-
NST LINE 力尚丸
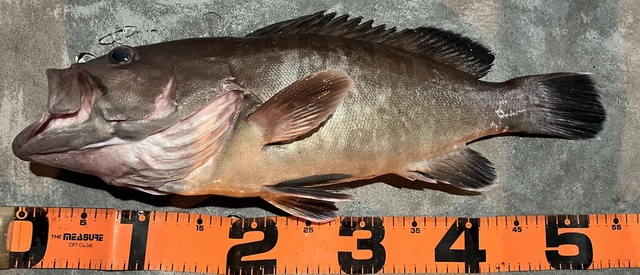
和歌山県 和歌山市 雑賀崎漁港18日前釣行日:2026年1月17日(土)大潮マトウダイ
ブリ メジロ サワラ オオニベ ヒラマサ アジ マダイ アヤメカサゴ クエ アカイサキ 釣行当日の潮汐
200 0 -40 0:00 6:00 12:00 18:00 24:00釣行当日の気象
-
日の出
07:04
日の入
17:15
-
月の出
06:00
月の入
15:32
-
天気
晴れ時々曇り
-
気温
16℃/4℃
-
気圧
1018.4hPa
-
風
北北東
0.8m/s -
波
南西
0.2m/s -
水温
13.3℃
-
潮
大潮
-
月齢
28.1
-
BI
8.1
釣行当日の気象情報を表示 釣行当日の気象情報を隠す -
NST LINE 力尚丸
和歌山県 和歌山市 雑賀崎漁港37日前釣行日:2025年12月29日(月)長潮マトウダイ
ヒラメ ハマチ メジロ マハタ ホウキハタ ミノカサゴ 本日は何でもコースでした。朝からポロポロ食いました。昼から底物狙いでした。本日のお客様今年はありがとうございました。良いお年をお迎えください。
釣行当日の潮汐
200 0 -40 0:00 6:00 12:00 18:00 24:00釣行当日の気象
-
日の出
07:04
日の入
16:59
-
月の出
12:20
月の入
00:59
-
天気
晴れ後時々曇り
-
気温
14℃/3℃
-
気圧
1023.0hPa
-
風
東
0.5m/s -
波
南西
0.2m/s -
水温
15.5℃
-
潮
長潮
-
月齢
9.1
-
BI
9.5
釣行当日の気象情報を表示 釣行当日の気象情報を隠す -
NST LINE 力尚丸
和歌山県 和歌山市 雑賀崎漁港66日前釣行日:2025年11月30日(日)若潮マトウダイ
カサゴ ヨコスジフエダイ サワラ カイワリ マダイ ブリ カンパチ 本日は何でもコースでした。朝からまったりして昼からもまったりでした。本日のお客様頑張って頂き誠に有難うございます。今日釣れてくれた魚達ありがとう。
釣行当日の潮汐
200 0 -40 0:00 6:00 12:00 18:00 24:00釣行当日の気象
-
日の出
06:46
日の入
16:50
-
月の出
13:21
月の入
00:59
-
天気
晴れ後時々曇り
-
気温
18℃/8℃
-
気圧
1021.5hPa
-
風
東北東
1.0m/s -
波
南南西
0.2m/s -
水温
19.5℃
-
潮
若潮
-
月齢
9.8
-
BI
8.5
釣行当日の気象情報を表示 釣行当日の気象情報を隠す -
供進丸
和歌山県 日高郡美浜町 美浜港127日前釣行日:2025年9月30日(火)小潮マトウダイ
カンパチ メジロ アカヤガラ 風向:北。 動かず~上り潮。 落とし込みに出船。10月4日土曜日も落とし込みに出船します。他の日も数名あつまれば出船します。ご予約お待ちしております。
釣行当日の潮汐
200 0 -40 0:00 6:00 12:00 18:00 24:00釣行当日の気象
-
日の出
