-
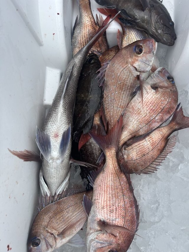
弘漁丸
茨城県 日立市 久慈漁港197日前釣行日:2025年6月5日(木)長潮アイナメ
マダイ 0.30~0.70kg 2~14匹 ハタ カサゴ マゾイ クロメバル フグ ハナダイ 釣行当日の潮汐
200 0 -40 0:00 6:00 12:00 18:00 24:00釣行当日の気象
-
日の出
04:19
日の入
18:53
-
月の出
13:19
月の入
00:43
-
天気
晴れ
-
気温
30℃/15℃
-
気圧
1008.0hPa
-
風
南西
2.4m/s -
波
東南東
0.6m/s -
水温
17.4℃
-
潮
長潮
-
月齢
9.0
-
BI
7.5
釣行当日の気象情報を表示 釣行当日の気象情報を隠す -
とも丸
茨城県 北茨城市 平潟港198日前釣行日:2025年6月4日(水)小潮アイナメ
マダイ メバル カンダイ カサゴ 鯛型物混じりで少人数の割に釣れました。 アイナメも大きいの4本 メバル、カサゴもぼちぼち釣れて 後半は、真鯛のあたりよくて帰るの惜しかったです。 このまま上向いてもらいましょう。 本日も乗船ありがとうございました。
釣行当日の潮汐
200 0 -40 0:00 6:00 12:00 18:00 24:00釣行当日の気象
-
日の出
04:17
日の入
18:53
-
月の出
12:20
月の入
00:21
-
天気
曇りのち時々晴れ
-
気温
23℃/17℃
-
気圧
997.8hPa
-
風
南
2.5m/s -
波
南東
1.4m/s -
水温
15.9℃
-
潮
小潮
-
月齢
8.0
-
BI
7.8
釣行当日の気象情報を表示 釣行当日の気象情報を隠す -
ことぶき丸
茨城県 日立市 会瀬漁港207日前釣行日:2025年5月26日(月)大潮アイナメ
50cm 合計1匹 マダイ 0.30~1.00kg 1~5匹 カサゴ 25~30cm 0~2匹 一つテンヤマダイ、タイラバで出船しました。水温14.4℃ マダイ最大で1kgその他0.6kg、0.5kg...トップ5尾でした。マダイ0.3~1kg0~5尾。ゲストでカサゴ、ホウボウ、アイナメ、ハナダイ、サバでした。本日、乗船の皆様ありがとうございました。 【お知らせ】 明日5月27日(火)は一つテンヤマダイで出船致します。お早いご予約お待ちしております。 ※一つテンヤマダイ集合4時30分に変更しました! ※誠に勝手ながら満船時の当日キャンセルは乗船料の100%頂きます。ご了承下さい! 一つテンヤマダイ 12,000円(エサ、氷付) 集合4時30分になります。 アマダイ、アマラバ 12,000円(エサ、氷付) 集合5時になります。 エギダコ 13,000円(氷付) 集合4時になります。 ご予約 電話090-1842-0165 お気軽にお電話下さいね!!
