-
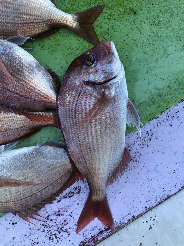
豊国丸
千葉県 富津市 竹岡港163日前釣行日:2025年6月26日(木)大潮ハナダイ
(チダイ)マダイ 合計9匹 ヒラメ ホウボウ カサゴ 釣行当日の潮汐
200 0 -40 0:00 6:00 12:00 18:00 24:00釣行当日の気象
-
日の出
04:27
日の入
18:59
-
月の出
04:41
月の入
20:07
-
天気
曇りのち一時雨
-
気温
31℃/24℃
-
気圧
1009.4hPa
-
風
西南西
2.9m/s -
波
西
0.2m/s -
水温
24.5℃
-
潮
大潮
-
月齢
0.7
-
BI
8.5
釣行当日の気象情報を表示 釣行当日の気象情報を隠す -
豊国丸
千葉県 富津市 竹岡港163日前釣行日:2025年6月26日(木)大潮ハナダイ
(チダイ)マダイ 合計9匹 ヒラメ ホウボウ カサゴ 一つテンヤの皆さんです。 タイ型程度、イトヨリ、カサゴなど
釣行当日の潮汐
200 0 -40 0:00 6:00 12:00 18:00 24:00釣行当日の気象
-
日の出
04:27
日の入
18:59
-
月の出
04:41
月の入
20:07
-
天気
曇りのち一時雨
-
気温
31℃/24℃
-
気圧
1009.4hPa
-
風
西南西
2.9m/s -
波
西
0.2m/s -
水温
24.5℃
-
潮
大潮
-
月齢
0.7
-
BI
8.5
釣行当日の気象情報を表示 釣行当日の気象情報を隠す -
豊国丸
千葉県 富津市 竹岡港168日前釣行日:2025年6月21日(土)若潮ハナダイ
(チダイ)マダイ 最大1.20kg 合計17匹 カサゴ イラ ムシガレイ 初挑戦3名様含め 賑やかな若いメンバーでした。 希望でマダコからスタート がしかし・・・ 移動しまくるも型のみ。 諦めて、本命マダイへ切り替え 一流しよかったものの その後は、パッとせず それでも、初挑戦の方へ キロオーバーなどヒット。 女性4枚ゲット
釣行当日の潮汐
200 0 -40 0:00 6:00 12:00 18:00 24:00釣行当日の気象
-
日の出
04:26
日の入
18:59
-
月の出
00:36
月の入
14:20
-
天気
晴れ時々曇り
-
気温
30℃/22℃
-
気圧
1013.5hPa
-
風
南南西
3.3m/s -
波
南西
0.2m/s -
水温
23.9℃
-
潮
若潮
-
月齢
25.0
-
BI
10.0
釣行当日の気象情報を表示 釣行当日の気象情報を隠す -
長五郎丸
千葉県 旭市 飯岡漁港168日前釣行日:2025年6月21日(土)若潮ハナダイ
(チダイ)マダイ 0.50~0.70kg 0~1匹 カサゴ カンダイ クロメバル マダコ ショウサイフグ イナダ 【乗合】今日はマダイは少なかったですがカサゴなどのゲスト多数でお土産になりました。
釣行当日の潮汐
200 0 -40 0:00 6:00 12:00 18:00 24:00釣行当日の気象
-
日の出
04:21
日の入
18:56
-
月の出
00:31
月の入
14:17
-
天気
晴れ時々曇り
-
気温
29℃/22℃
-
気圧
1013.9hPa
-
風
南
2.5m/s -
波
東南東
0.6m/s -
水温
22.8℃
-
潮
若潮
-
月齢
25.0
-
BI
7.5
釣行当日の気象情報を表示 釣行当日の気象情報を隠す -
幸辰丸
千葉県 山武市 片貝旧港168日前釣行日:2025年6月21日(土)若潮ハナダイ
