-
第十朝日丸
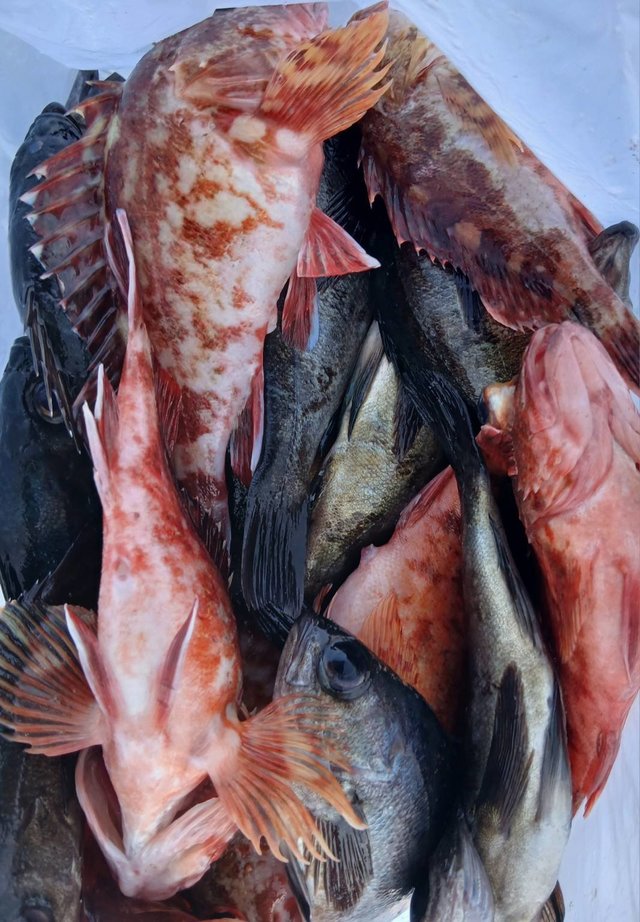
鳥取県 境港市 境港潮見港43日前釣行日:2025年10月25日(土)中潮メバル
サワラ アオハタ レンコ ウッカリカサゴ アマダイ 釣行当日の潮汐
50 0 -10 0:00 6:00 12:00 18:00 24:00釣行当日の気象
-
日の出
06:21
日の入
17:19
-
月の出
09:48
月の入
19:13
-
天気
曇りのち一時雨
-
気温
23℃/12℃
-
気圧
1022.4hPa
-
風
東
5.2m/s -
波
北東
1.2m/s -
水温
22.4℃
-
潮
中潮
-
月齢
3.6
-
BI
9.5
釣行当日の気象情報を表示 釣行当日の気象情報を隠す -
海正丸
広島県 尾道市 新浜港112日前釣行日:2025年8月17日(日)小潮メバル
マダイ イネゴチ キジハタ ⑤リベルタス。 港を出て浅瀬で練習。あちこち移動しながらポツリポツリ…と楽しんで頂きました。 お母さんとお子さんがリードして、乗船前の宣言通りお子さんが見事に竿頭に。 またのご乗船お待ちしております。
釣行当日の潮汐
400 0 -80 0:00 6:00 12:00 18:00 24:00釣行当日の気象
-
日の出
05:29
日の入
18:53
-
月の出
23:44
月の入
14:03
-
天気
晴れ時々曇り
-
気温
35℃/26℃
-
気圧
1015.9hPa
-
風
西南西
3.0m/s -
波
西南西
0.2m/s -
水温
29.4℃
-
潮
小潮
-
月齢
23.3
-
BI
8.7
釣行当日の気象情報を表示 釣行当日の気象情報を隠す -
遊漁船ニライカナイ
愛媛県 松山市 三津浜港122日前釣行日:2025年8月7日(木)大潮メバル
マダイ 竿頭9匹 ホウボウ アコウ ハマチ サワラ オオニベ ホゴ 本日は海遊さん&釣具のフレンドさんの勉強会。 鯛釣った事ない女子も海遊、林代表のサポートで無事鯛GET。 当然全員安打。 いつもより、早めに切り上げ、鯛は全体で29枚でした。
釣行当日の潮汐
400 0 -80 0:00 6:00 12:00 18:00 24:00釣行当日の気象
-
日の出
05:25
日の入
19:05
-
月の出
17:56
月の入
02:43
-
天気
曇り
-
気温
32℃/27℃
-
気圧
1003.3hPa
-
風
南西
8.3m/s -
波
西南西
0.5m/s -
水温
26.3℃
-
潮
大潮
-
月齢
13.3
-
BI
8.8
釣行当日の気象情報を表示 釣行当日の気象情報を隠す -
ZEELⅡ
広島県 福山市 大門港140日前釣行日:2025年7月20日(日)若潮メバル
イサキ イサキも喰わんくなったし水温も上昇してきたんで・・まだ喰いそうだけど一旦終了(涙)本当に味がいいのはこれからだけど・・当船はよー釣らせません(涙)10や20なら釣らすけど(笑)この時期のメバルは脂が乗って旨い!!みんなうまい時期を知らない・・・・(笑)脂の乗らない冬に寒い思いをして(笑)(笑)この時期のメバルの味を一生知らずに釣りをするんだろうなぁ~という話をしながら・・・爆釣れるから釣るんじゃなく・・・食べて旨い魚を釣るを全力サポート(笑)これすると・・・儲からんのよなぁ~(汗)
釣行当日の潮汐
400 0 -80 0:00 6:00 12:00 18:00 24:00釣行当日の気象