釣行当日の潮汐
200 0 -40 0:00 6:00 12:00 18:00 24:00釣行当日の気象
-
日の出
04:22
日の入
18:46
-
月の出
03:07
月の入
17:59
-
天気
曇り
-
気温
23℃/15℃
-
気圧
1017.1hPa
-
風
北北東
1.5m/s -
波
東
1.0m/s -
水温
17.9℃
-
潮
大潮
-
月齢
28.3
-
BI
10.4
釣行当日の気象情報を表示 釣行当日の気象情報を隠す -
英昇丸
茨城県 北茨城市 平潟港220日前釣行日:2025年5月13日(火)大潮アイナメ
竿頭4匹 カサゴ 竿頭7匹 ソイ 竿頭10匹 マダイ 竿頭3匹 ワカシ イナダ ヒラマサ 最大3.00kg 竿頭2匹 ホウボウ 本日、スロージギングとSLJ。 今日も終日ベタ凪で良き。 イナダの群れのなかでイナダや根魚。 トロミのないところではサッパリ。 少しずつ良くなってくのを感じる。 良きことだ。 本日もお疲れ様でした。
釣行当日の潮汐
200 0 -40 0:00 6:00 12:00 18:00 24:00釣行当日の気象
-
日の出
04:30
日の入
18:36
-
月の出
19:23
月の入
04:18
-
天気
晴れ
-
気温
21℃/12℃
-
気圧
1017.4hPa
-
風
南南東
2.6m/s -
波
東
0.7m/s -
水温
14.9℃
-
潮
大潮
-
月齢
15.3
-
BI
8.7
釣行当日の気象情報を表示 釣行当日の気象情報を隠す -
PALLAS FISHING GUIDE SERVICE
神奈川県 横浜市 大黒運河221日前釣行日:2025年5月12日(月)大潮アイナメ
シロギス 最大25cm シロギス最大24.5㎝まで。 横浜界隈では絶滅?したと思ってたアイナメがシロギスの外道で釣れました~! 細々と頑張って生きてると言うか、繋いでるんですね~。 シロギスと言えば天ぷらが王道で美味いのは当然ですが、やや大き目の個体は鱗を丁寧に取って3枚に下し皮面をバーナーで炙って瞬時に氷水で〆てお刺身。 初夏のこの時期に、キンキンに冷やした冷酒との相性はサイコーです。
釣行当日の潮汐
200 0 -40 0:00 6:00 12:00 18:00 24:00釣行当日の気象
-
日の出
04:39
日の入
18:37
-
月の出
18:23
月の入
03:57
-
天気
曇り
-
気温
24℃/15℃
-
気圧
1007.3hPa
-
風
南南西
5.7m/s -
波
南南西
0.3m/s -
水温
17.3℃
-
潮
大潮
-
月齢
14.3
-
BI
7.7
釣行当日の気象情報を表示 釣行当日の気象情報を隠す -
ことぶき丸
茨城県 日立市 会瀬漁港222日前釣行日:2025年5月11日(日)大潮アイナメ
40~50cm 0~2匹 マダイ 0.30~0.60kg 0~3匹 カサゴ 25~30cm 0~3匹 一つテンヤマダイ、タイラバで出船しました。水温16.5℃ マダイ最大で0.6kg、マダイ0.3~0.6kg0~3尾。ゲストでカサゴ、メバル、アイナメ、タチウオ、ハナダイ、ショウサイフグでした。本日、乗船の皆様ありがとうございました。 【お知らせ】 明日5月12日(月)は予報悪く出船中止します。 5月13日(火)は一つテンヤマダイで出船致します。お早いご予約お待ちしております。 ※一つテンヤマダイ集合4時30分に変更しました! ※誠に勝手ながら満船時の当日キャンセルは乗船料の100%頂きます。ご了承下さい! 一つテンヤマダイ 12,000円(エサ、氷、昼食付) 集合4時30分になります。 アマダイ、アマラバ 12,000円(エサ、氷、昼食付) 集合5時になります。 エギダコ 13,000円(氷、昼食付) 集合4時になります。 ご予約 電話090-1842-0165 お気軽にお電話下さいね!!
