-
太幸丸
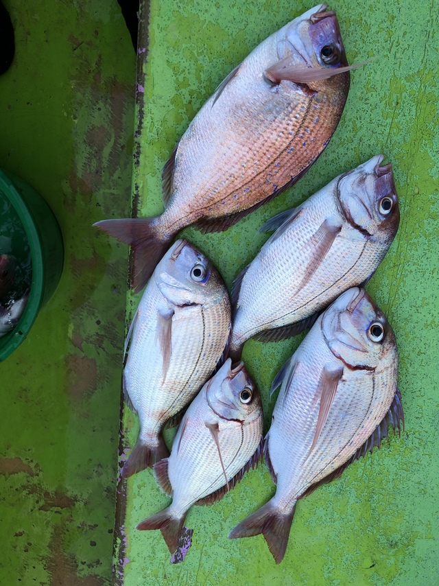
千葉県 旭市 飯岡漁港134日前釣行日:2025年12月23日(火)中潮ハナダイ
(チダイ)20~35cm 5~15匹 ヒラメ 1.00~5.00kg 1~4匹 イサキ ウマヅラ 釣行当日の潮汐
200 0 -40 0:00 6:00 12:00 18:00 24:00釣行当日の気象
-
日の出
06:43
日の入
16:28
-
月の出
09:08
月の入
19:16
-
天気
晴れ後時々曇り
-
気温
11℃/6℃
-
気圧
1032.3hPa
-
風
北北東
3.4m/s -
波
東
1.4m/s -
水温
16.0℃
-
潮
中潮
-
月齢
3.1
-
BI
7.1
釣行当日の気象情報を表示 釣行当日の気象情報を隠す -
新栄丸
千葉県 鴨川市 江見漁港134日前釣行日:2025年12月23日(火)中潮ハナダイ
(チダイ)イサキ 竿頭25匹 マハタ アマダイ マダイ キダイ メジナ カイワリ キントキ ホウボウ カサゴ ウマヅラハギ サバ コマセ五目釣りで出船 今日もやや風強い中での釣りになりました。イサキは多点掛け入れ食いの方がいました。やはり仕掛けはオリジナルの仕掛けおすすめです。飽きてしまったのでポイント周り,魚種多彩です。明日から黒ムツ・五目で出船致しますのでご予約お待ちしております。
釣行当日の潮汐
200 0 -40 0:00 6:00 12:00 18:00 24:00釣行当日の気象
-
日の出
06:45
日の入
16:33
-
月の出
09:09
月の入
19:21
-
天気
晴れ後時々曇り
-
気温
12℃/6℃
-
気圧
1031.8hPa
-
風
北北東
4.1m/s -
波
東
1.5m/s -
水温
18.9℃
-
潮
中潮
-
月齢
3.1
-
BI
7.9
釣行当日の気象情報を表示 釣行当日の気象情報を隠す -
隆正丸
千葉県 旭市 飯岡漁港134日前釣行日:2025年12月23日(火)中潮ハナダイ
(チダイ)20~35cm 50~50匹 イナ ウマズラ コマセ船。18号で出船。朝方はダメでしたが、明るくなると終始入れ食いでクーラー満タン好調でした。水深:30M。 潮色と流れ:薄濁速い。 風向きと強さ:北ほどほど。 波高:2.0-2.5M。
釣行当日の潮汐
200 0 -40 0:00 6:00 12:00 18:00 24:00釣行当日の気象
-
日の出
06:43
日の入
16:28
-
月の出
09:08
月の入
19:16
-
天気
晴れ後時々曇り
-
気温
11℃/6℃
-
気圧
1032.3hPa
-
風
北北東
3.4m/s -
波
東
1.4m/s -
水温
16.0℃
-
潮
中潮
-
月齢
3.1
-
BI
7.1
釣行当日の気象情報を表示 釣行当日の気象情報を隠す -
第二新亀丸
千葉県 山武市 新片貝港134日前釣行日:2025年12月23日(火)中潮ハナダイ
(チダイ)20~36cm 10~50匹 潮濁り水温下り食い渋り後半大型花鯛混じってポツリ釣れました
釣行当日の潮汐
200 0 -40 0:00 6:00 12:00 18:00 24:00釣行当日の気象
-
日の出
06:43
日の入
16:29
-
月の出
09:08
月の入
19:17
-
天気
晴れ後時々曇り
-
気温
11℃/6℃