-
日の出
05:08
日の入
19:17
-
月の出
00:13
月の入
15:00
-
天気
晴れ時々曇り
-
気温
34℃/25℃
-
気圧
1016.1hPa
-
風
東
1.6m/s -
波
東南東
0.2m/s -
水温
25.6℃
-
潮
若潮
-
月齢
24.7
-
BI
7.5
釣行当日の気象情報を表示 釣行当日の気象情報を隠す -
ZEELⅡ
広島県 福山市 大門港155日前釣行日:2025年7月5日(土)若潮メバル
ポツポツからの・・最後はラッシュ!!本日も楽しめました!
釣行当日の潮汐
400 0 -80 0:00 6:00 12:00 18:00 24:00釣行当日の気象
-
日の出
04:59
日の入
19:23
-
月の出
14:30
月の入
00:28
-
天気
晴れ
-
気温
35℃/25℃
-
気圧
1007.8hPa
-
風
南西
2.1m/s -
波
南西
0.2m/s -
水温
25.5℃
-
潮
若潮
-
月齢
9.7
-
BI
7.5
釣行当日の気象情報を表示 釣行当日の気象情報を隠す -
OZ Fishing Club
愛媛県 松山市 北条港155日前釣行日:2025年7月5日(土)若潮メバル
マダイ 最大52cm カサゴ 本日はOさんグループチャーター。 鯛狙いで出船しました。 ポイント着いて反応マズマズ。 なかなか中らない。 見てみると何人かサビキ釣りしてる。 それならと漁樵付近を流してみるとメバルが! なかなか良型。 潮のタイミングで鯛へ52cm! 後40までを追加してまた五目釣り。 持込で料理してもらうみたいで。 美味しい料理食べてください。
釣行当日の潮汐
400 0 -80 0:00 6:00 12:00 18:00 24:00釣行当日の気象
-
日の出
05:02
日の入
19:24
-
月の出
14:31
月の入
00:31
-
天気
晴れ
-
気温
34℃/25℃
-
気圧
1008.5hPa
-
風
南西
2.8m/s -
波
南西
0.2m/s -
水温
24.3℃
-
潮
若潮
-
月齢
9.7
-
BI
7.9
釣行当日の気象情報を表示 釣行当日の気象情報を隠す -
ZEELⅡ
広島県 福山市 大門港169日前釣行日:2025年6月21日(土)若潮メバル
今年の梅雨メバルは最高で~す!!大型狙って・・・・OK!数釣り・・・無限に釣れるので・・・強制移動!!(笑)
釣行当日の潮汐
400 0 -80 0:00 6:00 12:00 18:00 24:00釣行当日の気象
-
日の出
04:54
日の入
19:23
-
月の出
01:03
月の入
14:46
-
天気
曇り
-
気温
32℃/24℃
-
気圧
1011.4hPa
-
風
南東
1.4m/s -
波
南南東
0.2m/s -
水温
22.6℃
-
潮
若潮
-
月齢
25.0
-
BI
7.8
釣行当日の気象情報を表示 釣行当日の気象情報を隠す -
トリトン
鳥取県 鳥取市 鳥取マリーナ176日前釣行日:2025年6月14日(土)中潮オキメバル
(ウスメバル)合計1匹 カサゴ 合計13匹 アコウ 合計2匹 アオハタ 合計2匹 ソイ 合計2匹 チカメキントキ 合計1匹 ネギング。 港は南風が強かったので西へ向かいました。風無し波無しで釣りやすい状況で魚の反応も良かったです。昼前に風が 強くなり撤収しました。
釣行当日の潮汐
