-
聡丸
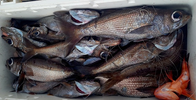
千葉県 鴨川市 太海漁港355日前釣行日:2025年5月21日(水)小潮クロムツ
竿頭18匹 ハチビキ 竿頭15匹 メダイ カガミダイ サバ アマダイ 最大52cm 0~2匹 釣行当日の潮汐
200 0 -40 0:00 6:00 12:00 18:00 24:00釣行当日の気象
-
日の出
04:32
日の入
18:41
-
月の出
00:41
月の入
11:56
-
天気
曇り
-
気温
26℃/19℃
-
気圧
1013.0hPa
-
風
南西
3.9m/s -
波
南南西
0.9m/s -
水温
18.0℃
-
潮
小潮
-
月齢
23.3
-
BI
6.7
釣行当日の気象情報を表示 釣行当日の気象情報を隠す -
新栄丸
千葉県 鴨川市 江見漁港356日前釣行日:2025年5月20日(火)小潮クロムツ
アジ サバ イサキ マダイ メジナ 最初から良型黒ムツと美味しい高級魚で入れ食いタイム有りで今日もクーラーいっぱい(^_^)v他アジ・さば後半はサバの猛攻で早めにコマセ五目へ…イサキも入れ食いタイムありでお土産出来ています。他マダイは小型のみ、マハタは不発、メジナ・アジなど。
釣行当日の潮汐
200 0 -40 0:00 6:00 12:00 18:00 24:00釣行当日の気象
-
日の出
04:32
日の入
18:41
-
月の出
00:10
月の入
10:49
-
天気
晴れ時々曇り
-
気温
27℃/19℃
-
気圧
1011.6hPa
-
風
南西
7.1m/s -
波
南
1.2m/s -
水温
18.0℃
-
潮
小潮
-
月齢
22.3
-
BI
6.9
釣行当日の気象情報を表示 釣行当日の気象情報を隠す -
第三新生合同丸
千葉県 鴨川市 鴨川漁港356日前釣行日:2025年5月20日(火)小潮クロムツ
アジ サバ ヒラメ カサゴ ガンゾウビラメ 今日も朝一フラッシャーサビキ黒むつ五目へ。何度かクロシビカマスの妨害工作にあった方もいましたが、皆さん頑張っていただきリカバリーが早っ!5点、6点、最高7点掛けなどあり数伸びました! 黒むつはデカムツ数匹混じり、良型多く混じり25匹?位〜トップ30匹オーバーが2名様!(^。^)!他に今日の裏本命良型ハチビキ多数(先日釣って皆んなで食べたら美味しくてハマってしまい、また釣ってきて〜と皆んなに言われたそうです笑)、アジ、良型サバ多数、他の魚多数などと絶好調〜(^。^)!! もう充分ですとの事で、後半戦はやらずに少し早仕舞い! エード!エエドー!!ナウナウ〜!(笑) 午後船ファミリーフィッシングも今日はイワシとサハナゴが好調に!ゲストに2キロオーバーのヒラメ、カサゴ、ガンゾウヒラメなどが登場!(^。^)! 本日は午前船も午後船もご乗船ありがとうございました。またよろしくお願いします。 明日5/21水曜日午前船はフラッシャーサビキ黒むつ五目〜泳がせ五目(ルアーOK)でまだ空き多数あります。2:00集合。 ご予約、お問合せお待ちしてマース! ほな、ばいなら〜 。
釣行当日の潮汐
200 0 -40 0:00 6:00 12:00 18:00 24:00釣行当日の気象
-
日の出
04:32
日の入
18:40
-
月の出
00:10
月の入
10:49
-
天気
晴れ時々曇り
-
気温
27℃/19℃
-
気圧
1011.6hPa
-
風
南西
7.1m/s -
波
南
1.5m/s -
水温
18.0℃
-
潮
小潮
-
