-
弘漁丸
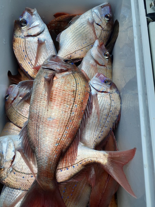
茨城県 日立市 久慈漁港348日前釣行日:2025年5月17日(土)中潮マダイ
0.30~0.80kg 0~3匹 釣行当日の潮汐
200 0 -40 0:00 6:00 12:00 18:00 24:00釣行当日の気象
-
日の出
04:29
日の入
18:39
-
月の出
22:59
月の入
07:28
-
天気
雨のち曇り
-
気温
23℃/16℃
-
気圧
1015.8hPa
-
風
南東
1.9m/s -
波
東南東
0.9m/s -
水温
17.6℃
-
潮
中潮
-
月齢
19.3
-
BI
7.3
釣行当日の気象情報を表示 釣行当日の気象情報を隠す -
利喜丸
茨城県 鹿嶋市 鹿嶋旧港348日前釣行日:2025年5月17日(土)中潮マダイ
0~1匹 カサゴ メバル ハタ フグ ひとつテンヤ船。 海上、雨風強く、早上がりしてきました。
釣行当日の潮汐
200 0 -40 0:00 6:00 12:00 18:00 24:00釣行当日の気象
-
日の出
04:30
日の入
18:38
-
月の出
22:57
月の入
07:30
-
天気
雨のち曇り
-
気温
22℃/18℃
-
気圧
1015.6hPa
-
風
南南東
4.5m/s -
波
東南東
0.9m/s -
水温
17.7℃
-
潮
中潮
-
月齢
19.3
-
BI
7.3
釣行当日の気象情報を表示 釣行当日の気象情報を隠す -
義心丸
茨城県 鹿嶋市 鹿嶋旧港348日前釣行日:2025年5月17日(土)中潮マダイ
1.00kg ハナダイ ホウボウ イナダ イシガレイ フグ 強風で10時早上がりです。 明日は午前仕立で午後テンヤで2名問い合わせがあるので今夜20時までに集客あれば出船しますので宜しくお願いします。
釣行当日の潮汐
200 0 -40 0:00 6:00 12:00 18:00 24:00釣行当日の気象
-
日の出
04:30
日の入
18:38
-
月の出
22:57
月の入
07:30
-
天気
雨のち曇り
-
気温
22℃/18℃
-
気圧
1015.6hPa
-
風
南南東
4.5m/s -
波
東南東
0.9m/s -
水温
17.7℃
-
潮
中潮
-
月齢
19.3
-
BI
7.3
釣行当日の気象情報を表示 釣行当日の気象情報を隠す -
大栄丸
茨城県 鹿嶋市 鹿嶋新港348日前釣行日:2025年5月17日(土)中潮マダイ
0.50~2.00kg 雨•風の悪状況でも良型浮上。 強風の為10:00早上がりでした。
釣行当日の潮汐
200 0 -40 0:00 6:00 12:00 18:00 24:00釣行当日の気象
-
日の出
04:30
日の入
18:38
-
月の出
22:57
月の入
07:29
-
天気
雨のち曇り
-
気温
22℃/18℃
-
気圧
1015.6hPa
-
風
南南東
4.5m/s -
波
東
0.8m/s -
水温
17.7℃
-
潮
中潮
-
月齢
19.3
-
BI
7.3
釣行当日の気象情報を表示 釣行当日の気象情報を隠す -
第五悌栄丸
茨城県 鹿嶋市 鹿嶋新港348日前釣行日:2025年5月17日(土)中潮マダイ
0.40~4.50kg 0~4匹 ハナダイ 3~10匹 朝から喰い始め、 4.5キロ•1.5キロの大鯛•型物を筆頭に喰いました。他にも大鯛1発チャンスありましたが…痛恨のバラシで残念でした。 大鯛浮上。 今日は朝マズメのワンチャンスだけで、その後雨が降り出すと食い渋りましたね〜。 お乗り頂いたお客様お疲れ様でした。 ※活き海老開始しました。 自然相手ですので…ない場合は冷凍海老になりますのでご了承ください。 数に限りがありますので、基本的に2匹掛けは厳禁で。ご協力お願いします。
釣行当日の潮汐
200 0 -40 0:00 6:00 12:00 18:00 24:00釣行当日の気象
-
日の出
04:30
日の入
18:38
-
月の出
22:57
月の入
07:29
-
天気
