-
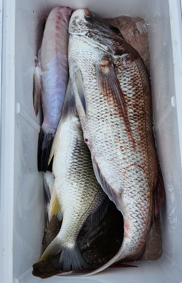
弘漁丸
茨城県 日立市 久慈漁港38日前釣行日:2026年3月20日(金)大潮マダイ
0.30~1.70kg 0~3匹 ハナダイ マハタ カサゴ ホウボウ フグ メバル 釣行当日の潮汐
200 0 -40 0:00 6:00 12:00 18:00 24:00釣行当日の気象
-
日の出
05:42
日の入
17:49
-
月の出
06:02
月の入
19:16
-
天気
曇り一時雨
-
気温
10℃/5℃
-
気圧
1016.9hPa
-
風
北東
3.8m/s -
波
東北東
1.5m/s -
水温
14.3℃
-
潮
大潮
-
月齢
1.1
-
BI
8.9
釣行当日の気象情報を表示 釣行当日の気象情報を隠す -
宗和丸
茨城県 鹿嶋市 鹿嶋新港38日前釣行日:2026年3月20日(金)大潮マダイ
1.00~2.30kg 0~3匹 午後マダイ船 開始からマダイの型見れて1日通してマダイと外道の当たり多く楽しめましたね! 本日ご乗船のお客様お疲れ様でした。 またのご乗船お待ちしています。
釣行当日の潮汐
200 0 -40 0:00 6:00 12:00 18:00 24:00釣行当日の気象
-
日の出
05:41
日の入
17:49
-
月の出
06:02
月の入
19:15
-
天気
曇り一時雨
-
気温
13℃/10℃
-
気圧
1016.5hPa
-
風
北東
4.7m/s -
波
東北東
1.8m/s -
水温
14.8℃
-
潮
大潮
-
月齢
1.1
-
BI
9.0
釣行当日の気象情報を表示 釣行当日の気象情報を隠す -
長岡丸
茨城県 鹿嶋市 鹿嶋旧港38日前釣行日:2026年3月20日(金)大潮マダイ
1.40~3.76kg 0~3匹 ◆午後テンヤマダイ船 連日絶好調 サイズ1.4~3.76キロ 0~3枚 竿頭石井さん、佐藤さん 1キロ代6枚、2キロ代5枚、3キロ代3枚 外道ハナダイ、マゴチ、ワラサ、ホウボウ、ショウサイフグ 午後は開始からハナダイ、マダイポツポツ掛かりました。
釣行当日の潮汐
200 0 -40 0:00 6:00 12:00 18:00 24:00釣行当日の気象
-
日の出
05:41
日の入
17:49
-
月の出
06:02
月の入
19:15
-
天気
曇り一時雨
-
気温
13℃/10℃
-
気圧
1016.5hPa
-
風
北東
4.7m/s -
波
東北東
1.9m/s -
水温
14.8℃
-
潮
大潮
-
月齢
1.1
-
BI
9.0
釣行当日の気象情報を表示 釣行当日の気象情報を隠す -
幸栄丸
茨城県 鹿嶋市 鹿嶋旧港38日前釣行日:2026年3月20日(金)大潮マダイ
0.50~4.20kg 0~6匹 ハナダイ 25~35cm 0~5匹 午後テンヤ船・・・ 内訳)4.2kg・3.0kg・2.9kg・2.7kg・2.4kg・2.3kg・2.2kg・1.9kg・1.8kg・1.7kg・1.6kg・1.6kg1.6kg・1.5kg・1.5kg・1.4kg・1.2kg・1.2kg・1.2kg・1.0kg 久しぶりの午後出船です!! 午前中の風も収まり海もだいぶ落ち着いて釣りやすくなり全体的に魚のアタリもでて、内訳どおり大鯛はじめ良型連発!!! パターン掴んだ方は数も取れて、時合突入した時にはお祭り騒ぎでしたね!巻き物系、エサ釣りどちらでも良型浮上しましたね!上がった他にも残念ながらバレてしまったものもありましたね。 これだけ上がってくれたので明日からの午前船からも期待できそうですね!大鯛祭りついにスタートか!?
