49
-
月の出
12:22
月の入
00:20
-
天気
曇り時々晴れ
-
気温
27℃/18℃
-
気圧
998.7hPa
-
風
南東
1.1m/s -
波
南南東
1.3m/s -
水温
20.5℃
-
潮
小潮
-
月齢
8.0
-
BI
7.1
釣行当日の気象情報を表示 釣行当日の気象情報を隠す -
第1二三丸
千葉県 山武市 片貝旧港188日前釣行日:2025年6月1日(日)中潮ハナダイ
(チダイ)イサキ 23~41cm 9~45匹 マダイ メジナ サバ LTイサキ。二三丸のLTイサキでは、 コマセカゴをサニライトチビ40号か、 スリムカゴ40号錘付、 又は同等サイズでお願いしています、 申し訳ございませんが、 FLライトの使用はお控えください。LTイサキ&ハナダイ五目水深20~50m イサキもハナダイもライトタックルです、 付けエサ用のイカタンと沖アミは船宿用意有ります。 道糸1,5~2号、コマセカゴはサニーライトチビOrスリムカゴ40号。 *早朝キンメは6月からも希望が有れば受け付けます、 水深200~300mのポイントです。 キンメフラッシャーサビキ10本針エサは使わない、 道糸PE4号前後(3・4・5号)を350~400m、錘200号、 *LTヒラメは7月からです、水深25~50m ヒラメ道糸1,5~2号、錘40号限定です。 本日のコメント?言い訳か?。 久し振りの出船でした、イサキ釣りで太東沖です、 昨日の強風高波もほぼ収まり、 東沖からのウネリが少し残っている程度でした、 心配していた水温の低下も無かったが、 ポイントは逆潮でチョッとキツイ濁りでした、 反応も小さめで最初の投入では外してしまい、 急いで再度入れ直すと今度は上手くいって、 直ぐにアタリが出ました、 潮速めでだし反応も小さかったので、 早目にアタリが途切れてしまうのかと思っていたが、 船下の反応が時々途切れるが、 反応出てくると又アタリが出だして、 思いの外長く流せました、 サイズ的にも30㎝超えの良型主体に、 時々40㎝級の大型イサキも混じりました、 中盤過ぎにアタリが少なく成ったので、 ポイントを変えてみたらサイズダウン、 2~3ヵ所アタッタが25㎝程度とサイズイマイチだったので、 思い切って片貝沖まで移動してみました、 アジかハナダイと思ったのですが、 時化直後で反応に纏まりが無く、 アジは型見ず、ハナダイは型程度で終わってしまいました。松丸です、 41,5cmのイサキです、 遠峰さんです、 40㎝にチョット届かず39,5㎝でした、 この直後に松丸さんが40㎝超えちゃいました。港を出て直に虹が出てました、 180度の綺麗な虹でした。 大体今日の最大サイズはこんな感じ。
釣行当日の潮汐
200 0 -40 0:00 6:00 12:00 18:00 24:00釣行当日の気象
-
日の出
04:23
日の入
18:48
-
月の出
09:18
月の入
23:29
-
天気
曇り
-
気温
23℃/15℃
-
気圧
1003.4hPa
-
風
東北東
1.5m/s -
波
東南東
1.3m/s -
水温
19.9℃
-
潮
中潮
-
月齢
5.0
-
BI
9.0
釣行当日の気象情報を表示 釣行当日の気象情報を隠す -
豊国丸
千葉県 富津市 竹岡港188日前釣行日:2025年6月1日(日)中潮ハナダイ
(チダイ)マダイ 最大0.80kg 合計12匹 シロアマダイ イトヨリ カサゴ 良型バラシなど ヒット数からしたら もう少し数伸びでも よかったと思いますが 厳しい日でした。
釣行当日の潮汐
200 0 -40 0:00 6:00 12:00 18:00 24:00釣行当日の気象
-
日の出
04:27
日の入
18:50
-
月の出
09:22
月の入
23:32
-
天気
晴れ後時々曇り
-
気温
23℃/15℃
-
気圧
1003.3hPa
-
風
北東
1.1m/s -
波
南南西
0.2m/s -
水温
19.9℃
-
潮