-
気圧
1032.3hPa
-
風
北北東
2.9m/s -
波
東
1.3m/s -
水温
12.0℃
-
潮
中潮
-
月齢
3.1
-
BI
8.0
釣行当日の気象情報を表示 釣行当日の気象情報を隠す -
新栄丸
千葉県 鴨川市 江見漁港135日前釣行日:2025年12月22日(月)中潮ハナダイ
(チダイ)イサキ マハタ マダイ メジナ キントキ ホウボウ カイワリ キダイ ウマヅラハギ 本日はコマセ五目釣りに出船!! 予報より海悪くポイント周りにくい1日でした。基本長ハリスで楽しんでいただき、イサキお土産確保して、明日もコマセ五目釣りで出船ですが、まだ3名ですのでご予約お待ちしております。24日(水)から27日(土)は黒ムツ・五目船で出船します。今日は爆釣だったみたい・・・・・。
釣行当日の潮汐
200 0 -40 0:00 6:00 12:00 18:00 24:00釣行当日の気象
-
日の出
06:44
日の入
16:32
-
月の出
08:32
月の入
18:18
-
天気
曇り
-
気温
12℃/8℃
-
気圧
1022.9hPa
-
風
北北東
5.5m/s -
波
南東
1.8m/s -
水温
19.1℃
-
潮
中潮
-
月齢
2.1
-
BI
7.0
釣行当日の気象情報を表示 釣行当日の気象情報を隠す -
豊国丸
千葉県 富津市 竹岡港136日前釣行日:2025年12月21日(日)大潮ハナダイ
(チダイ)合計1匹 マダイ 最大1.50kg 合計7匹 スタート間もなく下げも流れ出し いけるか?と期待も 条件いいのにー アタリもなく移動繰り返し わずかな時間のみでした。 昼前に剣崎13m 海も悪くなりそうなので 早上がり
釣行当日の潮汐
200 0 -40 0:00 6:00 12:00 18:00 24:00釣行当日の気象
-
日の出
06:45
日の入
16:33
-
月の出
07:49
月の入
17:18
-
天気
雨時々止む
-
気温
20℃/11℃
-
気圧
1018.2hPa
-
風
南南西
4.3m/s -
波
南南西
0.5m/s -
水温
19.4℃
-
潮
大潮
-
月齢
1.1
-
BI
8.6
釣行当日の気象情報を表示 釣行当日の気象情報を隠す -
東丸
千葉県 安房郡鋸南町 保田港137日前釣行日:2025年12月20日(土)大潮ハナダイ
(チダイ)マダイ 0.70~6.20kg 0~7匹 ヒラソーダ マダイ船。朝一番モンスター! エサ取りと格闘しながらポツポツヒットでした。
釣行当日の潮汐
200 0 -40 0:00 6:00 12:00 18:00 24:00釣行当日の気象
-
日の出
06:44
日の入
16:32
-
月の出
06:59
月の入
16:20
-
天気
曇りのち一時雨
-
気温
18℃/10℃
-
気圧
1027.5hPa
-
風
南
6.4m/s -
波
南
0.6m/s -
水温
19.5℃
-
潮
大潮
-
月齢
0.1
-
BI
8.0
釣行当日の気象情報を表示 釣行当日の気象情報を隠す -
長栄丸 -大原-
千葉県 いすみ市 大原港137日前釣行日:2025年12月20日(土)大潮ハナダイ
(チダイ)マダイ 0.30~1.20kg 10~15匹 フグ 午後マダイ釣果。 午後からもキロ級多く交じり、好調に釣れました! 最後は南西風が強く吹いてしまったので納竿しました!
