-
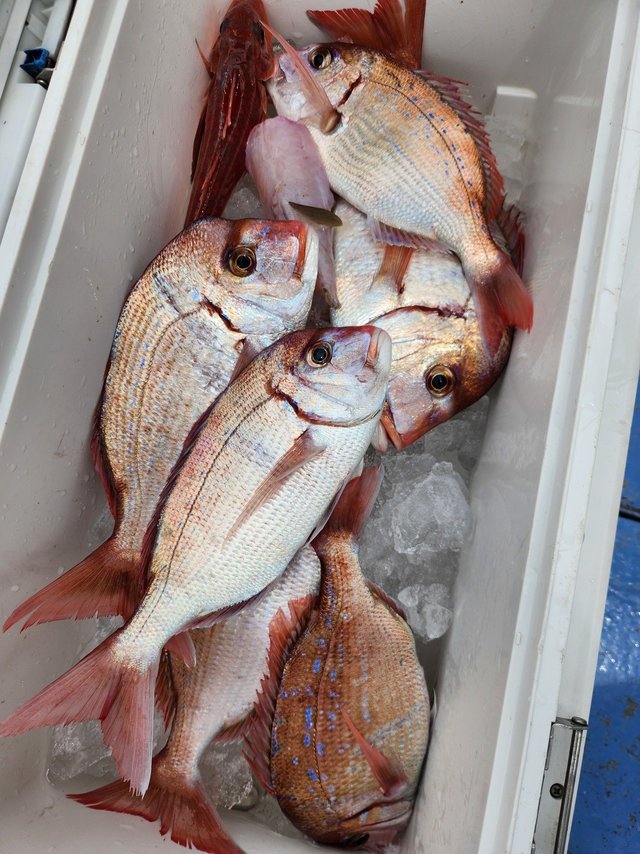
宗和丸
茨城県 鹿嶋市 鹿嶋新港309日前釣行日:2025年6月14日(土)中潮カナガシラ
15~22cm 0~2匹 マダイ 0.80~1.50kg 0~1匹 ハナダイ 0.40~0.80kg 0~9匹 ホウボウ 35~45cm 0~2匹 釣行当日の潮汐
200 0 -40 0:00 6:00 12:00 18:00 24:00釣行当日の気象
-
日の出
04:19
日の入
18:55
-
月の出
21:36
月の入
06:25
-
天気
曇りのち一時雨
-
気温
25℃/20℃
-
気圧
1016.3hPa
-
風
南
2.7m/s -
波
東北東
0.6m/s -
水温
19.4℃
-
潮
中潮
-
月齢
18.0
-
BI
7.6
釣行当日の気象情報を表示 釣行当日の気象情報を隠す -
清栄丸
茨城県 鹿嶋市 鹿嶋旧港310日前釣行日:2025年6月13日(金)中潮カナガシラ
マダイ 0.40~0.80kg 0~1匹 ハナダイ ホウボウ トラフグ ショウサイフグ イナダ テンヤ真鯛船。本日はポツポツ掛かる時間帯もありましたが、良型には出会えず残念でした。明日はご希望あればマゴチ船に出船したいと思います。お問い合わせ下さい。
釣行当日の潮汐
200 0 -40 0:00 6:00 12:00 18:00 24:00釣行当日の気象
-
日の出
04:20
日の入
18:55
-
月の出
20:55
月の入
05:24
-
天気
曇り時々晴れ
-
気温
24℃/19℃
-
気圧
1019.6hPa
-
風
北東
2.7m/s -
波
東北東
0.6m/s -
水温
19.3℃
-
潮
中潮
-
月齢
17.0
-
BI
7.2
釣行当日の気象情報を表示 釣行当日の気象情報を隠す -
義心丸
茨城県 鹿嶋市 鹿嶋旧港314日前釣行日:2025年6月9日(月)大潮カナガシラ
マダイ 0.60~1.00kg ハナダイ ホウボウ カサゴ ガンゾウ フグ 今週は雨の日もありますが14日(土)までは凪予報なのでお待ちしています。
釣行当日の潮汐
200 0 -40 0:00 6:00 12:00 18:00 24:00釣行当日の気象
-
日の出
04:20
日の入
18:53
-
月の出
17:13
月の入
02:23
-
天気
曇りのち一時雨
-
気温
24℃/19℃
-
気圧
1013.8hPa
-
風
南
2.3m/s -
波
東南東
0.5m/s -
水温
19.2℃
-
潮
大潮
-
月齢
13.0
-
BI
10.4
釣行当日の気象情報を表示 釣行当日の気象情報を隠す -
義心丸
茨城県 鹿嶋市 鹿嶋旧港315日前釣行日:2025年6月8日(日)中潮カナガシラ
マダイ 0.30~0.80kg 0~3匹 ハナダイ ホウボウ カサゴ クロダイ マアジ ガンゾウ フグ 午前テンヤ。明日は午後テンヤで大募集中です。 今週は14日(土)までは凪予報なのでお待ちしています。
