- 釣割利用回数
- 12回
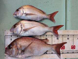
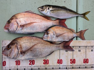
海斗丸は、大阪府と隣接する和歌山県の加太港から出船します。海斗丸の釣り船の歴史は長く、多くの釣り師に愛されてきました。主なターゲットは、一年を通じてマダイ。ブリやサワラなどの大型回遊魚もチャンスがあれば狙います。加太沖のマダイは、全国的にも知名度が高く、高値で取引されています。そんなマダイをぜひたくさん釣り上げてご賞味くださいね☆また釣り方や仕掛けは、マダイの性質を知り尽くした海斗丸船長のアドバイスをしっかりお聞きください!釣り初心者や女性も大歓迎でお待ちしています♪
続きを表示
口コミ・評判
お名前は名字のイニシャルです
- 釣割利用回数
- 16回
船長が優しく、長い仕掛けでコツが必要でしたが、手伝ったり、アドバイスを逐一して頂きとても勉強になりました。 初心者にもオススメ出来る船宿さんです!
- 釣割利用回数
- 8回
大阪近郊の船とは比べ物にならない。よく釣れる。サービスも素晴らしい。釣り方を丁寧に教えてくれる。ちょいと言葉は荒いけど。釣れたら、せんちょ~、って呼ぶとすぐ来てくれて取り込んでくれる。その後すぐに仕掛けを投入してくれるので時合を逃さない。他の船では、釣れたあともたもたして次が続かないことがよくあるが、この船はそれがない。舟を降りる寸前まで生簀に生かしといて最後に締めてくれる。
釣り船情報
- 釣り船名
- 海斗丸かいとまる
- 所在地
- 和歌山県 和歌山市加太 加太港(地図・潮見表)
- 代表者
- 堀本浩孝
- 最寄インター
- 泉南(近畿自動車道)から 25 km
泉佐野南(阪神高速4号湾岸線)から 33 km
- 最寄駅
- 加太(南海本線)
- 駐車場
- 有:700円/日
- 利用可能なクレジットカード
- 無
- 利用可能な電子マネー
- 無
- 利用可能なQRコード決済
- 無
- 全長
- 15メートル
- 重量
- 5トン
- 最大定員
- 14名
- 設備
-
- トイレ
- キャビン
- 冷蔵庫
- イケス
- 電子レンジ
- 冷凍庫
- ポット
- 電源12V
- 電源24V
- 電源100V
- 備考
- 食事は各自持参の上、ご自由にお取り下さい。
地図
船着場
駐車場
集合場所
和歌山県和歌山市加太 加太港
集合場所は船着場前になります。
お車でお越しの方
- 最寄インター
- 泉南(近畿自動車道)から 25 km
泉佐野南(阪神高速4号湾岸線)から 33 km
- 駐車場
- 有:700円/日
電車でお越しの方
- 最寄駅
- 加太(南海本線)
- 送迎
- 無
海斗丸を予約した人は、
こんな釣り船も予約しています
海斗丸に
よくいただくご質問
-
リールは何でも良いですか?
いいえ、両軸リールです。スピニングリールは不可です。LINEは、PEラインです。
-
仕掛けは準備してもらえますか?
はい、海斗丸のオリジナル仕掛けをご用意しています。
-
貸切もできますか?
はい、できます。人数により料金が変動しますので、事前に貸切される人数をお伝えください。















































典型的な大名釣りをさせてもらえる場所。 仕掛けの説明も出船前に丁寧にしてくれるので、その通りにやれば坊主はほぼ無いかと思います。 釣れてからも魚の取り込みから、締めて血抜きまで船長が全てしてくれるので汚れる事もほとんどありません。 初心者の子を連れて行くならとてもオススメ出来る船宿です。