-
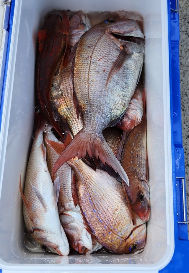
幸栄丸
茨城県 鹿嶋市 鹿嶋旧港214日前釣行日:2025年10月6日(月)大潮ショウサイフグ
15~35cm 1~7匹 釣行当日の潮汐
200 0 -40 0:00 6:00 12:00 18:00 24:00釣行当日の気象
-
日の出
05:36
日の入
17:14
-
月の出
16:36
月の入
04:10
-
天気
曇り
-
気温
27℃/21℃
-
気圧
1011.0hPa
-
風
北北西
1.4m/s -
波
東南東
1.1m/s -
水温
24.1℃
-
潮
大潮
-
月齢
14.3
-
BI
10.7
釣行当日の気象情報を表示 釣行当日の気象情報を隠す -
清栄丸
茨城県 鹿嶋市 鹿嶋旧港215日前釣行日:2025年10月5日(日)大潮ショウサイフグ
マダイ 0.40~0.80kg 0~1匹 ハナダイ カサゴ イナダ テンヤ真鯛船。 出船予定・*・集合4時半/午後船集合11時半(出船確定は3名様〜) 〜現在のご予約状況〜 6(月)7(火)船体整備の為休船 12(日)テンヤ真鯛船確定受付中 13(月)テンヤ真鯛船受付中(現在2名様) 〜11月からのヒラメ船ご予約状況〜 1(土)ヒラメ船受付終了しました※ご予約済で人数変更等ある方はお早めにご連絡下さい 2(日)ヒラメ船受付終了しました※ご予約済で人数変更等ある方はお早めにご連絡下さい 3(月)ヒラメ船確定受付中 4(火)ヒラメ船確定受付中 ◎テンヤ真鯛船(午前・午後)料金\11,000(税込)※エサ別になります*テンヤ8号前後☆☆清栄丸真鯛ダービー開催中☆☆期間R7年3/1〜10/31皆様のご参加お待ちしてしております。 ◎マダコ船料金\12,100(税込) ◎夜イカ船料金\13,200(税込) ◎ヒラメ船料金\13,200(税込)活き餌付き※11月より出船します。ご予約受付中です。 ☆お得な割引①②※割引の併用は出来ません。 ①女性・中学生以下割引有り(ポイントは付きません) ②団体割引有り(男性5名様〜)※仕立て船は別料金になりますので、ご確認下さい。 ※人数変更がある時はお早めにご連絡下さい。(満席の日などキャンセル待ちのお客様もいます) ※並びでの座席確保はお早めにご連絡下さい。但し座席指定は出来ませんのでご注意下さい! 出船の最終判断は前夜7時頃になります。出船中止の時は、お客様ご連絡先にお電話致します。早めに出られる方は確認のご連絡をお願いします。 鹿島港までのカーナビ設定は0299-83-3192(加倉井漁具店さん)でお願いします。 *当船宿のポイントカードはご本人様のみのご利用になります。合算も出来ませんので、当日ポイントをご希望の方はお忘れなくご持参下さい。 *ゴミのお持ち帰りにご協力下さい。
釣行当日の潮汐
200 0 -40 0:00 6:00 12:00 18:00 24:00釣行当日の気象
-
日の出
05:35
日の入
17:16
-
月の出
16:09
月の入
03:00
-
天気
晴れ後時々曇り
-
気温
28℃/21℃
-
気圧
1015.5hPa
-
風
南東
0.6m/s -
波
東
1.1m/s -
水温
24.0℃
-
潮
大潮
-
月齢
13.3
-
BI
10.0
釣行当日の気象情報を表示 釣行当日の気象情報を隠す -
義心丸
茨城県 鹿嶋市 鹿嶋旧港215日前釣行日:2025年10月5日(日)大潮フグ
