-
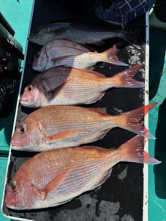
良栄丸
和歌山県 日高郡印南町 印南港131日前釣行日:2025年12月25日(木)中潮メイチダイ
28~36cm 合計5匹 マアジ 34~45cm 3~7匹 釣行当日の潮汐
200 0 -40 0:00 6:00 12:00 18:00 24:00釣行当日の気象
-
日の出
07:01
日の入
16:56
-
月の出
10:28
月の入
21:47
-
天気
雨のち曇り
-
気温
14℃/6℃
-
気圧
1005.1hPa
-
風
北北西
1.6m/s -
波
南南東
0.9m/s -
水温
16.0℃
-
潮
中潮
-
月齢
5.1
-
BI
9.6
釣行当日の気象情報を表示 釣行当日の気象情報を隠す -
良栄丸
和歌山県 日高郡印南町 印南港133日前釣行日:2025年12月23日(火)中潮メイチダイ
28~35cm 合計2匹 マダイ 28~34cm 合計3匹 マアジ 36~45cm 2~2匹 オオモンハタ 41~45cm 合計2匹 オキアミ釣りに出船しました! マアジは朝一だけでその後ダメでしたが、後半ポイント移動しながら真鯛にチダイ、オオモンハタにメイチダイにイサギなど釣れました。 お土産になりました! 年内は31日午前便まで。 年始は3日から出船します! ご予約受付中です。 気軽にお問い合わせ下さいm(__)m
釣行当日の潮汐
200 0 -40 0:00 6:00 12:00 18:00 24:00釣行当日の気象
-
日の出
07:00
日の入
16:54
-
月の出
09:25
月の入
19:43
-
天気
晴れ後一時雨
-
気温
14℃/4℃
-
気圧
1028.3hPa
-
風
北北西
2.4m/s -
波
南南東
0.5m/s -
水温
16.2℃
-
潮
中潮
-
月齢
3.1
-
BI
8.2
釣行当日の気象情報を表示 釣行当日の気象情報を隠す -
いなみ丸
和歌山県 日高郡印南町 印南港135日前釣行日:2025年12月21日(日)大潮メイチダイ
マダイ 最大58cm レンコダイ サバ ヒラソーダ 朝から雨でした。 マダイ、レンコダイ、サバ、クロスジフエダイ、メイチダイ、ヒラソーダなどでした。 今日はタイのアタリも少なかったです。 全体的にアタリ少なかったかな。
釣行当日の潮汐
200 0 -40 0:00 6:00 12:00 18:00 24:00釣行当日の気象
-
日の出
06:59
日の入
16:53
-
月の出
08:03
月の入
17:41
-
天気
雨のち曇り
-
気温
17℃/8℃
-
気圧
1018.1hPa
-
風
南
1.9m/s -
波
南
0.6m/s -
水温
16.7℃
-
潮
大潮
-
月齢
1.1
-
BI
8.5
釣行当日の気象情報を表示 釣行当日の気象情報を隠す -
海迅丸
和歌山県 田辺市 湊浦漁港136日前釣行日:2025年12月20日(土)大潮メイチダイ
カンパチ マダイ メジロ ハマチ オオニベ シマアジ狙いからの落とし込み。
釣行当日の潮汐
200 0 -40 0:00 6:00 12:00 18:00 24:00釣行当日の気象
-
日の出
06:57
日の入
16:53
-
月の出
07:11
月の入
16:44
-
天気
晴れ後時々曇り
-
気温
20℃/9℃
-
気圧
1025.1hPa
-
風
東北東
1.4m/s -
波
南南東
0.2m/s -
水温