中潮
-
月齢
5.0
-
BI
9.2
釣行当日の気象情報を表示 釣行当日の気象情報を隠す -
太幸丸
千葉県 旭市 飯岡漁港191日前釣行日:2025年5月29日(木)中潮ハナダイ
(チダイ)アジ 35~43cm 32~74匹 ウマヅラ サバ コマセ五目です。
釣行当日の潮汐
200 0 -40 0:00 6:00 12:00 18:00 24:00釣行当日の気象
-
日の出
04:23
日の入
18:46
-
月の出
05:48
月の入
21:27
-
天気
晴れ後一時雨
-
気温
21℃/15℃
-
気圧
1019.0hPa
-
風
東北東
1.7m/s -
波
東
0.9m/s -
水温
18.3℃
-
潮
中潮
-
月齢
2.0
-
BI
7.0
釣行当日の気象情報を表示 釣行当日の気象情報を隠す -
隆正丸
千葉県 旭市 飯岡漁港191日前釣行日:2025年5月29日(木)中潮ハナダイ
(チダイ)アジ 25~40cm 40~85匹 サバ コマセ船。11号で出船。本日も朝から好調でした。今後も楽しみです。 水深:30M。 潮色と流れ:薄濁ゆるい。 風向きと強さ:北弱い。 波高:1.0-1.5M。
釣行当日の潮汐
200 0 -40 0:00 6:00 12:00 18:00 24:00釣行当日の気象
-
日の出
04:23
日の入
18:46
-
月の出
05:48
月の入
21:27
-
天気
晴れ後一時雨
-
気温
21℃/15℃
-
気圧
1019.0hPa
-
風
東北東
1.7m/s -
波
東
0.9m/s -
水温
18.3℃
-
潮
中潮
-
月齢
2.0
-
BI
7.0
釣行当日の気象情報を表示 釣行当日の気象情報を隠す -
太幸丸
千葉県 旭市 飯岡漁港192日前釣行日:2025年5月28日(水)大潮ハナダイ
(チダイ)アジ 35~43cm 55~73匹 ウマヅラ サバ コマセ五目。シャクリが楽しいコマセ五目! 誘って誘ってジャンボハナダイ・ジャンボアジを狙いましょう。 ゲストフィッシュも多彩。 コマセカゴFL60号。 ウイリー3〜4本針。 ハリス2〜3号。 クッションゴム1.2mm20cm。 本日もありがとうございました。 またのご乗船お待ち致しております。
釣行当日の潮汐
200 0 -40 0:00 6:00 12:00 18:00 24:00釣行当日の気象
-
日の出
04:23
日の入
18:45
-
月の出
04:46
月の入
20:25
-
天気
晴れ後時々曇り
-
気温
22℃/16℃
-
気圧
1019.7hPa
-
風
北北東
4.3m/s -
波
東南東
1.5m/s -
水温
18.0℃
-
潮
大潮
-
月齢
1.0
-
BI
8.8
釣行当日の気象情報を表示 釣行当日の気象情報を隠す -
太幸丸
千葉県 旭市 飯岡漁港193日前釣行日:2025年5月27日(火)大潮ハナダイ
(チダイ)アジ 35~43cm 55~65匹 サバ コマセ五目です。皆さんクーラーボックスいっぱいに! 満場一致で9時に上がりとなりました。シャクリが楽しいコマセ五目! 誘って誘ってジャンボハナダイ・ジャンボアジを狙いましょう。 ゲストフィッシュも多彩。 コマセカゴFL60号。 ウイリー3〜4本針。 ハリス2〜3号。 クッションゴム1.2mm20cm。 本日もありがとうございました! またのご乗船お待ち致しております。
釣行当日の潮汐
200 0 -40 0:00 6:00 12:00 18:00 24:00釣行当日の気象
-
日の出
04:24
日の入
18:44
-
月の出
03:53
月の入
19:13
-
天気
曇り
-
気温
19℃/16℃
-
気圧
1023.4hPa
-
風
北東
2.9m/s -
波
東南東
0.9m/s -
水温
18.0℃
-
潮
大潮
-
月齢
29.3
-
BI
9.8
釣行当日の気象情報を表示 釣行当日の気象情報を隠す -
太幸丸