(ショウサイフグ)マダイ 0.30~0.80kg 1~6匹 マハタ ヒラメ キジハタ カサゴ イナダ イサキ ハナダイ ウマヅラ ガンゾウ 午前テンヤ、700~800主体にポツポツ釣れるも大鯛のヒットは残念ながらありませんでした。 明日は集客あれば午前テンヤで出船したいので宜しくお願いします。
釣行当日の潮汐
200 0 -40 0:00 6:00 12:00 18:00 24:00釣行当日の気象
-
日の出
05:35
日の入
17:16
-
月の出
16:09
月の入
03:00
-
天気
晴れ後時々曇り
-
気温
28℃/21℃
-
気圧
1015.5hPa
-
風
南東
0.6m/s -
波
東
1.1m/s -
水温
24.0℃
-
潮
大潮
-
月齢
13.3
-
BI
10.0
釣行当日の気象情報を表示 釣行当日の気象情報を隠す -
利喜丸
茨城県 鹿嶋市 鹿嶋旧港215日前釣行日:2025年10月5日(日)大潮ショウサイフグ
20~35cm 3~10匹 サバフグ カレイ ハナダイ フグ船。 今日も昨日のポイントから入りましたが、型程度で色々捜索して良いところでは数匹上がりましたが、長続きせず苦戦しました。
釣行当日の潮汐
200 0 -40 0:00 6:00 12:00 18:00 24:00釣行当日の気象
-
日の出
05:35
日の入
17:16
-
月の出
16:09
月の入
03:00
-
天気
晴れ後時々曇り
-
気温
28℃/21℃
-
気圧
1015.5hPa
-
風
南東
0.6m/s -
波
東
1.1m/s -
水温
24.0℃
-
潮
大潮
-
月齢
13.3
-
BI
10.0
釣行当日の気象情報を表示 釣行当日の気象情報を隠す -
直重丸
茨城県 日立市 久慈漁港215日前釣行日:2025年10月5日(日)大潮フグ
(ショウサイフグ)マダイ 0.30~0.80kg 3~6匹 ハタ カレイ カサゴ ホウボウ テンヤマダイ。
釣行当日の潮汐
200 0 -40 0:00 6:00 12:00 18:00 24:00釣行当日の気象
-
日の出
05:36
日の入
17:16
-
月の出
16:09
月の入
03:00
-
天気
曇りのち一時雨
-
気温
28℃/17℃
-
気圧
1015.6hPa
-
風
西南西
0.8m/s -
波
東南東
1.1m/s -
水温
23.7℃
-
潮
大潮
-
月齢
13.3
-
BI
10.0
釣行当日の気象情報を表示 釣行当日の気象情報を隠す -
宗和丸
茨城県 鹿嶋市 鹿嶋新港215日前釣行日:2025年10月5日(日)大潮ショウサイフグ
15~25cm 0~4匹 マダイ 0.50~2.20kg 0~3匹 ハナダイ 0.30~0.50kg 0~2匹 イナダ 45cm 合計1匹 ホウボウ 25~30cm 0~2匹 カサゴ 15~20cm 0~2匹 トラフグ 1.00kg 合計1匹 午前テンヤ真鯛船 北のポイント 水深、30m前後を狙い 今日は、当たり多く 外道多彩に掛かり お土産十分でしたよ~(^o^)/
釣行当日の潮汐
200 0 -40 0:00 6:00 12:00 18:00 24:00釣行当日の気象
-
日の出
05:35
日の入
17:16
-
月の出
16:09
月の入
03:00
-
天気
晴れ後時々曇り
-
気温
28℃/21℃
-
気圧
1015.5hPa
-
風
南東
0.6m/s -
波
東
0.9m/s -
水温
24.0℃
-
潮
大潮
-
月齢
13.3
-
BI
10.0
釣行当日の気象情報を表示 釣行当日の気象情報を隠す -
不動丸
茨城県 鹿嶋市 鹿嶋旧港215日前釣行日:2025年10月5日(日)大潮ショウサイフグ