釣行当日の潮汐
200 0 -40 0:00 6:00 12:00 18:00 24:00釣行当日の気象
-
日の出
06:42
日の入
16:30
-
月の出
06:57
月の入
16:17
-
天気
曇りのち一時雨
-
気温
12℃/10℃
-
気圧
1027.8hPa
-
風
南
4.3m/s -
波
南東
1.4m/s -
水温
12.7℃
-
潮
大潮
-
月齢
0.1
-
BI
8.4
釣行当日の気象情報を表示 釣行当日の気象情報を隠す -
新幸丸
千葉県 いすみ市 大原港137日前釣行日:2025年12月20日(土)大潮ハナダイ
(チダイ)マダイ 0.30~1.50kg 0~14匹 ハタ カサゴ カンダイ ウマズラ 午前マダイ船です。 潮全く流れ無かったが後半喰い良くなり良型マダイ混じりながら中鯛も入った、二桁以上も3名になりました。(0は船酔い1名)
釣行当日の潮汐
200 0 -40 0:00 6:00 12:00 18:00 24:00釣行当日の気象
-
日の出
06:42
日の入
16:30
-
月の出
06:57
月の入
16:17
-
天気
曇りのち一時雨
-
気温
12℃/10℃
-
気圧
1027.8hPa
-
風
南
4.3m/s -
波
南東
1.4m/s -
水温
12.7℃
-
潮
大潮
-
月齢
0.1
-
BI
8.4
釣行当日の気象情報を表示 釣行当日の気象情報を隠す -
聡丸
千葉県 鴨川市 太海漁港137日前釣行日:2025年12月20日(土)大潮ハナダイ
(チダイ)クロムツ 0~3匹 アマダイ 0~2匹 ホウボウ キダイ オニカサゴ Fサビキ五目は、クロムツは潮の流れぶっ飛びで、顔見ただけで0~3匹。良い外道も潮ぶっ飛びでしたが、反応はバリバリでしたので、1流し1回旋回で協力して頂き、落とせば食うでゾロゾロ~もあり、お刺身サイズも交じってお土産に。忙しい釣りで、漁師体験して頂きました。。。 後半のアマダイ五目も潮の流れ速すぎでしたが アマダイ大中型ポツリで0~2匹2匹2名 ホウボウ・キダイ・ハナダイ・鬼カサゴなど
釣行当日の潮汐
200 0 -40 0:00 6:00 12:00 18:00 24:00釣行当日の気象
-
日の出
06:43
日の入
16:31
-
月の出
06:58
月の入
16:20
-
天気
曇りのち一時雨
-
気温
18℃/10℃
-
気圧
1027.7hPa
-
風
南
5.6m/s -
波
南東
1.5m/s -
水温
19.5℃
-
潮
大潮
-
月齢
0.1
-
BI
8.3
釣行当日の気象情報を表示 釣行当日の気象情報を隠す -
隆正丸
千葉県 旭市 飯岡漁港137日前釣行日:2025年12月20日(土)大潮ハナダイ
(チダイ)20~38cm 15~49匹 アジ コマセ船。 8号で出船。昨日と打って変わって潮が止まり反応固まり、好調でした。 水深:30M。
釣行当日の潮汐
200 0 -40 0:00 6:00 12:00 18:00 24:00釣行当日の気象
-
日の出
06:42
日の入
16:27
-
月の出
06:57
月の入
16:14
-
天気
曇りのち一時雨
-
気温
17℃/10℃
-
気圧
1027.9hPa
-
風
南
4.8m/s -
波
南東
1.4m/s -
水温
16.3℃
-
潮
大潮
-
月齢
0.1
-
BI
9.0
釣行当日の気象情報を表示 釣行当日の気象情報を隠す -
第二新亀丸
千葉県 山武市 新片貝港137日前釣行日:2025年12月20日(土)大潮ハナダイ
(チダイ)18~36cm 5~39匹 ヒラメ 0.50~1.80kg 2~5匹 潮澄み水温安定して良型混じってポツリ釣れヒラメ17枚釣れました
釣行当日の潮汐