21.0℃
-
潮
大潮
-
月齢
0.1
-
BI
9.0
釣行当日の気象情報を表示 釣行当日の気象情報を隠す -
いなみ丸
和歌山県 日高郡印南町 印南港136日前釣行日:2025年12月20日(土)大潮メイチダイ
マダイ 28~50cm 合計14匹 チダイ レンコダイ サバ オオモンハタ メンドリ ヒラソーダ 今日はいい凪でした マダイは大きいので50センチでした。 いろいろ釣れました。
釣行当日の潮汐
200 0 -40 0:00 6:00 12:00 18:00 24:00釣行当日の気象
-
日の出
06:59
日の入
16:53
-
月の出
07:13
月の入
16:44
-
天気
晴れ後時々曇り
-
気温
21℃/9℃
-
気圧
1024.9hPa
-
風
東南東
1.7m/s -
波
南東
0.3m/s -
水温
16.7℃
-
潮
大潮
-
月齢
0.1
-
BI
9.0
釣行当日の気象情報を表示 釣行当日の気象情報を隠す -
良栄丸
和歌山県 日高郡印南町 印南港136日前釣行日:2025年12月20日(土)大潮メイチダイ
27~32cm 合計4匹 マダイ 29~40cm 合計2匹 グレ 43cm 合計1匹 オキアミ釣りに出船しました! 朝一マアジ顔見ただけで渋々でしたが後半ポイント移動しながら真鯛にメイチダイ、グレにイサギなど釣れました! お土産に! 明日も出船します! ご予約受付中です。 気軽にお問い合わせ下さいm(__)m
釣行当日の潮汐
200 0 -40 0:00 6:00 12:00 18:00 24:00釣行当日の気象
-
日の出
06:59
日の入
16:53
-
月の出
07:13
月の入
16:44
-
天気
晴れ後時々曇り
-
気温
21℃/9℃
-
気圧
1024.9hPa
-
風
東南東
1.7m/s -
波
南東
0.3m/s -
水温
16.7℃
-
潮
大潮
-
月齢
0.1
-
BI
9.0
釣行当日の気象情報を表示 釣行当日の気象情報を隠す -
清義丸
和歌山県 日高郡印南町 印南港137日前釣行日:2025年12月19日(金)大潮メイチダイ
イサギ サバ マダイ チダイ レンコダイ オキアミ五目釣りに出船しました。
釣行当日の潮汐
200 0 -40 0:00 6:00 12:00 18:00 24:00釣行当日の気象
-
日の出
06:58
日の入
16:52
-
月の出
06:18
月の入
15:52
-
天気
晴れ後時々曇り
-
気温
16℃/4℃
-
気圧
1028.3hPa
-
風
北東
1.2m/s -
波
南南東
0.2m/s -
水温
16.6℃
-
潮
大潮
-
月齢
28.8
-
BI
8.5
釣行当日の気象情報を表示 釣行当日の気象情報を隠す -
良栄丸
和歌山県 日高郡印南町 印南港139日前釣行日:2025年12月17日(水)中潮メイチダイ
26~32cm 合計3匹 マダイ 27~32cm 合計6匹 オオモンハタ 41cm 合計1匹 マアジ 39~45cm 合計9匹 オキアミ釣りに出船しました! 朝一少しだけでしたが良型マアジのアタリありでした。 半分くらい外れちゃいましたが顔見れました。 後半はポイント移動しながら真鯛にメイチダイ、オオモンハタにイサギなど釣れました! お土産に。 19日、20日。 どちらも現在少人数で空いてます。 21日も空きあります。 23日。半夜ティップランに出船します! こちらもご予約受付中です! 気軽にお問い合わせ下さいm(__)m
