-
あまさけや丸
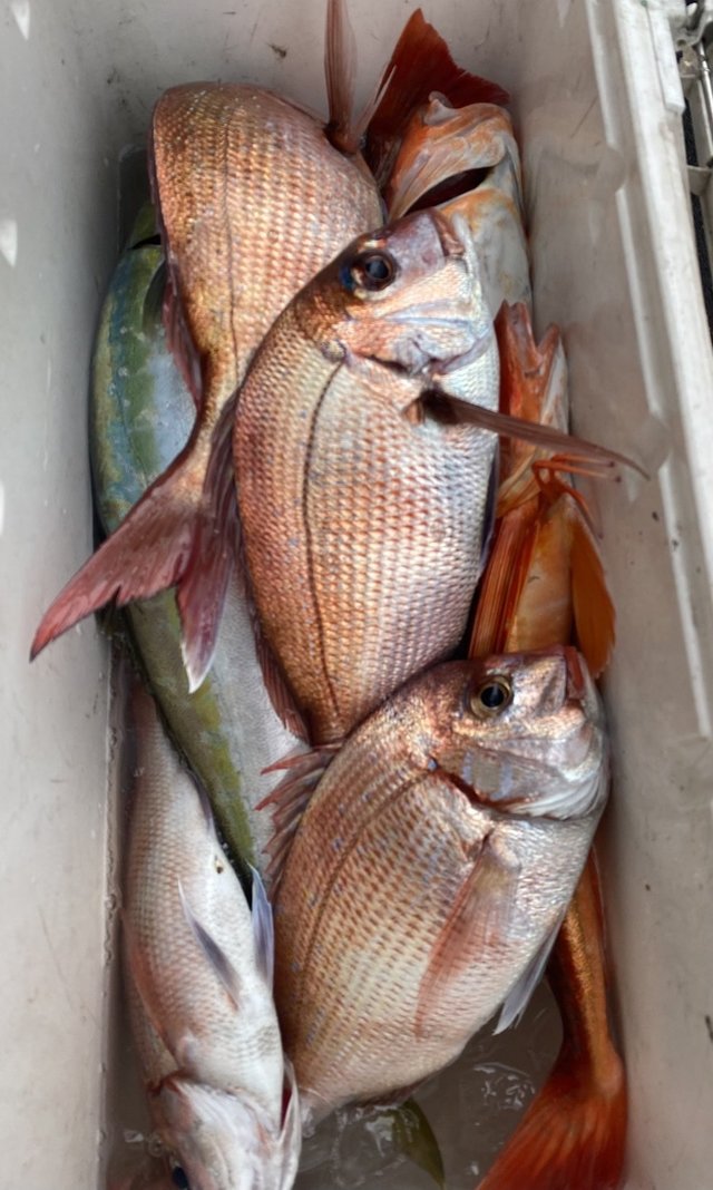
神奈川県 三浦市 松輪江奈漁港234日前釣行日:2025年5月2日(金)中潮マダイ
2.00~2.50kg 0~2匹 アジ 20~40cm ゴマサバ 釣行当日の潮汐
200 0 -40 0:00 6:00 12:00 18:00 24:00釣行当日の気象
-
日の出
04:49
日の入
18:28
-
月の出
08:16
月の入
23:43
-
天気
雨
-
気温
20℃/14℃
-
気圧
1012.7hPa
-
風
南東
8.1m/s -
波
南南東
1.2m/s -
水温
16.7℃
-
潮
中潮
-
月齢
4.3
-
BI
8.5
釣行当日の気象情報を表示 釣行当日の気象情報を隠す -
第五悌栄丸
茨城県 鹿嶋市 鹿嶋新港234日前釣行日:2025年5月2日(金)中潮オオダイ
(マダイ)0.30~6.20kg 0~11匹 ハナダイ 1~7匹 朝から喰い始め、 6.2キロ•4.6キロ•3.5キロ•1.4キロ•1.4キロ•1.3キロの大鯛•型物を筆頭に喰いました。 大鯛連発でした。 今日はアタリ多く大鯛•型物混じりに数も釣れて絶好調でした。 お乗り頂いたお客様お疲れ様でした。 明日は午前•午後共に中止にします。 ※活き海老開始しました。 自然相手ですので…ない場合は冷凍海老になりますのでご了承ください。 数に限りがありますので、基本的に2匹掛けは厳禁で。ご協力お願いします。
釣行当日の潮汐
200 0 -40 0:00 6:00 12:00 18:00 24:00釣行当日の気象
-
日の出
04:43
日の入
18:25
-
月の出
08:08
月の入
23:42
-
天気
雨
-
気温
19℃/14℃
-
気圧
1014.2hPa
-
風
南東
4.5m/s -
波
東
1.3m/s -
水温
15.9℃
-
潮
中潮
-
月齢
4.3
-
BI
7.6
釣行当日の気象情報を表示 釣行当日の気象情報を隠す -
浜鈴丸
神奈川県 三浦市 松輪江奈漁港234日前釣行日:2025年5月2日(金)中潮マダイ
最大2.20kg 4~7匹 2名様。 大鯛のハリス切れ2発有り。 1キロover揃いでした。
釣行当日の潮汐
200 0 -40 0:00 6:00 12:00 18:00 24:00釣行当日の気象
-
日の出
04:49
日の入
18:28
-
月の出
08:16
月の入
23:43
-
天気
雨
-
気温
20℃/14℃
-
気圧
1012.7hPa
-
風
南東
8.1m/s -
波
南南東
1.2m/s -
水温
16.7℃
-
潮
中潮
-
月齢
4.3
-
BI
8.5
釣行当日の気象情報を表示 釣行当日の気象情報を隠す -
大栄丸
茨城県 鹿嶋市 鹿嶋新港234日前釣行日:2025年5月2日(金)中潮マダイ
0.60~4.92kg 0~4匹 良型•大鯛浮上で船内盛り上がりました! 明日も明後日もその次も毎日出船予定です。 午後船も募集しておりますので、 よろしくお願い致します。
釣行当日の潮汐
200 0 -40 0:00 6:00 12:00 18:00 24:00釣行当日の気象
-
日の出
04:43
日の入
18:25
-
月の出
08:08
月の入
23:42
-
天気
雨
-
気温
19℃/14℃
-
気圧
1014.2hPa
