-
庄治郎丸
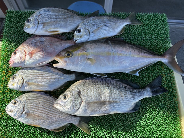
神奈川県 平塚市 平塚新港351日前釣行日:2024年12月19日(木)中潮ヘダイ
23~30cm 4~8匹 カンパチ 42cm 合計1匹 クロダイ 0.95kg 合計1匹 釣行当日の潮汐
200 0 -40 0:00 6:00 12:00 18:00 24:00釣行当日の気象
-
日の出
06:46
日の入
16:33
-
月の出
20:26
月の入
09:59
-
天気
曇りのち時々晴れ
-
気温
10℃/4℃
-
気圧
1017.4hPa
-
風
北北東
4.9m/s -
波
東
0.2m/s -
水温
18.7℃
-
潮
中潮
-
月齢
17.9
-
BI
8.5
釣行当日の気象情報を表示 釣行当日の気象情報を隠す -
ちがさき丸
神奈川県 茅ヶ崎市 茅ヶ崎港352日前釣行日:2024年12月18日(水)中潮ヘダイ
マダイ 0.50~1.50kg 0~1匹 ハナダイ サバ イナダ ワラサ 10号タイ五目です。本日もタイ五目に行きました。 本日も潮流れず苦戦、反応はちょこちょこ入りますが食わないです。 ですが、朝から顔を拝めてよかったです。 あとフグが非常に多いので仕掛けはいくらあっても足りなくなります。 なので針をご持参ください。 本日もご乗船ありがとうございました。
釣行当日の潮汐
200 0 -40 0:00 6:00 12:00 18:00 24:00釣行当日の気象
-
日の出
06:45
日の入
16:33
-
月の出
19:21
月の入
09:22
-
天気
晴れ後時々曇り
-
気温
14℃/6℃
-
気圧
1015.8hPa
-
風
西南西
2.3m/s -
波
南南西
0.3m/s -
水温
18.9℃
-
潮
中潮
-
月齢
16.9
-
BI
7.8
釣行当日の気象情報を表示 釣行当日の気象情報を隠す -
かりゆし丸
神奈川県 平塚市 平塚新港352日前釣行日:2024年12月18日(水)中潮ヘダイ
27~38cm 4~31匹 アジ 竿頭13匹 オオモンハタ カサゴ アカヤガラ イナダ ワラサ 2号船釣果☆ 本日も、五目船で出船しました。 天候晴れ。 潮東へ流れる。 風北〜南。 ヘダイ、4〜31匹。 27㌢〜38㌢。 アジトップ13匹、 オオモンハタ、カサゴ、アカヤガラ、イナダ、 ワラサバラシ有り等が釣れました。 日に日に冷え込む中、本日もお客様のご来店ありがとうございました。
釣行当日の潮汐
200 0 -40 0:00 6:00 12:00 18:00 24:00釣行当日の気象
-
日の出
06:45
日の入
16:33
-
月の出
19:21
月の入
09:22
-
天気
晴れ後時々曇り
-
気温
14℃/6℃
-
気圧
1015.8hPa
-
風
西南西
2.3m/s -
波
南南西
0.2m/s -
水温
18.9℃
-
潮
中潮
-
月齢
16.9
-
BI
7.8
釣行当日の気象情報を表示 釣行当日の気象情報を隠す -
庄治郎丸
神奈川県 平塚市 平塚新港352日前釣行日:2024年12月18日(水)中潮ヘダイ
23~30cm 4~14匹 ワラサ 4.40kg 合計1匹 ヒラメ 1.30kg 合計1匹 アオリイカ 1.70kg 合計1匹 本日もご乗船ありがとうございました。 アジは、小ぶりサイズが中心で、 ポツポツと。 アジ泳がせで、ワカサとヒラメ、 なんとアオリイカ! 他、イナダ、クロダイ1.2キロ、イシダイ、サバなど。