05:52
日の入
17:44
-
月の出
13:28
月の入
23:03
-
天気
晴れ時々曇り
-
気温
28℃/21℃
-
気圧
1012.5hPa
-
風
北
4.1m/s -
波
南南西
0.5m/s -
水温
25.4℃
-
潮
小潮
-
月齢
8.3
-
BI
6.3
釣行当日の気象情報を表示 釣行当日の気象情報を隠す -
清義丸
和歌山県 日高郡印南町 印南港129日前釣行日:2025年9月28日(日)小潮マトウダイ
竿頭3匹 マハタ 竿頭3匹 ホウキハタ イヤゴハタ アカヤガラ 竿頭7匹 ツバス 竿頭8匹 今日も落とし込み釣りに出船しました。
釣行当日の潮汐
200 0 -40 0:00 6:00 12:00 18:00 24:00釣行当日の気象
-
日の出
05:50
日の入
17:47
-
月の出
11:42
月の入
21:14
-
天気
曇りのち一時雨
-
気温
31℃/21℃
-
気圧
1015.2hPa
-
風
南東
2.6m/s -
波
南
0.3m/s -
水温
25.9℃
-
潮
小潮
-
月齢
6.3
-
BI
7.9
釣行当日の気象情報を表示 釣行当日の気象情報を隠す -
清義丸
和歌山県 日高郡印南町 印南港130日前釣行日:2025年9月27日(土)中潮マトウダイ
オオモンハタ アカヤガラ メジロ トビハタ アカハタ 落とし込み釣りに出船しました。
釣行当日の潮汐
200 0 -40 0:00 6:00 12:00 18:00 24:00釣行当日の気象
-
日の出
05:50
日の入
17:48
-
月の出
10:44
月の入
20:30
-
天気
晴れ時々曇り
-
気温
29℃/21℃
-
気圧
1017.2hPa
-
風
北
5.0m/s -
波
南
0.4m/s -
水温
25.9℃
-
潮
中潮
-
月齢
5.3
-
BI
9.5
釣行当日の気象情報を表示 釣行当日の気象情報を隠す -
海虎
和歌山県 和歌山市 市堀川沿い140日前釣行日:2025年9月17日(水)若潮マトウダイ
42~44cm 合計2匹 サワラ 80~100cm 合計3匹 アオハタ 40~45cm 合計2匹 キジハタ 42cm 合計1匹 ホウボウ 45~50cm 合計5匹 メジロ 60cm 合計1匹 マダイ 40~50cm 合計3匹 アジ 30~45cm 合計12匹 マサバ 40~45cm 合計30匹 レンコダイ 30~45cm 合計6匹 遠征便でした。 豪華メンバーでワイワイと 楽しんで頂きました! 出船前から飲み会始まり、、、笑 到着すぐバタバタヒットあり すぐ止まり、、、 あちらこちらを転々と拾い釣り。 途中マグロのボイルもあり ヒットもありましたが 惜しくもラインブレイクでしたが 大盛り上がり! その後も拾い釣りしながら 走ってるとミニボイルに なーーんか良い反応、、、 まさかの良型アジサバ入れ食い! 釣り分けされてる方も居ましたね! 猛暑でしたが皆さん最後まで しゃくり倒して魚種豊富に 色々キャッチできて良かったです! 遠征便楽しめてます! ぜひご予約お待ちしております! 本日はありがとうございました! またお待ちしております!