釣行当日の潮汐
200 0 -40 0:00 6:00 12:00 18:00 24:00釣行当日の気象
-
日の出
06:57
日の入
16:52
-
月の出
04:22
月の入
14:29
-
天気
曇りのち一時雨
-
気温
17℃/5℃
-
気圧
1021.7hPa
-
風
東南東
1.4m/s -
波
南南東
0.2m/s -
水温
16.9℃
-
潮
中潮
-
月齢
26.8
-
BI
7.5
釣行当日の気象情報を表示 釣行当日の気象情報を隠す -
せいゆう丸
和歌山県 日高郡印南町 印南港139日前釣行日:2025年12月17日(水)中潮メイチダイ
マダイ 24~60cm 合計7匹 コダイ オオモンハタ メジロ イサキ オキアミの五目釣りに出船。和田様の釣果です。
釣行当日の潮汐
200 0 -40 0:00 6:00 12:00 18:00 24:00釣行当日の気象
-
日の出
06:57
日の入
16:52
-
月の出
04:22
月の入
14:29
-
天気
曇りのち一時雨
-
気温
17℃/5℃
-
気圧
1021.7hPa
-
風
東南東
1.4m/s -
波
南南東
0.2m/s -
水温
16.9℃
-
潮
中潮
-
月齢
26.8
-
BI
7.5
釣行当日の気象情報を表示 釣行当日の気象情報を隠す -
良栄丸
和歌山県 日高郡印南町 印南港143日前釣行日:2025年12月13日(土)小潮メイチダイ
31~35cm 合計9匹 マダイ 35cm 合計1匹 シオ 46cm 合計1匹 グレ 35~41cm 合計3匹 オオモンハタ 36~48cm 合計3匹 オキアミ釣りに出船しました! 今日も喰い渋めでしたがポイント移動しながらポロッとアタリありでした。 真鯛にシオ、メイチダイにグレにオオモンハタにイサギなど釣れました! 本日14日は悪天候な為出船中止としました。 16日より通常通り出船予定です! 16~20日までどの日も現在少人数で空いてます。 21日も空きあります。 オキアミ釣り! ご予約受付中です。 気軽にお問い合わせ下さいm(__)m
釣行当日の潮汐
200 0 -40 0:00 6:00 12:00 18:00 24:00釣行当日の気象
-
日の出
06:54
日の入
16:50
-
月の出
00:32
月の入
12:37
-
天気
晴れ後時々曇り
-
気温
12℃/1℃
-
気圧
1028.1hPa
-
風
北
4.3m/s -
波
北西
0.2m/s -
水温
17.6℃
-
潮
小潮
-
月齢
22.8
-
BI
7.2
釣行当日の気象情報を表示 釣行当日の気象情報を隠す -
木下丸
和歌山県 日高郡印南町 印南港143日前釣行日:2025年12月13日(土)小潮メイチダイ
マダイ オオモンハタ イサキ オキアミ五目釣り出船しました朝便はなんやかんや釣れました、お土産程度でした、午後便もオキアミ五目釣り出船しましたが厳しかったです、お疲れ様でした!
釣行当日の潮汐
200 0 -40 0:00 6:00 12:00 18:00 24:00釣行当日の気象
-
日の出
06:54
日の入
16:50
-
月の出
00:32
月の入
12:37
-
天気
晴れ後時々曇り
-
気温
12℃/1℃
-
気圧
1028.1hPa
-
風
北
4.3m/s -
波
北西
0.2m/s -
水温
17.6℃
-
潮
小潮
-
月齢
22.8
-
BI
7.2
