-
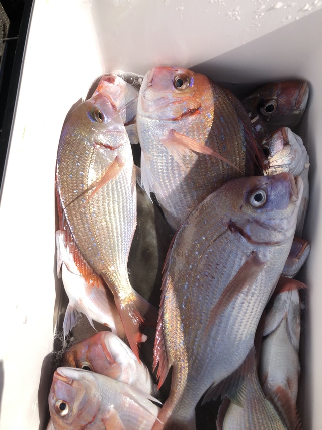
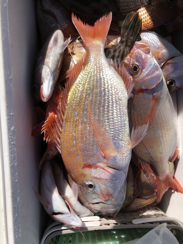
長福丸
千葉県 いすみ市 大原港236日前釣行日:2025年9月12日(金)中潮ハナダイ
(チダイ)マダイ 0.30~0.80kg 5~13匹 ガンゾウ フグ 釣行当日の潮汐
200 0 -40 0:00 6:00 12:00 18:00 24:00釣行当日の気象
-
日の出
05:18
日の入
17:50
-
月の出
20:22
月の入
10:12
-
天気
曇り
-
気温
30℃/24℃
-
気圧
1018.4hPa
-
風
北東
3.5m/s -
波
東
0.9m/s -
水温
29.6℃
-
潮
中潮
-
月齢
19.9
-
BI
8.7
釣行当日の気象情報を表示 釣行当日の気象情報を隠す -
隆正丸
千葉県 旭市 飯岡漁港236日前釣行日:2025年9月12日(金)中潮ハナダイ
(チダイ)20~38cm 35~50匹 イサキ 20~35cm 5~15匹 コマセ船。 11号で出船。本日も反応デカく好調でした。明日も釣れるでしょう。水深:30M。
釣行当日の潮汐
200 0 -40 0:00 6:00 12:00 18:00 24:00釣行当日の気象
-
日の出
05:16
日の入
17:49
-
月の出
20:19
月の入
10:12
-
天気
曇り
-
気温
29℃/24℃
-
気圧
1018.6hPa
-
風
北東
3.1m/s -
波
東
0.7m/s -
水温
26.2℃
-
潮
中潮
-
月齢
19.9
-
BI
8.7
釣行当日の気象情報を表示 釣行当日の気象情報を隠す -
太幸丸
千葉県 旭市 飯岡漁港236日前釣行日:2025年9月12日(金)中潮ハナダイ
(チダイ)18~30cm 21~35匹 イサキ 25~38cm 11~18匹 コマセ五目。 日も潮速くチョイ周りの繰り返しでした。 活性は悪くないようでポツポツと釣れました。
釣行当日の潮汐
200 0 -40 0:00 6:00 12:00 18:00 24:00釣行当日の気象
-
日の出
05:16
日の入
17:49
-
月の出
20:19
月の入
10:12
-
天気
曇り
-
気温
29℃/24℃
-
気圧
1018.6hPa
-
風
北東
3.1m/s -
波
東
0.7m/s -
水温
26.2℃
-
潮
中潮
-
月齢
19.9
-
BI
8.7
釣行当日の気象情報を表示 釣行当日の気象情報を隠す -
太幸丸
千葉県 旭市 飯岡漁港237日前釣行日:2025年9月11日(木)中潮ハナダイ
(チダイ)18~30cm 21~35匹 イサキ 25~38cm 11~18匹 メジナ ウマヅラ サバ コマセ五目。 潮速くチョイ周りの繰り返しでした。 ポツポツと釣れたので良かったですね。
釣行当日の潮汐
200 0 -40 0:00 6:00 12:00 18:00 24:00釣行当日の気象
-
日の出
05:16
日の入
17:50
-
月の出
19:40
月の入
08:57
-
天気
曇り一時雨
-
気温
32℃/24℃
-
気圧
1014.5hPa
-
風
南南西
3.6m/s -
波
南南東
1.0m/s -
水温
26.4℃
-
潮
中潮
-
月齢
18.9
-
BI
7.7
釣行当日の気象情報を表示 釣行当日の気象情報を隠す -
隆正丸
千葉県 旭市 飯岡漁港238日前釣行日:2025年9月10日(水)中潮ハナダイ
(チダイ)20~35cm 20~50匹 イサキ 20~33cm 12~20匹 ウマズラ コマセ船。 11号で出船。本日も好調で、楽しめました。水深:30M。 潮色と流れ:薄濁ゆるい。 風向きと強さ:南弱い。 波高:1.0-1.5M。
釣行当日の潮汐
200 0 -40 0:00 6:00 12:00 18:00 24:00釣行当日の気象
-
日の出
05:15
日の入
17:52
-
月の出
19:07
月の入
07:44
-
天気
曇り一時雨
-
気温
