-
こうじん丸
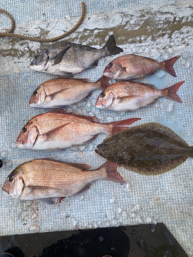
兵庫県 神戸市 垂水漁港231日前釣行日:2025年4月19日(土)小潮ヒラメ
50cm 合計1匹 マダイ 50cm 合計1匹 釣行当日の潮汐
200 0 -40 0:00 6:00 12:00 18:00 24:00釣行当日の気象
-
日の出
05:23
日の入
18:35
-
月の出
月の入
09:05
-
天気
晴れ
-
気温
25℃/16℃
-
気圧
1016.0hPa
-
風
東南東
0.6m/s -
波
南
0.2m/s -
水温
13.5℃
-
潮
小潮
-
月齢
20.7
-
BI
7.3
釣行当日の気象情報を表示 釣行当日の気象情報を隠す -
村由丸
兵庫県 明石市 林崎漁港232日前釣行日:2025年4月18日(金)中潮ヒラメ
タイ 竿頭6匹 ハマチ タイラバ早朝便 4月18日の釣果です 鯛17枚、リリース1、外道少々、トップ6枚 4連休の休み明け、各ポイントを回りました。 色んな場所で反応沢山あって、テンションあがりましたが、予想してない風。 明日以降に繋げて行ける様にしたいです。 平均サイズが下がってたので大型がいそうな場所も見てきましたが、この日はでませんでした。 産卵明けに期待ですね。 もーすぐ始まるハイシーズン今年も早朝便、午後便共に皆さん宜しくお願いします。 今年の午後便スタートは29日からです。 まだまだ空きありますので是非遊びにきてくださいね。
釣行当日の潮汐
200 0 -40 0:00 6:00 12:00 18:00 24:00釣行当日の気象
-
日の出
05:25
日の入
18:34
-
月の出
23:43
月の入
08:12
-
天気
曇り時々晴れ
-
気温
24℃/16℃
-
気圧
1015.5hPa
-
風
南南東
1.5m/s -
波
南
0.2m/s -
水温
13.1℃
-
潮
中潮
-
月齢
19.7
-
BI
7.5
釣行当日の気象情報を表示 釣行当日の気象情報を隠す -
釣り船 名田屋
兵庫県 明石市 明石港236日前釣行日:2025年4月14日(月)大潮ヒラメ
50~70cm 0~1匹 鹿の瀬沖のヒラメのノマセ釣り☆全部で4匹釣れました!☆次回は25日(金)に出船します
釣行当日の潮汐
200 0 -40 0:00 6:00 12:00 18:00 24:00釣行当日の気象
-
日の出
05:30
日の入
18:31
-
月の出
19:49
月の入
05:46
-
天気
晴れ後一時雨
-
気温
18℃/10℃
-
気圧
1006.2hPa
-
風
西南西
3.4m/s -
波
西南西
0.2m/s -
水温
13.2℃
-
潮
大潮
-
月齢
15.7
-
BI
9.9
釣行当日の気象情報を表示 釣行当日の気象情報を隠す -
釣り船皇
兵庫県 南あわじ市 福良港245日前釣行日:2025年4月5日(土)小潮ヒラメ
マダイ ワラサ ジギング、タイラバ。
釣行当日の潮汐
200 0 -40 0:00 6:00 12:00 18:00 24:00釣行当日の気象
-
日の出
05:42
日の入
18:24
-
月の出
10:53
月の入
01:17
-
天気
曇り
-
気温
16℃/8℃
-
気圧
1021.1hPa
-
風
東
1.6m/s -
波
南東
0.2m/s -
水温
12.1℃
-
潮
小潮
-
月齢
6.7
-
BI
6.8
釣行当日の気象情報を表示 釣行当日の気象情報を隠す -
リタックル
兵庫県 明石市 明石港248日前釣行日:2025年4月2日(水)中潮ヒラメ
最大50cm 合計1匹 マダイ 47~57cm 0~2匹 マゴチ 最大40cm 合計1匹 昼便鯛カブラ便(淡路沖) マ ダイ47~57cmを13匹。 (0~2匹) ヒラメ50cmを1匹。 マゴチ40cmを1匹。 トップは福永さん、西山さんグループの方で2匹でした。
釣行当日の潮汐
200 0 -40 0:00 6:00 12:00 18:00 24:00釣行当日の気象
-
日の出
05:46
日の入
18:22
-
月の出
07:57
月の入
23:11
