-
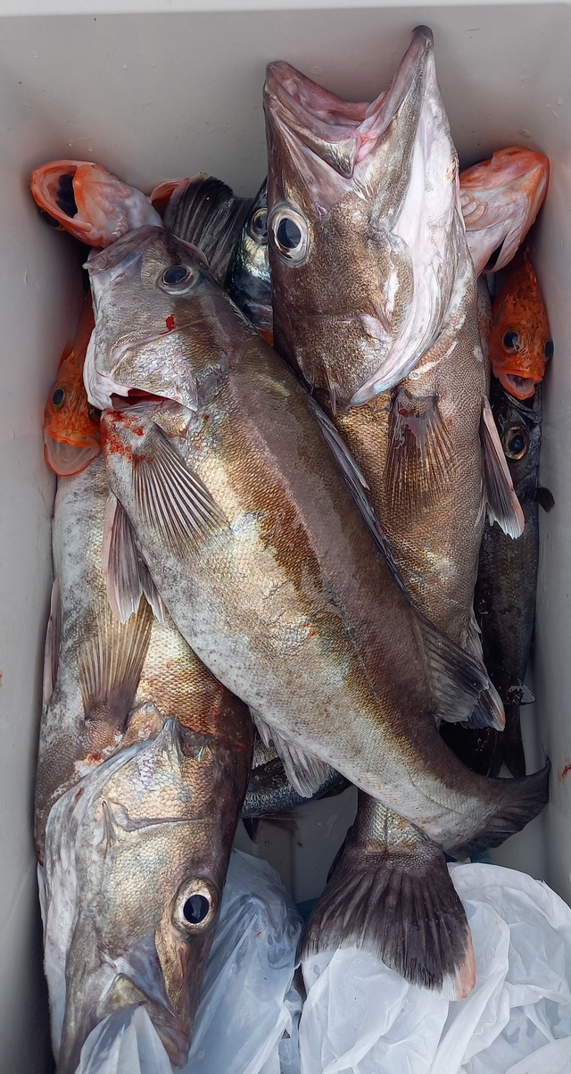
政勝丸
千葉県 銚子市 外川漁港294日前釣行日:2025年6月2日(月)小潮アラ
2.00kg 合計1匹 オニカサゴ 1.50kg 合計1匹 カンコ 0.80~2.00kg 0~3匹 釣行当日の潮汐
200 0 -40 0:00 6:00 12:00 18:00 24:00釣行当日の気象
-
日の出
04:21
日の入
18:48
-
月の出
10:21
月の入
23:56
-
天気
曇り
-
気温
22℃/16℃
-
気圧
1008.9hPa
-
風
南東
1.9m/s -
波
東北東
1.2m/s -
水温
17.6℃
-
潮
小潮
-
月齢
6.0
-
BI
8.0
釣行当日の気象情報を表示 釣行当日の気象情報を隠す -
竜一丸
千葉県 館山市 川名漁港295日前釣行日:2025年6月1日(日)中潮モロコ
(クエ)イサキ 25~38cm 15~33匹 オキメジナ ウマヅラ 今日は イサキは、 ポツポツの食いでした。 泳がせ釣りやったら モロコ25k 釣れました 二発目、当てましたが その方デカかった 釣果 イサキ15〜33匹 モロコ船中1匹 大きさ25〜38㎝ モロコ25k 外道 沖メジナ ウマズラハギ 水温20.3〜21.4℃ 水深20〜40m
釣行当日の潮汐
200 0 -40 0:00 6:00 12:00 18:00 24:00釣行当日の気象
-
日の出
04:28
日の入
18:50
-
月の出
09:22
月の入
23:32
-
天気
晴れ後時々曇り
-
気温
23℃/15℃
-
気圧
1003.3hPa
-
風
東北東
3.2m/s -
波
南
1.0m/s -
水温
19.9℃
-
潮
中潮
-
月齢
5.0
-
BI
8.2
釣行当日の気象情報を表示 釣行当日の気象情報を隠す -
義丸
千葉県 夷隅郡御宿町 岩和田港295日前釣行日:2025年6月1日(日)中潮アラ
クロムツ 1~5匹 メダイ オニカサゴ 合計1匹 カンコ 黒ムツ~鬼カサゴ出船→二枚潮気味だがお土産釣れた(^_-)-☆
釣行当日の潮汐
200 0 -40 0:00 6:00 12:00 18:00 24:00釣行当日の気象
-
日の出
04:25
日の入
18:48
-
月の出
09:19
月の入
23:29
-
天気
晴れ後時々曇り
-
気温
23℃/15℃
-
気圧
1003.4hPa
-
風
北東
2.6m/s -
波
東南東
1.5m/s -
水温
19.9℃
-
潮
中潮
-
月齢
5.0
-
BI
8.4
釣行当日の気象情報を表示 釣行当日の気象情報を隠す -
三次郎丸
千葉県 旭市 飯岡漁港295日前釣行日:2025年6月1日(日)中潮アラ
1.20~2.20kg 0~1匹 オニカサゴ 0.50~2.00kg 0~2匹 潮流れイマイチの上にサメに邪魔され苦戦。カンコ、メダイ。
釣行当日の潮汐
200 0 -40 0:00 6:00 12:00 18:00 24:00釣行当日の気象
-
日の出
04:22
日の入
18:48
-
月の出
09:17
月の入
23:29
-
天気
曇り
-
気温
19℃/15℃
-
気圧
1003.5hPa
-
風
北東
2.2m/s -
波
東南東
1.5m/s -
水温
17.6℃
-
潮
中潮
-
月齢
5.0
-
BI
8.7
釣行当日の気象情報を表示 釣行当日の気象情報を隠す -
政勝丸
千葉県 銚子市 外川漁港295日前釣行日:2025年6月1日(日)中潮アラ
