-
増福丸
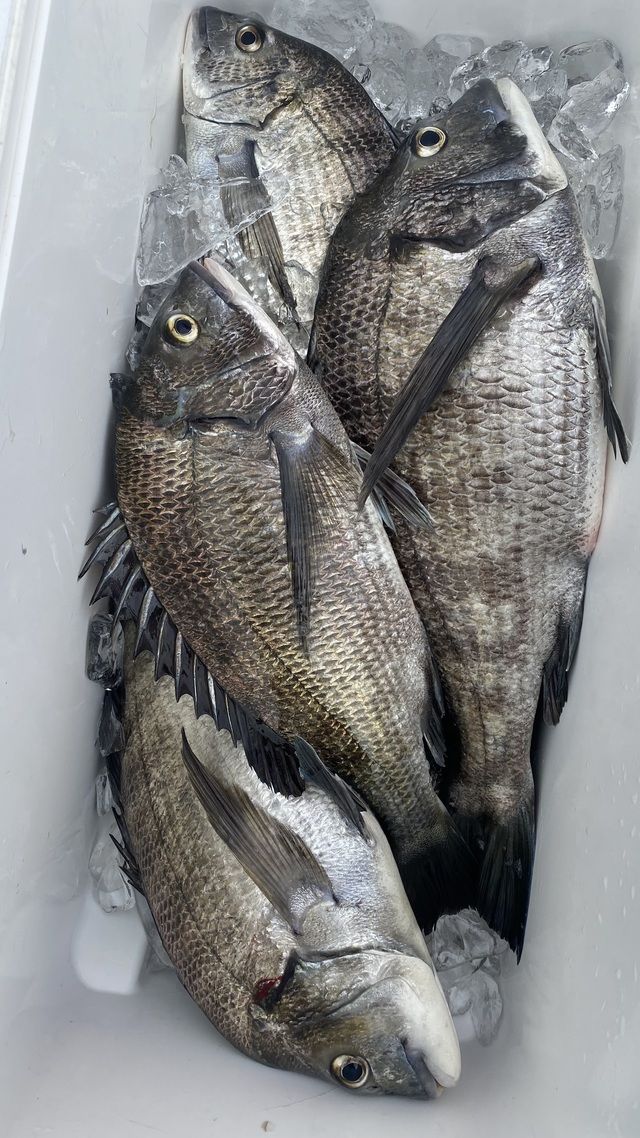
静岡県 御前崎市 御前崎港49日前釣行日:2026年3月17日(火)大潮クロダイ
マダイ 35~56cm 合計4匹 シマアジ 45~52cm 合計2匹 イサキ 28~33cm 18~26匹 メジナ 釣行当日の潮汐
200 0 -40 0:00 6:00 12:00 18:00 24:00釣行当日の気象
-
日の出
05:55
日の入
17:56
-
月の出
04:49
月の入
16:04
-
天気
晴れ時々曇り
-
気温
17℃/8℃
-
気圧
1021.2hPa
-
風
東北東
1.2m/s -
波
東南東
0.9m/s -
水温
15.0℃
-
潮
大潮
-
月齢
27.6
-
BI
9.0
釣行当日の気象情報を表示 釣行当日の気象情報を隠す -
増福丸
静岡県 御前崎市 御前崎港55日前釣行日:2026年3月11日(水)小潮クロダイ
マダイ 35~53cm 0~3匹 イサキ 28~33cm 20~33匹 マダイ、イサキ五目で出船。ボツボツ釣れてます。
釣行当日の潮汐
200 0 -40 0:00 6:00 12:00 18:00 24:00釣行当日の気象
-
日の出
06:03
日の入
17:51
-
月の出
00:37
月の入
10:05
-
天気
曇り
-
気温
13℃/5℃
-
気圧
1025.0hPa
-
風
東南東
1.4m/s -
波
東南東
0.6m/s -
水温
15.1℃
-
潮
小潮
-
月齢
21.6
-
BI
6.9
釣行当日の気象情報を表示 釣行当日の気象情報を隠す -
鶴丸
静岡県 富士市 田子の浦漁港57日前釣行日:2026年3月9日(月)中潮クロダイ
シロアマダイ 1~2匹 アカアマダイ 朝紅白アマダイの釣果です。 シロアマダイ、小〜中型。 今日は、久しぶりの紅白アマダイでした。 当たり少なかったです。 シロアマダイを中心に流しました。型見れて良かったです。 みなさんお疲れ様でした。 また宜しくお願いいたします。 アマダイ船は、アカシロのリレーが、おすすめです。 11日、12日朝メダイ&アマダイ、現在1名様、あと1名様で出船いたします。ご予約お待ちしてます。 14日ご予約お待ちしてます。 15日ご予約お待ちしてます。 17日朝アジ五目船、現在2名様、まだ空きあります。 21日朝メダイ&アマダイ船、現在2名様、まだ空きあります。 29日朝コマセマダイ船、まだ空きあります。 近場は、2名様から出船いたします。 お気軽にお問い合わせください。 初心者大歓迎です。 ご予約お待ちしてます。
釣行当日の潮汐
200 0 -40 0:00 6:00 12:00 18:00 24:00釣行当日の気象
-
日の出
06:04
日の入
17:48
-
月の出
23:38
月の入
08:41
-
天気
晴れ時々曇り
-
気温
14℃/4℃
-
気圧
1022.1hPa
-
風
東北東
1.4m/s -
波
南西
0.2m/s -
水温
15.2℃
-
潮
中潮
-
月齢
19.6
-
BI
8.0
釣行当日の気象情報を表示 釣行当日の気象情報を隠す -
増福丸
静岡県 御前崎市 御前崎港65日前釣行日:2026年3月1日(日)中潮クロダイ
マダイ 35~45cm 合計5匹 イサキ 28~33cm 15~25匹 シマアジ ウマヅラ 真鯛シマアジ五目で出船、イサキも釣れました。
釣行当日の潮汐
200 0 -40 0:00 6:00 12:00 18:00 24:00釣行当日の気象