釣行当日の潮汐
200 0 -40 0:00 6:00 12:00 18:00 24:00釣行当日の気象
-
日の出
05:41
日の入
17:49
-
月の出
06:02
月の入
19:15
-
天気
曇り一時雨
-
気温
13℃/10℃
-
気圧
1016.5hPa
-
風
北東
4.7m/s -
波
東北東
1.9m/s -
水温
14.8℃
-
潮
大潮
-
月齢
1.1
-
BI
9.0
釣行当日の気象情報を表示 釣行当日の気象情報を隠す -
弁天丸
茨城県 日立市 会瀬漁港38日前釣行日:2026年3月20日(金)大潮マダイ
0.30~1.50kg 0~7匹 テンヤマダイの釣果です。 1.5kg頭に1.2kg、グローブサイズが交じりました!
釣行当日の潮汐
200 0 -40 0:00 6:00 12:00 18:00 24:00釣行当日の気象
-
日の出
05:41
日の入
17:49
-
月の出
06:01
月の入
19:15
-
天気
曇り一時雨
-
気温
10℃/5℃
-
気圧
1016.9hPa
-
風
北東
3.8m/s -
波
東
1.2m/s -
水温
14.3℃
-
潮
大潮
-
月齢
1.1
-
BI
9.0
釣行当日の気象情報を表示 釣行当日の気象情報を隠す -
藤富丸
茨城県 東茨城郡大洗町 大洗港38日前釣行日:2026年3月20日(金)大潮マダイ
30~50cm 0~5匹 海上風、ウネリがなかなか取れず沖へなかなか出せないので一つテンヤでマダイ狙いで出船しました。シケ続きで困りましたね。ウネリが高くバラシ、ハリス切れもあり竿頭マダイ5匹でした。外道マゴチ、ホウボウ、フグ、カナガシラ混じりました。明日限定人数決まりました、22日空席がありますご予約お待ちしております
釣行当日の潮汐
200 0 -40 0:00 6:00 12:00 18:00 24:00釣行当日の気象
-
日の出
05:41
日の入
17:49
-
月の出
06:02
月の入
19:15
-
天気
曇り一時雨
-
気温
10℃/5℃
-
気圧
1016.9hPa
-
風
北東
5.9m/s -
波
東北東
1.5m/s -
水温
14.3℃
-
潮
大潮
-
月齢
1.1
-
BI
8.9
釣行当日の気象情報を表示 釣行当日の気象情報を隠す -
長岡丸
茨城県 鹿嶋市 鹿嶋旧港38日前釣行日:2026年3月20日(金)大潮マダイ
0.40~6.82kg 0~8匹 ショウサイフグ 28~43cm 6~15匹 トラフグ 2.00~4.50kg 0~1匹 ◆テンヤ船2隻の高低差 連日絶好調 サイズ0.4~6.82kg0~8枚 竿頭玉澤さん、二番石井さん 1キロ代22枚.2キロ代6枚、4.28キロ、4.64キロ、5.01キロ、6.82キロ 外道ハナダイ多数、ホウボウ、ショウサイフグ、ワラサ、イナダ ◆ショウサイフグ船 ジャンボフグ出船 サイズ28~43cm6~15匹 外道トラフグ、ホウボウ、カワハギ、ウマズラハギ 竿頭高橋さん 午前テンヤは朝からポツポツマダイ、ハナダイ掛かりました。 残念ながらラインブレイクも有りました。 ご乗船の皆さん、大変お疲れ様でした。ありがとうございました。またのお越しをお待ちしております。
釣行当日の潮汐
200 0 -40 0:00 6:00 12:00 18:00 24:00釣行当日の気象
-
日の出
05:41
日の入
17:49
-
月の出
06:02
月の入
19:15
-
天気
曇り一時雨
-
気温
13℃/10℃
-
気圧
1016.5hPa
-
風
北東
4.7m/s -
波
東北東
1.9m/s -
水温
14.8℃
-
潮
大潮
-
月齢
1.1
-
BI
9.0
釣行当日の気象情報を表示 釣行当日の気象情報を隠す -
宮田丸
茨城県 日立市 久慈漁港38日前釣行日:2026年3月20日(金)大潮マダイ