50 0 -10 0:00 6:00 12:00 18:00 24:00釣行当日の気象
-
日の出
04:46
日の入
19:19
-
月の出
22:01
月の入
06:54
-
天気
雨
-
気温
26℃/22℃
-
気圧
1008.5hPa
-
風
南
5.6m/s -
波
北北東
0.2m/s -
水温
20.9℃
-
潮
中潮
-
月齢
18.0
-
BI
9.0
釣行当日の気象情報を表示 釣行当日の気象情報を隠す -
ZEELⅡ
広島県 福山市 大門港183日前釣行日:2025年6月7日(土)中潮メバル
デカメバル!!高活性!狙い通り(笑)皆さん上機嫌(喜)なんだかんだ楽しめました。
釣行当日の潮汐
400 0 -80 0:00 6:00 12:00 18:00 24:00釣行当日の気象
-
日の出
04:53
日の入
19:17
-
月の出
15:41
月の入
02:00
-
天気
曇り時々晴れ
-
気温
29℃/18℃
-
気圧
1012.5hPa
-
風
南東
1.0m/s -
波
南南東
0.2m/s -
水温
19.3℃
-
潮
中潮
-
月齢
11.0
-
BI
8.5
釣行当日の気象情報を表示 釣行当日の気象情報を隠す -
内浜丸
岡山県 倉敷市 元浜港190日前釣行日:2025年5月31日(土)中潮メバル
23~27cm 3~4匹 チャリコ 20~30cm 2~8匹 朝はポツポツ型良し後は、チャリコでした。
釣行当日の潮汐
400 0 -80 0:00 6:00 12:00 18:00 24:00釣行当日の気象
-
日の出
04:53
日の入
19:10
-
月の出
08:40
月の入
23:21
-
天気
晴れ後時々曇り
-
気温
27℃/15℃
-
気圧
1007.6hPa
-
風
西北西
3.2m/s -
波
西北西
0.2m/s -
水温
18.2℃
-
潮
中潮
-
月齢
4.0
-
BI
8.9
釣行当日の気象情報を表示 釣行当日の気象情報を隠す -
OZ Fishing Club
愛媛県 松山市 北条港211日前釣行日:2025年5月10日(土)中潮メバル
マダイ 合計10匹 マハタ 合計2匹 ヤズ 本日は風強い予報だったのでまたシーネットと合同。 メバルもやりたいという事でメバルから なかなか中らん。 強い引きで上がってきたのは40マハタ。 青物のヤズは反応バリバリでやっただけ釣れそう。 だけど合同出船なのでそうも言ってられず 鯛狙いへ。 鯛はポツポツメバルは一瞬の反応。 最後に移動して鯛をパタパタと。 シーネット森井船長お世話様でした。 今日はよく仕事してくれました。
釣行当日の潮汐
400 0 -80 0:00 6:00 12:00 18:00 24:00釣行当日の気象
-
日の出
05:11
日の入
19:00
-
月の出
16:53
月の入
03:35
-
天気
晴れ時々曇り
-
気温
24℃/18℃
-
気圧
1004.8hPa
-
風
西南西
4.8m/s -
波
西南西
0.4m/s -
水温
14.6℃
-
潮
中潮
-
月齢
12.3
-
BI
8.4
釣行当日の気象情報を表示 釣行当日の気象情報を隠す -
OZ Fishing Club
愛媛県 松山市 北条港215日前釣行日:2025年5月6日(火)小潮メバル
本日はメバル狙い。 朝から雨の中、波風もあり嫌な雰囲気。 最初はどうなるかと思ってたけど ジアイには3連5連最高6連と良型揃いのメバルが! トップ30匹オーバー平均20匹越えと十分でした。 ビデオ撮ってたのにボタン押し間違いで写真少なめ。
