-
良栄丸
和歌山県 日高郡印南町 印南港233日前釣行日:2025年4月30日(水)中潮マアジ
34~46cm 10~40匹 釣行当日の潮汐
200 0 -40 0:00 6:00 12:00 18:00 24:00釣行当日の気象
-
日の出
05:11
日の入
18:41
-
月の出
06:36
月の入
21:56
-
天気
晴れ
-
気温
23℃/10℃
-
気圧
1019.4hPa
-
風
北北西
2.8m/s -
波
南南西
0.3m/s -
水温
16.2℃
-
潮
中潮
-
月齢
2.3
-
BI
8.5
釣行当日の気象情報を表示 釣行当日の気象情報を隠す -
多部丸
和歌山県 和歌山市 加太港233日前釣行日:2025年4月30日(水)中潮アジ
(マアジ)24~25cm 合計2匹 タイ 36~47cm 合計3匹 ありがとうございました!
釣行当日の潮汐
200 0 -40 0:00 6:00 12:00 18:00 24:00釣行当日の気象
-
日の出
05:11
日の入
18:43
-
月の出
06:35
月の入
21:58
-
天気
晴れ
-
気温
23℃/10℃
-
気圧
1019.8hPa
-
風
北東
2.3m/s -
波
南
0.2m/s -
水温
16.2℃
-
潮
中潮
-
月齢
2.3
-
BI
9.6
釣行当日の気象情報を表示 釣行当日の気象情報を隠す -
多部丸
和歌山県 和歌山市 加太港233日前釣行日:2025年4月30日(水)中潮アジ
(マアジ)25~35cm 合計3匹 タイ 35~45cm 合計3匹 ありがとうございました!
釣行当日の潮汐
200 0 -40 0:00 6:00 12:00 18:00 24:00釣行当日の気象
-
日の出
05:11
日の入
18:43
-
月の出
06:35
月の入
21:58
-
天気
晴れ
-
気温
23℃/10℃
-
気圧
1019.8hPa
-
風
北東
2.3m/s -
波
南
0.2m/s -
水温
16.2℃
-
潮
中潮
-
月齢
2.3
-
BI
9.6
釣行当日の気象情報を表示 釣行当日の気象情報を隠す -
海斗丸
和歌山県 和歌山市 加太港233日前釣行日:2025年4月30日(水)中潮アジ
(マアジ)20~32cm 合計13匹 タイ 40cm 合計1匹 マナガツオ 50cm 合計1匹 マサバ 30~32cm 合計6匹 ありがとうございました!
釣行当日の潮汐
200 0 -40 0:00 6:00 12:00 18:00 24:00釣行当日の気象
-
日の出
05:11
日の入
18:43
-
月の出
06:35
月の入
21:58
-
天気
晴れ
-
気温
23℃/10℃
-
気圧
1019.8hPa
-
風
北東
2.3m/s -
波
南
0.2m/s -
水温
16.2℃
-
潮
中潮
-
月齢
2.3
-
BI
9.6
釣行当日の気象情報を表示 釣行当日の気象情報を隠す -
海斗丸
和歌山県 和歌山市 加太港233日前釣行日:2025年4月30日(水)中潮アジ
(マアジ)20~33cm 合計19匹 ブリ 87cm 合計1匹 マサバ 30~35cm 合計3匹 ありがとうございました!
