-
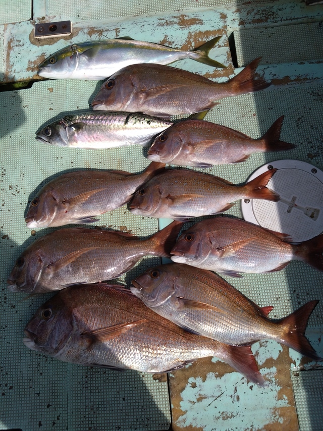
海斗丸
和歌山県 和歌山市 加太港23日前釣行日:2025年11月12日(水)小潮マサバ
42~50cm 合計56匹 メジロ 69cm 合計1匹 アジ 32~52cm 合計15匹 釣行当日の潮汐
200 0 -40 0:00 6:00 12:00 18:00 24:00釣行当日の気象
-
日の出
06:29
日の入
16:58
-
月の出
23:43
月の入
12:51
-
天気
曇り
-
気温
17℃/9℃
-
気圧
1024.3hPa
-
風
北北東
4.2m/s -
波
南南西
0.7m/s -
水温
21.0℃
-
潮
小潮
-
月齢
21.6
-
BI
6.6
釣行当日の気象情報を表示 釣行当日の気象情報を隠す -
淡隆丸
和歌山県 和歌山市 加太港23日前釣行日:2025年11月12日(水)小潮マサバ
41~50cm 1~2匹 マダイ 28~52cm 1~4匹 マアジ 34~45cm 1~2匹 メジロ 70cm 合計1匹 イサキ 40cm 合計1匹 ☆北東の風が吹いていました。曇り空で陽が射さなかったので寒かったです。 ★今朝は下り潮からのスタートです。朝マズメに良型のアジとサバを釣っていただくことができました。 ☆その後は下り潮が弱まり終わるまでの間にマダイを釣ってくれました。 ★合間にメジロとイサキの顔も見ることができました。 ☆本日はどうもありがとうございました。
釣行当日の潮汐
200 0 -40 0:00 6:00 12:00 18:00 24:00釣行当日の気象
-
日の出
06:29
日の入
16:58
-
月の出
23:43
月の入
12:51
-
天気
曇り
-
気温
17℃/9℃
-
気圧
1024.3hPa
-
風
北北東
4.2m/s -
波
南南西
0.7m/s -
水温
21.0℃
-
潮
小潮
-
月齢
21.6
-
BI
6.6
釣行当日の気象情報を表示 釣行当日の気象情報を隠す -
多部丸
和歌山県 和歌山市 加太港23日前釣行日:2025年11月12日(水)小潮サバ
(マサバ)40~48cm 合計5匹 タイ 38cm 合計1匹 アジ 47cm 合計1匹 ありがとうございました!
釣行当日の潮汐
200 0 -40 0:00 6:00 12:00 18:00 24:00釣行当日の気象
-
日の出
06:29
日の入
16:58
-
月の出
23:43
月の入
12:51
-
天気
曇り
-
気温
17℃/9℃
-
気圧
1024.3hPa
-
風
北北東
4.2m/s -
波
南南西
0.7m/s -
水温
21.0℃
-
潮
小潮
-
月齢
21.6
-
BI
6.6
釣行当日の気象情報を表示 釣行当日の気象情報を隠す -
多部丸
和歌山県 和歌山市 加太港25日前釣行日:2025年11月10日(月)中潮サバ
(マサバ)38cm 合計1匹 タイ 35~45cm 合計4匹 ありがとうございました!
釣行当日の潮汐
200 0 -40 0:00 6:00 12:00 18:00 24:00釣行当日の気象
-
日の出
06:27
日の入
16:59
-
月の出
21:28
月の入
11:32
-
天気
晴れ時々曇り
-
気温
20℃/10℃
-
気圧
1013.8hPa
-
風
北西
6.7m/s -
波
南西
0.6m/s -
水温
21.2℃
-
潮
中潮
-
月齢
19.6
-
BI
9.1
釣行当日の気象情報を表示 釣行当日の気象情報を隠す -
多部丸
和歌山県 和歌山市 加太港25日前釣行日:2025年11月10日(月)中潮サバ
(マサバ)46cm 合計1匹 タイ 38~41cm 合計2匹 シオ 44cm 合計1匹 ありがとうございました!
