-
弘漁丸
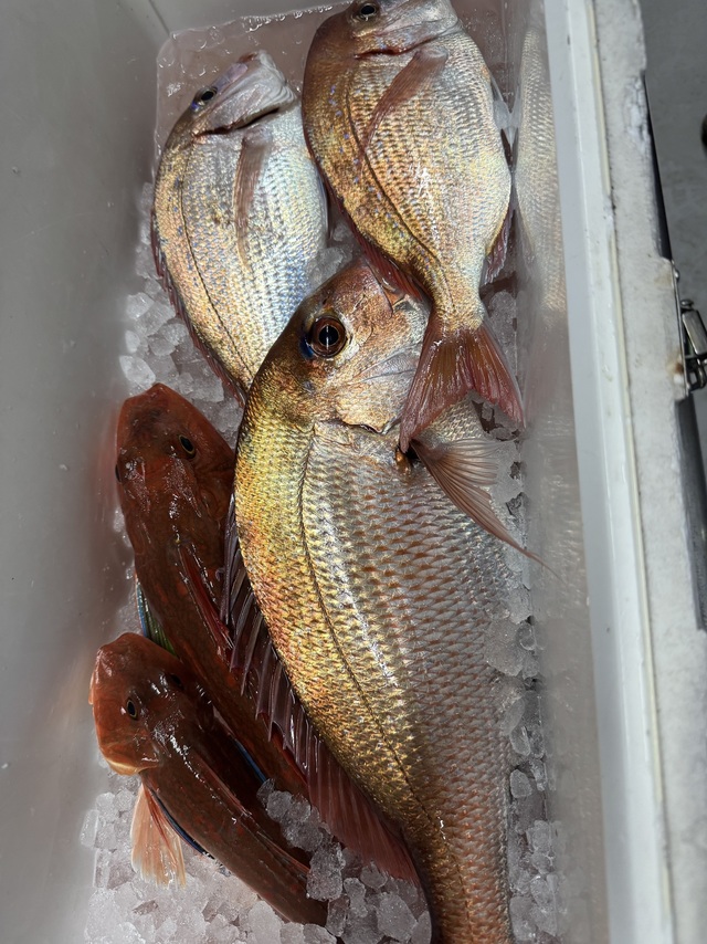
茨城県 日立市 久慈漁港325日前釣行日:2025年4月17日(木)中潮マダイ
0.30~1.50kg 1~10匹 タチウオ 6~32匹 釣行当日の潮汐
200 0 -40 0:00 6:00 12:00 18:00 24:00釣行当日の気象
-
日の出
05:01
日の入
18:14
-
月の出
22:30
月の入
06:56
-
天気
晴れ時々曇り
-
気温
25℃/7℃
-
気圧
1015.1hPa
-
風
南南西
0.8m/s -
波
東
0.4m/s -
水温
14.6℃
-
潮
中潮
-
月齢
18.7
-
BI
7.6
釣行当日の気象情報を表示 釣行当日の気象情報を隠す -
義心丸
茨城県 鹿嶋市 鹿嶋旧港325日前釣行日:2025年4月17日(木)中潮マダイ
1.70~2.30kg ホウボウ ハナダイ メバル フグ 明日は午前・午後テンヤで大募集中です。19日(土)20日(日)もガラガラなので宜しくお願いします。
釣行当日の潮汐
200 0 -40 0:00 6:00 12:00 18:00 24:00釣行当日の気象
-
日の出
05:02
日の入
18:13
-
月の出
22:28
月の入
06:58
-
天気
晴れ時々曇り
-
気温
22℃/11℃
-
気圧
1015.1hPa
-
風
南
1.0m/s -
波
東
0.4m/s -
水温
15.0℃
-
潮
中潮
-
月齢
18.7
-
BI
7.6
釣行当日の気象情報を表示 釣行当日の気象情報を隠す -
大栄丸
茨城県 鹿嶋市 鹿嶋新港325日前釣行日:2025年4月17日(木)中潮マダイ
0.80~2.86kg 0~2匹 カサゴ 本日午前マダイ船! 朝の内あたりポツポツあり鯛の型はありましたが、カサゴなどのゲストが多かったのですが 途中移動して少しすると良型ゲット! その後も流していると良型が上がりました! その他魚種も豊富で皆さんお土産になりました! 本日ご乗船の皆様、いつもありがとうございます、またのご釣行、こころよりお待ちしております!