32℃/25℃
-
気圧
1013.7hPa
-
風
南南西
2.7m/s -
波
南東
0.9m/s -
水温
26.5℃
-
潮
中潮
-
月齢
17.9
-
BI
8.0
釣行当日の気象情報を表示 釣行当日の気象情報を隠す -
第1二三丸
千葉県 山武市 片貝旧港239日前釣行日:2025年9月9日(火)中潮ハナダイ
(チダイ)27~38cm 0~5匹 イサキ 22~28cm 0~3匹 マダイ ウマヅラ カサゴ シイラ 天気、靄。 本日のコメント。言い訳か。 今日はLTハナダイです、 凄~~~~~~~~~く久し振りのハナダイ五目、 ほぼ専門でやってる船も苦労している様です、 そんな状況でほぼ1年ぶり位のオイラに釣らせられるだろうか。 最近外れっぱなしのへっぽこな船頭には難しそうです、 やっぱり難しかった、、、、、 反応はソッチコッチに有るが、アタリが出ない、 パターンも色々試してみたが、アタリが出せない、 4カ所目のポイントの反応でやっと何かが当たった、 釣れたのはイサキでした、でも3人しか釣れませんでした、 同じポイントの反応で再度釣りしたが1人だけ1荷釣り、 3回目はアタリ無くポイント移動しました、 何ヵ所目か判らなく成ったが、 後半のポイントでやっとハナダイの型が出た、 ココではたまにポツリだが、 30㎝前後の良型ハナダイだった、 この反応は流し替える度に型が出て、 ハナダイ釣りの証明程度には成り、ホッとしました。
釣行当日の潮汐
200 0 -40 0:00 6:00 12:00 18:00 24:00釣行当日の気象
-
日の出
05:15
日の入
17:53
-
月の出
18:38
月の入
06:33
-
天気
晴れ時々曇り
-
気温
33℃/26℃
-
気圧
1012.2hPa
-
風
西
0.5m/s -
波
東
0.7m/s -
水温
29.7℃
-
潮
中潮
-
月齢
16.9
-
BI
8.1
釣行当日の気象情報を表示 釣行当日の気象情報を隠す -
山賀丸
千葉県 南房総市 小浦漁港240日前釣行日:2025年9月8日(月)大潮チダイ
合計8匹 タイ 0.70kg 0~1匹 イサギ 合計7匹 カワハギ 合計2匹 アマダイ 合計2匹 タマガシラ 合計3匹 ソイ 0~1匹 3名様の釣果です。
釣行当日の潮汐
200 0 -40 0:00 6:00 12:00 18:00 24:00釣行当日の気象
-
日の出
05:18
日の入
17:57
-
月の出
18:14
月の入
05:27
-
天気
晴れ後時々曇り
-
気温
33℃/26℃
-
気圧
1009.8hPa
-
風
南西
2.3m/s -
波
南西
0.2m/s -
水温
26.5℃
-
潮
大潮
-
月齢
15.9
-
BI
8.3
釣行当日の気象情報を表示 釣行当日の気象情報を隠す -
隆正丸
千葉県 旭市 飯岡漁港240日前釣行日:2025年9月8日(月)大潮ハナダイ
(チダイ)20~35cm 7~30匹 イサキ 20~40cm 6~30匹 アジ メバル コマセ船。 11号で出船。本日も反応多く好調で、皆さんお土産になりました。水深:30M。
釣行当日の潮汐
200 0 -40 0:00 6:00 12:00 18:00 24:00釣行当日の気象
-
日の出
05:13
日の入
17:55
-
月の出
18:10
月の入
05:23
-
天気
晴れ後時々曇り
-
気温
32℃/26℃
-
気圧
1009.9hPa
-
風
南
1.7m/s -
波
東南東
1.0m/s -
水温
26.2℃
-
潮
大潮
-
月齢
15.9
-
BI
9.8
釣行当日の気象情報を表示 釣行当日の気象情報を隠す -
太幸丸
千葉県 旭市 飯岡漁港241日前釣行日:2025年9月7日(日)大潮ハナダイ
(チダイ)18~30cm 3~17匹 イサキ 25~35cm 10~38匹 アジ ウマヅラ ワカシ サバ ハナダイ、イサキ、 他アジ!ウマヅラ!ワカシ!サバ! 今日は潮速くてチョイ周りの繰り返しでした ハナダイはちょっと少なかったけどイサキは好調に喰いました!