-
天気
雨のち曇り
-
気温
15℃/9℃
-
気圧
1017.0hPa
-
風
北東
1.8m/s -
波
北西
0.2m/s -
水温
10.5℃
-
潮
中潮
-
月齢
3.7
-
BI
7.8
釣行当日の気象情報を表示 釣行当日の気象情報を隠す -
釣り船 名田屋
兵庫県 明石市 明石港250日前釣行日:2025年3月31日(月)中潮ヒラメ
47~68cm 0~1匹 アコウ 56cm 合計1匹 ヒラメノマセ釣りは次回4月14日に出船します!!ヒラメノマセ釣りはお電話のみご予約受付中です。
釣行当日の潮汐
200 0 -40 0:00 6:00 12:00 18:00 24:00釣行当日の気象
-
日の出
05:48
日の入
18:20
-
月の出
06:36
月の入
20:39
-
天気
晴れ
-
気温
14℃/5℃
-
気圧
1028.0hPa
-
風
北
2.9m/s -
波
北
0.2m/s -
水温
10.4℃
-
潮
中潮
-
月齢
1.7
-
BI
9.0
釣行当日の気象情報を表示 釣行当日の気象情報を隠す -
釣船 内良(絆奈丸)
兵庫県 淡路市 育波漁港251日前釣行日:2025年3月30日(日)大潮ヒラメ
ショウサイフク 久々更新になり申し訳ないです。 現在、フグ、鯛狙いで出船しております‼︎ 3月入り暖かくなってきてこれからに期待‼︎
釣行当日の潮汐
100 0 -20 0:00 6:00 12:00 18:00 24:00釣行当日の気象
-
日の出
05:50
日の入
18:20
-
月の出
06:04
月の入
19:24
-
天気
曇り時々晴れ
-
気温
14℃/6℃
-
気圧
1024.3hPa
-
風
北西
6.7m/s -
波
西北西
0.6m/s -
水温
11.5℃
-
潮
大潮
-
月齢
0.7
-
BI
9.0
釣行当日の気象情報を表示 釣行当日の気象情報を隠す -
大成
兵庫県 淡路市 育波漁港280日前釣行日:2025年3月1日(土)大潮ヒラメ
40cm 合計1匹 タイ 45~64cm 0~7匹 ホウボウ 35~40cm 0~1匹 時合いが来れば皆さんチャンスですがきっちりと拾う方は釣果が伸びましたね 浅場の釣りでイージーなんですがきっちりと釣り上げる事ですね
釣行当日の潮汐
100 0 -20 0:00 6:00 12:00 18:00 24:00釣行当日の気象
-
日の出
06:29
日の入
17:56
-
月の出
07:08
月の入
19:23
-
天気
曇り時々晴れ
-
気温
15℃/8℃
-
気圧
1024.2hPa
-
風
東北東
1.6m/s -
波
東北東
0.2m/s -
水温
9.2℃
-
潮
大潮
-
月齢
1.1
-
BI
8.4
釣行当日の気象情報を表示 釣行当日の気象情報を隠す -
村由丸
兵庫県 明石市 林崎漁港280日前釣行日:2025年3月1日(土)大潮ヒラメ
タイ 竿頭2匹 メバル シーバス タイラバやまと船。 トップ2枚3人外道多数。 後半、良型の連打ありみなさん当たり出てくれました。 ショートバイト多く苦戦しましたが二桁越えで厳しいながらも皆さん釣れてくれました。 霧が濃くポイント限られましたが最後までやり切れてよかったです。 お越しくださったみなさんありがとうございました!
釣行当日の潮汐
100 0 -20 0:00 6:00 12:00 18:00 24:00釣行当日の気象
-
日の出
06:29
日の入
17:56
-
月の出
07:08
月の入
19:23
-
天気
曇り時々晴れ
-
気温
15℃/8℃
-
気圧
1024.4hPa
-
風
東北東
1.1m/s -
波
東北東
0.2m/s -
水温
9.2℃
-
潮
大潮
-
月齢
1.1
-
BI
10.5
釣行当日の気象情報を表示 釣行当日の気象情報を隠す -
村由丸
兵庫県 明石市 林崎漁港280日前釣行日:2025年3月1日(土)大潮ヒラメ
タイ 竿頭2匹 シーバス メバル タイラバ。船中12枚トップ2枚3人外道多数。 2日間短い時合いでしたが連打する場面ありサイズも良かったです 雨の中みなさんありがとうございました!