月齢
22.3
-
BI
6.9
釣行当日の気象情報を表示 釣行当日の気象情報を隠す -
義丸
千葉県 夷隅郡御宿町 岩和田港356日前釣行日:2025年5月20日(火)小潮クロムツ
2~6匹 メダイ 1~3匹 オニカサゴ 合計3匹 オキカサゴ 黒ムツ~鬼カサゴ出船→潮の流れないが良型が釣れた(^_-)-☆
釣行当日の潮汐
200 0 -40 0:00 6:00 12:00 18:00 24:00釣行当日の気象
-
日の出
04:31
日の入
18:39
-
月の出
00:09
月の入
10:48
-
天気
晴れ時々曇り
-
気温
27℃/19℃
-
気圧
1011.6hPa
-
風
南西
10.1m/s -
波
南
1.5m/s -
水温
18.0℃
-
潮
小潮
-
月齢
22.3
-
BI
7.5
釣行当日の気象情報を表示 釣行当日の気象情報を隠す -
聡丸
千葉県 鴨川市 太海漁港356日前釣行日:2025年5月20日(火)小潮クロムツ
0~7匹 アマダイ キダイ ホウボウ ムシガレイ フラッシャーサビキ五目のクロムツ~アマダイ五目のリレーへ出船。 Fサビキ五目は、反応ビッシリで1流し目から、良い外道が食い良くバリバリでした。お刺身サイズも交じって、4点5点6点掛けあり数伸びました。仕掛けが悪くなければ、多点掛けと手返しで、釣果はどんどん伸びますよ。普通にできれば楽勝30匹超えです。良い外道の食い良く、クロムツの食うタイミングなく?クロムツ数伸ばせませんでした。レギュラー主体に良型交じって、デカムツは顔見ただけで0~7匹。デカムツ狙いで深いとこやっても良い外道が食ってしまいました。 後半のアマダイ五目は、アマダイ・キダイ・ホウボウ・ムシガレイ。
釣行当日の潮汐
200 0 -40 0:00 6:00 12:00 18:00 24:00釣行当日の気象
-
日の出
04:32
日の入
18:41
-
月の出
00:10
月の入
10:49
-
天気
晴れ時々曇り
-
気温
27℃/19℃
-
気圧
1011.6hPa
-
風
南西
7.1m/s -
波
南
1.5m/s -
水温
18.0℃
-
潮
小潮
-
月齢
22.3
-
BI
6.8
釣行当日の気象情報を表示 釣行当日の気象情報を隠す -
新栄丸
千葉県 鴨川市 江見漁港357日前釣行日:2025年5月19日(月)小潮クロムツ
ハチビキ アジ サバ イサキ マダイ マハタ メジナ イシダイ 黒ムツ、特大はいないものの、良型でしっかりお土産出来ました。貸竿の女性の方も釣れていました。他ハチビキ・アジ・良型さば等でクーラーは一杯(^_^)v後半のイサキ五目はなかなかいい場所見つからず、最後の30分でお土産作れた方も・・・。マダイ・マハタは残念でした。他。メジナ・小アジ・石鯛等。
釣行当日の潮汐
200 0 -40 0:00 6:00 12:00 18:00 24:00釣行当日の気象
-
日の出
04:33
日の入
18:40
-
月の出
月の入
09:43
-
天気
曇り
-
気温
25℃/17℃
-
気圧
1009.8hPa
-
風
南西
5.7m/s -
波
南
1.4m/s -
水温
18.2℃
-
潮
小潮
-
月齢
21.3
-
BI
8.2
釣行当日の気象情報を表示 釣行当日の気象情報を隠す -
義丸
千葉県 夷隅郡御宿町 岩和田港357日前釣行日:2025年5月19日(月)小潮クロムツ
2~7匹 アラ メダイ アジ カンコ 黒ムツ~鬼カサゴ出船→潮の流れ良く好調(^_-)-☆
釣行当日の潮汐