釣行当日の潮汐
200 0 -40 0:00 6:00 12:00 18:00 24:00釣行当日の気象
-
日の出
05:13
日の入
17:56
-
月の出
17:42
月の入
04:14
-
天気
晴れ時々曇り
-
気温
31℃/25℃
-
気圧
1010.4hPa
-
風
南南西
3.4m/s -
波
東南東
0.9m/s -
水温
26.1℃
-
潮
大潮
-
月齢
14.9
-
BI
10.3
釣行当日の気象情報を表示 釣行当日の気象情報を隠す -
清勝丸
千葉県 旭市 飯岡漁港241日前釣行日:2025年9月7日(日)大潮ハナダイ
(チダイ)20~30cm 0~10匹 イサキ 20~35cm 12~40匹 ヒラメも平均的に釣れ、豊富なゲストも混じりお土産となりました。 待ちに待ったイサキ五目も出船しました!サイズもまあまあで沢山釣れましたよ!イサキファンの皆様釣れている時に是非いらして下さい。 明日もはりきって行きますよ\(^-^)/ (アマダイ) 13日(土)募集中 シロギス釣れているのでエサは2パックあった方が良いと思います!午後からでもたくさん釣れています。 イサキハナダイとシロギスのリレー 前半アジハナダイ後半キスと楽しんで下さい! 変更、お知らせあればまたこちらで載せます。 人数集まれば出船致します。 人数が集まらないと出船できません。 人数と釣果次第で変更します。 天候の変わりやすい季節です、中止等お知らせで載せますが、遅い時間になる時もありますのでご心配の方は電話でお問い合わせ下さい。 今後はヒラメ、アマダイ、アジ&シロギスリレー、テンヤマダイ、沖根魚(アラ鬼カサゴ)、シロギス 午後テンヤマダイ、アジハナダイ五目(コマセ)、シロギス 出船予定です。 インスタ始めました\(^o^)/良かったら見て下さいね~。 初めての方や慣れていない方は是非、船長の見える場所へお座り下さい! 予約時すぐに電話に出れない時がありますが折り返します! 千葉東金横芝ICから匝瑳市(旭市隣)まで高速道路が延長になりました。最終、匝瑳ICで降りて右折、海沿いで是非いらっしゃって下さい。早くなりますよ~! 午前船のお客様はお弁当付いてます(ノ・∀・)ノ 集合時間 ヤリイカ、アカムツ、沖根魚、アマダイ、イサキ五目3時 ヒラメ3時45分 マダイ、イサキ五目&シロギスリレー、シロギス4時 午後船は12時 時間厳守でお願いいたします! もし遅れる等の場合は早急にご連絡下さい。他のお客様を待たせてしまう、出船時間も遅れてしまいます。 リクエスト、人数天候等により変更あります! テンヤは遊動式しかけで!初心者でも釣れますよ~! 初心者の方、予約時お知らせ下さい。 救命胴衣(無料)、レンタル貸竿(基本無料。有料も有)ございます。
釣行当日の潮汐
200 0 -40 0:00 6:00 12:00 18:00 24:00釣行当日の気象
-
日の出
05:13
日の入
17:56
-
月の出
17:42
月の入
04:14
-
天気
晴れ時々曇り
-
気温
31℃/25℃
-
気圧
1010.4hPa
-
風
南南西
3.4m/s -
波
東南東
0.9m/s -
水温
26.1℃
-
潮
大潮
-
月齢
14.9
-
BI
10.3
釣行当日の気象情報を表示 釣行当日の気象情報を隠す -
隆正丸
千葉県 旭市 飯岡漁港241日前釣行日:2025年9月7日(日)大潮ハナダイ
(チダイ)20~30cm 4~21匹 イサキ 20~35cm 12~36匹 コマセ船。 11号で出船。まだウネリのから中でしたが、ポツポツ当たりました。潮が流れていて移動繰り返し皆さんお土産になりました。 水深:30M。潮色と流れ:薄濁速い。 風向きと強さ:南弱い。
釣行当日の潮汐
