-
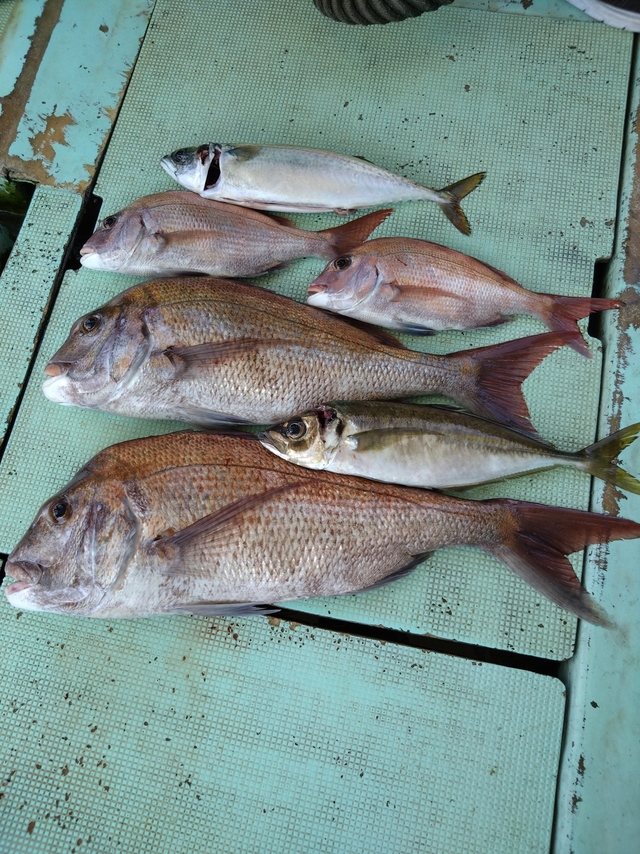
多部丸
和歌山県 和歌山市 加太港150日前釣行日:2025年12月7日(日)中潮サバ
(マサバ)43~47cm 合計6匹 アジ 30~44cm 合計8匹 釣行当日の潮汐
200 0 -40 0:00 6:00 12:00 18:00 24:00釣行当日の気象
-
日の出
06:52
日の入
16:50
-
月の出
19:06
月の入
09:18
-
天気
晴れ
-
気温
17℃/5℃
-
気圧
1024.1hPa
-
風
西南西
0.8m/s -
波
南
0.2m/s -
水温
18.3℃
-
潮
中潮
-
月齢
16.8
-
BI
9.1
釣行当日の気象情報を表示 釣行当日の気象情報を隠す -
第十八利蜂丸
和歌山県 和歌山市 市堀川沿い151日前釣行日:2025年12月6日(土)大潮サバ
(マサバ)38~50cm 合計11匹 アジ 28~45cm 合計9匹 マダイ 30cm 合計1匹 シロアマダイ 27~38cm 合計3匹 本日はアマダイ五目便にて出船しました。 お客さん初めての高仕掛け釣りで、最初は仕掛けの長さに苦戦していましたが、徐々に慣れて、50センチのサバ45センチの鯵が釣れて良かったです。 まだまだ良型のサバ鯵が釣れていますので、是非釣りに来てください。お待ちしております。本日はありがとうございました。
釣行当日の潮汐
200 0 -40 0:00 6:00 12:00 18:00 24:00釣行当日の気象
-
日の出
06:51
日の入
16:50
-
月の出
17:53
月の入
08:16
-
天気
晴れ
-
気温
14℃/3℃
-
気圧
1025.5hPa
-
風
南南東
0.9m/s -
波
南西
0.2m/s -
水温
18.3℃
-
潮
大潮
-
月齢
15.8
-
BI
9.0
釣行当日の気象情報を表示 釣行当日の気象情報を隠す -
海斗丸
和歌山県 和歌山市 加太港151日前釣行日:2025年12月6日(土)大潮マサバ
43~48cm 合計2匹 タイ 38~53cm 合計2匹 メジロ 70cm 合計1匹 アジ 37~42cm 合計4匹 ありがとうございました!
釣行当日の潮汐
200 0 -40 0:00 6:00 12:00 18:00 24:00釣行当日の気象
-
日の出
06:51
日の入
16:50
-
月の出
17:53
月の入
08:16
-
天気
晴れ
-
気温
14℃/3℃
-
気圧
1025.5hPa
-
風
南南東
0.9m/s -
波
南南西
0.2m/s -
水温
18.3℃
-
潮
大潮
-
月齢
15.8
-
BI
8.8
釣行当日の気象情報を表示 釣行当日の気象情報を隠す -
海斗丸
和歌山県 和歌山市 加太港151日前釣行日:2025年12月6日(土)大潮マサバ
39~44cm 合計4匹 タイ 39~40cm 合計2匹 ハマチ 48cm 合計1匹 アジ 38cm 合計1匹 ありがとうございました!