(チダイ)15~23cm 合計7匹 アジ 25~33cm 合計5匹 サバ 35~40cm 1~7匹 五目船です、水温高く潮濁り食い渋りでした、ハナダイ、アジ、サバ、カサゴ、ハタ等々上がり五目釣りにはなったが全体的に食い渋かった。皆様の乗船お待ちしております宜しくお願いします。今月残りは希望でイサキも出船致しますお問い合わせください。7月ヒラメ部分解禁ご予約受付中です宜しくお願いします。
釣行当日の潮汐
200 0 -40 0:00 6:00 12:00 18:00 24:00釣行当日の気象
-
日の出
04:22
日の入
18:56
-
月の出
00:32
月の入
14:17
-
天気
晴れ時々曇り
-
気温
30℃/22℃
-
気圧
1013.7hPa
-
風
南南東
2.2m/s -
波
東南東
0.5m/s -
水温
25.1℃
-
潮
若潮
-
月齢
25.0
-
BI
9.0
釣行当日の気象情報を表示 釣行当日の気象情報を隠す -
第1二三丸
千葉県 山武市 片貝旧港169日前釣行日:2025年6月20日(金)長潮ハナダイ
(チダイ)イサキ 22~40cm 5~21匹 アジ 16~28cm 0~8匹 キントキ マハタ カサゴ マダイ メジナ ウマヅラ サバ 本日のコメント?言い訳か? 漁業組合の総会が有るので簡単に、 イサキは大型混じりでお土産に成りました。 終盤のアジとハナダイは中・小少しでした。
釣行当日の潮汐
200 0 -40 0:00 6:00 12:00 18:00 24:00釣行当日の気象
-
日の出
04:21
日の入
18:56
-
月の出
00:03
月の入
13:05
-
天気
曇り時々晴れ
-
気温
31℃/21℃
-
気圧
1015.8hPa
-
風
東南東
2.0m/s -
波
東
0.6m/s -
水温
24.9℃
-
潮
長潮
-
月齢
24.0
-
BI
7.5
釣行当日の気象情報を表示 釣行当日の気象情報を隠す -
隆正丸
千葉県 旭市 飯岡漁港170日前釣行日:2025年6月19日(木)小潮ハナダイ
(チダイ)アジ 25~40cm 27~43匹 カサゴ マハタ コマセ船。 11号で出船。本日も海上凪良く、反応良く好調でした。水深:30M。 潮色と流れ:薄濁ゆるい。 風向きと強さ:北弱い。 波高:0.5-1.0M。
釣行当日の潮汐
200 0 -40 0:00 6:00 12:00 18:00 24:00釣行当日の気象
-
日の出
04:20
日の入
18:56
-
月の出
月の入
11:57
-
天気
晴れ時々曇り
-
気温
28℃/20℃
-
気圧
1015.6hPa
-
風
東南東
2.1m/s -
波
東南東
0.5m/s -
水温
23.1℃
-
潮
小潮
-
月齢
23.0
-
BI
8.3
釣行当日の気象情報を表示 釣行当日の気象情報を隠す -
隆正丸
千葉県 旭市 飯岡漁港171日前釣行日:2025年6月18日(水)小潮ハナダイ
(チダイ)アジ 25~40cm 27~43匹 ウマズラ サバ コマセ船。 11号で出船。海上凪良く、ポツポツアタリ皆さんお土産になりました。明日も楽しみです。 水深:30M。 潮色と流れ:薄濁ゆるい。 風向きと強さ:北弱い。 波高:1.0-1.5M。
釣行当日の潮汐
200 0 -40 0:00 6:00 12:00 18:00 24:00釣行当日の気象
-
日の出
04:20
日の入
18:55
-
月の出
23:36
月の入
10:50
-
天気
曇り時々晴れ
-
気温
27℃/21℃
-
気圧
1012.3hPa
-
風
北東
2.7m/s -
波
