-
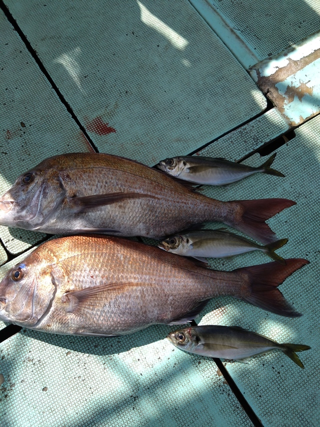
多部丸
和歌山県 和歌山市 加太港7日前釣行日:2025年12月7日(日)中潮タイ
(マダイ)38~40cm 合計2匹 サバ 43~45cm 合計4匹 アジ 29~38cm 合計3匹 釣行当日の潮汐
200 0 -40 0:00 6:00 12:00 18:00 24:00釣行当日の気象
-
日の出
06:52
日の入
16:50
-
月の出
19:06
月の入
09:18
-
天気
晴れ
-
気温
17℃/5℃
-
気圧
1024.1hPa
-
風
西南西
0.8m/s -
波
南
0.2m/s -
水温
18.3℃
-
潮
中潮
-
月齢
16.8
-
BI
9.1
釣行当日の気象情報を表示 釣行当日の気象情報を隠す -
多部丸
和歌山県 和歌山市 加太港7日前釣行日:2025年12月7日(日)中潮タイ
(マダイ)52cm 合計1匹 サバ 43~47cm 合計7匹 アジ 38~44cm 合計4匹 ありがとうございました!
釣行当日の潮汐
200 0 -40 0:00 6:00 12:00 18:00 24:00釣行当日の気象
-
日の出
06:52
日の入
16:50
-
月の出
19:06
月の入
09:18
-
天気
晴れ
-
気温
17℃/5℃
-
気圧
1024.1hPa
-
風
西南西
0.8m/s -
波
南
0.2m/s -
水温
18.3℃
-
潮
中潮
-
月齢
16.8
-
BI
9.1
釣行当日の気象情報を表示 釣行当日の気象情報を隠す -
淡隆丸
和歌山県 和歌山市 加太港7日前釣行日:2025年12月7日(日)中潮マダイ
38~49cm 2~2匹 マサバ 45~49cm 1~1匹 マアジ 28~42cm 4~6匹 ☆きょうも穏やかな凪の日和になりました。時間とともに気温があがり暖かかったです。 ★今朝は上り潮からのスタートです。朝マズメにアジとサバを、後半といっても終盤にマダイを釣っていただくことができました。 ☆天気がシケから好天への急変で魚が戸惑ったのか前日は渋い釣りでしたが、きょうは好天が連続したことで魚も警戒心を解いてくれたみたいです。 ★明日も今日みたいに穏やかで気温もあがるとの予報です。日に日に釣果も良くなってほしいところです。 ☆本日はどうもありがとうございました。
釣行当日の潮汐
200 0 -40 0:00 6:00 12:00 18:00 24:00釣行当日の気象
-
日の出
06:52
日の入
16:50
-
月の出
19:06
月の入
09:18
-
天気
晴れ
-
気温
17℃/5℃
-
気圧
1024.1hPa
-
風
西南西
0.8m/s -
波
南
0.2m/s -
水温
18.3℃
-
潮
中潮
-
月齢
16.8
-
BI
9.1
釣行当日の気象情報を表示 釣行当日の気象情報を隠す -
遊漁船拓丸
和歌山県 和歌山市 市堀川沿い8日前釣行日:2025年12月6日(土)大潮マダイ
アマダイ ハマチ ジギング・タイラバ便。
釣行当日の潮汐
200 0 -40 0:00 6:00 12:00 18:00 24:00釣行当日の気象
-
日の出
06:51
日の入
16:50
-
月の出
17:53
月の入
08:16
-
天気
晴れ
-
気温
14℃/3℃
-
気圧
1025.5hPa
-
風
南南東
0.9m/s -
波
南西
0.2m/s -
水温
18.3℃
-
潮
大潮
-
月齢
15.8
-
BI
9.0
釣行当日の気象情報を表示 釣行当日の気象情報を隠す -
第十八利蜂丸
和歌山県 和歌山市 市堀川沿い8日前釣行日:2025年12月6日(土)大潮マダイ
30cm 合計1匹 サバ 38~50cm 合計11匹 アジ 28~45cm 合計9匹 シロアマダイ 27~38cm 合計3匹 本日はアマダイ五目便にて出船しました。 お客さん初めての高仕掛け釣りで、最初は仕掛けの長さに苦戦していましたが、徐々に慣れて、50センチのサバ45センチの鯵が釣れて良かったです。 まだまだ良型のサバ鯵が釣れていますので、是非釣りに来てください。お待ちしております。本日はありがとうございました。
釣行当日の潮汐
