-
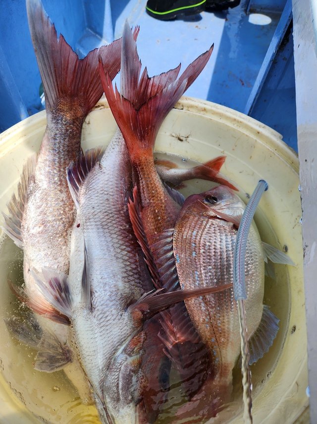
義心丸
茨城県 鹿嶋市 鹿嶋旧港352日前釣行日:2025年5月3日(土)中潮カナガシラ
マダイ 0.50kg ハナダイ ヒラメ イナダ ホウボウ フグ サバ 釣行当日の潮汐
200 0 -40 0:00 6:00 12:00 18:00 24:00釣行当日の気象
-
日の出
04:43
日の入
18:26
-
月の出
09:17
月の入
-
天気
晴れ
-
気温
21℃/13℃
-
気圧
1007.5hPa
-
風
北北西
2.3m/s -
波
東
2.5m/s -
水温
15.6℃
-
潮
中潮
-
月齢
5.3
-
BI
7.2
釣行当日の気象情報を表示 釣行当日の気象情報を隠す -
清栄丸
茨城県 鹿嶋市 鹿嶋旧港352日前釣行日:2025年5月3日(土)中潮カナガシラ
マダイ 1.80~3.20kg 0~2匹 ハナダイ イナダ ホウボウ アジ サバ 午後テンヤ真鯛船。午後も海悪く釣りにくい状況でしたが、何とか中鯛ゲット出来ました!イナダも多数でお土産になりました。
釣行当日の潮汐
200 0 -40 0:00 6:00 12:00 18:00 24:00釣行当日の気象
-
日の出
04:43
日の入
18:26
-
月の出
09:17
月の入
-
天気
晴れ
-
気温
21℃/13℃
-
気圧
1007.5hPa
-
風
北北西
2.3m/s -
波
東
2.5m/s -
水温
15.6℃
-
潮
中潮
-
月齢
5.3
-
BI
7.2
釣行当日の気象情報を表示 釣行当日の気象情報を隠す -
清栄丸
茨城県 鹿嶋市 鹿嶋旧港352日前釣行日:2025年5月3日(土)中潮カナガシラ
マダイ 0.50~3.30kg 0~1匹 ハナダイ カサゴ ホウボウ イナダ ショウサイフグ サバ テンヤ真鯛船。本日は朝から海悪くアタリ少なく苦戦しました。中盤からはアタリ出し、中鯛3.3キロゲット出来ました!外道のイナダが多数掛かりお土産になりました。明日もテンヤ真鯛船出船します。
釣行当日の潮汐
200 0 -40 0:00 6:00 12:00 18:00 24:00釣行当日の気象
-
日の出
04:43
日の入
18:26
-
月の出
09:17
月の入
-
天気
晴れ
-
気温
21℃/13℃
-
気圧
1007.5hPa
-
風
北北西
2.3m/s -
波
東
2.5m/s -
水温
15.6℃
-
潮
中潮
-
月齢
5.3
-
BI
7.2
釣行当日の気象情報を表示 釣行当日の気象情報を隠す -
宗和丸
茨城県 鹿嶋市 鹿嶋新港353日前釣行日:2025年5月2日(金)中潮カナガシラ
15~20cm 0~3匹 マダイ 1.00~4.90kg 0~1匹 ハナダイ 0.50~0.90kg 2~7匹 ホウボウ 30~40cm 0~2匹 ショウサイフグ 20cm 合計1匹 午前テンヤ真鯛船 今日は近場のポイントから狙いましたが、当たり少なく、 北のポイントに移動すると 出ましたよ~(^o^)/ 4、90キロ 1、62キロ 1、0キロ。 香取市から、お越しの「重元様」 半額券3枚ゲット! おめでとうございます! 惜しかったですね… こちら、活き餌(エビ)での掛かりでしたよ(^o^)/ 徐々に、風が増してしまい 波高くなってしまい、 安全を考慮し、 鹿嶋全船、10:00はやあがりと致しました。 お疲れさまでした!