釣行当日の潮汐
100 0 -20 0:00 6:00 12:00 18:00 24:00釣行当日の気象
-
日の出
06:29
日の入
17:56
-
月の出
07:08
月の入
19:23
-
天気
曇り時々晴れ
-
気温
15℃/8℃
-
気圧
1024.4hPa
-
風
東北東
1.1m/s -
波
東北東
0.2m/s -
水温
9.2℃
-
潮
大潮
-
月齢
1.1
-
BI
10.5
釣行当日の気象情報を表示 釣行当日の気象情報を隠す -
釣り船 名田屋
兵庫県 明石市 明石港288日前釣行日:2025年2月21日(金)小潮ヒラメ
58cm 合計1匹 ヒラメのノマセ釣り出船しました、次回のヒラメノマセ釣りは3月7日(金)と24日(月)に出船します!ぜひお越しくださいね~。
釣行当日の潮汐
100 0 -20 0:00 6:00 12:00 18:00 24:00釣行当日の気象
-
日の出
06:39
日の入
17:48
-
月の出
01:06
月の入
10:50
-
天気
曇り時々晴れ
-
気温
8℃/1℃
-
気圧
1025.4hPa
-
風
西北西
4.2m/s -
波
西
0.4m/s -
水温
8.6℃
-
潮
小潮
-
月齢
22.6
-
BI
8.5
釣行当日の気象情報を表示 釣行当日の気象情報を隠す -
釣り船皇
兵庫県 南あわじ市 福良港294日前釣行日:2025年2月15日(土)中潮ヒラメ
マダイ ヒラメノマセ、鯛サビキ。
釣行当日の潮汐
200 0 -40 0:00 6:00 12:00 18:00 24:00釣行当日の気象
-
日の出
06:45
日の入
17:44
-
月の出
20:17
月の入
08:04
-
天気
晴れ後時々曇り
-
気温
12℃/3℃
-
気圧
1021.9hPa
-
風
東北東
1.2m/s -
波
南南東
0.2m/s -
水温
11.3℃
-
潮
中潮
-
月齢
16.6
-
BI
9.1
釣行当日の気象情報を表示 釣行当日の気象情報を隠す -
村由丸
兵庫県 明石市 林崎漁港297日前釣行日:2025年2月12日(水)大潮ヒラメ
タイ 竿頭6匹 シーバス タイラバ便。 船中27枚、トップ6枚全員安打。 今日も浮いてるタイ狙いでした。 水温が低下してる割に魚の写りもたくさんあり当たりもしっかり出てくれました。 合う人、合わない人ありましたが全員釣れてくれ、当てれる方は複数キャッチできて良かったです! お越しくださったみなさんありがとうございました。
釣行当日の潮汐
100 0 -20 0:00 6:00 12:00 18:00 24:00釣行当日の気象
-
日の出
06:48
日の入
17:40
-
月の出
17:18
月の入
06:43
-
天気
曇りのち一時雨
-
気温
12℃/3℃
-
気圧
1024.7hPa
-
風
南西
0.1m/s -
波
南南東
0.2m/s -
水温
9.2℃
-
潮
大潮
-
月齢
13.6
-
BI
9.1
釣行当日の気象情報を表示 釣行当日の気象情報を隠す -
釣り船皇
兵庫県 南あわじ市 福良港298日前釣行日:2025年2月11日(火)大潮ヒラメ
ブリ ワラサ ハマチ ジギング&ノマセ。
釣行当日の潮汐
200 0 -40 0:00 6:00 12:00 18:00 24:00釣行当日の気象
-
日の出
06:49
日の入
17:40
-
月の出
16:15
月の入
06:07
-
天気
晴れ時々曇り
-
気温
10℃/2℃
-
気圧
1028.5hPa
-
風
西北西
6.6m/s -
波
北西
0.4m/s -
水温
11.6℃
-
潮
大潮
-
月齢