1.20~3.80kg 0~3匹 その他カンコ、メダイ、沖メバル ユメカサゴ、オオサバなど多彩 明日もアラ五目出船します 予約お待ちしています
釣行当日の潮汐
200 0 -40 0:00 6:00 12:00 18:00 24:00釣行当日の気象
-
日の出
04:22
日の入
18:48
-
月の出
09:17
月の入
23:29
-
天気
曇り
-
気温
19℃/15℃
-
気圧
1003.6hPa
-
風
北北東
6.2m/s -
波
東北東
2.1m/s -
水温
17.6℃
-
潮
中潮
-
月齢
5.0
-
BI
8.5
釣行当日の気象情報を表示 釣行当日の気象情報を隠す -
政勝丸
千葉県 銚子市 外川漁港298日前釣行日:2025年5月29日(木)中潮アラ
0.80~2.60kg 0~2匹 オニカサゴ 1.00~1.90kg 0~2匹 その他メダイ、カンコ、沖メバル ユメカサゴなど
釣行当日の潮汐
200 0 -40 0:00 6:00 12:00 18:00 24:00釣行当日の気象
-
日の出
04:23
日の入
18:46
-
月の出
05:48
月の入
21:27
-
天気
晴れ後一時雨
-
気温
21℃/15℃
-
気圧
1019.0hPa
-
風
北東
3.2m/s -
波
東
1.1m/s -
水温
18.3℃
-
潮
中潮
-
月齢
2.0
-
BI
7.1
釣行当日の気象情報を表示 釣行当日の気象情報を隠す -
政勝丸
千葉県 銚子市 外川漁港300日前釣行日:2025年5月27日(火)大潮アラ
0.80~3.00kg 0~3匹 その他メダイ、沖メバル、ユメカサゴなど
釣行当日の潮汐
200 0 -40 0:00 6:00 12:00 18:00 24:00釣行当日の気象
-
日の出
04:24
日の入
18:44
-
月の出
03:53
月の入
19:13
-
天気
曇り
-
気温
19℃/16℃
-
気圧
1023.4hPa
-
風
北北東
5.4m/s -
波
東
1.1m/s -
水温
18.0℃
-
潮
大潮
-
月齢
29.3
-
BI
9.9
釣行当日の気象情報を表示 釣行当日の気象情報を隠す -
政勝丸
千葉県 銚子市 外川漁港301日前釣行日:2025年5月26日(月)大潮アラ
1.00~5.20kg 0~4匹 オニカサゴ 1.00~1.90kg 0~2匹 その他カンコ、沖メバル、メダイ、ユメカサゴなど 明日も出船します 予約お待ちしています
釣行当日の潮汐
200 0 -40 0:00 6:00 12:00 18:00 24:00釣行当日の気象
-
日の出
04:24
日の入
18:43
-
月の出
03:09
月の入
17:55
-
天気
曇り
-
気温
20℃/17℃
-
気圧
1017.3hPa
-
風
北東
6.9m/s -
波
東南東
1.5m/s -
水温
18.0℃
-
潮
大潮
-
月齢
28.3
-
BI
10.5
釣行当日の気象情報を表示 釣行当日の気象情報を隠す -
政勝丸
千葉県 銚子市 外川漁港303日前釣行日:2025年5月24日(土)中潮アラ
0.60~2.80kg 0~6匹 その他カンコ、沖メバル、メダイ ユメカサゴなど 明日は予報悪く休船 5/26(月)アラ五目船出船します 予約お待ちしています 6/1(日)ヒラメ船予約受付中
釣行当日の潮汐
200 0 -40 0:00 6:00 12:00 18:00 24:00釣行当日の気象
-
日の出
04:25
日の入
18:42
-
月の出
02:02
月の入
15:22
-
天気
曇りのち一時雨