200 0 -40 0:00 6:00 12:00 18:00 24:00釣行当日の気象
-
日の出
06:51
日の入
16:50
-
月の出
17:53
月の入
08:16
-
天気
晴れ
-
気温
14℃/3℃
-
気圧
1025.5hPa
-
風
南南東
0.9m/s -
波
南西
0.2m/s -
水温
18.3℃
-
潮
大潮
-
月齢
15.8
-
BI
9.0
釣行当日の気象情報を表示 釣行当日の気象情報を隠す -
良栄丸
和歌山県 日高郡印南町 印南港8日前釣行日:2025年12月6日(土)大潮マダイ
30~52cm 合計8匹 イシダイ 48cm 合計1匹 メイチダイ 26~35cm 合計12匹 ハマチ 47~63cm 合計2匹 ヨコスジフエダイ 35~41cm 合計3匹 オキアミ釣りに出船しました! シケ後、初出船でした。 水温低下で難しい感じでしたが皆様頑張って釣ってくれました! ポイント移動しながら良型真鯛にメイチダイ、イシダイにハマチにヨコスジフエダイなど釣れました! イサギは反応あるものの渋々で顔見た程度でした。 皆様がお土産にはならずでしたが魚種豊富に釣れました! 7日、8日も出船します! どちらも少人数で空いてます。 ご予約受付中です。 気軽にお問い合わせ下さいm(__)m
釣行当日の潮汐
200 0 -40 0:00 6:00 12:00 18:00 24:00釣行当日の気象
-
日の出
06:49
日の入
16:49
-
月の出
17:54
月の入
08:14
-
天気
晴れ
-
気温
14℃/3℃
-
気圧
1025.6hPa
-
風
東北東
0.6m/s -
波
南
0.2m/s -
水温
18.3℃
-
潮
大潮
-
月齢
15.8
-
BI
8.0
釣行当日の気象情報を表示 釣行当日の気象情報を隠す -
淡隆丸
和歌山県 和歌山市 加太港8日前釣行日:2025年12月6日(土)大潮マダイ
35~43cm 1~2匹 ☆先日は師走一発目の寒波でしたが、きょうは穏やかに凪いでくれました。風はありませんでしたが空気が一気に冷え込んで寒かったです。 ★今朝は上り潮からのスタートです。朝マズメから我慢の釣りになりました。寒波によるシケの影響でしょうか、海の急激な変化で魚が頭をあげてきませんでした。 ☆それでもようやく魚影が浮いたところでマダイを釣っていただくことができました。ワンチャンスを逃さずに釣ってくれました。もっとチャンスがあればよかったのですが。 ★明日からは再び暖かくなるとの予報ですので、魚が浮いてチャンスが増えるといいのですが。期待です。
釣行当日の潮汐
200 0 -40 0:00 6:00 12:00 18:00 24:00釣行当日の気象
-
日の出
06:51
日の入
16:50
-
月の出
17:53
月の入
08:16
-
天気
晴れ
-
気温
14℃/3℃
-
気圧
1025.5hPa
-
風
南南東
0.9m/s -
波
南南西
0.2m/s -
水温
18.3℃
-
潮
大潮
-
月齢
15.8
-
BI
8.8
釣行当日の気象情報を表示 釣行当日の気象情報を隠す -
海斗丸
和歌山県 和歌山市 加太港8日前釣行日:2025年12月6日(土)大潮タイ
(マダイ)38~53cm 合計2匹 メジロ 70cm 合計1匹 マサバ 43~48cm 合計2匹 アジ 37~42cm 合計4匹 ありがとうございました!
釣行当日の潮汐
200 0 -40 0:00 6:00 12:00 18:00 24:00釣行当日の気象
-
日の出
06:51
日の入
16:50
-
月の出
17:53
月の入
08:16
-
天気
晴れ
-
気温
14℃/3℃
-
気圧
1025.5hPa
-
風
南南東
0.9m/s -
波
南南西
0.2m/s -
水温
18.3℃
-
潮
大潮
-
月齢
15.8
-
BI
8.8
釣行当日の気象情報を表示 釣行当日の気象情報を隠す -
海斗丸
和歌山県 和歌山市 加太港8日前釣行日:2025年12月6日(土)大潮タイ
(マダイ)39~40cm 合計2匹 ハマチ 48cm 合計1匹 アジ 38cm 合計1匹 マサバ 39~44cm 合計4匹 ありがとうございました!
