-
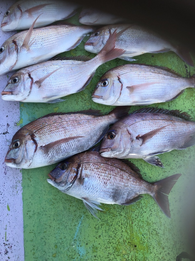
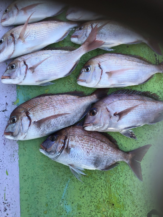
長五郎丸
千葉県 旭市 飯岡漁港333日前釣行日:2025年6月8日(日)中潮ハナダイ
(チダイ)アジ 25~40cm 15~60匹 カサゴ イサキ サバ ウマズラ イナダ カワハギ ヒラメ 釣行当日の潮汐
200 0 -40 0:00 6:00 12:00 18:00 24:00釣行当日の気象
-
日の出
04:20
日の入
18:51
-
月の出
16:11
月の入
01:54
-
天気
曇り
-
気温
25℃/18℃
-
気圧
1010.5hPa
-
風
南西
0.9m/s -
波
南東
0.6m/s -
水温
18.9℃
-
潮
中潮
-
月齢
12.0
-
BI
10.0
釣行当日の気象情報を表示 釣行当日の気象情報を隠す -
東丸
千葉県 安房郡鋸南町 保田港333日前釣行日:2025年6月8日(日)中潮ハナダイ
(チダイ)アジ 27~46cm 16~38匹 カサゴ イトヨリ カワハギ アジ五目船。食いもそこそこありましたが、バラシで数がいまいち伸びませんでした。 アジはすべて金アジです。
釣行当日の潮汐
200 0 -40 0:00 6:00 12:00 18:00 24:00釣行当日の気象
-
日の出
04:26
日の入
18:54
-
月の出
16:14
月の入
01:59
-
天気
曇り
-
気温
26℃/18℃
-
気圧
1010.7hPa
-
風
西
1.3m/s -
波
南南西
0.2m/s -
水温
21.3℃
-
潮
中潮
-
月齢
12.0
-
BI
9.2
釣行当日の気象情報を表示 釣行当日の気象情報を隠す -
第三孝徳丸
千葉県 山武市 片貝旧港333日前釣行日:2025年6月8日(日)中潮ハナダイ
(チダイ)28~31cm 0~4匹 イサキ 27~38cm 4~21匹 キントキ 35~44cm 0~5匹 サバ 35~40cm 5~10匹 今日もイサキ花鯛リレー釣りで出船で昨日同様朝の釣り始めから逆潮、反応に乗った時だけ釣れるような感じで数は伸びず昨日も今日も同じような釣果でした、皆さんどうも有り難う御座いましたまた宜しくお願いします。・(7日の釣果・イサキ・・6~20匹・28~40㎝)・6月10日(火)イサキ花鯛で出船予定。・14日(土)イサキ花鯛で出船予定。・16日(月)イサキ花鯛で出船予定。・7月1日(火)ヒラメで出船予定。・3日(木)ヒラメで出船予定。・6日(日)ヒラメで出船予定で他の曜日も予約が入れば6月いっぱいはイサキ花鯛、7月からはヒラメで出船しますので問い合わせお願いします。
釣行当日の潮汐
200 0 -40 0:00 6:00 12:00 18:00 24:00釣行当日の気象
-
日の出
04:21
日の入
18:51
-
月の出
16:11
月の入
01:55
-
天気
曇り
-
気温
27℃/18℃
-
気圧
1010.6hPa
-
風
西南西
0.6m/s -
波
南東
0.5m/s -
水温
20.8℃
-
潮
中潮
-
月齢
12.0
-
BI
9.9
釣行当日の気象情報を表示 釣行当日の気象情報を隠す -
長五郎丸
千葉県 旭市 飯岡漁港334日前釣行日:2025年6月7日(土)中潮ハナダイ