釣行当日の潮汐
200 0 -40 0:00 6:00 12:00 18:00 24:00釣行当日の気象
-
日の出
04:43
日の入
18:25
-
月の出
08:08
月の入
23:42
-
天気
雨
-
気温
19℃/14℃
-
気圧
1014.2hPa
-
風
南東
4.5m/s -
波
東
1.3m/s -
水温
15.9℃
-
潮
中潮
-
月齢
4.3
-
BI
7.6
釣行当日の気象情報を表示 釣行当日の気象情報を隠す -
清栄丸
茨城県 鹿嶋市 鹿嶋旧港354日前釣行日:2025年5月1日(木)中潮カナガシラ
マダイ 1.00kg ハナダイ クロダイ ホウボウ トラフグ サバ テンヤ真鯛船。本日はマダイは1キロ1枚のみと苦戦しました。ハナダイは、誘いの合う方は10枚以上釣れてお土産になりました。明日はお休みします。3日よりテンヤ真鯛船出船します。ご予約受付中です。
釣行当日の潮汐
200 0 -40 0:00 6:00 12:00 18:00 24:00釣行当日の気象
-
日の出
04:45
日の入
18:25
-
月の出
07:04
月の入
22:47
-
天気
晴れ時々曇り
-
気温
23℃/13℃
-
気圧
1023.1hPa
-
風
南
1.9m/s -
波
北東
1.0m/s -
水温
15.8℃
-
潮
中潮
-
月齢
3.3
-
BI
7.1
釣行当日の気象情報を表示 釣行当日の気象情報を隠す -
義心丸
茨城県 鹿嶋市 鹿嶋旧港354日前釣行日:2025年5月1日(木)中潮カナガシラ
マダイ 最大0.70kg 合計2匹 ハナダイ ヒラメ ホウボウ カサゴ ガンゾウ マハタ フグ 午後テンヤ。
釣行当日の潮汐
200 0 -40 0:00 6:00 12:00 18:00 24:00釣行当日の気象
-
日の出
04:45
日の入
18:25
-
月の出
07:04
月の入
22:47
-
天気
晴れ時々曇り
-
気温
23℃/13℃
-
気圧
1023.1hPa
-
風
南
1.9m/s -
波
北東
1.0m/s -
水温
15.8℃
-
潮
中潮
-
月齢
3.3
-
BI
7.1
釣行当日の気象情報を表示 釣行当日の気象情報を隠す -
義心丸
茨城県 鹿嶋市 鹿嶋旧港354日前釣行日:2025年5月1日(木)中潮カナガシラ
マダイ 0.60~3.50kg 0~5匹 ハナダイ ホウボウ イナダ フグ 午前テンヤ。
釣行当日の潮汐
200 0 -40 0:00 6:00 12:00 18:00 24:00釣行当日の気象
-
日の出
04:45
日の入
18:25
-
月の出
07:04
月の入
22:47
-
天気
晴れ時々曇り
-
気温
23℃/13℃
-
気圧
1023.1hPa
-
風
南
1.9m/s -
波
北東
1.0m/s -
水温
15.8℃
-
潮
中潮
-
月齢
3.3
-
BI
7.1
釣行当日の気象情報を表示 釣行当日の気象情報を隠す -
宗和丸
茨城県 鹿嶋市 鹿嶋新港354日前釣行日:2025年5月1日(木)中潮カナガシラ
15~20cm 0~3匹 マダイ 1.90kg 合計1匹 ハナダイ 0.40~1.10kg 0~8匹 ホウボウ 35~45cm 0~2匹 クロダイ 2.30kg 合計1匹 イナダ 45cm 合計1匹 午前テンヤ真鯛船 北の浅場のポイントを狙いましたが 今日は、潮が悪く、苦戦。 誘い、パターンの合ってた方は ポロポロ拾えましたね。 お疲れさまでした!