釣行当日の潮汐
200 0 -40 0:00 6:00 12:00 18:00 24:00釣行当日の気象
-
日の出
05:11
日の入
18:43
-
月の出
06:35
月の入
21:58
-
天気
晴れ
-
気温
23℃/10℃
-
気圧
1019.8hPa
-
風
北東
2.3m/s -
波
南
0.2m/s -
水温
16.2℃
-
潮
中潮
-
月齢
2.3
-
BI
9.6
釣行当日の気象情報を表示 釣行当日の気象情報を隠す -
遊漁船拓丸
和歌山県 和歌山市 市堀川沿い234日前釣行日:2025年4月29日(火)大潮アジ
(マアジ)合計75匹 ハマチ 合計31匹 ジギング&ナイトアジング便。ゆっくりお昼から出船で夜までコース。 慣れたメンバー3人でハマチ31匹。アジ75匹釣れました。ナイトアジング便夕方17時から21時まで。お一人8,000円。4名様以上で出船します。ご予約受付中。
釣行当日の潮汐
200 0 -40 0:00 6:00 12:00 18:00 24:00釣行当日の気象
-
日の出
05:12
日の入
18:42
-
月の出
05:46
月の入
20:44
-
天気
晴れ
-
気温
20℃/12℃
-
気圧
1010.6hPa
-
風
北西
4.8m/s -
波
西
0.2m/s -
水温
16.4℃
-
潮
大潮
-
月齢
1.3
-
BI
10.3
釣行当日の気象情報を表示 釣行当日の気象情報を隠す -
角漁丸
和歌山県 和歌山市 加太港234日前釣行日:2025年4月29日(火)大潮マアジ
マダイ 真鯛・真鯵。 風の中 なんとか。
釣行当日の潮汐
200 0 -40 0:00 6:00 12:00 18:00 24:00釣行当日の気象
-
日の出
05:12
日の入
18:42
-
月の出
05:46
月の入
20:44
-
天気
晴れ
-
気温
20℃/12℃
-
気圧
1010.6hPa
-
風
北西
4.8m/s -
波
南西
0.3m/s -
水温
16.4℃
-
潮
大潮
-
月齢
1.3
-
BI
9.9
釣行当日の気象情報を表示 釣行当日の気象情報を隠す -
山田丸
和歌山県 和歌山市 加太港234日前釣行日:2025年4月29日(火)大潮マアジ
30cm 合計1匹 マダイ 42cm 合計1匹 ツバス 48cm 合計1匹 各1尾ずつではあるが、確実に釣果に!(^^)…一度だけ、真鯛のヒットを逃したのが悔やまれた増田さんでした。^^;
釣行当日の潮汐
200 0 -40 0:00 6:00 12:00 18:00 24:00釣行当日の気象
-
日の出
05:12
日の入
18:42
-
月の出
05:46
月の入
20:44
-
天気
晴れ
-
気温
20℃/12℃
-
気圧
1010.6hPa
-
風
北西
4.8m/s -
波
南西
0.3m/s -
水温
16.4℃
-
潮
大潮
-
月齢
1.3
-
BI
9.9
釣行当日の気象情報を表示 釣行当日の気象情報を隠す -
供進丸
和歌山県 日高郡美浜町 美浜港234日前釣行日:2025年4月29日(火)大潮アジ
(マアジ)上り~下り潮。 ジャンボアジ釣りに出船。ボチボチと釣れました。明日も出船します。1日2日も出船予定です。ご予約お待ちしております。
釣行当日の潮汐
200 0 -40 0:00 6:00 12:00 18:00 24:00釣行当日の気象
-
日の出
05:12
日の入
18:40
-
月の出
05:46
月の入
20:42
-
天気
晴れ
-
気温
20℃/12℃
-
気圧
1010.1hPa
-
風
北北西
7.0m/s -
波
南西
0.7m/s -
水温
16.4℃
-
潮
大潮
-
月齢
1.3
-
BI
9.0
釣行当日の気象情報を表示 釣行当日の気象情報を隠す -
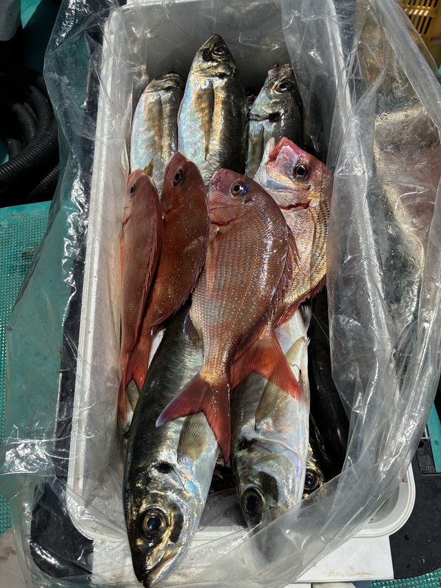
良栄丸
和歌山県 日高郡印南町 印南港234日前釣行日:2025年4月29日(火)大潮マアジ
34~49cm 10~24匹 マダイ 41~45cm 合計2匹 マアジ狙いに出船しました! アタリは来たり止まったりでしたが型良しのマアジ混じりで釣れました。 最大49センチのジャンボマアジ混じりでした! 真鯛にチダイ、イサギなども混じり皆様お土産ゲットでした! 明日も明後日も出船します! どちらも空いてます^_^ ご予約受付中です。 気軽にお問い合わせ下さいm(__)m
釣行当日の潮汐
200 0 -40 0:00 6:00 12:00 18:00 24:00釣行当日の気象
-
日の出
05:12
日の入
18:40
-
月の出
05:46
月の入
20:42
-
天気
晴れ
-
気温
20℃/12℃
-
気圧
1010.1hPa
-
風
北北西
7.0m/s -
波
南西
0.8m/s -
水温
16.4℃
-
潮
大潮
-
月齢
1.3
-
BI
9.0
釣行当日の気象情報を表示 釣行当日の気象情報を隠す -
多部丸
和歌山県 和歌山市 加太港234日前釣行日:2025年4月29日(火)大潮アジ
(マアジ)24~33cm 合計2匹 タイ 31~51cm 合計2匹 ハマチ 48cm 合計1匹 ありがとうございました!