釣行当日の気象情報を表示 釣行当日の気象情報を隠す -
優勝丸
和歌山県 日高郡印南町 印南港143日前釣行日:2025年12月13日(土)小潮メイチダイ
30~35cm 2~4匹 オキアミ五目釣りに行って来ました
釣行当日の潮汐
200 0 -40 0:00 6:00 12:00 18:00 24:00釣行当日の気象
-
日の出
06:54
日の入
16:50
-
月の出
00:32
月の入
12:37
-
天気
晴れ後時々曇り
-
気温
12℃/1℃
-
気圧
1028.1hPa
-
風
北
4.3m/s -
波
北西
0.2m/s -
水温
17.6℃
-
潮
小潮
-
月齢
22.8
-
BI
7.2
釣行当日の気象情報を表示 釣行当日の気象情報を隠す -
西原丸
和歌山県 田辺市 文里港143日前釣行日:2025年12月13日(土)小潮メイチダイ
30~35cm 合計2匹 マダイ 30~63cm 合計4匹 マダイ63センチです
釣行当日の潮汐
200 0 -40 0:00 6:00 12:00 18:00 24:00釣行当日の気象
-
日の出
06:53
日の入
16:50
-
月の出
00:32
月の入
12:36
-
天気
晴れ後時々曇り
-
気温
14℃/1℃
-
気圧
1027.7hPa
-
風
北北東
1.7m/s -
波
北西
0.2m/s -
水温
21.6℃
-
潮
小潮
-
月齢
22.8
-
BI
7.2
釣行当日の気象情報を表示 釣行当日の気象情報を隠す -
良栄丸
和歌山県 日高郡印南町 印南港145日前釣行日:2025年12月11日(木)小潮メイチダイ
31~35cm 合計5匹 マダイ 28~30cm 合計5匹 グレ 36cm 合計1匹 チダイ 36cm 合計1匹 オキアミ釣りに出船しました! 風と潮反対で自船の位置安定せずフラフラで喰いも渋々で難しい感じでした… アタリ少なく厳しい状況の中でしたが頑張って釣ってくれました! 真鯛にチダイ、メイチダイにグレ、アカヤガラなどの釣果に。 今後状況上向きに期待です!
釣行当日の潮汐
200 0 -40 0:00 6:00 12:00 18:00 24:00釣行当日の気象
-
日の出
06:53
日の入
16:50
-
月の出
23:34
月の入
11:47
-
天気
曇り
-
気温
17℃/5℃
-
気圧
1021.2hPa
-
風
南東
2.1m/s -
波
南南東
0.2m/s -
水温
18.0℃
-
潮
小潮
-
月齢
20.8
-
BI
8.7
釣行当日の気象情報を表示 釣行当日の気象情報を隠す -
海迅丸
和歌山県 田辺市 湊浦漁港147日前釣行日:2025年12月9日(火)中潮メイチダイ
マダイ マダイなどが釣れました。
釣行当日の潮汐
200 0 -40 0:00 6:00 12:00 18:00 24:00釣行当日の気象
-
日の出
06:50
日の入
16:49
-
月の出
21:28
月の入
10:44
-
天気
晴れ
-
気温
15℃/7℃
-
気圧
1023.8hPa
-
風
北北西
3.2m/s -
波
西北西
0.2m/s -
水温
21.8℃
-
潮
中潮
-
月齢
18.8
-
BI
9.8
釣行当日の気象情報を表示 釣行当日の気象情報を隠す
和歌山県の人気魚種の釣果情報
- 和歌山県×マダイ
- 和歌山県×ブリ
- 和歌山県×マアジ
- 和歌山県×イサキ
- 和歌山県×カサゴ
- 和歌山県×アカアマダイ
- 和歌山県×ゴマサバ