釣行当日の潮汐
200 0 -40 0:00 6:00 12:00 18:00 24:00釣行当日の気象
-
日の出
06:51
日の入
16:50
-
月の出
17:53
月の入
08:16
-
天気
晴れ
-
気温
14℃/3℃
-
気圧
1025.5hPa
-
風
南南東
0.9m/s -
波
南南西
0.2m/s -
水温
18.3℃
-
潮
大潮
-
月齢
15.8
-
BI
8.8
釣行当日の気象情報を表示 釣行当日の気象情報を隠す -
多部丸
和歌山県 和歌山市 加太港8日前釣行日:2025年12月6日(土)大潮タイ
(マダイ)44~45cm 合計2匹 アジ 27~38cm 合計11匹 サバ 41~43cm 合計2匹 ありがとうございました!
釣行当日の潮汐
200 0 -40 0:00 6:00 12:00 18:00 24:00釣行当日の気象
-
日の出
06:51
日の入
16:50
-
月の出
17:53
月の入
08:16
-
天気
晴れ
-
気温
14℃/3℃
-
気圧
1025.5hPa
-
風
南南東
0.9m/s -
波
南南西
0.2m/s -
水温
18.3℃
-
潮
大潮
-
月齢
15.8
-
BI
8.8
釣行当日の気象情報を表示 釣行当日の気象情報を隠す -
多部丸
和歌山県 和歌山市 加太港8日前釣行日:2025年12月6日(土)大潮タイ
(マダイ)38~51cm 合計2匹 サワラ 64cm 合計1匹 アジ 33~44cm 合計3匹 サバ 43~45cm 合計2匹 ありがとうございました!
釣行当日の潮汐
200 0 -40 0:00 6:00 12:00 18:00 24:00釣行当日の気象
-
日の出
06:51
日の入
16:50
-
月の出
17:53
月の入
08:16
-
天気
晴れ
-
気温
14℃/3℃
-
気圧
1025.5hPa
-
風
南南東
0.9m/s -
波
南南西
0.2m/s -
水温
18.3℃
-
潮
大潮
-
月齢
15.8
-
BI
8.8
釣行当日の気象情報を表示 釣行当日の気象情報を隠す -
西原丸
和歌山県 田辺市 文里港8日前釣行日:2025年12月6日(土)大潮マダイ
25~50cm 4~5匹 メイチダイ 25~38cm 4~6匹 イサギ 25~35cm 5~10匹 五目釣りで出船です
釣行当日の潮汐
200 0 -40 0:00 6:00 12:00 18:00 24:00釣行当日の気象
-
日の出
06:48
日の入
16:49
-
月の出
17:54
月の入
08:13
-
天気
晴れ
-
気温
14℃/3℃
-
気圧
1025.6hPa
-
風
北東
1.0m/s -
波
南西
0.2m/s -
水温
22.0℃
-
潮
大潮
-
月齢
15.8
-
BI
8.0
釣行当日の気象情報を表示 釣行当日の気象情報を隠す -
角漁丸
和歌山県 和歌山市 加太港9日前釣行日:2025年12月5日(金)大潮マダイ
マアジ マサバ 今日もお一人での乗船。真鯛真鯵真鯖風の釣りでした。
釣行当日の潮汐
200 0 -40 0:00 6:00 12:00 18:00 24:00釣行当日の気象
-
日の出
06:50
日の入
16:50
-
月の出
16:46
月の入
07:05
-
天気
晴れ時々曇り
-
気温
11℃/3℃
-
気圧
1022.2hPa
-
風
西北西
5.1m/s -
波
西南西
0.4m/s -
水温
18.5℃
-
潮
大潮
-
月齢
14.8
-
BI
7.9
釣行当日の気象情報を表示 釣行当日の気象情報を隠す -
角漁丸
和歌山県 和歌山市 加太港11日前釣行日:2025年12月3日(水)大潮マダイ
マアジ マサバ 本日は小物釣り。真鯛真鯵真鯖ご乗船ありがとうございました。
釣行当日の潮汐
200 0 -40 0:00 6:00 12:00 18:00 24:00釣行当日の気象
-
日の出
06:48
日の入
16:50
-
月の出
15:02
月の入
04:30
-
天気
曇り
-
気温
14℃/4℃
-
気圧
1015.1hPa
-
風
北西
5.7m/s -
波
北西
0.3m/s -
水温
19.0℃
-
潮
大潮
-
月齢
12.8
-
BI
7.5
釣行当日の気象情報を表示 釣行当日の気象情報を隠す -
多部丸
和歌山県 和歌山市 加太港11日前釣行日:2025年12月3日(水)大潮タイ
(マダイ)38~60cm 合計3匹 ありがとうございました!