釣行当日の潮汐
200 0 -40 0:00 6:00 12:00 18:00 24:00釣行当日の気象
-
日の出
05:02
日の入
18:13
-
月の出
22:28
月の入
06:57
-
天気
晴れ時々曇り
-
気温
22℃/11℃
-
気圧
1015.1hPa
-
風
南
1.0m/s -
波
東北東
0.4m/s -
水温
15.0℃
-
潮
中潮
-
月齢
18.7
-
BI
7.6
釣行当日の気象情報を表示 釣行当日の気象情報を隠す -
第五悌栄丸
茨城県 鹿嶋市 鹿嶋新港325日前釣行日:2025年4月17日(木)中潮マダイ
0.30~4.70kg 0~3匹 午前マダイ、大鯛連発!! 徐々に喰い始め、4.7キロ•4.1キロの大鯛を筆頭に喰いました。 大鯛連発でした。 潮色も昨日に比べたら良くなってきたので、明日からに期待しましょう! お乗り頂いたお客様お疲れ様でした。 明日の午後も急遽大募集中です。 現在1名で集客あれば出船しますのでお待ちしてます。
釣行当日の潮汐
200 0 -40 0:00 6:00 12:00 18:00 24:00釣行当日の気象
-
日の出
05:02
日の入
18:13
-
月の出
22:28
月の入
06:57
-
天気
晴れ時々曇り
-
気温
22℃/11℃
-
気圧
1015.1hPa
-
風
南
1.0m/s -
波
東北東
0.4m/s -
水温
15.0℃
-
潮
中潮
-
月齢
18.7
-
BI
7.6
釣行当日の気象情報を表示 釣行当日の気象情報を隠す -
桜井丸
茨城県 鹿嶋市 鹿嶋新港325日前釣行日:2025年4月17日(木)中潮マダイ
1.20~3.80kg 0~2匹 ホウボウ サバ メバル カサゴ ハナダイ 真鯛22号船
釣行当日の潮汐
200 0 -40 0:00 6:00 12:00 18:00 24:00釣行当日の気象
-
日の出
05:02
日の入
18:13
-
月の出
22:28
月の入
06:57
-
天気
晴れ時々曇り
-
気温
22℃/11℃
-
気圧
1015.1hPa
-
風
南
1.0m/s -
波
東北東
0.4m/s -
水温
15.0℃
-
潮
中潮
-
月齢
18.7
-
BI
7.6
釣行当日の気象情報を表示 釣行当日の気象情報を隠す -
山千丸
茨城県 鹿嶋市 鹿嶋旧港325日前釣行日:2025年4月17日(木)中潮マダイ
最大3.70kg カサゴ ホウボウ ショウサイフグ メバル 前半真鯛は口を使ってくれません、カサゴ、ホウボウ、ショウサイフグ、メバルが上がる。後半、タイラバで3,7kgの鯛が上がる。竿頭は、鹿嶋市の上甲様でした。
釣行当日の潮汐
200 0 -40 0:00 6:00 12:00 18:00 24:00釣行当日の気象
-
日の出
05:02
日の入
18:13
-
月の出
22:28
月の入
06:58
-
天気
晴れ時々曇り
-
気温
22℃/11℃
-
気圧
1015.1hPa
-
風
南
1.0m/s -
波
東
0.4m/s -
水温
15.0℃
-
潮
中潮
-
月齢
18.7
-
BI
7.6