- 和歌山県×ヒラメ
- 和歌山県×ヒラマサ
- 和歌山県×マダコ
- 和歌山県×キジハタ
- 和歌山県×アオリイカ
- 和歌山県×スズキ
- 和歌山県×サワラ
- 和歌山県×カンパチ
- 和歌山県×メバル
- 和歌山県×タチウオ
- 和歌山県×シロギス
- 和歌山県×オニカサゴ
- 和歌山県×ケンサキイカ
- 和歌山県×マハタ
- 和歌山県×クロダイ
- 和歌山県×アカムツ
- 和歌山県×チダイ
- 和歌山県×マゴチ
- 和歌山県×クロムツ
- 和歌山県×スルメイカ
- 和歌山県×アオハタ
- 和歌山県×アカハタ
- 和歌山県×キハダ
- 和歌山県×キダイ
- 和歌山県×シロアマダイ
- 和歌山県×キンメダイ
- 和歌山県×アラ
- 和歌山県×カワハギ
- 和歌山県×カツオ
- 和歌山県×ホウボウ
- 和歌山県×メダイ
- 和歌山県×メジナ
- 和歌山県×カイワリ
- 和歌山県×ショウサイフグ
- 和歌山県×チカメキントキ
- 和歌山県×シログチ
- 和歌山県×オオモンハタ
- 和歌山県×イトヨリダイ
- 和歌山県×シマアジ
- 和歌山県×マコガレイ
- 和歌山県×ウスメバル
- 和歌山県×シイラ
- 和歌山県×ウッカリカサゴ
- 和歌山県×メバチ
- 和歌山県×アコウダイ
- 和歌山県×ウメイロ
- 和歌山県×クログチ
- 和歌山県×クエ
- 和歌山県×イシダイ
- 和歌山県×タカサゴ
- 和歌山県×ウマヅラハギ
- 和歌山県×アカイサキ
- 和歌山県×トラフグ
- 和歌山県×メイチダイ
- 和歌山県×ロウニンアジ
- 和歌山県×アヤメカサゴ
- 和歌山県×ムツ
- 和歌山県×ホウキハタ
- 和歌山県×マアナゴ
- 和歌山県×キチヌ
- 和歌山県×ハチビキ
- 和歌山県×シロサバフグ
- 和歌山県×マサバ
- 和歌山県×ハマフエフキ
- 和歌山県×カナガシラ
- 和歌山県×コロダイ
- 和歌山県×ヒメダイ
- 和歌山県×ムロアジ
- 和歌山県×マトウダイ
- 和歌山県×コウイカ
- 和歌山県×カミナリイカ
- 和歌山県×スマ
- 和歌山県×ヒラソウダ
- 和歌山県×ヘダイ
- 和歌山県×オニオコゼ
- 和歌山県×シロダイ
各都道府県の人気魚種の釣果情報
- 岩手県×スルメイカ
- 岩手県×マダラ
- 岩手県×ブリ
- 岩手県×マコガレイ
- 岩手県×ヒラメ
- 宮城県×ヒラメ
- 宮城県×マアジ
- 宮城県×アイナメ
- 宮城県×マコガレイ
- 宮城県×メバル
- 福島県×マダイ
- 福島県×ヒラメ
- 福島県×チダイ
- 福島県×キツネメバル
- 福島県×アイナメ
- 茨城県×マダイ
- 茨城県×ブリ
- 茨城県×ヒラメ
- 茨城県×マダコ
- 茨城県×カサゴ
- 埼玉県×サワラ
- 埼玉県×タチウオ
- 埼玉県×マダイ
- 埼玉県×マアジ
- 埼玉県×ブリ
- 千葉県×マダイ
- 千葉県×ヒラメ
- 千葉県×マアジ
- 千葉県×イサキ
- 千葉県×マハタ
- 東京都×マアジ
- 東京都×タチウオ
- 東京都×シロギス
- 東京都×マダコ
- 東京都×スズキ
- 神奈川県×マアジ
- 神奈川県×マダイ
- 神奈川県×ブリ
- 神奈川県×アカアマダイ
- 神奈川県×タチウオ
- 新潟県×マダイ
- 新潟県×ブリ
- 新潟県×マアジ
- 新潟県×ゴマサバ
- 新潟県×キダイ
- 富山県×アオリイカ
- 富山県×マダイ
- 富山県×ブリ
- 富山県×キジハタ
- 富山県×カサゴ
- 石川県×ブリ
- 石川県×キジハタ