200 0 -40 0:00 6:00 12:00 18:00 24:00釣行当日の気象
-
日の出
06:42
日の入
16:28
-
月の出
06:57
月の入
16:16
-
天気
曇りのち一時雨
-
気温
12℃/10℃
-
気圧
1027.8hPa
-
風
南
3.5m/s -
波
南東
1.2m/s -
水温
12.7℃
-
潮
大潮
-
月齢
0.1
-
BI
8.7
釣行当日の気象情報を表示 釣行当日の気象情報を隠す -
第三孝徳丸
千葉県 山武市 片貝旧港137日前釣行日:2025年12月20日(土)大潮ハナダイ
(チダイ)20~38cm 4~10匹 ヒラメ 0.60~2.30kg 0~3匹 ハタ 0.50~2.00kg 合計8匹 カサゴ 0.30~1.60kg 合計7匹 今日は花鯛とヒラメのリレーで出船、朝一は花鯛で反応が船下に落ち着かずポツリポツリポツリ釣れるまで時間がかかりお土産程度の釣果で後半終了時間までヒラメを頑張って頂き2.3㎏を筆頭に竿頭3匹と言うような釣果で帰港しました、皆さん寒い中どうも有り難う御座いましたまた宜しくお願いします。・12月25日(木)花鯛で出船予定。・27日(土)花鯛ヒラメで出船予定。・28日(日)花鯛ヒラメで出船予定。・29日(月)花鯛ヒラメで出船予定。・30日(火)花鯛で出船予定。令和8年1月17日(土)ヒラメで出船予定で他の曜日も予約が入れば花鯛・ヒラメ・テンヤ真鯛どちらでも出船しますので問い合わせお願いします。(新年は令和8年1月3日土曜日より出船を予定してます、問い合わせお願いします。)
釣行当日の潮汐
200 0 -40 0:00 6:00 12:00 18:00 24:00釣行当日の気象
-
日の出
06:42
日の入
16:28
-
月の出
06:57
月の入
16:16
-
天気
曇りのち一時雨
-
気温
12℃/10℃
-
気圧
1027.8hPa
-
風
南
3.5m/s -
波
南東
1.2m/s -
水温
12.7℃
-
潮
大潮
-
月齢
0.1
-
BI
8.7
釣行当日の気象情報を表示 釣行当日の気象情報を隠す -
幸辰丸
千葉県 山武市 片貝旧港137日前釣行日:2025年12月20日(土)大潮ハナダイ
(チダイ)18~36cm 13~31匹 ハナダイ船、誘い棚取りで釣果に差が出ました良型ハナダイも混じりお土産になりました。他にウマヅラ、カサゴ、ショウサイ、メジナ、イシダイ等々混じりました。皆様の乗船お待ちしております宜しくお願いします。
釣行当日の潮汐
200 0 -40 0:00 6:00 12:00 18:00 24:00釣行当日の気象
-
日の出
06:42
日の入
16:28
-
月の出
06:57
月の入
16:16
-
天気
曇りのち一時雨
-
気温
12℃/10℃
-
気圧
1027.8hPa
-
風
南
3.5m/s -
波
南東
1.2m/s -
水温
12.7℃
-
潮
大潮
-
月齢
0.1
-
BI
8.7
釣行当日の気象情報を表示 釣行当日の気象情報を隠す -
龍鳳丸
千葉県 旭市 飯岡漁港137日前釣行日:2025年12月20日(土)大潮ハナダイ
(チダイ)18~35cm 8~25匹 ヒラメ 0.40~1.50kg 0~1匹 ヒラメとコマセハナダイのリレーです。 外道 ウマヅラ マダイ カワハギ イサキ
釣行当日の潮汐
200 0 -40 0:00 6:00 12:00 18:00 24:00釣行当日の気象
-
日の出
06:42
日の入
16:27
-
月の出
06:57
月の入
16:14
-
天気
曇りのち一時雨
-
気温
17℃/10℃
-
気圧
1027.9hPa
-
風
南
4.8m/s -
波
南東
1.4m/s -
水温