釣行当日の潮汐
200 0 -40 0:00 6:00 12:00 18:00 24:00釣行当日の気象
-
日の出
04:20
日の入
18:53
-
月の出
16:12
月の入
01:54
-
天気
曇り
-
気温
25℃/18℃
-
気圧
1010.3hPa
-
風
南西
0.9m/s -
波
東南東
0.5m/s -
水温
18.9℃
-
潮
中潮
-
月齢
12.0
-
BI
9.0
釣行当日の気象情報を表示 釣行当日の気象情報を隠す -
清栄丸
茨城県 鹿嶋市 鹿嶋旧港315日前釣行日:2025年6月8日(日)中潮カナガシラ
マダイ 0.50~0.80kg 0~1匹 ハナダイ カサゴ ホウボウ メバル ショウサイフグ 午後テンヤ真鯛船。午後船も潮流れず、アタリ少なく苦戦でした。皆様お疲れ様でした。
釣行当日の潮汐
200 0 -40 0:00 6:00 12:00 18:00 24:00釣行当日の気象
-
日の出
04:20
日の入
18:53
-
月の出
16:12
月の入
01:54
-
天気
曇り
-
気温
25℃/18℃
-
気圧
1010.3hPa
-
風
南西
0.9m/s -
波
東南東
0.5m/s -
水温
18.9℃
-
潮
中潮
-
月齢
12.0
-
BI
9.0
釣行当日の気象情報を表示 釣行当日の気象情報を隠す -
BLUE DRAGON
茨城県 東茨城郡大洗町 大洗港315日前釣行日:2025年6月8日(日)中潮カナガシラ
25cm 合計1匹 イナダ 0.90~1.20kg 0~2匹 サバ 30~45cm 2~7匹 アジ 20~32cm 0~6匹 ホウボウ 30~35cm 0~1匹 カサゴ 20~30cm 0~2匹 チャーター便の釣果 初心者がほとんどでしたがジグとジギングサビキで朝から中盤まで順調に釣れました 助手2名も大忙しでした 皆さんお疲れ様でした
釣行当日の潮汐
200 0 -40 0:00 6:00 12:00 18:00 24:00釣行当日の気象
-
日の出
04:19
日の入
18:54
-
月の出
16:14
月の入
01:54
-
天気
曇り
-
気温
28℃/18℃
-
気圧
1010.0hPa
-
風
南西
1.1m/s -
波
東南東
0.5m/s -
水温
17.7℃
-
潮
中潮
-
月齢
12.0
-
BI
9.0
釣行当日の気象情報を表示 釣行当日の気象情報を隠す -
宗和丸
茨城県 鹿嶋市 鹿嶋新港315日前釣行日:2025年6月8日(日)中潮カナガシラ
20~22cm 0~2匹 マダイ 0.40~0.80kg 0~1匹 ハナダイ 0.30~0.70kg 1~9匹 ホウボウ 35~45cm 0~3匹 午後テンヤ真鯛船 北のポイントから狙い ポイントを転々としましたが 厳しかったですね。 お疲れさまでした!
