-
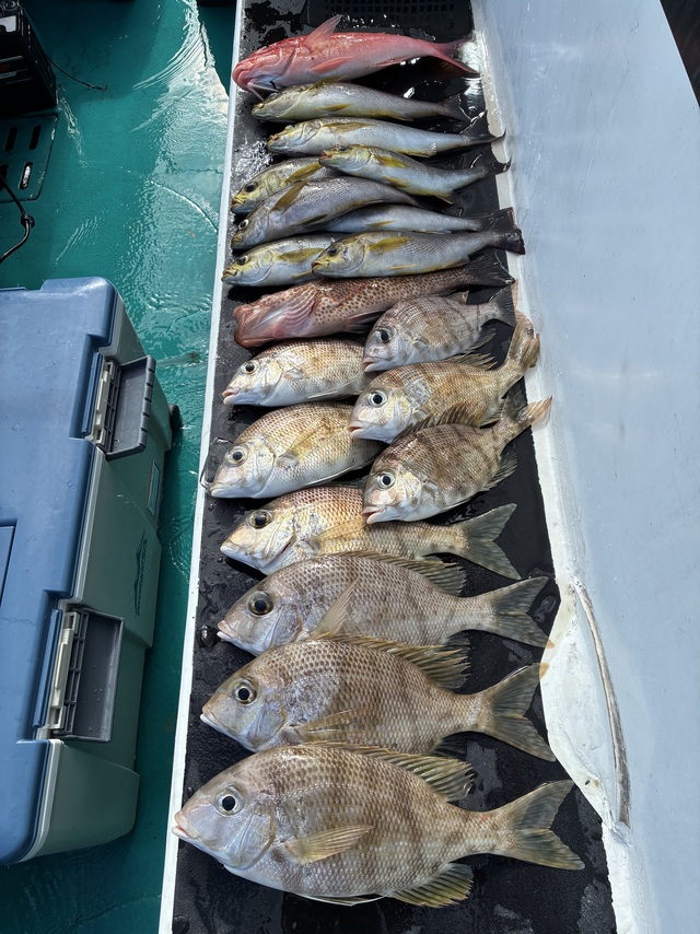
いなみ丸
和歌山県 日高郡印南町 印南港17日前釣行日:2026年1月18日(日)大潮オオモンハタ
マダイ 最大54cm マアジ メイチダイ ウスバ イラ 釣行当日の潮汐
200 0 -40 0:00 6:00 12:00 18:00 24:00釣行当日の気象
-
日の出
07:02
日の入
17:15
-
月の出
06:44
月の入
16:32
-
天気
晴れ
-
気温
15℃/3℃
-
気圧
1021.5hPa
-
風
北
3.4m/s -
波
南
0.2m/s -
水温
13.3℃
-
潮
大潮
-
月齢
29.1
-
BI
8.0
釣行当日の気象情報を表示 釣行当日の気象情報を隠す -
海迅丸
和歌山県 田辺市 湊浦漁港19日前釣行日:2026年1月16日(金)中潮オオモンハタ
シオ メジロ ハマチ 今日の落とし込みの釣果です、ええ感じ!