釣行当日の潮汐
200 0 -40 0:00 6:00 12:00 18:00 24:00釣行当日の気象
-
日の出
06:45
日の入
16:33
-
月の出
19:21
月の入
09:22
-
天気
晴れ後時々曇り
-
気温
14℃/6℃
-
気圧
1015.8hPa
-
風
西南西
2.3m/s -
波
南南西
0.2m/s -
水温
18.9℃
-
潮
中潮
-
月齢
16.9
-
BI
7.8
釣行当日の気象情報を表示 釣行当日の気象情報を隠す -
庄治郎丸
神奈川県 平塚市 平塚新港354日前釣行日:2024年12月16日(月)大潮ヘダイ
23~30cm 3~20匹 ヒラメ 0.85kg 合計1匹 本日もご乗船ありがとうございました。 今日はヘダイを皆さんお土産に。 アジはポツポツ。 泳がせで、ヒラメ1尾ゲット。 他、カンパチ、クロダイなどもまじった方も。
釣行当日の潮汐
200 0 -40 0:00 6:00 12:00 18:00 24:00釣行当日の気象
-
日の出
06:44
日の入
16:32
-
月の出
17:05
月の入
07:40
-
天気
晴れ
-
気温
14℃/5℃
-
気圧
1015.2hPa
-
風
西南西
1.6m/s -
波
南南西
0.3m/s -
水温
18.9℃
-
潮
大潮
-
月齢
14.9
-
BI
7.5
釣行当日の気象情報を表示 釣行当日の気象情報を隠す -
かりゆし丸
神奈川県 平塚市 平塚新港354日前釣行日:2024年12月16日(月)大潮ヘダイ
20~30cm 6~10匹 イシダイ 0.50kg 合計1匹 イナダ 45cm 合計1匹 カンパチ 42cm 合計1匹 アマダイ 20~33cm 2~3匹 アジ 10~16cm 3~7匹 本日もご乗船頂きありがとうございました^o^3号船LT五目で出船しました。朝はタイ狙いましたがイシダイ、カンパチ、アジだけでダメでしたねー。1回だけクロダイらしきアタリありましたがバレちゃいました(;;)その後はお土産のヘダイ釣り→これは1時間ほどでお土産になりアマダイ釣りたいとの事でアマダイに→デカいの狙いましたがダメでした(°▽°)また次回も頑張りますので是非お越し下さい♪土曜日は五目、日曜日はアマダイでの出船ですのでよろしくお願いします。
釣行当日の潮汐
200 0 -40 0:00 6:00 12:00 18:00 24:00釣行当日の気象
-
日の出
06:44
日の入
16:32
-
月の出
17:05
月の入
07:40
-
天気
晴れ
-
気温
14℃/5℃
-
気圧
1015.2hPa
-
風
西南西
1.6m/s -
波
南南西
0.3m/s -
水温
18.9℃
-
潮
大潮
-
月齢
14.9
-
BI
7.5
釣行当日の気象情報を表示 釣行当日の気象情報を隠す -
ちがさき丸
神奈川県 茅ヶ崎市 茅ヶ崎港355日前釣行日:2024年12月15日(日)大潮ヘダイ
マダイ 0.50~1.50kg 0~1匹 ハナダイ ソウダガツオ 10号タイ五目。本日もタイ五目で出ました。 朝から潮流れずまたも苦戦、ですが昨日とは違い朝から顔を拝めました。 次第に南西の風強くなり少し早めにあがりました。 本日もご乗船ありがとうございました。
釣行当日の潮汐