0.20~1.50kg 0~5匹 マダイ0.2~1.5キロを0~5匹。メバル、カサゴ、ホウボウ、イナダ、マハタ、ハナダイ、フグ混じった。北風強く海悪かったせいか船酔い者何名かいましたが、前週よりはアタリあったようでした。
釣行当日の潮汐
200 0 -40 0:00 6:00 12:00 18:00 24:00釣行当日の気象
-
日の出
05:42
日の入
17:49
-
月の出
06:02
月の入
19:16
-
天気
曇り一時雨
-
気温
10℃/5℃
-
気圧
1016.9hPa
-
風
北東
3.8m/s -
波
東北東
1.5m/s -
水温
14.3℃
-
潮
大潮
-
月齢
1.1
-
BI
8.9
釣行当日の気象情報を表示 釣行当日の気象情報を隠す -
大春丸
茨城県 鹿嶋市 鹿嶋旧港38日前釣行日:2026年3月20日(金)大潮マダイ
0.50~1.50kg 0~2匹 テンヤ真鯛午前船 釣果 0~2匹(竿頭小美玉市の岩間さん,足立区の沢さん) サイズ 0.5~1.5kg 状況 今日は波高く、風も強かったので 釣りにくく厳しい釣行となりました。 残念ながら大物のバラシ2回、1.0kgクラスがポツポツ掛かりハナダイ,イナダ、ホウボウ、ショウサイフグなどでお土産はできました。 明日は午前船は仕立て 午後船はまだまだ空席がございます。 午後船でのご予約お待ちしております。
釣行当日の潮汐
200 0 -40 0:00 6:00 12:00 18:00 24:00釣行当日の気象
-
日の出
05:41
日の入
17:49
-
月の出
06:02
月の入
19:15
-
天気
曇り一時雨
-
気温
13℃/10℃
-
気圧
1016.5hPa
-
風
北東
4.7m/s -
波
東北東
1.9m/s -
水温
14.8℃
-
潮
大潮
-
月齢
1.1
-
BI
9.0
釣行当日の気象情報を表示 釣行当日の気象情報を隠す -
利喜丸
茨城県 鹿嶋市 鹿嶋旧港38日前釣行日:2026年3月20日(金)大潮マダイ
0.80~1.50kg 0~1匹 久しぶりの出船でしたが今日も大荒れで撃沈でした、、
釣行当日の潮汐
200 0 -40 0:00 6:00 12:00 18:00 24:00釣行当日の気象
-
日の出
05:41
日の入
17:49
-
月の出
06:02
月の入
19:15
-
天気
曇り一時雨
-
気温
13℃/10℃
-
気圧
1016.5hPa
-
風
北東
4.7m/s -
波
東北東
1.9m/s -
水温
14.8℃
-
潮
大潮
-
月齢
1.1
-
BI
9.0
釣行当日の気象情報を表示 釣行当日の気象情報を隠す -
ことぶき丸
茨城県 日立市 会瀬漁港38日前釣行日:2026年3月20日(金)大潮マダイ
0.50~1.62kg 0~2匹 アマダイ 40~43cm 0~1匹 マハタ 28~35cm 0~1匹 メバル 28~32cm 0~2匹 ホウボウ 35~45cm 0~2匹 ワラサ 2.00~3.00kg 0~1匹 一つテンヤマダイ、タイラバで出船しました。 水温16℃ マダイ最大で1.62kgその他1kg、0.8kg、0.5kg...トップ2尾でした。マダイ0.5~1.62kg0~2尾。ゲストでアマダイ、マハタ、マゾイ、メバル、カサゴ、ホウボウ、イナダ、ハナダイ、ウマズラハギ、ムシガレイでした。本日、乗船の皆様ありがとうございました。 【お知らせ】 明日3月21日(土)も一つテンヤマダイ、タイラバで出船致します。お早いご予約お待ちしております。 テンヤマダイ船集合5時になります! アマダイ、アマラバ船集合4時30分になります! ※誠に勝手ながら満船時の当日キャンセルは乗船料の100%頂きます。ご了承下さい! 一つテンヤマダイ 12,000円(エサ、氷付き) 集合5時になります。 アマダイ、アマラバ 12,000円(エサ、氷付き) 集合4時30分になります。 エギダコ 13,000円(氷付き) 集合4時になります。 ご予約 電話090-1842-0165 お気軽にお電話下さいね!!