釣行当日の気象情報を表示 釣行当日の気象情報を隠す -
長岡丸
茨城県 鹿嶋市 鹿嶋旧港325日前釣行日:2025年4月17日(木)中潮マダイ
1.26~2.75kg 0~4匹 ◆午後テンヤ船 サイズ1.26~2.75kg0~4枚 1キロ代4枚、2キロ代4枚 竿頭、田沼さん 外道、ハナダイ、ホウボウ、ショウサイフグ 午後は前半当たり無く、場所移動後、ポツポツ当たり中鯛主体に上がりました。大鯛ヒットも有りましたが、ラインブレイクでした。 ご乗船の皆さん、大変お疲れ様でした。ありがとうございました。またのお越しをお待ちしております。
釣行当日の潮汐
200 0 -40 0:00 6:00 12:00 18:00 24:00釣行当日の気象
-
日の出
05:02
日の入
18:13
-
月の出
22:28
月の入
06:58
-
天気
晴れ時々曇り
-
気温
22℃/11℃
-
気圧
1015.1hPa
-
風
南
1.0m/s -
波
東
0.4m/s -
水温
15.0℃
-
潮
中潮
-
月齢
18.7
-
BI
7.6
釣行当日の気象情報を表示 釣行当日の気象情報を隠す -
大貫丸
茨城県 日立市 久慈漁港325日前釣行日:2025年4月17日(木)中潮マダイ
0.30~4.10kg 0~2匹 タチウオ 85~130cm 5~25匹 ★テンヤマダイ船 大鯛4.1kg、2.2kg、1.4kgヒット!! 良型混じり良い人2匹でした!! 他に、ハナダイ、カサゴ、メバル、ホウボウ、カンダイ、ショウサイフグなど! ★タチウオ船 ドラゴン級タチウオ多数混じり良い人25匹でした!!
釣行当日の潮汐
200 0 -40 0:00 6:00 12:00 18:00 24:00釣行当日の気象
-
日の出
05:01
日の入
18:14
-
月の出
22:30
月の入
06:56
-
天気
晴れ時々曇り
-
気温
25℃/7℃
-
気圧
1015.1hPa
-
風
南南西
0.8m/s -
波
東
0.4m/s -
水温
14.6℃
-
潮
中潮
-
月齢
18.7
-
BI
7.6
釣行当日の気象情報を表示 釣行当日の気象情報を隠す -
不動丸
茨城県 鹿嶋市 鹿嶋旧港325日前釣行日:2025年4月17日(木)中潮マダイ
0.20~4.10kg 0~5匹 トラフグ 1.00~2.00kg 0~1匹 テンヤ真鯛 前日の水色の悪さから沖のポイントから入り、本命は出ませんでしたが良型ワラサが猛威を奮いお祭りしながらポツポツとw中には、トラフグも上がり高級ゲストも^_^ 中盤以降、ポイントを灘に入れ直し、だいぶ回復したのか、小型の本命やらハナダイ、ホウボウ、カサゴ、フグとゲスト多彩に釣れ始め、チョー大物バラシからの4キロ真鯛も出現し、キロ前後の真鯛も時より釣れましたー! 明日は、条件揃えば復調したテンヤ真鯛船に期待です! シケ後、活エビが底をつきましたが、明日から活エビ復活です! サメ等、活エビ使用してると絶好調に掛かってしまう場合がございますので、そんな時は冷凍エビで本命のみ!狙うも良し、活エビでゲストも釣りながら楽しむのも良しと、選択して遊んでくださいね~!