釣行当日の潮汐
200 0 -40 0:00 6:00 12:00 18:00 24:00釣行当日の気象
-
日の出
06:51
日の入
16:50
-
月の出
17:53
月の入
08:16
-
天気
晴れ
-
気温
14℃/3℃
-
気圧
1025.5hPa
-
風
南南東
0.9m/s -
波
南南西
0.2m/s -
水温
18.3℃
-
潮
大潮
-
月齢
15.8
-
BI
8.8
釣行当日の気象情報を表示 釣行当日の気象情報を隠す -
多部丸
和歌山県 和歌山市 加太港151日前釣行日:2025年12月6日(土)大潮サバ
(マサバ)41~43cm 合計2匹 タイ 44~45cm 合計2匹 アジ 27~38cm 合計11匹 ありがとうございました!
釣行当日の潮汐
200 0 -40 0:00 6:00 12:00 18:00 24:00釣行当日の気象
-
日の出
06:51
日の入
16:50
-
月の出
17:53
月の入
08:16
-
天気
晴れ
-
気温
14℃/3℃
-
気圧
1025.5hPa
-
風
南南東
0.9m/s -
波
南南西
0.2m/s -
水温
18.3℃
-
潮
大潮
-
月齢
15.8
-
BI
8.8
釣行当日の気象情報を表示 釣行当日の気象情報を隠す -
多部丸
和歌山県 和歌山市 加太港151日前釣行日:2025年12月6日(土)大潮サバ
(マサバ)43~45cm 合計2匹 タイ 38~51cm 合計2匹 サワラ 64cm 合計1匹 アジ 33~44cm 合計3匹 ありがとうございました!
釣行当日の潮汐
200 0 -40 0:00 6:00 12:00 18:00 24:00釣行当日の気象
-
日の出
06:51
日の入
16:50
-
月の出
17:53
月の入
08:16
-
天気
晴れ
-
気温
14℃/3℃
-
気圧
1025.5hPa
-
風
南南東
0.9m/s -
波
南南西
0.2m/s -
水温
18.3℃
-
潮
大潮
-
月齢
15.8
-
BI
8.8
釣行当日の気象情報を表示 釣行当日の気象情報を隠す -
角漁丸
和歌山県 和歌山市 加太港152日前釣行日:2025年12月5日(金)大潮マサバ
マダイ マアジ 今日もお一人での乗船。真鯛真鯵真鯖風の釣りでした。
釣行当日の潮汐
200 0 -40 0:00 6:00 12:00 18:00 24:00釣行当日の気象
-
日の出
06:50
日の入
16:50
-
月の出
16:46
月の入
07:05
-
天気
晴れ時々曇り
-
気温
11℃/3℃
-
気圧
1022.2hPa
-
風
西北西
5.1m/s -
波
西南西
0.4m/s -
水温
18.5℃
-
潮
大潮
-
月齢
14.8
-
BI
7.9
釣行当日の気象情報を表示 釣行当日の気象情報を隠す -
角漁丸
和歌山県 和歌山市 加太港154日前釣行日:2025年12月3日(水)大潮マサバ
マダイ マアジ 本日は小物釣り。真鯛真鯵真鯖ご乗船ありがとうございました。
釣行当日の潮汐
200 0 -40 0:00 6:00 12:00 18:00 24:00釣行当日の気象
-
日の出
06:48
日の入
16:50
-
月の出
15:02
月の入
04:30
-
天気
曇り
-
気温
14℃/4℃
-
気圧
1015.1hPa
-
風
北西
5.7m/s -
波
北西
0.3m/s -
水温
19.0℃
-
潮
大潮
-
月齢
12.8
-
BI
7.5
釣行当日の気象情報を表示 釣行当日の気象情報を隠す -
一栄丸
和歌山県 和歌山市 加太港154日前釣行日:2025年12月3日(水)大潮マサバ
37~45cm 合計8匹 マアジ 25~45cm 合計21匹 ブリ 84cm 合計1匹 友成様、本日はありがとうございました。
釣行当日の潮汐
200 0 -40 0:00 6:00 12:00 18:00 24:00釣行当日の気象
-
日の出
06:48
日の入
16:50
-
月の出
15:02
月の入
04:30
-
天気
曇り
-
気温
14℃/4℃
-
気圧
1015.1hPa
-
風
北西
5.7m/s -
波
北西
0.3m/s -
水温
19.0℃
-
潮
大潮
-
月齢
12.8
-
BI
7.5
釣行当日の気象情報を表示 釣行当日の気象情報を隠す -
海斗丸
和歌山県 和歌山市 加太港154日前釣行日:2025年12月3日(水)大潮マサバ
40~44cm 合計9匹 アジ 28~43cm 合計8匹 ありがとうございました!