(チダイ)マダイ 0.30~0.80kg 0~4匹 カサゴ ハタ ホウボウ トラフグ キントキ ガンゾウ イナダ テンヤマダイ。 【乗合】今日は朝からアタリがそこそこありましたが中盤から激減。転々とポイント移動をしましたがパッとせずで終了でした。
釣行当日の潮汐
200 0 -40 0:00 6:00 12:00 18:00 24:00釣行当日の気象
-
日の出
04:20
日の入
18:51
-
月の出
15:12
月の入
01:28
-
天気
晴れ時々曇り
-
気温
26℃/19℃
-
気圧
1012.3hPa
-
風
南南西
3.2m/s -
波
南
1.1m/s -
水温
18.8℃
-
潮
中潮
-
月齢
11.0
-
BI
9.0
釣行当日の気象情報を表示 釣行当日の気象情報を隠す -
東丸
千葉県 安房郡鋸南町 保田港334日前釣行日:2025年6月7日(土)中潮ハナダイ
(チダイ)アジ 27~46cm 19~64匹 カサゴ イトヨリ アジ五目船。特大アジもまじって好調でした。 アジは保田沖の金アジです。
釣行当日の潮汐
200 0 -40 0:00 6:00 12:00 18:00 24:00釣行当日の気象
-
日の出
04:26
日の入
18:53
-
月の出
15:15
月の入
01:33
-
天気
曇り時々晴れ
-
気温
26℃/19℃
-
気圧
1012.5hPa
-
風
南南西
5.5m/s -
波
南西
0.8m/s -
水温
21.3℃
-
潮
中潮
-
月齢
11.0
-
BI
9.0
釣行当日の気象情報を表示 釣行当日の気象情報を隠す -
第二新亀丸
千葉県 山武市 新片貝港334日前釣行日:2025年6月7日(土)中潮ハナダイ
(チダイ)18~27cm 0~5匹 イサキ 20~45cm 7~26匹 潮濁り水温高く食い渋りポツリ釣れ片貝沖花鯛アジ混じって釣れました
釣行当日の潮汐
200 0 -40 0:00 6:00 12:00 18:00 24:00釣行当日の気象
-
日の出
04:21
日の入
18:51
-
月の出
15:12
月の入
01:29
-
天気
晴れ時々曇り
-
気温
28℃/19℃
-
気圧
1012.3hPa
-
風
南南西
2.9m/s -
波
南南東
0.8m/s -
水温
20.8℃
-
潮
中潮
-
月齢
11.0
-
BI
9.0
釣行当日の気象情報を表示 釣行当日の気象情報を隠す -
隆正丸
千葉県 旭市 飯岡漁港335日前釣行日:2025年6月6日(金)若潮ハナダイ
(チダイ)5~15匹 アジ 25~40cm 20~50匹 ゴマサバ コマセ船。 11号で出船。海上凪良く、好調でした。今後も楽しみです。 水深:30M。 潮色と流れ:薄濁ゆるい。
釣行当日の潮汐
200 0 -40 0:00 6:00 12:00 18:00 24:00釣行当日の気象
-
日の出
04:20
日の入
18:50
-
月の出
14:15
月の入
01:05
-
天気
晴れ後時々曇り
-
気温
27℃/18℃
-
気圧
1014.3hPa
-
風
南
4.3m/s -
波
南
1.1m/s -
水温
18.8℃
-
潮
若潮
-
月齢
10.0
-
BI
9.0
釣行当日の気象情報を表示 釣行当日の気象情報を隠す -
浜田丸
千葉県 南房総市 乙浜漁港335日前釣行日:2025年6月6日(金)若潮チダイ