釣行当日の潮汐
200 0 -40 0:00 6:00 12:00 18:00 24:00釣行当日の気象
-
日の出
05:02
日の入
18:13
-
月の出
22:28
月の入
06:58
-
天気
晴れ時々曇り
-
気温
22℃/11℃
-
気圧
1015.1hPa
-
風
南
1.0m/s -
波
東
0.4m/s -
水温
15.0℃
-
潮
中潮
-
月齢
18.7
-
BI
7.6
釣行当日の気象情報を表示 釣行当日の気象情報を隠す -
長岡丸
茨城県 鹿嶋市 鹿嶋旧港325日前釣行日:2025年4月17日(木)中潮マダイ
0.30~5.28kg 0~2匹 ◆午前テンヤ船、 サイズ0.3~5.28kg0~2枚 外道、ハナダイ、ホウボウ、ワラサ、イナダ、ショウサイフグ 午前は潮濁り、流れ悪く当たり少なくも大鯛、中鯛上がりました。昨日よりは濁りも取れ始めたので今後も楽しみです。 ご乗船の皆さん、大変お疲れ様でした。ありがとうございました。またのお越しをお待ちしております。 明日はショウサイフグ船、テンヤ真鯛午前、午後船が出船します。宜しくお願い致します。
釣行当日の潮汐
200 0 -40 0:00 6:00 12:00 18:00 24:00釣行当日の気象
-
日の出
05:02
日の入
18:13
-
月の出
22:28
月の入
06:58
-
天気
晴れ時々曇り
-
気温
22℃/11℃
-
気圧
1015.1hPa
-
風
南
1.0m/s -
波
東
0.4m/s -
水温
15.0℃
-
潮
中潮
-
月齢
18.7
-
BI
7.6
釣行当日の気象情報を表示 釣行当日の気象情報を隠す -
大春丸
茨城県 鹿嶋市 鹿嶋旧港325日前釣行日:2025年4月17日(木)中潮マダイ
0.80~2.46kg 1~2匹 テンヤ真鯛午前船! 釣果 1~2匹(竿頭鉾田市の堤さん・神栖市の吉村さん・つくば市の河北さん) サイズ 0.8~2.46kg 状況 今日は海上は穏やかになりあたりも取りやすく朝から良型の真鯛が 多数掛かりました。 2.46kg・2.30kg・1.52kg・1.26kg・1.52kg 1.08kg・1.02kg・1.0kg他・・・ 今日は外道も多くワラサ多数・ホウボウ多数・ハナダイ カンパチ・ガンゾウヒラメなどクーラー満載でお見上げ十分!
釣行当日の潮汐
200 0 -40 0:00 6:00 12:00 18:00 24:00釣行当日の気象
-
日の出
05:02
日の入
18:13
-
月の出
22:28
月の入
06:58
-
天気
晴れ時々曇り
-
気温
22℃/11℃
-
気圧
1015.1hPa
-
風
南
1.0m/s -
波
東
0.4m/s -
水温
15.0℃
-
潮
中潮
-
月齢
18.7
-
BI
7.6
釣行当日の気象情報を表示 釣行当日の気象情報を隠す -
幸栄丸
茨城県 鹿嶋市 鹿嶋旧港325日前釣行日:2025年4月17日(木)中潮マダイ
1.30~4.40kg 0~3匹 ハナダイ 25~35cm 2~12匹 内訳)4.4kg・3.2kg・2.8kg・2.5kg・2.3kg・1.7kg・1.7kg・1.6kg・1.6kg・1.6kg・1.5kg・1.5kg・1.4kg・1.3kg 朝から良型主体で好調!!潮流れ程よくハナダイもコンスタントに当たってお土産に!マダイは上がれば良型ばかり! 今後も期待できそうです!!
釣行当日の潮汐
200 0 -40 0:00 6:00 12:00 18:00 24:00釣行当日の気象
-
日の出
05:02
日の入
18:13
-
月の出
22:28
月の入
06:58
-
天気
晴れ時々曇り
-
気温
22℃/11℃
-
気圧
1015.1hPa
-
風
南
1.0m/s -
波
東
0.4m/s -
水温
15.0℃
-
潮
中潮
-
月齢
18.7
-
BI
7.6
釣行当日の気象情報を表示 釣行当日の気象情報を隠す -
宗和丸
茨城県 鹿嶋市 鹿嶋新港325日前釣行日:2025年4月17日(木)中潮マダイ
0.80~2.80kg 0~4匹 ハナダイ 0.40~0.70kg 1~6匹 ホウボウ 25~40cm 0~2匹 カナガシラ 20~22cm 0~2匹 ショウサイフグ 15~25cm 0~7匹 マゴチ 35cm 合計1匹 ワラサ 65~80cm 0~2匹 午前テンヤ真鯛船 北のポイント 沖から狙いましたが 当たり少なく、 浅場に移動すると 真鯛、ハナダイ、ポロポロ掛かり 真鯛は、 2、8キロ 2、4キロ 2、3キロ 1、7キロ 1、2キロ 1、0キロ 0、8キロ。 ゲットした方は、おめでとうございます!今日は、活き餌の方が掛かりよかったですよ~(^o^)/ 本日の竿頭さんは、 埼玉県から、お越しの「長谷川様」 1人で真鯛4枚ゲットおめでとうございます! ダメだった方は、リベンジお待ちしてますね~! お疲れさまでした!