-
風
南東
4.5m/s -
波
東
1.3m/s -
水温
15.9℃
-
潮
中潮
-
月齢
4.3
-
BI
7.6
釣行当日の気象情報を表示 釣行当日の気象情報を隠す -
鴨下丸kawana
神奈川県 横浜市 八幡橋234日前釣行日:2025年5月2日(金)中潮マダイ
0.60~1.60kg 0~3匹 トップクラスの人しかマダイの当たりを引き出せず、厳しい日でした…。 難易度。喰わせた方は流石でした。簡単ではありません…。
釣行当日の潮汐
200 0 -40 0:00 6:00 12:00 18:00 24:00釣行当日の気象
-
日の出
04:49
日の入
18:29
-
月の出
08:15
月の入
23:44
-
天気
雨
-
気温
19℃/15℃
-
気圧
1012.8hPa
-
風
南東
6.0m/s -
波
南東
0.3m/s -
水温
16.3℃
-
潮
中潮
-
月齢
4.3
-
BI
8.4
釣行当日の気象情報を表示 釣行当日の気象情報を隠す -
弁天屋
神奈川県 横浜市 金沢八景瀬戸橋234日前釣行日:2025年5月2日(金)中潮マダイ
0.40~1.20kg 0~2匹 【全日マダイ】風向:南東。波の状況:低い。 近場から探索しましたが、潮が今一つなので沖のポイントへ変えて少し釣れました。次回は9日より再開します。
釣行当日の潮汐
200 0 -40 0:00 6:00 12:00 18:00 24:00釣行当日の気象
-
日の出
04:49
日の入
18:28
-
月の出
08:15
月の入
23:44
-
天気
雨
-
気温
19℃/15℃
-
気圧
1012.8hPa
-
風
南東
6.0m/s -
波
南東
0.3m/s -
水温
16.3℃
-
潮
中潮
-
月齢
4.3
-
BI
7.9
釣行当日の気象情報を表示 釣行当日の気象情報を隠す -
丸又丸
神奈川県 三浦市 間口漁港234日前釣行日:2025年5月2日(金)中潮マダイ
0.40~1.50kg 0~5匹 真鯛五目出船でした。 トップ5尾!2番手3尾が2名と好調でした^^ お一人様残念でした^^; 親父船はトップ3尾!黒鯛、メジナも混じったみたいですが真鯛は1人釣りだったようです笑。 本日もご乗船頂きありがとうございました。
釣行当日の潮汐
200 0 -40 0:00 6:00 12:00 18:00 24:00釣行当日の気象
-
日の出
04:49
日の入
18:28
-
月の出
08:16
月の入
23:43
-
天気
雨
-
気温
20℃/14℃
-
気圧
1012.7hPa
-
風
南東
8.1m/s -
波
南南東
1.2m/s -
水温
16.7℃
-
潮
中潮
-
月齢
4.3
-
BI
8.4
釣行当日の気象情報を表示 釣行当日の気象情報を隠す -
新幸丸
千葉県 いすみ市 大原港234日前釣行日:2025年5月2日(金)中潮マダイ
0.30~0.90kg 0~5匹 ハタ カサゴ イラ ウマズラ メバル 良い感じでしたが海が悪く釣りずらかった、10時15分早上がり。 GW真鯛で募集中です
釣行当日の潮汐
200 0 -40 0:00 6:00 12:00 18:00 24:00釣行当日の気象
-
日の出
04:46
日の入
18:25
-
月の出
08:12
月の入
23:40
-
天気
雨
-
気温
20℃/14℃
