-
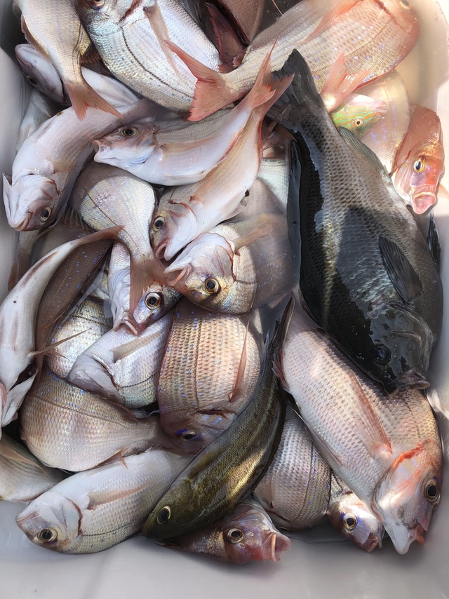
東丸
千葉県 安房郡鋸南町 保田港122日前釣行日:2026年1月4日(日)大潮ハナダイ
(チダイ)マダイ 0.60~1.40kg 0~2匹 サバ 釣行当日の潮汐
200 0 -40 0:00 6:00 12:00 18:00 24:00釣行当日の気象
-
日の出
06:49
日の入
16:42
-
月の出
17:30
月の入
07:37
-
天気
晴れ時々曇り
-
気温
13℃/2℃
-
気圧
1019.3hPa
-
風
北北東
2.0m/s -
波
南西
0.3m/s -
水温
16.8℃
-
潮
大潮
-
月齢
15.1
-
BI
8.3
釣行当日の気象情報を表示 釣行当日の気象情報を隠す -
幸辰丸
千葉県 山武市 片貝旧港122日前釣行日:2026年1月4日(日)大潮ハナダイ
(チダイ)18~39cm 32~50匹 新年初釣りハナダイ船、朝から良型混じりで良く釣れました。他にカサゴ、イシダイ、ウマヅラ、ハタ、マダイ混じりお土産十分でした。皆様の乗船お待ちしております宜しくお願いします
釣行当日の潮汐
200 0 -40 0:00 6:00 12:00 18:00 24:00釣行当日の気象
-
日の出
06:47
日の入
16:38
-
月の出
17:25
月の入
07:35
-
天気
晴れ
-
気温
12℃/2℃
-
気圧
1019.3hPa
-
風
北西
2.1m/s -
波
東
0.5m/s -
水温
10.8℃
-
潮
大潮
-
月齢
15.1
-
BI
7.6
釣行当日の気象情報を表示 釣行当日の気象情報を隠す -
新栄丸
千葉県 鴨川市 江見漁港123日前釣行日:2026年1月3日(土)大潮ハナダイ
(チダイ)アマダイ 竿頭3匹 イサキ マハタ カイワリ ウマヅラハギ キントキ キダイ オニカサゴ カサゴ ホウボウ カンパチ マダイ 昨日の2便船、コマセ五目は終日アタリあり楽しめました。イサキ入れ食いタイムありでしっかりお土産釣り。魚種多彩貸し竿さん頑張ってくださいました<(__)>
釣行当日の潮汐
200 0 -40 0:00 6:00 12:00 18:00 24:00釣行当日の気象
-
日の出
06:48
日の入
16:40
-
月の出
16:14
月の入
06:40
-
天気
晴れ
-
気温
11℃/1℃
-
気圧
1013.9hPa
-
風
北西
4.3m/s -
波
東
0.8m/s -
水温
17.0℃
-
潮
大潮
-
月齢
14.1
-
BI
8.2
釣行当日の気象情報を表示 釣行当日の気象情報を隠す -
第1二三丸
千葉県 山武市 片貝旧港123日前釣行日:2026年1月3日(土)大潮ハナダイ
(チダイ)18~37cm 14~42匹 マダイ 今年最初の釣りはハナダイです、 昨晩は予想以上の降雪でお客様が集まれるか心配しましたが 起きてみたら道路や舗装上に殆ど雪が無くなっていてホッとしました、 ただ船の上はビッシリ雪が積もっていて、 船縁やデッキ、椅子の上等人の歩く所は除雪して、 氷を溶かしてから乗船して頂きました、 雪が無くても霜で滑りやすい時も有ります、 船長から乗船の許可が出てから気を付けて乗船して下さい。 ポイント周辺は非常に冷たい北西の風が強く吹いていました、 水温は15,5℃しか無く少し心配しましたが、 反応は有ったので釣り始めてみるとアタリは出ました、 水温が下がった所為か、バタバタアタル事は無く、 食い込みが浅いのか、取り込み等でバラシてしまう事も有りました、 それでも反応が有ってアタリは出ていて、 サイズも中・良型が多くお土産十分に成りました。