釣行当日の潮汐
200 0 -40 0:00 6:00 12:00 18:00 24:00釣行当日の気象
-
日の出
04:19
日の入
18:53
-
月の出
16:12
月の入
01:54
-
天気
曇り
-
気温
25℃/18℃
-
気圧
1010.3hPa
-
風
南西
0.9m/s -
波
東南東
0.4m/s -
水温
18.9℃
-
潮
中潮
-
月齢
12.0
-
BI
9.0
釣行当日の気象情報を表示 釣行当日の気象情報を隠す -
宗和丸
茨城県 鹿嶋市 鹿嶋新港315日前釣行日:2025年6月8日(日)中潮カナガシラ
20~25cm 0~2匹 マダイ 0.70~3.39kg 0~1匹 ハナダイ 0.40~0.70kg 0~8匹 ショウサイフグ 15~25cm 0~3匹 ホウボウ 35~40cm 0~2匹 カサゴ 15~20cm 0~1匹 午前テンヤ真鯛船 北のポイントを狙い 海上ベタ凪 潮もあまり流れず、、 朝のうちに真鯛掛かりましたが 中盤より、当たりが少なく苦戦! 最大は、3、39キロ! 他にも 1、8キロ 1、2キロ 1キロ 0、7キロ。 おめでとうございます!
釣行当日の潮汐
200 0 -40 0:00 6:00 12:00 18:00 24:00釣行当日の気象
-
日の出
04:19
日の入
18:53
-
月の出
16:12
月の入
01:54
-
天気
曇り
-
気温
25℃/18℃
-
気圧
1010.3hPa
-
風
南西
0.9m/s -
波
東南東
0.4m/s -
水温
18.9℃
-
潮
中潮
-
月齢
12.0
-
BI
9.0
釣行当日の気象情報を表示 釣行当日の気象情報を隠す -
義心丸
茨城県 鹿嶋市 鹿嶋旧港316日前釣行日:2025年6月7日(土)中潮カナガシラ
マダイ 0.40~2.00kg 0~4匹 ハナダイ クロダイ カサゴ イナダ トラフグ ホウボウ ガンゾウ フグ サバ 午前テンヤ。昨日新竿の桜幻を購入し意気込む OWD。1投目から見事中鯛キャッチで鱗付けに成功するまでは良かったが、すかさず2投目を投入しようと穂先を見ると何故か???真のポンコツぶりを発揮。明日は午前テンヤで大募集中です。
釣行当日の潮汐
200 0 -40 0:00 6:00 12:00 18:00 24:00釣行当日の気象
-
日の出
04:20
日の入
18:52
-
月の出
15:13
月の入
01:29
-
天気
晴れ時々曇り
-
気温
26℃/19℃
-
気圧
1012.1hPa
-
風
南南西
1.9m/s -
波
南東
0.6m/s -
水温
18.8℃
-
潮
中潮
-
月齢
11.0
-
BI
9.0
釣行当日の気象情報を表示 釣行当日の気象情報を隠す -
清栄丸
茨城県 鹿嶋市 鹿嶋旧港316日前釣行日:2025年6月7日(土)中潮カナガシラ
マダイ 0.50~1.00kg 0~1匹 ハナダイ カサゴ ホウボウ トラフグ ショウサイフグ サバ ガンゾウ 午後テンヤ真鯛船。
釣行当日の潮汐
200 0 -40 0:00 6:00 12:00 18:00 24:00釣行当日の気象
-
日の出
04:20
日の入
18:52
-
月の出
15:13
月の入
01:29
-
天気
晴れ時々曇り
-
気温
26℃/19℃
-
気圧
1012.1hPa
-
風
南南西
1.9m/s -
波
南東
0.6m/s -
水温
18.8℃
-
潮
中潮
-
月齢
11.0
-
BI
9.0
釣行当日の気象情報を表示 釣行当日の気象情報を隠す -
清栄丸
茨城県 鹿嶋市 鹿嶋旧港316日前釣行日:2025年6月7日(土)中潮カナガシラ