南南東
0.7m/s -
水温
22.9℃
-
潮
小潮
-
月齢
22.0
-
BI
8.3
釣行当日の気象情報を表示 釣行当日の気象情報を隠す -
富士丸
千葉県 いすみ市 大原港171日前釣行日:2025年6月18日(水)小潮ハナダイ
(チダイ)マダイ 0.40~1.50kg 3~4匹 カサゴ ハタ 午前マダイ船。マダイ、ハナダイ、カサゴ、ハタなどが釣れました。
釣行当日の潮汐
200 0 -40 0:00 6:00 12:00 18:00 24:00釣行当日の気象
-
日の出
04:23
日の入
18:55
-
月の出
23:37
月の入
10:52
-
天気
晴れ後時々曇り
-
気温
34℃/21℃
-
気圧
1012.0hPa
-
風
北北東
2.7m/s -
波
南南東
0.7m/s -
水温
24.5℃
-
潮
小潮
-
月齢
22.0
-
BI
8.3
釣行当日の気象情報を表示 釣行当日の気象情報を隠す -
第二新亀丸
千葉県 山武市 新片貝港172日前釣行日:2025年6月17日(火)小潮ハナダイ
(チダイ)18~28cm 10~27匹 潮濁り水温高く朝食い渋り後半ポツリ釣れました
釣行当日の潮汐
200 0 -40 0:00 6:00 12:00 18:00 24:00釣行当日の気象
-
日の出
04:21
日の入
18:55
-
月の出
23:09
月の入
09:45
-
天気
晴れ後時々曇り
-
気温
34℃/20℃
-
気圧
1006.3hPa
-
風
西
1.7m/s -
波
南南東
0.6m/s -
水温
23.9℃
-
潮
小潮
-
月齢
21.0
-
BI
9.0
釣行当日の気象情報を表示 釣行当日の気象情報を隠す -
長五郎丸
千葉県 旭市 飯岡漁港173日前釣行日:2025年6月16日(月)中潮ハナダイ
(チダイ)アジ 25~40cm 8~36匹 マダイ カサゴ サバ メバル コマセ五目。 水深:33m。【乗合】今日は朝からコンスタントに上がり、ゲスト混じりでお土産になりました。
釣行当日の潮汐
200 0 -40 0:00 6:00 12:00 18:00 24:00釣行当日の気象
-
日の出
04:20
日の入
18:55
-
月の出
22:41
月の入
08:38
-
天気
曇り時々晴れ
-
気温
27℃/20℃
-
気圧
1004.8hPa
-
風
東北東
2.0m/s -
波
南
1.1m/s -
水温
21.5℃
-
潮
中潮
-
月齢
20.0
-
BI
8.2
釣行当日の気象情報を表示 釣行当日の気象情報を隠す -
第三孝徳丸
千葉県 山武市 片貝旧港174日前釣行日:2025年6月15日(日)中潮ハナダイ
(チダイ)25~37cm 0~3匹 イサキ 28~43cm 7~32匹 マダイ 32~42cm 合計4匹 サバ 33~42cm 0~3匹 カンパチ 40cm 合計1匹 今日もイサキ花鯛リレー釣りで出船、ここ二日潮が濁っていてイサキの食いが悪く一桁釣果だったのでどうかなと思いながらポイントに到着、潮が澄んでいて根の上も深い所にも反応が有り期待大で投入しすぐに当たりありで大き目のイサキが釣れて来て流し変えながら数を増やして行くような感じで9時まで頑張って頂いて竿頭32匹、その後移動して片貝沖で花鯛アジサバを狙い釣れましたが型程度でした、皆さん暑い中どうも有り難う御座いましたまた宜しくお願いします。・6月21日(土)イサキ花鯛で出船予定。・22日(日)イサキ花鯛で出船予定。・28日(土)イサキ花鯛で出船予定。・7月1日(火)ヒラメで出船予定。・3日(木)ヒラメで出船予定。・6日(日)ヒラメで出船予定で他の曜日も予約が入れば6月いっぱいはイサキ花鯛で7月1日からはヒラメで出船予定です、問い合わせお願いします。