200 0 -40 0:00 6:00 12:00 18:00 24:00釣行当日の気象
-
日の出
05:13
日の入
17:56
-
月の出
17:42
月の入
04:14
-
天気
晴れ時々曇り
-
気温
31℃/25℃
-
気圧
1010.4hPa
-
風
南南西
3.4m/s -
波
東南東
0.9m/s -
水温
26.1℃
-
潮
大潮
-
月齢
14.9
-
BI
10.3
釣行当日の気象情報を表示 釣行当日の気象情報を隠す -
長五郎丸
千葉県 旭市 飯岡漁港241日前釣行日:2025年9月7日(日)大潮ハナダイ
(チダイ)マダイ 0.50~0.80kg 0~3匹 カサゴ ウマズラ キントキ マゴチ ハタ ガンゾウ ホウボウ テンヤマダイ。【乗合】今日はマダイが少なく苦戦でしたが、ホウボウなどのゲスト混じりでなんとかお土産になりました。
釣行当日の潮汐
200 0 -40 0:00 6:00 12:00 18:00 24:00釣行当日の気象
-
日の出
05:13
日の入
17:56
-
月の出
17:42
月の入
04:14
-
天気
晴れ時々曇り
-
気温
31℃/25℃
-
気圧
1010.4hPa
-
風
南南西
3.4m/s -
波
東南東
0.9m/s -
水温
26.1℃
-
潮
大潮
-
月齢
14.9
-
BI
10.3
釣行当日の気象情報を表示 釣行当日の気象情報を隠す -
新幸丸
千葉県 いすみ市 大原港241日前釣行日:2025年9月7日(日)大潮ハナダイ
(チダイ)マダイ 0.30~0.80kg 1~5匹 カサゴ ヒラマサ ヒラメ フグ 潮全く流れずウネリもありアタリ少なかった、流すたびに型は出ていたが数伸びなかった
釣行当日の潮汐
200 0 -40 0:00 6:00 12:00 18:00 24:00釣行当日の気象
-
日の出
05:14
日の入
17:57
-
月の出
17:43
月の入
04:16
-
天気
晴れ時々曇り
-
気温
33℃/25℃
-
気圧
1010.4hPa
-
風
南南西
3.1m/s -
波
東
1.0m/s -
水温
29.2℃
-
潮
大潮
-
月齢
14.9
-
BI
9.9
釣行当日の気象情報を表示 釣行当日の気象情報を隠す -
豊国丸
千葉県 富津市 竹岡港241日前釣行日:2025年9月7日(日)大潮ハナダイ
(チダイ)マダイ 最大1.65kg 合計11匹 ホウボウ カサゴ アジ シャクリマダイ初挑戦の皆さん 出船前、講習からスタートです。 前半、下げは流れてましたが なかなか厳しく型程度 中盤から上げ潮へ 移動繰り返しながら 単発積み上げ作戦でした。 左舷の方へ型物ヒットも切らる
釣行当日の潮汐
200 0 -40 0:00 6:00 12:00 18:00 24:00釣行当日の気象
-
日の出
05:17
日の入
18:00
-
月の出
17:46
月の入
04:19
-
天気
晴れ時々曇り
-
気温
32℃/25℃
-
気圧
1010.2hPa
-
風
南南西
4.0m/s -
波
南南西
0.2m/s -
水温
26.4℃
-
潮
大潮
-
月齢
14.9
-
BI
9.0
釣行当日の気象情報を表示 釣行当日の気象情報を隠す -
第二新亀丸
千葉県 山武市 新片貝港241日前釣行日:2025年9月7日(日)大潮ハナダイ
(チダイ)18~36cm 10~38匹 潮濁り水温安定して食い渋り後半ポツリ釣れイサキ混じった
釣行当日の潮汐
200 0 -40 0:00 6:00 12:00 18:00 24:00釣行当日の気象
-
日の出
05:13
日の入
17:56
-
月の出
17:42
月の入
04:15
-
天気
晴れ時々曇り
-
気温
33℃/25℃