-
気温
20℃/16℃
-
気圧
1016.4hPa
-
風
北東
6.5m/s -
波
東
1.7m/s -
水温
17.5℃
-
潮
中潮
-
月齢
26.3
-
BI
9.0
釣行当日の気象情報を表示 釣行当日の気象情報を隠す -
政勝丸
千葉県 銚子市 外川漁港306日前釣行日:2025年5月21日(水)小潮アラ
1.20~2.50kg 0~1匹 その他カンコ、ソイ、メダイ、沖メバル、ユメカサゴなど 明日は定休日です 5/23(金) クロムツ五目船、アラ五目船 予約受付中
釣行当日の潮汐
200 0 -40 0:00 6:00 12:00 18:00 24:00釣行当日の気象
-
日の出
04:27
日の入
18:40
-
月の出
00:39
月の入
11:52
-
天気
晴れ後時々曇り
-
気温
25℃/19℃
-
気圧
1013.2hPa
-
風
西北西
0.7m/s -
波
南
0.8m/s -
水温
17.6℃
-
潮
小潮
-
月齢
23.3
-
BI
7.0
釣行当日の気象情報を表示 釣行当日の気象情報を隠す -
清勝丸
千葉県 旭市 飯岡漁港307日前釣行日:2025年5月20日(火)小潮アラ
2.70~2.70kg 0~1匹 (カンコ0~2匹、オキメバル、ユメカサゴ混) 潮と風が反対の二枚潮、潮速く釣りづらくでした。 頑張って下さったのに残念(/。\) 募集中 アジハナダイ五目、アマダイも毎日募集中です! 24日(土)アジハナダイ五目(コマセ)とテンヤマダイ 午後も同じ 25日(日)沖根魚とアジハナダイ五目 午後アジハナダイ五目又はテンヤマダイ 変更、お知らせあればまた載せます。 天候の変わりやすい季節です、中止等お知らせで載せますが、遅い時間になる時もありますので電話でお問い合わせ下さい。 アングラーズからも予約(一部)出来ます! 初回のお客様は1000円引きしてます。 ↓CLICK https://ships.anglers.jp/ships/167?isAllPlansVisible=true 今後はアマダイ、アカムツ、アジハナダイ五目(コマセ)、テンヤマダイ、沖根魚(アラ鬼カサゴ) 午後テンヤマダイ 出船予定です。 コマセ(アジ)土日祝の午後のみもリクエストして下さい。 インスタ始めました\(^o^)/良かったら見て下さいね~。 天気が変わりやすい時期ですので中止や変更になる時がございます。 こちらでお知らせしますのでご了承下さい。 午後テンヤマダイへも~。 特に根魚は餌の都合上、ご予約は前日までにお願い致します。 初めての方や慣れていない方は是非、船長の見える場所へお座り下さい! 予約時すぐに電話に出れない時がありますが折り返します! 人数集まれば出船致します。 人数が集まらないと出船できません。 人数と釣果次第で変更します。 千葉東金横芝ICから匝瑳市(旭市隣)まで高速道路が延長になりました。最終、匝瑳ICで降りて右折、海沿いで是非いらっしゃって下さい。早くなりますよ~! 天候の変わりやすい季節です。 変更あればこちらでお知らせ致します。 前日前々日にご確認のご連絡下さい! 午前船のお客様はお弁当付いてます(ノ・∀・)ノ 集合時間 ヤリイカ、アカムツ、沖根魚、アマダイ3時 マダイ、アジハナダイ五目、テンヤマダイ4時 時間厳守でお願いいたします! もし遅れる等の場合は早急にご連絡下さい。他のお客様を待たせてしまう、出船時間も遅れてしまいます。 リクエスト、人数天候等により変更あります! テンヤは遊動式しかけで!初心者でも釣れますよ~! 初心者の方、予約時お知らせ下さい。 救命胴衣(無料)、レンタル貸竿(基本無料。有料も有)ございます。