釣行当日の潮汐
200 0 -40 0:00 6:00 12:00 18:00 24:00釣行当日の気象
-
日の出
04:33
日の入
18:34
-
月の出
17:22
月の入
03:23
-
天気
晴れ後一時雨
-
気温
26℃/16℃
-
気圧
1001.4hPa
-
風
北北東
0.6m/s -
波
南東
1.2m/s -
水温
16.9℃
-
潮
大潮
-
月齢
13.3
-
BI
10.0
釣行当日の気象情報を表示 釣行当日の気象情報を隠す -
ことぶき丸
茨城県 日立市 会瀬漁港224日前釣行日:2025年5月9日(金)中潮アイナメ
40~50cm 0~1匹 マダイ 0.30~2.60kg 0~4匹 カサゴ 25~30cm 0~2匹 マハタ 28~32cm 0~2匹 一つテンヤマダイ、タイラバで出船しました。水温16.3℃ マダイ最大で2.6kgその他0.8kg、0.6kg、0.5kg...マダイ0.3~2.6kg0~4尾。ゲストでマゾイ、カサゴ、マハタ、メバル、ハナダイ、ウマズラハギ、カンダイ、ショウサイフグでした。本日、乗船の皆様ありがとうございました。 【お知らせ】 明日5月10日(土)は予報悪く出船中止します。 5月11日(日)は一つテンヤマダイで出船致します。お早いご予約お待ちしております。 ※一つテンヤマダイ集合4時30分に変更しました! ※誠に勝手ながら満船時の当日キャンセルは乗船料の100%頂きます。ご了承下さい! 一つテンヤマダイ 12,000円(エサ、氷、昼食付) 集合4時30分になります。 アマダイ、アマラバ 12,000円(エサ、氷、昼食付) 集合5時になります。 エギダコ 13,000円(氷、昼食付) 集合4時になります。 ご予約 電話090-1842-0165 お気軽にお電話下さいね!!
釣行当日の潮汐
200 0 -40 0:00 6:00 12:00 18:00 24:00釣行当日の気象
-
日の出
04:35
日の入
18:33
-
月の出
15:25
月の入
02:39
-
天気
曇りのち一時雨
-
気温
22℃/9℃
-
気圧
1025.3hPa
-
風
南
1.3m/s -
波
東
0.8m/s -
水温
16.3℃
-
潮
中潮
-
月齢
11.3
-
BI
10.0
釣行当日の気象情報を表示 釣行当日の気象情報を隠す -
とも丸
茨城県 北茨城市 平潟港228日前釣行日:2025年5月5日(月)小潮アイナメ
竿頭1匹 ワカシ 竿頭50匹 イナワラ 竿頭1匹 タチウオ 竿頭1匹 アジ 竿頭20匹 サバ 竿頭5匹 ソイ 竿頭2匹 ヒラメ 竿頭1匹 アジ少しいました。型もぼちぼち 海大人しくなって良かったです。 ダービー始めるのでたくさんのご参加お待ちしております。 本日も乗船ありがとうございました。
釣行当日の潮汐
200 0 -40 0:00 6:00 12:00 18:00 24:00釣行当日の気象
-
日の出
04:38
日の入
18:29
-
月の出
11:28
月の入
01:02
-
天気
晴れ時々曇り
-
気温
21℃/11℃
-
気圧
1013.5hPa
-
風
南
1.2m/s -
波
東
1.0m/s -
水温
13.5℃
-
潮
小潮
-
月齢
7.3
-
BI
7.3
釣行当日の気象情報を表示 釣行当日の気象情報を隠す -
英昇丸
茨城県 北茨城市 平潟港231日前釣行日:2025年5月2日(金)中潮アイナメ
マダイ 0.40~0.70kg 0~5匹 クロメバル ソイ マハタ 今日はウネウネムクムクとやりずら でも少しのムクムクあったからポツポツの食い 大きめの中るも……スッポ抜け 偏りはあったけど、納得のしゃーナシ 風が増してきたので早めの帰港。
釣行当日の潮汐
200 0 -40 0:00 6:00 12:00 18:00 24:00釣行当日の気象
-
日の出
04:41
日の入
18:26
-
月の出
08:04
月の入
23:44
-
天気
曇りのち一時雨
-
気温
20℃/12℃
-
気圧
1015.7hPa
-
風
南南東
5.3m/s -
波
東南東
1.5m/s -
水温
14.0℃
-
潮
中潮
-
月齢
4.3
-
BI
7.8
釣行当日の気象情報を表示 釣行当日の気象情報を隠す -
とも丸
茨城県 北茨城市 平潟港232日前釣行日:2025年5月1日(木)中潮アイナメ