釣行当日の潮汐
200 0 -40 0:00 6:00 12:00 18:00 24:00釣行当日の気象
-
日の出
05:12
日の入
18:42
-
月の出
05:46
月の入
20:44
-
天気
晴れ
-
気温
20℃/12℃
-
気圧
1010.6hPa
-
風
北西
4.8m/s -
波
南西
0.3m/s -
水温
16.4℃
-
潮
大潮
-
月齢
1.3
-
BI
9.9
釣行当日の気象情報を表示 釣行当日の気象情報を隠す -
多部丸
和歌山県 和歌山市 加太港234日前釣行日:2025年4月29日(火)大潮アジ
(マアジ)24~34cm 合計2匹 タイ 52cm 合計1匹 ありがとうございました!
釣行当日の潮汐
200 0 -40 0:00 6:00 12:00 18:00 24:00釣行当日の気象
-
日の出
05:12
日の入
18:42
-
月の出
05:46
月の入
20:44
-
天気
晴れ
-
気温
20℃/12℃
-
気圧
1010.6hPa
-
風
北西
4.8m/s -
波
南西
0.3m/s -
水温
16.4℃
-
潮
大潮
-
月齢
1.3
-
BI
9.9
釣行当日の気象情報を表示 釣行当日の気象情報を隠す -
淡隆丸
和歌山県 和歌山市 加太港234日前釣行日:2025年4月29日(火)大潮マアジ
34~39cm 合計2匹 マダイ 22~38cm 合計6匹 ハマチ 48~70cm 合計6匹 ☆今朝は思いのほか風が強く吹いていました。さすがに前日あれだけ本格的に雨が降ったので、しっかり吹き返しの風に吹かれました。 ★風と波でコンディションが良くないうえ、ここ最近の喰い渋にもかかわらず、チャンスを掴んでマダイ(チャリコ)、ハマチ、メジロ、アジを釣っていただくことができました。 ☆風と波に揺られ、ときには波しぶきも浴びましたが、どうぞお疲れがでませんように。どうもありがとうございました。
釣行当日の潮汐
200 0 -40 0:00 6:00 12:00 18:00 24:00釣行当日の気象
-
日の出
05:12
日の入
18:42
-
月の出
05:46
月の入
20:44
-
天気
晴れ
-
気温
20℃/12℃
-
気圧
1010.6hPa
-
風
北西
4.8m/s -
波
南西
0.3m/s -
水温
16.4℃
-
潮
大潮
-
月齢
1.3
-
BI
9.9
釣行当日の気象情報を表示 釣行当日の気象情報を隠す -
海斗丸
和歌山県 和歌山市 加太港234日前釣行日:2025年4月29日(火)大潮アジ
(マアジ)23~33cm 合計27匹 タイ 46~49cm 合計3匹 マサバ 31~43cm 合計2匹 ありがとうございました!