マダイ 0.50~3.20kg 0~5匹 ハナダイ カサゴ トラフグ ショウサイフグ サバ テンヤ真鯛船。本日は前半ポツポツ掛かるも、後半からはアタリ少なく苦戦しました。明日もテンヤ真鯛船、午前午後に出船します。ご予約受付中です。
釣行当日の潮汐
200 0 -40 0:00 6:00 12:00 18:00 24:00釣行当日の気象
-
日の出
04:20
日の入
18:52
-
月の出
15:13
月の入
01:29
-
天気
晴れ時々曇り
-
気温
26℃/19℃
-
気圧
1012.1hPa
-
風
南南西
1.9m/s -
波
南東
0.6m/s -
水温
18.8℃
-
潮
中潮
-
月齢
11.0
-
BI
9.0
釣行当日の気象情報を表示 釣行当日の気象情報を隠す -
とも丸
茨城県 北茨城市 平潟港317日前釣行日:2025年6月6日(金)若潮カナガシラ
ソイ イナダ メバル アジ タチウオ ホウボウ サバ サバ なかなかアジ混じりませんでした。 タチウオ意外に喰いましたが 群れも小さくそろそろ狙うほどではなくなっちゃいましたね。 テンヤ真鯛あたりが狙い目かもしれません。 本日も乗船ありがとうございました。
釣行当日の潮汐
200 0 -40 0:00 6:00 12:00 18:00 24:00釣行当日の気象
-
日の出
04:17
日の入
18:54
-
月の出
14:16
月の入
01:04
-
天気
晴れ時々曇り
-
気温
23℃/12℃
-
気圧
1013.7hPa
-
風
南南東
3.4m/s -
波
東南東
0.8m/s -
水温
16.3℃
-
潮
若潮
-
月齢
10.0
-
BI
9.0
釣行当日の気象情報を表示 釣行当日の気象情報を隠す -
清栄丸
茨城県 鹿嶋市 鹿嶋旧港317日前釣行日:2025年6月6日(金)若潮カナガシラ
マダイ 0.50~1.50kg 0~5匹 ハナダイ ホウボウ イシガレイ クロダイ クロメバル ハタ トラフグ ショウサイフグ アジ テンヤ真鯛船。本日は前半1キロ前後がポツポツ掛かり、外道は多彩でお土産になりました。明日は午前船、午後船が出船します。
釣行当日の潮汐
100 0 -20 0:00 6:00 12:00 18:00 24:00釣行当日の気象
-
日の出
04:20
日の入
18:52
-
月の出
14:15
月の入
01:05
-
天気
晴れ後時々曇り
-
気温
27℃/18℃
-
気圧
1014.0hPa
-
風
南南西
2.9m/s -
波
東
0.7m/s -
水温
18.8℃
-
潮
若潮
-
月齢
10.0
-
BI
9.0
釣行当日の気象情報を表示 釣行当日の気象情報を隠す -
義心丸
茨城県 鹿嶋市 鹿嶋旧港318日前釣行日:2025年6月5日(木)長潮カナガシラ
マダイ 0.80~2.80kg 0~3匹 ハナダイ クロダイ イナダ ホウボウ カサゴ ガンゾウ フグ 午前テンヤ。2キロ1.6キロetc. 7日(土)8日(日)とガラガラなので宜しくお願いします。
釣行当日の潮汐
100 0 -20 0:00 6:00 12:00 18:00 24:00釣行当日の気象
-
日の出
04:21
日の入
18:51
-
月の出
13:19
月の入
00:43
-
天気
晴れ
-
気温
24℃/18℃
-
気圧
1008.3hPa
-
風
西
0.8m/s -
波
東
0.6m/s -
水温
18.8℃
-
潮
長潮
-
月齢
9.0
-
BI
7.5
釣行当日の気象情報を表示 釣行当日の気象情報を隠す -
清栄丸