釣行当日の潮汐
200 0 -40 0:00 6:00 12:00 18:00 24:00釣行当日の気象
-
日の出
04:21
日の入
18:54
-
月の出
22:10
月の入
07:33
-
天気
曇り
-
気温
28℃/20℃
-
気圧
1001.2hPa
-
風
南西
5.1m/s -
波
南南東
1.5m/s -
水温
22.3℃
-
潮
中潮
-
月齢
19.0
-
BI
8.0
釣行当日の気象情報を表示 釣行当日の気象情報を隠す -
長五郎丸
千葉県 旭市 飯岡漁港175日前釣行日:2025年6月14日(土)中潮ハナダイ
(チダイ)マダイ 0.50~0.80kg 0~3匹 カサゴ ガンゾウ スズキ マダコ ショウサイフグ テンヤマダイ。 【乗合】今日はアタリは多かったですがマダイが少なく苦戦。カサゴなどのゲストでお土産にはなりました。
釣行当日の潮汐
200 0 -40 0:00 6:00 12:00 18:00 24:00釣行当日の気象
-
日の出
04:20
日の入
18:54
-
月の出
21:35
月の入
06:26
-
天気
曇りのち一時雨
-
気温
25℃/20℃
-
気圧
1016.5hPa
-
風
南
3.6m/s -
波
南東
0.7m/s -
水温
19.4℃
-
潮
中潮
-
月齢
18.0
-
BI
7.6
釣行当日の気象情報を表示 釣行当日の気象情報を隠す -
豊国丸
千葉県 富津市 竹岡港175日前釣行日:2025年6月14日(土)中潮ハナダイ
(チダイ)マダイ 最大1.55kg 合計24匹 アジ カサゴ カワハギ 二枚潮で苦戦、針掛かり悪く 移動しながら、単発を繰り返し作戦へ 初挑戦の方、1名様いらっしゃいましたが 船中全員が型見てよかったです。 大型ゲットならず・・・ 私が一発重量感ありましたが 数ヒロ手繰ったとことでバラシ。 今日は、何枚も外しました(ゲット3枚のみ
釣行当日の潮汐
200 0 -40 0:00 6:00 12:00 18:00 24:00釣行当日の気象
-
日の出
04:25
日の入
18:57
-
月の出
21:37
月の入
06:32
-
天気
曇りのち一時雨
-
気温
26℃/20℃
-
気圧
1016.3hPa
-
風
南
3.2m/s -
波
南南西
0.2m/s -
水温
22.5℃
-
潮
中潮
-
月齢
18.0
-
BI
7.9
釣行当日の気象情報を表示 釣行当日の気象情報を隠す -
幸辰丸
千葉県 山武市 片貝旧港175日前釣行日:2025年6月14日(土)中潮ハナダイ
(チダイ)15~30cm 0~5匹 イサキ 20~38cm 0~7匹 アジ 20~35cm 0~3匹 イサキリレー船、イサキ食い渋く当たりも少なかった、後半五目ハナダイ、アジ、サバ、カサゴ、イナダ等々上がり何とかお土産になった。今後は五目船で(イサキは終了します)ハナダイ、アジ狙って出船致します皆様の乗船お待ちしております宜しくお願いします。7月ヒラメ部分解禁こちらもご予約受付中です宜しくお願いします。
釣行当日の潮汐
200 0 -40 0:00 6:00 12:00 18:00 24:00釣行当日の気象
-
日の出
04:21
日の入
18:54
-
月の出
21:35
月の入
06:28
-
天気
曇りのち一時雨
-
気温
27℃/20℃
-
気圧
1016.4hPa
-
風
南南東
2.9m/s -
波
南東
0.6m/s -
水温