200 0 -40 0:00 6:00 12:00 18:00 24:00釣行当日の気象
-
日の出
06:43
日の入
16:32
-
月の出
16:03
月の入
06:33
-
天気
晴れ
-
気温
13℃/5℃
-
気圧
1014.4hPa
-
風
西
1.7m/s -
波
南南西
0.2m/s -
水温
19.0℃
-
潮
大潮
-
月齢
13.9
-
BI
8.1
釣行当日の気象情報を表示 釣行当日の気象情報を隠す -
六熊丸
神奈川県 中郡大磯町 大磯港355日前釣行日:2024年12月15日(日)大潮ヘダイ
アジ サバ アマダイ イトヨリ マダイ カイワリ オニカサゴ ハタ カサゴ 疲れ様です〜。 今日は中盤頃まで凪、後半西風が吹いてきて海ちゃぷちゃぷでしたが1日出来ました!! そして今日は、コマセ五目からのアマダイです! コマセ五目は言う事無しにお土産はバッチリでした。 ヘダイ主体に小アジ、サバ、混じりで当たり、時にはダブルで来たりと当たりよかったです!! そしてお土産十分って事でアマダイへ〜。 アマダイもひと流し目から顔みれて、イトヨリ、マダイ、カイワリ、鬼カサゴ、ハタ、カサゴとポツポツ当たりましたね〜。 惜しくも坊主は出てしまったものの ほぼ30㌢前後の中型主体で、 40㌢級も混じり良かったと思います!! なので今日は両方うまくいって 楽しめたと思います。
釣行当日の潮汐
200 0 -40 0:00 6:00 12:00 18:00 24:00釣行当日の気象
-
日の出
06:43
日の入
16:32
-
月の出
16:03
月の入
06:33
-
天気
晴れ
-
気温
13℃/5℃
-
気圧
1014.4hPa
-
風
西
1.7m/s -
波
南
0.2m/s -
水温
19.0℃
-
潮
大潮
-
月齢
13.9
-
BI
8.2
釣行当日の気象情報を表示 釣行当日の気象情報を隠す -
庄治郎丸
神奈川県 平塚市 平塚新港356日前釣行日:2024年12月14日(土)大潮ヘダイ
23~28cm 0~15匹 ヒラメ 0.70~3.10kg 0~2匹 ニベ 3.00~6.20kg 0~1匹 ワラサ 3.70kg 合計1匹 マダイ 1.50kg 合計1匹 本日もご乗船ありがとうございました。 今日は2隻出船しました。 アジは小ぶりでしたが、多数! 泳がせやサビキ、ウィリーなどで ヒラメが6尾。 大ニベ2尾、6キロ超えも。 ワラサ、マダイ、クロダイ、イシダイ、イナダ、カワハギ、シロアマダイ、アマダイ、オオモンハタ、
釣行当日の潮汐
200 0 -40 0:00 6:00 12:00 18:00 24:00釣行当日の気象
-
日の出
06:43
日の入
16:31
-
月の出
15:09
月の入
05:20
-
天気
晴れ後時々曇り
-
気温
12℃/5℃
-
気圧
1010.9hPa
-
風
北北東
3.8m/s -
波
南
0.2m/s -
水温
18.9℃
-
潮
大潮
-
月齢
12.9
-
BI
8.7
釣行当日の気象情報を表示 釣行当日の気象情報を隠す -
庄治郎丸
神奈川県 平塚市 平塚新港357日前釣行日:2024年12月13日(金)中潮ヘダイ
23~28cm 7~14匹 ヒラメ 2.20kg 合計1匹 アジ 15~20cm 4~24匹 クロダイ 0.60~1.00kg 0~1匹 本日もご乗船ありがとうございました。 アジ、泳がせにて、ヒラメをゲット、 ワカサのバラシあり! ヘダイは、サイズ揃っており、皆さんお土産に。 他、クロダイ、イシダイ、イシガキダイ、ハナダイ、サバ、ソーダ! 明日もよろしくお願いします。