釣行当日の潮汐
200 0 -40 0:00 6:00 12:00 18:00 24:00釣行当日の気象
-
日の出
06:48
日の入
16:50
-
月の出
15:02
月の入
04:30
-
天気
曇り
-
気温
14℃/4℃
-
気圧
1015.1hPa
-
風
北西
5.7m/s -
波
北西
0.3m/s -
水温
19.0℃
-
潮
大潮
-
月齢
12.8
-
BI
7.5
釣行当日の気象情報を表示 釣行当日の気象情報を隠す
和歌山県の人気魚種の釣果情報
- 和歌山県×マダイ
- 和歌山県×ブリ
- 和歌山県×マアジ
- 和歌山県×アカアマダイ
- 和歌山県×ヒラメ
- 和歌山県×カサゴ
- 和歌山県×カワハギ
- 和歌山県×タチウオ
- 和歌山県×ヒラマサ
- 和歌山県×ゴマサバ
- 和歌山県×サワラ
- 和歌山県×イサキ
- 和歌山県×カンパチ
- 和歌山県×スズキ
- 和歌山県×キジハタ
- 和歌山県×アオリイカ
- 和歌山県×マハタ
- 和歌山県×オニカサゴ
- 和歌山県×メバル
- 和歌山県×アカムツ
- 和歌山県×チダイ
- 和歌山県×アオハタ
- 和歌山県×クロダイ
- 和歌山県×マダコ
- 和歌山県×アカハタ
- 和歌山県×シロギス
- 和歌山県×ショウサイフグ
- 和歌山県×キンメダイ
- 和歌山県×キダイ
- 和歌山県×スルメイカ
- 和歌山県×シロアマダイ
- 和歌山県×キハダ
- 和歌山県×マゴチ
- 和歌山県×イトヨリダイ
- 和歌山県×メダイ
- 和歌山県×ホウボウ
- 和歌山県×シログチ
- 和歌山県×カツオ
- 和歌山県×アラ
- 和歌山県×オオモンハタ
- 和歌山県×メジナ
- 和歌山県×カイワリ
- 和歌山県×ケンサキイカ
- 和歌山県×シマアジ
- 和歌山県×チカメキントキ
- 和歌山県×シイラ
- 和歌山県×ウマヅラハギ
- 和歌山県×ビンナガ
- 和歌山県×ウスメバル
- 和歌山県×ウッカリカサゴ
- 和歌山県×アコウダイ
- 和歌山県×イシダイ
- 和歌山県×コウイカ
- 和歌山県×マコガレイ
- 和歌山県×クエ
- 和歌山県×アカイサキ
- 和歌山県×クログチ
- 和歌山県×クロマグロ
- 和歌山県×メイチダイ
- 和歌山県×カミナリイカ
- 和歌山県×ロウニンアジ
- 和歌山県×ホウキハタ
- 和歌山県×アヤメカサゴ
- 和歌山県×ヒラソウダ
- 和歌山県×シロサバフグ
- 和歌山県×キチヌ
- 和歌山県×ハマフエフキ
- 和歌山県×ヘダイ
- 和歌山県×ウメイロ
- 和歌山県×コロダイ
- 和歌山県×マサバ
- 和歌山県×アカヤガラ
- 和歌山県×ヒメコダイ
- 和歌山県×オニオコゼ
- 和歌山県×マトウダイ
- 和歌山県×スマ
- 和歌山県×カマスサワラ
- 和歌山県×シマフグ
- 和歌山県×シロダイ
- 和歌山県×オキアジ
各都道府県の人気魚種の釣果情報
- 岩手県×マダラ
- 岩手県×スルメイカ
- 岩手県×ケンサキイカ
- 岩手県×マコガレイ
- 岩手県×ブリ
- 宮城県×ヒラメ
- 宮城県×マアジ
- 宮城県×アイナメ
- 宮城県×マコガレイ
- 宮城県×メバル
- 福島県×マダイ
- 福島県×ヒラメ
- 福島県×メバル
- 福島県×チダイ
- 福島県×アイナメ
- 茨城県×マダイ
- 茨城県×ヒラメ
- 茨城県×ブリ
- 茨城県×マダコ
- 茨城県×カサゴ
- 埼玉県×サワラ
- 埼玉県×タチウオ
- 埼玉県×マダイ
- 埼玉県×ホウボウ
- 埼玉県×ブリ
- 千葉県×マダイ
- 千葉県×ヒラメ
- 千葉県×マアジ
- 千葉県×イサキ
- 千葉県×マハタ
- 東京都×マアジ