雨のち曇り
-
気温
22℃/18℃
-
気圧
1015.6hPa
-
風
南南東
4.5m/s -
波
東
0.8m/s -
水温
17.7℃
-
潮
中潮
-
月齢
19.3
-
BI
7.3
釣行当日の気象情報を表示 釣行当日の気象情報を隠す -
第二洋生丸
茨城県 鹿嶋市 鹿嶋新港348日前釣行日:2025年5月17日(土)中潮マダイ
0.50~1.50kg 1~3匹 ハナダイ ホウボウ カナガシラ 朝イチにぽつりぽつりと1.5kg、0.7kg形を出して、一時中弛み。追加で1.5kg、1.1kg型物とれました。GWのようにはなかなかいかず。途中良型1発フックアウト。9時過ぎに雨風強くなり、10時頃早上がりしました。
釣行当日の潮汐
200 0 -40 0:00 6:00 12:00 18:00 24:00釣行当日の気象
-
日の出
04:30
日の入
18:38
-
月の出
22:57
月の入
07:29
-
天気
雨のち曇り
-
気温
22℃/18℃
-
気圧
1015.6hPa
-
風
南南東
4.5m/s -
波
東
0.8m/s -
水温
17.7℃
-
潮
中潮
-
月齢
19.3
-
BI
7.3
釣行当日の気象情報を表示 釣行当日の気象情報を隠す -
不動丸
茨城県 鹿嶋市 鹿嶋旧港348日前釣行日:2025年5月17日(土)中潮マダイ
0.60kg 合計1匹 ◇◆◇テンヤ真鯛船◇◆◇ ・マダイ…0ー2尾(0.4ー0.6キロ) ・その他…ハナダイ、ホウボウ、カナガシラ、ショウサイフグ、サバ、イナダ 本日は終日雨模様でアタリ少ない状況で苦戦しました。 しかしながら風が吹いてくるまでは軽いテンヤでフォールを意識したら遊動テンヤで横の動きを出せる方はアタリ多くパターンが合う方はハナダイやクロダイ、良型真鯛のバラシ等ありやり方次第な感じでしたね。 残念ながら風波強く早上がりにはなりましたが反応も多いので条件良ければ大鯛祭や間違い無し! テンヤは数種類用意して巻物も持参する事をオススメします! ※テンヤは5号から13号まで幅広く持ってきて下さい。 固定、遊動どちらも用意した方が良いですよ! ※ジグやタイラバも持参すると巻物に食いが偏る場合は対応できるのでオススメです。 ※ジグ…30ー60g
釣行当日の潮汐
200 0 -40 0:00 6:00 12:00 18:00 24:00釣行当日の気象
-
日の出
04:30
日の入
18:38
-
月の出
22:57
月の入
07:30
-
天気
雨のち曇り
-
気温
22℃/18℃
-
気圧
1015.6hPa
-
風
南南東
4.5m/s -
波
東南東
0.9m/s -
水温
17.7℃
-
潮
中潮
-
月齢
19.3
-
BI
7.3
釣行当日の気象情報を表示 釣行当日の気象情報を隠す -
ことぶき丸
茨城県 日立市 会瀬漁港348日前釣行日:2025年5月17日(土)中潮マダイ
0.30~1.30kg 1~4匹 カサゴ 25~32cm 1~10匹 マゾイ 28~35cm 0~1匹 マハタ 28~38cm 0~2匹 ワラサ 1.00~2.00kg 0~2匹 一つテンヤマダイ、タイラバで出船しました。水温17.8℃ マダイ最大で1.3kgその他01.1kg、0.6kg...トップ4尾でした。マダイ0.3~1.3kg1~4尾。ゲストでマゾイ、マハタ、カサゴ、メバル、トラフグ、ワラサ、イナダ、ショウサイフグでした。本日、乗船の皆様ありがとうございました。 【お知らせ】 明日5月18日(日)は一つテンヤマダイで出船致します。お早いご予約お待ちしております。 ※一つテンヤマダイ集合4時30分に変更しました! ※誠に勝手ながら満船時の当日キャンセルは乗船料の100%頂きます。ご了承下さい! 一つテンヤマダイ 12,000円(エサ、氷、昼食付) 集合4時30分になります。 アマダイ、アマラバ 12,000円(エサ、氷、昼食付) 集合5時になります。 エギダコ 13,000円(氷、昼食付) 集合4時になります。 ご予約 電話090-1842-0165 お気軽にお電話下さいね!!