釣行当日の潮汐
200 0 -40 0:00 6:00 12:00 18:00 24:00釣行当日の気象
-
日の出
06:48
日の入
16:50
-
月の出
15:02
月の入
04:30
-
天気
曇り
-
気温
14℃/4℃
-
気圧
1015.1hPa
-
風
北西
5.7m/s -
波
北西
0.3m/s -
水温
19.0℃
-
潮
大潮
-
月齢
12.8
-
BI
7.5
釣行当日の気象情報を表示 釣行当日の気象情報を隠す -
遊漁船拓丸
和歌山県 和歌山市 市堀川沿い155日前釣行日:2025年12月2日(火)中潮サバ
(マサバ)タチウオ サゴシ ハマチ ツバス ジギング便。 ヒットルアーはフィッシングマックスで販売されているアズーロ、ルンゴスティック200g。 ベイトが小タチウオで完全にタチパターンですね。
釣行当日の潮汐
200 0 -40 0:00 6:00 12:00 18:00 24:00釣行当日の気象
-
日の出
06:48
日の入
16:50
-
月の出
14:23
月の入
03:16
-
天気
晴れ時々曇り
-
気温
19℃/9℃
-
気圧
1017.3hPa
-
風
北東
1.5m/s -
波
南南西
0.2m/s -
水温
19.3℃
-
潮
中潮
-
月齢
11.8
-
BI
7.3
釣行当日の気象情報を表示 釣行当日の気象情報を隠す -
海斗丸
和歌山県 和歌山市 加太港155日前釣行日:2025年12月2日(火)中潮マサバ
39~51cm 合計22匹 メジロ 71cm 合計1匹 アジ 33~42cm 合計11匹 タイ 31cm 合計1匹 ありがとうございました!
釣行当日の潮汐
200 0 -40 0:00 6:00 12:00 18:00 24:00釣行当日の気象
-
日の出
06:48
日の入
16:50
-
月の出
14:23
月の入
03:16
-
天気
晴れ時々曇り
-
気温
19℃/9℃
-
気圧
1017.3hPa
-
風
北東
1.5m/s -
波
南南西
0.2m/s -
水温
19.3℃
-
潮
中潮
-
月齢
11.8
-
BI
7.0
釣行当日の気象情報を表示 釣行当日の気象情報を隠す -
多部丸
和歌山県 和歌山市 加太港155日前釣行日:2025年12月2日(火)中潮サバ
(マサバ)40cm 合計1匹 タイ 38~52cm 合計4匹 アジ 41~43cm 合計2匹 ありがとうございました!
釣行当日の潮汐
200 0 -40 0:00 6:00 12:00 18:00 24:00釣行当日の気象
-
日の出
06:48
日の入
16:50
-
月の出
14:23
月の入
03:16
-
天気
晴れ時々曇り
-
気温
19℃/9℃
-
気圧
1017.3hPa
-
風
北東
1.5m/s -
波
南南西
0.2m/s -
水温
19.3℃
-
潮
中潮
-
月齢
11.8
-
BI
7.0
釣行当日の気象情報を表示 釣行当日の気象情報を隠す -
山田丸
和歌山県 和歌山市 加太港156日前釣行日:2025年12月1日(月)中潮マサバ
45cm 合計1匹 マダイ 35~40cm 合計2匹 真鯛の引きはあるものの、ヒットは渋め…そんな中の35センチ40センチの真鯛の釣果は価値あり!(*^^*)
釣行当日の潮汐
200 0 -40 0:00 6:00 12:00 18:00 24:00釣行当日の気象
-
日の出
06:47
日の入
16:50
-
月の出
13:51
月の入
02:06
-
天気
晴れ後時々曇り
-
気温
20℃/11℃
-
気圧
1019.2hPa
-
風
東南東
0.7m/s -
波
南
0.2m/s -
水温
19.5℃
-
潮
中潮
-
月齢
10.8
-
BI
7.6
釣行当日の気象情報を表示 釣行当日の気象情報を隠す -
海斗丸
和歌山県 和歌山市 加太港156日前釣行日:2025年12月1日(月)中潮マサバ
37~38cm 合計2匹 タイ 45~50cm 合計2匹 サワラ 94cm 合計1匹 メジロ 70~74cm 合計12匹 アジ 24~34cm 合計3匹 ありがとうございました!