竿頭2匹 マダイ 1.10~1.60kg 4~15匹 メバル 竿頭7匹 ソイ 竿頭5匹 カサゴ 竿頭11匹 あたり少ないですが、型物でました。 チャリコもそこそこなサイズです。 風が吹かないと船が流れない状態なので 潮流れてほしいところですね。 本日も乗船ありがとうございました。 ワカシ、ヒラマサ、真鯛、マトウダイ ソイ、メバル、カサゴ、ヒラメ 魚種豊富でした。 ワカシで遊びながら底ものを釣っていく感じでした。 もう少し青物のサイズが大きくなってくれたらいいんですけどその内、南からのぼってくると思います。 本日も乗船ありがとうございました。
釣行当日の潮汐
200 0 -40 0:00 6:00 12:00 18:00 24:00釣行当日の気象
-
日の出
04:42
日の入
18:26
-
月の出
06:59
月の入
22:50
-
天気
晴れ後時々曇り
-
気温
19℃/7℃
-
気圧
1023.6hPa
-
風
北北東
1.3m/s -
波
東
0.9m/s -
水温
13.9℃
-
潮
中潮
-
月齢
3.3
-
BI
7.2
釣行当日の気象情報を表示 釣行当日の気象情報を隠す -
正八丸
茨城県 北茨城市 平潟港236日前釣行日:2025年4月27日(日)大潮アイナメ
ヒラマサ ヒラメ ソイ カサゴ スロージギングで出船。朝のうちタチウオのいるところまで行きましたが、 タチウオの移動が早くてついて行けませんでした。 その後、スローをやってみて、ヒラマサ・ヒラメ・ソイ・アイナメ・カサゴなどが釣れました
釣行当日の潮汐
200 0 -40 0:00 6:00 12:00 18:00 24:00釣行当日の気象
-
日の出
04:47
日の入
18:22
-
月の出
04:03
月の入
17:50
-
天気
晴れ時々曇り
-
気温
20℃/10℃
-
気圧
1016.6hPa
-
風
南
4.6m/s -
波
東南東
0.7m/s -
水温
13.5℃
-
潮
大潮
-
月齢
28.7
-
BI
10.0
釣行当日の気象情報を表示 釣行当日の気象情報を隠す -
第二洋生丸
茨城県 鹿嶋市 鹿嶋新港272日前釣行日:2025年3月22日(土)小潮アイナメ
43cm 合計1匹 マダイ 0.50~1.80kg 0~2匹 アジ 47cm 合計1匹 コブダイ 1.40~3.10kg ショウサイフグ カサゴ メバル ホウボウ 午前テンヤ仕立て。 朝イチ、ちょいと風あるもポツポツと当たりはある。今日は初心者がほとんどでしたがきちんとレクチャーを受けてだいぶ当たりが獲れ始めたら掛かりはいい感じ。なかなか針掛かりしない場面も有りましたがお土産にはなりました。ラスト30分は港前のイワシチャレンジで餌は取られながらサメラッシュ。そんな中、一発有りましたがフックアウト!!
釣行当日の潮汐
200 0 -40 0:00 6:00 12:00 18:00 24:00釣行当日の気象
-
日の出
05:38
日の入
17:51
-
月の出
00:35
月の入
09:47
-
天気
晴れ
-
気温
21℃/10℃
-
気圧
1007.9hPa
-
風
南西
4.1m/s -
波
東
0.4m/s -
水温
14.5℃
-
潮
小潮
-
月齢
22.1
-
BI
6.5
釣行当日の気象情報を表示 釣行当日の気象情報を隠す -
大栄丸
茨城県 鹿嶋市 鹿嶋新港273日前釣行日:2025年3月21日(金)小潮アイナメ
ヒラメ メバル ソイ カサゴ ホウボウ アジ 今回TOPの尾数記載は五目なので全魚種集めたものです。(25~33cm、7~23匹) 内訳 •メバル3時間で7〜18 (その他:カサゴ•ソイ•アジ•ホウボウ •ヒラメ2時間半で0〜1 (その他:アイナメ。本日は久々に五目リレーとなりました。前半メバルを狙い、真沖やるも大苦戦しましたが、大幅に北にズレて沖目に出すと良いところに当たり2,3,4,5点掛けありました。皆様お土産になったので。 その後はヒラメを狙うと、2日前の大時化の影響間違えなしでしたね。思った通りで水色真っ白…底荒れ状態だったので 型見れるか不安でしたが、少ないアタリをしっかりと掛けて頂き、お客様にヒラメの顔を見せて頂きました。 この水色で型が出たので、海落ちつき水色良くなれば期待できるかも。本日ご乗船の皆様、いつもありがとうございます、またのご釣行、こころよりお待ちしております!
