-
大成
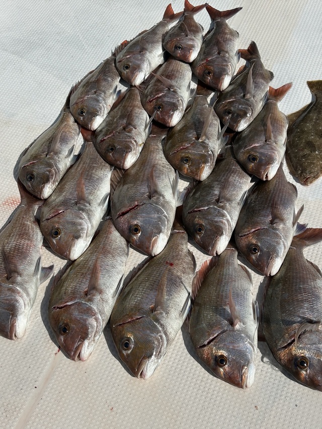
兵庫県 淡路市 育波漁港20日前釣行日:2026年2月4日(水)大潮タイ
(マダイ)42~57cm 2~7匹 ヒラメ 53cm 合計1匹 釣行当日の潮汐
200 0 -40 0:00 6:00 12:00 18:00 24:00釣行当日の気象
-
日の出
06:56
日の入
17:32
-
月の出
20:04
月の入
08:13
-
天気
晴れ時々曇り
-
気温
11℃/3℃
-
気圧
1024.4hPa
-
風
西
2.6m/s -
波
西
0.2m/s -
水温
9.5℃
-
潮
大潮
-
月齢
16.3
-
BI
8.5
釣行当日の気象情報を表示 釣行当日の気象情報を隠す -
知々丸
兵庫県 姫路市 野田川20日前釣行日:2026年2月4日(水)大潮マダイ
25~50cm 3~12匹 姫路市の河野氏らの乗合いです。
釣行当日の潮汐
200 0 -40 0:00 6:00 12:00 18:00 24:00釣行当日の気象
-
日の出
06:57
日の入
17:33
-
月の出
20:06
月の入
08:15
-
天気
晴れ時々曇り
-
気温
11℃/3℃
-
気圧
1024.4hPa
-
風
西北西
2.0m/s -
波
西南西
0.2m/s -
水温
9.5℃
-
潮
大潮
-
月齢
16.3
-
BI
7.7
釣行当日の気象情報を表示 釣行当日の気象情報を隠す -
リタックル
兵庫県 明石市 明石港20日前釣行日:2026年2月4日(水)大潮マダイ
42~67cm 3~8匹 ホウボウ 35~40cm 0~2匹 朝便、鯛カブラ。大型大漁でした!
釣行当日の潮汐
100 0 -20 0:00 6:00 12:00 18:00 24:00釣行当日の気象
-
日の出
06:56
日の入
17:32
-
月の出
20:04
月の入
08:13
-
天気
晴れ時々曇り
-
気温
11℃/3℃
-
気圧
1024.5hPa
-
風
西北西
1.6m/s -
波
西南西
0.2m/s -
水温
9.5℃
-
潮
大潮
-
月齢
16.3
-
BI
10.0
釣行当日の気象情報を表示 釣行当日の気象情報を隠す -
村由丸
兵庫県 明石市 林崎漁港21日前釣行日:2026年2月3日(火)大潮タイ
(マダイ)竿頭3匹 タイラバ便。 トップ3枚外道有。 シャローメインで一瞬の時合いでしたが釣れてくれました! 食い浅く当たりからヒットに繋げれる方タイミングでしっかりキャッチしてくれ小型メインでしたが釣れてくれて何よりです。 ポイント、サイズによってネクタイ交換すると釣果アップ期待できると思います!