釣行当日の潮汐
200 0 -40 0:00 6:00 12:00 18:00 24:00釣行当日の気象
-
日の出
05:41
日の入
17:49
-
月の出
06:01
月の入
19:15
-
天気
曇り一時雨
-
気温
10℃/5℃
-
気圧
1016.9hPa
-
風
北東
3.8m/s -
波
東
1.2m/s -
水温
14.3℃
-
潮
大潮
-
月齢
1.1
-
BI
9.0
釣行当日の気象情報を表示 釣行当日の気象情報を隠す -
幸栄丸
茨城県 鹿嶋市 鹿嶋旧港38日前釣行日:2026年3月20日(金)大潮マダイ
0.60~1.60kg 0~4匹 ハナダイ 25~35cm 0~5匹 内訳)1.6kg・1.4kg・1.3kg・1.0kg・1.0kg 今日は朝から風強くウネリもあり、全体的にアタリも少なかったです。 それでも誘いの合う方釣れて、後半は花鯛などの外道がポツリポツリと釣れました! 出航予定や仕掛けなどホームページのINFORMATIONをご確認お願いいたします 徐々に海も落ち着いてきたようなので凪ればまた期待できると思います!
釣行当日の潮汐
200 0 -40 0:00 6:00 12:00 18:00 24:00釣行当日の気象
-
日の出
05:41
日の入
17:49
-
月の出
06:02
月の入
19:15
-
天気
曇り一時雨
-
気温
13℃/10℃
-
気圧
1016.5hPa
-
風
北東
4.7m/s -
波
東北東
1.9m/s -
水温
14.8℃
-
潮
大潮
-
月齢
1.1
-
BI
9.0
釣行当日の気象情報を表示 釣行当日の気象情報を隠す -
弘漁丸
茨城県 日立市 久慈漁港39日前釣行日:2026年3月19日(木)大潮マダイ
0.40~0.90kg 0~2匹 ハナダイ ブリ ドンコ 外道はハナダイ多数。明日もまた出船。21日、22日(日)はまだ空き多数あります!予約受付中。平日も毎日テンヤ真鯛釣りに出船します。早めのご予約ありがたいです。
釣行当日の潮汐
200 0 -40 0:00 6:00 12:00 18:00 24:00釣行当日の気象
-
日の出
05:43
日の入
17:48
-
月の出
05:35
月の入
18:06
-
天気
曇り時々晴れ
-
気温
21℃/7℃
-
気圧
1004.7hPa
-
風
北西
3.5m/s -
波
東
1.7m/s -
水温
14.0℃
-
潮
大潮
-
月齢
0.1
-
BI
9.3
釣行当日の気象情報を表示 釣行当日の気象情報を隠す -
大貫丸
茨城県 日立市 久慈漁港39日前釣行日:2026年3月19日(木)大潮マダイ
0.40~4.00kg 0~3匹 ★テンヤマダイ船 大鯛4.0kg、2.2kg、1.4kg、1.1kgヒット!! 良型混じり良い人2~3匹でした!! 外道も多数混じりハナダイ、カサゴ、メバル、ソイ、ホウボウ、ワラサ、ウマヅラハギなど!
釣行当日の潮汐
200 0 -40 0:00 6:00 12:00 18:00 24:00釣行当日の気象
-
日の出
05:43
日の入
17:48
-
月の出
05:35
月の入
18:06
-
天気
曇り時々晴れ
-
気温
21℃/7℃
-
気圧
1004.7hPa
-
風
北西
3.5m/s -
波
東
1.7m/s -
水温
14.0℃
-
潮
大潮
-
月齢
0.1
-
BI
9.3
釣行当日の気象情報を表示 釣行当日の気象情報を隠す -
長岡丸
茨城県 鹿嶋市 鹿嶋旧港39日前釣行日:2026年3月19日(木)大潮マダイ