釣行当日の潮汐
400 0 -80 0:00 6:00 12:00 18:00 24:00釣行当日の気象
-
日の出
05:15
日の入
18:56
-
月の出
13:08
月の入
01:59
-
天気
曇り一時雨
-
気温
19℃/15℃
-
気圧
1003.6hPa
-
風
東北東
2.8m/s -
波
北東
0.3m/s -
水温
14.1℃
-
潮
小潮
-
月齢
8.3
-
BI
7.2
釣行当日の気象情報を表示 釣行当日の気象情報を隠す -
ZEELⅡ
広島県 福山市 大門港216日前釣行日:2025年5月5日(月)小潮メバル
ヒラマサ 青物見つけてすかさずキャスティング・・・その後は・・・イルカウォッチング(汗)
釣行当日の潮汐
400 0 -80 0:00 6:00 12:00 18:00 24:00釣行当日の気象
-
日の出
05:12
日の入
18:54
-
月の出
12:04
月の入
01:27
-
天気
晴れ後時々曇り
-
気温
24℃/9℃
-
気圧
1015.3hPa
-
風
南南東
1.4m/s -
波
南
0.2m/s -
水温
14.5℃
-
潮
小潮
-
月齢
7.3
-
BI
6.9
釣行当日の気象情報を表示 釣行当日の気象情報を隠す -
OZ Fishing Club
愛媛県 松山市 北条港218日前釣行日:2025年5月3日(土)中潮メバル
カサゴ マダイ 本日はメバルカサゴ狙いで5時出船! 意気揚々とポイントに着くも反応が、、、 薄い反応を狙いながら良型のメバルを釣りました。 カサゴはやるだけ釣れます。 尺オーバーも出て食べ頃の鯛も7〜8匹釣れました。 天気も良く釣り日和でした。
釣行当日の潮汐
400 0 -80 0:00 6:00 12:00 18:00 24:00釣行当日の気象
-
日の出
05:17
日の入
18:54
-
月の出
09:56
月の入
00:08
-
天気
晴れ後時々曇り
-
気温
26℃/11℃
-
気圧
1012.0hPa
-
風
北西
1.5m/s -
波
北西
0.2m/s -
水温
14.5℃
-
潮
中潮
-
月齢
5.3
-
BI
7.0
釣行当日の気象情報を表示 釣行当日の気象情報を隠す -
遊漁船ニライカナイ
愛媛県 松山市 三津浜港223日前釣行日:2025年4月28日(月)大潮メバル
タイ 合計8匹 ブリ ホウボウ クロダイ 本日も鯛出船 なんの前ブレなく急にノッコミ個体が現れました 卵出ちゃってます コレも いきなりノッコミ本番 竿頭3枚✖2名 鯛は全体で8枚でした 皆様、ありがとうございました
釣行当日の潮汐
400 0 -80 0:00 6:00 12:00 18:00 24:00釣行当日の気象
-
日の出
05:23
日の入
18:51
-
月の出
05:16
月の入
19:36
-
天気
雨のち曇り
-
気温
18℃/12℃
-
気圧
1010.7hPa
-
風
北北西
1.7m/s -
波
西
0.2m/s -
水温
14.1℃
-
潮
大潮
-
月齢
0.3
-
BI
10.5
釣行当日の気象情報を表示 釣行当日の気象情報を隠す
中国・四国の人気魚種の釣果情報
- 中国・四国×マダイ
- 中国・四国×ブリ
- 中国・四国×マアジ
- 中国・四国×ヒラメ
- 中国・四国×アカアマダイ