釣行当日の潮汐
200 0 -40 0:00 6:00 12:00 18:00 24:00釣行当日の気象
-
日の出
06:46
日の入
16:37
-
月の出
16:10
月の入
06:39
-
天気
晴れ
-
気温
10℃/1℃
-
気圧
1013.9hPa
-
風
北西
4.2m/s -
波
東
0.8m/s -
水温
10.9℃
-
潮
大潮
-
月齢
14.1
-
BI
8.2
釣行当日の気象情報を表示 釣行当日の気象情報を隠す -
長五郎丸
千葉県 旭市 飯岡漁港126日前釣行日:2025年12月31日(水)中潮ハナダイ
(チダイ)マダイ 0.30~1.20kg 2~10匹 カサゴ ワラサ ウマズラ カワハギ ガンゾウ ヒラメ メバル マダコ オオニベ 【乗合】今日は全体的にアタリは少なく苦戦でしたが、1Kg前後が多く混じりお土産なりました。
釣行当日の潮汐
200 0 -40 0:00 6:00 12:00 18:00 24:00釣行当日の気象
-
日の出
06:46
日の入
16:33
-
月の出
13:08
月の入
03:02
-
天気
晴れ後時々曇り
-
気温
15℃/6℃
-
気圧
1014.2hPa
-
風
北西
2.9m/s -
波
東
0.7m/s -
水温
15.8℃
-
潮
中潮
-
月齢
11.1
-
BI
8.5
釣行当日の気象情報を表示 釣行当日の気象情報を隠す -
隆正丸
千葉県 旭市 飯岡漁港126日前釣行日:2025年12月31日(水)中潮ハナダイ
(チダイ)20~38cm 17~50匹 アジ コマセ船。2隻高低。 2隻で出船。本日も反応多く好調でした!後半潮が早くなってしまいダメになってしまいましたが、お土産バッチリでした。 水深:30M。
釣行当日の潮汐
200 0 -40 0:00 6:00 12:00 18:00 24:00釣行当日の気象
-
日の出
06:46
日の入
16:33
-
月の出
13:08
月の入
03:02
-
天気
晴れ後時々曇り
-
気温
15℃/6℃
-
気圧
1014.2hPa
-
風
北西
2.9m/s -
波
東
0.7m/s -
水温
15.8℃
-
潮
中潮
-
月齢
11.1
-
BI
8.5
釣行当日の気象情報を表示 釣行当日の気象情報を隠す -
東丸
千葉県 安房郡鋸南町 保田港126日前釣行日:2025年12月31日(水)中潮ハナダイ
(チダイ)マダイ 0.90~10.70kg 0~2匹 アジ ヒラソーダ マダイ船。超モンスターなんと10.7㌔。 マダイの型も良く1~2㌔中心でほとんどの方がゲットでした。
釣行当日の潮汐
200 0 -40 0:00 6:00 12:00 18:00 24:00釣行当日の気象
-
日の出
06:48
日の入
16:39
-
月の出
13:14
月の入
03:04
-
天気
晴れ後時々曇り
-
気温
15℃/6℃
-
気圧
1014.3hPa
-
風
北北東
2.5m/s -
波
南西
0.4m/s -
水温
18.0℃
-
潮
中潮
-
月齢
11.1
-
BI
9.2
釣行当日の気象情報を表示 釣行当日の気象情報を隠す -
新幸丸
千葉県 いすみ市 大原港126日前釣行日:2025年12月31日(水)中潮ハナダイ
(チダイ)マダイ 0.30~1.00kg 1~10匹 ハタ カサゴ アカハタ キジハタ フグ キントキダイ 前半は全く流れず苦戦でした、後半30メートルラインで喰い良くなりトップ10枚になりました、ゲストの喰いも良くなった。本年も沢山のお客様にお越しいただきありがとうございました、来年もよろしくお願いいたします。皆様よいお年をお迎えください。