釣行当日の潮汐
200 0 -40 0:00 6:00 12:00 18:00 24:00釣行当日の気象
-
日の出
07:02
日の入
17:13
-
月の出
05:05
月の入
14:37
-
天気
晴れ
-
気温
18℃/4℃
-
気圧
1018.2hPa
-
風
北北西
3.2m/s -
波
南西
0.9m/s -
水温
19.1℃
-
潮
中潮
-
月齢
27.1
-
BI
7.9
釣行当日の気象情報を表示 釣行当日の気象情報を隠す -
清義丸
和歌山県 日高郡印南町 印南港20日前釣行日:2026年1月15日(木)中潮オオモンハタ
マアジ イサギ マダイ ヨコスジフエダイ オキアミ五目釣りに出船しました。週末天気良さそうです。日曜日は貸し切りの予約が入っているので、金曜日、土曜日乗り合い大募集中です。
釣行当日の潮汐
200 0 -40 0:00 6:00 12:00 18:00 24:00釣行当日の気象
-
日の出
07:03
日の入
17:12
-
月の出
04:10
月の入
13:47
-
天気
晴れ後時々曇り
-
気温
15℃/2℃
-
気圧
1022.4hPa
-
風
東
1.5m/s -
波
南西
0.2m/s -
水温
13.7℃
-
潮
中潮
-
月齢
26.1
-
BI
8.7
釣行当日の気象情報を表示 釣行当日の気象情報を隠す -
いなみ丸
和歌山県 日高郡印南町 印南港25日前釣行日:2026年1月10日(土)小潮オオモンハタ
マダイ 最大42cm マアジ メイチダイ ウスバ カワハギ ガシラ ヒラソーダ イラ タルミ 速い上り潮は止まって遅い下り潮でした。 いろいろ釣れましたが後半はなんも釣れませんでした。 潮流れてなかったのでエサ取り多かったです。
釣行当日の潮汐
200 0 -40 0:00 6:00 12:00 18:00 24:00釣行当日の気象
-
日の出
07:04
日の入
17:08
-
月の出
月の入
11:03
-
天気
晴れ後時々曇り
-
気温
16℃/3℃
-
気圧
1018.3hPa
-
風
南
2.7m/s -
波
南西
0.4m/s -
水温
14.5℃
-
潮
小潮
-
月齢
21.1
-
BI
9.7
釣行当日の気象情報を表示 釣行当日の気象情報を隠す -
海迅丸
和歌山県 田辺市 湊浦漁港25日前釣行日:2026年1月10日(土)小潮オオモンハタ
シオ ハマチ ヤイトガツオ 今年初釣りの釣果です。
釣行当日の潮汐
200 0 -40 0:00 6:00 12:00 18:00 24:00釣行当日の気象
-
日の出
07:02
日の入
17:07
-
月の出
月の入
11:02
-
天気
晴れ後時々曇り
-
気温
17℃/3℃
-
気圧
1018.7hPa
-
風
東南東
1.0m/s -
波
南西
0.4m/s -
水温
20.2℃
-
潮
小潮
-
月齢
21.1
-
BI
9.8
釣行当日の気象情報を表示 釣行当日の気象情報を隠す -
良栄丸
和歌山県 日高郡印南町 印南港26日前釣行日:2026年1月9日(金)中潮オオモンハタ
45cm 合計1匹 マアジ 27~44cm 5~5匹 オキアミ釣りに出船しました! 朝一からマアジのアタリありでしたが潮動かずで喰い渋かったです… 後半も移動しながら狙いましたがアタリ少なく難しい感じでしたがイサギにオオモンハタゲットでした! なんとかお土産に。 明日も出船します! ご予約受付中です。 気軽にお問い合わせ下さいm(__)m
釣行当日の潮汐
200 0 -40 0:00 6:00 12:00 18:00 24:00釣行当日の気象
-
日の出
07:04
日の入
17:07
-
月の出
23:19
月の入
10:38
-
天気
晴れ
-
気温
9℃/3℃
-
気圧
1024.1hPa
-
風
北
2.8m/s -
波
西北西
0.3m/s -
水温
14.6℃
-
潮
中潮
-
月齢
20.1
-
BI
9.6
釣行当日の気象情報を表示 釣行当日の気象情報を隠す -
いなみ丸
和歌山県 日高郡印南町 印南港28日前釣行日:2026年1月7日(水)中潮オオモンハタ
マダイ 年明けてからも上り潮とは聞いてましたが速かったです。 今日はマダイとオオモンハタでした。 タイらしきアタリでバレたの2回ありました。 潮速いのでエサ取りは少なかったです。
釣行当日の潮汐
200 0 -40 0:00 6:00 12:00 18:00 24:00釣行当日の気象
-
日の出
07:04
日の入
17:05
-
月の出
21:19
月の入
09:45
-
天気
晴れ
-
気温
12℃/3℃
-
気圧
1018.5hPa
-
風
北
2.3m/s -
波
南南東
0.2m/s -
水温
14.8℃
-
潮
中潮
-
月齢
18.1
-
BI
8.3
釣行当日の気象情報を表示 釣行当日の気象情報を隠す -
海虎
和歌山県 和歌山市 市堀川沿い31日前釣行日:2026年1月4日(日)大潮オオモンハタ
55cm 合計1匹 アオハタ 50cm 合計1匹 ブリ 90cm 合計1匹 チャーター便。 新年初出船。 道中ザブザブでしたが 気合い入れて行っちゃおう と言うことで南下しました。 波風で釣りにくかったですが 皆さん上手く合わせていただき あちらこちらでポロポロキャッチ。 感度の割に食い渋めでしたが 何やかんやとキャッチで来て良かったです。 本日は波風ある中お疲れ様でした。 またお待ちしております。 ありがとうございました!