釣行当日の潮汐
200 0 -40 0:00 6:00 12:00 18:00 24:00釣行当日の気象
-
日の出
06:27
日の入
16:59
-
月の出
21:28
月の入
11:32
-
天気
晴れ時々曇り
-
気温
20℃/10℃
-
気圧
1013.8hPa
-
風
北西
6.7m/s -
波
南西
0.6m/s -
水温
21.2℃
-
潮
中潮
-
月齢
19.6
-
BI
9.1
釣行当日の気象情報を表示 釣行当日の気象情報を隠す -
遊漁船拓丸
和歌山県 和歌山市 市堀川沿い26日前釣行日:2025年11月9日(日)中潮サバ
(マサバ)ハマチ ジギング、短時間便。 雨の中昼から爆風予報なので短時間勝負。
釣行当日の潮汐
200 0 -40 0:00 6:00 12:00 18:00 24:00釣行当日の気象
-
日の出
06:26
日の入
17:00
-
月の出
20:17
月の入
10:38
-
天気
雨のち曇り
-
気温
21℃/12℃
-
気圧
1016.4hPa
-
風
東
3.4m/s -
波
南南西
0.2m/s -
水温
21.3℃
-
潮
中潮
-
月齢
18.6
-
BI
10.5
釣行当日の気象情報を表示 釣行当日の気象情報を隠す -
海斗丸
和歌山県 和歌山市 加太港26日前釣行日:2025年11月9日(日)中潮マサバ
37~40cm 合計6匹 タイ 33~45cm 合計8匹 サワラ 82cm 合計1匹 アジ 43~46cm 合計3匹 イサギ 33~39cm 合計4匹 ありがとうございました!
釣行当日の潮汐
200 0 -40 0:00 6:00 12:00 18:00 24:00釣行当日の気象
-
日の出
06:26
日の入
17:00
-
月の出
20:17
月の入
10:38
-
天気
雨のち曇り
-
気温
21℃/12℃
-
気圧
1016.4hPa
-
風
東
3.4m/s -
波
南
0.4m/s -
水温
21.3℃
-
潮
中潮
-
月齢
18.6
-
BI
9.2
釣行当日の気象情報を表示 釣行当日の気象情報を隠す -
海斗丸
和歌山県 和歌山市 加太港27日前釣行日:2025年11月8日(土)中潮マサバ
36~37cm 合計2匹 タイ 39~58cm 合計5匹 イサギ 34cm 合計1匹 ハマチ 49cm 合計1匹 アジ 29~46cm 合計2匹 ありがとうございました!
釣行当日の潮汐
200 0 -40 0:00 6:00 12:00 18:00 24:00釣行当日の気象
-
日の出
06:25
日の入
17:01
-
月の出
19:09
月の入
09:33
-
天気
晴れ後時々曇り
-
気温
20℃/11℃
-
気圧
1026.4hPa
-
風
北東
4.4m/s -
波
南南西
0.2m/s -
水温
21.4℃
-
潮
中潮
-
月齢
17.6
-
BI
9.2
釣行当日の気象情報を表示 釣行当日の気象情報を隠す -
金比羅丸
和歌山県 和歌山市 加太港29日前釣行日:2025年11月6日(木)大潮サバ
(マサバ)平均35cm 合計2匹 アジ 27~35cm 合計22匹 タイ 30cm 合計1匹 アジ27〜35cm22匹、 サバ35cm2匹、 タイ30cm1匹。
釣行当日の潮汐
200 0 -40 0:00 6:00 12:00 18:00 24:00釣行当日の気象
-
日の出
06:23
日の入
17:03
-
月の出
17:15
月の入
07:01
-
天気
晴れ時々曇り
-
気温
21℃/14℃
-
気圧
1020.4hPa
-
風
北
3.8m/s -
波
南
0.2m/s -
水温
21.7℃
-
潮
大潮
-
月齢
15.6
-
BI
7.8
釣行当日の気象情報を表示 釣行当日の気象情報を隠す -
多部丸
和歌山県 和歌山市 加太港29日前釣行日:2025年11月6日(木)大潮サバ
(マサバ)46cm 合計1匹 タイ 37~56cm 合計8匹 ハマチ 50cm 合計1匹 ありがとうございました!