サンパク 3.50~3.60kg 0~1匹 ウッカリカサゴ 1.80~2.90kg 1~2匹 チカメキントキ 0.90kg 0~1匹 アヤメカサゴ 【釣行時間】4:45〜10:15【潮汐】若潮(月齢10)干潮7:15満潮13:20【気温】20〜23℃【水温】20.0→19.2→20.5℃【水色】やや濁り/暗→やや濁り/灰青→澄み/青緑→やや濁り/青緑【風】南西弱→南西やや強【波】南西小→南西中【潮流】出し真潮0.5〜1.1kt→真潮0.3〜0.7kt→込み真潮0.4〜1.1kt【乗船人数】2名。 本日は【ジギング五目釣り】。 最初は中深海の予定でしたが…。 乙浜沖は鳥でいっぱいです!!びっくり とりあえず急停止しました。サンパクGET。 中深海は忘れて、今度は“マハタ狙い”に変更〜。チカメキントキGET〜〜。チダイ。ウッカリカサゴ、ダブルでHIT〜〜。マハタは出ませんでしたが…、中深海には行かなくて良かったかも。
釣行当日の潮汐
200 0 -40 0:00 6:00 12:00 18:00 24:00釣行当日の気象
-
日の出
04:26
日の入
18:52
-
月の出
14:17
月の入
01:09
-
天気
晴れ後時々曇り
-
気温
29℃/18℃
-
気圧
1015.0hPa
-
風
南西
7.0m/s -
波
南
1.2m/s -
水温
21.1℃
-
潮
若潮
-
月齢
10.0
-
BI
10.0
釣行当日の気象情報を表示 釣行当日の気象情報を隠す -
松大丸
千葉県 南房総市 白間津港335日前釣行日:2025年6月6日(金)若潮ハナダイ
(チダイ)マダイ 合計1匹 イサキ ウマズラ 白間津から千倉 水色濁り有り 何故だか、マダイちゃんやる気無く食いませんね 潮も流れ緩慢で マダイは、2人でk位が1匹 イサキ、ハナダイ、ウマズラも お疲れさまでした有難うございました
釣行当日の潮汐
200 0 -40 0:00 6:00 12:00 18:00 24:00釣行当日の気象
-
日の出
04:25
日の入
18:52
-
月の出
14:17
月の入
01:08
-
天気
晴れ後時々曇り
-
気温
29℃/18℃
-
気圧
1015.0hPa
-
風
南西
7.0m/s -
波
南
1.2m/s -
水温
21.1℃
-
潮
若潮
-
月齢
10.0
-
BI
10.0
釣行当日の気象情報を表示 釣行当日の気象情報を隠す -
第二新亀丸
千葉県 山武市 新片貝港335日前釣行日:2025年6月6日(金)若潮ハナダイ
(チダイ)18~30cm 7~17匹 アジ 20~40cm 7~15匹 潮濁り食い渋り後半ポツリ釣れ大型アジ混じって釣れ
釣行当日の潮汐
200 0 -40 0:00 6:00 12:00 18:00 24:00釣行当日の気象
-
日の出
04:21
日の入
18:50
-
月の出
14:15
月の入
01:06
-
天気
晴れ後時々曇り
-
気温
29℃/18℃
-
気圧
1014.2hPa
-
風
南南西
3.5m/s -
波
南南東
0.8m/s -
水温
20.7℃
-
潮
若潮
-
月齢
10.0
-
BI
9.0
釣行当日の気象情報を表示 釣行当日の気象情報を隠す -
隆正丸
千葉県 旭市 飯岡漁港336日前釣行日:2025年6月5日(木)長潮ハナダイ
(チダイ)アジ 25~40cm 20~40匹 ウマズラハギ コマセ船。 11号で出船。久しぶりでしたが反応あり、ポツポツ上がりました。今後も楽しめそうです。 水深:30M。
釣行当日の潮汐