釣行当日の潮汐
200 0 -40 0:00 6:00 12:00 18:00 24:00釣行当日の気象
-
日の出
04:45
日の入
18:25
-
月の出
07:03
月の入
22:47
-
天気
晴れ時々曇り
-
気温
23℃/13℃
-
気圧
1023.1hPa
-
風
南
1.9m/s -
波
北東
1.0m/s -
水温
15.8℃
-
潮
中潮
-
月齢
3.3
-
BI
7.1
釣行当日の気象情報を表示 釣行当日の気象情報を隠す -
義心丸
茨城県 鹿嶋市 鹿嶋旧港355日前釣行日:2025年4月30日(水)中潮カナガシラ
マダイ 0.80~3.30kg 0~2匹 ハナダイ ホウボウ イナダ フグ マダイなどが釣れました。
釣行当日の潮汐
200 0 -40 0:00 6:00 12:00 18:00 24:00釣行当日の気象
-
日の出
04:46
日の入
18:24
-
月の出
06:07
月の入
21:41
-
天気
晴れ
-
気温
21℃/11℃
-
気圧
1016.6hPa
-
風
北北西
0.9m/s -
波
東
1.0m/s -
水温
15.7℃
-
潮
中潮
-
月齢
2.3
-
BI
8.3
釣行当日の気象情報を表示 釣行当日の気象情報を隠す -
清栄丸
茨城県 鹿嶋市 鹿嶋旧港355日前釣行日:2025年4月30日(水)中潮カナガシラ
マダイ 0.50~3.77kg 0~5匹 ハナダイ ホウボウ 午後テンヤ真鯛船。
釣行当日の潮汐
200 0 -40 0:00 6:00 12:00 18:00 24:00釣行当日の気象
-
日の出
04:46
日の入
18:24
-
月の出
06:07
月の入
21:41
-
天気
晴れ
-
気温
21℃/11℃
-
気圧
1016.6hPa
-
風
北北西
0.9m/s -
波
東
1.0m/s -
水温
15.7℃
-
潮
中潮
-
月齢
2.3
-
BI
8.3
釣行当日の気象情報を表示 釣行当日の気象情報を隠す -
清栄丸
茨城県 鹿嶋市 鹿嶋旧港355日前釣行日:2025年4月30日(水)中潮カナガシラ
マダイ 0.50~1.00kg 0~3匹 ハナダイ ホウボウ イナダ サバ テンヤ真鯛船。誘いの合う方はポツポツ掛かるも、アタリ少なく苦戦でした。明日もテンヤ真鯛船に出船します。
釣行当日の潮汐
200 0 -40 0:00 6:00 12:00 18:00 24:00釣行当日の気象
-
日の出
04:46
日の入
18:24
-
月の出
06:07
月の入
21:41
-
天気
晴れ
-
気温
21℃/11℃
-
気圧
1016.6hPa
-
風
北北西
0.9m/s -
波
東
1.0m/s -
水温
15.7℃
-
潮
中潮
-
月齢
2.3
-
BI
8.3
釣行当日の気象情報を表示 釣行当日の気象情報を隠す -
宗和丸
茨城県 鹿嶋市 鹿嶋新港355日前釣行日:2025年4月30日(水)中潮カナガシラ
15~25cm 0~3匹 マダイ 0.90~2.68kg 0~3匹 ハナダイ 0.50~0.80kg 0~7匹 ホウボウ 25~38cm 0~3匹 カサゴ 15~22cm 0~5匹 イナダ 40~50cm 0~1匹 メバル 25cm 合計1匹 ショウサイフグ 15~23cm 0~1匹 午前テンヤ真鯛船 北のポイントの浅場を狙い 今日は、海上穏やか 真鯛、ハナダイ掛かりましたよ~! 2、68キロ 1、3キロ 1、2キロ 1、1キロ 0、9キロ 0、6キロ。 ゲットした方は、おめでとうございます! ダメだった方は、リベンジお待ちしてますね~(^o^)/ お疲れさまでした!