釣行当日の潮汐
200 0 -40 0:00 6:00 12:00 18:00 24:00釣行当日の気象
-
日の出
04:28
日の入
18:39
-
月の出
22:59
月の入
07:27
-
天気
雨のち曇り
-
気温
23℃/16℃
-
気圧
1015.8hPa
-
風
南東
1.9m/s -
波
東南東
0.8m/s -
水温
17.6℃
-
潮
中潮
-
月齢
19.3
-
BI
7.3
釣行当日の気象情報を表示 釣行当日の気象情報を隠す -
長岡丸
茨城県 鹿嶋市 鹿嶋旧港348日前釣行日:2025年5月17日(土)中潮マダイ
0.60~3.06kg 0~2匹 ショウサイフグ 28~42cm 4~19匹 ◆ショウサイフグ船 ジャンボフグ主体好調 サイズ28~42cm4~19匹 ◆午前テンヤ船 サイズ0.6~3.06kg0~2枚 外道ハナダイ、ホウボウ、ショウサイフグ 今日のフグ船は型が良くアタリ多く数が上がりました。 テンヤ午前船は潮流れ悪く当たり少なく苦戦、風強くなり全船10時早上がりになりました。 ご乗船の皆さん、雨風の中大変お疲れ様でした。ありがとうございました。またのお越しをお待ちしております。 明日はショウサイフグ船、テンヤ真鯛午前午後の出船です。宜しくお願い致します。
釣行当日の潮汐
200 0 -40 0:00 6:00 12:00 18:00 24:00釣行当日の気象
-
日の出
04:30
日の入
18:38
-
月の出
22:57
月の入
07:30
-
天気
雨のち曇り
-
気温
22℃/18℃
-
気圧
1015.6hPa
-
風
南南東
4.5m/s -
波
東南東
0.9m/s -
水温
17.7℃
-
潮
中潮
-
月齢
19.3
-
BI
7.3
釣行当日の気象情報を表示 釣行当日の気象情報を隠す -
弁天丸
茨城県 日立市 会瀬漁港348日前釣行日:2025年5月17日(土)中潮マダイ
0.30~1.10kg 0~5匹 テンヤマダイの釣果です。 1.1kgが頭にグローブサイズが交じりました!
釣行当日の潮汐
200 0 -40 0:00 6:00 12:00 18:00 24:00釣行当日の気象
-
日の出
04:28
日の入
18:39
-
月の出
22:59
月の入
07:27
-
天気
雨のち曇り
-
気温
23℃/16℃
-
気圧
1015.8hPa
-
風
南東
1.9m/s -
波
東南東
0.8m/s -
水温
17.6℃
-
潮
中潮
-
月齢
19.3
-
BI
7.3
釣行当日の気象情報を表示 釣行当日の気象情報を隠す -
大春丸
茨城県 鹿嶋市 鹿嶋旧港348日前釣行日:2025年5月17日(土)中潮マダイ
1.00~5.90kg 0~1匹 テンヤ真鯛午前船! 釣果 0~1匹 サイズ 1.0kg~5.90kg 状況 今日は朝から雨模様。 3.88kg・5.90kgと大鯛が揚がり1.0kgクラスもぽつぽつと 掛かっていたが中盤あたりから次第に風も強くなり早上がりとなりました。 それでも皆さんハナダイ多数・ホウボウ・カサゴ・ショウサイフグ・トラフグ ムシガレイなどが釣れてお土産ができました。 今日の午後船は悪天候のため中止とさせていただきました。 明日もテンヤ真鯛午前船出船予定です。
釣行当日の潮汐
200 0 -40 0:00 6:00 12:00 18:00 24:00釣行当日の気象
-
日の出
04:30
日の入
18:38
-
月の出
22:57
月の入
07:30
-
天気
雨のち曇り
-
気温
22℃/18℃
-
気圧
1015.6hPa
-
風
南南東
4.5m/s -
波
東南東
0.9m/s -
水温
17.7℃
-
潮
中潮
-
月齢
19.3
-
BI
7.3
釣行当日の気象情報を表示 釣行当日の気象情報を隠す -
幸栄丸