25~45cm 0~15匹 フグ ショウサイフグ25~45cm…0~15匹。 他トラフグ、カワハギ、ホウボウ、ハナダイ、ガンゾウビラメ、ムシガレイ。 前日爆釣したジャリ場から始めで、朝はポツリポツリと掛かりましたが1時間位でアタリが止まってしまいました。前日の終盤に釣れたジャリ場に行ってもフグは型が出ただけでした。 潮が澄み過ぎていたのと、ウネリがまた出ていたのでフグの機嫌が悪かった様です?。 先週まで釣れていたポイントを転々と探って行きましたが、どこも反応が無くて不調でした。 終盤に大竹沖の砂底ポイントで小さな反応を見つけて、流す度に数匹ずつのショウサイフグが掛かりました。ジャンボサイズばかりでした。
釣行当日の潮汐
200 0 -40 0:00 6:00 12:00 18:00 24:00釣行当日の気象
-
日の出
05:35
日の入
17:16
-
月の出
16:09
月の入
03:00
-
天気
晴れ後時々曇り
-
気温
28℃/21℃
-
気圧
1015.5hPa
-
風
南東
0.6m/s -
波
東
1.1m/s -
水温
24.0℃
-
潮
大潮
-
月齢
13.3
-
BI
10.0
釣行当日の気象情報を表示 釣行当日の気象情報を隠す -
幸栄丸
茨城県 鹿嶋市 鹿嶋旧港215日前釣行日:2025年10月5日(日)大潮ショウサイフグ
25~40cm 2~10匹 朝から早々に型も見れて好調、と思いきや反応まとまらず苦戦・・北上しつつ他のポイントも試していきましたが中々続かず。 しかし終盤にポツリポツリと掛かるところありフグの型も良く手返しのいい人は数も伸ばしてくれました。
釣行当日の潮汐
200 0 -40 0:00 6:00 12:00 18:00 24:00釣行当日の気象
-
日の出
05:35
日の入
17:16
-
月の出
16:09
月の入
03:00
-
天気
晴れ後時々曇り
-
気温
28℃/21℃
-
気圧
1015.5hPa
-
風
南東
0.6m/s -
波
東
1.1m/s -
水温
24.0℃
-
潮
大潮
-
月齢
13.3
-
BI
10.0
釣行当日の気象情報を表示 釣行当日の気象情報を隠す -
桜井丸
茨城県 鹿嶋市 鹿嶋新港216日前釣行日:2025年10月4日(土)中潮ショウサイフク
(ショウサイフグ)マダイ 0.20~1.70kg 0~6匹 ハナダイ イナダ カサゴ ニベ 午後真鯛23号船
釣行当日の潮汐
200 0 -40 0:00 6:00 12:00 18:00 24:00釣行当日の気象
-
日の出
05:34
日の入
17:17
-
月の出
15:40
月の入
01:51
-
天気
曇り一時雨
-
気温
28℃/21℃
-
気圧
1021.6hPa
-
風
北東
2.3m/s -
波
東
1.1m/s -
水温
23.7℃
-
潮
中潮
-
月齢
12.3
-
BI
8.3
釣行当日の気象情報を表示 釣行当日の気象情報を隠す -
利喜丸
茨城県 鹿嶋市 鹿嶋旧港216日前釣行日:2025年10月4日(土)中潮ショウサイフグ
20~40cm 16~33匹 サバフグ カレイ ハナダイ ホウボウ フグ船。 今日は、他船が前日好調だったポイントからやり、9時頃までポツポツ当たり続けました! 後半、パッタリ止まってしまい移動しましたが良い所に当たらずでした。
釣行当日の潮汐
200 0 -40 0:00 6:00 12:00 18:00 24:00釣行当日の気象
-
日の出
05:34
日の入
17:17
-
月の出
15:40