釣行当日の潮汐
200 0 -40 0:00 6:00 12:00 18:00 24:00釣行当日の気象
-
日の出
05:12
日の入
18:42
-
月の出
05:46
月の入
20:44
-
天気
晴れ
-
気温
20℃/12℃
-
気圧
1010.6hPa
-
風
北西
4.8m/s -
波
南西
0.3m/s -
水温
16.4℃
-
潮
大潮
-
月齢
1.3
-
BI
9.9
釣行当日の気象情報を表示 釣行当日の気象情報を隠す -
角漁丸
和歌山県 和歌山市 加太港235日前釣行日:2025年4月28日(月)大潮マアジ
マサバ マダイ 真鯛・真鯖。
釣行当日の潮汐
200 0 -40 0:00 6:00 12:00 18:00 24:00釣行当日の気象
-
日の出
05:13
日の入
18:41
-
月の出
05:05
月の入
19:26
-
天気
曇り一時雨
-
気温
23℃/14℃
-
気圧
1010.6hPa
-
風
南
3.7m/s -
波
南南西
0.4m/s -
水温
16.4℃
-
潮
大潮
-
月齢
0.3
-
BI
9.2
釣行当日の気象情報を表示 釣行当日の気象情報を隠す
和歌山県の人気魚種の釣果情報
- 和歌山県×マダイ
- 和歌山県×ブリ
- 和歌山県×マアジ
- 和歌山県×ヒラメ
- 和歌山県×アカアマダイ
- 和歌山県×カサゴ
- 和歌山県×カワハギ
- 和歌山県×タチウオ
- 和歌山県×ヒラマサ
- 和歌山県×ゴマサバ
- 和歌山県×サワラ
- 和歌山県×イサキ
- 和歌山県×キジハタ
- 和歌山県×カンパチ
- 和歌山県×スズキ
- 和歌山県×アオリイカ
- 和歌山県×マハタ
- 和歌山県×メバル
- 和歌山県×オニカサゴ
- 和歌山県×アカムツ
- 和歌山県×アオハタ
- 和歌山県×チダイ
- 和歌山県×クロダイ
- 和歌山県×マダコ
- 和歌山県×アカハタ
- 和歌山県×シロギス
- 和歌山県×ショウサイフグ
- 和歌山県×キダイ
- 和歌山県×スルメイカ
- 和歌山県×キンメダイ
- 和歌山県×シロアマダイ
- 和歌山県×キハダ
- 和歌山県×マゴチ
- 和歌山県×イトヨリダイ
- 和歌山県×シログチ
- 和歌山県×メダイ
- 和歌山県×ホウボウ
- 和歌山県×アラ
- 和歌山県×カツオ
- 和歌山県×オオモンハタ
- 和歌山県×メジナ
- 和歌山県×カイワリ
- 和歌山県×ケンサキイカ
- 和歌山県×チカメキントキ
- 和歌山県×シマアジ
- 和歌山県×シイラ
- 和歌山県×ビンナガ
- 和歌山県×ウマヅラハギ
- 和歌山県×ウッカリカサゴ
- 和歌山県×ウスメバル
- 和歌山県×アコウダイ
- 和歌山県×イシダイ
- 和歌山県×コウイカ
- 和歌山県×クエ
- 和歌山県×アカイサキ
- 和歌山県×クログチ
- 和歌山県×クロマグロ
- 和歌山県×メイチダイ
- 和歌山県×ヒラソウダ
- 和歌山県×ロウニンアジ
- 和歌山県×ホウキハタ
- 和歌山県×アヤメカサゴ
- 和歌山県×カミナリイカ
- 和歌山県×マサバ
- 和歌山県×ハマフエフキ
- 和歌山県×キチヌ
- 和歌山県×シロサバフグ
- 和歌山県×ヘダイ
- 和歌山県×ウメイロ
- 和歌山県×コロダイ
- 和歌山県×アカヤガラ
- 和歌山県×ヒメコダイ
- 和歌山県×スマ
- 和歌山県×オニオコゼ
- 和歌山県×マトウダイ
- 和歌山県×シマフグ
- 和歌山県×カマスサワラ
- 和歌山県×シロダイ
- 和歌山県×オキアジ
各都道府県の人気魚種の釣果情報
- 岩手県×マダラ
- 岩手県×スルメイカ
- 岩手県×マコガレイ
- 岩手県×ケンサキイカ
- 岩手県×ブリ
- 宮城県×ヒラメ
- 宮城県×マアジ
- 宮城県×アイナメ
- 宮城県×マコガレイ
- 宮城県×メバル
- 福島県×マダイ
- 福島県×ヒラメ
- 福島県×メバル
- 福島県×チダイ
- 福島県×アイナメ
- 茨城県×マダイ
- 茨城県×ヒラメ
- 茨城県×ブリ
- 茨城県×マダコ
- 茨城県×カサゴ
- 埼玉県×サワラ
- 埼玉県×タチウオ
- 埼玉県×マダイ
- 埼玉県×ブリ
- 埼玉県×ホウボウ
- 千葉県×マダイ