茨城県 鹿嶋市 鹿嶋旧港325日前釣行日:2025年5月29日(木)中潮カナガシラ
マダイ 0.40~1.30kg 0~5匹 ハナダイ カサゴ カンダイ ホウボウ ショウサイフグ トラフグ イナダ サバ 午後テンヤ真鯛船。
釣行当日の潮汐
200 0 -40 0:00 6:00 12:00 18:00 24:00釣行当日の気象
-
日の出
04:23
日の入
18:47
-
月の出
05:48
月の入
21:28
-
天気
晴れ後一時雨
-
気温
21℃/15℃
-
気圧
1019.0hPa
-
風
東北東
1.5m/s -
波
東北東
1.2m/s -
水温
18.3℃
-
潮
中潮
-
月齢
2.0
-
BI
7.0
釣行当日の気象情報を表示 釣行当日の気象情報を隠す
茨城県の人気魚種の釣果情報
- 茨城県×マダイ
- 茨城県×ブリ
- 茨城県×マアジ
- 茨城県×カサゴ
- 茨城県×イサキ
- 茨城県×アカアマダイ
- 茨城県×ヒラメ
- 茨城県×ゴマサバ
- 茨城県×ヒラマサ
- 茨城県×ヤリイカ
- 茨城県×メバル
- 茨城県×マダコ
- 茨城県×スズキ
- 茨城県×カンパチ
- 茨城県×キジハタ
- 茨城県×サワラ
- 茨城県×マハタ
- 茨城県×タチウオ
- 茨城県×オニカサゴ
- 茨城県×アカムツ
- 茨城県×シロギス
- 茨城県×チダイ
- 茨城県×クロダイ
- 茨城県×クロムツ
- 茨城県×ケンサキイカ
- 茨城県×アオハタ
- 茨城県×マゴチ
- 茨城県×スルメイカ
- 茨城県×アカハタ
- 茨城県×キダイ
- 茨城県×キハダ
- 茨城県×カワハギ
- 茨城県×キンメダイ
- 茨城県×シロアマダイ
- 茨城県×ショウサイフグ
- 茨城県×ホウボウ
- 茨城県×カツオ
- 茨城県×メダイ
- 茨城県×アラ
- 茨城県×クロソイ
- 茨城県×シログチ
- 茨城県×チカメキントキ
- 茨城県×オオモンハタ
- 茨城県×ウスメバル
- 茨城県×アイナメ
- 茨城県×マコガレイ
- 茨城県×ウッカリカサゴ
- 茨城県×シイラ
- 茨城県×アコウダイ
- 茨城県×クロマグロ
- 茨城県×メバチ
- 茨城県×マダラ
- 茨城県×トラフグ
- 茨城県×クエ
- 茨城県×ウマヅラハギ
- 茨城県×イシダイ
- 茨城県×ユメカサゴ
- 茨城県×ムシガレイ
- 茨城県×キツネメバル
- 茨城県×ハガツオ
- 茨城県×アヤメカサゴ
- 茨城県×ムツ
- 茨城県×マアナゴ
- 茨城県×オオクチイシナギ
- 茨城県×マサバ
- 茨城県×シロサバフグ
- 茨城県×アカヤガラ
- 茨城県×コロダイ
- 茨城県×アブラボウズ
- 茨城県×カナガシラ
- 茨城県×コウイカ
- 茨城県×イシガレイ
- 茨城県×アカメフグ
- 茨城県×ヒラソウダ
- 茨城県×スマ
- 茨城県×クロアナゴ
- 茨城県×マトウダイ
- 茨城県×キュウセン
各都道府県の人気魚種の釣果情報
- 岩手県×スルメイカ
- 岩手県×マダラ
- 岩手県×ブリ
- 岩手県×マコガレイ
- 岩手県×ヒラメ
- 宮城県×ヒラメ
- 宮城県×マアジ
- 宮城県×アイナメ
- 宮城県×マコガレイ
- 宮城県×メバル
- 福島県×マダイ
- 福島県×ヒラメ
- 福島県×チダイ
- 福島県×キツネメバル
- 福島県×アイナメ
- 茨城県×マダイ
- 茨城県×ブリ
- 茨城県×ヒラメ
- 茨城県×マダコ
- 茨城県×カサゴ
- 埼玉県×サワラ
- 埼玉県×タチウオ
- 埼玉県×マダイ
- 埼玉県×ブリ
- 埼玉県×マアジ
- 千葉県×マダイ
- 千葉県×ヒラメ
- 千葉県×マアジ
- 千葉県×イサキ
- 千葉県×カサゴ