-
日の出
06:17
日の入
17:43
-
月の出
15:19
月の入
04:54
-
天気
晴れ後時々曇り
-
気温
20℃/10℃
-
気圧
1020.9hPa
-
風
東南東
1.5m/s -
波
南東
0.8m/s -
水温
15.4℃
-
潮
中潮
-
月齢
11.6
-
BI
8.0
釣行当日の気象情報を表示 釣行当日の気象情報を隠す -
増福丸
静岡県 御前崎市 御前崎港67日前釣行日:2026年2月27日(金)若潮クロダイ
40~40cm 合計7匹 シマアジ 25~40cm 6~11匹 マダイ 35~50cm 0~6匹 イサキ 25~32cm 5~10匹 メジナ 真鯛シマアジ五目で出船。シマアジ真鯛沢山釣れました。
釣行当日の潮汐
200 0 -40 0:00 6:00 12:00 18:00 24:00釣行当日の気象
-
日の出
06:19
日の入
17:41
-
月の出
12:57
月の入
03:20
-
天気
曇り
-
気温
18℃/9℃
-
気圧
1016.0hPa
-
風
南東
0.6m/s -
波
南東
0.8m/s -
水温
15.3℃
-
潮
若潮
-
月齢
9.6
-
BI
9.5
釣行当日の気象情報を表示 釣行当日の気象情報を隠す -
増福丸
静岡県 御前崎市 御前崎港74日前釣行日:2026年2月20日(金)中潮クロダイ
シマアジ 30~45cm 2~4匹 マダイ 40~45cm 合計2匹 イシダイ 50~50cm 0~1匹 イサキ 25~33cm 合計6匹 カンコ 合計10匹 ウマヅラ 真鯛シマアジ五目で出船。シマアジ釣れました。色々釣れてます。
釣行当日の潮汐
200 0 -40 0:00 6:00 12:00 18:00 24:00釣行当日の気象
-
日の出
06:27
日の入
17:35
-
月の出
07:44
月の入
20:31
-
天気
曇り時々晴れ
-
気温
13℃/3℃
-
気圧
1021.4hPa
-
風
北西
1.0m/s -
波
東
0.2m/s -
水温
14.6℃
-
潮
中潮
-
月齢
2.6
-
BI
8.2
釣行当日の気象情報を表示 釣行当日の気象情報を隠す -
鶴丸
静岡県 富士市 田子の浦漁港135日前釣行日:2025年12月21日(日)大潮クロダイ
シロアマダイ 最大0.80kg 0~3匹 マダイ アジ イトヨリ オオモンハタ 朝シロアマダイ五目船の釣果です。 今日は、ウネリがあり、ちょっと釣り難くかったです。 アジが良かったです。 雨の中、みなさんお疲れ様でした。 また宜しくお願いいたします。 24日朝シロアマダイ船、現在1名様、あと1名様で出船いたします。 26日朝シロアマダイ船、現在2名様、まだ空きあります。 夜タチ、現在4名様、まだ空きあります。 27日朝シロアマダイ五目、現在4名様、まだ空きあります。 28日朝アカムツ船、現在4名様、まだ空きあります。 29日朝シロアマダイ船、現在3名様、まだ空きあります。 夜タチ、17時集合、現在2名様、まだ空きあります。 30日朝シロアマダイ五目船、現在6名様、まだ空きあります。 31日朝コマセマダイ船、現在5名様、まだ空きあります。 1日ご予約お待ちしてます。 2日朝シロアマダイ五目、現在5名様、まだ空きあります。 3日朝シロアマダイ船、現在1名様、あと1名様で出船いたします。 2名様から出船いたします。 お気軽にお問い合わせください。 初心者大歓迎です。 ご予約お待ちしてます。
釣行当日の潮汐
200 0 -40 0:00 6:00 12:00 18:00 24:00釣行当日の気象