釣行当日の潮汐
200 0 -40 0:00 6:00 12:00 18:00 24:00釣行当日の気象
-
日の出
05:39
日の入
17:50
-
月の出
月の入
08:59
-
天気
晴れ
-
気温
17℃/6℃
-
気圧
1015.1hPa
-
風
西南西
1.5m/s -
波
東北東
1.3m/s -
水温
14.5℃
-
潮
小潮
-
月齢
21.1
-
BI
7.1
釣行当日の気象情報を表示 釣行当日の気象情報を隠す -
鬼澤丸
茨城県 鹿嶋市 鹿嶋新港279日前釣行日:2025年3月15日(土)大潮アイナメ
ヒラメ メバル カサゴ ホウボウ ヒラメ船、朝風強くうねりも有りました。 イワシが入り込んで良型もみれました!!
釣行当日の潮汐
200 0 -40 0:00 6:00 12:00 18:00 24:00釣行当日の気象
-
日の出
05:48
日の入
17:45
-
月の出
18:41
月の入
06:07
-
天気
曇り
-
気温
12℃/7℃
-
気圧
1027.1hPa
-
風
北東
4.5m/s -
波
北東
1.2m/s -
水温
14.5℃
-
潮
大潮
-
月齢
15.1
-
BI
8.3
釣行当日の気象情報を表示 釣行当日の気象情報を隠す -
軍司丸
茨城県 日立市 久慈漁港284日前釣行日:2025年3月10日(月)若潮アイナメ
カサゴ メバル マダイ なーかなか真鯛は厳しい状況でしたが、なんとかキロアップは出ました。 他にはカサゴやメバル、アイナメ等でした。
釣行当日の潮汐
200 0 -40 0:00 6:00 12:00 18:00 24:00釣行当日の気象
-
日の出
05:56
日の入
17:40
-
月の出
13:35
月の入
03:50
-
天気
晴れ
-
気温
13℃/-1℃
-
気圧
1031.3hPa
-
風
北北西
2.7m/s -
波
東北東
1.3m/s -
水温
13.6℃
-
潮
若潮
-
月齢
10.1
-
BI
8.5
釣行当日の気象情報を表示 釣行当日の気象情報を隠す
関東の人気魚種の釣果情報
- 関東×マダイ
- 関東×ブリ
- 関東×マアジ
- 関東×ヒラメ
- 関東×アカアマダイ
- 関東×カサゴ
- 関東×カワハギ
- 関東×タチウオ
- 関東×ヒラマサ
- 関東×ゴマサバ
- 関東×サワラ
- 関東×イサキ
- 関東×キジハタ
- 関東×カンパチ
- 関東×スズキ
- 関東×アオリイカ
- 関東×マハタ
- 関東×メバル
- 関東×オニカサゴ
- 関東×クロムツ
- 関東×ヤリイカ
- 関東×アカムツ
- 関東×アオハタ
- 関東×チダイ
- 関東×クロダイ
- 関東×マダコ
- 関東×アカハタ
- 関東×シロギス
- 関東×ショウサイフグ
- 関東×キダイ
- 関東×スルメイカ
- 関東×キンメダイ
- 関東×シロアマダイ
- 関東×キハダ
- 関東×マゴチ
- 関東×イトヨリダイ
- 関東×シログチ
- 関東×メダイ
- 関東×ホウボウ
- 関東×アラ
- 関東×カツオ
- 関東×オオモンハタ
- 関東×メジナ
- 関東×クロソイ