釣行当日の潮汐
100 0 -20 0:00 6:00 12:00 18:00 24:00釣行当日の気象
-
日の出
06:57
日の入
17:31
-
月の出
19:00
月の入
07:44
-
天気
曇り時々晴れ
-
気温
9℃/3℃
-
気圧
1027.9hPa
-
風
北北西
2.4m/s -
波
西
0.2m/s -
水温
9.5℃
-
潮
大潮
-
月齢
15.3
-
BI
10.0
釣行当日の気象情報を表示 釣行当日の気象情報を隠す -
知々丸
兵庫県 姫路市 野田川21日前釣行日:2026年2月3日(火)大潮マダイ
25~40cm 4~11匹 姫路市の田端氏らの乗合いです。
釣行当日の潮汐
200 0 -40 0:00 6:00 12:00 18:00 24:00釣行当日の気象
-
日の出
06:58
日の入
17:32
-
月の出
19:01
月の入
07:46
-
天気
曇り時々晴れ
-
気温
9℃/3℃
-
気圧
1027.9hPa
-
風
北北西
2.8m/s -
波
西
0.2m/s -
水温
9.5℃
-
潮
大潮
-
月齢
15.3
-
BI
8.6
釣行当日の気象情報を表示 釣行当日の気象情報を隠す -
村由丸
兵庫県 明石市 林崎漁港22日前釣行日:2026年2月2日(月)大潮タイ
(マダイ)竿頭3匹 タイラバ早朝便。 トップ3枚外道有少人数の出船。 朝イチから風強く風裏に入ってから当たり出始めみなさん食べ頃サイズキャッチしてもらえました! 冬の明石で厳しいなか複数キャッチできた方3名でみなさん楽しんでもらえて何よりでした。
釣行当日の潮汐
100 0 -20 0:00 6:00 12:00 18:00 24:00釣行当日の気象
-
日の出
06:57
日の入
17:30
-
月の出
17:52
月の入
07:11
-
天気
晴れ後時々曇り
-
気温
9℃/3℃
-
気圧
1023.2hPa
-
風
西北西
4.7m/s -
波
西
0.3m/s -
水温
9.4℃
-
潮
大潮
-
月齢
14.3
-
BI
9.3
釣行当日の気象情報を表示 釣行当日の気象情報を隠す -
知々丸
兵庫県 姫路市 野田川22日前釣行日:2026年2月2日(月)大潮マダイ
25~50cm 3~17匹 ハネ 50~55cm 0~2匹 加古川市の足立氏らの乗合いです。
釣行当日の潮汐
200 0 -40 0:00 6:00 12:00 18:00 24:00釣行当日の気象
-
日の出
06:59
日の入
17:31
-
月の出
17:53
月の入
07:13
-
天気
晴れ後時々曇り
-
気温
9℃/3℃
-
気圧
1023.3hPa
-
風
西北西
5.4m/s -
波
西南西
0.2m/s -
水温
9.4℃
-
潮
大潮
-
月齢
14.3
-
BI
9.2
釣行当日の気象情報を表示 釣行当日の気象情報を隠す -
知々丸
兵庫県 姫路市 野田川23日前釣行日:2026年2月1日(日)大潮マダイ
25~45cm 2~15匹 姫路市の野辺氏らの乗合いです。
釣行当日の潮汐
200 0 -40 0:00 6:00 12:00 18:00 24:00釣行当日の気象
-
日の出
07:00
日の入
17:30
-
月の出
16:41
月の入
06:33
-
天気
晴れ時々曇り
-
気温
9℃/3℃
-
気圧
1022.0hPa
-
風
西
5.9m/s -
波
西南西
0.2m/s -
水温
9.5℃
-
潮
大潮
-
月齢
13.3
-
BI
9.9
釣行当日の気象情報を表示 釣行当日の気象情報を隠す -
戎丸
兵庫県 南あわじ市 福良港23日前釣行日:2026年2月1日(日)大潮マダイ
ブリ サワラ ヒラメ みなさまお疲れさまでした。 海峡寒鰤も見れて、さあこれからって所で長い寒波の連続。 安全最優先を考慮して出船中止ばかりです。 ご予約いただいてたみなさまありがとうございました。 またよろしくお願いいたします。
釣行当日の潮汐
200 0 -40 0:00 6:00 12:00 18:00 24:00釣行当日の気象
-
日の出