-
気圧
1010.3hPa
-
風
南南西
2.7m/s -
波
東
0.8m/s -
水温
29.2℃
-
潮
大潮
-
月齢
14.9
-
BI
10.0
釣行当日の気象情報を表示 釣行当日の気象情報を隠す
千葉県の人気魚種の釣果情報
- 千葉県×マダイ
- 千葉県×ブリ
- 千葉県×マアジ
- 千葉県×イサキ
- 千葉県×カサゴ
- 千葉県×アカアマダイ
- 千葉県×ゴマサバ
- 千葉県×ヒラメ
- 千葉県×ヒラマサ
- 千葉県×ヤリイカ
- 千葉県×マダコ
- 千葉県×キジハタ
- 千葉県×アオリイカ
- 千葉県×スズキ
- 千葉県×サワラ
- 千葉県×カンパチ
- 千葉県×メバル
- 千葉県×シロギス
- 千葉県×タチウオ
- 千葉県×ケンサキイカ
- 千葉県×オニカサゴ
- 千葉県×マハタ
- 千葉県×クロダイ
- 千葉県×アカムツ
- 千葉県×チダイ
- 千葉県×マゴチ
- 千葉県×クロムツ
- 千葉県×スルメイカ
- 千葉県×アカハタ
- 千葉県×アオハタ
- 千葉県×キハダ
- 千葉県×キダイ
- 千葉県×シロアマダイ
- 千葉県×キンメダイ
- 千葉県×アラ
- 千葉県×カワハギ
- 千葉県×カツオ
- 千葉県×クロソイ
- 千葉県×ホウボウ
- 千葉県×メダイ
- 千葉県×メジナ
- 千葉県×カイワリ
- 千葉県×ショウサイフグ
- 千葉県×チカメキントキ
- 千葉県×シログチ
- 千葉県×オオモンハタ
- 千葉県×イトヨリダイ
- 千葉県×シマアジ
- 千葉県×マコガレイ
- 千葉県×アイナメ
- 千葉県×ウスメバル
- 千葉県×シイラ
- 千葉県×ウッカリカサゴ
- 千葉県×メバチ
- 千葉県×アコウダイ
- 千葉県×オオメハタ
- 千葉県×ウメイロ
- 千葉県×クログチ
- 千葉県×イシダイ
- 千葉県×ウマヅラハギ
- 千葉県×タカサゴ
- 千葉県×クエ
- 千葉県×アカイサキ
- 千葉県×ユメカサゴ
- 千葉県×ムシガレイ
- 千葉県×オオサガ
- 千葉県×トラフグ
- 千葉県×メイチダイ
- 千葉県×マアナゴ
- 千葉県×クロシビカマス
- 千葉県×ハガツオ
- 千葉県×フエフキダイ
- 千葉県×ロウニンアジ
- 千葉県×アヤメカサゴ
- 千葉県×ムツ
- 千葉県×ホウキハタ
- 千葉県×アブラボウズ
- 千葉県×マサバ
- 千葉県×ハマフエフキ
- 千葉県×オオクチイシナギ
- 千葉県×ハチビキ
- 千葉県×キチヌ
- 千葉県×シロサバフグ
- 千葉県×イシガレイ
- 千葉県×クロメジナ
- 千葉県×ムロアジ
- 千葉県×カナガシラ
- 千葉県×コロダイ
- 千葉県×アオダイ
- 千葉県×ヒメダイ
- 千葉県×バラムツ
- 千葉県×スマ
- 千葉県×ヒラソウダ
- 千葉県×ヒガンフグ
- 千葉県×マトウダイ
- 千葉県×ヘダイ
- 千葉県×コウイカ
- 千葉県×カミナリイカ
- 千葉県×キュウセン
- 千葉県×アカメフグ
- 千葉県×アズマハナダイ
各都道府県の人気魚種の釣果情報
- 岩手県×スルメイカ
- 岩手県×マダラ
- 岩手県×ブリ
- 岩手県×マコガレイ
- 岩手県×ヒラメ
- 宮城県×ヒラメ
- 宮城県×マアジ
- 宮城県×アイナメ
- 宮城県×マコガレイ
- 宮城県×メバル
- 福島県×マダイ
- 福島県×ヒラメ
- 福島県×チダイ
- 福島県×キツネメバル
- 福島県×アイナメ
- 茨城県×マダイ
- 茨城県×ブリ
- 茨城県×ヒラメ
- 茨城県×マダコ
- 茨城県×カサゴ
- 埼玉県×サワラ
- 埼玉県×タチウオ
- 埼玉県×マダイ
- 埼玉県×マアジ
- 埼玉県×ホウボウ
- 千葉県×マダイ
- 千葉県×ヒラメ
- 千葉県×マアジ
- 千葉県×イサキ
- 千葉県×マハタ
- 東京都×マアジ