- 中国・四国×カサゴ
- 中国・四国×タチウオ
- 中国・四国×カワハギ
- 中国・四国×ヒラマサ
- 中国・四国×ゴマサバ
- 中国・四国×サワラ
- 中国・四国×イサキ
- 中国・四国×カンパチ
- 中国・四国×スズキ
- 中国・四国×キジハタ
- 中国・四国×アオリイカ
- 中国・四国×マハタ
- 中国・四国×メバル
- 中国・四国×ヤリイカ
- 中国・四国×アカムツ
- 中国・四国×チダイ
- 中国・四国×アオハタ
- 中国・四国×クロダイ
- 中国・四国×マダコ
- 中国・四国×アカハタ
- 中国・四国×シロギス
- 中国・四国×キダイ
- 中国・四国×シロアマダイ
- 中国・四国×ショウサイフグ
- 中国・四国×スルメイカ
- 中国・四国×キハダ
- 中国・四国×マゴチ
- 中国・四国×イトヨリダイ
- 中国・四国×ホウボウ
- 中国・四国×メダイ
- 中国・四国×シログチ
- 中国・四国×カツオ
- 中国・四国×アラ
- 中国・四国×オオモンハタ
- 中国・四国×クロソイ
- 中国・四国×メジナ
- 中国・四国×カイワリ
- 中国・四国×ケンサキイカ
- 中国・四国×チカメキントキ
- 中国・四国×シイラ
- 中国・四国×ウマヅラハギ
- 中国・四国×ウスメバル
- 中国・四国×アコウダイ
- 中国・四国×ウッカリカサゴ
- 中国・四国×イシダイ
- 中国・四国×クエ
- 中国・四国×コウイカ
- 中国・四国×アカイサキ
- 中国・四国×メイチダイ
- 中国・四国×ハガツオ
- 中国・四国×ヒラソウダ
- 中国・四国×クログチ
- 中国・四国×カミナリイカ
- 中国・四国×シロサバフグ
- 中国・四国×キチヌ
- 中国・四国×マサバ
- 中国・四国×アカカマス
- 中国・四国×アカヤガラ
- 中国・四国×ヘダイ
- 中国・四国×マトウダイ
- 中国・四国×ウメイロ
- 中国・四国×スマ
- 中国・四国×オニオコゼ
- 中国・四国×シマフグ
- 中国・四国×カマスサワラ
- 中国・四国×Array
各都道府県の人気魚種の釣果情報
- 岩手県×マダラ
- 岩手県×スルメイカ
- 岩手県×ケンサキイカ
- 岩手県×マコガレイ
- 岩手県×ブリ
- 宮城県×ヒラメ
- 宮城県×マアジ
- 宮城県×アイナメ
- 宮城県×マコガレイ
- 宮城県×メバル
- 福島県×マダイ
- 福島県×ヒラメ
- 福島県×メバル
- 福島県×チダイ
- 福島県×アイナメ
- 茨城県×マダイ
- 茨城県×ヒラメ
- 茨城県×ブリ
- 茨城県×マダコ
- 茨城県×カサゴ
- 埼玉県×サワラ
- 埼玉県×タチウオ
- 埼玉県×マダイ
- 埼玉県×ホウボウ
- 埼玉県×ブリ
- 千葉県×マダイ
- 千葉県×ヒラメ
- 千葉県×マアジ
- 千葉県×イサキ
- 千葉県×マハタ
- 東京都×マアジ
- 東京都×タチウオ
- 東京都×シロギス
- 東京都×マダコ
- 東京都×スズキ
- 神奈川県×マアジ
- 神奈川県×マダイ
- 神奈川県×タチウオ
- 神奈川県×アカアマダイ
- 神奈川県×ブリ
- 新潟県×マダイ
- 新潟県×マアジ
- 新潟県×ゴマサバ
- 新潟県×ブリ
- 新潟県×キダイ
- 富山県×アオリイカ
- 富山県×マダイ
- 富山県×キジハタ
- 富山県×カサゴ
- 富山県×マアジ
- 石川県×ブリ
- 石川県×キジハタ
- 石川県×マダイ
- 石川県×マアジ
- 石川県×カサゴ
- 福井県×ケンサキイカ