- 東京都×タチウオ
- 東京都×シロギス
- 東京都×マダコ
- 東京都×スズキ
- 神奈川県×マアジ
- 神奈川県×マダイ
- 神奈川県×タチウオ
- 神奈川県×アカアマダイ
- 神奈川県×ブリ
- 新潟県×マダイ
- 新潟県×マアジ
- 新潟県×ゴマサバ
- 新潟県×ブリ
- 新潟県×キダイ
- 富山県×アオリイカ
- 富山県×マダイ
- 富山県×キジハタ
- 富山県×カサゴ
- 富山県×アオハタ
- 石川県×ブリ
- 石川県×キジハタ
- 石川県×マダイ
- 石川県×マアジ
- 石川県×ウッカリカサゴ
- 福井県×ケンサキイカ
- 福井県×マダイ
- 福井県×アオリイカ
- 福井県×スルメイカ
- 福井県×マアジ
- 静岡県×マダイ
- 静岡県×マアジ
- 静岡県×イサキ
- 静岡県×タチウオ
- 静岡県×アカアマダイ
- 愛知県×ブリ
- 愛知県×マダイ
- 愛知県×タチウオ
- 愛知県×ヒラメ
- 愛知県×シロサバフグ
- 三重県×ブリ
- 三重県×マダイ
- 三重県×ヒラメ
- 三重県×カサゴ
- 三重県×サワラ
- 京都府×ケンサキイカ
- 京都府×ブリ
- 京都府×マダイ
- 京都府×スルメイカ
- 京都府×アオリイカ
- 大阪府×ブリ
- 大阪府×マダイ
- 大阪府×スズキ
- 大阪府×サワラ
- 大阪府×タチウオ
- 兵庫県×ブリ
- 兵庫県×マダイ
- 兵庫県×マダコ
- 兵庫県×サワラ
- 兵庫県×タチウオ
- 和歌山県×マダイ
- 和歌山県×ブリ
- 和歌山県×マアジ
- 和歌山県×イサキ
- 和歌山県×シロアマダイ
- 鳥取県×ケンサキイカ
- 鳥取県×アオリイカ
- 鳥取県×スルメイカ
- 鳥取県×カサゴ
- 鳥取県×アオハタ
- 島根県×ケンサキイカ
- 島根県×スルメイカ
- 島根県×ゴマサバ
- 島根県×マアジ
- 島根県×コウイカ
- 岡山県×スズキ
- 岡山県×マダイ
- 岡山県×クロダイ
- 岡山県×キジハタ
- 岡山県×ヒラメ
- 広島県×マダイ
- 広島県×ブリ
- 広島県×キジハタ
- 広島県×サワラ
- 広島県×シロギス
- 山口県×ケンサキイカ
- 山口県×アオリイカ
- 山口県×キジハタ
- 山口県×マダイ
- 山口県×ヒラマサ
- 徳島県×ブリ
- 徳島県×マアジ
- 徳島県×カンパチ
- 徳島県×チダイ
- 徳島県×イサキ
- 香川県×マダイ
- 香川県×アオリイカ
- 香川県×シロギス
- 香川県×ヒラメ
- 香川県×キジハタ
- 愛媛県×マダイ
- 愛媛県×ブリ
- 愛媛県×キジハタ
- 愛媛県×マアジ
- 愛媛県×カサゴ
- 高知県×カンパチ
- 高知県×イサキ
- 高知県×マアジ
- 高知県×マダイ
- 高知県×チダイ
- 福岡県×マダイ
- 福岡県×ヤリイカ
- 福岡県×ケンサキイカ
- 福岡県×ブリ
- 福岡県×ヒラマサ
- 佐賀県×サワラ
- 佐賀県×アオリイカ
- 佐賀県×マダイ
- 佐賀県×クエ
- 佐賀県×マアジ
- 長崎県×マダイ
- 長崎県×キジハタ
- 長崎県×オオモンハタ
- 長崎県×ブリ
- 長崎県×ヒラマサ
- 熊本県×マダイ
- 熊本県×タチウオ
- 熊本県×キジハタ
- 熊本県×ヒラメ
- 熊本県×カサゴ
- 鹿児島県×カンパチ
- 鹿児島県×オオモンハタ
- 鹿児島県×アカハタ
- 鹿児島県×マダイ
- 鹿児島県×カワハギ
- 沖縄県×スジアラ
- 沖縄県×キハダ
- 沖縄県×タカサゴ
- 沖縄県×バラハタ
- 沖縄県×クエ













































ありがとうございました!