100 0 -20 0:00 6:00 12:00 18:00 24:00釣行当日の気象
-
日の出
04:21
日の入
18:50
-
月の出
13:18
月の入
00:43
-
天気
晴れ
-
気温
24℃/18℃
-
気圧
1008.4hPa
-
風
北北西
0.4m/s -
波
南
0.9m/s -
水温
18.8℃
-
潮
長潮
-
月齢
9.0
-
BI
7.5
釣行当日の気象情報を表示 釣行当日の気象情報を隠す -
長五郎丸
千葉県 旭市 飯岡漁港336日前釣行日:2025年6月5日(木)長潮ハナダイ
(チダイ)マダイ 0.30~2.00kg 0~7匹 カサゴ ハタ ホウボウ メバル ガンゾウ ヒラメ イナダ テンヤマダイ。 【乗合】今日は中鯛を中心にゲスト混じりでお土産になりました。
釣行当日の潮汐
100 0 -20 0:00 6:00 12:00 18:00 24:00釣行当日の気象
-
日の出
04:21
日の入
18:50
-
月の出
13:18
月の入
00:43
-
天気
晴れ
-
気温
24℃/18℃
-
気圧
1008.4hPa
-
風
北北西
0.4m/s -
波
南
0.9m/s -
水温
18.8℃
-
潮
長潮
-
月齢
9.0
-
BI
7.5
釣行当日の気象情報を表示 釣行当日の気象情報を隠す -
第三孝徳丸
千葉県 山武市 片貝旧港337日前釣行日:2025年6月4日(水)小潮ハナダイ
(チダイ)20~30cm 0~2匹 イサキ 29~38cm 8~35匹 アジ 20~40cm 2~16匹 サバ 36~44cm 3~8匹 今日もリレー釣りで出船、少しうねりのある中時間になり投入しすぐ当たりがありイサキの型は出るのですがバラシが多く逆潮で流れてしまう為反応に乗ってられず何度も流し変えるような感じで後半は片貝沖でアジを釣って釣りをやっていた人はお土産十分になり帰港しました、皆さんどうも有り難う御座いましたまた宜しくお願いします。・6月7日(土)イサキ花鯛で出船予定。・8日(日)イサキ花鯛で出船予定。・10日(火)イサキ花鯛で出船予定。・14日(土)イサキ花鯛で出船予定で他の曜日も予約が入ればイサキ・花鯛・テンヤ真鯛どちらでも出船しますので問い合わせお願いします。(例年通りでしたら7月1日火曜日よりヒラメ解禁です、問い合わせお願いします。)
釣行当日の潮汐
200 0 -40 0:00 6:00 12:00 18:00 24:00釣行当日の気象
-
日の出
04:22
日の入
18:49
-
月の出
12:22
月の入
00:20
-
天気
曇り時々晴れ
-
気温
27℃/18℃
-
気圧
998.7hPa
-
風
南東
1.1m/s -
波
南南東
1.3m/s -
水温
20.5℃
-
潮
小潮
-
月齢
8.0
-
BI
7.1
釣行当日の気象情報を表示 釣行当日の気象情報を隠す -
第二新亀丸
千葉県 山武市 新片貝港337日前釣行日:2025年6月4日(水)小潮ハナダイ
(チダイ)18~32cm 7~12匹 アジ 26~42cm 7~12匹 潮濁り食い渋り後半大型アジサパ混じってポツリ釣れました
釣行当日の潮汐
200 0 -40 0:00 6:00 12:00 18:00 24:00釣行当日の気象
-
日の出
04:22
日の入
18:49
-
月の出
12:22
月の入
00:20
-
天気
曇り時々晴れ
-
気温
27℃/18℃
-
気圧