釣行当日の潮汐
200 0 -40 0:00 6:00 12:00 18:00 24:00釣行当日の気象
-
日の出
06:46
日の入
16:36
-
月の出
13:11
月の入
03:02
-
天気
晴れ後時々曇り
-
気温
14℃/6℃
-
気圧
1014.3hPa
-
風
北北西
2.7m/s -
波
東
0.8m/s -
水温
11.3℃
-
潮
中潮
-
月齢
11.1
-
BI
8.5
釣行当日の気象情報を表示 釣行当日の気象情報を隠す -
聡丸
千葉県 鴨川市 太海漁港127日前釣行日:2025年12月30日(火)若潮ハナダイ
(チダイ)マダイ 合計2匹 キントキ アマダイ 午後はマダイへ出船。こちらは良い反応ありましたが撃沈。 船中2枚。大型キントキ・アマダイ・ハナダイ。
釣行当日の潮汐
200 0 -40 0:00 6:00 12:00 18:00 24:00釣行当日の気象
-
日の出
06:47
日の入
16:37
-
月の出
12:32
月の入
01:49
-
天気
晴れ時々曇り
-
気温
18℃/6℃
-
気圧
1016.8hPa
-
風
西南西
4.3m/s -
波
東南東
0.9m/s -
水温
18.1℃
-
潮
若潮
-
月齢
10.1
-
BI
9.5
釣行当日の気象情報を表示 釣行当日の気象情報を隠す -
長五郎丸
千葉県 旭市 飯岡漁港127日前釣行日:2025年12月30日(火)若潮ハナダイ
(チダイ)マダイ 0.30~1.00kg 0~15匹 カサゴ イシダイ ウマズラ カワハギ ハタ オオニベ 【乗合】今日はコンスタントにアタリがありゲスト混じりでお土産になりました。
釣行当日の潮汐
200 0 -40 0:00 6:00 12:00 18:00 24:00釣行当日の気象
-
日の出
06:46
日の入
16:33
-
月の出
12:28
月の入
01:47
-
天気
晴れ時々曇り
-
気温
16℃/6℃
-
気圧
1016.8hPa
-
風
西
1.6m/s -
波
東南東
0.8m/s -
水温
15.8℃
-
潮
若潮
-
月齢
10.1
-
BI
8.5
釣行当日の気象情報を表示 釣行当日の気象情報を隠す -
義丸
千葉県 いすみ市 大原港127日前釣行日:2025年12月30日(火)若潮ハナダイ
(チダイ)ヒラメ 午前ヒラメ。 朝イチは港前からスタート! 潮が澄んでしまいましたが明るくなってきてから1枚ゲット。 その後はアタリはあったものの食い逃げされてから当たらず走り回っていきますが不発。 太東沖へ反応があると情報をいただき移動! 移動してから良型サイズをゲットできましたが全員に行き渡らず。
釣行当日の潮汐
200 0 -40 0:00 6:00 12:00 18:00 24:00釣行当日の気象
-
日の出
06:46
日の入
16:36
-
月の出
12:30
月の入
01:48
-
天気
晴れ時々曇り
-
気温
16℃/6℃
-
気圧
1016.7hPa
-
風
南西
2.2m/s -
波
東
0.8m/s -
水温
11.5℃
-
潮
若潮
-
月齢
10.1
-
BI
8.5
釣行当日の気象情報を表示 釣行当日の気象情報を隠す -
隆正丸
千葉県 旭市 飯岡漁港127日前釣行日:2025年12月30日(火)若潮ハナダイ
(チダイ)20~38cm 20~50匹 カワハギ イサキ アジ ウマズラ コマセ船。11号で出船。 本日も反応多く、好調でした。 水深:30M。
釣行当日の潮汐