-
日の出
06:49
日の入
16:37
-
月の出
07:54
月の入
17:23
-
天気
雨
-
気温
17℃/12℃
-
気圧
1019.3hPa
-
風
西
0.5m/s -
波
南
0.6m/s -
水温
17.5℃
-
潮
大潮
-
月齢
1.1
-
BI
8.0
釣行当日の気象情報を表示 釣行当日の気象情報を隠す -
海渡
静岡県 富士市 田子の浦漁港136日前釣行日:2025年12月20日(土)大潮クロダイ
3~4匹 マダイ 0.60~5.10kg 1~6匹 アジ 2~12匹 (朝アジ~アマダイ) アジ狙いで出船したのですが、マダイの食いが良く!例年はもっと早く釣れだすのですがやっと釣れる ようになりました!!皆さんクーラーいっぱい。
釣行当日の潮汐
200 0 -40 0:00 6:00 12:00 18:00 24:00釣行当日の気象
-
日の出
06:49
日の入
16:37
-
月の出
07:04
月の入
16:25
-
天気
雨
-
気温
14℃/9℃
-
気圧
1028.5hPa
-
風
北
1.9m/s -
波
南
0.5m/s -
水温
17.6℃
-
潮
大潮
-
月齢
0.1
-
BI
8.5
釣行当日の気象情報を表示 釣行当日の気象情報を隠す -
鶴丸
静岡県 富士市 田子の浦漁港156日前釣行日:2025年11月30日(日)若潮クロダイ
マダイ 0~3匹 アジ 3~6匹 ソーダ 朝コマセマダイ&アジの釣果です。 コマセは、反応は良かったですが、食い悪かったです。 みなさんお疲れ様でした。 また宜しくお願いします。
釣行当日の潮汐
200 0 -40 0:00 6:00 12:00 18:00 24:00釣行当日の気象
-
日の出
06:34
日の入
16:34
-
月の出
13:07
月の入
00:45
-
天気
晴れ
-
気温
18℃/7℃
-
気圧
1020.0hPa
-
風
東北東
0.7m/s -
波
南南西
0.2m/s -
水温
18.9℃
-
潮
若潮
-
月齢
9.8
-
BI
9.5
釣行当日の気象情報を表示 釣行当日の気象情報を隠す -
第三大黒丸
静岡県 静岡市 巴川河口192日前釣行日:2025年10月25日(土)中潮クロダイ
オオモンハタ キビレ アマダイ マダイ タイラバ船
釣行当日の潮汐
200 0 -40 0:00 6:00 12:00 18:00 24:00釣行当日の気象
-
日の出
06:00
日の入
17:00
-
月の出
09:25
月の入
18:54
-
天気
雨時々止む
-
気温
18℃/15℃
-
気圧
1024.0hPa
-
風
東北東
3.0m/s -
波
南南東
0.4m/s -
水温
23.4℃
-
潮
中潮
-
月齢
3.6
-
BI
8.4
釣行当日の気象情報を表示 釣行当日の気象情報を隠す -
鶴丸
静岡県 富士市 田子の浦漁港297日前釣行日:2025年7月12日(土)中潮クロダイ
アカアマダイ シロアマダイ マダイ アジ マハタ キジハタ イトヨリ カイワリ ホウボウ シロギス ソーダ 紅白アマダイ、2〜11匹、小〜1,1キロ、5名様で32匹。 前日に、急遽お客様が、入ったので、出船しました。 前半から、ぼちぼち良かったです。いろいろ釣れました。 みなさんお疲れ様でした。 明日は、朝アジ船です。現在2名様、まだ空きあります。 お気軽にお問い合わせください。
釣行当日の潮汐
200 0 -40 0:00 6:00 12:00 18:00 24:00釣行当日の気象