釣行当日の潮汐
200 0 -40 0:00 6:00 12:00 18:00 24:00釣行当日の気象
-
日の出
07:06
日の入
17:03
-
月の出
17:52
月の入
07:53
-
天気
曇り時々晴れ
-
気温
11℃/5℃
-
気圧
1023.5hPa
-
風
西
4.0m/s -
波
西
0.2m/s -
水温
14.7℃
-
潮
大潮
-
月齢
15.1
-
BI
8.5
釣行当日の気象情報を表示 釣行当日の気象情報を隠す -
良栄丸
和歌山県 日高郡印南町 印南港36日前釣行日:2025年12月30日(火)若潮オオモンハタ
43cm 合計1匹 マアジ 34~45cm 0~7匹 メイチダイ 30~34cm 合計4匹 チダイ 27~35cm 合計5匹 オキアミ釣りに出船しました! 今日風と潮反対で自船の位置安定せず釣りにくい状況の中でしたが皆様頑張って釣ってくれました。 朝一はポロッと良型マアジ混じりで釣れて後半は移動しながらチダイにメイチダイ、オオモンハタにイサギなどゲットでした! 真鯛はチャリコだけでした。 明日31日。 オキアミ釣りに出船します! ご予約受付中です。 気軽にお問い合わせ下さいm(__)m
釣行当日の潮汐
200 0 -40 0:00 6:00 12:00 18:00 24:00釣行当日の気象
-
日の出
07:03
日の入
16:59
-
月の出
12:54
月の入
02:07
-
天気
晴れ時々曇り
-
気温
15℃/7℃
-
気圧
1019.7hPa
-
風
北北西
2.7m/s -
波
南西
0.3m/s -
水温
15.5℃
-
潮
若潮
-
月齢
10.1
-
BI
8.5
釣行当日の気象情報を表示 釣行当日の気象情報を隠す -
海迅丸
和歌山県 田辺市 湊浦漁港37日前釣行日:2025年12月29日(月)長潮オオモンハタ
カンパチ シオ ブリ メジロ ハマチ オオニベ ワニゴチ アカヤガラ 落とし込み今日はええ感じ。
釣行当日の潮汐
200 0 -40 0:00 6:00 12:00 18:00 24:00釣行当日の気象
-
日の出
07:01
日の入
16:58
-
月の出
12:19
月の入
00:57
-
天気
晴れ時々曇り
-
気温
15℃/3℃
-
気圧
1022.8hPa
-
風
北北東
1.5m/s -
波
南南東
0.2m/s -
水温
20.9℃
-
潮
長潮
-
月齢
9.1
-
BI
9.5
釣行当日の気象情報を表示 釣行当日の気象情報を隠す -
良栄丸
和歌山県 日高郡印南町 印南港37日前釣行日:2025年12月29日(月)長潮オオモンハタ
47cm 合計1匹 グレ 45cm 合計1匹 メイチダイ 30cm 合計1匹 マアジ 37~47cm 3~11匹 午後便オキアミ釣りに出船しました! 昨日、一昨日と午後便はゲキシブでしたが今日はポロポロとアタリありでした。 前半良型オオモンハタに良型グレ、チャリコにメイチダイに良型イサギ混じりでポロッと釣れました! 後半は良型マアジ混じりでポロポロと釣れて皆様お土産に! 30日も午後便オキアミ釣りに出船します! ご予約受付中です。 気軽にお問い合わせ下さいm(__)m
釣行当日の潮汐
200 0 -40 0:00 6:00 12:00 18:00 24:00釣行当日の気象
-
日の出
07:02
日の入
16:58