200 0 -40 0:00 6:00 12:00 18:00 24:00釣行当日の気象
-
日の出
06:46
日の入
16:33
-
月の出
12:28
月の入
01:47
-
天気
晴れ時々曇り
-
気温
16℃/6℃
-
気圧
1016.8hPa
-
風
西
1.6m/s -
波
東南東
0.8m/s -
水温
15.8℃
-
潮
若潮
-
月齢
10.1
-
BI
8.5
釣行当日の気象情報を表示 釣行当日の気象情報を隠す -
新栄丸
千葉県 鴨川市 江見漁港127日前釣行日:2025年12月30日(火)若潮ハナダイ
(チダイ)イサキ マダイ キダイ キントキ カンパチ ホウボウ カイワリ ウマヅラハギ 黒ムツ・五目釣り、今日は・・・黒ムツが渋々で、早めに美味しいお魚へ行き、こちらは多点掛けで入れ食い皆さん釣れたのでまた黒ムツへ行ってみたが、撃沈でした。後半のコマセ五目は、イサキがいつもの様にはいかなくておかず程度。最後の30分は沖五目、カイワリが連チャンしたので20分延長。
釣行当日の潮汐
200 0 -40 0:00 6:00 12:00 18:00 24:00釣行当日の気象
-
日の出
06:47
日の入
16:37
-
月の出
12:32
月の入
01:49
-
天気
晴れ時々曇り
-
気温
18℃/6℃
-
気圧
1016.8hPa
-
風
西南西
4.3m/s -
波
東南東
0.7m/s -
水温
18.1℃
-
潮
若潮
-
月齢
10.1
-
BI
9.5
釣行当日の気象情報を表示 釣行当日の気象情報を隠す -
第三孝徳丸
千葉県 山武市 片貝旧港127日前釣行日:2025年12月30日(火)若潮ハナダイ
(チダイ)22~37cm 15~39匹 今日は花鯛で出船、釣り始め当たりがすぐにあり鯛が何匹かずつ釣れるのですが反応が動いてしまい当たりが止まり移動、何か所か順番に周り幸いなことに時間を空ければ短時間ですが釣れるので少しずつ数を増やして行き竿頭で39匹と言うような釣果で時間になり帰港しました、皆さん寒い中どうも有り難う御座いましたまた宜しくお願いします。・令和8年1月3日(土)関東地方雪予報で出船中止。・4日(日)ヒラメで出船予定。・5日(月)花鯛ヒラメで出船予定。・10日(土)花鯛ヒラメで出船予定。・17日(土)ヒラメで出船予定で他の曜日も予約が入れば花鯛・ヒラメ・テンヤ真鯛どちらでも出船しますので問い合わせお願いします。
釣行当日の潮汐
200 0 -40 0:00 6:00 12:00 18:00 24:00釣行当日の気象
-
日の出
06:46
日の入
16:34
-
月の出
12:29
月の入
01:47
-
天気
晴れ時々曇り
-
気温
16℃/6℃
-
気圧
1016.7hPa
-
風
西南西
1.4m/s -
波
東
0.7m/s -
水温
11.5℃
-
潮
若潮
-
月齢
10.1
-
BI
8.5
釣行当日の気象情報を表示 釣行当日の気象情報を隠す -
長栄丸 -大原-
千葉県 いすみ市 大原港127日前釣行日:2025年12月30日(火)若潮ハナダイ
(チダイ)マダイ 0.30~0.90kg 0~7匹 ヒラマサ シマアジ カサゴ マハタ ウマズラ フグ 午後マダイに出船。
釣行当日の潮汐
200 0 -40 0:00 6:00 12:00 18:00 24:00釣行当日の気象
-
日の出
06:46
日の入
16:36
-
月の出
12:30
月の入
01:48
-
天気
晴れ時々曇り
-
気温
16℃/6℃
-
気圧
1016.7hPa
-
風
南西
2.2m/s -
波
東
0.8m/s -
水温
11.5℃
-
潮