釣行当日の潮汐
200 0 -40 0:00 6:00 12:00 18:00 24:00釣行当日の気象
-
日の出
06:42
日の入
16:31
-
月の出
14:23
月の入
04:05
-
天気
曇り
-
気温
11℃/5℃
-
気圧
1019.2hPa
-
風
北北東
1.7m/s -
波
南東
0.2m/s -
水温
19.0℃
-
潮
中潮
-
月齢
11.9
-
BI
8.3
釣行当日の気象情報を表示 釣行当日の気象情報を隠す -
かりゆし丸
神奈川県 平塚市 平塚新港358日前釣行日:2024年12月12日(木)中潮ヘダイ
27~40cm 竿頭16匹 クロダイ 最大50cm イトヨリ 最大47cm マダイ 最大50cm アオリイカ 2号船釣果。 本日は五目船で出船しました。 天候晴れ。 風北。 潮東へ流れる。 ヘダイ、トップ16匹。 27cm〜40c。m クロダイ50cm、 イトヨリ47cm、 マダイ50cm、 アオリイカ 等が顔を見せてくれました。 ヘダイがなかなか好調です。 是非お問い合わせお待ちしております。 本日も、冷たい陽気の中ご来店頂いたお客様 誠にありがとうございました。
釣行当日の潮汐
200 0 -40 0:00 6:00 12:00 18:00 24:00釣行当日の気象
-
日の出
06:41
日の入
16:31
-
月の出
13:46
月の入
02:51
-
天気
晴れ時々曇り
-
気温
11℃/6℃
-
気圧
1017.8hPa
-
風
北北東
3.8m/s -
波
東北東
0.2m/s -
水温
19.0℃
-
潮
中潮
-
月齢
10.9
-
BI
8.8
釣行当日の気象情報を表示 釣行当日の気象情報を隠す -
かりゆし丸
神奈川県 平塚市 平塚新港358日前釣行日:2024年12月12日(木)中潮ヘダイ
22~32cm 4~20匹 クロダイ 0.60~1.20kg 0~1匹 アジ 12~28cm 0~4匹 本日もご乗船頂きありがとうございました^o^3号船LT五目で出船しました。朝から、いろんなポイント行きましたがイマイチなのでお土産のヘダイ釣りに潮流れ速く流し変えの拾い釣りに…それでも慣れてる方は拾えましたよ!少し余裕出来たのでタイ狙いに→ポイント着いて少しするとクロダイ君来てくれました、その後3回ほどクロダイの様なアタリありましたがバレてばかり(;;)最後のクロダイは釣れました(^.^)また次回頑張りますので是非お越し下さい♪土曜日、日曜日はアマダイで出船しますのでよろしくお願いします。
釣行当日の潮汐
200 0 -40 0:00 6:00 12:00 18:00 24:00釣行当日の気象
-
日の出
06:41
日の入
16:31
-
月の出
13:46
月の入
02:51
-
天気
晴れ時々曇り
-
気温
11℃/6℃
-
気圧
1017.8hPa
-
風
北北東
3.8m/s -
波
東北東
0.2m/s -
水温
19.0℃
-
潮
中潮
-
月齢
10.9
-
BI
8.8
釣行当日の気象情報を表示 釣行当日の気象情報を隠す -
庄治郎丸
神奈川県 平塚市 平塚新港358日前釣行日:2024年12月12日(木)中潮ヘダイ