釣行当日の潮汐
200 0 -40 0:00 6:00 12:00 18:00 24:00釣行当日の気象
-
日の出
06:47
日の入
16:50
-
月の出
13:51
月の入
02:06
-
天気
晴れ後時々曇り
-
気温
20℃/11℃
-
気圧
1019.2hPa
-
風
東南東
0.7m/s -
波
南
0.2m/s -
水温
19.5℃
-
潮
中潮
-
月齢
10.8
-
BI
7.6
釣行当日の気象情報を表示 釣行当日の気象情報を隠す
和歌山県の人気魚種の釣果情報
- 和歌山県×マダイ
- 和歌山県×ブリ
- 和歌山県×マアジ
- 和歌山県×イサキ
- 和歌山県×カサゴ
- 和歌山県×アカアマダイ
- 和歌山県×ゴマサバ
- 和歌山県×ヒラメ
- 和歌山県×ヒラマサ
- 和歌山県×マダコ
- 和歌山県×キジハタ
- 和歌山県×アオリイカ
- 和歌山県×スズキ
- 和歌山県×サワラ
- 和歌山県×カンパチ
- 和歌山県×メバル
- 和歌山県×シロギス
- 和歌山県×タチウオ
- 和歌山県×ケンサキイカ
- 和歌山県×オニカサゴ
- 和歌山県×マハタ
- 和歌山県×クロダイ
- 和歌山県×アカムツ
- 和歌山県×チダイ
- 和歌山県×マゴチ
- 和歌山県×クロムツ
- 和歌山県×スルメイカ
- 和歌山県×アカハタ
- 和歌山県×アオハタ
- 和歌山県×キハダ
- 和歌山県×キダイ
- 和歌山県×シロアマダイ
- 和歌山県×キンメダイ
- 和歌山県×アラ
- 和歌山県×カワハギ
- 和歌山県×カツオ
- 和歌山県×ホウボウ
- 和歌山県×メダイ
- 和歌山県×メジナ
- 和歌山県×カイワリ
- 和歌山県×ショウサイフグ
- 和歌山県×チカメキントキ
- 和歌山県×シログチ
- 和歌山県×オオモンハタ
- 和歌山県×イトヨリダイ
- 和歌山県×シマアジ
- 和歌山県×マコガレイ
- 和歌山県×ウスメバル
- 和歌山県×シイラ
- 和歌山県×ウッカリカサゴ
- 和歌山県×メバチ
- 和歌山県×アコウダイ
- 和歌山県×ウメイロ
- 和歌山県×クログチ
- 和歌山県×イシダイ
- 和歌山県×ウマヅラハギ
- 和歌山県×タカサゴ
- 和歌山県×クエ
- 和歌山県×アカイサキ
- 和歌山県×トラフグ
- 和歌山県×メイチダイ
- 和歌山県×マアナゴ
- 和歌山県×ロウニンアジ
- 和歌山県×アヤメカサゴ
- 和歌山県×ムツ
- 和歌山県×ホウキハタ
- 和歌山県×マサバ
- 和歌山県×ハマフエフキ
- 和歌山県×ハチビキ
- 和歌山県×キチヌ
- 和歌山県×シロサバフグ
- 和歌山県×ムロアジ
- 和歌山県×カナガシラ
- 和歌山県×コロダイ
- 和歌山県×ヒメダイ
- 和歌山県×スマ
- 和歌山県×ヒラソウダ
- 和歌山県×マトウダイ
- 和歌山県×ヘダイ
- 和歌山県×コウイカ
- 和歌山県×カミナリイカ
- 和歌山県×シロダイ
- 和歌山県×オニオコゼ
各都道府県の人気魚種の釣果情報
- 岩手県×スルメイカ
- 岩手県×マダラ
- 岩手県×ブリ
- 岩手県×マコガレイ
- 岩手県×ヒラメ
- 宮城県×ヒラメ
- 宮城県×マアジ
- 宮城県×アイナメ
- 宮城県×マコガレイ
- 宮城県×メバル
- 福島県×マダイ
- 福島県×ヒラメ
- 福島県×チダイ
- 福島県×キツネメバル
- 福島県×アイナメ
- 茨城県×マダイ
- 茨城県×ブリ
- 茨城県×ヒラメ
- 茨城県×マダコ
- 茨城県×カサゴ
- 埼玉県×サワラ
- 埼玉県×タチウオ
- 埼玉県×マダイ
- 埼玉県×マアジ
- 埼玉県×ホウボウ
- 千葉県×マダイ
- 千葉県×ヒラメ
- 千葉県×マアジ
- 千葉県×イサキ