若潮
-
月齢
10.1
-
BI
8.5
釣行当日の気象情報を表示 釣行当日の気象情報を隠す
千葉県の人気魚種の釣果情報
- 千葉県×マダイ
- 千葉県×ブリ
- 千葉県×マアジ
- 千葉県×イサキ
- 千葉県×カサゴ
- 千葉県×アカアマダイ
- 千葉県×ゴマサバ
- 千葉県×ヒラメ
- 千葉県×ヒラマサ
- 千葉県×ヤリイカ
- 千葉県×マダコ
- 千葉県×キジハタ
- 千葉県×アオリイカ
- 千葉県×スズキ
- 千葉県×サワラ
- 千葉県×カンパチ
- 千葉県×メバル
- 千葉県×シロギス
- 千葉県×タチウオ
- 千葉県×ケンサキイカ
- 千葉県×オニカサゴ
- 千葉県×マハタ
- 千葉県×クロダイ
- 千葉県×アカムツ
- 千葉県×チダイ
- 千葉県×マゴチ
- 千葉県×クロムツ
- 千葉県×スルメイカ
- 千葉県×アカハタ
- 千葉県×アオハタ
- 千葉県×キハダ
- 千葉県×キダイ
- 千葉県×シロアマダイ
- 千葉県×キンメダイ
- 千葉県×アラ
- 千葉県×カワハギ
- 千葉県×カツオ
- 千葉県×クロソイ
- 千葉県×ホウボウ
- 千葉県×メダイ
- 千葉県×メジナ
- 千葉県×カイワリ
- 千葉県×ショウサイフグ
- 千葉県×チカメキントキ
- 千葉県×シログチ
- 千葉県×オオモンハタ
- 千葉県×イトヨリダイ
- 千葉県×シマアジ
- 千葉県×マコガレイ
- 千葉県×アイナメ
- 千葉県×ウスメバル
- 千葉県×シイラ
- 千葉県×ウッカリカサゴ
- 千葉県×メバチ
- 千葉県×アコウダイ
- 千葉県×オオメハタ
- 千葉県×ウメイロ
- 千葉県×クログチ
- 千葉県×イシダイ
- 千葉県×ウマヅラハギ
- 千葉県×タカサゴ
- 千葉県×クエ
- 千葉県×アカイサキ
- 千葉県×ユメカサゴ
- 千葉県×ムシガレイ
- 千葉県×オオサガ
- 千葉県×トラフグ
- 千葉県×メイチダイ
- 千葉県×マアナゴ
- 千葉県×クロシビカマス
- 千葉県×ハガツオ
- 千葉県×フエフキダイ
- 千葉県×ロウニンアジ
- 千葉県×アヤメカサゴ
- 千葉県×ムツ
- 千葉県×ホウキハタ
- 千葉県×アブラボウズ
- 千葉県×マサバ
- 千葉県×ハマフエフキ
- 千葉県×オオクチイシナギ
- 千葉県×ハチビキ
- 千葉県×キチヌ
- 千葉県×シロサバフグ
- 千葉県×イシガレイ
- 千葉県×クロメジナ
- 千葉県×ムロアジ
- 千葉県×カナガシラ
- 千葉県×コロダイ
- 千葉県×アオダイ
- 千葉県×ヒメダイ
- 千葉県×バラムツ
- 千葉県×スマ
- 千葉県×ヒラソウダ
- 千葉県×ヒガンフグ
- 千葉県×マトウダイ
- 千葉県×ヘダイ
- 千葉県×コウイカ
- 千葉県×カミナリイカ
- 千葉県×キュウセン
- 千葉県×アカメフグ
- 千葉県×アズマハナダイ
各都道府県の人気魚種の釣果情報
- 岩手県×スルメイカ
- 岩手県×マダラ
- 岩手県×ブリ
- 岩手県×マコガレイ
- 岩手県×ヒラメ
- 宮城県×ヒラメ
- 宮城県×マアジ
- 宮城県×アイナメ
- 宮城県×マコガレイ
- 宮城県×メバル
- 福島県×マダイ
- 福島県×ヒラメ
- 福島県×チダイ
- 福島県×キツネメバル
- 福島県×アイナメ
- 茨城県×マダイ
- 茨城県×ブリ
- 茨城県×ヒラメ
- 茨城県×マダコ
- 茨城県×カサゴ
- 埼玉県×サワラ
- 埼玉県×タチウオ
- 埼玉県×マダイ
- 埼玉県×マアジ
- 埼玉県×ホウボウ
- 千葉県×マダイ
- 千葉県×ヒラメ
- 千葉県×マアジ
- 千葉県×イサキ
- 千葉県×マハタ
- 東京都×マアジ
- 東京都×タチウオ