釣行当日の潮汐
200 0 -40 0:00 6:00 12:00 18:00 24:00釣行当日の気象
-
日の出
05:02
日の入
18:13
-
月の出
22:28
月の入
06:57
-
天気
晴れ時々曇り
-
気温
22℃/11℃
-
気圧
1015.1hPa
-
風
南
1.0m/s -
波
東北東
0.4m/s -
水温
15.0℃
-
潮
中潮
-
月齢
18.7
-
BI
7.6
釣行当日の気象情報を表示 釣行当日の気象情報を隠す -
ことぶき丸
茨城県 日立市 会瀬漁港325日前釣行日:2025年4月17日(木)中潮マダイ
0.30~1.30kg 2~5匹 マハタ 28~35cm 0~1匹 メバル 28~32cm 0~2匹 カサゴ 25~30cm 0~2匹 一つテンヤマダイ、タイラバで出船しました。水温15.3℃ マダイ最大で1.3kgその他1.2kg、1.2kg、1kg、1kg、0.8kg...マダイ0.3~1.3kg2~5尾。ゲストでマゾイ、マハタ、カサゴ、メバル、カンパチ、カンダイ、ショウサイフグでした。本日、乗船の皆様ありがとうございました。 【お知らせ】 明日4月18日(金)は一つテンヤマダイで出船致します。お早いご予約お待ちしております。 ※一つテンヤマダイ集合4時30分に変更しました! ※誠に勝手ながら満船時の当日キャンセルは乗船料の100%頂きます。ご了承下さい! 一つテンヤマダイ 12,000円(エサ、氷、昼食付) 集合4時30分になります。 アマダイ、アマラバ 12,000円(エサ、氷、昼食付) 集合5時になります。 エギダコ 13,000円(氷、昼食付) 集合4時になります。 ご予約 電話090-1842-0165 お気軽にお電話下さいね!!
釣行当日の潮汐
200 0 -40 0:00 6:00 12:00 18:00 24:00釣行当日の気象
-
日の出
05:00
日の入
18:13
-
月の出
22:30
月の入
06:55
-
天気
晴れ時々曇り
-
気温
25℃/7℃
-
気圧
1015.1hPa
-
風
南南西
0.8m/s -
波
東
0.4m/s -
水温
14.6℃
-
潮
中潮
-
月齢
18.7
-
BI
7.5
釣行当日の気象情報を表示 釣行当日の気象情報を隠す -
植田丸
茨城県 鹿嶋市 鹿嶋旧港325日前釣行日:2025年4月17日(木)中潮マダイ
4.00kg 合計1匹 午前テンマキ船 マダイ、ハナダイ、カサゴ、ショウサイフグ、ホウボウなど 根回りは9割カサゴです まだまだ底潮が暗いのでしょうね マダイは4キロ、1.5キロほか小鯛サイズ数枚 砂地のポイントはアタリは少ないですが掛かれば良型サイズだったので こんなのがあればまた狙ってみましょう!! 明日 テンマキロング船 6時~18時予定 料金17000円+餌代 地獄の12時間戦です 耐えられる方お待ちしてます
釣行当日の潮汐
200 0 -40 0:00 6:00 12:00 18:00 24:00釣行当日の気象
-
日の出
05:02
日の入
18:13
-
月の出
22:28
月の入
06:58
-
天気
晴れ時々曇り
-
気温
22℃/11℃
-
気圧
1015.1hPa
-
風
南
1.0m/s -
波
東
0.4m/s -
水温
15.0℃
-
潮
中潮
-
月齢
18.7
-
BI
7.6