釣行当日の潮汐
200 0 -40 0:00 6:00 12:00 18:00 24:00釣行当日の気象
-
日の出
05:43
日の入
18:04
-
月の出
00:40
月の入
15:38
-
天気
晴れ後時々曇り
-
気温
33℃/26℃
-
気圧
1013.7hPa
-
風
南南西
1.8m/s -
波
南南西
0.2m/s -
水温
27.8℃
-
潮
若潮
-
月齢
24.9
-
BI
7.5
釣行当日の気象情報を表示 釣行当日の気象情報を隠す -
NST LINE 力尚丸
和歌山県 和歌山市 雑賀崎漁港143日前釣行日:2025年9月14日(日)小潮マトウダイ
マハタ マダイ ホウボウ サワラ アジ ガシラ サバ シイラ 本日は何でもコースでした。朝は食い渋く大苦戦でした。昼からポロポロ食いました。本日のお客様頑張って頂き誠に有難うございますジグマハタは軽く60オーバーでした。ジグ真鯛もサイズ良かったです。その他、鯖沢山シイラリリースカンパチらしいバラシなどなどでした。今日釣れてくれた魚達ありがとう。 和歌山市雑賀崎から出船しています。底物、青物、太刀魚、アマダイ、ジグ&餌&アンダーベイトしてます。釣り即様、釣割様、検索は力尚丸で検索して下さい。08061236375船長まで。
釣行当日の潮汐
200 0 -40 0:00 6:00 12:00 18:00 24:00釣行当日の気象
-
日の出
05:41
日の入
18:08
-
月の出
22:30
月の入
12:56
-
天気
曇り時々晴れ
-
気温
34℃/26℃
-
気圧
1012.7hPa
-
風
南南西
2.1m/s -
波
南西
0.4m/s -
水温
27.3℃
-
潮
小潮
-
月齢
21.9
-
BI
6.3
釣行当日の気象情報を表示 釣行当日の気象情報を隠す -
NST LINE 力尚丸
和歌山県 和歌山市 雑賀崎漁港156日前釣行日:2025年9月1日(月)長潮マトウダイ
マハタ マダイ ホウボウ ブリ アカイサキ オオスジハタ 本日は調査&ポイント探しに行きました。以前から気になってるポイントではマハタなどなど、カンパチは無かったですが、気配出て来ました。美味し魚達ありがとう。
釣行当日の潮汐
200 0 -40 0:00 6:00 12:00 18:00 24:00釣行当日の気象
-
日の出
05:32
日の入
18:26
-
月の出
13:55
月の入
23:22
-
天気
晴れ
-
気温
35℃/27℃
-
気圧
1012.4hPa
-
風
南
3.8m/s -
波
南南西
0.2m/s -
水温
29.0℃
-
潮
長潮
-
月齢
8.9
-
BI
7.5
釣行当日の気象情報を表示 釣行当日の気象情報を隠す -
海虎
和歌山県 和歌山市 市堀川沿い157日前釣行日:2025年8月31日(日)小潮マトウダイ
45~48cm 合計2匹 ホウキハタ 45~55cm 合計2匹 ブリ 80~90cm 合計4匹 遠征便でした。 ベイトはたっぷりでしたが 潮なし、風なし大苦戦でした。 時合いは連発ありましたが 後半失速、、、、。 良い日悪い日、ムラはありますが 楽しめてます! 本日はありがとうございました! またお待ちしております!
釣行当日の潮汐
200 0 -40 0:00 6:00 12:00 18:00 24:00釣行当日の気象
-
日の出
05:32
日の入
18:27
-
月の出
12:57
月の入
22:34
-
天気
晴れ時々曇り
-
気温
36℃/27℃
-
気圧
1014.1hPa
-
風
西南西
0.4m/s -
波
南南西
0.2m/s -
水温
28.9℃
-
潮
小潮
-
月齢
7.9
-
BI
6.3
釣行当日の気象情報を表示 釣行当日の気象情報を隠す -
NST LINE 力尚丸
和歌山県 和歌山市 雑賀崎漁港158日前釣行日:2025年8月30日(土)小潮マトウダイ
アヤメ ガシラ ホウキハタ シイラ ブリ 本日は何でもコースでした。朝からあやめ、ガシラなどでした。昼過ぎからポロポロ食いました。本日のお客様頑張って頂き誠に有難うございます。今日釣れてくれた魚達ありがとう。久しぶりに良型のホウキハタでした。
釣行当日の潮汐
200 0 -40 0:00 6:00 12:00 18:00 24:00釣行当日の気象
-
日の出
05:31
日の入
18:28
-
月の出
11:58
月の入
21:53
-
天気
晴れ時々曇り
-
気温
35℃/27℃
-
気圧
1016.3hPa
-
風
西北西
1.2m/s -
波
南南西
0.2m/s -
水温
28.8℃
-
潮
小潮
-
月齢
6.9
-
BI
6.3
釣行当日の気象情報を表示 釣行当日の気象情報を隠す -
海虎
和歌山県 和歌山市 市堀川沿い169日前釣行日:2025年8月19日(火)若潮マトウダイ
40cm 合計1匹 マハタ 45cm 合計1匹 ブリ 85cm 合計1匹 ウッカリカサゴ 30~40cm 合計4匹 レンコダイ 35~45cm 合計6匹 マダイ 50cm 合計1匹 アヤメカサゴ 25~30cm 合計4匹 ホウボウ 40~42cm 合計2匹 遠征便でした。 潮なし、風なし、船流れず おまけに強烈な2枚潮。。。 ベイト多かったですが なかなか活性上がらず 苦戦しましたが 皆さん上手く釣り上げて頂き 魚種豊富にキャッチでした。 暑い中お疲れ様でした! 本日はありがとうございました! またお待ちしております!