千葉県 旭市 飯岡漁港194日前釣行日:2025年5月26日(月)大潮ハナダイ
(チダイ)アジ 25~43cm 45~115匹 ウマヅラ サバ コマセ五目です。シャクリが楽しいコマセ五目! 誘って誘ってジャンボハナダイ・ジャンボアジを狙いましょう。 ゲストフィッシュも多彩。 コマセカゴFL60号。 ウイリー3〜4本針。 ハリス2〜3号。 クッションゴム1.2mm20cm。 本日もありがとうございました! またのご乗船お待ち致しております😊
釣行当日の潮汐
200 0 -40 0:00 6:00 12:00 18:00 24:00釣行当日の気象
-
日の出
04:24
日の入
18:43
-
月の出
03:09
月の入
17:55
-
天気
曇り
-
気温
20℃/17℃
-
気圧
1017.1hPa
-
風
北東
3.3m/s -
波
南南東
1.2m/s -
水温
18.0℃
-
潮
大潮
-
月齢
28.3
-
BI
10.4
釣行当日の気象情報を表示 釣行当日の気象情報を隠す -
隆正丸
千葉県 旭市 飯岡漁港194日前釣行日:2025年5月26日(月)大潮ハナダイ
(チダイ)アジ 25~40cm 13~50匹 ゴマサバ コマセ船。8号で出船。シケ後で心配でしたが、反応多く好調でした。良かったです。 水深:30M。 潮色と流れ:薄濁ゆるい。 風向きと強さ:北東弱い。 波高:1.5-2.0M。
釣行当日の潮汐
200 0 -40 0:00 6:00 12:00 18:00 24:00釣行当日の気象
-
日の出
04:24
日の入
18:43
-
月の出
03:09
月の入
17:55
-
天気
曇り
-
気温
20℃/17℃
-
気圧
1017.1hPa
-
風
北東
3.3m/s -
波
南南東
1.2m/s -
水温
18.0℃
-
潮
大潮
-
月齢
28.3
-
BI
10.4
釣行当日の気象情報を表示 釣行当日の気象情報を隠す -
豊国丸
千葉県 富津市 竹岡港194日前釣行日:2025年5月26日(月)大潮ハナダイ
(チダイ)合計4匹 マダイ 最大2.40kg 合計16匹 カサゴ アジ クロダイ スタートは、マダコ狙いへ なんだか、超久しぶりの挑戦でしたね! 型出たので、こちらもOKです! 右舷艫へ大型ヒット〜 竿立たずも何とかやり取りへ でしたが、バラシ
釣行当日の潮汐
200 0 -40 0:00 6:00 12:00 18:00 24:00釣行当日の気象
-
日の出
04:30
日の入
18:46
-
月の出
03:14
月の入
17:58
-
天気
曇り
-
気温
22℃/17℃
-
気圧
1016.7hPa
-
風
北東
2.7m/s -
波
南西
0.3m/s -
水温
19.2℃
-
潮
大潮
-
月齢
28.3
-
BI
9.5
釣行当日の気象情報を表示 釣行当日の気象情報を隠す -
長五郎丸
千葉県 旭市 飯岡漁港194日前釣行日:2025年5月26日(月)大潮ハナダイ
(チダイ)マダイ 0.30~2.60kg 0~7匹 カサゴ サバ ホウボウ カワハギ 水深:50m。 【乗合】今日は水深が50mなので慣れない方には厳しい感じでしたが、投げて誘える方にはポツポツとアタリがあり、1.7kg、2.3kg、2.6kgの中鯛混じりでお土産になりました。
釣行当日の潮汐
200 0 -40 0:00 6:00 12:00 18:00 24:00釣行当日の気象
-
日の出
04:24
日の入
18:43
-
月の出
03:09
月の入
17:55
-
天気
曇り
-
気温
20℃/17℃
-
気圧
1017.1hPa
-
風
北東
3.3m/s -
波
南南東
1.2m/s -
水温
18.0℃
-
潮
大潮
-
月齢
28.3
-
BI
10.4
釣行当日の気象情報を表示 釣行当日の気象情報を隠す -
長五郎丸
千葉県 旭市 飯岡漁港196日前釣行日:2025年5月24日(土)中潮ハナダイ