998.7hPa
-
風
南東
1.1m/s -
波
南南東
1.3m/s -
水温
20.5℃
-
潮
小潮
-
月齢
8.0
-
BI
7.1
釣行当日の気象情報を表示 釣行当日の気象情報を隠す -
第1二三丸
千葉県 山武市 片貝旧港340日前釣行日:2025年6月1日(日)中潮ハナダイ
(チダイ)イサキ 23~41cm 9~45匹 マダイ メジナ サバ LTイサキ。二三丸のLTイサキでは、 コマセカゴをサニライトチビ40号か、 スリムカゴ40号錘付、 又は同等サイズでお願いしています、 申し訳ございませんが、 FLライトの使用はお控えください。LTイサキ&ハナダイ五目水深20~50m イサキもハナダイもライトタックルです、 付けエサ用のイカタンと沖アミは船宿用意有ります。 道糸1,5~2号、コマセカゴはサニーライトチビOrスリムカゴ40号。 *早朝キンメは6月からも希望が有れば受け付けます、 水深200~300mのポイントです。 キンメフラッシャーサビキ10本針エサは使わない、 道糸PE4号前後(3・4・5号)を350~400m、錘200号、 *LTヒラメは7月からです、水深25~50m ヒラメ道糸1,5~2号、錘40号限定です。 本日のコメント?言い訳か?。 久し振りの出船でした、イサキ釣りで太東沖です、 昨日の強風高波もほぼ収まり、 東沖からのウネリが少し残っている程度でした、 心配していた水温の低下も無かったが、 ポイントは逆潮でチョッとキツイ濁りでした、 反応も小さめで最初の投入では外してしまい、 急いで再度入れ直すと今度は上手くいって、 直ぐにアタリが出ました、 潮速めでだし反応も小さかったので、 早目にアタリが途切れてしまうのかと思っていたが、 船下の反応が時々途切れるが、 反応出てくると又アタリが出だして、 思いの外長く流せました、 サイズ的にも30㎝超えの良型主体に、 時々40㎝級の大型イサキも混じりました、 中盤過ぎにアタリが少なく成ったので、 ポイントを変えてみたらサイズダウン、 2~3ヵ所アタッタが25㎝程度とサイズイマイチだったので、 思い切って片貝沖まで移動してみました、 アジかハナダイと思ったのですが、 時化直後で反応に纏まりが無く、 アジは型見ず、ハナダイは型程度で終わってしまいました。松丸です、 41,5cmのイサキです、 遠峰さんです、 40㎝にチョット届かず39,5㎝でした、 この直後に松丸さんが40㎝超えちゃいました。港を出て直に虹が出てました、 180度の綺麗な虹でした。 大体今日の最大サイズはこんな感じ。
釣行当日の潮汐
200 0 -40 0:00 6:00 12:00 18:00 24:00釣行当日の気象
-
日の出
04:23
日の入
18:48
-
月の出
09:18
月の入
23:29
-
天気
曇り
-
気温
23℃/15℃
-
気圧
1003.4hPa
-
風
東北東
1.5m/s -
波
東南東
1.3m/s -
水温
19.9℃
-
潮
中潮
-
月齢
5.0
-
BI
9.0
釣行当日の気象情報を表示 釣行当日の気象情報を隠す
千葉県の人気魚種の釣果情報
- 千葉県×マダイ
- 千葉県×ブリ
- 千葉県×マアジ
- 千葉県×イサキ
- 千葉県×カサゴ
- 千葉県×アカアマダイ
- 千葉県×ゴマサバ
- 千葉県×ヒラメ
- 千葉県×ヒラマサ
- 千葉県×ヤリイカ
- 千葉県×マダコ
- 千葉県×キジハタ
- 千葉県×アオリイカ