月の入
01:52
-
天気
曇り一時雨
-
気温
28℃/21℃
-
気圧
1021.6hPa
-
風
北東
2.3m/s -
波
東
1.2m/s -
水温
23.7℃
-
潮
中潮
-
月齢
12.3
-
BI
8.3
釣行当日の気象情報を表示 釣行当日の気象情報を隠す -
長岡丸
茨城県 鹿嶋市 鹿嶋旧港216日前釣行日:2025年10月4日(土)中潮ショウサイフグ
27~42cm 9~22匹 マダイ 0.50~2.94kg 0~3匹 マダコ 0.20~1.20kg 0~5匹 ◆ショウサイフグ船 ジャンボフグ主体 サイズ27~42cm9~22匹 外道、トラフグ ◆午前テンヤ船 0.5~2.94キロ 0~3枚 竿頭中澤さん 外道ハナダイ、カサゴ、ショウサイフグ ◆マダコ船 サイズ0.2~1.2kg0~5杯 フグ船は型が良くアタリ多く数が上がりました。 マダイ午前船は下潮流れ悪くも前半はマダイがポツポツ有り、中盤食い悪く、後半ポツポツ当たりました。 ご乗船の皆さん、大変お疲れ様でした。ありがとうございました。またのお越しをお待ちしております。
釣行当日の潮汐
200 0 -40 0:00 6:00 12:00 18:00 24:00釣行当日の気象
-
日の出
05:34
日の入
17:17
-
月の出
15:40
月の入
01:52
-
天気
曇り一時雨
-
気温
28℃/21℃
-
気圧
1021.6hPa
-
風
北東
2.3m/s -
波
東
1.2m/s -
水温
23.7℃
-
潮
中潮
-
月齢
12.3
-
BI
8.3
釣行当日の気象情報を表示 釣行当日の気象情報を隠す -
不動丸
茨城県 鹿嶋市 鹿嶋旧港216日前釣行日:2025年10月4日(土)中潮ショウサイフグ
25~45cm 22~58匹 トラフグ 1.00~1.50kg 0~1匹 フグ ショウサイフグ25~45cm…22~58匹。 他トラフグ1~1.5kg船中3匹、 マダコ、ガンゾウビラメ、ホウボウ。 港近くのジャリ場34メートルで、朝から好反応に乗りアタリ活発でした。 フグのサイズは30~40センチが大半で、開始早々から9:00位まで流しっぱなしで掛かり続きました。 今日は船数も多かったからか?、9:30頃にパッタリとアタリが少なくなってしまいましたが、終盤にまた違うポイントでポツポツと掛かる様になりました。 2日連続の爆釣です。お客さん皆さん喜んで下船して行きました。 よかったです(^-^)。
釣行当日の潮汐
200 0 -40 0:00 6:00 12:00 18:00 24:00釣行当日の気象
-
日の出
05:34
日の入
17:17
-
月の出
15:40
月の入
01:52
-
天気
曇り一時雨
-
気温
28℃/21℃
-
気圧
1021.6hPa
-
風
北東
2.3m/s -
波
東
1.2m/s -
水温
23.7℃
-
潮
中潮
-
月齢
12.3
-
BI
8.3
釣行当日の気象情報を表示 釣行当日の気象情報を隠す -
宗和丸
茨城県 鹿嶋市 鹿嶋新港216日前釣行日:2025年10月4日(土)中潮ショウサイフグ
20~30cm 0~2匹 マダイ 0.80~1.40kg 0~1匹 ハナダイ 0.30~0.40kg 0~1匹 カサゴ 15~24cm 0~2匹 ホウボウ 25~26cm 0~1匹 ガンゾウヒラメ 30~33cm 0~2匹 ヒラマサ 95cm 合計1匹 午前テンヤ真鯛船 北のポイントを 転々としながら狙いましたが 当たりが少なく、大苦戦!! ごちゃごちゃ波の中 お疲れさまでした!