200 0 -40 0:00 6:00 12:00 18:00 24:00釣行当日の気象
-
日の出
04:31
日の入
18:38
-
月の出
月の入
09:41
-
天気
曇り
-
気温
25℃/17℃
-
気圧
1009.9hPa
-
風
南西
8.1m/s -
波
南
1.6m/s -
水温
18.2℃
-
潮
小潮
-
月齢
21.3
-
BI
8.1
釣行当日の気象情報を表示 釣行当日の気象情報を隠す -
幸昌丸
千葉県 鴨川市 太海漁港357日前釣行日:2025年5月19日(月)小潮ムツ
オニカサゴ 最大1.30kg 1~4匹 ウッカリカサゴ サバ ハチビキ 本日はフラッシャーサビキで出船。 前半のフラッシャーサビキではサバ、ハチビキが多くムツの食いも大人しい様でオカズ程度でしたね。 少し深いポイントも探していきましたが食いが無いようなので予定には無いでしたがオニカサゴへ変更してもアタリ無く、しばらくウロウロしていると良い場所にアタリまして時間が無かったでしたがバタバタと釣れだしオニカサゴは1~4匹の最大で1.3㌔、ウッカリカサゴ交じり。
釣行当日の潮汐
200 0 -40 0:00 6:00 12:00 18:00 24:00釣行当日の気象
-
日の出
04:33
日の入
18:40
-
月の出
月の入
09:43
-
天気
曇り
-
気温
25℃/17℃
-
気圧
1009.8hPa
-
風
南西
5.7m/s -
波
南南西
1.8m/s -
水温
18.2℃
-
潮
小潮
-
月齢
21.3
-
BI
8.2
釣行当日の気象情報を表示 釣行当日の気象情報を隠す -
聡丸
千葉県 鴨川市 太海漁港357日前釣行日:2025年5月19日(月)小潮クロムツ
アジ ハチビキ サバ アマダイ キダイ ホウボウ 本日は仕立船でした。 貸し竿さん半分で慣れてない方がほとんどでしたが、クロムツは順調に食い、慣れてる方は2点3点掛けもあり、 デカムツも2.3匹交じって20匹くらい釣れました。他にアジ・ハチビキ・サバ。 後半のアマダイ五目は、アマダイ・キダイ・ホウボウなど、ポツリポツリと拾えました。
釣行当日の潮汐
200 0 -40 0:00 6:00 12:00 18:00 24:00釣行当日の気象
-
日の出
04:33
日の入
18:40
-
月の出
月の入
09:43
-
天気
曇り
-
気温
25℃/17℃
-
気圧
1009.8hPa
-
風
南西
5.7m/s -
波
南南西
1.8m/s -
水温
18.2℃
-
潮
小潮
-
月齢
21.3
-
BI
8.2
釣行当日の気象情報を表示 釣行当日の気象情報を隠す -
第三新生合同丸
千葉県 鴨川市 鴨川漁港357日前釣行日:2025年5月19日(月)小潮クロムツ
ハチビキ アジ サバ 今日はシケ後で久しぶりの出船。朝一はフラッシャーサビキ黒むつ五目へ。 黒むつは反応多く、ダブルトリプルなど連発の方も!途中から良型多く混じり、2匹?(船酔いしてしまいました涙)〜トップ20匹オーバー!。他に良型ハチビキ多数、アジ、良型サバ多数などでお土産グーバッチに!(^。^)! エード!エエドー!笑笑 後半のスルメイカ調査は、反応あるも乗り渋り、調査に終わりました。 本日はご乗船ありがとうございました。またよろしくお願いします。 明日5/20火曜日午前船はフラッシャーサビキ黒むつ五目〜根魚五目(または泳がせ五目)でまだガラガラです。2:00集合。 午後船ファミリーフィッシングはまだガラガラです。9:00集合。 ご予約、お問い合わせお待ちしてマース! ほな、ばいなら〜