茨城県 鹿嶋市 鹿嶋旧港348日前釣行日:2025年5月17日(土)中潮マダイ
0.30~4.40kg 0~3匹 ハナダイ 25~35cm 0~10匹 内訳)4.4kg・4.3kg・3.8kg・3.6kg・2.9kg・2.9kg・2.9kg・2.7kg・2.3kg・2.3kg・2.0kg・2.0kg・1.8kg・1.5kg・1.5kg・1.3kg・1.2kg・1.2kg・1.0kg・1.0kg 朝のうちは魚のアタリもポツポツとあり良型も上がりました!徐々に風が目立つようになると流れ早く釣りにくくなるもパターンあっている人はアタリもあって良型ゲットできました!! 風が増してきて安全を考え10時早上がりとなりました。
釣行当日の潮汐
200 0 -40 0:00 6:00 12:00 18:00 24:00釣行当日の気象
-
日の出
04:30
日の入
18:38
-
月の出
22:57
月の入
07:30
-
天気
雨のち曇り
-
気温
22℃/18℃
-
気圧
1015.6hPa
-
風
南南東
4.5m/s -
波
東南東
0.9m/s -
水温
17.7℃
-
潮
中潮
-
月齢
19.3
-
BI
7.3
釣行当日の気象情報を表示 釣行当日の気象情報を隠す -
宗和丸
茨城県 鹿嶋市 鹿嶋新港348日前釣行日:2025年5月17日(土)中潮マダイ
0.80kg 合計1匹 ハナダイ 0.40~0.80kg 0~6匹 ホウボウ 30~40cm 0~1匹 ショウサイフグ 15~25cm 0~1匹 午前テンヤ真鯛船 北のポイントを狙い 誘いの合ってた方は ポロポロ掛かり、 今日は、タイラバの方も ポロポロ拾えてましたよ~(^o^)/ 中盤より、風が増してしまい 鹿嶋全船、10時はやあがりと致しました。 雨風の中、お疲れさまでした!
釣行当日の潮汐
200 0 -40 0:00 6:00 12:00 18:00 24:00釣行当日の気象
-
日の出
04:30
日の入
18:38
-
月の出
22:57
月の入
07:29
-
天気
雨のち曇り
-
気温
22℃/18℃
-
気圧
1015.6hPa
-
風
南南東
4.5m/s -
波
東
0.8m/s -
水温
17.7℃
-
潮
中潮
-
月齢
19.3
-
BI
7.3
釣行当日の気象情報を表示 釣行当日の気象情報を隠す -
植田丸
茨城県 鹿嶋市 鹿嶋旧港348日前釣行日:2025年5月17日(土)中潮マダイ
0.50kg 合計1匹 午前テンマキ マダイ、ハナダイ、カサゴ、ホウボウ、ショウサイフグ、イナダなど 朝方は良い凪でしたが 途中からは予報どうり大風大荒れで 早上がりでした 明日 午前テンマキ 午後テンマキ 予報は凪なので出る予定です
釣行当日の潮汐
200 0 -40 0:00 6:00 12:00 18:00 24:00釣行当日の気象
-
日の出
04:30
日の入
18:38
-
月の出
22:57
月の入
07:30
-
天気
雨のち曇り
-
気温
22℃/18℃
-
気圧
1015.6hPa
-
風
南南東
4.5m/s -
波
東南東
0.9m/s -
水温
17.7℃
-
潮
中潮
-
月齢
19.3
-
BI
7.3
釣行当日の気象情報を表示 釣行当日の気象情報を隠す -
弘漁丸
茨城県 日立市 久慈漁港349日前釣行日:2025年5月16日(金)中潮マダイ
0.30~1.00kg 0~7匹 1キロの真鯛が最大で竿頭真鯛7枚!外道は魚種多彩でした!明日も出船します!平日も週末も毎日テンヤ真鯛船に出船します!早めのご予約ありがたいです!探見丸smartも使用可能です。スマートフォンをお持ちの方はアプリをダウンロードして、是非お試しください!大さん弘漁丸オリジナルステッカーを乗船記念に限定配布します!初心者も大歓迎!皆様のお越しを心よりお待ちしております!