22~26cm 2~9匹 アジ 15~20cm 7~20匹 クロダイ 0.70kg 合計1匹 本日もご乗船ありがとうございました。 アジは小ぶりが多かったです。 ヘダイは皆さんお土産になりました。 イシダイ、クロダイ、ソーダなどまじる。
釣行当日の潮汐
200 0 -40 0:00 6:00 12:00 18:00 24:00釣行当日の気象
-
日の出
06:41
日の入
16:31
-
月の出
13:46
月の入
02:51
-
天気
晴れ時々曇り
-
気温
11℃/6℃
-
気圧
1017.8hPa
-
風
北北東
3.8m/s -
波
東北東
0.2m/s -
水温
19.0℃
-
潮
中潮
-
月齢
10.9
-
BI
8.8
釣行当日の気象情報を表示 釣行当日の気象情報を隠す -
かりゆし丸
神奈川県 平塚市 平塚新港359日前釣行日:2024年12月11日(水)若潮ヘダイ
30~35cm アジ 竿頭15匹 イナダ 最大57cm サバ 最大50cm アカハタ イシダイ ヒラメ 50~55cm 合計2匹 2号船釣果☆ 本日も、五目船で出船しました。 天候晴れ。 風北〜南。 潮西に流れる。 アジトップ15匹。 ヒラメ船中2枚、50㌢〜55㌢。 (良型) ヘダイ、30㌢〜35㌢。 イナダ、57㌢。 サバ50㌢、 アカハタ、イシダイ等が釣れ終日凪の良い1日となりました。 本日も、ご来店頂いたお客様と天候に本当に感謝です。
釣行当日の潮汐
200 0 -40 0:00 6:00 12:00 18:00 24:00釣行当日の気象
-
日の出
06:40
日の入
16:30
-
月の出
13:14
月の入
01:40
-
天気
晴れ時々曇り
-
気温
15℃/7℃
-
気圧
1014.5hPa
-
風
北
1.1m/s -
波
南東
0.2m/s -
水温
19.1℃
-
潮
若潮
-
月齢
9.9
-
BI
9.5
釣行当日の気象情報を表示 釣行当日の気象情報を隠す -
かりゆし丸
神奈川県 平塚市 平塚新港360日前釣行日:2024年12月10日(火)長潮ヘダイ
20~32cm 4~14匹 本日もご乗船頂きありがとうございました^o^3号船LT五目で出船しました。いやぁー、今日は天気良くベタ凪でしたよー(^^)お魚さんは機嫌が悪いのかダメでしたねー(;;)また次回頑張りますので是非お越し下さい♪
釣行当日の潮汐
200 0 -40 0:00 6:00 12:00 18:00 24:00釣行当日の気象
-
日の出
06:40
日の入
16:30
-
月の出
12:45
月の入
00:31
-
天気
晴れ
-
気温
14℃/6℃
-
気圧
1018.2hPa
-
風
北北東
1.2m/s -
波
南東
0.2m/s -
水温
19.1℃
-
潮
長潮
-
月齢
8.9
-
BI
9.5
釣行当日の気象情報を表示 釣行当日の気象情報を隠す
神奈川県の人気魚種の釣果情報
- 神奈川県×マダイ
- 神奈川県×ブリ
- 神奈川県×マアジ
- 神奈川県×ヒラメ
- 神奈川県×アカアマダイ
- 神奈川県×カサゴ
- 神奈川県×カワハギ
- 神奈川県×タチウオ
- 神奈川県×ヒラマサ
- 神奈川県×ゴマサバ
- 神奈川県×サワラ
- 神奈川県×イサキ
- 神奈川県×カンパチ
- 神奈川県×キジハタ
- 神奈川県×スズキ
- 神奈川県×アオリイカ
- 神奈川県×マハタ
- 神奈川県×オニカサゴ
- 神奈川県×クロムツ
- 神奈川県×メバル