- 福井県×マダイ
- 福井県×アオリイカ
- 福井県×スルメイカ
- 福井県×マアジ
- 静岡県×マダイ
- 静岡県×マアジ
- 静岡県×イサキ
- 静岡県×タチウオ
- 静岡県×アカアマダイ
- 愛知県×ブリ
- 愛知県×マダイ
- 愛知県×タチウオ
- 愛知県×ヒラメ
- 愛知県×シロサバフグ
- 三重県×ブリ
- 三重県×マダイ
- 三重県×ヒラメ
- 三重県×カサゴ
- 三重県×サワラ
- 京都府×ケンサキイカ
- 京都府×ブリ
- 京都府×マダイ
- 京都府×スルメイカ
- 京都府×アオリイカ
- 大阪府×ブリ
- 大阪府×マダイ
- 大阪府×スズキ
- 大阪府×サワラ
- 大阪府×カサゴ
- 兵庫県×ブリ
- 兵庫県×マダイ
- 兵庫県×マダコ
- 兵庫県×サワラ
- 兵庫県×タチウオ
- 和歌山県×マダイ
- 和歌山県×ブリ
- 和歌山県×マアジ
- 和歌山県×イサキ
- 和歌山県×シロアマダイ
- 鳥取県×ケンサキイカ
- 鳥取県×アオリイカ
- 鳥取県×スルメイカ
- 鳥取県×アオハタ
- 鳥取県×カサゴ
- 島根県×ケンサキイカ
- 島根県×スルメイカ
- 島根県×ゴマサバ
- 島根県×マアジ
- 島根県×コウイカ
- 岡山県×スズキ
- 岡山県×マダイ
- 岡山県×クロダイ
- 岡山県×キジハタ
- 岡山県×ヒラメ
- 広島県×マダイ
- 広島県×ブリ
- 広島県×キジハタ
- 広島県×サワラ
- 広島県×シロギス
- 山口県×ケンサキイカ
- 山口県×キジハタ
- 山口県×アオリイカ
- 山口県×マダイ
- 山口県×ヒラマサ
- 徳島県×ブリ
- 徳島県×マアジ
- 徳島県×カンパチ
- 徳島県×チダイ
- 徳島県×イサキ
- 香川県×マダイ
- 香川県×アオリイカ
- 香川県×シロギス
- 香川県×ヒラメ
- 香川県×クロダイ
- 愛媛県×マダイ
- 愛媛県×ブリ
- 愛媛県×キジハタ
- 愛媛県×タチウオ
- 愛媛県×マダコ
- 高知県×カンパチ
- 高知県×イサキ
- 高知県×マアジ
- 高知県×マダイ
- 高知県×チダイ
- 福岡県×マダイ
- 福岡県×ヤリイカ
- 福岡県×ケンサキイカ
- 福岡県×ブリ
- 福岡県×ヒラマサ
- 佐賀県×ブリ
- 佐賀県×サワラ
- 佐賀県×アオリイカ
- 佐賀県×マダイ
- 佐賀県×アカアマダイ
- 長崎県×マダイ
- 長崎県×キジハタ
- 長崎県×オオモンハタ
- 長崎県×ブリ
- 長崎県×ヒラマサ
- 熊本県×マダイ
- 熊本県×タチウオ
- 熊本県×キジハタ
- 熊本県×カサゴ
- 熊本県×ヒラメ
- 鹿児島県×カンパチ
- 鹿児島県×オオモンハタ
- 鹿児島県×アカハタ
- 鹿児島県×マダイ
- 鹿児島県×バラハタ
- 沖縄県×スジアラ
- 沖縄県×キハダ
- 沖縄県×タカサゴ
- 沖縄県×バラハタ
- 沖縄県×クエ









































朝は近場で肩ならし。 レンコ、サワラ、ウッカリ拾って遠くへ。 実績あるから余裕だろうと思ってると潮止まり。 地獄モードにハマり3時間はレンコも釣れない。 点々と探りながら帰ってるとサワラ、甘鯛、レンコ、青ハタ急に釣れ出してサービス残業して 帰りました。 見習い船長君は3位かな。皆んなのクーラー撮影と言ったのにやる気のない写真1枚。 いつもは並べて撮るのに。数でも型でも負けてふざけた写真。 今日も遠くからありがとうございました。