- 千葉県×ヒラメ
- 千葉県×マアジ
- 千葉県×イサキ
- 千葉県×マハタ
- 東京都×マアジ
- 東京都×タチウオ
- 東京都×シロギス
- 東京都×マダコ
- 東京都×スズキ
- 神奈川県×マアジ
- 神奈川県×マダイ
- 神奈川県×タチウオ
- 神奈川県×アカアマダイ
- 神奈川県×ブリ
- 新潟県×マダイ
- 新潟県×マアジ
- 新潟県×ゴマサバ
- 新潟県×ブリ
- 新潟県×キダイ
- 富山県×アオリイカ
- 富山県×マダイ
- 富山県×キジハタ
- 富山県×カサゴ
- 富山県×アオハタ
- 石川県×ブリ
- 石川県×キジハタ
- 石川県×マダイ
- 石川県×マアジ
- 石川県×ウッカリカサゴ
- 福井県×ケンサキイカ
- 福井県×マダイ
- 福井県×アオリイカ
- 福井県×スルメイカ
- 福井県×マアジ
- 静岡県×マダイ
- 静岡県×マアジ
- 静岡県×イサキ
- 静岡県×タチウオ
- 静岡県×アカアマダイ
- 愛知県×ブリ
- 愛知県×マダイ
- 愛知県×タチウオ
- 愛知県×ヒラメ
- 愛知県×シロサバフグ
- 三重県×ブリ
- 三重県×マダイ
- 三重県×ヒラメ
- 三重県×カサゴ
- 三重県×サワラ
- 京都府×ケンサキイカ
- 京都府×ブリ
- 京都府×マダイ
- 京都府×スルメイカ
- 京都府×アオリイカ
- 大阪府×ブリ
- 大阪府×マダイ
- 大阪府×サワラ
- 大阪府×スズキ
- 大阪府×タチウオ
- 兵庫県×ブリ
- 兵庫県×マダイ
- 兵庫県×マダコ
- 兵庫県×サワラ
- 兵庫県×タチウオ
- 和歌山県×マダイ
- 和歌山県×ブリ
- 和歌山県×マアジ
- 和歌山県×イサキ
- 和歌山県×シロアマダイ
- 鳥取県×ケンサキイカ
- 鳥取県×アオリイカ
- 鳥取県×スルメイカ
- 鳥取県×アオハタ
- 鳥取県×カサゴ
- 島根県×ケンサキイカ
- 島根県×スルメイカ
- 島根県×ゴマサバ
- 島根県×マアジ
- 島根県×コウイカ
- 岡山県×スズキ
- 岡山県×マダイ
- 岡山県×クロダイ
- 岡山県×キジハタ
- 岡山県×ヒラメ
- 広島県×マダイ
- 広島県×ブリ
- 広島県×キジハタ
- 広島県×サワラ
- 広島県×シロギス
- 山口県×ケンサキイカ
- 山口県×アオリイカ
- 山口県×キジハタ
- 山口県×マダイ
- 山口県×ヒラマサ
- 徳島県×ブリ
- 徳島県×マアジ
- 徳島県×カンパチ
- 徳島県×イサキ
- 徳島県×チダイ
- 香川県×マダイ
- 香川県×アオリイカ
- 香川県×ヒラメ
- 香川県×シロギス
- 香川県×クロダイ
- 愛媛県×マダイ
- 愛媛県×ブリ
- 愛媛県×キジハタ
- 愛媛県×タチウオ
- 愛媛県×サワラ
- 高知県×カンパチ
- 高知県×イサキ
- 高知県×マアジ
- 高知県×マダイ
- 高知県×チダイ
- 福岡県×マダイ
- 福岡県×ヤリイカ
- 福岡県×ケンサキイカ
- 福岡県×ブリ
- 福岡県×ヒラマサ
- 佐賀県×サワラ
- 佐賀県×アカアマダイ
- 佐賀県×アオリイカ
- 佐賀県×マダイ
- 佐賀県×マアジ
- 長崎県×マダイ
- 長崎県×キジハタ
- 長崎県×オオモンハタ
- 長崎県×ブリ
- 長崎県×ヒラマサ
- 熊本県×マダイ
- 熊本県×タチウオ
- 熊本県×キジハタ
- 熊本県×ヒラメ
- 熊本県×カサゴ
- 鹿児島県×カンパチ
- 鹿児島県×オオモンハタ
- 鹿児島県×マダイ
- 鹿児島県×アカハタ
- 鹿児島県×ケンサキイカ
- 沖縄県×スジアラ
- 沖縄県×キハダ
- 沖縄県×タカサゴ
- 沖縄県×バラハタ
- 沖縄県×クエ










































マアジ狙いに出船しました! 今日は朝一からポロポロとジャンボマアジ混じりで釣れました! マアジの喰い良かったです。 外れるのも多かったですがポロポロとポロポロとアタリありでした。 後半は渋々になっちゃいましたが皆様ジャンボマアジ混じりでゲットしてくれました! 真鯛にチダイ、イサギも混じり皆様お土産に。 明日も出船します! 空きあります。 ご予約受付中です! 気軽にお問い合わせ下さいm(__)m