釣行当日の潮汐
200 0 -40 0:00 6:00 12:00 18:00 24:00釣行当日の気象
-
日の出
06:23
日の入
17:03
-
月の出
17:15
月の入
07:01
-
天気
晴れ時々曇り
-
気温
21℃/14℃
-
気圧
1020.4hPa
-
風
北
3.8m/s -
波
南
0.2m/s -
水温
21.7℃
-
潮
大潮
-
月齢
15.6
-
BI
7.8
釣行当日の気象情報を表示 釣行当日の気象情報を隠す -
多部丸
和歌山県 和歌山市 加太港29日前釣行日:2025年11月6日(木)大潮サバ
(マサバ)41~48cm 合計4匹 タイ 37~50cm 合計4匹 ハマチ 47~52cm 合計3匹 ありがとうございました!
釣行当日の潮汐
200 0 -40 0:00 6:00 12:00 18:00 24:00釣行当日の気象
-
日の出
06:23
日の入
17:03
-
月の出
17:15
月の入
07:01
-
天気
晴れ時々曇り
-
気温
21℃/14℃
-
気圧
1020.4hPa
-
風
北
3.8m/s -
波
南
0.2m/s -
水温
21.7℃
-
潮
大潮
-
月齢
15.6
-
BI
7.8
釣行当日の気象情報を表示 釣行当日の気象情報を隠す -
金比羅丸
和歌山県 和歌山市 加太港30日前釣行日:2025年11月5日(水)大潮サバ
(マサバ)30~35cm 合計4匹 タイ 40cm 合計1匹 アジ 30~45cm 合計13匹 チャリコ タイ40cm1匹、 サバ30〜35cm4匹、 アジ45cm2匹、 30cm前後11匹、 チャリコ、まじり。
釣行当日の潮汐
200 0 -40 0:00 6:00 12:00 18:00 24:00釣行当日の気象
-
日の出
06:23
日の入
17:03
-
月の出
16:32
月の入
05:43
-
天気
曇りのち一時雨
-
気温
19℃/12℃
-
気圧
1024.6hPa
-
風
北東
3.0m/s -
波
南南東
0.2m/s -
水温
21.8℃
-
潮
大潮
-
月齢
14.6
-
BI
8.1
釣行当日の気象情報を表示 釣行当日の気象情報を隠す -
清風丸
和歌山県 和歌山市 市堀川沿い30日前釣行日:2025年11月5日(水)大潮サバ
(マサバ)45cm 合計1匹 アジ 45cm 合計1匹 アジ便。ジアイが来ればポロポロ当たりますが、魚が大きいので、バラシ多数でした
釣行当日の潮汐
200 0 -40 0:00 6:00 12:00 18:00 24:00釣行当日の気象
-
日の出
06:23
日の入
17:03
-
月の出
16:32
月の入
05:43
-
天気
曇りのち一時雨
-
気温
19℃/12℃
-
気圧
1024.6hPa
-
風
北東
3.0m/s -
波
北
0.2m/s -
水温
21.8℃
-
潮
大潮
-
月齢
14.6
-
BI
8.5
釣行当日の気象情報を表示 釣行当日の気象情報を隠す -
海斗丸
和歌山県 和歌山市 加太港31日前釣行日:2025年11月4日(火)大潮マサバ
36~39cm 合計2匹 メジロ 71cm 合計1匹 ツバス 41~46cm 合計3匹 イサギ 28~38cm 合計5匹 アジ 31~38cm 合計7匹 ありがとうございました!