-
月の出
12:19
月の入
00:58
-
天気
晴れ後時々曇り
-
気温
14℃/3℃
-
気圧
1022.9hPa
-
風
北北東
1.0m/s -
波
南東
0.2m/s -
水温
15.5℃
-
潮
長潮
-
月齢
9.1
-
BI
9.5
釣行当日の気象情報を表示 釣行当日の気象情報を隠す -
いなみ丸
和歌山県 日高郡印南町 印南港38日前釣行日:2025年12月28日(日)小潮オオモンハタ
マダイ 最大65cm レンコダイ ヤイト サバ 今日も寒かったですが上り潮でした。 マダイ、レンコダイ、シマセトダイ、オオモンハタ、ヤイト、サバなどでした。 潮流れてるわりにアタリ少なかったです。
釣行当日の潮汐
200 0 -40 0:00 6:00 12:00 18:00 24:00釣行当日の気象
-
日の出
07:02
日の入
16:57
-
月の出
11:49
月の入
-
天気
晴れ
-
気温
11℃/4℃
-
気圧
1024.5hPa
-
風
北
3.8m/s -
波
西北西
0.3m/s -
水温
15.6℃
-
潮
小潮
-
月齢
8.1
-
BI
7.6
釣行当日の気象情報を表示 釣行当日の気象情報を隠す -
いなみ丸
和歌山県 日高郡印南町 印南港39日前釣行日:2025年12月27日(土)小潮オオモンハタ
メイチダイ クロホシフエダイ イラ チャリコ サバ 今日は最近で1番寒かったです。 風も吹いて波もちょっとありました。 潮はたいして流れてませんでした。
釣行当日の潮汐
200 0 -40 0:00 6:00 12:00 18:00 24:00釣行当日の気象
-
日の出
07:02
日の入
16:57
-
月の出
11:22
月の入
23:52
-
天気
曇り時々晴れ
-
気温
9℃/2℃
-
気圧
1023.4hPa
-
風
北西
4.7m/s -
波
西
0.5m/s -
水温
15.6℃
-
潮
小潮
-
月齢
7.1
-
BI
8.8
釣行当日の気象情報を表示 釣行当日の気象情報を隠す -
Taninomaru
和歌山県 御坊市 塩屋漁港41日前釣行日:2025年12月25日(木)中潮オオモンハタ
カンパチ ハマチ アカヤガラ 午前便。ジギング出船!!
釣行当日の潮汐
200 0 -40 0:00 6:00 12:00 18:00 24:00釣行当日の気象
-
日の出
07:01
日の入
16:56
-
月の出
10:28
月の入
21:47
-
天気
雨のち曇り
-
気温
14℃/6℃
-
気圧
1005.1hPa
-
風
北北西
1.6m/s -
波
南南東
0.8m/s -
水温
16.0℃
-
潮
中潮
-
月齢
5.1
-
BI
9.6
釣行当日の気象情報を表示 釣行当日の気象情報を隠す -
海迅丸
和歌山県 田辺市 湊浦漁港41日前釣行日:2025年12月25日(木)中潮オオモンハタ
シマアジ マダイ カンパチ タマミ コロダイ シマアジ五目からの落とし込み。
釣行当日の潮汐
200 0 -40 0:00 6:00 12:00 18:00 24:00釣行当日の気象
-
日の出
07:00
日の入
16:55
-
月の出
10:26
月の入
21:47
-
天気
雨のち曇り
-
気温
17℃/6℃
-
気圧
1005.0hPa
-
風
北北東
0.8m/s -
波
南
0.8m/s -