釣行当日の潮汐
200 0 -40 0:00 6:00 12:00 18:00 24:00釣行当日の気象
-
日の出
04:28
日の入
18:39
-
月の出
00:09
月の入
10:45
-
天気
晴れ
-
気温
25℃/19℃
-
気圧
1010.5hPa
-
風
南西
5.4m/s -
波
南
1.5m/s -
水温
17.6℃
-
潮
小潮
-
月齢
22.3
-
BI
7.9
釣行当日の気象情報を表示 釣行当日の気象情報を隠す -
政勝丸
千葉県 銚子市 外川漁港307日前釣行日:2025年5月20日(火)小潮アラ
0.60~2.00kg 0~2匹 その他カンコ、沖メバル、メダイ アジ、ユメカサゴなど 明日もアラ五目出船します 予約お待ちしています
釣行当日の潮汐
200 0 -40 0:00 6:00 12:00 18:00 24:00釣行当日の気象
-
日の出
04:28
日の入
18:39
-
月の出
00:09
月の入
10:45
-
天気
晴れ
-
気温
25℃/19℃
-
気圧
1010.7hPa
-
風
南南西
9.7m/s -
波
南
1.7m/s -
水温
17.6℃
-
潮
小潮
-
月齢
22.3
-
BI
7.8
釣行当日の気象情報を表示 釣行当日の気象情報を隠す -
義丸
千葉県 夷隅郡御宿町 岩和田港308日前釣行日:2025年5月19日(月)小潮アラ
クロムツ 2~7匹 メダイ アジ カンコ 黒ムツ~鬼カサゴ出船→潮の流れ良く好調(^_-)-☆
釣行当日の潮汐
200 0 -40 0:00 6:00 12:00 18:00 24:00釣行当日の気象
-
日の出
04:31
日の入
18:38
-
月の出
月の入
09:41
-
天気
曇り
-
気温
25℃/17℃
-
気圧
1009.9hPa
-
風
南西
8.1m/s -
波
南
1.6m/s -
水温
18.2℃
-
潮
小潮
-
月齢
21.3
-
BI
8.1
釣行当日の気象情報を表示 釣行当日の気象情報を隠す -
政勝丸
千葉県 銚子市 外川漁港313日前釣行日:2025年5月14日(水)大潮アラ
1.50~6.70kg 0~1匹 オニカサゴ 1.00~1.50kg 0~1匹 その他メダイ、沖メバル、ユメカサゴなど 明日もアラ五目出船します 予約お待ちしています
釣行当日の潮汐
200 0 -40 0:00 6:00 12:00 18:00 24:00釣行当日の気象
-
日の出
04:32
日の入
18:34
-
月の出
20:20
月の入
04:58
-
天気
曇り時々晴れ
-
気温
22℃/15℃
-
気圧
1022.6hPa
-
風
南南東
1.7m/s -
波
東南東
0.7m/s -
水温
17.1℃
-
潮
大潮
-
月齢
16.3
-
BI
8.0
釣行当日の気象情報を表示 釣行当日の気象情報を隠す -
政勝丸
千葉県 銚子市 外川漁港314日前釣行日:2025年5月13日(火)大潮アラ
0.60~2.70kg 0~3匹 オニカサゴ 0.50~2.00kg 0~3匹 その他沖メバル、ハタ、メダイ、ユメカサゴなど多彩でした 明日もアラ五目出船します 予約お待ちしています
釣行当日の潮汐
200 0 -40 0:00 6:00 12:00 18:00 24:00釣行当日の気象
-
日の出
04:33
日の入
18:34
-
月の出
19:20
月の入
04:22
-
天気
晴れ
-
気温
21℃/16℃
-
気圧
1018.0hPa