釣行当日の潮汐
200 0 -40 0:00 6:00 12:00 18:00 24:00釣行当日の気象
-
日の出
04:46
日の入
18:24
-
月の出
06:06
月の入
21:41
-
天気
晴れ
-
気温
21℃/11℃
-
気圧
1016.6hPa
-
風
北北西
0.9m/s -
波
東
0.9m/s -
水温
15.7℃
-
潮
中潮
-
月齢
2.3
-
BI
8.3
釣行当日の気象情報を表示 釣行当日の気象情報を隠す -
清栄丸
茨城県 鹿嶋市 鹿嶋旧港356日前釣行日:2025年4月29日(火)大潮カナガシラ
マダイ 0.40~1.00kg 0~4匹 ハナダイ カサゴ ホウボウ クロメバル サバ フグ 午後テンヤ真鯛船。
釣行当日の潮汐
200 0 -40 0:00 6:00 12:00 18:00 24:00釣行当日の気象
-
日の出
04:47
日の入
18:23
-
月の出
05:19
月の入
20:26
-
天気
晴れ時々曇り
-
気温
22℃/13℃
-
気圧
1001.2hPa
-
風
西
1.9m/s -
波
東南東
0.6m/s -
水温
15.5℃
-
潮
大潮
-
月齢
1.3
-
BI
8.7
釣行当日の気象情報を表示 釣行当日の気象情報を隠す -
直重丸
茨城県 日立市 久慈漁港356日前釣行日:2025年4月29日(火)大潮カナガシラ
マダイ 0.30~0.60kg 1~3匹 メバル ムシガレイ ハナダイ カンパチ チカメ 今日はテンヤマダイ・メバル出船。 テンヤマダイ朝のうちパッタリ。 最後の15分でお土産確保。 メバルはチカメキントキいいサイズ。 また明日はテンヤマダイ。 空席多数。
釣行当日の潮汐
200 0 -40 0:00 6:00 12:00 18:00 24:00釣行当日の気象
-
日の出
04:46
日の入
18:24
-
月の出
05:17
月の入
20:28
-
天気
晴れ時々曇り
-
気温
23℃/10℃
-
気圧
1000.7hPa
-
風
西北西
3.2m/s -
波
東南東
0.6m/s -
水温
15.7℃
-
潮
大潮
-
月齢
1.3
-
BI
8.8
釣行当日の気象情報を表示 釣行当日の気象情報を隠す -
BLUE DRAGON
茨城県 東茨城郡大洗町 大洗港356日前釣行日:2025年4月29日(火)大潮カナガシラ
22~30cm 0~2匹 マダイ 2.00~2.70kg 0~1匹 ハナダイ 30~34cm 0~1匹 ホウボウ 30~45cm 0~1匹 サバ 35~35cm 0~1匹 午後船の釣果 西風強かったが浅場の真鯛狙いなので出船しました 日曜日と違って真鯛の喰いは良くなかったが粘り強く狙っていた方は顔見れました お疲れ様でした
釣行当日の潮汐
200 0 -40 0:00 6:00 12:00 18:00 24:00釣行当日の気象
-
日の出
04:47
日の入
18:24
-
月の出
05:18
月の入
20:28
-
天気
晴れ時々曇り
-
気温
23℃/10℃
-
気圧
1001.0hPa
-
風
西
2.8m/s -
波
東南東
0.5m/s -
水温
15.7℃
-
潮
大潮
-
月齢
1.3
-
BI
8.8