水温
21.0℃
-
潮
中潮
-
月齢
5.1
-
BI
9.6
釣行当日の気象情報を表示 釣行当日の気象情報を隠す
和歌山県の人気魚種の釣果情報
- 和歌山県×マダイ
- 和歌山県×ブリ
- 和歌山県×マアジ
- 和歌山県×アカアマダイ
- 和歌山県×カサゴ
- 和歌山県×ヒラメ
- 和歌山県×ゴマサバ
- 和歌山県×カワハギ
- 和歌山県×タチウオ
- 和歌山県×イサキ
- 和歌山県×ヒラマサ
- 和歌山県×サワラ
- 和歌山県×スズキ
- 和歌山県×メバル
- 和歌山県×キジハタ
- 和歌山県×オニカサゴ
- 和歌山県×カンパチ
- 和歌山県×マハタ
- 和歌山県×アオリイカ
- 和歌山県×アカムツ
- 和歌山県×クロダイ
- 和歌山県×チダイ
- 和歌山県×アオハタ
- 和歌山県×シロギス
- 和歌山県×アカハタ
- 和歌山県×ショウサイフグ
- 和歌山県×シロアマダイ
- 和歌山県×キンメダイ
- 和歌山県×マゴチ
- 和歌山県×キダイ
- 和歌山県×キハダ
- 和歌山県×スルメイカ
- 和歌山県×ホウボウ
- 和歌山県×メダイ
- 和歌山県×マダコ
- 和歌山県×イトヨリダイ
- 和歌山県×ケンサキイカ
- 和歌山県×シログチ
- 和歌山県×アラ
- 和歌山県×カイワリ
- 和歌山県×オオモンハタ
- 和歌山県×メジナ
- 和歌山県×チカメキントキ
- 和歌山県×ウスメバル
- 和歌山県×シイラ
- 和歌山県×ウマヅラハギ
- 和歌山県×シマアジ
- 和歌山県×ウッカリカサゴ
- 和歌山県×クログチ
- 和歌山県×アコウダイ
- 和歌山県×イシダイ
- 和歌山県×クエ
- 和歌山県×コウイカ
- 和歌山県×クロマグロ
- 和歌山県×マコガレイ
- 和歌山県×アカイサキ
- 和歌山県×メイチダイ
- 和歌山県×ロウニンアジ
- 和歌山県×アヤメカサゴ
- 和歌山県×マサバ
- 和歌山県×カミナリイカ
- 和歌山県×シロサバフグ
- 和歌山県×キチヌ
- 和歌山県×アカヤガラ
- 和歌山県×ヘダイ
- 和歌山県×コロダイ
- 和歌山県×ヒメコダイ
- 和歌山県×ヒラソウダ
- 和歌山県×オニオコゼ
- 和歌山県×マトウダイ
各都道府県の人気魚種の釣果情報
- 岩手県×スルメイカ
- 岩手県×マダラ
- 岩手県×マコガレイ
- 岩手県×ブリ
- 岩手県×ウスメバル
- 宮城県×ヒラメ
- 宮城県×マアジ
- 宮城県×アイナメ
- 宮城県×マコガレイ
- 宮城県×メバル
- 福島県×マダイ
- 福島県×ヒラメ
- 福島県×メバル
- 福島県×チダイ
- 福島県×アイナメ
- 茨城県×マダイ
- 茨城県×ヒラメ
- 茨城県×ブリ
- 茨城県×マダコ
- 茨城県×カサゴ
- 埼玉県×サワラ
- 埼玉県×タチウオ
- 埼玉県×マダイ
- 埼玉県×ブリ
- 埼玉県×ホウボウ
- 千葉県×マダイ
- 千葉県×ヒラメ
- 千葉県×マアジ
- 千葉県×イサキ
- 千葉県×カサゴ
- 東京都×マアジ
- 東京都×タチウオ
- 東京都×シロギス
- 東京都×マダコ
- 東京都×スズキ
- 神奈川県×マアジ
- 神奈川県×マダイ
- 神奈川県×タチウオ
- 神奈川県×アカアマダイ
- 神奈川県×ブリ
- 新潟県×マダイ
- 新潟県×マアジ
- 新潟県×ブリ
- 新潟県×ゴマサバ
- 新潟県×キダイ
- 富山県×アオリイカ
- 富山県×マダイ