-
風
北東
2.9m/s -
波
東南東
0.7m/s -
水温
17.1℃
-
潮
大潮
-
月齢
15.3
-
BI
8.9
釣行当日の気象情報を表示 釣行当日の気象情報を隠す
千葉県の人気魚種の釣果情報
- 千葉県×マダイ
- 千葉県×ブリ
- 千葉県×マアジ
- 千葉県×カサゴ
- 千葉県×アカアマダイ
- 千葉県×イサキ
- 千葉県×ヒラメ
- 千葉県×ゴマサバ
- 千葉県×ヒラマサ
- 千葉県×メバル
- 千葉県×スズキ
- 千葉県×サワラ
- 千葉県×ヤリイカ
- 千葉県×キジハタ
- 千葉県×カンパチ
- 千葉県×アオリイカ
- 千葉県×タチウオ
- 千葉県×オニカサゴ
- 千葉県×マハタ
- 千葉県×アカムツ
- 千葉県×チダイ
- 千葉県×クロダイ
- 千葉県×クロムツ
- 千葉県×カワハギ
- 千葉県×シロギス
- 千葉県×マダコ
- 千葉県×アオハタ
- 千葉県×アカハタ
- 千葉県×スルメイカ
- 千葉県×キダイ
- 千葉県×ケンサキイカ
- 千葉県×キハダ
- 千葉県×キンメダイ
- 千葉県×シロアマダイ
- 千葉県×ショウサイフグ
- 千葉県×マゴチ
- 千葉県×ホウボウ
- 千葉県×メダイ
- 千葉県×アラ
- 千葉県×クロソイ
- 千葉県×イトヨリダイ
- 千葉県×シログチ
- 千葉県×メジナ
- 千葉県×カイワリ
- 千葉県×チカメキントキ
- 千葉県×オオモンハタ
- 千葉県×マコガレイ
- 千葉県×ウスメバル
- 千葉県×シマアジ
- 千葉県×アイナメ
- 千葉県×クロマグロ
- 千葉県×オオメハタ
- 千葉県×シイラ
- 千葉県×メバチ
- 千葉県×ウッカリカサゴ
- 千葉県×アコウダイ
- 千葉県×ウマヅラハギ
- 千葉県×クログチ
- 千葉県×アカイサキ
- 千葉県×イシダイ
- 千葉県×クエ
- 千葉県×トラフグ
- 千葉県×ムシガレイ
- 千葉県×オオサガ
- 千葉県×メイチダイ
- 千葉県×ユメカサゴ
- 千葉県×ウメイロ
- 千葉県×クロシビカマス
- 千葉県×アブラボウズ
- 千葉県×ロウニンアジ
- 千葉県×アヤメカサゴ
- 千葉県×コウイカ
- 千葉県×ムツ
- 千葉県×マサバ
- 千葉県×カミナリイカ
- 千葉県×ホウキハタ
- 千葉県×クロメジナ
- 千葉県×シロサバフグ
- 千葉県×ハマフエフキ
- 千葉県×キチヌ
- 千葉県×オオクチイシナギ
- 千葉県×カナガシラ
- 千葉県×アカカマス
- 千葉県×ヒガンフグ
- 千葉県×アカメフグ
- 千葉県×マトウダイ
- 千葉県×ヘダイ
- 千葉県×ヒラソウダ
- 千葉県×コモンフグ
- 千葉県×カマスサワラ
- 千葉県×ハチビキ
- 千葉県×キュウセン
各都道府県の人気魚種の釣果情報
- 岩手県×スルメイカ
- 岩手県×マダラ
- 岩手県×マコガレイ
- 岩手県×ブリ
- 岩手県×ウスメバル
- 宮城県×ヒラメ
- 宮城県×マアジ
- 宮城県×アイナメ
- 宮城県×マコガレイ
- 宮城県×ブリ
- 福島県×マダイ
- 福島県×ヒラメ
- 福島県×チダイ
- 福島県×メバル
- 福島県×アイナメ
- 茨城県×マダイ
- 茨城県×ヒラメ
- 茨城県×ブリ
- 茨城県×マダコ
- 茨城県×カサゴ
- 埼玉県×サワラ
- 埼玉県×タチウオ
- 埼玉県×マダイ
- 埼玉県×ブリ
- 埼玉県×マアジ
- 千葉県×マダイ
- 千葉県×ヒラメ
- 千葉県×マアジ
- 千葉県×イサキ
- 千葉県×カサゴ
- 東京都×マアジ
- 東京都×タチウオ
- 東京都×シロギス
- 東京都×マダコ
- 東京都×スズキ