- 東京都×タチウオ
- 東京都×シロギス
- 東京都×マダコ
- 東京都×スズキ
- 神奈川県×マアジ
- 神奈川県×マダイ
- 神奈川県×ブリ
- 神奈川県×アカアマダイ
- 神奈川県×タチウオ
- 新潟県×マダイ
- 新潟県×ブリ
- 新潟県×マアジ
- 新潟県×ゴマサバ
- 新潟県×キダイ
- 富山県×アオリイカ
- 富山県×マダイ
- 富山県×ブリ
- 富山県×キジハタ
- 富山県×アオハタ
- 石川県×ブリ
- 石川県×キジハタ
- 石川県×マダイ
- 石川県×カサゴ
- 石川県×ウッカリカサゴ
- 福井県×ケンサキイカ
- 福井県×マダイ
- 福井県×アオリイカ
- 福井県×スルメイカ
- 福井県×マアジ
- 静岡県×マダイ
- 静岡県×イサキ
- 静岡県×マアジ
- 静岡県×ブリ
- 静岡県×タチウオ
- 愛知県×ブリ
- 愛知県×マダイ
- 愛知県×タチウオ
- 愛知県×ホウボウ
- 愛知県×ヒラメ
- 三重県×ブリ
- 三重県×マダイ
- 三重県×ヒラメ
- 三重県×カサゴ
- 三重県×マアジ
- 京都府×ケンサキイカ
- 京都府×ブリ
- 京都府×マダイ
- 京都府×スルメイカ
- 京都府×アオリイカ
- 大阪府×マダイ
- 大阪府×サワラ
- 大阪府×ブリ
- 大阪府×スズキ
- 大阪府×タチウオ
- 兵庫県×ブリ
- 兵庫県×マダイ
- 兵庫県×マダコ
- 兵庫県×サワラ
- 兵庫県×タチウオ
- 和歌山県×マダイ
- 和歌山県×ブリ
- 和歌山県×マアジ
- 和歌山県×イサキ
- 和歌山県×シロアマダイ
- 鳥取県×ケンサキイカ
- 鳥取県×アオリイカ
- 鳥取県×マダイ
- 鳥取県×スルメイカ
- 鳥取県×アオハタ
- 島根県×ケンサキイカ
- 島根県×スルメイカ
- 島根県×ゴマサバ
- 島根県×マアジ
- 島根県×コウイカ
- 岡山県×スズキ
- 岡山県×マダイ
- 岡山県×ヒラメ
- 岡山県×キジハタ
- 岡山県×クロダイ
- 広島県×マダイ
- 広島県×ブリ
- 広島県×キジハタ
- 広島県×サワラ
- 広島県×シロギス
- 山口県×ケンサキイカ
- 山口県×アオリイカ
- 山口県×キジハタ
- 山口県×ブリ
- 山口県×マダイ
- 徳島県×ブリ
- 徳島県×マアジ
- 徳島県×チダイ
- 徳島県×イサキ
- 徳島県×キダイ
- 香川県×マダイ
- 香川県×アオリイカ
- 香川県×キジハタ
- 香川県×シロギス
- 香川県×クロダイ
- 愛媛県×マダイ
- 愛媛県×ブリ
- 愛媛県×キジハタ
- 愛媛県×タチウオ
- 愛媛県×マダコ
- 高知県×カンパチ
- 高知県×イサキ
- 高知県×アカアマダイ
- 高知県×マダイ
- 高知県×マアジ
- 福岡県×マダイ
- 福岡県×ヤリイカ
- 福岡県×ケンサキイカ
- 福岡県×ヒラマサ
- 福岡県×ブリ
- 佐賀県×ヒラマサ
- 佐賀県×マダイ
- 佐賀県×アカアマダイ
- 佐賀県×キダイ
- 佐賀県×キジハタ
- 長崎県×マダイ
- 長崎県×キジハタ
- 長崎県×オオモンハタ
- 長崎県×アオハタ
- 長崎県×ブリ
- 熊本県×マダイ
- 熊本県×ヒラメ
- 熊本県×キジハタ
- 熊本県×メバル
- 熊本県×カサゴ
- 鹿児島県×カンパチ
- 鹿児島県×オオモンハタ
- 鹿児島県×マダイ
- 鹿児島県×ケンサキイカ
- 鹿児島県×バラハタ
- 沖縄県×スジアラ
- 沖縄県×キハダ
- 沖縄県×バラハタ
- 沖縄県×ハマフエフキ
- 沖縄県×クエ



































真鯛船は水深13〜20m。 朝イチから食い良く入れ食いの場面もあり、日中間が空く時間もあったがそれでも最後まで浅場で好調に釣れました。薄濁り。