21.9℃
-
潮
中潮
-
月齢
18.0
-
BI
7.3
釣行当日の気象情報を表示 釣行当日の気象情報を隠す
千葉県の人気魚種の釣果情報
- 千葉県×マダイ
- 千葉県×ブリ
- 千葉県×マアジ
- 千葉県×ヒラメ
- 千葉県×アカアマダイ
- 千葉県×カサゴ
- 千葉県×タチウオ
- 千葉県×カワハギ
- 千葉県×ヒラマサ
- 千葉県×ゴマサバ
- 千葉県×サワラ
- 千葉県×イサキ
- 千葉県×カンパチ
- 千葉県×スズキ
- 千葉県×キジハタ
- 千葉県×アオリイカ
- 千葉県×マハタ
- 千葉県×オニカサゴ
- 千葉県×クロムツ
- 千葉県×メバル
- 千葉県×ヤリイカ
- 千葉県×アカムツ
- 千葉県×チダイ
- 千葉県×アオハタ
- 千葉県×クロダイ
- 千葉県×マダコ
- 千葉県×アカハタ
- 千葉県×シロギス
- 千葉県×キダイ
- 千葉県×シロアマダイ
- 千葉県×ショウサイフグ
- 千葉県×スルメイカ
- 千葉県×キンメダイ
- 千葉県×キハダ
- 千葉県×マゴチ
- 千葉県×イトヨリダイ
- 千葉県×ホウボウ
- 千葉県×シログチ
- 千葉県×メダイ
- 千葉県×カツオ
- 千葉県×アラ
- 千葉県×オオモンハタ
- 千葉県×クロソイ
- 千葉県×メジナ
- 千葉県×カイワリ
- 千葉県×ケンサキイカ
- 千葉県×チカメキントキ
- 千葉県×シイラ
- 千葉県×シマアジ
- 千葉県×ウマヅラハギ
- 千葉県×オオメハタ
- 千葉県×ウスメバル
- 千葉県×アイナメ
- 千葉県×アコウダイ
- 千葉県×ウッカリカサゴ
- 千葉県×マコガレイ
- 千葉県×イシダイ
- 千葉県×クエ
- 千葉県×ユメカサゴ
- 千葉県×コウイカ
- 千葉県×アカイサキ
- 千葉県×オオサガ
- 千葉県×ムシガレイ
- 千葉県×フエフキダイ
- 千葉県×メイチダイ
- 千葉県×クロシビカマス
- 千葉県×ムツ
- 千葉県×ハガツオ
- 千葉県×アヤメカサゴ
- 千葉県×ホウキハタ
- 千葉県×ヒラソウダ
- 千葉県×ロウニンアジ
- 千葉県×クログチ
- 千葉県×カミナリイカ
- 千葉県×ハチビキ
- 千葉県×ハマフエフキ
- 千葉県×シロサバフグ
- 千葉県×アブラボウズ
- 千葉県×キチヌ
- 千葉県×マサバ
- 千葉県×アカカマス
- 千葉県×ヒメダイ
- 千葉県×アカヤガラ
- 千葉県×コロダイ
- 千葉県×クロメジナ
- 千葉県×ヘダイ
- 千葉県×マトウダイ
- 千葉県×ウメイロ
- 千葉県×スマ
- 千葉県×オオクチイシナギ
- 千葉県×マハゼ
- 千葉県×ヒガンフグ
- 千葉県×タケノコメバル
- 千葉県×カナガシラ
- 千葉県×アカメフグ
- 千葉県×シロダイ
- 千葉県×オキアジ
- 千葉県×キュウセン
- 千葉県×カマスサワラ
各都道府県の人気魚種の釣果情報
- 岩手県×マダラ
- 岩手県×スルメイカ
- 岩手県×ケンサキイカ
- 岩手県×マコガレイ
- 岩手県×ブリ
- 宮城県×ヒラメ
- 宮城県×マアジ
- 宮城県×アイナメ
- 宮城県×マコガレイ
- 宮城県×メバル
- 福島県×マダイ
- 福島県×ヒラメ
- 福島県×メバル
- 福島県×チダイ
- 福島県×アイナメ
- 茨城県×マダイ
- 茨城県×ヒラメ
- 茨城県×ブリ
- 茨城県×マダコ
- 茨城県×カサゴ
- 埼玉県×サワラ
- 埼玉県×タチウオ
- 埼玉県×マダイ
- 埼玉県×ホウボウ
- 埼玉県×ブリ
- 千葉県×マダイ
- 千葉県×ヒラメ
- 千葉県×マアジ
- 千葉県×イサキ
- 千葉県×マハタ
- 東京都×マアジ
- 東京都×タチウオ