-
気圧
1013.7hPa
-
風
南東
5.5m/s -
波
南東
1.9m/s -
水温
17.1℃
-
潮
中潮
-
月齢
4.3
-
BI
8.1
釣行当日の気象情報を表示 釣行当日の気象情報を隠す -
松栄丸
千葉県 いすみ市 大原港234日前釣行日:2025年5月2日(金)中潮マダイ
0.50~0.80kg 0~2匹 午後テンヤマダイ釣りは、底潮冷たく苦戦!
釣行当日の潮汐
200 0 -40 0:00 6:00 12:00 18:00 24:00釣行当日の気象
-
日の出
04:46
日の入
18:25
-
月の出
08:12
月の入
23:40
-
天気
雨
-
気温
20℃/14℃
-
気圧
1013.7hPa
-
風
南東
5.5m/s -
波
南東
1.9m/s -
水温
17.1℃
-
潮
中潮
-
月齢
4.3
-
BI
8.1
釣行当日の気象情報を表示 釣行当日の気象情報を隠す -
庄幸丸
千葉県 安房郡鋸南町 勝山漁港234日前釣行日:2025年5月2日(金)中潮マダイ
0.60~3.80kg 0~2匹 メジナ 平均1.00kg 0~6匹 マアジ 41~45cm 1~4匹 イサキ 30~35cm 1~4匹 富浦沖で朝からサバの当たりでマダイの顔を見れず浅場に移動した。 1.0kg前後のマダイが何匹かあがったが、後が続かず40cm越の大型マアジが続いて揚がった人も居た。 何回か場所替えして、メジナの入れ食いも有った。大きな当たりが4.0kg近いマダイで今日の大型賞になったが全体の数が伸ばせなかった。明日に期待です
釣行当日の潮汐
200 0 -40 0:00 6:00 12:00 18:00 24:00釣行当日の気象
-
日の出
04:48
日の入
18:27
-
月の出
08:15
月の入
23:43
-
天気
雨
-
気温
20℃/14℃
-
気圧
1013.0hPa
-
風
南東
6.0m/s -
波
南
0.5m/s -
水温
16.7℃
-
潮
中潮
-
月齢
4.3
-
BI
7.8
釣行当日の気象情報を表示 釣行当日の気象情報を隠す -
かねい丸
神奈川県 横須賀市 長井漆山港234日前釣行日:2025年5月2日(金)中潮マダイ
0.80~3.00kg 1~3匹 マダイ五目 朝一ポツポツ当たりマダイ 1-3匹で後半メジナ好調で4-8匹にキントキ交じりでした。 本日はご乗船頂きありがとうございました またお待ちしております
釣行当日の潮汐
200 0 -40 0:00 6:00 12:00 18:00 24:00釣行当日の気象
-
日の出
04:49
日の入
18:28
-
月の出
08:16
月の入
23:44
-
天気
雨
-
気温
19℃/15℃
-
気圧
1012.7hPa
-
風
南東
8.1m/s -
波
南南東
1.2m/s -
水温
16.3℃
-
潮
中潮
-
月齢
4.3
-
BI
7.8
釣行当日の気象情報を表示 釣行当日の気象情報を隠す -
邦丸 -金田漁港-
神奈川県 三浦市 金田漁港234日前釣行日:2025年5月2日(金)中潮マダイ
0.60~3.10kg 1~2匹 クロダイ 0.80~1.50kg 0~3匹 イサキ 20~28cm 0~3匹 メジナ 0.50~1.00kg 0~3匹 全員型見れました。サイズも2キロアップが半数以上でした。最大3キロ!針も伸ばされました!