釣行当日の潮汐
200 0 -40 0:00 6:00 12:00 18:00 24:00釣行当日の気象
-
日の出
05:23
日の入
18:43
-
月の出
00:35
月の入
16:04
-
天気
晴れ時々曇り
-
気温
34℃/27℃
-
気圧
1015.3hPa
-
風
南西
1.2m/s -
波
南南西
0.2m/s -
水温
28.5℃
-
潮
若潮
-
月齢
25.3
-
BI
7.5
釣行当日の気象情報を表示 釣行当日の気象情報を隠す -
遊漁船拓丸
和歌山県 和歌山市 市堀川沿い179日前釣行日:2025年8月9日(土)大潮マトウダイ
マダイ ハナダイ ブリ ハマチ カサゴ 大潮です。ジギング・タイラバ・ワインド便。
釣行当日の潮汐
400 0 -80 0:00 6:00 12:00 18:00 24:00釣行当日の気象
-
日の出
05:16
日の入
18:54
-
月の出
19:04
月の入
04:43
-
天気
曇りのち一時雨
-
気温
32℃/27℃
-
気圧
1007.3hPa
-
風
北東
1.6m/s -
波
南南西
0.2m/s -
水温
28.1℃
-
潮
大潮
-
月齢
15.3
-
BI
8.5
釣行当日の気象情報を表示 釣行当日の気象情報を隠す -
海虎
和歌山県 和歌山市 市堀川沿い207日前釣行日:2025年7月12日(土)中潮マトウダイ
40cm 合計1匹 サワラ 110cm 合計1匹 マダイ 45~55cm 合計3匹 レンコダイ 30~40cm 合計6匹 アオハタ 40cm 合計1匹 オオモンハタ 42cm 合計1匹 遠征便でした。 強烈な2枚潮、3枚潮に 悩まされました。 フックアウト連発でしたが 皆さん上手く合わせて頂き 魚種豊富に色々キャッチでした! サワラの回遊多めでした。 カッターも多く当たりも多く 楽しんで頂けました! 本日はありがとうございました! またお待ちしております!
釣行当日の潮汐
200 0 -40 0:00 6:00 12:00 18:00 24:00釣行当日の気象
-
日の出
04:56
日の入
19:13
-
月の出
20:31
月の入
05:50
-
天気
曇り時々晴れ
-
気温
33℃/27℃
-
気圧
1010.3hPa
-
風
北北東
1.9m/s -
波
南南西
0.2m/s -
水温
27.9℃
-
潮
中潮
-
月齢
16.7
-
BI
8.0
釣行当日の気象情報を表示 釣行当日の気象情報を隠す -
海虎
和歌山県 和歌山市 市堀川沿い211日前釣行日:2025年7月8日(火)大潮マトウダイ
40cm 合計1匹 マハタ 55cm 合計1匹 アオハタ 37~47cm 合計4匹 レンコダイ 30~40cm 合計9匹 マダイ 50cm 合計1匹 ウッカリカサゴ 35~40cm 合計3匹 カイワリ 30cm 合計1匹 7/8 遠征便でした。 転々とポイント周り 各ポイントにて美味しいやつゲット! ちょっと気になってたところ 回ったり色々釣れてくれて 良かったです! ニュータックル鱗付けして頂けて 良かったです! 遠征激アツです! 良いの釣れてます! ぜひご予約お待ちしております! 本日はありがとうございました! またお待ちしております!