16.3℃
-
潮
大潮
-
月齢
0.1
-
BI
9.0
釣行当日の気象情報を表示 釣行当日の気象情報を隠す
千葉県の人気魚種の釣果情報
- 千葉県×マダイ
- 千葉県×ブリ
- 千葉県×マアジ
- 千葉県×イサキ
- 千葉県×カサゴ
- 千葉県×アカアマダイ
- 千葉県×ゴマサバ
- 千葉県×ヒラメ
- 千葉県×ヒラマサ
- 千葉県×ヤリイカ
- 千葉県×マダコ
- 千葉県×キジハタ
- 千葉県×アオリイカ
- 千葉県×スズキ
- 千葉県×サワラ
- 千葉県×カンパチ
- 千葉県×メバル
- 千葉県×シロギス
- 千葉県×タチウオ
- 千葉県×ケンサキイカ
- 千葉県×オニカサゴ
- 千葉県×マハタ
- 千葉県×クロダイ
- 千葉県×アカムツ
- 千葉県×チダイ
- 千葉県×マゴチ
- 千葉県×クロムツ
- 千葉県×スルメイカ
- 千葉県×アカハタ
- 千葉県×アオハタ
- 千葉県×キハダ
- 千葉県×キダイ
- 千葉県×シロアマダイ
- 千葉県×キンメダイ
- 千葉県×アラ
- 千葉県×カワハギ
- 千葉県×カツオ
- 千葉県×クロソイ
- 千葉県×ホウボウ
- 千葉県×メダイ
- 千葉県×メジナ
- 千葉県×カイワリ
- 千葉県×ショウサイフグ
- 千葉県×チカメキントキ
- 千葉県×シログチ
- 千葉県×オオモンハタ
- 千葉県×イトヨリダイ
- 千葉県×シマアジ
- 千葉県×マコガレイ
- 千葉県×アイナメ
- 千葉県×ウスメバル
- 千葉県×シイラ
- 千葉県×ウッカリカサゴ
- 千葉県×メバチ
- 千葉県×アコウダイ
- 千葉県×オオメハタ
- 千葉県×ウメイロ
- 千葉県×クログチ
- 千葉県×イシダイ
- 千葉県×ウマヅラハギ
- 千葉県×タカサゴ
- 千葉県×クエ
- 千葉県×アカイサキ
- 千葉県×ユメカサゴ
- 千葉県×ムシガレイ
- 千葉県×オオサガ
- 千葉県×トラフグ
- 千葉県×メイチダイ
- 千葉県×マアナゴ
- 千葉県×クロシビカマス
- 千葉県×ハガツオ
- 千葉県×フエフキダイ
- 千葉県×ロウニンアジ
- 千葉県×アヤメカサゴ
- 千葉県×ムツ
- 千葉県×ホウキハタ
- 千葉県×アブラボウズ
- 千葉県×マサバ
- 千葉県×ハマフエフキ
- 千葉県×オオクチイシナギ
- 千葉県×ハチビキ
- 千葉県×キチヌ
- 千葉県×シロサバフグ
- 千葉県×イシガレイ
- 千葉県×クロメジナ
- 千葉県×ムロアジ
- 千葉県×カナガシラ
- 千葉県×コロダイ
- 千葉県×アオダイ
- 千葉県×ヒメダイ
- 千葉県×バラムツ
- 千葉県×スマ
- 千葉県×ヒラソウダ
- 千葉県×ヒガンフグ
- 千葉県×マトウダイ
- 千葉県×ヘダイ
- 千葉県×コウイカ
- 千葉県×カミナリイカ
- 千葉県×キュウセン
- 千葉県×アカメフグ
- 千葉県×アズマハナダイ
各都道府県の人気魚種の釣果情報
- 岩手県×スルメイカ
- 岩手県×マダラ
- 岩手県×ブリ
- 岩手県×マコガレイ
- 岩手県×ヒラメ
- 宮城県×ヒラメ
- 宮城県×マアジ
- 宮城県×アイナメ
- 宮城県×マコガレイ
- 宮城県×メバル
- 福島県×マダイ
- 福島県×ヒラメ
- 福島県×チダイ
- 福島県×キツネメバル
- 福島県×アイナメ
- 茨城県×マダイ
- 茨城県×ブリ
- 茨城県×ヒラメ
- 茨城県×マダコ
- 茨城県×カサゴ
- 埼玉県×サワラ
- 埼玉県×タチウオ
- 埼玉県×マダイ
- 埼玉県×マアジ
- 埼玉県×ホウボウ
- 千葉県×マダイ
- 千葉県×ヒラメ
- 千葉県×マアジ
- 千葉県×イサキ
- 千葉県×マハタ
- 東京都×マアジ
- 東京都×タチウオ
- 東京都×シロギス
- 東京都×マダコ
- 東京都×スズキ
- 神奈川県×マアジ