06:58
日の入
17:30
-
月の出
16:41
月の入
06:30
-
天気
曇り時々晴れ
-
気温
9℃/3℃
-
気圧
1022.3hPa
-
風
西北西
6.3m/s -
波
西北西
0.4m/s -
水温
11.5℃
-
潮
大潮
-
月齢
13.3
-
BI
7.8
釣行当日の気象情報を表示 釣行当日の気象情報を隠す -
大成
兵庫県 淡路市 育波漁港24日前釣行日:2026年1月31日(土)中潮タイ
(マダイ)42~56cm 1~2匹 近場ポイントまで10分程度 の潮見ての鯛ラバ便 この日は朝一のみの時合いなので 薄暗い内から釣行 6:30~9:00までと短い時間でしたが何とか釣り上げて貰えました
釣行当日の潮汐
200 0 -40 0:00 6:00 12:00 18:00 24:00釣行当日の気象
-
日の出
06:59
日の入
17:28
-
月の出
15:26
月の入
05:42
-
天気
曇りのち時々晴れ
-
気温
8℃/1℃
-
気圧
1023.9hPa
-
風
北
3.7m/s -
波
西
0.2m/s -
水温
9.7℃
-
潮
中潮
-
月齢
12.3
-
BI
9.0
釣行当日の気象情報を表示 釣行当日の気象情報を隠す -
美里丸
兵庫県 姫路市 姫路木場ヨットハーバー24日前釣行日:2026年1月31日(土)中潮マダイ
メバル 風強く寒い1日でしたが、皆様頑張って頂きありがとうございました♪
釣行当日の潮汐
200 0 -40 0:00 6:00 12:00 18:00 24:00釣行当日の気象
-
日の出
07:00
日の入
17:29
-
月の出
15:27
月の入
05:43
-
天気
曇りのち時々晴れ
-
気温
8℃/1℃
-
気圧
1024.1hPa
-
風
北北西
2.5m/s -
波
西
0.2m/s -
水温
9.7℃
-
潮
中潮
-
月齢
12.3
-
BI
9.0
釣行当日の気象情報を表示 釣行当日の気象情報を隠す -
知々丸
兵庫県 姫路市 野田川24日前釣行日:2026年1月31日(土)中潮マダイ
25~45cm 0~7匹 姫路市の瀬尾氏らの乗合いです。
釣行当日の潮汐
200 0 -40 0:00 6:00 12:00 18:00 24:00釣行当日の気象
-
日の出
07:00
日の入
17:29
-
月の出
15:27
月の入
05:43
-
天気
曇りのち時々晴れ
-
気温
8℃/1℃
-
気圧
1024.1hPa
-
風
北北西
2.5m/s -
波
西北西
0.2m/s -
水温
9.7℃
-
潮
中潮
-
月齢
12.3
-
BI
9.0
釣行当日の気象情報を表示 釣行当日の気象情報を隠す -
リタックル
兵庫県 明石市 明石港24日前釣行日:2026年1月31日(土)中潮マダイ
51cm 0~1匹 ガシラ 朝便、鯛カブラ。
釣行当日の潮汐
200 0 -40 0:00 6:00 12:00 18:00 24:00釣行当日の気象
-
日の出
06:59
日の入
17:28
-
月の出
15:26
月の入
05:42
-
天気
曇りのち時々晴れ
-
気温
8℃/1℃
-
気圧
1024.1hPa
-
風
北北西
2.4m/s -
波
西
0.2m/s -
水温
9.7℃
-
潮
中潮
-
月齢
12.3
-
BI
8.1
釣行当日の気象情報を表示 釣行当日の気象情報を隠す -
海蓮丸
兵庫県 明石市 明石港25日前釣行日:2026年1月30日(金)中潮マダイ
44~73cm 合計2匹 海蓮丸速報|1月30日 一つテンヤ真鯛で最大72.5cm。 天然・明石の大型真鯛が上がりました。さすがの一言です。 タイサビキを試してみると、30cm近いメバルが2連発。 そのほか、グチやガシラなども釣れていました。 水温の低下により、メバルの活性が上がってきているのかもしれません。 フグ便は本日は難しく、数が伸びませんでした。 なかなかシビアな一日となりましたが、またリベンジをお願いいたします。 釣れる日と難しい日が、はっきり分かれてきています。 今週末の状況にも注目です。 出船予定・空き状況 【1月31日(土)】 ・フグ1日便:満船 ・通常フグ便:空きあり(ご予約受付中) 【2月1日(日)】 ・フグタイラバ1日便:募集中(大型実績あり) ・フグ1日便:残り10名様 ・通常フグ便:空きあり 【2月2日(月)】 ・フグタイラバ1日便:空きあり ・フグ1日便:空きあり ・通常フグ便:余裕あります ※以降の日程も空きございます。 2月も海蓮丸をよろしくお願いいたします。