釣行当日の潮汐
200 0 -40 0:00 6:00 12:00 18:00 24:00釣行当日の気象
-
日の出
04:54
日の入
19:15
-
月の出
17:20
月の入
02:03
-
天気
曇り時々晴れ
-
気温
33℃/27℃
-
気圧
1007.7hPa
-
風
北
0.6m/s -
波
南南西
0.2m/s -
水温
27.9℃
-
潮
大潮
-
月齢
12.7
-
BI
8.1
釣行当日の気象情報を表示 釣行当日の気象情報を隠す
和歌山県の人気魚種の釣果情報
- 和歌山県×マダイ
- 和歌山県×ブリ
- 和歌山県×マアジ
- 和歌山県×アカアマダイ
- 和歌山県×カサゴ
- 和歌山県×ヒラメ
- 和歌山県×ゴマサバ
- 和歌山県×カワハギ
- 和歌山県×タチウオ
- 和歌山県×イサキ
- 和歌山県×ヒラマサ
- 和歌山県×サワラ
- 和歌山県×スズキ
- 和歌山県×メバル
- 和歌山県×キジハタ
- 和歌山県×オニカサゴ
- 和歌山県×カンパチ
- 和歌山県×マハタ
- 和歌山県×アオリイカ
- 和歌山県×アカムツ
- 和歌山県×クロダイ
- 和歌山県×チダイ
- 和歌山県×アオハタ
- 和歌山県×シロギス
- 和歌山県×アカハタ
- 和歌山県×ショウサイフグ
- 和歌山県×シロアマダイ
- 和歌山県×キンメダイ
- 和歌山県×マゴチ
- 和歌山県×キダイ
- 和歌山県×キハダ
- 和歌山県×スルメイカ
- 和歌山県×ホウボウ
- 和歌山県×メダイ
- 和歌山県×マダコ
- 和歌山県×イトヨリダイ
- 和歌山県×ケンサキイカ
- 和歌山県×シログチ
- 和歌山県×アラ
- 和歌山県×カイワリ
- 和歌山県×オオモンハタ
- 和歌山県×メジナ
- 和歌山県×チカメキントキ
- 和歌山県×ウスメバル
- 和歌山県×シイラ
- 和歌山県×ウマヅラハギ
- 和歌山県×シマアジ
- 和歌山県×ウッカリカサゴ
- 和歌山県×クログチ
- 和歌山県×アコウダイ
- 和歌山県×イシダイ
- 和歌山県×クエ
- 和歌山県×コウイカ
- 和歌山県×クロマグロ
- 和歌山県×マコガレイ
- 和歌山県×アカイサキ
- 和歌山県×メイチダイ
- 和歌山県×ロウニンアジ
- 和歌山県×アヤメカサゴ
- 和歌山県×マサバ
- 和歌山県×カミナリイカ
- 和歌山県×シロサバフグ
- 和歌山県×キチヌ
- 和歌山県×アカヤガラ
- 和歌山県×ヘダイ
- 和歌山県×コロダイ
- 和歌山県×ヒメコダイ
- 和歌山県×ヒラソウダ
- 和歌山県×オニオコゼ
- 和歌山県×マトウダイ
各都道府県の人気魚種の釣果情報
- 岩手県×スルメイカ
- 岩手県×マダラ
- 岩手県×マコガレイ
- 岩手県×ブリ
- 岩手県×ウスメバル
- 宮城県×ヒラメ
- 宮城県×マアジ
- 宮城県×アイナメ
- 宮城県×マコガレイ
- 宮城県×メバル
- 福島県×マダイ
- 福島県×ヒラメ
- 福島県×メバル
- 福島県×チダイ
- 福島県×アイナメ
- 茨城県×マダイ
- 茨城県×ヒラメ
- 茨城県×ブリ
- 茨城県×マダコ
- 茨城県×カサゴ
- 埼玉県×サワラ
- 埼玉県×タチウオ
- 埼玉県×マダイ
- 埼玉県×ブリ
- 埼玉県×ホウボウ
- 千葉県×マダイ
- 千葉県×ヒラメ
- 千葉県×マアジ
- 千葉県×イサキ
- 千葉県×カサゴ
- 東京都×マアジ
- 東京都×タチウオ
- 東京都×シロギス
- 東京都×マダコ
- 東京都×スズキ
- 神奈川県×マアジ
- 神奈川県×マダイ
- 神奈川県×タチウオ
- 神奈川県×アカアマダイ
- 神奈川県×ブリ