- 東京都×マアジ
- 東京都×タチウオ
- 東京都×シロギス
- 東京都×マダコ
- 東京都×スズキ
- 神奈川県×マアジ
- 神奈川県×マダイ
- 神奈川県×ブリ
- 神奈川県×アカアマダイ
- 神奈川県×タチウオ
- 新潟県×マダイ
- 新潟県×ブリ
- 新潟県×マアジ
- 新潟県×ゴマサバ
- 新潟県×キダイ
- 富山県×アオリイカ
- 富山県×マダイ
- 富山県×ブリ
- 富山県×キジハタ
- 富山県×カサゴ
- 石川県×ブリ
- 石川県×キジハタ
- 石川県×マダイ
- 石川県×カサゴ
- 石川県×ウッカリカサゴ
- 福井県×ケンサキイカ
- 福井県×アオリイカ
- 福井県×マダイ
- 福井県×スルメイカ
- 福井県×マアジ
- 静岡県×マダイ
- 静岡県×イサキ
- 静岡県×マアジ
- 静岡県×タチウオ
- 静岡県×ブリ
- 愛知県×ブリ
- 愛知県×マダイ
- 愛知県×タチウオ
- 愛知県×ホウボウ
- 愛知県×ヒラメ
- 三重県×ブリ
- 三重県×マダイ
- 三重県×ヒラメ
- 三重県×カサゴ
- 三重県×アカアマダイ
- 京都府×ケンサキイカ
- 京都府×ブリ
- 京都府×マダイ
- 京都府×スルメイカ
- 京都府×アオリイカ
- 大阪府×マダイ
- 大阪府×ブリ
- 大阪府×サワラ
- 大阪府×スズキ
- 大阪府×タチウオ
- 兵庫県×ブリ
- 兵庫県×マダイ
- 兵庫県×マダコ
- 兵庫県×サワラ
- 兵庫県×タチウオ
- 和歌山県×マダイ
- 和歌山県×ブリ
- 和歌山県×マアジ
- 和歌山県×イサキ
- 和歌山県×シロアマダイ
- 鳥取県×ケンサキイカ
- 鳥取県×アオリイカ
- 鳥取県×スルメイカ
- 鳥取県×マダイ
- 鳥取県×アオハタ
- 島根県×ケンサキイカ
- 島根県×スルメイカ
- 島根県×ゴマサバ
- 島根県×マアジ
- 島根県×コウイカ
- 岡山県×スズキ
- 岡山県×ヒラメ
- 岡山県×マダイ
- 岡山県×キジハタ
- 岡山県×クロダイ
- 広島県×マダイ
- 広島県×キジハタ
- 広島県×ブリ
- 広島県×サワラ
- 広島県×シロギス
- 山口県×ケンサキイカ
- 山口県×アオリイカ
- 山口県×キジハタ
- 山口県×マダイ
- 山口県×ブリ
- 徳島県×ブリ
- 徳島県×マアジ
- 徳島県×イサキ
- 徳島県×チダイ
- 徳島県×キダイ
- 香川県×マダイ
- 香川県×アオリイカ
- 香川県×キジハタ
- 香川県×クロダイ
- 香川県×シロギス
- 愛媛県×マダイ
- 愛媛県×ブリ
- 愛媛県×キジハタ
- 愛媛県×タチウオ
- 愛媛県×サワラ
- 高知県×カンパチ
- 高知県×イサキ
- 高知県×マアジ
- 高知県×アカアマダイ
- 高知県×マダイ
- 福岡県×マダイ
- 福岡県×ヤリイカ
- 福岡県×ケンサキイカ
- 福岡県×ヒラマサ
- 福岡県×ブリ
- 佐賀県×ヒラマサ
- 佐賀県×マダイ
- 佐賀県×アカアマダイ
- 佐賀県×サワラ
- 佐賀県×ブリ
- 長崎県×マダイ
- 長崎県×キジハタ
- 長崎県×オオモンハタ
- 長崎県×アオハタ
- 長崎県×ブリ
- 熊本県×マダイ
- 熊本県×ヒラメ
- 熊本県×キジハタ
- 熊本県×メバル
- 熊本県×カサゴ
- 鹿児島県×カンパチ
- 鹿児島県×マダイ
- 鹿児島県×ケンサキイカ
- 鹿児島県×オオモンハタ
- 鹿児島県×バラハタ
- 沖縄県×スジアラ
- 沖縄県×キハダ
- 沖縄県×バラハタ
- 沖縄県×タカサゴ
- 沖縄県×ハマフエフキ













































午後テンヤ真鯛船