釣行当日の潮汐
200 0 -40 0:00 6:00 12:00 18:00 24:00釣行当日の気象
-
日の出
06:22
日の入
17:04
-
月の出
15:56
月の入
04:29
-
天気
晴れ後時々曇り
-
気温
19℃/10℃
-
気圧
1028.4hPa
-
風
北東
2.7m/s -
波
北東
0.2m/s -
水温
21.9℃
-
潮
大潮
-
月齢
13.6
-
BI
7.7
釣行当日の気象情報を表示 釣行当日の気象情報を隠す -
山田丸
和歌山県 和歌山市 加太港33日前釣行日:2025年11月2日(日)中潮マサバ
45cm 合計1匹 メジロ 70~70cm 合計2匹 マダイ 25~25cm 合計3匹 イサギ 20cm 合計1匹 アコウ 25cm 合計1匹 仕事仲間6人で、2度目の乗船!今日は、70センチのメジロを2尾!!なかなかの引きと5分以上の格闘の末の…釣果となりました!\(^o^)/
釣行当日の潮汐
200 0 -40 0:00 6:00 12:00 18:00 24:00釣行当日の気象
-
日の出
06:20
日の入
17:06
-
月の出
14:55
月の入
02:11
-
天気
晴れ時々曇り
-
気温
22℃/12℃
-
気圧
1016.1hPa
-
風
南南西
3.6m/s -
波
南
0.2m/s -
水温
22.3℃
-
潮
中潮
-
月齢
11.6
-
BI
7.5
釣行当日の気象情報を表示 釣行当日の気象情報を隠す
和歌山県の人気魚種の釣果情報
- 和歌山県×マダイ
- 和歌山県×ブリ
- 和歌山県×マアジ
- 和歌山県×ヒラメ
- 和歌山県×アカアマダイ
- 和歌山県×カサゴ
- 和歌山県×カワハギ
- 和歌山県×タチウオ
- 和歌山県×ヒラマサ
- 和歌山県×ゴマサバ
- 和歌山県×サワラ
- 和歌山県×イサキ
- 和歌山県×カンパチ
- 和歌山県×キジハタ
- 和歌山県×スズキ
- 和歌山県×アオリイカ
- 和歌山県×マハタ
- 和歌山県×オニカサゴ
- 和歌山県×メバル
- 和歌山県×アカムツ
- 和歌山県×チダイ
- 和歌山県×アオハタ
- 和歌山県×クロダイ
- 和歌山県×マダコ
- 和歌山県×アカハタ
- 和歌山県×シロギス
- 和歌山県×キダイ
- 和歌山県×シロアマダイ
- 和歌山県×ショウサイフグ
- 和歌山県×スルメイカ
- 和歌山県×キンメダイ
- 和歌山県×キハダ
- 和歌山県×マゴチ
- 和歌山県×イトヨリダイ
- 和歌山県×ホウボウ
- 和歌山県×カツオ
- 和歌山県×シログチ
- 和歌山県×メダイ
- 和歌山県×アラ
- 和歌山県×オオモンハタ
- 和歌山県×メジナ
- 和歌山県×カイワリ
- 和歌山県×ケンサキイカ
- 和歌山県×チカメキントキ
- 和歌山県×シイラ
- 和歌山県×シマアジ
- 和歌山県×ウマヅラハギ
- 和歌山県×ビンナガ
- 和歌山県×ウスメバル
- 和歌山県×アコウダイ
- 和歌山県×ウッカリカサゴ
- 和歌山県×マコガレイ
- 和歌山県×イシダイ
- 和歌山県×クエ
- 和歌山県×アカイサキ
- 和歌山県×コウイカ
- 和歌山県×メイチダイ
- 和歌山県×アヤメカサゴ
- 和歌山県×ロウニンアジ
- 和歌山県×ヒラソウダ
- 和歌山県×ホウキハタ
- 和歌山県×クログチ
- 和歌山県×キチヌ
- 和歌山県×シロサバフグ
- 和歌山県×カミナリイカ
- 和歌山県×ハマフエフキ
- 和歌山県×ヘダイ
- 和歌山県×コロダイ
- 和歌山県×マサバ
- 和歌山県×アカカマス
- 和歌山県×アカヤガラ
- 和歌山県×ヒメコダイ
- 和歌山県×スマ
- 和歌山県×ウメイロ
- 和歌山県×マトウダイ
- 和歌山県×オニオコゼ
- 和歌山県×シマフグ
- 和歌山県×カマスサワラ
- 和歌山県×シロダイ
- 和歌山県×オキアジ
各都道府県の人気魚種の釣果情報
- 岩手県×マダラ
- 岩手県×スルメイカ
- 岩手県×ケンサキイカ
- 岩手県×マコガレイ
- 岩手県×ブリ
- 宮城県×ヒラメ
- 宮城県×マアジ
- 宮城県×アイナメ
- 宮城県×マコガレイ