- 新潟県×マダイ
- 新潟県×マアジ
- 新潟県×ブリ
- 新潟県×ゴマサバ
- 新潟県×キダイ
- 富山県×アオリイカ
- 富山県×マダイ
- 富山県×カサゴ
- 富山県×キジハタ
- 富山県×アオハタ
- 石川県×ブリ
- 石川県×キジハタ
- 石川県×マダイ
- 石川県×マアジ
- 石川県×ウッカリカサゴ
- 福井県×ケンサキイカ
- 福井県×マダイ
- 福井県×アオリイカ
- 福井県×スルメイカ
- 福井県×マアジ
- 静岡県×マダイ
- 静岡県×マアジ
- 静岡県×イサキ
- 静岡県×タチウオ
- 静岡県×アカアマダイ
- 愛知県×ブリ
- 愛知県×マダイ
- 愛知県×タチウオ
- 愛知県×ヒラメ
- 愛知県×シロサバフグ
- 三重県×ブリ
- 三重県×マダイ
- 三重県×ヒラメ
- 三重県×カサゴ
- 三重県×サワラ
- 京都府×ケンサキイカ
- 京都府×ブリ
- 京都府×マダイ
- 京都府×スルメイカ
- 京都府×アオリイカ
- 大阪府×ブリ
- 大阪府×マダイ
- 大阪府×サワラ
- 大阪府×スズキ
- 大阪府×カサゴ
- 兵庫県×ブリ
- 兵庫県×マダイ
- 兵庫県×マダコ
- 兵庫県×サワラ
- 兵庫県×タチウオ
- 和歌山県×マダイ
- 和歌山県×ブリ
- 和歌山県×マアジ
- 和歌山県×イサキ
- 和歌山県×シロアマダイ
- 鳥取県×ケンサキイカ
- 鳥取県×アオリイカ
- 鳥取県×スルメイカ
- 鳥取県×アオハタ
- 鳥取県×カサゴ
- 島根県×ケンサキイカ
- 島根県×スルメイカ
- 島根県×ゴマサバ
- 島根県×マアジ
- 島根県×コウイカ
- 岡山県×スズキ
- 岡山県×マダイ
- 岡山県×ヒラメ
- 岡山県×クロダイ
- 岡山県×キジハタ
- 広島県×マダイ
- 広島県×ブリ
- 広島県×キジハタ
- 広島県×サワラ
- 広島県×シロギス
- 山口県×ケンサキイカ
- 山口県×アオリイカ
- 山口県×キジハタ
- 山口県×マダイ
- 山口県×ブリ
- 徳島県×ブリ
- 徳島県×マアジ
- 徳島県×カンパチ
- 徳島県×イサキ
- 徳島県×チダイ
- 香川県×マダイ
- 香川県×アオリイカ
- 香川県×シロギス
- 香川県×キジハタ
- 香川県×ヒラメ
- 愛媛県×マダイ
- 愛媛県×ブリ
- 愛媛県×キジハタ
- 愛媛県×タチウオ
- 愛媛県×サワラ
- 高知県×カンパチ
- 高知県×イサキ
- 高知県×マアジ
- 高知県×マダイ
- 高知県×チダイ
- 福岡県×マダイ
- 福岡県×ヤリイカ
- 福岡県×ケンサキイカ
- 福岡県×ヒラマサ
- 福岡県×ブリ
- 佐賀県×ヒラマサ
- 佐賀県×アカアマダイ
- 佐賀県×サワラ
- 佐賀県×マダイ
- 佐賀県×アオリイカ
- 長崎県×マダイ
- 長崎県×キジハタ
- 長崎県×オオモンハタ
- 長崎県×ブリ
- 長崎県×ヒラマサ
- 熊本県×マダイ
- 熊本県×キジハタ
- 熊本県×ヒラメ
- 熊本県×カサゴ
- 熊本県×タチウオ
- 鹿児島県×アカハタ
- 鹿児島県×カンパチ
- 鹿児島県×オオモンハタ
- 鹿児島県×マダイ
- 鹿児島県×ケンサキイカ
- 沖縄県×スジアラ
- 沖縄県×タカサゴ
- 沖縄県×キハダ
- 沖縄県×バラハタ
- 沖縄県×クエ










































本日は何でもコースでした。底物は渋く大苦戦でしたが、鰤、メジロは沢山釣れました。リリース沢山オオニベも沢山リリースでした。本日のお客様頑張って頂き誠に有難うございました。今日釣れてくれた魚達ありがとう。