- 千葉県×スズキ
- 千葉県×サワラ
- 千葉県×カンパチ
- 千葉県×メバル
- 千葉県×シロギス
- 千葉県×タチウオ
- 千葉県×ケンサキイカ
- 千葉県×オニカサゴ
- 千葉県×マハタ
- 千葉県×クロダイ
- 千葉県×アカムツ
- 千葉県×チダイ
- 千葉県×マゴチ
- 千葉県×クロムツ
- 千葉県×スルメイカ
- 千葉県×アカハタ
- 千葉県×アオハタ
- 千葉県×キハダ
- 千葉県×キダイ
- 千葉県×シロアマダイ
- 千葉県×キンメダイ
- 千葉県×アラ
- 千葉県×カワハギ
- 千葉県×カツオ
- 千葉県×クロソイ
- 千葉県×ホウボウ
- 千葉県×メダイ
- 千葉県×メジナ
- 千葉県×カイワリ
- 千葉県×ショウサイフグ
- 千葉県×チカメキントキ
- 千葉県×シログチ
- 千葉県×オオモンハタ
- 千葉県×イトヨリダイ
- 千葉県×シマアジ
- 千葉県×マコガレイ
- 千葉県×アイナメ
- 千葉県×ウスメバル
- 千葉県×シイラ
- 千葉県×ウッカリカサゴ
- 千葉県×メバチ
- 千葉県×アコウダイ
- 千葉県×オオメハタ
- 千葉県×ウメイロ
- 千葉県×クログチ
- 千葉県×イシダイ
- 千葉県×ウマヅラハギ
- 千葉県×タカサゴ
- 千葉県×クエ
- 千葉県×アカイサキ
- 千葉県×ユメカサゴ
- 千葉県×ムシガレイ
- 千葉県×オオサガ
- 千葉県×トラフグ
- 千葉県×メイチダイ
- 千葉県×マアナゴ
- 千葉県×クロシビカマス
- 千葉県×ハガツオ
- 千葉県×フエフキダイ
- 千葉県×ロウニンアジ
- 千葉県×アヤメカサゴ
- 千葉県×ムツ
- 千葉県×ホウキハタ
- 千葉県×アブラボウズ
- 千葉県×マサバ
- 千葉県×ハマフエフキ
- 千葉県×オオクチイシナギ
- 千葉県×ハチビキ
- 千葉県×キチヌ
- 千葉県×シロサバフグ
- 千葉県×イシガレイ
- 千葉県×クロメジナ
- 千葉県×ムロアジ
- 千葉県×カナガシラ
- 千葉県×コロダイ
- 千葉県×アオダイ
- 千葉県×ヒメダイ
- 千葉県×バラムツ
- 千葉県×スマ
- 千葉県×ヒラソウダ
- 千葉県×ヒガンフグ
- 千葉県×マトウダイ
- 千葉県×ヘダイ
- 千葉県×コウイカ
- 千葉県×カミナリイカ
- 千葉県×キュウセン
- 千葉県×アカメフグ
- 千葉県×アズマハナダイ
各都道府県の人気魚種の釣果情報
- 岩手県×スルメイカ
- 岩手県×マダラ
- 岩手県×ブリ
- 岩手県×マコガレイ
- 岩手県×ヒラメ
- 宮城県×ヒラメ
- 宮城県×マアジ
- 宮城県×アイナメ
- 宮城県×マコガレイ
- 宮城県×メバル
- 福島県×マダイ
- 福島県×ヒラメ
- 福島県×チダイ
- 福島県×キツネメバル
- 福島県×アイナメ
- 茨城県×マダイ
- 茨城県×ブリ
- 茨城県×ヒラメ
- 茨城県×マダコ
- 茨城県×カサゴ
- 埼玉県×サワラ
- 埼玉県×タチウオ
- 埼玉県×マダイ
- 埼玉県×ホウボウ
- 埼玉県×マアジ
- 千葉県×マダイ
- 千葉県×ヒラメ
- 千葉県×マアジ
- 千葉県×イサキ
- 千葉県×マハタ
- 東京都×マアジ
- 東京都×タチウオ
- 東京都×シロギス
- 東京都×マダコ
- 東京都×スズキ
- 神奈川県×マアジ
- 神奈川県×マダイ
- 神奈川県×ブリ
- 神奈川県×アカアマダイ
- 神奈川県×タチウオ
- 新潟県×マダイ
- 新潟県×ブリ