釣行当日の気象情報を表示 釣行当日の気象情報を隠す
茨城県の人気魚種の釣果情報
- 茨城県×マダイ
- 茨城県×ブリ
- 茨城県×マアジ
- 茨城県×カサゴ
- 茨城県×イサキ
- 茨城県×アカアマダイ
- 茨城県×ヒラメ
- 茨城県×ゴマサバ
- 茨城県×ヒラマサ
- 茨城県×ヤリイカ
- 茨城県×メバル
- 茨城県×マダコ
- 茨城県×スズキ
- 茨城県×カンパチ
- 茨城県×キジハタ
- 茨城県×サワラ
- 茨城県×マハタ
- 茨城県×タチウオ
- 茨城県×オニカサゴ
- 茨城県×アカムツ
- 茨城県×シロギス
- 茨城県×チダイ
- 茨城県×ケンサキイカ
- 茨城県×クロダイ
- 茨城県×クロムツ
- 茨城県×アオハタ
- 茨城県×マゴチ
- 茨城県×アカハタ
- 茨城県×スルメイカ
- 茨城県×キダイ
- 茨城県×キハダ
- 茨城県×カワハギ
- 茨城県×キンメダイ
- 茨城県×シロアマダイ
- 茨城県×ショウサイフグ
- 茨城県×ホウボウ
- 茨城県×カツオ
- 茨城県×メダイ
- 茨城県×アラ
- 茨城県×クロソイ
- 茨城県×シログチ
- 茨城県×チカメキントキ
- 茨城県×オオモンハタ
- 茨城県×ウスメバル
- 茨城県×アイナメ
- 茨城県×マコガレイ
- 茨城県×ウッカリカサゴ
- 茨城県×シイラ
- 茨城県×アコウダイ
- 茨城県×クロマグロ
- 茨城県×マダラ
- 茨城県×トラフグ
- 茨城県×クエ
- 茨城県×ウマヅラハギ
- 茨城県×イシダイ
- 茨城県×ユメカサゴ
- 茨城県×ムシガレイ
- 茨城県×キツネメバル
- 茨城県×ハガツオ
- 茨城県×アヤメカサゴ
- 茨城県×ムツ
- 茨城県×マアナゴ
- 茨城県×オオクチイシナギ
- 茨城県×キチヌ
- 茨城県×マサバ
- 茨城県×シロサバフグ
- 茨城県×アカヤガラ
- 茨城県×コロダイ
- 茨城県×アブラボウズ
- 茨城県×カナガシラ
- 茨城県×コウイカ
- 茨城県×イシガレイ
- 茨城県×アカメフグ
- 茨城県×ヒラソウダ
- 茨城県×スマ
- 茨城県×クロアナゴ
- 茨城県×マトウダイ
- 茨城県×キュウセン
各都道府県の人気魚種の釣果情報
- 岩手県×スルメイカ
- 岩手県×マダラ
- 岩手県×マコガレイ
- 岩手県×ブリ
- 岩手県×ヒラメ
- 宮城県×ヒラメ
- 宮城県×マアジ
- 宮城県×アイナメ
- 宮城県×マコガレイ
- 宮城県×メバル
- 福島県×マダイ
- 福島県×ヒラメ
- 福島県×チダイ
- 福島県×キツネメバル
- 福島県×アイナメ
- 茨城県×マダイ
- 茨城県×ブリ
- 茨城県×ヒラメ
- 茨城県×マダコ
- 茨城県×カサゴ
- 埼玉県×サワラ
- 埼玉県×タチウオ
- 埼玉県×マダイ
- 埼玉県×ブリ
- 埼玉県×マアジ
- 千葉県×マダイ
- 千葉県×ヒラメ
- 千葉県×マアジ
- 千葉県×イサキ
- 千葉県×カサゴ
- 東京都×マアジ
- 東京都×タチウオ
- 東京都×シロギス
- 東京都×マダコ
- 東京都×スズキ
- 神奈川県×マアジ
- 神奈川県×マダイ
- 神奈川県×ブリ
- 神奈川県×アカアマダイ
- 神奈川県×タチウオ
- 新潟県×マダイ
- 新潟県×ブリ
- 新潟県×マアジ
- 新潟県×ゴマサバ