- 宮城県×メバル
- 福島県×マダイ
- 福島県×ヒラメ
- 福島県×メバル
- 福島県×チダイ
- 福島県×アイナメ
- 茨城県×マダイ
- 茨城県×ヒラメ
- 茨城県×ブリ
- 茨城県×マダコ
- 茨城県×カサゴ
- 埼玉県×サワラ
- 埼玉県×タチウオ
- 埼玉県×マダイ
- 埼玉県×ホウボウ
- 埼玉県×ブリ
- 千葉県×マダイ
- 千葉県×ヒラメ
- 千葉県×マアジ
- 千葉県×イサキ
- 千葉県×マハタ
- 東京都×マアジ
- 東京都×タチウオ
- 東京都×シロギス
- 東京都×マダコ
- 東京都×スズキ
- 神奈川県×マアジ
- 神奈川県×マダイ
- 神奈川県×タチウオ
- 神奈川県×アカアマダイ
- 神奈川県×ブリ
- 新潟県×マダイ
- 新潟県×マアジ
- 新潟県×ゴマサバ
- 新潟県×ブリ
- 新潟県×キダイ
- 富山県×アオリイカ
- 富山県×マダイ
- 富山県×キジハタ
- 富山県×カサゴ
- 富山県×ヤリイカ
- 石川県×ブリ
- 石川県×マダイ
- 石川県×キジハタ
- 石川県×マアジ
- 石川県×カサゴ
- 福井県×ケンサキイカ
- 福井県×マダイ
- 福井県×アオリイカ
- 福井県×スルメイカ
- 福井県×マアジ
- 静岡県×マダイ
- 静岡県×マアジ
- 静岡県×イサキ
- 静岡県×タチウオ
- 静岡県×アカアマダイ
- 愛知県×ブリ
- 愛知県×マダイ
- 愛知県×タチウオ
- 愛知県×ヒラメ
- 愛知県×シロサバフグ
- 三重県×ブリ
- 三重県×マダイ
- 三重県×ヒラメ
- 三重県×カサゴ
- 三重県×サワラ
- 京都府×ケンサキイカ
- 京都府×ブリ
- 京都府×マダイ
- 京都府×スルメイカ
- 京都府×アオリイカ
- 大阪府×ブリ
- 大阪府×マダイ
- 大阪府×スズキ
- 大阪府×サワラ
- 大阪府×カサゴ
- 兵庫県×ブリ
- 兵庫県×マダイ
- 兵庫県×マダコ
- 兵庫県×サワラ
- 兵庫県×タチウオ
- 和歌山県×マダイ
- 和歌山県×ブリ
- 和歌山県×マアジ
- 和歌山県×イサキ
- 和歌山県×シロアマダイ
- 鳥取県×ケンサキイカ
- 鳥取県×アオリイカ
- 鳥取県×スルメイカ
- 鳥取県×カサゴ
- 鳥取県×アオハタ
- 島根県×ケンサキイカ
- 島根県×スルメイカ
- 島根県×ゴマサバ
- 島根県×マアジ
- 島根県×コウイカ
- 岡山県×スズキ
- 岡山県×マダイ
- 岡山県×クロダイ
- 岡山県×キジハタ
- 岡山県×ヒラメ
- 広島県×マダイ
- 広島県×ブリ
- 広島県×キジハタ
- 広島県×サワラ
- 広島県×シロギス
- 山口県×ケンサキイカ
- 山口県×アオリイカ
- 山口県×キジハタ
- 山口県×マダイ
- 山口県×ヒラマサ
- 徳島県×ブリ
- 徳島県×マアジ
- 徳島県×カンパチ
- 徳島県×チダイ
- 徳島県×イサキ
- 香川県×マダイ
- 香川県×アオリイカ
- 香川県×シロギス
- 香川県×ヒラメ
- 香川県×キジハタ
- 愛媛県×マダイ
- 愛媛県×ブリ
- 愛媛県×キジハタ
- 愛媛県×カサゴ
- 愛媛県×マアジ
- 高知県×カンパチ
- 高知県×イサキ
- 高知県×マアジ
- 高知県×マダイ
- 高知県×チダイ
- 福岡県×マダイ
- 福岡県×ヤリイカ
- 福岡県×ケンサキイカ
- 福岡県×ブリ
- 福岡県×ヒラマサ
- 佐賀県×サワラ
- 佐賀県×ブリ
- 佐賀県×アオリイカ
- 佐賀県×マダイ
- 佐賀県×マアジ
- 長崎県×マダイ
- 長崎県×キジハタ
- 長崎県×オオモンハタ
- 長崎県×ブリ
- 長崎県×ヒラマサ
- 熊本県×マダイ
- 熊本県×タチウオ
- 熊本県×キジハタ
- 熊本県×カサゴ
- 熊本県×ヒラメ
- 鹿児島県×カンパチ
- 鹿児島県×オオモンハタ
- 鹿児島県×アカハタ
- 鹿児島県×マダイ
- 鹿児島県×ケンサキイカ
- 沖縄県×スジアラ
- 沖縄県×キハダ
- 沖縄県×タカサゴ
- 沖縄県×バラハタ
- 沖縄県×クエ













































ありがとうございました!