(チダイ)マダイ 0.30~1.20kg 1~7匹 カサゴ サバ ガンゾウ ハタ ホウボウ カンパチ イナダ マトウダイ メバル 【乗合】今日はコンスタントにアタリがありゲスト混じりでお土産になりました。
釣行当日の潮汐
200 0 -40 0:00 6:00 12:00 18:00 24:00釣行当日の気象
-
日の出
04:25
日の入
18:42
-
月の出
02:02
月の入
15:22
-
天気
曇りのち一時雨
-
気温
20℃/16℃
-
気圧
1016.5hPa
-
風
北東
4.0m/s -
波
東南東
1.6m/s -
水温
17.5℃
-
潮
中潮
-
月齢
26.3
-
BI
9.0
釣行当日の気象情報を表示 釣行当日の気象情報を隠す
千葉県の人気魚種の釣果情報
- 千葉県×マダイ
- 千葉県×ブリ
- 千葉県×マアジ
- 千葉県×ヒラメ
- 千葉県×アカアマダイ
- 千葉県×カサゴ
- 千葉県×タチウオ
- 千葉県×カワハギ
- 千葉県×ヒラマサ
- 千葉県×ゴマサバ
- 千葉県×サワラ
- 千葉県×イサキ
- 千葉県×カンパチ
- 千葉県×スズキ
- 千葉県×キジハタ
- 千葉県×アオリイカ
- 千葉県×マハタ
- 千葉県×オニカサゴ
- 千葉県×クロムツ
- 千葉県×メバル
- 千葉県×ヤリイカ
- 千葉県×アカムツ
- 千葉県×チダイ
- 千葉県×アオハタ
- 千葉県×クロダイ
- 千葉県×マダコ
- 千葉県×アカハタ
- 千葉県×シロギス
- 千葉県×キダイ
- 千葉県×シロアマダイ
- 千葉県×ショウサイフグ
- 千葉県×スルメイカ
- 千葉県×キンメダイ
- 千葉県×キハダ
- 千葉県×マゴチ
- 千葉県×イトヨリダイ
- 千葉県×ホウボウ
- 千葉県×シログチ
- 千葉県×メダイ
- 千葉県×カツオ
- 千葉県×アラ
- 千葉県×オオモンハタ
- 千葉県×クロソイ
- 千葉県×メジナ
- 千葉県×カイワリ
- 千葉県×ケンサキイカ
- 千葉県×チカメキントキ
- 千葉県×シイラ
- 千葉県×シマアジ
- 千葉県×ウマヅラハギ
- 千葉県×オオメハタ
- 千葉県×ウスメバル
- 千葉県×アイナメ
- 千葉県×アコウダイ
- 千葉県×ウッカリカサゴ
- 千葉県×マコガレイ
- 千葉県×イシダイ
- 千葉県×クエ
- 千葉県×ユメカサゴ
- 千葉県×コウイカ
- 千葉県×アカイサキ
- 千葉県×オオサガ
- 千葉県×ムシガレイ
- 千葉県×フエフキダイ
- 千葉県×メイチダイ
- 千葉県×クロシビカマス
- 千葉県×ムツ
- 千葉県×ハガツオ
- 千葉県×アヤメカサゴ
- 千葉県×ホウキハタ
- 千葉県×ヒラソウダ
- 千葉県×ロウニンアジ
- 千葉県×クログチ
- 千葉県×カミナリイカ
- 千葉県×ハチビキ
- 千葉県×ハマフエフキ
- 千葉県×シロサバフグ
- 千葉県×アブラボウズ
- 千葉県×キチヌ
- 千葉県×マサバ
- 千葉県×アカカマス
- 千葉県×ヒメダイ
- 千葉県×アカヤガラ
- 千葉県×コロダイ
- 千葉県×クロメジナ
- 千葉県×ヘダイ
- 千葉県×マトウダイ
- 千葉県×ウメイロ
- 千葉県×スマ
- 千葉県×オオクチイシナギ
- 千葉県×マハゼ
- 千葉県×ヒガンフグ
- 千葉県×タケノコメバル
- 千葉県×カナガシラ
- 千葉県×アカメフグ
- 千葉県×シロダイ
- 千葉県×オキアジ
- 千葉県×キュウセン
- 千葉県×カマスサワラ
各都道府県の人気魚種の釣果情報
- 岩手県×マダラ
- 岩手県×スルメイカ
- 岩手県×ケンサキイカ
- 岩手県×マコガレイ
- 岩手県×ブリ
- 宮城県×ヒラメ
- 宮城県×マアジ
- 宮城県×アイナメ
- 宮城県×マコガレイ
- 宮城県×メバル
- 福島県×マダイ
- 福島県×ヒラメ
- 福島県×メバル
- 福島県×チダイ
- 福島県×アイナメ
- 茨城県×マダイ
- 茨城県×ヒラメ
- 茨城県×ブリ
- 茨城県×マダコ
- 茨城県×カサゴ
- 埼玉県×サワラ