- 新潟県×キダイ
- 富山県×アオリイカ
- 富山県×マダイ
- 富山県×ブリ
- 富山県×キジハタ
- 富山県×アオハタ
- 石川県×ブリ
- 石川県×キジハタ
- 石川県×マダイ
- 石川県×カサゴ
- 石川県×ウッカリカサゴ
- 福井県×ケンサキイカ
- 福井県×アオリイカ
- 福井県×マダイ
- 福井県×スルメイカ
- 福井県×マアジ
- 静岡県×マダイ
- 静岡県×イサキ
- 静岡県×マアジ
- 静岡県×タチウオ
- 静岡県×ブリ
- 愛知県×ブリ
- 愛知県×マダイ
- 愛知県×タチウオ
- 愛知県×ホウボウ
- 愛知県×ヒラメ
- 三重県×ブリ
- 三重県×マダイ
- 三重県×ヒラメ
- 三重県×カサゴ
- 三重県×アカアマダイ
- 京都府×ケンサキイカ
- 京都府×ブリ
- 京都府×マダイ
- 京都府×スルメイカ
- 京都府×アオリイカ
- 大阪府×マダイ
- 大阪府×ブリ
- 大阪府×サワラ
- 大阪府×スズキ
- 大阪府×タチウオ
- 兵庫県×ブリ
- 兵庫県×マダイ
- 兵庫県×マダコ
- 兵庫県×サワラ
- 兵庫県×タチウオ
- 和歌山県×マダイ
- 和歌山県×ブリ
- 和歌山県×マアジ
- 和歌山県×イサキ
- 和歌山県×シロアマダイ
- 鳥取県×ケンサキイカ
- 鳥取県×アオリイカ
- 鳥取県×スルメイカ
- 鳥取県×アオハタ
- 鳥取県×マダイ
- 島根県×ケンサキイカ
- 島根県×スルメイカ
- 島根県×ゴマサバ
- 島根県×マアジ
- 島根県×コウイカ
- 岡山県×スズキ
- 岡山県×マダイ
- 岡山県×ヒラメ
- 岡山県×キジハタ
- 岡山県×クロダイ
- 広島県×マダイ
- 広島県×キジハタ
- 広島県×ブリ
- 広島県×サワラ
- 広島県×シロギス
- 山口県×ケンサキイカ
- 山口県×アオリイカ
- 山口県×キジハタ
- 山口県×ブリ
- 山口県×マダイ
- 徳島県×ブリ
- 徳島県×マアジ
- 徳島県×イサキ
- 徳島県×チダイ
- 徳島県×キダイ
- 香川県×マダイ
- 香川県×アオリイカ
- 香川県×キジハタ
- 香川県×クロダイ
- 香川県×シロギス
- 愛媛県×マダイ
- 愛媛県×ブリ
- 愛媛県×キジハタ
- 愛媛県×タチウオ
- 愛媛県×サワラ
- 高知県×カンパチ
- 高知県×イサキ
- 高知県×マアジ
- 高知県×アカアマダイ
- 高知県×マダイ
- 福岡県×マダイ
- 福岡県×ヤリイカ
- 福岡県×ケンサキイカ
- 福岡県×ヒラマサ
- 福岡県×ブリ
- 佐賀県×ヒラマサ
- 佐賀県×マダイ
- 佐賀県×アカアマダイ
- 佐賀県×サワラ
- 佐賀県×ブリ
- 長崎県×マダイ
- 長崎県×キジハタ
- 長崎県×オオモンハタ
- 長崎県×アオハタ
- 長崎県×ブリ
- 熊本県×マダイ
- 熊本県×ヒラメ
- 熊本県×キジハタ
- 熊本県×メバル
- 熊本県×カサゴ
- 鹿児島県×カンパチ
- 鹿児島県×マダイ
- 鹿児島県×オオモンハタ
- 鹿児島県×ケンサキイカ
- 鹿児島県×バラハタ
- 沖縄県×スジアラ
- 沖縄県×キハダ
- 沖縄県×バラハタ
- 沖縄県×タカサゴ
- 沖縄県×クエ



































午後テンヤ。