-
日の出
04:40
日の入
19:02
-
月の出
20:18
月の入
05:33
-
天気
曇り時々晴れ
-
気温
31℃/25℃
-
気圧
1011.3hPa
-
風
東南東
2.1m/s -
波
南南西
0.2m/s -
水温
28.2℃
-
潮
中潮
-
月齢
16.7
-
BI
7.7
釣行当日の気象情報を表示 釣行当日の気象情報を隠す -
喜久丸
静岡県 熱海市 熱海伊豆山港330日前釣行日:2025年6月9日(月)大潮クロダイ
マダイ 合計4匹 イサキ キントキダイ 午前マダイ&イサキ船。マダイはちょっと小さめですがゲット!イサキは良型ゲット!ゲストのキントキダイは上物です。
釣行当日の潮汐
200 0 -40 0:00 6:00 12:00 18:00 24:00釣行当日の気象
-
日の出
04:28
日の入
18:57
-
月の出
17:17
月の入
02:31
-
天気
曇りのち一時雨
-
気温
23℃/19℃
-
気圧
1013.3hPa
-
風
南東
1.9m/s -
波
南東
0.4m/s -
水温
21.9℃
-
潮
大潮
-
月齢
13.0
-
BI
9.8
釣行当日の気象情報を表示 釣行当日の気象情報を隠す -
海渡
静岡県 富士市 田子の浦漁港332日前釣行日:2025年6月7日(土)中潮クロダイ
アジ 25~40cm 7~15匹 マダイ イトヨリ アジ船。
釣行当日の潮汐
200 0 -40 0:00 6:00 12:00 18:00 24:00釣行当日の気象
-
日の出
04:30
日の入
18:58
-
月の出
15:20
月の入
01:38
-
天気
曇り
-
気温
28℃/18℃
-
気圧
1012.3hPa
-
風
南
2.3m/s -
波
南南西
0.5m/s -
水温
21.7℃
-
潮
中潮
-
月齢
11.0
-
BI
8.9
釣行当日の気象情報を表示 釣行当日の気象情報を隠す -
魚磯丸
静岡県 沼津市 久料港349日前釣行日:2025年5月21日(水)小潮クロダイ
マダイ 0.50~1.60kg 0~3匹 アジ イサキ サバ 午前マダイ船。残念お1人様ゼロでした。(Tシャツが有言実行に!!) 餌とり多かったですが、マダイ・イサキの当たりも多く、レンタルさん釣果良かったです。
釣行当日の潮汐
200 0 -40 0:00 6:00 12:00 18:00 24:00釣行当日の気象
-
日の出
04:37
日の入
18:46
-
月の出
00:46
月の入
12:01
-
天気
晴れ後時々曇り
-
気温
27℃/20℃
-
気圧
1013.0hPa
-
風
南西
2.2m/s -
波
南西
0.2m/s -
水温
19.8℃
-
潮
小潮
-
月齢
23.3
-
BI
7.2
釣行当日の気象情報を表示 釣行当日の気象情報を隠す -
魚磯丸
静岡県 沼津市 久料港352日前釣行日:2025年5月18日(日)中潮クロダイ
マダイ 1.00~3.20kg 合計3匹 イサキ 午後別船は1~3.2kgが3匹と黒鯛(2kg級)・イサキでした
釣行当日の潮汐
200 0 -40 0:00 6:00 12:00 18:00 24:00釣行当日の気象
-
日の出
04:39
日の入
18:44
-
月の出
23:41
月の入
08:43
-
天気
曇り
-
気温
29℃/21℃
-
気圧
1007.0hPa
-
風
南西
2.1m/s -
波
南西
0.6m/s -
水温
19.6℃
-
潮
中潮
-
月齢
20.3
-
BI
8.9