- 千葉県×マハタ
- 東京都×マアジ
- 東京都×タチウオ
- 東京都×シロギス
- 東京都×マダコ
- 東京都×スズキ
- 神奈川県×マアジ
- 神奈川県×マダイ
- 神奈川県×ブリ
- 神奈川県×アカアマダイ
- 神奈川県×タチウオ
- 新潟県×マダイ
- 新潟県×ブリ
- 新潟県×マアジ
- 新潟県×ゴマサバ
- 新潟県×キダイ
- 富山県×アオリイカ
- 富山県×マダイ
- 富山県×ブリ
- 富山県×キジハタ
- 富山県×アオハタ
- 石川県×ブリ
- 石川県×キジハタ
- 石川県×マダイ
- 石川県×カサゴ
- 石川県×ウッカリカサゴ
- 福井県×ケンサキイカ
- 福井県×マダイ
- 福井県×アオリイカ
- 福井県×スルメイカ
- 福井県×マアジ
- 静岡県×マダイ
- 静岡県×イサキ
- 静岡県×マアジ
- 静岡県×ブリ
- 静岡県×タチウオ
- 愛知県×ブリ
- 愛知県×マダイ
- 愛知県×タチウオ
- 愛知県×ホウボウ
- 愛知県×ヒラメ
- 三重県×ブリ
- 三重県×マダイ
- 三重県×ヒラメ
- 三重県×カサゴ
- 三重県×マアジ
- 京都府×ケンサキイカ
- 京都府×ブリ
- 京都府×マダイ
- 京都府×スルメイカ
- 京都府×アオリイカ
- 大阪府×マダイ
- 大阪府×サワラ
- 大阪府×ブリ
- 大阪府×スズキ
- 大阪府×タチウオ
- 兵庫県×ブリ
- 兵庫県×マダイ
- 兵庫県×マダコ
- 兵庫県×サワラ
- 兵庫県×タチウオ
- 和歌山県×マダイ
- 和歌山県×ブリ
- 和歌山県×マアジ
- 和歌山県×イサキ
- 和歌山県×シロアマダイ
- 鳥取県×ケンサキイカ
- 鳥取県×アオリイカ
- 鳥取県×マダイ
- 鳥取県×スルメイカ
- 鳥取県×アオハタ
- 島根県×ケンサキイカ
- 島根県×スルメイカ
- 島根県×ゴマサバ
- 島根県×マアジ
- 島根県×コウイカ
- 岡山県×スズキ
- 岡山県×マダイ
- 岡山県×ヒラメ
- 岡山県×キジハタ
- 岡山県×クロダイ
- 広島県×マダイ
- 広島県×ブリ
- 広島県×キジハタ
- 広島県×サワラ
- 広島県×シロギス
- 山口県×ケンサキイカ
- 山口県×アオリイカ
- 山口県×キジハタ
- 山口県×ブリ
- 山口県×マダイ
- 徳島県×ブリ
- 徳島県×マアジ
- 徳島県×チダイ
- 徳島県×イサキ
- 徳島県×キダイ
- 香川県×マダイ
- 香川県×アオリイカ
- 香川県×キジハタ
- 香川県×シロギス
- 香川県×クロダイ
- 愛媛県×マダイ
- 愛媛県×ブリ
- 愛媛県×キジハタ
- 愛媛県×タチウオ
- 愛媛県×マダコ
- 高知県×カンパチ
- 高知県×イサキ
- 高知県×アカアマダイ
- 高知県×マダイ
- 高知県×マアジ
- 福岡県×マダイ
- 福岡県×ヤリイカ
- 福岡県×ケンサキイカ
- 福岡県×ヒラマサ
- 福岡県×ブリ
- 佐賀県×ヒラマサ
- 佐賀県×マダイ
- 佐賀県×アカアマダイ
- 佐賀県×キダイ
- 佐賀県×キジハタ
- 長崎県×マダイ
- 長崎県×キジハタ
- 長崎県×オオモンハタ
- 長崎県×アオハタ
- 長崎県×ブリ
- 熊本県×マダイ
- 熊本県×ヒラメ
- 熊本県×キジハタ
- 熊本県×メバル
- 熊本県×カサゴ
- 鹿児島県×カンパチ
- 鹿児島県×オオモンハタ
- 鹿児島県×マダイ
- 鹿児島県×ケンサキイカ
- 鹿児島県×バラハタ
- 沖縄県×スジアラ
- 沖縄県×キハダ
- 沖縄県×バラハタ
- 沖縄県×ハマフエフキ
- 沖縄県×クエ













































ありがとうございました!