釣行当日の潮汐
200 0 -40 0:00 6:00 12:00 18:00 24:00釣行当日の気象
-
日の出
05:34
日の入
17:17
-
月の出
15:40
月の入
01:51
-
天気
曇り一時雨
-
気温
28℃/21℃
-
気圧
1021.6hPa
-
風
北東
2.3m/s -
波
東
1.1m/s -
水温
23.7℃
-
潮
中潮
-
月齢
12.3
-
BI
8.3
釣行当日の気象情報を表示 釣行当日の気象情報を隠す -
幸栄丸
茨城県 鹿嶋市 鹿嶋旧港216日前釣行日:2025年10月4日(土)中潮ショウサイフグ
25~40cm 23~53匹 フグ釣り連日好調!! 朝のうちから反応乗れてポツポツと掛かりだし誘いあって手返しのいい人は順調に数を伸ばし、それに寄せられてか船に反応ついてくれると船内平均して掛かりだし好スタート!! 後半フグの食い気が落ち着いてくるとペースダウン、他ポイント点々としつつ捜索していくと型も出ていいところはポツリポツリと掛かりました。 若干風もあって釣りにくい状況なのもあったので海も落ち着いて釣りやすくなってくれればフグのやる気も落ちる事なくまだまだ数も伸びていったと思います!!今後も期待できるでしょう! 明日からも出船予定!出航予定などトップページのINFORMATIONをご確認お願いします
釣行当日の潮汐
200 0 -40 0:00 6:00 12:00 18:00 24:00釣行当日の気象
-
日の出
05:34
日の入
17:17
-
月の出
15:40
月の入
01:52
-
天気
曇り一時雨
-
気温
28℃/21℃
-
気圧
1021.6hPa
-
風
北東
2.3m/s -
波
東
1.2m/s -
水温
23.7℃
-
潮
中潮
-
月齢
12.3
-
BI
8.3
釣行当日の気象情報を表示 釣行当日の気象情報を隠す -
幸栄丸
茨城県 鹿嶋市 鹿嶋旧港217日前釣行日:2025年10月3日(金)中潮ショウサイフグ
28~38cm 15~38匹 昨日までのウネリも大分収まり釣りやすい状況に!前半は反応乗れず苦戦するも中盤から反応乗れてポツポツと掛かり始め船内平均して掛かりました♪ 手返しよく続けられた人は順調に数も伸ばしていき、フグのサイズも良型主体でゲストのトラフグも良型主体でしかも全員ゲット!! 終わり側まで途切れる事なく続けられたので今後も期待できそうです!! 明日からも出船予定!出航予定などトップページのINFORMATIONをご確認お願いします
釣行当日の潮汐
200 0 -40 0:00 6:00 12:00 18:00 24:00釣行当日の気象
-
日の出
05:33
日の入
17:19
-
月の出
15:10
月の入
00:43
-
天気
曇り
-
気温
27℃/22℃
-
気圧
1023.7hPa
-
風
北北東
1.7m/s -
波
東北東
1.0m/s -
水温
23.7℃
-
潮
中潮
-
月齢
11.3
-
BI
6.9
釣行当日の気象情報を表示 釣行当日の気象情報を隠す
茨城県の人気魚種の釣果情報
- 茨城県×マダイ
- 茨城県×ブリ
- 茨城県×マアジ
- 茨城県×イサキ
- 茨城県×カサゴ
- 茨城県×アカアマダイ
- 茨城県×ゴマサバ