釣行当日の潮汐
200 0 -40 0:00 6:00 12:00 18:00 24:00釣行当日の気象
-
日の出
04:32
日の入
18:39
-
月の出
月の入
09:42
-
天気
曇り
-
気温
25℃/17℃
-
気圧
1009.8hPa
-
風
南西
5.7m/s -
波
南南西
1.8m/s -
水温
18.2℃
-
潮
小潮
-
月齢
21.3
-
BI
8.2
釣行当日の気象情報を表示 釣行当日の気象情報を隠す -
新栄丸
千葉県 鴨川市 江見漁港360日前釣行日:2025年5月16日(金)中潮クロムツ
アジ サバ イサキ マダイ メジナ ウマヅラハギ 美味しい高級魚は最初から活発で型も良く、お客様も喜んでくださいました。黒ムツもしっかりお土産釣れ前半でクーラーいっぱい(^^♪他アジ・サバも交じります。後半のイサキ五目もイサキは入れ食いタイム有りで、マダイも狙いながら楽しめたようです。イサキ・マダイ・メジナ・ウマヅラハギ等。
釣行当日の潮汐
200 0 -40 0:00 6:00 12:00 18:00 24:00釣行当日の気象
-
日の出
04:35
日の入
18:38
-
月の出
22:10
月の入
06:38
-
天気
曇り
-
気温
26℃/16℃
-
気圧
1022.0hPa
-
風
南南西
2.6m/s -
波
東南東
0.7m/s -
水温
18.2℃
-
潮
中潮
-
月齢
18.3
-
BI
7.8
釣行当日の気象情報を表示 釣行当日の気象情報を隠す -
第三新生合同丸
千葉県 鴨川市 鴨川漁港360日前釣行日:2025年5月16日(金)中潮クロムツ
マサバ アジ ゴマサバ キジハタ ヒラメ 朝一はフラッシャーサビキ黒むつ五目へ。今日は貸し竿使用の初挑戦者が半数以上。どうなる事かと心配しましたがっ! そんな心配はいらナッシングでした(笑)皆さんレクチャー通りに一生懸命に!すぐに慣れていただきました。反応も多く、当たり多く好調でした(^。^)! 黒むつは良型混じりで0?(船酔い者)〜3〜10匹。2番手9匹。最高4点掛け。他にアジ、良型マサバ、ゴマサバ、他の魚などでお土産グーバッチに!(^。^)! 後半の泳がせ五目は短時間になりましたが、女性の初挑戦者が2.67キロのキジハタ(アコウ)、1.9キロの良型ヒラメなどゲット!(^。^)!やりますね〜(笑)他に良型カサゴなど。良型バラシも何度かあり。(泣) 本日はご乗船ありがとうございました。またよろしくお願いします。 明日5/17土曜日は定休日。 18日日曜日午前船は予報次第ですが、フラッシャーサビキ黒むつ五目〜根魚五目でまだガラガラです。2:00集合。 ご予約、お問い合わせお待ちしてマース! ほな、ばいなら〜
釣行当日の潮汐
200 0 -40 0:00 6:00 12:00 18:00 24:00釣行当日の気象
-
日の出
04:34
日の入
18:37
-
月の出
22:10
月の入
06:37
-
天気
曇り
-
気温
26℃/16℃
-
気圧
1022.0hPa
-
風
南南西
2.6m/s -
波
東南東
0.7m/s -
水温
18.2℃
-
潮
中潮
-
月齢
18.3
-
BI
7.8
釣行当日の気象情報を表示 釣行当日の気象情報を隠す -
聡丸
千葉県 鴨川市 太海漁港360日前釣行日:2025年5月16日(金)中潮クロムツ