- 新潟県×マアジ
- 新潟県×ゴマサバ
- 新潟県×キダイ
- 富山県×アオリイカ
- 富山県×マダイ
- 富山県×ブリ
- 富山県×キジハタ
- 富山県×カサゴ
- 石川県×ブリ
- 石川県×キジハタ
- 石川県×マダイ
- 石川県×カサゴ
- 石川県×ウッカリカサゴ
- 福井県×ケンサキイカ
- 福井県×マダイ
- 福井県×アオリイカ
- 福井県×スルメイカ
- 福井県×マアジ
- 静岡県×マダイ
- 静岡県×イサキ
- 静岡県×マアジ
- 静岡県×ブリ
- 静岡県×タチウオ
- 愛知県×ブリ
- 愛知県×マダイ
- 愛知県×タチウオ
- 愛知県×ホウボウ
- 愛知県×ヒラメ
- 三重県×ブリ
- 三重県×マダイ
- 三重県×ヒラメ
- 三重県×カサゴ
- 三重県×マアジ
- 京都府×ケンサキイカ
- 京都府×ブリ
- 京都府×マダイ
- 京都府×スルメイカ
- 京都府×アオリイカ
- 大阪府×マダイ
- 大阪府×サワラ
- 大阪府×ブリ
- 大阪府×スズキ
- 大阪府×タチウオ
- 兵庫県×ブリ
- 兵庫県×マダイ
- 兵庫県×マダコ
- 兵庫県×サワラ
- 兵庫県×タチウオ
- 和歌山県×マダイ
- 和歌山県×ブリ
- 和歌山県×マアジ
- 和歌山県×イサキ
- 和歌山県×シロアマダイ
- 鳥取県×ケンサキイカ
- 鳥取県×アオリイカ
- 鳥取県×マダイ
- 鳥取県×スルメイカ
- 鳥取県×アオハタ
- 島根県×ケンサキイカ
- 島根県×スルメイカ
- 島根県×ゴマサバ
- 島根県×マアジ
- 島根県×コウイカ
- 岡山県×スズキ
- 岡山県×マダイ
- 岡山県×ヒラメ
- 岡山県×キジハタ
- 岡山県×クロダイ
- 広島県×マダイ
- 広島県×ブリ
- 広島県×キジハタ
- 広島県×サワラ
- 広島県×シロギス
- 山口県×ケンサキイカ
- 山口県×アオリイカ
- 山口県×キジハタ
- 山口県×マダイ
- 山口県×ブリ
- 徳島県×ブリ
- 徳島県×マアジ
- 徳島県×イサキ
- 徳島県×チダイ
- 徳島県×キダイ
- 香川県×マダイ
- 香川県×アオリイカ
- 香川県×キジハタ
- 香川県×シロギス
- 香川県×クロダイ
- 愛媛県×マダイ
- 愛媛県×ブリ
- 愛媛県×キジハタ
- 愛媛県×タチウオ
- 愛媛県×マダコ
- 高知県×カンパチ
- 高知県×イサキ
- 高知県×アカアマダイ
- 高知県×マダイ
- 高知県×ケンサキイカ
- 福岡県×マダイ
- 福岡県×ヤリイカ
- 福岡県×ケンサキイカ
- 福岡県×ヒラマサ
- 福岡県×ブリ
- 佐賀県×ヒラマサ
- 佐賀県×マダイ
- 佐賀県×アカアマダイ
- 佐賀県×キダイ
- 佐賀県×キジハタ
- 長崎県×マダイ
- 長崎県×キジハタ
- 長崎県×オオモンハタ
- 長崎県×アオハタ
- 長崎県×ブリ
- 熊本県×マダイ
- 熊本県×ヒラメ
- 熊本県×キジハタ
- 熊本県×メバル
- 熊本県×カサゴ
- 鹿児島県×カンパチ
- 鹿児島県×マダイ
- 鹿児島県×ケンサキイカ
- 鹿児島県×オオモンハタ
- 鹿児島県×バラハタ
- 沖縄県×スジアラ
- 沖縄県×バラハタ
- 沖縄県×キハダ
- 沖縄県×ハマフエフキ
- 沖縄県×クエ








































コマセアジ。 【乗合】今日は終始コンスタントに上がり、2点、3点がけもありクーラー満タンの方も!お土産たっぷりでした。