- 関東×カイワリ
- 関東×ケンサキイカ
- 関東×チカメキントキ
- 関東×シマアジ
- 関東×オオメハタ
- 関東×シイラ
- 関東×ウマヅラハギ
- 関東×ウッカリカサゴ
- 関東×ウスメバル
- 関東×アイナメ
- 関東×アコウダイ
- 関東×イシダイ
- 関東×コウイカ
- 関東×ユメカサゴ
- 関東×クエ
- 関東×アカイサキ
- 関東×クログチ
- 関東×クロマグロ
- 関東×オオサガ
- 関東×クロシビカマス
- 関東×メイチダイ
- 関東×フエフキダイ
- 関東×アブラボウズ
- 関東×ムツ
- 関東×ヒラソウダ
- 関東×ハガツオ
- 関東×ロウニンアジ
- 関東×ホウキハタ
- 関東×アヤメカサゴ
- 関東×ムシガレイ
- 関東×カミナリイカ
- 関東×マサバ
- 関東×ハマフエフキ
- 関東×キチヌ
- 関東×シロサバフグ
- 関東×ハチビキ
- 関東×ヘダイ
- 関東×クロメジナ
- 関東×ウメイロ
- 関東×コロダイ
- 関東×アカメフグ
- 関東×アカヤガラ
- 関東×ヒメコダイ
- 関東×バラムツ
- 関東×スマ
- 関東×タケノコメバル
- 関東×オニオコゼ
- 関東×マハゼ
- 関東×オオクチイシナギ
- 関東×ヒガンフグ
- 関東×マトウダイ
- 関東×シマフグ
- 関東×キツネメバル
- 関東×キュウセン
- 関東×カマスサワラ
- 関東×シロダイ
- 関東×オキアジ
各都道府県の人気魚種の釣果情報
- 岩手県×マダラ
- 岩手県×スルメイカ
- 岩手県×マコガレイ
- 岩手県×ケンサキイカ
- 岩手県×ブリ
- 宮城県×ヒラメ
- 宮城県×マアジ
- 宮城県×アイナメ
- 宮城県×マコガレイ
- 宮城県×メバル
- 福島県×マダイ
- 福島県×ヒラメ
- 福島県×メバル
- 福島県×チダイ
- 福島県×アイナメ
- 茨城県×マダイ
- 茨城県×ヒラメ
- 茨城県×ブリ
- 茨城県×マダコ
- 茨城県×カサゴ
- 埼玉県×サワラ
- 埼玉県×タチウオ
- 埼玉県×マダイ
- 埼玉県×ブリ
- 埼玉県×ホウボウ
- 千葉県×マダイ
- 千葉県×ヒラメ
- 千葉県×マアジ
- 千葉県×イサキ
- 千葉県×マハタ
- 東京都×マアジ
- 東京都×タチウオ
- 東京都×シロギス
- 東京都×マダコ
- 東京都×スズキ
- 神奈川県×マアジ
- 神奈川県×マダイ
- 神奈川県×タチウオ
- 神奈川県×アカアマダイ
- 神奈川県×ブリ
- 新潟県×マダイ
- 新潟県×マアジ
- 新潟県×ゴマサバ
- 新潟県×ブリ
- 新潟県×キダイ
- 富山県×アオリイカ
- 富山県×マダイ
- 富山県×キジハタ
- 富山県×カサゴ
- 富山県×アオハタ
- 石川県×ブリ
- 石川県×キジハタ
- 石川県×マダイ
- 石川県×マアジ
- 石川県×ウッカリカサゴ
- 福井県×ケンサキイカ
- 福井県×マダイ
- 福井県×アオリイカ
- 福井県×スルメイカ
- 福井県×マアジ
- 静岡県×マダイ
- 静岡県×マアジ
- 静岡県×イサキ
- 静岡県×タチウオ
- 静岡県×アカアマダイ
- 愛知県×ブリ
- 愛知県×マダイ