釣行当日の気象情報を表示 釣行当日の気象情報を隠す
静岡県の人気魚種の釣果情報
- 静岡県×マダイ
- 静岡県×ブリ
- 静岡県×マアジ
- 静岡県×イサキ
- 静岡県×カサゴ
- 静岡県×アカアマダイ
- 静岡県×ゴマサバ
- 静岡県×ヒラメ
- 静岡県×ヒラマサ
- 静岡県×ヤリイカ
- 静岡県×マダコ
- 静岡県×キジハタ
- 静岡県×アオリイカ
- 静岡県×サワラ
- 静岡県×カンパチ
- 静岡県×メバル
- 静岡県×タチウオ
- 静岡県×シロギス
- 静岡県×オニカサゴ
- 静岡県×ケンサキイカ
- 静岡県×マハタ
- 静岡県×クロダイ
- 静岡県×アカムツ
- 静岡県×チダイ
- 静岡県×マゴチ
- 静岡県×クロムツ
- 静岡県×スルメイカ
- 静岡県×アオハタ
- 静岡県×アカハタ
- 静岡県×キハダ
- 静岡県×キダイ
- 静岡県×シロアマダイ
- 静岡県×キンメダイ
- 静岡県×アラ
- 静岡県×カワハギ
- 静岡県×カツオ
- 静岡県×クロソイ
- 静岡県×ホウボウ
- 静岡県×メダイ
- 静岡県×メジナ
- 静岡県×カイワリ
- 静岡県×ショウサイフグ
- 静岡県×チカメキントキ
- 静岡県×シログチ
- 静岡県×オオモンハタ
- 静岡県×イトヨリダイ
- 静岡県×シマアジ
- 静岡県×アイナメ
- 静岡県×ウスメバル
- 静岡県×シイラ
- 静岡県×ウッカリカサゴ
- 静岡県×メバチ
- 静岡県×オオメハタ
- 静岡県×アコウダイ
- 静岡県×ウメイロ
- 静岡県×マダラ
- 静岡県×クログチ
- 静岡県×クエ
- 静岡県×イシダイ
- 静岡県×タカサゴ
- 静岡県×ウマヅラハギ
- 静岡県×アカイサキ
- 静岡県×ムシガレイ
- 静岡県×ユメカサゴ
- 静岡県×オオサガ
- 静岡県×トラフグ
- 静岡県×メイチダイ
- 静岡県×クロシビカマス
- 静岡県×ハガツオ
- 静岡県×ロウニンアジ
- 静岡県×フエフキダイ
- 静岡県×アヤメカサゴ
- 静岡県×ムツ
- 静岡県×ホウキハタ
- 静岡県×マアナゴ
- 静岡県×アブラボウズ
- 静岡県×キチヌ
- 静岡県×ハチビキ
- 静岡県×シロサバフグ
- 静岡県×マサバ
- 静岡県×ハマフエフキ
- 静岡県×オオクチイシナギ
- 静岡県×クロメジナ
- 静岡県×カナガシラ
- 静岡県×バラムツ
- 静岡県×コロダイ
- 静岡県×ヒメダイ
- 静岡県×ムロアジ
- 静岡県×マトウダイ
- 静岡県×コウイカ
- 静岡県×カミナリイカ
- 静岡県×ヒメコダイ
- 静岡県×スマ
- 静岡県×ヒラソウダ
- 静岡県×ヘダイ
- 静岡県×オニオコゼ
- 静岡県×ナンヨウキンメ
- 静岡県×シロダイ
- 静岡県×キュウセン
各都道府県の人気魚種の釣果情報
- 岩手県×スルメイカ
- 岩手県×マダラ
- 岩手県×ブリ
- 岩手県×マコガレイ
- 岩手県×ヒラメ
- 宮城県×ヒラメ
- 宮城県×マアジ
- 宮城県×アイナメ
- 宮城県×マコガレイ
- 宮城県×メバル
- 福島県×マダイ
- 福島県×ヒラメ
- 福島県×チダイ
- 福島県×キツネメバル
- 福島県×アイナメ
- 茨城県×マダイ
- 茨城県×ブリ
- 茨城県×ヒラメ
- 茨城県×マダコ
- 茨城県×カサゴ
- 埼玉県×サワラ
- 埼玉県×タチウオ
- 埼玉県×マダイ
- 埼玉県×マアジ
- 埼玉県×ブリ
- 千葉県×マダイ
- 千葉県×ヒラメ
- 千葉県×マアジ
- 千葉県×イサキ
- 千葉県×マハタ
- 東京都×マアジ
- 東京都×タチウオ
- 東京都×シロギス