釣行当日の潮汐
100 0 -20 0:00 6:00 12:00 18:00 24:00釣行当日の気象
-
日の出
07:00
日の入
17:27
-
月の出
14:15
月の入
04:42
-
天気
曇り時々晴れ
-
気温
8℃/2℃
-
気圧
1024.5hPa
-
風
西北西
5.6m/s -
波
西
0.5m/s -
水温
9.9℃
-
潮
中潮
-
月齢
11.3
-
BI
6.8
釣行当日の気象情報を表示 釣行当日の気象情報を隠す -
村由丸
兵庫県 明石市 林崎漁港26日前釣行日:2026年1月29日(木)若潮タイ
(マダイ)寒くなり厳しい季節ですが短い時合いでしっかり物にできる方複数キャッチできてます。 フォールスピード、動かし方で当たりに差が出るような感じでした。 特に浅場ではキャストし角度つけれる方当たり連発する場面ありました。 ひとつテンヤラスト2日間です。 明日明後日空きありますのでみなさんよろしくお願いします。
釣行当日の潮汐
100 0 -20 0:00 6:00 12:00 18:00 24:00釣行当日の気象
-
日の出
07:00
日の入
17:26
-
月の出
13:10
月の入
03:35
-
天気
曇り時々晴れ
-
気温
9℃/1℃
-
気圧
1022.9hPa
-
風
西北西
5.6m/s -
波
西
0.6m/s -
水温
10.0℃
-
潮
若潮
-
月齢
10.3
-
BI
7.5
釣行当日の気象情報を表示 釣行当日の気象情報を隠す
兵庫県の人気魚種の釣果情報
- 兵庫県×マダイ
- 兵庫県×ブリ
- 兵庫県×マアジ
- 兵庫県×アカアマダイ
- 兵庫県×カサゴ
- 兵庫県×ヒラメ
- 兵庫県×ゴマサバ
- 兵庫県×イサキ
- 兵庫県×ヒラマサ
- 兵庫県×メバル
- 兵庫県×タチウオ
- 兵庫県×サワラ
- 兵庫県×スズキ
- 兵庫県×カワハギ
- 兵庫県×ヤリイカ
- 兵庫県×キジハタ
- 兵庫県×カンパチ
- 兵庫県×オニカサゴ
- 兵庫県×マハタ
- 兵庫県×アオリイカ
- 兵庫県×チダイ
- 兵庫県×クロダイ
- 兵庫県×シロギス
- 兵庫県×シロアマダイ
- 兵庫県×ショウサイフグ
- 兵庫県×キダイ
- 兵庫県×キハダ
- 兵庫県×マゴチ
- 兵庫県×スルメイカ
- 兵庫県×ホウボウ
- 兵庫県×ケンサキイカ
- 兵庫県×メダイ
- 兵庫県×イトヨリダイ
- 兵庫県×クロソイ
- 兵庫県×マダコ
- 兵庫県×シログチ
- 兵庫県×アラ
- 兵庫県×オオモンハタ
- 兵庫県×チカメキントキ
- 兵庫県×メジナ
- 兵庫県×ウスメバル
- 兵庫県×ビンナガ
- 兵庫県×クログチ
- 兵庫県×ウッカリカサゴ
- 兵庫県×マコガレイ
- 兵庫県×ウマヅラハギ
- 兵庫県×イシダイ
- 兵庫県×アコウダイ
- 兵庫県×クエ
- 兵庫県×トラフグ
- 兵庫県×コウイカ
- 兵庫県×キツネメバル
- 兵庫県×オオクチイシナギ
- 兵庫県×マサバ
- 兵庫県×シロサバフグ
- 兵庫県×カミナリイカ
- 兵庫県×ハマフエフキ
- 兵庫県×コロダイ
- 兵庫県×アカヤガラ
- 兵庫県×ヘダイ
- 兵庫県×オニオコゼ
- 兵庫県×キュウセン
各都道府県の人気魚種の釣果情報
- 岩手県×スルメイカ
- 岩手県×マダラ
- 岩手県×マコガレイ
- 岩手県×ブリ
- 岩手県×アイナメ
- 宮城県×ヒラメ
- 宮城県×マアジ
- 宮城県×アイナメ
- 宮城県×マコガレイ
- 宮城県×マダラ
- 福島県×マダイ
- 福島県×ヒラメ
- 福島県×チダイ
- 福島県×メバル
- 福島県×アイナメ
- 茨城県×マダイ
- 茨城県×ヒラメ