釣行当日の潮汐
200 0 -40 0:00 6:00 12:00 18:00 24:00釣行当日の気象
-
日の出
04:49
日の入
18:28
-
月の出
08:15
月の入
23:43
-
天気
雨
-
気温
20℃/14℃
-
気圧
1012.7hPa
-
風
南東
8.1m/s -
波
南南東
1.2m/s -
水温
16.7℃
-
潮
中潮
-
月齢
4.3
-
BI
8.3
釣行当日の気象情報を表示 釣行当日の気象情報を隠す -
大松丸
神奈川県 三浦市 松輪江奈漁港234日前釣行日:2025年5月2日(金)中潮マダイ
0.80~2.50kg 0~2匹 クロダイ 1.00~2.00kg 0~4匹 メジナ 0.50~1.50kg 0~1匹 大型3号で出船しました。朝からマダイの顔を見れ、その後はポツポツと拾い釣りでした。トップは2枚!ゲストにクロダイ多数、メジナが交じりました。 オモリは80号 マダイ用ハリス 4~5号8m前後 幅広いハリスをご用意しておいてください。 ※コマセは船の中で割らないようお願いします。(岸壁で割るようお願いします。) ※出船時間の15分前に船を離しますので早めに乗船して下さい。
釣行当日の潮汐
200 0 -40 0:00 6:00 12:00 18:00 24:00釣行当日の気象
-
日の出
04:49
日の入
18:28
-
月の出
08:16
月の入
23:43
-
天気
雨
-
気温
20℃/14℃
-
気圧
1012.7hPa
-
風
南東
8.1m/s -
波
南南東
1.2m/s -
水温
16.7℃
-
潮
中潮
-
月齢
4.3
-
BI
8.5
釣行当日の気象情報を表示 釣行当日の気象情報を隠す -
不動丸
茨城県 鹿嶋市 鹿嶋旧港234日前釣行日:2025年5月2日(金)中潮マダイ
0.60~0.80kg 0~3匹 ◇◆◇テンヤ真鯛船◇◆◇ ・マダイ…0ー3尾(0.6ー0.8キロ) ・その他…ハナダイ、ホウボウ、カナガシラ、マハタ、カサゴ、ショウサイフグ、ガンゾウビラメ、ムシガレイ 本日も沖のポイントへ大鯛チャレンジ! 朝から本命食べ頃サイズのアタリやホウボウ、ハナダイのアタリで楽しめました! 中盤に特鯛ヒットももう少しの所でフックアウト(泣) 久々の特鯛クラスだったので悔いが残ります。 風波強まって早上がりになってしまいましたが雰囲気はプンプンでした! 明日も狙います! チャレンジャーお待ちしてますよー! テンヤは数種類用意して巻物も持参する事をオススメします! ※テンヤは5号から13号まで幅広く持ってきて下さい。 固定、遊動どちらも用意した方が良いですよ! ※ジグやタイラバも持参すると巻物に食いが偏る場合は対応できるのでオススメです。 ※ジグ…30ー60g
釣行当日の潮汐
200 0 -40 0:00 6:00 12:00 18:00 24:00釣行当日の気象
-
日の出
04:44
日の入
18:25
-
月の出
08:09
月の入
23:42
-
天気
雨
-
気温
19℃/14℃
-
気圧
1014.2hPa
-
風
南東
4.5m/s -
波
東
1.5m/s -
水温
15.9℃
-
潮
中潮
-
月齢
4.3
-
BI
7.5
釣行当日の気象情報を表示 釣行当日の気象情報を隠す -
房丸
神奈川県 横須賀市 鴨居大室漁港234日前釣行日:2025年5月2日(金)中潮マダイ
0.50~0.80kg 0~1匹 【マダイ】 0-1枚。500と800グラム。外道なし。単発でした。明日5/3からあじ釣り、5/6迄満席です。
釣行当日の潮汐
200 0 -40 0:00 6:00 12:00 18:00 24:00釣行当日の気象
-
日の出
04:49
日の入
18:27
-
月の出
08:15
月の入
23:43
-
天気
雨
-
気温
19℃/15℃