- 神奈川県×マダイ
- 神奈川県×ブリ
- 神奈川県×アカアマダイ
- 神奈川県×タチウオ
- 新潟県×マダイ
- 新潟県×ブリ
- 新潟県×マアジ
- 新潟県×ゴマサバ
- 新潟県×キダイ
- 富山県×アオリイカ
- 富山県×マダイ
- 富山県×ブリ
- 富山県×キジハタ
- 富山県×アオハタ
- 石川県×ブリ
- 石川県×キジハタ
- 石川県×マダイ
- 石川県×カサゴ
- 石川県×ウッカリカサゴ
- 福井県×ケンサキイカ
- 福井県×マダイ
- 福井県×アオリイカ
- 福井県×スルメイカ
- 福井県×マアジ
- 静岡県×マダイ
- 静岡県×イサキ
- 静岡県×マアジ
- 静岡県×ブリ
- 静岡県×タチウオ
- 愛知県×ブリ
- 愛知県×マダイ
- 愛知県×タチウオ
- 愛知県×ホウボウ
- 愛知県×ヒラメ
- 三重県×ブリ
- 三重県×マダイ
- 三重県×ヒラメ
- 三重県×カサゴ
- 三重県×マアジ
- 京都府×ケンサキイカ
- 京都府×ブリ
- 京都府×マダイ
- 京都府×スルメイカ
- 京都府×アオリイカ
- 大阪府×マダイ
- 大阪府×サワラ
- 大阪府×ブリ
- 大阪府×スズキ
- 大阪府×タチウオ
- 兵庫県×ブリ
- 兵庫県×マダイ
- 兵庫県×マダコ
- 兵庫県×サワラ
- 兵庫県×タチウオ
- 和歌山県×マダイ
- 和歌山県×ブリ
- 和歌山県×マアジ
- 和歌山県×イサキ
- 和歌山県×シロアマダイ
- 鳥取県×ケンサキイカ
- 鳥取県×アオリイカ
- 鳥取県×マダイ
- 鳥取県×スルメイカ
- 鳥取県×アオハタ
- 島根県×ケンサキイカ
- 島根県×スルメイカ
- 島根県×ゴマサバ
- 島根県×マアジ
- 島根県×コウイカ
- 岡山県×スズキ
- 岡山県×マダイ
- 岡山県×ヒラメ
- 岡山県×キジハタ
- 岡山県×クロダイ
- 広島県×マダイ
- 広島県×ブリ
- 広島県×キジハタ
- 広島県×サワラ
- 広島県×シロギス
- 山口県×ケンサキイカ
- 山口県×アオリイカ
- 山口県×キジハタ
- 山口県×ブリ
- 山口県×マダイ
- 徳島県×ブリ
- 徳島県×マアジ
- 徳島県×チダイ
- 徳島県×イサキ
- 徳島県×キダイ
- 香川県×マダイ
- 香川県×アオリイカ
- 香川県×キジハタ
- 香川県×シロギス
- 香川県×クロダイ
- 愛媛県×マダイ
- 愛媛県×ブリ
- 愛媛県×キジハタ
- 愛媛県×タチウオ
- 愛媛県×マダコ
- 高知県×カンパチ
- 高知県×イサキ
- 高知県×アカアマダイ
- 高知県×マダイ
- 高知県×マアジ
- 福岡県×マダイ
- 福岡県×ヤリイカ
- 福岡県×ケンサキイカ
- 福岡県×ヒラマサ
- 福岡県×ブリ
- 佐賀県×ヒラマサ
- 佐賀県×マダイ
- 佐賀県×アカアマダイ
- 佐賀県×キダイ
- 佐賀県×キジハタ
- 長崎県×マダイ
- 長崎県×キジハタ
- 長崎県×オオモンハタ
- 長崎県×アオハタ
- 長崎県×ブリ
- 熊本県×マダイ
- 熊本県×ヒラメ
- 熊本県×キジハタ
- 熊本県×メバル
- 熊本県×カサゴ
- 鹿児島県×カンパチ
- 鹿児島県×オオモンハタ
- 鹿児島県×マダイ
- 鹿児島県×ケンサキイカ
- 鹿児島県×バラハタ
- 沖縄県×スジアラ
- 沖縄県×キハダ
- 沖縄県×バラハタ
- 沖縄県×ハマフエフキ
- 沖縄県×クエ





































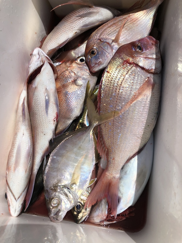
コマセ&ヒラメリレー仕立。 ハナダイ、 ヒラメ、 コマセはハナダイ反応良く釣れました! 他イサキ!ウマヅラ! ヒラメは流れ良く良型主体。 だいたい2kg台、最大5kg!