12.6
-
BI
8.2
釣行当日の気象情報を表示 釣行当日の気象情報を隠す -
村由丸
兵庫県 明石市 林崎漁港307日前釣行日:2025年2月2日(日)中潮ヒラメ
タイ 竿頭9匹 ホウボウ コチ タイラバ早朝便。 鯛53枚、リリース0、外道少々、トップ9枚、全員安打。 小型から中型までのサイズでした。 浮いた鯛を釣れる人は当たり多く出せてました。 当たりも多く何よりでした。 有り難い。
釣行当日の潮汐
100 0 -20 0:00 6:00 12:00 18:00 24:00釣行当日の気象
-
日の出
06:57
日の入
17:30
-
月の出
09:09
月の入
21:41
-
天気
曇りのち時々晴れ
-
気温
12℃/5℃
-
気圧
1015.3hPa
-
風
北北東
4.1m/s -
波
北北東
0.2m/s -
水温
9.9℃
-
潮
中潮
-
月齢
3.6
-
BI
8.4
釣行当日の気象情報を表示 釣行当日の気象情報を隠す
兵庫県の人気魚種の釣果情報
- 兵庫県×マダイ
- 兵庫県×ブリ
- 兵庫県×マアジ
- 兵庫県×ヒラメ
- 兵庫県×アカアマダイ
- 兵庫県×カサゴ
- 兵庫県×タチウオ
- 兵庫県×カワハギ
- 兵庫県×ヒラマサ
- 兵庫県×ゴマサバ
- 兵庫県×サワラ
- 兵庫県×イサキ
- 兵庫県×カンパチ
- 兵庫県×スズキ
- 兵庫県×キジハタ
- 兵庫県×アオリイカ
- 兵庫県×マハタ
- 兵庫県×オニカサゴ
- 兵庫県×メバル
- 兵庫県×ヤリイカ
- 兵庫県×チダイ
- 兵庫県×クロダイ
- 兵庫県×マダコ
- 兵庫県×シロギス
- 兵庫県×キダイ
- 兵庫県×シロアマダイ
- 兵庫県×ショウサイフグ
- 兵庫県×スルメイカ
- 兵庫県×キハダ
- 兵庫県×マゴチ
- 兵庫県×イトヨリダイ
- 兵庫県×ホウボウ
- 兵庫県×シログチ
- 兵庫県×メダイ
- 兵庫県×カツオ
- 兵庫県×アラ
- 兵庫県×オオモンハタ
- 兵庫県×クロソイ
- 兵庫県×メジナ
- 兵庫県×ケンサキイカ
- 兵庫県×チカメキントキ
- 兵庫県×シイラ
- 兵庫県×ウマヅラハギ
- 兵庫県×ビンナガ
- 兵庫県×ウスメバル
- 兵庫県×アコウダイ
- 兵庫県×ウッカリカサゴ
- 兵庫県×マコガレイ
- 兵庫県×イシダイ
- 兵庫県×クエ
- 兵庫県×コウイカ
- 兵庫県×フエフキダイ
- 兵庫県×クログチ
- 兵庫県×カミナリイカ
- 兵庫県×ハマフエフキ
- 兵庫県×シロサバフグ
- 兵庫県×キチヌ
- 兵庫県×マサバ
- 兵庫県×アカヤガラ
- 兵庫県×コロダイ
- 兵庫県×ヘダイ
- 兵庫県×キツネメバル
- 兵庫県×オオクチイシナギ
- 兵庫県×オニオコゼ
- 兵庫県×シマフグ
- 兵庫県×オキアジ
- 兵庫県×キュウセン
各都道府県の人気魚種の釣果情報
- 岩手県×マダラ
- 岩手県×スルメイカ
- 岩手県×ケンサキイカ
- 岩手県×マコガレイ
- 岩手県×ブリ
- 宮城県×ヒラメ
- 宮城県×マアジ
- 宮城県×アイナメ
- 宮城県×マコガレイ
- 宮城県×メバル
- 福島県×マダイ
- 福島県×ヒラメ
- 福島県×メバル
- 福島県×チダイ
- 福島県×アイナメ
- 茨城県×マダイ
- 茨城県×ヒラメ
- 茨城県×ブリ
- 茨城県×マダコ
- 茨城県×カサゴ
- 埼玉県×サワラ
- 埼玉県×タチウオ
- 埼玉県×マダイ
- 埼玉県×ホウボウ
- 埼玉県×ブリ
- 千葉県×マダイ
- 千葉県×ヒラメ
- 千葉県×マアジ
- 千葉県×イサキ
- 千葉県×マハタ
- 東京都×マアジ
- 東京都×タチウオ
- 東京都×シロギス
- 東京都×マダコ