- 神奈川県×マアジ
- 神奈川県×マダイ
- 神奈川県×タチウオ
- 神奈川県×ブリ
- 神奈川県×アカアマダイ
- 新潟県×マダイ
- 新潟県×ブリ
- 新潟県×マアジ
- 新潟県×ゴマサバ
- 新潟県×キダイ
- 富山県×アオリイカ
- 富山県×マダイ
- 富山県×ブリ
- 富山県×キジハタ
- 富山県×カサゴ
- 石川県×ブリ
- 石川県×マダイ
- 石川県×キジハタ
- 石川県×マアジ
- 石川県×ウッカリカサゴ
- 福井県×ケンサキイカ
- 福井県×マダイ
- 福井県×アオリイカ
- 福井県×スルメイカ
- 福井県×マアジ
- 静岡県×マダイ
- 静岡県×イサキ
- 静岡県×マアジ
- 静岡県×タチウオ
- 静岡県×アカアマダイ
- 愛知県×ブリ
- 愛知県×マダイ
- 愛知県×タチウオ
- 愛知県×ホウボウ
- 愛知県×ヒラメ
- 三重県×ブリ
- 三重県×マダイ
- 三重県×ヒラメ
- 三重県×カサゴ
- 三重県×アカアマダイ
- 京都府×ケンサキイカ
- 京都府×ブリ
- 京都府×マダイ
- 京都府×スルメイカ
- 京都府×アオリイカ
- 大阪府×マダイ
- 大阪府×サワラ
- 大阪府×ブリ
- 大阪府×スズキ
- 大阪府×タチウオ
- 兵庫県×ブリ
- 兵庫県×マダイ
- 兵庫県×マダコ
- 兵庫県×サワラ
- 兵庫県×タチウオ
- 和歌山県×マダイ
- 和歌山県×ブリ
- 和歌山県×マアジ
- 和歌山県×イサキ
- 和歌山県×シロアマダイ
- 鳥取県×ケンサキイカ
- 鳥取県×アオリイカ
- 鳥取県×スルメイカ
- 鳥取県×マダイ
- 鳥取県×アオハタ
- 島根県×ケンサキイカ
- 島根県×スルメイカ
- 島根県×ゴマサバ
- 島根県×マアジ
- 島根県×コウイカ
- 岡山県×スズキ
- 岡山県×ヒラメ
- 岡山県×マダイ
- 岡山県×キジハタ
- 岡山県×クロダイ
- 広島県×マダイ
- 広島県×キジハタ
- 広島県×ブリ
- 広島県×サワラ
- 広島県×シロギス
- 山口県×ケンサキイカ
- 山口県×アオリイカ
- 山口県×キジハタ
- 山口県×ブリ
- 山口県×マダイ
- 徳島県×ブリ
- 徳島県×マアジ
- 徳島県×イサキ
- 徳島県×チダイ
- 徳島県×キダイ
- 香川県×マダイ
- 香川県×アオリイカ
- 香川県×キジハタ
- 香川県×クロダイ
- 香川県×ヒラメ
- 愛媛県×マダイ
- 愛媛県×ブリ
- 愛媛県×キジハタ
- 愛媛県×タチウオ
- 愛媛県×サワラ
- 高知県×カンパチ
- 高知県×イサキ
- 高知県×マアジ
- 高知県×マダイ
- 高知県×アカアマダイ
- 福岡県×マダイ
- 福岡県×ヤリイカ
- 福岡県×ケンサキイカ
- 福岡県×ヒラマサ
- 福岡県×ブリ
- 佐賀県×ヒラマサ
- 佐賀県×マダイ
- 佐賀県×アカアマダイ
- 佐賀県×サワラ
- 佐賀県×アオリイカ
- 長崎県×マダイ
- 長崎県×キジハタ
- 長崎県×オオモンハタ
- 長崎県×アオハタ
- 長崎県×ブリ
- 熊本県×マダイ
- 熊本県×キジハタ
- 熊本県×ヒラメ
- 熊本県×カサゴ
- 熊本県×メバル
- 鹿児島県×カンパチ
- 鹿児島県×アカハタ
- 鹿児島県×マダイ
- 鹿児島県×オオモンハタ
- 鹿児島県×ケンサキイカ
- 沖縄県×スジアラ
- 沖縄県×キハダ
- 沖縄県×バラハタ
- 沖縄県×クエ
- 沖縄県×タカサゴ




































その他沖メバル、ユメカサゴ、オオサバなど 明日はアラ五目船ヒラメ船 出船します予約お待ちしています