- 石川県×マダイ
- 石川県×カサゴ
- 石川県×ウッカリカサゴ
- 福井県×ケンサキイカ
- 福井県×マダイ
- 福井県×アオリイカ
- 福井県×スルメイカ
- 福井県×マアジ
- 静岡県×マダイ
- 静岡県×イサキ
- 静岡県×マアジ
- 静岡県×ブリ
- 静岡県×タチウオ
- 愛知県×ブリ
- 愛知県×マダイ
- 愛知県×タチウオ
- 愛知県×ホウボウ
- 愛知県×ヒラメ
- 三重県×ブリ
- 三重県×マダイ
- 三重県×ヒラメ
- 三重県×カサゴ
- 三重県×アカアマダイ
- 京都府×ケンサキイカ
- 京都府×ブリ
- 京都府×マダイ
- 京都府×スルメイカ
- 京都府×アオリイカ
- 大阪府×マダイ
- 大阪府×サワラ
- 大阪府×ブリ
- 大阪府×スズキ
- 大阪府×タチウオ
- 兵庫県×ブリ
- 兵庫県×マダイ
- 兵庫県×マダコ
- 兵庫県×サワラ
- 兵庫県×タチウオ
- 和歌山県×マダイ
- 和歌山県×ブリ
- 和歌山県×マアジ
- 和歌山県×イサキ
- 和歌山県×シロアマダイ
- 鳥取県×ケンサキイカ
- 鳥取県×アオリイカ
- 鳥取県×スルメイカ
- 鳥取県×マダイ
- 鳥取県×アオハタ
- 島根県×ケンサキイカ
- 島根県×スルメイカ
- 島根県×ゴマサバ
- 島根県×マアジ
- 島根県×コウイカ
- 岡山県×スズキ
- 岡山県×マダイ
- 岡山県×ヒラメ
- 岡山県×キジハタ
- 岡山県×クロダイ
- 広島県×マダイ
- 広島県×ブリ
- 広島県×キジハタ
- 広島県×サワラ
- 広島県×シロギス
- 山口県×ケンサキイカ
- 山口県×アオリイカ
- 山口県×キジハタ
- 山口県×ブリ
- 山口県×マダイ
- 徳島県×ブリ
- 徳島県×マアジ
- 徳島県×チダイ
- 徳島県×イサキ
- 徳島県×キダイ
- 香川県×マダイ
- 香川県×アオリイカ
- 香川県×キジハタ
- 香川県×クロダイ
- 香川県×シロギス
- 愛媛県×マダイ
- 愛媛県×ブリ
- 愛媛県×キジハタ
- 愛媛県×タチウオ
- 愛媛県×サワラ
- 高知県×カンパチ
- 高知県×イサキ
- 高知県×アカアマダイ
- 高知県×マダイ
- 高知県×マアジ
- 福岡県×マダイ
- 福岡県×ヤリイカ
- 福岡県×ケンサキイカ
- 福岡県×ヒラマサ
- 福岡県×ブリ
- 佐賀県×マダイ
- 佐賀県×ヒラマサ
- 佐賀県×アカアマダイ
- 佐賀県×キダイ
- 佐賀県×キジハタ
- 長崎県×マダイ
- 長崎県×キジハタ
- 長崎県×オオモンハタ
- 長崎県×アオハタ
- 長崎県×ブリ
- 熊本県×マダイ
- 熊本県×ヒラメ
- 熊本県×メバル
- 熊本県×キジハタ
- 熊本県×カサゴ
- 鹿児島県×カンパチ
- 鹿児島県×マダイ
- 鹿児島県×ケンサキイカ
- 鹿児島県×オオモンハタ
- 鹿児島県×バラハタ
- 沖縄県×スジアラ
- 沖縄県×バラハタ
- 沖縄県×キハダ
- 沖縄県×ハマフエフキ
- 沖縄県×クエ









































オキアミ釣りに出船しました! 朝一良型マアジ混じりでポロポロっとアタリありでした。 喰いが止まってからは移動しながら真鯛にメイチダイ、イサギがポロッと釣れてお土産になりました! 年末は31日午前便まで。 年始は3日から出船します! 27日、28日、30日午後便も出船します! オキアミ釣り! ご予約受付中です。 気軽にお問い合わせ下さいm(__)m