- 茨城県×ブリ
- 茨城県×マダコ
- 茨城県×カサゴ
- 埼玉県×サワラ
- 埼玉県×タチウオ
- 埼玉県×マダイ
- 埼玉県×ブリ
- 埼玉県×ホウボウ
- 千葉県×マダイ
- 千葉県×ヒラメ
- 千葉県×マアジ
- 千葉県×イサキ
- 千葉県×カサゴ
- 東京都×マアジ
- 東京都×タチウオ
- 東京都×シロギス
- 東京都×マダコ
- 東京都×スズキ
- 神奈川県×マアジ
- 神奈川県×マダイ
- 神奈川県×タチウオ
- 神奈川県×アカアマダイ
- 神奈川県×ブリ
- 新潟県×マダイ
- 新潟県×ブリ
- 新潟県×マアジ
- 新潟県×ゴマサバ
- 新潟県×キダイ
- 富山県×アオリイカ
- 富山県×マダイ
- 富山県×ブリ
- 富山県×カサゴ
- 富山県×キジハタ
- 石川県×ブリ
- 石川県×キジハタ
- 石川県×マダイ
- 石川県×マアジ
- 石川県×ウッカリカサゴ
- 福井県×ケンサキイカ
- 福井県×マダイ
- 福井県×アオリイカ
- 福井県×スルメイカ
- 福井県×マアジ
- 静岡県×マダイ
- 静岡県×マアジ
- 静岡県×イサキ
- 静岡県×タチウオ
- 静岡県×アカアマダイ
- 愛知県×ブリ
- 愛知県×マダイ
- 愛知県×タチウオ
- 愛知県×ヒラメ
- 愛知県×ホウボウ
- 三重県×ブリ
- 三重県×マダイ
- 三重県×ヒラメ
- 三重県×カサゴ
- 三重県×サワラ
- 京都府×ケンサキイカ
- 京都府×ブリ
- 京都府×マダイ
- 京都府×スルメイカ
- 京都府×アオリイカ
- 大阪府×マダイ
- 大阪府×ブリ
- 大阪府×サワラ
- 大阪府×スズキ
- 大阪府×タチウオ
- 兵庫県×ブリ
- 兵庫県×マダイ
- 兵庫県×マダコ
- 兵庫県×サワラ
- 兵庫県×タチウオ
- 和歌山県×マダイ
- 和歌山県×ブリ
- 和歌山県×マアジ
- 和歌山県×イサキ
- 和歌山県×シロアマダイ
- 鳥取県×ケンサキイカ
- 鳥取県×アオリイカ
- 鳥取県×スルメイカ
- 鳥取県×カサゴ
- 鳥取県×アオハタ
- 島根県×ケンサキイカ
- 島根県×スルメイカ
- 島根県×ゴマサバ
- 島根県×マアジ
- 島根県×コウイカ
- 岡山県×スズキ
- 岡山県×マダイ
- 岡山県×ヒラメ
- 岡山県×キジハタ
- 岡山県×クロダイ
- 広島県×マダイ
- 広島県×ブリ
- 広島県×キジハタ
- 広島県×サワラ
- 広島県×シロギス
- 山口県×ケンサキイカ
- 山口県×アオリイカ
- 山口県×キジハタ
- 山口県×ブリ
- 山口県×マダイ
- 徳島県×ブリ
- 徳島県×マアジ
- 徳島県×イサキ
- 徳島県×チダイ
- 徳島県×カンパチ
- 香川県×マダイ
- 香川県×アオリイカ
- 香川県×キジハタ
- 香川県×シロギス
- 香川県×ヒラメ
- 愛媛県×マダイ
- 愛媛県×ブリ
- 愛媛県×キジハタ
- 愛媛県×タチウオ
- 愛媛県×サワラ
- 高知県×カンパチ
- 高知県×イサキ
- 高知県×マアジ
- 高知県×マダイ
- 高知県×チダイ
- 福岡県×マダイ
- 福岡県×ヤリイカ
- 福岡県×ケンサキイカ
- 福岡県×ヒラマサ
- 福岡県×ブリ
- 佐賀県×ヒラマサ
- 佐賀県×アカアマダイ
- 佐賀県×マダイ
- 佐賀県×サワラ
- 佐賀県×アオリイカ
- 長崎県×マダイ
- 長崎県×キジハタ
- 長崎県×オオモンハタ
- 長崎県×ブリ
- 長崎県×ヒラマサ
- 熊本県×マダイ
- 熊本県×ヒラメ
- 熊本県×キジハタ
- 熊本県×カサゴ
- 熊本県×メバル
- 鹿児島県×カンパチ
- 鹿児島県×アカハタ
- 鹿児島県×カワハギ
- 鹿児島県×マダイ
- 鹿児島県×オオモンハタ
- 沖縄県×スジアラ
- 沖縄県×キハダ
- 沖縄県×バラハタ
- 沖縄県×タカサゴ
- 沖縄県×ハマフエフキ















































この日も時合い見ての海苔棚鯛ラバ便時合いも長く時には4人同時ヒットもあり良し 釣れる鯛もすべて良型です。 この時期しかないお勧めの釣りですよ~