- 東京都×シロギス
- 東京都×マダコ
- 東京都×スズキ
- 神奈川県×マアジ
- 神奈川県×マダイ
- 神奈川県×ブリ
- 神奈川県×アカアマダイ
- 神奈川県×タチウオ
- 新潟県×マダイ
- 新潟県×ブリ
- 新潟県×マアジ
- 新潟県×ゴマサバ
- 新潟県×キダイ
- 富山県×アオリイカ
- 富山県×マダイ
- 富山県×ブリ
- 富山県×キジハタ
- 富山県×アオハタ
- 石川県×ブリ
- 石川県×キジハタ
- 石川県×マダイ
- 石川県×カサゴ
- 石川県×ウッカリカサゴ
- 福井県×ケンサキイカ
- 福井県×マダイ
- 福井県×アオリイカ
- 福井県×スルメイカ
- 福井県×マアジ
- 静岡県×マダイ
- 静岡県×イサキ
- 静岡県×マアジ
- 静岡県×ブリ
- 静岡県×タチウオ
- 愛知県×ブリ
- 愛知県×マダイ
- 愛知県×タチウオ
- 愛知県×ホウボウ
- 愛知県×ヒラメ
- 三重県×ブリ
- 三重県×マダイ
- 三重県×ヒラメ
- 三重県×カサゴ
- 三重県×マアジ
- 京都府×ケンサキイカ
- 京都府×ブリ
- 京都府×マダイ
- 京都府×スルメイカ
- 京都府×アオリイカ
- 大阪府×マダイ
- 大阪府×サワラ
- 大阪府×ブリ
- 大阪府×スズキ
- 大阪府×タチウオ
- 兵庫県×ブリ
- 兵庫県×マダイ
- 兵庫県×マダコ
- 兵庫県×サワラ
- 兵庫県×タチウオ
- 和歌山県×マダイ
- 和歌山県×ブリ
- 和歌山県×マアジ
- 和歌山県×イサキ
- 和歌山県×シロアマダイ
- 鳥取県×ケンサキイカ
- 鳥取県×アオリイカ
- 鳥取県×マダイ
- 鳥取県×スルメイカ
- 鳥取県×アオハタ
- 島根県×ケンサキイカ
- 島根県×スルメイカ
- 島根県×ゴマサバ
- 島根県×マアジ
- 島根県×コウイカ
- 岡山県×スズキ
- 岡山県×マダイ
- 岡山県×ヒラメ
- 岡山県×キジハタ
- 岡山県×クロダイ
- 広島県×マダイ
- 広島県×ブリ
- 広島県×キジハタ
- 広島県×サワラ
- 広島県×シロギス
- 山口県×ケンサキイカ
- 山口県×アオリイカ
- 山口県×キジハタ
- 山口県×ブリ
- 山口県×マダイ
- 徳島県×ブリ
- 徳島県×マアジ
- 徳島県×チダイ
- 徳島県×イサキ
- 徳島県×キダイ
- 香川県×マダイ
- 香川県×アオリイカ
- 香川県×キジハタ
- 香川県×シロギス
- 香川県×クロダイ
- 愛媛県×マダイ
- 愛媛県×ブリ
- 愛媛県×キジハタ
- 愛媛県×タチウオ
- 愛媛県×マダコ
- 高知県×カンパチ
- 高知県×イサキ
- 高知県×アカアマダイ
- 高知県×マダイ
- 高知県×マアジ
- 福岡県×マダイ
- 福岡県×ヤリイカ
- 福岡県×ケンサキイカ
- 福岡県×ヒラマサ
- 福岡県×ブリ
- 佐賀県×ヒラマサ
- 佐賀県×マダイ
- 佐賀県×アカアマダイ
- 佐賀県×キダイ
- 佐賀県×キジハタ
- 長崎県×マダイ
- 長崎県×キジハタ
- 長崎県×オオモンハタ
- 長崎県×アオハタ
- 長崎県×ブリ
- 熊本県×マダイ
- 熊本県×ヒラメ
- 熊本県×キジハタ
- 熊本県×メバル
- 熊本県×カサゴ
- 鹿児島県×カンパチ
- 鹿児島県×オオモンハタ
- 鹿児島県×マダイ
- 鹿児島県×ケンサキイカ
- 鹿児島県×バラハタ
- 沖縄県×スジアラ
- 沖縄県×キハダ
- 沖縄県×バラハタ
- 沖縄県×ハマフエフキ
- 沖縄県×クエ






































マダイ船。初釣りでしたが、潮がまったく動かず食い渋りでした。