-
気圧
1012.8hPa
-
風
南東
6.0m/s -
波
南
0.7m/s -
水温
16.3℃
-
潮
中潮
-
月齢
4.3
-
BI
8.0
釣行当日の気象情報を表示 釣行当日の気象情報を隠す
関東の人気魚種の釣果情報
- 関東×マダイ
- 関東×ブリ
- 関東×マアジ
- 関東×アカアマダイ
- 関東×ヒラメ
- 関東×カサゴ
- 関東×カワハギ
- 関東×タチウオ
- 関東×ヒラマサ
- 関東×ゴマサバ
- 関東×サワラ
- 関東×イサキ
- 関東×スズキ
- 関東×キジハタ
- 関東×カンパチ
- 関東×アオリイカ
- 関東×マハタ
- 関東×メバル
- 関東×オニカサゴ
- 関東×クロムツ
- 関東×ヤリイカ
- 関東×アカムツ
- 関東×アオハタ
- 関東×チダイ
- 関東×クロダイ
- 関東×マダコ
- 関東×アカハタ
- 関東×シロギス
- 関東×ショウサイフグ
- 関東×キンメダイ
- 関東×スルメイカ
- 関東×キダイ
- 関東×シロアマダイ
- 関東×キハダ
- 関東×マゴチ
- 関東×イトヨリダイ
- 関東×シログチ
- 関東×メダイ
- 関東×ホウボウ
- 関東×アラ
- 関東×カツオ
- 関東×オオモンハタ
- 関東×メジナ
- 関東×カイワリ
- 関東×クロソイ
- 関東×ケンサキイカ
- 関東×チカメキントキ
- 関東×オオメハタ
- 関東×シマアジ
- 関東×シイラ
- 関東×ウマヅラハギ
- 関東×ウスメバル
- 関東×ウッカリカサゴ
- 関東×アイナメ
- 関東×アコウダイ
- 関東×イシダイ
- 関東×コウイカ
- 関東×クエ
- 関東×ユメカサゴ
- 関東×アカイサキ
- 関東×クログチ
- 関東×オオサガ
- 関東×クロマグロ
- 関東×クロシビカマス
- 関東×メイチダイ
- 関東×フエフキダイ
- 関東×ムツ
- 関東×ヒラソウダ
- 関東×ハガツオ
- 関東×アヤメカサゴ
- 関東×ロウニンアジ
- 関東×ムシガレイ
- 関東×ホウキハタ
- 関東×アブラボウズ
- 関東×カミナリイカ
- 関東×ハチビキ
- 関東×シロサバフグ
- 関東×ハマフエフキ
- 関東×キチヌ
- 関東×マサバ
- 関東×ヒメコダイ
- 関東×ヘダイ
- 関東×アカカマス
- 関東×コロダイ
- 関東×クロメジナ
- 関東×アカメフグ
- 関東×アカヤガラ
- 関東×オニオコゼ
- 関東×タケノコメバル
- 関東×バラムツ
- 関東×スマ
- 関東×ヒガンフグ
- 関東×マトウダイ
- 関東×オオクチイシナギ
- 関東×マハゼ
- 関東×キュウセン
- 関東×キツネメバル
- 関東×オキアジ
- 関東×ウメイロ
- 関東×シマフグ
- 関東×Array
-
最新の釣果データを教えてください。
-
サクラダイ以外によく釣れる魚は何ですか?
各都道府県の人気魚種の釣果情報
- 岩手県×マダラ
- 岩手県×スルメイカ
- 岩手県×マコガレイ
- 岩手県×ブリ
- 岩手県×ケンサキイカ
- 宮城県×ヒラメ
- 宮城県×マアジ
- 宮城県×アイナメ
- 宮城県×マコガレイ
- 宮城県×メバル
- 福島県×マダイ
- 福島県×ヒラメ
- 福島県×メバル
- 福島県×チダイ
- 福島県×アイナメ
- 茨城県×マダイ
- 茨城県×ヒラメ
- 茨城県×ブリ
- 茨城県×マダコ
- 茨城県×カサゴ
- 埼玉県×サワラ
- 埼玉県×タチウオ
- 埼玉県×マダイ
- 埼玉県×ブリ
- 埼玉県×ホウボウ
- 千葉県×マダイ
- 千葉県×ヒラメ
- 千葉県×マアジ
- 千葉県×イサキ
- 千葉県×マハタ
- 東京都×マアジ
- 東京都×タチウオ
- 東京都×シロギス
- 東京都×マダコ
- 東京都×スズキ
- 神奈川県×マアジ
- 神奈川県×マダイ
- 神奈川県×タチウオ
- 神奈川県×アカアマダイ