アマダイ キダイ ホウボウ フラッシャーサビキ五目のクロムツ~アマダイ五目のリレーへ出船。 Fサビキ五目は、本日もエサ反応ビッシリで、1流し目から、良い外道食いました。お刺身サイズ・良型サイズも多く交じって、5点6点7点パーフェクトもありました。ただ昨日よりも早くサバの邪魔が始まってしまいトップは25匹くらい。クロムツはデカムツ0~2と顔見た程度でしたが、良型・レギュラーサイズが3点4点5点掛けもありトップはツ抜け。底まで落ちればクロムツ食うんですが。。。クロムツに良い外道でお土産に。 後半のアマダイ五目は、潮具合悪く釣りづらかったが、なんとか良型アマダイ・キダイ・ホウボウなど。
釣行当日の潮汐
200 0 -40 0:00 6:00 12:00 18:00 24:00釣行当日の気象
-
日の出
04:35
日の入
18:38
-
月の出
22:10
月の入
06:38
-
天気
曇り
-
気温
26℃/16℃
-
気圧
1022.0hPa
-
風
南南西
2.6m/s -
波
東南東
0.7m/s -
水温
18.2℃
-
潮
中潮
-
月齢
18.3
-
BI
7.8
釣行当日の気象情報を表示 釣行当日の気象情報を隠す -
新栄丸
千葉県 鴨川市 江見漁港361日前釣行日:2025年5月15日(木)中潮クロムツ
アジ サバ イサキ カサゴ 始めから美味しい高級魚は活発に釣れしっかりお土産・・・。黒ムツが型見た程度で残念でした。ゴールデンタイムもサバの猛攻で撃沈でした。他アジ・さば。後半は今日も硬めにイサキ釣り、拾い釣りで入れ食いでした。他カサゴも交じる。
釣行当日の潮汐
200 0 -40 0:00 6:00 12:00 18:00 24:00釣行当日の気象
-
日の出
04:36
日の入
18:37
-
月の出
21:18
月の入
05:47
-
天気
曇り時々晴れ
-
気温
24℃/15℃
-
気圧
1022.3hPa
-
風
東
2.0m/s -
波
東南東
0.6m/s -
水温
18.1℃
-
潮
中潮
-
月齢
17.3
-
BI
7.3
釣行当日の気象情報を表示 釣行当日の気象情報を隠す -
幸昌丸
千葉県 鴨川市 太海漁港361日前釣行日:2025年5月15日(木)中潮ムツ
オニカサゴ 0~2匹 ウッカリカサゴ アヤメカサゴ サバ 本日はフラッシャーサビキで出船。 早い時間帯にはお土産は釣れましたがサバが多く中々そこまで仕掛けが落ちなくなりムツ、アジは型を見た程度でしたね。 オニカサゴは潮流れ良かったのですがキープサイズで0~2匹にウッカリカサゴ、アヤメカサゴ
釣行当日の潮汐
200 0 -40 0:00 6:00 12:00 18:00 24:00釣行当日の気象
-
日の出
04:36
日の入
18:37
-
月の出
21:18
月の入
05:47
-
天気
曇り時々晴れ
-
気温
24℃/15℃
-
気圧
1022.3hPa
-
風
東
2.0m/s -
波
東南東
0.7m/s -
水温
18.1℃
-
潮
中潮
-
月齢
17.3
-
BI
7.3
釣行当日の気象情報を表示 釣行当日の気象情報を隠す
千葉県の人気魚種の釣果情報
- 千葉県×マダイ
- 千葉県×ブリ
- 千葉県×マアジ
- 千葉県×イサキ
- 千葉県×カサゴ
- 千葉県×アカアマダイ
- 千葉県×ヒラメ
- 千葉県×ゴマサバ
- 千葉県×ヒラマサ
- 千葉県×マダコ
- 千葉県×ヤリイカ
- 千葉県×キジハタ
- 千葉県×アオリイカ
- 千葉県×スズキ
- 千葉県×サワラ
- 千葉県×メバル
- 千葉県×カンパチ
- 千葉県×シロギス
- 千葉県×ケンサキイカ
- 千葉県×タチウオ