- 茨城県×ヒラメ
- 茨城県×ヒラマサ
- 茨城県×マダコ
- 茨城県×ヤリイカ
- 茨城県×キジハタ
- 茨城県×スズキ
- 茨城県×サワラ
- 茨城県×メバル
- 茨城県×カンパチ
- 茨城県×シロギス
- 茨城県×タチウオ
- 茨城県×ケンサキイカ
- 茨城県×オニカサゴ
- 茨城県×マハタ
- 茨城県×クロダイ
- 茨城県×アカムツ
- 茨城県×チダイ
- 茨城県×マゴチ
- 茨城県×クロムツ
- 茨城県×アカハタ
- 茨城県×スルメイカ
- 茨城県×アオハタ
- 茨城県×キハダ
- 茨城県×キダイ
- 茨城県×シロアマダイ
- 茨城県×キンメダイ
- 茨城県×アラ
- 茨城県×カワハギ
- 茨城県×カツオ
- 茨城県×クロソイ
- 茨城県×ホウボウ
- 茨城県×メダイ
- 茨城県×ショウサイフグ
- 茨城県×チカメキントキ
- 茨城県×オオモンハタ
- 茨城県×シログチ
- 茨城県×マコガレイ
- 茨城県×アイナメ
- 茨城県×ウスメバル
- 茨城県×シイラ
- 茨城県×ウッカリカサゴ
- 茨城県×メバチ
- 茨城県×アコウダイ
- 茨城県×マダラ
- 茨城県×イシダイ
- 茨城県×ウマヅラハギ
- 茨城県×クエ
- 茨城県×ユメカサゴ
- 茨城県×ムシガレイ
- 茨城県×キツネメバル
- 茨城県×マアナゴ
- 茨城県×アヤメカサゴ
- 茨城県×トラフグ
- 茨城県×ハガツオ
- 茨城県×ムツ
- 茨城県×アブラボウズ
- 茨城県×マサバ
- 茨城県×オオクチイシナギ
- 茨城県×キチヌ
- 茨城県×シロサバフグ
- 茨城県×イシガレイ
- 茨城県×カナガシラ
- 茨城県×コロダイ
- 茨城県×ムラソイ
- 茨城県×アカヤガラ
- 茨城県×バラムツ
- 茨城県×スマ
- 茨城県×ヒラソウダ
- 茨城県×クロアナゴ
- 茨城県×マトウダイ
- 茨城県×コウイカ
- 茨城県×キュウセン
- 茨城県×アカメフグ
各都道府県の人気魚種の釣果情報
- 岩手県×スルメイカ
- 岩手県×マダラ
- 岩手県×ブリ
- 岩手県×マコガレイ
- 岩手県×ヒラメ
- 宮城県×ヒラメ
- 宮城県×マアジ
- 宮城県×アイナメ
- 宮城県×マコガレイ
- 宮城県×メバル
- 福島県×マダイ
- 福島県×ヒラメ
- 福島県×チダイ
- 福島県×キツネメバル
- 福島県×アイナメ
- 茨城県×マダイ
- 茨城県×ブリ
- 茨城県×ヒラメ
- 茨城県×マダコ
- 茨城県×カサゴ
- 埼玉県×サワラ
- 埼玉県×タチウオ
- 埼玉県×マダイ
- 埼玉県×ホウボウ
- 埼玉県×マアジ
- 千葉県×マダイ
- 千葉県×ヒラメ
- 千葉県×マアジ
- 千葉県×イサキ
- 千葉県×マハタ
- 東京都×マアジ
- 東京都×タチウオ
- 東京都×シロギス
- 東京都×マダコ
- 東京都×スズキ
- 神奈川県×マアジ
- 神奈川県×マダイ
- 神奈川県×ブリ
- 神奈川県×アカアマダイ
- 神奈川県×タチウオ
- 新潟県×マダイ
- 新潟県×ブリ
- 新潟県×マアジ
- 新潟県×ゴマサバ
- 新潟県×キダイ
- 富山県×アオリイカ
- 富山県×マダイ
- 富山県×ブリ
- 富山県×キジハタ
- 富山県×カサゴ
- 石川県×ブリ
- 石川県×キジハタ
- 石川県×マダイ
- 石川県×カサゴ