0.80~4.38kg 0~3匹 ショウサイフグ 25~40cm 3~6匹 ◆ショウサイフグ船 サイズ25~40cm3~6匹 ◆テンヤマダイ船 サイズ0.8~4.38kg0~3枚 オデコ1名 竿頭宮本さん 外道ハナダイ、ホウボウ、ワラサ、ショウサイフグ フグ船は波が高く数が伸びませんでした。 テンヤマダイ船は朝から潮流れ悪くもポツポツ掛かりました。 ご乗船の皆さん大変お疲れ様でした。ありがとうございました。またのお越しをお待ちしております。
釣行当日の潮汐
200 0 -40 0:00 6:00 12:00 18:00 24:00釣行当日の気象
-
日の出
05:43
日の入
17:48
-
月の出
05:35
月の入
18:05
-
天気
雨のち曇り
-
気温
17℃/11℃
-
気圧
1003.8hPa
-
風
西
4.0m/s -
波
東
1.8m/s -
水温
14.7℃
-
潮
大潮
-
月齢
0.1
-
BI
9.2
釣行当日の気象情報を表示 釣行当日の気象情報を隠す
茨城県の人気魚種の釣果情報
- 茨城県×マダイ
- 茨城県×ブリ
- 茨城県×マアジ
- 茨城県×イサキ
- 茨城県×カサゴ
- 茨城県×アカアマダイ
- 茨城県×ヒラメ
- 茨城県×ゴマサバ
- 茨城県×ヒラマサ
- 茨城県×ヤリイカ
- 茨城県×マダコ
- 茨城県×メバル
- 茨城県×サワラ
- 茨城県×スズキ
- 茨城県×カンパチ
- 茨城県×キジハタ
- 茨城県×マハタ
- 茨城県×タチウオ
- 茨城県×オニカサゴ
- 茨城県×シロギス
- 茨城県×アカムツ
- 茨城県×チダイ
- 茨城県×ケンサキイカ
- 茨城県×クロダイ
- 茨城県×クロムツ
- 茨城県×マゴチ
- 茨城県×アオハタ
- 茨城県×スルメイカ
- 茨城県×アカハタ
- 茨城県×キダイ
- 茨城県×キハダ
- 茨城県×キンメダイ
- 茨城県×カワハギ
- 茨城県×シロアマダイ
- 茨城県×ショウサイフグ
- 茨城県×カツオ
- 茨城県×アラ
- 茨城県×クロソイ
- 茨城県×メダイ
- 茨城県×ホウボウ
- 茨城県×シログチ
- 茨城県×チカメキントキ
- 茨城県×オオモンハタ
- 茨城県×ウスメバル
- 茨城県×アイナメ
- 茨城県×マコガレイ
- 茨城県×アコウダイ
- 茨城県×シイラ
- 茨城県×ウッカリカサゴ
- 茨城県×マダラ
- 茨城県×ウマヅラハギ
- 茨城県×クエ
- 茨城県×イシダイ
- 茨城県×ユメカサゴ
- 茨城県×ムシガレイ
- 茨城県×トラフグ
- 茨城県×キツネメバル
- 茨城県×ハガツオ
- 茨城県×アヤメカサゴ
- 茨城県×ムツ
- 茨城県×アブラボウズ
- 茨城県×マアナゴ
- 茨城県×キチヌ
- 茨城県×オオクチイシナギ
- 茨城県×シロサバフグ
- 茨城県×マサバ
- 茨城県×コロダイ
- 茨城県×カナガシラ
- 茨城県×イシガレイ
- 茨城県×コウイカ
- 茨城県×ヒラソウダ
- 茨城県×スマ
- 茨城県×アカメフグ
- 茨城県×クロアナゴ
- 茨城県×マトウダイ
- 茨城県×キュウセン
-
最新の釣果データを教えてください。
-
マダイ以外によく釣れる魚は何ですか?
各都道府県の人気魚種の釣果情報
- 岩手県×スルメイカ
- 岩手県×マダラ
- 岩手県×マコガレイ
- 岩手県×ブリ
- 岩手県×ヒラメ
- 宮城県×ヒラメ
- 宮城県×マアジ
- 宮城県×アイナメ
- 宮城県×マコガレイ
- 宮城県×メバル
- 福島県×マダイ
- 福島県×ヒラメ
- 福島県×チダイ
- 福島県×キツネメバル
- 福島県×アイナメ
- 茨城県×マダイ
- 茨城県×ブリ
- 茨城県×ヒラメ
- 茨城県×マダコ
- 茨城県×カサゴ
- 埼玉県×サワラ
- 埼玉県×タチウオ
- 埼玉県×マダイ
- 埼玉県×ブリ
- 埼玉県×マアジ
- 千葉県×マダイ
- 千葉県×ヒラメ
- 千葉県×マアジ
- 千葉県×イサキ
- 千葉県×カサゴ
- 東京都×マアジ
- 東京都×タチウオ