- 千葉県×オニカサゴ
- 千葉県×マハタ
- 千葉県×クロダイ
- 千葉県×アカムツ
- 千葉県×チダイ
- 千葉県×マゴチ
- 千葉県×クロムツ
- 千葉県×スルメイカ
- 千葉県×アオハタ
- 千葉県×アカハタ
- 千葉県×キハダ
- 千葉県×キダイ
- 千葉県×シロアマダイ
- 千葉県×アラ
- 千葉県×キンメダイ
- 千葉県×カワハギ
- 千葉県×カツオ
- 千葉県×クロソイ
- 千葉県×ホウボウ
- 千葉県×メダイ
- 千葉県×メジナ
- 千葉県×カイワリ
- 千葉県×ショウサイフグ
- 千葉県×チカメキントキ
- 千葉県×シログチ
- 千葉県×イトヨリダイ
- 千葉県×オオモンハタ
- 千葉県×シマアジ
- 千葉県×マコガレイ
- 千葉県×アイナメ
- 千葉県×ウスメバル
- 千葉県×シイラ
- 千葉県×クロマグロ
- 千葉県×ウッカリカサゴ
- 千葉県×メバチ
- 千葉県×オオメハタ
- 千葉県×ウメイロ
- 千葉県×アコウダイ
- 千葉県×クログチ
- 千葉県×イシダイ
- 千葉県×クエ
- 千葉県×ウマヅラハギ
- 千葉県×タカサゴ
- 千葉県×アカイサキ
- 千葉県×ユメカサゴ
- 千葉県×ムシガレイ
- 千葉県×オオサガ
- 千葉県×メイチダイ
- 千葉県×マアナゴ
- 千葉県×クロシビカマス
- 千葉県×ハガツオ
- 千葉県×トラフグ
- 千葉県×アヤメカサゴ
- 千葉県×フエフキダイ
- 千葉県×ムツ
- 千葉県×ホウキハタ
- 千葉県×ハマフエフキ
- 千葉県×マサバ
- 千葉県×ヒメダイ
- 千葉県×キチヌ
- 千葉県×オオクチイシナギ
- 千葉県×ハチビキ
- 千葉県×シロサバフグ
- 千葉県×ムロアジ
- 千葉県×アブラボウズ
- 千葉県×コロダイ
- 千葉県×アオダイ
- 千葉県×アカヤガラ
- 千葉県×カナガシラ
- 千葉県×バラムツ
- 千葉県×イシガレイ
- 千葉県×クロメジナ
- 千葉県×スマ
- 千葉県×ヒラソウダ
- 千葉県×ヒガンフグ
- 千葉県×マトウダイ
- 千葉県×ヘダイ
- 千葉県×コウイカ
- 千葉県×カミナリイカ
- 千葉県×キュウセン
- 千葉県×アズマハナダイ
- 千葉県×マイワシ
- 千葉県×アカメフグ
各都道府県の人気魚種の釣果情報
- 岩手県×スルメイカ
- 岩手県×マダラ
- 岩手県×ブリ
- 岩手県×マコガレイ
- 岩手県×ヒラメ
- 宮城県×ヒラメ
- 宮城県×マアジ
- 宮城県×アイナメ
- 宮城県×マコガレイ
- 宮城県×メバル
- 福島県×マダイ
- 福島県×ヒラメ
- 福島県×チダイ
- 福島県×キツネメバル
- 福島県×アイナメ
- 茨城県×マダイ
- 茨城県×ブリ
- 茨城県×ヒラメ
- 茨城県×マダコ
- 茨城県×カサゴ
- 埼玉県×サワラ
- 埼玉県×タチウオ
- 埼玉県×マダイ
- 埼玉県×ホウボウ
- 埼玉県×マアジ
- 千葉県×マダイ
- 千葉県×ヒラメ
- 千葉県×マアジ
- 千葉県×イサキ
- 千葉県×マハタ
- 東京都×マアジ
- 東京都×タチウオ
- 東京都×シロギス
- 東京都×マダコ
- 東京都×スズキ
- 神奈川県×マアジ
- 神奈川県×マダイ
- 神奈川県×ブリ
- 神奈川県×アカアマダイ
- 神奈川県×タチウオ
- 新潟県×マダイ
- 新潟県×ブリ
- 新潟県×マアジ
- 新潟県×ゴマサバ
- 新潟県×キダイ
- 富山県×アオリイカ
- 富山県×マダイ
- 富山県×ブリ
- 富山県×キジハタ
- 富山県×アオハタ
- 石川県×ブリ
- 石川県×キジハタ