- 神奈川県×ブリ
- 新潟県×マダイ
- 新潟県×マアジ
- 新潟県×ゴマサバ
- 新潟県×ブリ
- 新潟県×キダイ
- 富山県×アオリイカ
- 富山県×マダイ
- 富山県×キジハタ
- 富山県×カサゴ
- 富山県×アオハタ
- 石川県×ブリ
- 石川県×キジハタ
- 石川県×マダイ
- 石川県×マアジ
- 石川県×ウッカリカサゴ
- 福井県×ケンサキイカ
- 福井県×マダイ
- 福井県×アオリイカ
- 福井県×スルメイカ
- 福井県×マアジ
- 静岡県×マダイ
- 静岡県×マアジ
- 静岡県×イサキ
- 静岡県×タチウオ
- 静岡県×アカアマダイ
- 愛知県×ブリ
- 愛知県×マダイ
- 愛知県×タチウオ
- 愛知県×ヒラメ
- 愛知県×シロサバフグ
- 三重県×ブリ
- 三重県×マダイ
- 三重県×ヒラメ
- 三重県×カサゴ
- 三重県×サワラ
- 京都府×ケンサキイカ
- 京都府×ブリ
- 京都府×マダイ
- 京都府×スルメイカ
- 京都府×アオリイカ
- 大阪府×ブリ
- 大阪府×マダイ
- 大阪府×サワラ
- 大阪府×スズキ
- 大阪府×カサゴ
- 兵庫県×ブリ
- 兵庫県×マダイ
- 兵庫県×マダコ
- 兵庫県×サワラ
- 兵庫県×タチウオ
- 和歌山県×マダイ
- 和歌山県×ブリ
- 和歌山県×マアジ
- 和歌山県×イサキ
- 和歌山県×シロアマダイ
- 鳥取県×ケンサキイカ
- 鳥取県×アオリイカ
- 鳥取県×スルメイカ
- 鳥取県×カサゴ
- 鳥取県×アオハタ
- 島根県×ケンサキイカ
- 島根県×スルメイカ
- 島根県×ゴマサバ
- 島根県×マアジ
- 島根県×コウイカ
- 岡山県×スズキ
- 岡山県×マダイ
- 岡山県×クロダイ
- 岡山県×キジハタ
- 岡山県×ヒラメ
- 広島県×マダイ
- 広島県×ブリ
- 広島県×キジハタ
- 広島県×サワラ
- 広島県×シロギス
- 山口県×ケンサキイカ
- 山口県×アオリイカ
- 山口県×キジハタ
- 山口県×マダイ
- 山口県×ヒラマサ
- 徳島県×ブリ
- 徳島県×マアジ
- 徳島県×カンパチ
- 徳島県×チダイ
- 徳島県×イサキ
- 香川県×マダイ
- 香川県×アオリイカ
- 香川県×シロギス
- 香川県×ヒラメ
- 香川県×クロダイ
- 愛媛県×マダイ
- 愛媛県×ブリ
- 愛媛県×キジハタ
- 愛媛県×タチウオ
- 愛媛県×サワラ
- 高知県×カンパチ
- 高知県×イサキ
- 高知県×マアジ
- 高知県×マダイ
- 高知県×チダイ
- 福岡県×マダイ
- 福岡県×ヤリイカ
- 福岡県×ケンサキイカ
- 福岡県×ヒラマサ
- 福岡県×ブリ
- 佐賀県×サワラ
- 佐賀県×マダイ
- 佐賀県×アカアマダイ
- 佐賀県×ヒラマサ
- 佐賀県×アオリイカ
- 長崎県×マダイ
- 長崎県×キジハタ
- 長崎県×オオモンハタ
- 長崎県×ブリ
- 長崎県×ヒラマサ
- 熊本県×マダイ
- 熊本県×タチウオ
- 熊本県×キジハタ
- 熊本県×ヒラメ
- 熊本県×カサゴ
- 鹿児島県×カンパチ
- 鹿児島県×オオモンハタ
- 鹿児島県×マダイ
- 鹿児島県×アカハタ
- 鹿児島県×カワハギ
- 沖縄県×スジアラ
- 沖縄県×キハダ
- 沖縄県×タカサゴ
- 沖縄県×バラハタ
- 沖縄県×クエ






































今日は中潮、明日は小潮。 5月からは5:30出船になります。 いつもご覧いただきありがとうございます。 真鯛釣り、開始早々から最大2.5kgが食いつきました。 頻繁に魚群は入り、大アジ・サバなども釣れています。 アジの泳がせ狙いも出船。 水深60-70mでは20-40cmサイズなどのアジが釣れています。活性は良かったこともありアジのヒット多め、サバの混じりあり。 残念ながら泳がせは食いつかず。