- 石川県×ウッカリカサゴ
- 福井県×ケンサキイカ
- 福井県×マダイ
- 福井県×アオリイカ
- 福井県×スルメイカ
- 福井県×マアジ
- 静岡県×マダイ
- 静岡県×イサキ
- 静岡県×マアジ
- 静岡県×ブリ
- 静岡県×タチウオ
- 愛知県×ブリ
- 愛知県×マダイ
- 愛知県×タチウオ
- 愛知県×ホウボウ
- 愛知県×ヒラメ
- 三重県×ブリ
- 三重県×マダイ
- 三重県×ヒラメ
- 三重県×カサゴ
- 三重県×マアジ
- 京都府×ケンサキイカ
- 京都府×ブリ
- 京都府×マダイ
- 京都府×スルメイカ
- 京都府×アオリイカ
- 大阪府×マダイ
- 大阪府×サワラ
- 大阪府×ブリ
- 大阪府×スズキ
- 大阪府×タチウオ
- 兵庫県×ブリ
- 兵庫県×マダイ
- 兵庫県×マダコ
- 兵庫県×サワラ
- 兵庫県×タチウオ
- 和歌山県×マダイ
- 和歌山県×ブリ
- 和歌山県×マアジ
- 和歌山県×イサキ
- 和歌山県×シロアマダイ
- 鳥取県×ケンサキイカ
- 鳥取県×アオリイカ
- 鳥取県×スルメイカ
- 鳥取県×マダイ
- 鳥取県×アオハタ
- 島根県×ケンサキイカ
- 島根県×スルメイカ
- 島根県×ゴマサバ
- 島根県×マアジ
- 島根県×コウイカ
- 岡山県×スズキ
- 岡山県×マダイ
- 岡山県×ヒラメ
- 岡山県×キジハタ
- 岡山県×クロダイ
- 広島県×マダイ
- 広島県×ブリ
- 広島県×キジハタ
- 広島県×サワラ
- 広島県×シロギス
- 山口県×ケンサキイカ
- 山口県×アオリイカ
- 山口県×キジハタ
- 山口県×ブリ
- 山口県×マダイ
- 徳島県×ブリ
- 徳島県×マアジ
- 徳島県×チダイ
- 徳島県×イサキ
- 徳島県×キダイ
- 香川県×マダイ
- 香川県×アオリイカ
- 香川県×キジハタ
- 香川県×クロダイ
- 香川県×シロギス
- 愛媛県×マダイ
- 愛媛県×ブリ
- 愛媛県×キジハタ
- 愛媛県×タチウオ
- 愛媛県×カサゴ
- 高知県×カンパチ
- 高知県×イサキ
- 高知県×アカアマダイ
- 高知県×マダイ
- 高知県×ケンサキイカ
- 福岡県×マダイ
- 福岡県×ヤリイカ
- 福岡県×ケンサキイカ
- 福岡県×ヒラマサ
- 福岡県×ブリ
- 佐賀県×ヒラマサ
- 佐賀県×マダイ
- 佐賀県×アカアマダイ
- 佐賀県×キダイ
- 佐賀県×キジハタ
- 長崎県×マダイ
- 長崎県×キジハタ
- 長崎県×オオモンハタ
- 長崎県×アオハタ
- 長崎県×ブリ
- 熊本県×マダイ
- 熊本県×ヒラメ
- 熊本県×キジハタ
- 熊本県×メバル
- 熊本県×カサゴ
- 鹿児島県×カンパチ
- 鹿児島県×マダイ
- 鹿児島県×ケンサキイカ
- 鹿児島県×オオモンハタ
- 鹿児島県×バラハタ
- 沖縄県×スジアラ
- 沖縄県×バラハタ
- 沖縄県×キハダ
- 沖縄県×ハマフエフキ
- 沖縄県×クエ




























今日は昨晩からのウネリもあって反応もまとまらず大苦戦・・好反応求めて各方面捜索していき怪しい反応も試してみましたが活性低いのもあってか型は出ても中々続かず。 ウネリ抜けてくれれば怪しそうな反応は見れたのでフグもやる気を出してくれれば期待できると思います。