釣行当日の気象情報を表示 釣行当日の気象情報を隠す
茨城県の人気魚種の釣果情報
- 茨城県×マダイ
- 茨城県×ブリ
- 茨城県×マアジ
- 茨城県×アカアマダイ
- 茨城県×カサゴ
- 茨城県×ヒラメ
- 茨城県×イサキ
- 茨城県×ゴマサバ
- 茨城県×ヒラマサ
- 茨城県×メバル
- 茨城県×スズキ
- 茨城県×タチウオ
- 茨城県×サワラ
- 茨城県×ヤリイカ
- 茨城県×キジハタ
- 茨城県×オニカサゴ
- 茨城県×カンパチ
- 茨城県×マハタ
- 茨城県×カワハギ
- 茨城県×アカムツ
- 茨城県×チダイ
- 茨城県×クロダイ
- 茨城県×クロムツ
- 茨城県×アオハタ
- 茨城県×シロギス
- 茨城県×アカハタ
- 茨城県×キハダ
- 茨城県×ショウサイフグ
- 茨城県×キダイ
- 茨城県×キンメダイ
- 茨城県×スルメイカ
- 茨城県×シロアマダイ
- 茨城県×マゴチ
- 茨城県×ケンサキイカ
- 茨城県×マダコ
- 茨城県×ホウボウ
- 茨城県×クロソイ
- 茨城県×アラ
- 茨城県×メダイ
- 茨城県×シログチ
- 茨城県×オオモンハタ
- 茨城県×チカメキントキ
- 茨城県×ウスメバル
- 茨城県×マコガレイ
- 茨城県×シイラ
- 茨城県×アイナメ
- 茨城県×マダラ
- 茨城県×クロマグロ
- 茨城県×ウッカリカサゴ
- 茨城県×アコウダイ
- 茨城県×ウマヅラハギ
- 茨城県×イシダイ
- 茨城県×クエ
- 茨城県×トラフグ
- 茨城県×ムシガレイ
- 茨城県×ユメカサゴ
- 茨城県×キツネメバル
- 茨城県×コウイカ
- 茨城県×アブラボウズ
- 茨城県×アヤメカサゴ
- 茨城県×ムツ
- 茨城県×シロサバフグ
- 茨城県×キチヌ
- 茨城県×オオクチイシナギ
- 茨城県×マサバ
- 茨城県×アカメフグ
- 茨城県×アカヤガラ
- 茨城県×アカカマス
- 茨城県×マトウダイ
- 茨城県×ヒラソウダ
- 茨城県×キュウセン
各都道府県の人気魚種の釣果情報
- 岩手県×スルメイカ
- 岩手県×マダラ
- 岩手県×マコガレイ
- 岩手県×ブリ
- 岩手県×アイナメ
- 宮城県×ヒラメ
- 宮城県×マアジ
- 宮城県×アイナメ
- 宮城県×マコガレイ
- 宮城県×マダラ
- 福島県×マダイ
- 福島県×ヒラメ
- 福島県×チダイ
- 福島県×メバル
- 福島県×アイナメ
- 茨城県×マダイ
- 茨城県×ヒラメ
- 茨城県×ブリ
- 茨城県×マダコ
- 茨城県×カサゴ
- 埼玉県×サワラ
- 埼玉県×タチウオ
- 埼玉県×マダイ
- 埼玉県×ブリ
- 埼玉県×ホウボウ
- 千葉県×マダイ
- 千葉県×ヒラメ
- 千葉県×マアジ
- 千葉県×イサキ
- 千葉県×カサゴ
- 東京都×マアジ
- 東京都×タチウオ
- 東京都×シロギス
- 東京都×マダコ
- 東京都×スズキ
- 神奈川県×マアジ
- 神奈川県×マダイ
- 神奈川県×タチウオ
- 神奈川県×ブリ
- 神奈川県×アカアマダイ
- 新潟県×マダイ
- 新潟県×ブリ
- 新潟県×マアジ
- 新潟県×ゴマサバ
- 新潟県×キダイ
- 富山県×アオリイカ
- 富山県×マダイ
- 富山県×ブリ
- 富山県×キジハタ
- 富山県×カサゴ
- 石川県×ブリ
- 石川県×マダイ
- 石川県×キジハタ
- 石川県×マアジ
- 石川県×ウッカリカサゴ
- 福井県×ケンサキイカ