- 東京都×スズキ
- 神奈川県×マアジ
- 神奈川県×マダイ
- 神奈川県×タチウオ
- 神奈川県×アカアマダイ
- 神奈川県×ブリ
- 新潟県×マダイ
- 新潟県×マアジ
- 新潟県×ゴマサバ
- 新潟県×ブリ
- 新潟県×キダイ
- 富山県×アオリイカ
- 富山県×マダイ
- 富山県×キジハタ
- 富山県×カサゴ
- 富山県×マアジ
- 石川県×ブリ
- 石川県×キジハタ
- 石川県×マダイ
- 石川県×マアジ
- 石川県×ウッカリカサゴ
- 福井県×ケンサキイカ
- 福井県×マダイ
- 福井県×アオリイカ
- 福井県×スルメイカ
- 福井県×マアジ
- 静岡県×マダイ
- 静岡県×マアジ
- 静岡県×イサキ
- 静岡県×タチウオ
- 静岡県×アカアマダイ
- 愛知県×ブリ
- 愛知県×マダイ
- 愛知県×タチウオ
- 愛知県×ヒラメ
- 愛知県×シロサバフグ
- 三重県×ブリ
- 三重県×マダイ
- 三重県×ヒラメ
- 三重県×カサゴ
- 三重県×サワラ
- 京都府×ケンサキイカ
- 京都府×ブリ
- 京都府×マダイ
- 京都府×スルメイカ
- 京都府×アオリイカ
- 大阪府×ブリ
- 大阪府×マダイ
- 大阪府×スズキ
- 大阪府×サワラ
- 大阪府×カサゴ
- 兵庫県×ブリ
- 兵庫県×マダイ
- 兵庫県×マダコ
- 兵庫県×サワラ
- 兵庫県×タチウオ
- 和歌山県×マダイ
- 和歌山県×ブリ
- 和歌山県×マアジ
- 和歌山県×イサキ
- 和歌山県×シロアマダイ
- 鳥取県×ケンサキイカ
- 鳥取県×アオリイカ
- 鳥取県×スルメイカ
- 鳥取県×アオハタ
- 鳥取県×カサゴ
- 島根県×ケンサキイカ
- 島根県×スルメイカ
- 島根県×ゴマサバ
- 島根県×マアジ
- 島根県×コウイカ
- 岡山県×スズキ
- 岡山県×マダイ
- 岡山県×クロダイ
- 岡山県×キジハタ
- 岡山県×ヒラメ
- 広島県×マダイ
- 広島県×ブリ
- 広島県×キジハタ
- 広島県×サワラ
- 広島県×シロギス
- 山口県×ケンサキイカ
- 山口県×キジハタ
- 山口県×アオリイカ
- 山口県×マダイ
- 山口県×ヒラマサ
- 徳島県×ブリ
- 徳島県×マアジ
- 徳島県×カンパチ
- 徳島県×チダイ
- 徳島県×イサキ
- 香川県×マダイ
- 香川県×アオリイカ
- 香川県×シロギス
- 香川県×ヒラメ
- 香川県×キジハタ
- 愛媛県×マダイ
- 愛媛県×ブリ
- 愛媛県×キジハタ
- 愛媛県×タチウオ
- 愛媛県×マダコ
- 高知県×カンパチ
- 高知県×イサキ
- 高知県×マアジ
- 高知県×マダイ
- 高知県×チダイ
- 福岡県×マダイ
- 福岡県×ヤリイカ
- 福岡県×ケンサキイカ
- 福岡県×ブリ
- 福岡県×ヒラマサ
- 佐賀県×サワラ
- 佐賀県×ブリ
- 佐賀県×アオリイカ
- 佐賀県×クエ
- 佐賀県×マアジ
- 長崎県×マダイ
- 長崎県×キジハタ
- 長崎県×オオモンハタ
- 長崎県×ブリ
- 長崎県×ヒラマサ
- 熊本県×マダイ
- 熊本県×タチウオ
- 熊本県×キジハタ
- 熊本県×カサゴ
- 熊本県×ヒラメ
- 鹿児島県×カンパチ
- 鹿児島県×オオモンハタ
- 鹿児島県×アカハタ
- 鹿児島県×マダイ
- 鹿児島県×ケンサキイカ
- 沖縄県×スジアラ
- 沖縄県×キハダ
- 沖縄県×タカサゴ
- 沖縄県×バラハタ
- 沖縄県×クエ











































昨日はお疲れ様でした。 当たりも出やすくなりました。 また遊びにお越しください 5月8日からタコ便出港致します。是非遊びにお越しください