釣行当日の潮汐
200 0 -40 0:00 6:00 12:00 18:00 24:00釣行当日の気象
-
日の出
04:30
日の入
18:39
-
月の出
22:13
月の入
06:30
-
天気
晴れ後時々曇り
-
気温
26℃/15℃
-
気圧
1021.9hPa
-
風
南南東
1.6m/s -
波
東
0.8m/s -
水温
17.4℃
-
潮
中潮
-
月齢
18.3
-
BI
7.5
釣行当日の気象情報を表示 釣行当日の気象情報を隠す
茨城県の人気魚種の釣果情報
- 茨城県×マダイ
- 茨城県×ブリ
- 茨城県×マアジ
- 茨城県×イサキ
- 茨城県×カサゴ
- 茨城県×アカアマダイ
- 茨城県×ヒラメ
- 茨城県×ゴマサバ
- 茨城県×ヒラマサ
- 茨城県×ヤリイカ
- 茨城県×マダコ
- 茨城県×スズキ
- 茨城県×キジハタ
- 茨城県×サワラ
- 茨城県×メバル
- 茨城県×カンパチ
- 茨城県×オニカサゴ
- 茨城県×タチウオ
- 茨城県×マハタ
- 茨城県×シロギス
- 茨城県×アカムツ
- 茨城県×ケンサキイカ
- 茨城県×クロダイ
- 茨城県×チダイ
- 茨城県×クロムツ
- 茨城県×マゴチ
- 茨城県×アオハタ
- 茨城県×アカハタ
- 茨城県×スルメイカ
- 茨城県×キハダ
- 茨城県×キダイ
- 茨城県×キンメダイ
- 茨城県×シロアマダイ
- 茨城県×カワハギ
- 茨城県×クロソイ
- 茨城県×アラ
- 茨城県×カツオ
- 茨城県×メダイ
- 茨城県×ホウボウ
- 茨城県×ショウサイフグ
- 茨城県×シログチ
- 茨城県×チカメキントキ
- 茨城県×オオモンハタ
- 茨城県×ウスメバル
- 茨城県×マコガレイ
- 茨城県×アイナメ
- 茨城県×ウッカリカサゴ
- 茨城県×アコウダイ
- 茨城県×シイラ
- 茨城県×マダラ
- 茨城県×ウマヅラハギ
- 茨城県×イシダイ
- 茨城県×クエ
- 茨城県×ムシガレイ
- 茨城県×ユメカサゴ
- 茨城県×キツネメバル
- 茨城県×トラフグ
- 茨城県×ハガツオ
- 茨城県×アヤメカサゴ
- 茨城県×マアナゴ
- 茨城県×アブラボウズ
- 茨城県×ムツ
- 茨城県×キチヌ
- 茨城県×マサバ
- 茨城県×シロサバフグ
- 茨城県×オオクチイシナギ
- 茨城県×カナガシラ
- 茨城県×バラムツ
- 茨城県×コロダイ
- 茨城県×イシガレイ
- 茨城県×マトウダイ
- 茨城県×スマ
- 茨城県×ヒラソウダ
- 茨城県×コウイカ
- 茨城県×キュウセン
- 茨城県×アカメフグ
-
最新の釣果データを教えてください。
-
マダイ以外によく釣れる魚は何ですか?
各都道府県の人気魚種の釣果情報
- 岩手県×スルメイカ
- 岩手県×マダラ
- 岩手県×ブリ
- 岩手県×マコガレイ
- 岩手県×ヒラメ
- 宮城県×ヒラメ
- 宮城県×マアジ
- 宮城県×アイナメ
- 宮城県×マコガレイ
- 宮城県×メバル
- 福島県×マダイ
- 福島県×ヒラメ
- 福島県×チダイ
- 福島県×キツネメバル
- 福島県×アイナメ
- 茨城県×マダイ
- 茨城県×ブリ
- 茨城県×ヒラメ
- 茨城県×マダコ
- 茨城県×カサゴ
- 埼玉県×サワラ
- 埼玉県×タチウオ
- 埼玉県×マダイ
- 埼玉県×ホウボウ
- 埼玉県×ブリ
- 千葉県×マダイ
- 千葉県×ヒラメ
- 千葉県×マアジ
- 千葉県×イサキ
- 千葉県×カサゴ
- 東京都×マアジ
- 東京都×タチウオ
- 東京都×シロギス
- 東京都×マダコ
- 東京都×スズキ
- 神奈川県×マアジ
- 神奈川県×マダイ
- 神奈川県×ブリ
- 神奈川県×アカアマダイ
- 神奈川県×タチウオ
- 新潟県×マダイ
- 新潟県×ブリ