- 愛知県×タチウオ
- 愛知県×ヒラメ
- 愛知県×シロサバフグ
- 三重県×ブリ
- 三重県×マダイ
- 三重県×ヒラメ
- 三重県×カサゴ
- 三重県×サワラ
- 京都府×ケンサキイカ
- 京都府×ブリ
- 京都府×マダイ
- 京都府×スルメイカ
- 京都府×アオリイカ
- 大阪府×ブリ
- 大阪府×マダイ
- 大阪府×サワラ
- 大阪府×スズキ
- 大阪府×タチウオ
- 兵庫県×ブリ
- 兵庫県×マダイ
- 兵庫県×マダコ
- 兵庫県×サワラ
- 兵庫県×タチウオ
- 和歌山県×マダイ
- 和歌山県×ブリ
- 和歌山県×マアジ
- 和歌山県×イサキ
- 和歌山県×シロアマダイ
- 鳥取県×ケンサキイカ
- 鳥取県×アオリイカ
- 鳥取県×スルメイカ
- 鳥取県×アオハタ
- 鳥取県×カサゴ
- 島根県×ケンサキイカ
- 島根県×スルメイカ
- 島根県×ゴマサバ
- 島根県×マアジ
- 島根県×コウイカ
- 岡山県×スズキ
- 岡山県×マダイ
- 岡山県×クロダイ
- 岡山県×キジハタ
- 岡山県×ヒラメ
- 広島県×マダイ
- 広島県×ブリ
- 広島県×キジハタ
- 広島県×サワラ
- 広島県×シロギス
- 山口県×ケンサキイカ
- 山口県×アオリイカ
- 山口県×キジハタ
- 山口県×マダイ
- 山口県×ヒラマサ
- 徳島県×ブリ
- 徳島県×マアジ
- 徳島県×カンパチ
- 徳島県×イサキ
- 徳島県×チダイ
- 香川県×マダイ
- 香川県×アオリイカ
- 香川県×ヒラメ
- 香川県×シロギス
- 香川県×クロダイ
- 愛媛県×マダイ
- 愛媛県×ブリ
- 愛媛県×キジハタ
- 愛媛県×タチウオ
- 愛媛県×サワラ
- 高知県×カンパチ
- 高知県×イサキ
- 高知県×マアジ
- 高知県×マダイ
- 高知県×チダイ
- 福岡県×マダイ
- 福岡県×ヤリイカ
- 福岡県×ケンサキイカ
- 福岡県×ブリ
- 福岡県×ヒラマサ
- 佐賀県×サワラ
- 佐賀県×アカアマダイ
- 佐賀県×アオリイカ
- 佐賀県×マダイ
- 佐賀県×マアジ
- 長崎県×マダイ
- 長崎県×キジハタ
- 長崎県×オオモンハタ
- 長崎県×ブリ
- 長崎県×ヒラマサ
- 熊本県×マダイ
- 熊本県×タチウオ
- 熊本県×キジハタ
- 熊本県×ヒラメ
- 熊本県×カサゴ
- 鹿児島県×カンパチ
- 鹿児島県×オオモンハタ
- 鹿児島県×マダイ
- 鹿児島県×アカハタ
- 鹿児島県×ケンサキイカ
- 沖縄県×スジアラ
- 沖縄県×キハダ
- 沖縄県×タカサゴ
- 沖縄県×バラハタ
- 沖縄県×クエ









































0、7キロの真鯛が最大で竿頭真鯛14枚!明日も出船します!週末もチャンス!平日も週末も毎日テンヤ真鯛船に出船します!早めのご予約ありがたいです!探見丸smartも使用可能です。スマートフォンをお持ちの方はアプリをダウンロードして、是非お試しください!大さん弘漁丸オリジナルステッカーを乗船記念に限定配布します!初心者も大歓迎!皆様のお越しを心よりお待ちしております!