- 神奈川県×ヤリイカ
- 神奈川県×アカムツ
- 神奈川県×チダイ
- 神奈川県×アオハタ
- 神奈川県×クロダイ
- 神奈川県×マダコ
- 神奈川県×アカハタ
- 神奈川県×シロギス
- 神奈川県×キダイ
- 神奈川県×シロアマダイ
- 神奈川県×ショウサイフグ
- 神奈川県×スルメイカ
- 神奈川県×キンメダイ
- 神奈川県×キハダ
- 神奈川県×マゴチ
- 神奈川県×イトヨリダイ
- 神奈川県×ホウボウ
- 神奈川県×カツオ
- 神奈川県×シログチ
- 神奈川県×メダイ
- 神奈川県×アラ
- 神奈川県×オオモンハタ
- 神奈川県×クロソイ
- 神奈川県×メジナ
- 神奈川県×カイワリ
- 神奈川県×ケンサキイカ
- 神奈川県×チカメキントキ
- 神奈川県×シイラ
- 神奈川県×シマアジ
- 神奈川県×オオメハタ
- 神奈川県×ウマヅラハギ
- 神奈川県×ウスメバル
- 神奈川県×アイナメ
- 神奈川県×アコウダイ
- 神奈川県×ウッカリカサゴ
- 神奈川県×マコガレイ
- 神奈川県×イシダイ
- 神奈川県×クエ
- 神奈川県×ユメカサゴ
- 神奈川県×アカイサキ
- 神奈川県×コウイカ
- 神奈川県×オオサガ
- 神奈川県×ムシガレイ
- 神奈川県×クロシビカマス
- 神奈川県×メイチダイ
- 神奈川県×フエフキダイ
- 神奈川県×アヤメカサゴ
- 神奈川県×ハガツオ
- 神奈川県×ヒラソウダ
- 神奈川県×ムツ
- 神奈川県×ホウキハタ
- 神奈川県×クログチ
- 神奈川県×キチヌ
- 神奈川県×ハチビキ
- 神奈川県×シロサバフグ
- 神奈川県×カミナリイカ
- 神奈川県×アブラボウズ
- 神奈川県×ハマフエフキ
- 神奈川県×ヘダイ
- 神奈川県×クロメジナ
- 神奈川県×ヒメダイ
- 神奈川県×マサバ
- 神奈川県×アカカマス
- 神奈川県×アカヤガラ
- 神奈川県×ヒメコダイ
- 神奈川県×スマ
- 神奈川県×ウメイロ
- 神奈川県×クロアナゴ
- 神奈川県×ヒガンフグ
- 神奈川県×アカメフグ
- 神奈川県×マトウダイ
- 神奈川県×オオクチイシナギ
- 神奈川県×カナガシラ
- 神奈川県×マハゼ
- 神奈川県×オニオコゼ
- 神奈川県×キュウセン
- 神奈川県×シマフグ
- 神奈川県×カマスサワラ
- 神奈川県×シロダイ
- 神奈川県×オキアジ
各都道府県の人気魚種の釣果情報
- 岩手県×マダラ
- 岩手県×スルメイカ
- 岩手県×ケンサキイカ
- 岩手県×マコガレイ
- 岩手県×ブリ
- 宮城県×ヒラメ
- 宮城県×マアジ
- 宮城県×アイナメ
- 宮城県×マコガレイ
- 宮城県×メバル
- 福島県×マダイ
- 福島県×ヒラメ
- 福島県×メバル
- 福島県×チダイ
- 福島県×アイナメ
- 茨城県×マダイ
- 茨城県×ヒラメ
- 茨城県×ブリ
- 茨城県×マダコ
- 茨城県×カサゴ
- 埼玉県×サワラ
- 埼玉県×タチウオ
- 埼玉県×マダイ
- 埼玉県×ホウボウ
- 埼玉県×ブリ
- 千葉県×マダイ
- 千葉県×ヒラメ
- 千葉県×マアジ
- 千葉県×イサキ
- 千葉県×マハタ
- 東京都×マアジ
- 東京都×タチウオ
- 東京都×シロギス
- 東京都×マダコ
- 東京都×スズキ
- 神奈川県×マアジ
- 神奈川県×マダイ
- 神奈川県×タチウオ
- 神奈川県×アカアマダイ
- 神奈川県×ブリ
- 新潟県×マダイ
- 新潟県×マアジ
- 新潟県×ゴマサバ