- 新潟県×マアジ
- 新潟県×ゴマサバ
- 新潟県×キダイ
- 富山県×アオリイカ
- 富山県×マダイ
- 富山県×ブリ
- 富山県×キジハタ
- 富山県×アオハタ
- 石川県×ブリ
- 石川県×キジハタ
- 石川県×マダイ
- 石川県×カサゴ
- 石川県×ウッカリカサゴ
- 福井県×ケンサキイカ
- 福井県×マダイ
- 福井県×アオリイカ
- 福井県×スルメイカ
- 福井県×マアジ
- 静岡県×マダイ
- 静岡県×イサキ
- 静岡県×マアジ
- 静岡県×ブリ
- 静岡県×タチウオ
- 愛知県×ブリ
- 愛知県×マダイ
- 愛知県×タチウオ
- 愛知県×ホウボウ
- 愛知県×ヒラメ
- 三重県×ブリ
- 三重県×マダイ
- 三重県×ヒラメ
- 三重県×カサゴ
- 三重県×アカアマダイ
- 京都府×ケンサキイカ
- 京都府×ブリ
- 京都府×マダイ
- 京都府×スルメイカ
- 京都府×アオリイカ
- 大阪府×マダイ
- 大阪府×サワラ
- 大阪府×ブリ
- 大阪府×スズキ
- 大阪府×タチウオ
- 兵庫県×ブリ
- 兵庫県×マダイ
- 兵庫県×マダコ
- 兵庫県×サワラ
- 兵庫県×タチウオ
- 和歌山県×マダイ
- 和歌山県×ブリ
- 和歌山県×マアジ
- 和歌山県×イサキ
- 和歌山県×シロアマダイ
- 鳥取県×ケンサキイカ
- 鳥取県×アオリイカ
- 鳥取県×スルメイカ
- 鳥取県×アオハタ
- 鳥取県×マダイ
- 島根県×ケンサキイカ
- 島根県×スルメイカ
- 島根県×ゴマサバ
- 島根県×マアジ
- 島根県×コウイカ
- 岡山県×スズキ
- 岡山県×マダイ
- 岡山県×ヒラメ
- 岡山県×キジハタ
- 岡山県×クロダイ
- 広島県×マダイ
- 広島県×キジハタ
- 広島県×ブリ
- 広島県×サワラ
- 広島県×シロギス
- 山口県×ケンサキイカ
- 山口県×アオリイカ
- 山口県×キジハタ
- 山口県×ブリ
- 山口県×マダイ
- 徳島県×ブリ
- 徳島県×マアジ
- 徳島県×チダイ
- 徳島県×イサキ
- 徳島県×キダイ
- 香川県×マダイ
- 香川県×アオリイカ
- 香川県×キジハタ
- 香川県×クロダイ
- 香川県×シロギス
- 愛媛県×マダイ
- 愛媛県×ブリ
- 愛媛県×キジハタ
- 愛媛県×タチウオ
- 愛媛県×カサゴ
- 高知県×カンパチ
- 高知県×イサキ
- 高知県×アカアマダイ
- 高知県×マダイ
- 高知県×マアジ
- 福岡県×マダイ
- 福岡県×ヤリイカ
- 福岡県×ケンサキイカ
- 福岡県×ヒラマサ
- 福岡県×ブリ
- 佐賀県×ヒラマサ
- 佐賀県×マダイ
- 佐賀県×アカアマダイ
- 佐賀県×キダイ
- 佐賀県×サワラ
- 長崎県×マダイ
- 長崎県×キジハタ
- 長崎県×オオモンハタ
- 長崎県×アオハタ
- 長崎県×ブリ
- 熊本県×マダイ
- 熊本県×ヒラメ
- 熊本県×キジハタ
- 熊本県×メバル
- 熊本県×カサゴ
- 鹿児島県×カンパチ
- 鹿児島県×ケンサキイカ
- 鹿児島県×オオモンハタ
- 鹿児島県×マダイ
- 鹿児島県×バラハタ
- 沖縄県×スジアラ
- 沖縄県×バラハタ
- 沖縄県×キハダ
- 沖縄県×ハマフエフキ
- 沖縄県×クエ































0、8キロの真鯛が最大で竿頭真鯛3枚!外道は根魚主体でした!明日も出船します!平日も週末も毎日テンヤ真鯛船に出船します!早めのご予約ありがたいです!探見丸smartも使用可能です。スマートフォンをお持ちの方はアプリをダウンロードして、是非お試しください!大さん弘漁丸オリジナルステッカーを乗船記念に限定配布します!初心者も大歓迎!皆様のお越しを心よりお待ちしております!