- 東京都×マダコ
- 東京都×スズキ
- 神奈川県×マアジ
- 神奈川県×マダイ
- 神奈川県×ブリ
- 神奈川県×アカアマダイ
- 神奈川県×タチウオ
- 新潟県×マダイ
- 新潟県×ブリ
- 新潟県×マアジ
- 新潟県×ゴマサバ
- 新潟県×キダイ
- 富山県×アオリイカ
- 富山県×マダイ
- 富山県×ブリ
- 富山県×キジハタ
- 富山県×カサゴ
- 石川県×ブリ
- 石川県×キジハタ
- 石川県×マダイ
- 石川県×カサゴ
- 石川県×ウッカリカサゴ
- 福井県×ケンサキイカ
- 福井県×マダイ
- 福井県×アオリイカ
- 福井県×スルメイカ
- 福井県×マアジ
- 静岡県×マダイ
- 静岡県×イサキ
- 静岡県×マアジ
- 静岡県×ブリ
- 静岡県×タチウオ
- 愛知県×ブリ
- 愛知県×マダイ
- 愛知県×タチウオ
- 愛知県×ホウボウ
- 愛知県×ヒラメ
- 三重県×ブリ
- 三重県×マダイ
- 三重県×ヒラメ
- 三重県×カサゴ
- 三重県×アカアマダイ
- 京都府×ケンサキイカ
- 京都府×ブリ
- 京都府×マダイ
- 京都府×スルメイカ
- 京都府×アオリイカ
- 大阪府×マダイ
- 大阪府×サワラ
- 大阪府×ブリ
- 大阪府×スズキ
- 大阪府×タチウオ
- 兵庫県×ブリ
- 兵庫県×マダイ
- 兵庫県×マダコ
- 兵庫県×サワラ
- 兵庫県×タチウオ
- 和歌山県×マダイ
- 和歌山県×ブリ
- 和歌山県×マアジ
- 和歌山県×イサキ
- 和歌山県×シロアマダイ
- 鳥取県×ケンサキイカ
- 鳥取県×アオリイカ
- 鳥取県×スルメイカ
- 鳥取県×マダイ
- 鳥取県×アオハタ
- 島根県×ケンサキイカ
- 島根県×スルメイカ
- 島根県×ゴマサバ
- 島根県×マアジ
- 島根県×コウイカ
- 岡山県×スズキ
- 岡山県×マダイ
- 岡山県×ヒラメ
- 岡山県×キジハタ
- 岡山県×クロダイ
- 広島県×マダイ
- 広島県×ブリ
- 広島県×キジハタ
- 広島県×サワラ
- 広島県×シロギス
- 山口県×ケンサキイカ
- 山口県×アオリイカ
- 山口県×キジハタ
- 山口県×ブリ
- 山口県×マダイ
- 徳島県×ブリ
- 徳島県×マアジ
- 徳島県×チダイ
- 徳島県×イサキ
- 徳島県×キダイ
- 香川県×マダイ
- 香川県×アオリイカ
- 香川県×キジハタ
- 香川県×クロダイ
- 香川県×シロギス
- 愛媛県×マダイ
- 愛媛県×ブリ
- 愛媛県×キジハタ
- 愛媛県×タチウオ
- 愛媛県×サワラ
- 高知県×カンパチ
- 高知県×イサキ
- 高知県×アカアマダイ
- 高知県×マダイ
- 高知県×マアジ
- 福岡県×マダイ
- 福岡県×ヤリイカ
- 福岡県×ケンサキイカ
- 福岡県×ヒラマサ
- 福岡県×ブリ
- 佐賀県×マダイ
- 佐賀県×ヒラマサ
- 佐賀県×アカアマダイ
- 佐賀県×キダイ
- 佐賀県×キジハタ
- 長崎県×マダイ
- 長崎県×キジハタ
- 長崎県×オオモンハタ
- 長崎県×アオハタ
- 長崎県×ブリ
- 熊本県×マダイ
- 熊本県×ヒラメ
- 熊本県×メバル
- 熊本県×キジハタ
- 熊本県×カサゴ
- 鹿児島県×カンパチ
- 鹿児島県×マダイ
- 鹿児島県×ケンサキイカ
- 鹿児島県×オオモンハタ
- 鹿児島県×バラハタ
- 沖縄県×スジアラ
- 沖縄県×バラハタ
- 沖縄県×キハダ
- 沖縄県×ハマフエフキ
- 沖縄県×クエ






































真鯛シマアジ五目で出船釣れました。