- 石川県×マダイ
- 石川県×カサゴ
- 石川県×マアジ
- 福井県×ケンサキイカ
- 福井県×マダイ
- 福井県×アオリイカ
- 福井県×スルメイカ
- 福井県×マアジ
- 静岡県×マダイ
- 静岡県×イサキ
- 静岡県×マアジ
- 静岡県×ブリ
- 静岡県×タチウオ
- 愛知県×ブリ
- 愛知県×マダイ
- 愛知県×タチウオ
- 愛知県×ホウボウ
- 愛知県×ヒラメ
- 三重県×ブリ
- 三重県×マダイ
- 三重県×ヒラメ
- 三重県×カサゴ
- 三重県×マアジ
- 京都府×ケンサキイカ
- 京都府×ブリ
- 京都府×マダイ
- 京都府×スルメイカ
- 京都府×アオリイカ
- 大阪府×マダイ
- 大阪府×サワラ
- 大阪府×ブリ
- 大阪府×スズキ
- 大阪府×タチウオ
- 兵庫県×ブリ
- 兵庫県×マダイ
- 兵庫県×マダコ
- 兵庫県×サワラ
- 兵庫県×タチウオ
- 和歌山県×マダイ
- 和歌山県×ブリ
- 和歌山県×マアジ
- 和歌山県×イサキ
- 和歌山県×シロアマダイ
- 鳥取県×ケンサキイカ
- 鳥取県×アオリイカ
- 鳥取県×マダイ
- 鳥取県×スルメイカ
- 鳥取県×マアジ
- 岡山県×スズキ
- 岡山県×マダイ
- 岡山県×ヒラメ
- 岡山県×キジハタ
- 岡山県×クロダイ
- 広島県×マダイ
- 広島県×ブリ
- 広島県×キジハタ
- 広島県×サワラ
- 広島県×シロギス
- 山口県×ケンサキイカ
- 山口県×アオリイカ
- 山口県×キジハタ
- 山口県×マダイ
- 山口県×ブリ
- 徳島県×ブリ
- 徳島県×マアジ
- 徳島県×チダイ
- 徳島県×イサキ
- 徳島県×キダイ
- 香川県×マダイ
- 香川県×アオリイカ
- 香川県×キジハタ
- 香川県×マゴチ
- 香川県×シロギス
- 愛媛県×マダイ
- 愛媛県×ブリ
- 愛媛県×キジハタ
- 愛媛県×タチウオ
- 愛媛県×マダコ
- 高知県×カンパチ
- 高知県×イサキ
- 高知県×アカアマダイ
- 高知県×マダイ
- 高知県×ケンサキイカ
- 福岡県×マダイ
- 福岡県×ヤリイカ
- 福岡県×ケンサキイカ
- 福岡県×ヒラマサ
- 福岡県×ブリ
- 佐賀県×ヒラマサ
- 佐賀県×マダイ
- 佐賀県×アカアマダイ
- 佐賀県×キダイ
- 佐賀県×キジハタ
- 長崎県×マダイ
- 長崎県×キジハタ
- 長崎県×オオモンハタ
- 長崎県×アオハタ
- 長崎県×ブリ
- 熊本県×マダイ
- 熊本県×ヒラメ
- 熊本県×メバル
- 熊本県×キジハタ
- 熊本県×カサゴ
- 鹿児島県×カンパチ
- 鹿児島県×マダイ
- 鹿児島県×ケンサキイカ
- 鹿児島県×オオモンハタ
- 鹿児島県×バラハタ
- 沖縄県×スジアラ
- 沖縄県×バラハタ
- 沖縄県×キハダ
- 沖縄県×ハマフエフキ
- 沖縄県×クエ


































サビキ五目は、エサ反応ビッシリで1流し目から、今日はクロムツ!!食ってくれました。デカムツ交じって、型が良くダブル・トリプルもありました。サバ・スミヤキの邪魔もあったので、ジャンジャンバリバリとはいきませんでしたが、良い外道やハチビキも交じって大漁でした。クロムツトップは18匹、そのうちデカムツは5匹。良い外道は、トップは30匹くらい。ハチビキは7点パーフェクトもあり、15匹くらい釣った方数名。他にメダイ・カガミダイ・サバたくさん。 後半のアマダイ五目は、潮流れずアタリ少なかったですが、アマダイ0~2匹。52㎝・49㎝のジャンボも!!