- 東京都×シロギス
- 東京都×マダコ
- 東京都×スズキ
- 神奈川県×マアジ
- 神奈川県×マダイ
- 神奈川県×ブリ
- 神奈川県×アカアマダイ
- 神奈川県×タチウオ
- 新潟県×マダイ
- 新潟県×ブリ
- 新潟県×マアジ
- 新潟県×ゴマサバ
- 新潟県×キダイ
- 富山県×アオリイカ
- 富山県×マダイ
- 富山県×ブリ
- 富山県×キジハタ
- 富山県×アオハタ
- 石川県×ブリ
- 石川県×キジハタ
- 石川県×マダイ
- 石川県×カサゴ
- 石川県×ウッカリカサゴ
- 福井県×ケンサキイカ
- 福井県×アオリイカ
- 福井県×マダイ
- 福井県×スルメイカ
- 福井県×マアジ
- 静岡県×マダイ
- 静岡県×イサキ
- 静岡県×マアジ
- 静岡県×タチウオ
- 静岡県×ブリ
- 愛知県×ブリ
- 愛知県×マダイ
- 愛知県×タチウオ
- 愛知県×ホウボウ
- 愛知県×ヒラメ
- 三重県×ブリ
- 三重県×マダイ
- 三重県×ヒラメ
- 三重県×カサゴ
- 三重県×アカアマダイ
- 京都府×ケンサキイカ
- 京都府×ブリ
- 京都府×マダイ
- 京都府×スルメイカ
- 京都府×アオリイカ
- 大阪府×マダイ
- 大阪府×サワラ
- 大阪府×ブリ
- 大阪府×スズキ
- 大阪府×タチウオ
- 兵庫県×ブリ
- 兵庫県×マダイ
- 兵庫県×マダコ
- 兵庫県×サワラ
- 兵庫県×タチウオ
- 和歌山県×マダイ
- 和歌山県×ブリ
- 和歌山県×マアジ
- 和歌山県×イサキ
- 和歌山県×シロアマダイ
- 鳥取県×ケンサキイカ
- 鳥取県×アオリイカ
- 鳥取県×スルメイカ
- 鳥取県×マダイ
- 鳥取県×アオハタ
- 島根県×ケンサキイカ
- 島根県×スルメイカ
- 島根県×ゴマサバ
- 島根県×マアジ
- 島根県×コウイカ
- 岡山県×スズキ
- 岡山県×マダイ
- 岡山県×ヒラメ
- 岡山県×キジハタ
- 岡山県×クロダイ
- 広島県×マダイ
- 広島県×キジハタ
- 広島県×ブリ
- 広島県×サワラ
- 広島県×シロギス
- 山口県×ケンサキイカ
- 山口県×アオリイカ
- 山口県×キジハタ
- 山口県×マダイ
- 山口県×ブリ
- 徳島県×ブリ
- 徳島県×マアジ
- 徳島県×イサキ
- 徳島県×チダイ
- 徳島県×キダイ
- 香川県×マダイ
- 香川県×アオリイカ
- 香川県×キジハタ
- 香川県×クロダイ
- 香川県×シロギス
- 愛媛県×マダイ
- 愛媛県×ブリ
- 愛媛県×キジハタ
- 愛媛県×タチウオ
- 愛媛県×カサゴ
- 高知県×カンパチ
- 高知県×イサキ
- 高知県×アカアマダイ
- 高知県×マダイ
- 高知県×マアジ
- 福岡県×マダイ
- 福岡県×ヤリイカ
- 福岡県×ケンサキイカ
- 福岡県×ヒラマサ
- 福岡県×ブリ
- 佐賀県×マダイ
- 佐賀県×ヒラマサ
- 佐賀県×アカアマダイ
- 佐賀県×キダイ
- 佐賀県×サワラ
- 長崎県×マダイ
- 長崎県×キジハタ
- 長崎県×オオモンハタ
- 長崎県×ブリ
- 長崎県×アオハタ
- 熊本県×マダイ
- 熊本県×ヒラメ
- 熊本県×キジハタ
- 熊本県×メバル
- 熊本県×カサゴ
- 鹿児島県×カンパチ
- 鹿児島県×マダイ
- 鹿児島県×ケンサキイカ
- 鹿児島県×オオモンハタ
- 鹿児島県×バラハタ
- 沖縄県×スジアラ
- 沖縄県×キハダ
- 沖縄県×バラハタ
- 沖縄県×タカサゴ
- 沖縄県×クエ






























1、7キロ、1キロ・・・の真鯛浮上。外道はハナダイ、マハタ、カサゴ、ホウボウ、フグ、青物、メバルなど。明日も明後日もまた出船します。予約受付中。平日も毎日テンヤ真鯛釣りに出船します。早めのご予約ありがたいです。