- 富山県×カサゴ
- 富山県×キジハタ
- 富山県×アオハタ
- 石川県×ブリ
- 石川県×キジハタ
- 石川県×マダイ
- 石川県×マアジ
- 石川県×ウッカリカサゴ
- 福井県×ケンサキイカ
- 福井県×マダイ
- 福井県×アオリイカ
- 福井県×スルメイカ
- 福井県×マアジ
- 静岡県×マダイ
- 静岡県×マアジ
- 静岡県×イサキ
- 静岡県×タチウオ
- 静岡県×アカアマダイ
- 愛知県×ブリ
- 愛知県×マダイ
- 愛知県×タチウオ
- 愛知県×ヒラメ
- 愛知県×シロサバフグ
- 三重県×ブリ
- 三重県×マダイ
- 三重県×ヒラメ
- 三重県×カサゴ
- 三重県×サワラ
- 京都府×ケンサキイカ
- 京都府×ブリ
- 京都府×マダイ
- 京都府×スルメイカ
- 京都府×アオリイカ
- 大阪府×ブリ
- 大阪府×マダイ
- 大阪府×サワラ
- 大阪府×スズキ
- 大阪府×カサゴ
- 兵庫県×ブリ
- 兵庫県×マダイ
- 兵庫県×マダコ
- 兵庫県×サワラ
- 兵庫県×タチウオ
- 和歌山県×マダイ
- 和歌山県×ブリ
- 和歌山県×マアジ
- 和歌山県×イサキ
- 和歌山県×シロアマダイ
- 鳥取県×ケンサキイカ
- 鳥取県×アオリイカ
- 鳥取県×スルメイカ
- 鳥取県×アオハタ
- 鳥取県×カサゴ
- 島根県×ケンサキイカ
- 島根県×スルメイカ
- 島根県×ゴマサバ
- 島根県×マアジ
- 島根県×コウイカ
- 岡山県×スズキ
- 岡山県×マダイ
- 岡山県×ヒラメ
- 岡山県×クロダイ
- 岡山県×キジハタ
- 広島県×マダイ
- 広島県×ブリ
- 広島県×キジハタ
- 広島県×サワラ
- 広島県×シロギス
- 山口県×ケンサキイカ
- 山口県×アオリイカ
- 山口県×キジハタ
- 山口県×マダイ
- 山口県×ブリ
- 徳島県×ブリ
- 徳島県×マアジ
- 徳島県×カンパチ
- 徳島県×イサキ
- 徳島県×チダイ
- 香川県×マダイ
- 香川県×アオリイカ
- 香川県×シロギス
- 香川県×キジハタ
- 香川県×ヒラメ
- 愛媛県×マダイ
- 愛媛県×ブリ
- 愛媛県×キジハタ
- 愛媛県×タチウオ
- 愛媛県×サワラ
- 高知県×カンパチ
- 高知県×イサキ
- 高知県×マアジ
- 高知県×マダイ
- 高知県×チダイ
- 福岡県×マダイ
- 福岡県×ヤリイカ
- 福岡県×ケンサキイカ
- 福岡県×ヒラマサ
- 福岡県×ブリ
- 佐賀県×ヒラマサ
- 佐賀県×アカアマダイ
- 佐賀県×サワラ
- 佐賀県×マダイ
- 佐賀県×アオリイカ
- 長崎県×マダイ
- 長崎県×キジハタ
- 長崎県×オオモンハタ
- 長崎県×ブリ
- 長崎県×ヒラマサ
- 熊本県×マダイ
- 熊本県×キジハタ
- 熊本県×ヒラメ
- 熊本県×カサゴ
- 熊本県×タチウオ
- 鹿児島県×アカハタ
- 鹿児島県×カンパチ
- 鹿児島県×オオモンハタ
- 鹿児島県×マダイ
- 鹿児島県×ケンサキイカ
- 沖縄県×スジアラ
- 沖縄県×タカサゴ
- 沖縄県×キハダ
- 沖縄県×バラハタ
- 沖縄県×クエ












































今日は凪でさほど寒くなかったです。 今日は大きいので54センチでした。 朝一はなんも釣れませんでしたが後からボチボチ釣れました。 潮は流れてません。