- 新潟県×ブリ
- 新潟県×キダイ
- 富山県×アオリイカ
- 富山県×マダイ
- 富山県×キジハタ
- 富山県×カサゴ
- 富山県×ヤリイカ
- 石川県×ブリ
- 石川県×マダイ
- 石川県×キジハタ
- 石川県×マアジ
- 石川県×カサゴ
- 福井県×ケンサキイカ
- 福井県×マダイ
- 福井県×アオリイカ
- 福井県×スルメイカ
- 福井県×マアジ
- 静岡県×マダイ
- 静岡県×マアジ
- 静岡県×イサキ
- 静岡県×タチウオ
- 静岡県×アカアマダイ
- 愛知県×ブリ
- 愛知県×マダイ
- 愛知県×タチウオ
- 愛知県×ヒラメ
- 愛知県×シロサバフグ
- 三重県×ブリ
- 三重県×マダイ
- 三重県×ヒラメ
- 三重県×カサゴ
- 三重県×サワラ
- 京都府×ケンサキイカ
- 京都府×ブリ
- 京都府×マダイ
- 京都府×スルメイカ
- 京都府×アオリイカ
- 大阪府×ブリ
- 大阪府×マダイ
- 大阪府×スズキ
- 大阪府×サワラ
- 大阪府×カサゴ
- 兵庫県×ブリ
- 兵庫県×マダイ
- 兵庫県×マダコ
- 兵庫県×サワラ
- 兵庫県×タチウオ
- 和歌山県×マダイ
- 和歌山県×ブリ
- 和歌山県×マアジ
- 和歌山県×イサキ
- 和歌山県×シロアマダイ
- 鳥取県×ケンサキイカ
- 鳥取県×アオリイカ
- 鳥取県×スルメイカ
- 鳥取県×カサゴ
- 鳥取県×アオハタ
- 島根県×ケンサキイカ
- 島根県×スルメイカ
- 島根県×ゴマサバ
- 島根県×マアジ
- 島根県×コウイカ
- 岡山県×スズキ
- 岡山県×マダイ
- 岡山県×クロダイ
- 岡山県×キジハタ
- 岡山県×ヒラメ
- 広島県×マダイ
- 広島県×ブリ
- 広島県×キジハタ
- 広島県×サワラ
- 広島県×シロギス
- 山口県×ケンサキイカ
- 山口県×アオリイカ
- 山口県×キジハタ
- 山口県×マダイ
- 山口県×ヒラマサ
- 徳島県×ブリ
- 徳島県×マアジ
- 徳島県×カンパチ
- 徳島県×チダイ
- 徳島県×イサキ
- 香川県×マダイ
- 香川県×アオリイカ
- 香川県×シロギス
- 香川県×ヒラメ
- 香川県×キジハタ
- 愛媛県×マダイ
- 愛媛県×ブリ
- 愛媛県×キジハタ
- 愛媛県×カサゴ
- 愛媛県×マアジ
- 高知県×カンパチ
- 高知県×イサキ
- 高知県×マアジ
- 高知県×マダイ
- 高知県×チダイ
- 福岡県×マダイ
- 福岡県×ヤリイカ
- 福岡県×ケンサキイカ
- 福岡県×ブリ
- 福岡県×ヒラマサ
- 佐賀県×サワラ
- 佐賀県×ブリ
- 佐賀県×アオリイカ
- 佐賀県×マダイ
- 佐賀県×マアジ
- 長崎県×マダイ
- 長崎県×キジハタ
- 長崎県×オオモンハタ
- 長崎県×ブリ
- 長崎県×ヒラマサ
- 熊本県×マダイ
- 熊本県×タチウオ
- 熊本県×キジハタ
- 熊本県×カサゴ
- 熊本県×ヒラメ
- 鹿児島県×カンパチ
- 鹿児島県×オオモンハタ
- 鹿児島県×アカハタ
- 鹿児島県×マダイ
- 鹿児島県×ケンサキイカ
- 沖縄県×スジアラ
- 沖縄県×キハダ
- 沖縄県×タカサゴ
- 沖縄県×バラハタ
- 沖縄県×クエ



































本日もご乗船ありがとうございました。 ヘダイは今日も好調でした。 アジがポツポツ、 カンパチ、クロダイ、ウスバハギ、カイワリ、サバ、カサゴなど。