- 福井県×マダイ
- 福井県×アオリイカ
- 福井県×スルメイカ
- 福井県×マアジ
- 静岡県×マダイ
- 静岡県×マアジ
- 静岡県×イサキ
- 静岡県×タチウオ
- 静岡県×アカアマダイ
- 愛知県×ブリ
- 愛知県×マダイ
- 愛知県×タチウオ
- 愛知県×ホウボウ
- 愛知県×ヒラメ
- 三重県×ブリ
- 三重県×マダイ
- 三重県×ヒラメ
- 三重県×カサゴ
- 三重県×サワラ
- 京都府×ケンサキイカ
- 京都府×ブリ
- 京都府×マダイ
- 京都府×スルメイカ
- 京都府×アオリイカ
- 大阪府×マダイ
- 大阪府×ブリ
- 大阪府×サワラ
- 大阪府×スズキ
- 大阪府×カサゴ
- 兵庫県×ブリ
- 兵庫県×マダイ
- 兵庫県×マダコ
- 兵庫県×サワラ
- 兵庫県×タチウオ
- 和歌山県×マダイ
- 和歌山県×ブリ
- 和歌山県×マアジ
- 和歌山県×イサキ
- 和歌山県×シロアマダイ
- 鳥取県×ケンサキイカ
- 鳥取県×アオリイカ
- 鳥取県×スルメイカ
- 鳥取県×マダイ
- 鳥取県×カサゴ
- 島根県×ケンサキイカ
- 島根県×スルメイカ
- 島根県×ゴマサバ
- 島根県×マアジ
- 島根県×コウイカ
- 岡山県×スズキ
- 岡山県×マダイ
- 岡山県×ヒラメ
- 岡山県×キジハタ
- 岡山県×クロダイ
- 広島県×マダイ
- 広島県×ブリ
- 広島県×キジハタ
- 広島県×サワラ
- 広島県×シロギス
- 山口県×ケンサキイカ
- 山口県×アオリイカ
- 山口県×キジハタ
- 山口県×マダイ
- 山口県×ブリ
- 徳島県×ブリ
- 徳島県×マアジ
- 徳島県×イサキ
- 徳島県×チダイ
- 徳島県×カンパチ
- 香川県×マダイ
- 香川県×アオリイカ
- 香川県×シロギス
- 香川県×キジハタ
- 香川県×クロダイ
- 愛媛県×マダイ
- 愛媛県×ブリ
- 愛媛県×キジハタ
- 愛媛県×タチウオ
- 愛媛県×サワラ
- 高知県×カンパチ
- 高知県×イサキ
- 高知県×マアジ
- 高知県×マダイ
- 高知県×アカアマダイ
- 福岡県×マダイ
- 福岡県×ヤリイカ
- 福岡県×ケンサキイカ
- 福岡県×ヒラマサ
- 福岡県×ブリ
- 佐賀県×ヒラマサ
- 佐賀県×アカアマダイ
- 佐賀県×マダイ
- 佐賀県×サワラ
- 佐賀県×アオリイカ
- 長崎県×マダイ
- 長崎県×キジハタ
- 長崎県×オオモンハタ
- 長崎県×ブリ
- 長崎県×アオハタ
- 熊本県×マダイ
- 熊本県×ヒラメ
- 熊本県×キジハタ
- 熊本県×カサゴ
- 熊本県×ブリ
- 鹿児島県×アカハタ
- 鹿児島県×カンパチ
- 鹿児島県×カワハギ
- 鹿児島県×オオモンハタ
- 鹿児島県×マダイ
- 沖縄県×スジアラ
- 沖縄県×キハダ
- 沖縄県×バラハタ
- 沖縄県×タカサゴ
- 沖縄県×ハマフエフキ































1、5キロの真鯛が最大で竿頭真鯛10枚!タチウオは竿頭タチウオ32本!明日もまたタチウオとテンヤ真鯛釣りに出船します!予約受付中!平日も毎日テンヤ真鯛釣りとタチウオジギング船に出船します!GWのテンヤ真鯛船ご予約お早めに!!大さん弘漁丸オリジナルステッカーを乗船記念に限定配布します!初心者も大歓迎!皆様のお越しを心よりお待ちしております! タチウオ:(F3〜F6)