- 埼玉県×タチウオ
- 埼玉県×マダイ
- 埼玉県×ホウボウ
- 埼玉県×ブリ
- 千葉県×マダイ
- 千葉県×ヒラメ
- 千葉県×マアジ
- 千葉県×イサキ
- 千葉県×マハタ
- 東京都×マアジ
- 東京都×タチウオ
- 東京都×シロギス
- 東京都×マダコ
- 東京都×スズキ
- 神奈川県×マアジ
- 神奈川県×マダイ
- 神奈川県×タチウオ
- 神奈川県×アカアマダイ
- 神奈川県×ブリ
- 新潟県×マダイ
- 新潟県×マアジ
- 新潟県×ゴマサバ
- 新潟県×ブリ
- 新潟県×キダイ
- 富山県×アオリイカ
- 富山県×マダイ
- 富山県×キジハタ
- 富山県×カサゴ
- 富山県×マアジ
- 石川県×ブリ
- 石川県×キジハタ
- 石川県×マダイ
- 石川県×マアジ
- 石川県×ウッカリカサゴ
- 福井県×ケンサキイカ
- 福井県×マダイ
- 福井県×アオリイカ
- 福井県×スルメイカ
- 福井県×マアジ
- 静岡県×マダイ
- 静岡県×マアジ
- 静岡県×イサキ
- 静岡県×タチウオ
- 静岡県×アカアマダイ
- 愛知県×ブリ
- 愛知県×マダイ
- 愛知県×タチウオ
- 愛知県×ヒラメ
- 愛知県×シロサバフグ
- 三重県×ブリ
- 三重県×マダイ
- 三重県×ヒラメ
- 三重県×カサゴ
- 三重県×サワラ
- 京都府×ケンサキイカ
- 京都府×ブリ
- 京都府×マダイ
- 京都府×スルメイカ
- 京都府×アオリイカ
- 大阪府×ブリ
- 大阪府×マダイ
- 大阪府×スズキ
- 大阪府×サワラ
- 大阪府×カサゴ
- 兵庫県×ブリ
- 兵庫県×マダイ
- 兵庫県×マダコ
- 兵庫県×サワラ
- 兵庫県×タチウオ
- 和歌山県×マダイ
- 和歌山県×ブリ
- 和歌山県×マアジ
- 和歌山県×イサキ
- 和歌山県×シロアマダイ
- 鳥取県×ケンサキイカ
- 鳥取県×アオリイカ
- 鳥取県×スルメイカ
- 鳥取県×アオハタ
- 鳥取県×カサゴ
- 島根県×ケンサキイカ
- 島根県×スルメイカ
- 島根県×ゴマサバ
- 島根県×マアジ
- 島根県×コウイカ
- 岡山県×スズキ
- 岡山県×マダイ
- 岡山県×クロダイ
- 岡山県×キジハタ
- 岡山県×ヒラメ
- 広島県×マダイ
- 広島県×ブリ
- 広島県×キジハタ
- 広島県×サワラ
- 広島県×シロギス
- 山口県×ケンサキイカ
- 山口県×キジハタ
- 山口県×アオリイカ
- 山口県×マダイ
- 山口県×ヒラマサ
- 徳島県×ブリ
- 徳島県×マアジ
- 徳島県×カンパチ
- 徳島県×チダイ
- 徳島県×イサキ
- 香川県×マダイ
- 香川県×アオリイカ
- 香川県×シロギス
- 香川県×ヒラメ
- 香川県×キジハタ
- 愛媛県×マダイ
- 愛媛県×ブリ
- 愛媛県×キジハタ
- 愛媛県×タチウオ
- 愛媛県×マダコ
- 高知県×カンパチ
- 高知県×イサキ
- 高知県×マアジ
- 高知県×マダイ
- 高知県×チダイ
- 福岡県×マダイ
- 福岡県×ヤリイカ
- 福岡県×ケンサキイカ
- 福岡県×ブリ
- 福岡県×ヒラマサ
- 佐賀県×サワラ
- 佐賀県×ブリ
- 佐賀県×アオリイカ
- 佐賀県×クエ
- 佐賀県×マアジ
- 長崎県×マダイ
- 長崎県×キジハタ
- 長崎県×オオモンハタ
- 長崎県×ブリ
- 長崎県×ヒラマサ
- 熊本県×マダイ
- 熊本県×タチウオ
- 熊本県×キジハタ
- 熊本県×カサゴ
- 熊本県×ヒラメ
- 鹿児島県×カンパチ
- 鹿児島県×オオモンハタ
- 鹿児島県×アカハタ
- 鹿児島県×マダイ
- 鹿児島県×ケンサキイカ
- 沖縄県×スジアラ
- 沖縄県×キハダ
- 沖縄県×タカサゴ
- 沖縄県×バラハタ
- 沖縄県×クエ














































コマセ船。 11号で出船。久しぶりでしたが反応あり、ポツポツ上がりました。今後も楽しめそうです。 水深:30M。