- 東京都×シロギス
- 東京都×マダコ
- 東京都×スズキ
- 神奈川県×マアジ
- 神奈川県×マダイ
- 神奈川県×タチウオ
- 神奈川県×アカアマダイ
- 神奈川県×ブリ
- 新潟県×マダイ
- 新潟県×マアジ
- 新潟県×ゴマサバ
- 新潟県×ブリ
- 新潟県×キダイ
- 富山県×アオリイカ
- 富山県×マダイ
- 富山県×キジハタ
- 富山県×カサゴ
- 富山県×マアジ
- 石川県×ブリ
- 石川県×キジハタ
- 石川県×マダイ
- 石川県×マアジ
- 石川県×ウッカリカサゴ
- 福井県×ケンサキイカ
- 福井県×マダイ
- 福井県×アオリイカ
- 福井県×スルメイカ
- 福井県×マアジ
- 静岡県×マダイ
- 静岡県×マアジ
- 静岡県×イサキ
- 静岡県×タチウオ
- 静岡県×アカアマダイ
- 愛知県×ブリ
- 愛知県×マダイ
- 愛知県×タチウオ
- 愛知県×ヒラメ
- 愛知県×シロサバフグ
- 三重県×ブリ
- 三重県×マダイ
- 三重県×ヒラメ
- 三重県×カサゴ
- 三重県×サワラ
- 京都府×ケンサキイカ
- 京都府×ブリ
- 京都府×マダイ
- 京都府×スルメイカ
- 京都府×アオリイカ
- 大阪府×ブリ
- 大阪府×マダイ
- 大阪府×スズキ
- 大阪府×サワラ
- 大阪府×カサゴ
- 兵庫県×ブリ
- 兵庫県×マダイ
- 兵庫県×マダコ
- 兵庫県×サワラ
- 兵庫県×タチウオ
- 和歌山県×マダイ
- 和歌山県×ブリ
- 和歌山県×マアジ
- 和歌山県×イサキ
- 和歌山県×シロアマダイ
- 鳥取県×ケンサキイカ
- 鳥取県×アオリイカ
- 鳥取県×スルメイカ
- 鳥取県×アオハタ
- 鳥取県×カサゴ
- 島根県×ケンサキイカ
- 島根県×スルメイカ
- 島根県×ゴマサバ
- 島根県×マアジ
- 島根県×コウイカ
- 岡山県×スズキ
- 岡山県×マダイ
- 岡山県×クロダイ
- 岡山県×キジハタ
- 岡山県×ヒラメ
- 広島県×マダイ
- 広島県×ブリ
- 広島県×キジハタ
- 広島県×サワラ
- 広島県×シロギス
- 山口県×ケンサキイカ
- 山口県×キジハタ
- 山口県×アオリイカ
- 山口県×マダイ
- 山口県×ヒラマサ
- 徳島県×ブリ
- 徳島県×マアジ
- 徳島県×カンパチ
- 徳島県×チダイ
- 徳島県×イサキ
- 香川県×マダイ
- 香川県×アオリイカ
- 香川県×シロギス
- 香川県×ヒラメ
- 香川県×キジハタ
- 愛媛県×マダイ
- 愛媛県×ブリ
- 愛媛県×キジハタ
- 愛媛県×タチウオ
- 愛媛県×マダコ
- 高知県×カンパチ
- 高知県×イサキ
- 高知県×マアジ
- 高知県×マダイ
- 高知県×チダイ
- 福岡県×マダイ
- 福岡県×ヤリイカ
- 福岡県×ケンサキイカ
- 福岡県×ブリ
- 福岡県×ヒラマサ
- 佐賀県×サワラ
- 佐賀県×ブリ
- 佐賀県×アオリイカ
- 佐賀県×クエ
- 佐賀県×マアジ
- 長崎県×マダイ
- 長崎県×キジハタ
- 長崎県×オオモンハタ
- 長崎県×ブリ
- 長崎県×ヒラマサ
- 熊本県×マダイ
- 熊本県×タチウオ
- 熊本県×キジハタ
- 熊本県×カサゴ
- 熊本県×ヒラメ
- 鹿児島県×カンパチ
- 鹿児島県×オオモンハタ
- 鹿児島県×アカハタ
- 鹿児島県×マダイ
- 鹿児島県×ケンサキイカ
- 沖縄県×スジアラ
- 沖縄県×キハダ
- 沖縄県×タカサゴ
- 沖縄県×バラハタ
- 沖縄県×クエ





































一つテンヤの皆さんです。 タイ型程度、イトヨリ、カサゴなど