-
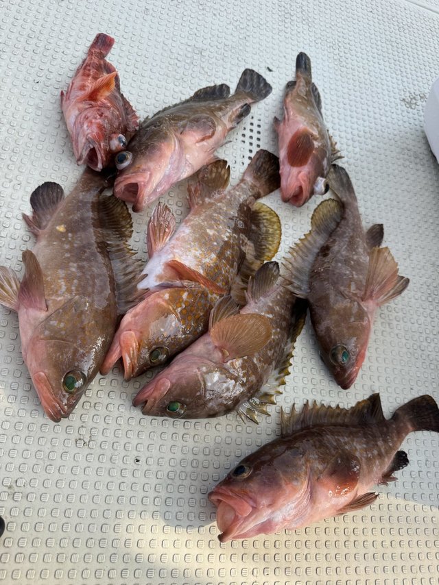
隆高丸
広島県 広島市 丹那漁港1日前釣行日:2026年5月5日(火)中潮カサゴ
18~23cm 10~25匹 釣行当日の潮汐
400 0 -80 0:00 6:00 12:00 18:00 24:00釣行当日の気象
-
日の出
05:16
日の入
18:57
-
月の出
22:29
月の入
07:06
-
天気
晴れ
-
気温
22℃/11℃
-
気圧
1022.0hPa
-
風
南東
0.7m/s -
波
南東
0.2m/s -
水温
16.0℃
-
潮
中潮
-
月齢
17.6
-
BI
8.0
釣行当日の気象情報を表示 釣行当日の気象情報を隠す -
海逢
広島県 安芸郡坂町 マリーナ広島10日前釣行日:2026年4月26日(日)長潮カサゴ
マダイ 最大47cm チダイ マゴチ ホウボウ 4/26鯛ラバ大会。 優勝、真鯛47.0センチ。 エンゲツプレミアム150PG。 ※1番大きい真鯛。 2位真鯛26.0センチ。 商品券10,000円分。 ※1番小さい真鯛。 3位・4位・5位・特別賞・女性賞。 以下省略。 魚種、 真鯛・チダイ・マゴチ・ホウボウ・カサゴ ※写真は一部省略。 あいにく昼から雨予報でしたので近場、短時間釣行。 アベレージサイズは小さめでしたが、今回は女性陣のキャッチ率が高く竿がしら。 そして勝者は船長の悪意を全て交わしきりまたまた逃げ切り優勝。 てか悪意ってなんだ。 ちなみによく釣れたカラーは パン◯ぃ〜バイオレット?? バイオレットパン◯ぃ〜?? 初めて聞いたぞ新色か。 ネクタイの厚みは0.01㎜だそうです 新発売か。 当船は清純派遊漁なので、卑猥な発言ダメ絶対。 ご参加ありがとうございました。 5月開催企画中。
釣行当日の潮汐
400 0 -80 0:00 6:00 12:00 18:00 24:00釣行当日の気象
-
日の出
05:26
日の入
18:50
-
月の出
13:39
月の入
02:27
-
天気
曇りのち一時雨
-
気温
20℃/14℃
-
気圧
1016.4hPa
-
風
東北東
2.4m/s -
波
北東
0.2m/s -
水温
14.6℃
-
潮
長潮
-
月齢
8.6
-
BI
8.0
釣行当日の気象情報を表示 釣行当日の気象情報を隠す -
武士(サムライ)
広島県 三原市 幸崎西漁港16日前釣行日:2026年4月20日(月)中潮ガシラ
(カサゴ)マダイ アコウ サバフグ ワニゴチ 鯛ラバの釣果。
釣行当日の潮汐
400 0 -80 0:00 6:00 12:00 18:00 24:00釣行当日の気象
-
日の出
05:30
日の入
18:42
-
月の出
07:00
月の入
22:18
-
天気
晴れ後時々曇り
-
気温
22℃/15℃
-
気圧
1013.1hPa
-
風
北東
2.8m/s -
波
北東
0.2m/s -
水温
16.7℃
-
潮
中潮
-
月齢
2.6
-
BI
7.9
釣行当日の気象情報を表示 釣行当日の気象情報を隠す -
隆高丸
広島県 広島市 丹那漁港18日前釣行日:2026年4月18日(土)大潮カサゴ
18~24cm 10~15匹 【カサゴ、タイラバ便】 今日のカサゴは活性がイマイチの様で、多くは釣れませんでした。 タイラバは、トップの方で5枚の釣果でした。 【カサゴ18~24cm、1人10~15匹、他、アコウ、マダイ40~63cm、サワラ、カサゴ】 『近日予定』 25(土)❌ 26(日)カサゴ、タイラバ便募集中 090-7122-6133までお気軽にお問い合わせください
釣行当日の潮汐
400 0 -80 0:00 6:00 12:00 18:00 24:00釣行当日の気象
-
日の出
05:35
日の入
18:43
-
月の出
05:37
月の入
19:50
-
天気
曇り時々晴れ
-
気温
24℃/14℃
-
気圧
1018.0hPa
-
風
北東
2.2m/s -
波
北北東
0.2m/s -
水温
15.6℃
-
潮
大潮
-
月齢
0.6
-
BI
10.5
釣行当日の気象情報を表示 釣行当日の気象情報を隠す -
航平
広島県 広島市 江波23日前釣行日:2026年4月13日(月)若潮カサゴ
カサゴの調査に昼まで出掛けました。 大小さまざまでしたがコンスタントに釣れました。
釣行当日の潮汐
400 0 -80 0:00 6:00 12:00 18:00 24:00釣行当日の気象
-
日の出
05:42
日の入
18:40
-
月の出
03:10
月の入
14:09
-
天気
曇り
-
気温
23℃/13℃
-
気圧
1016.6hPa
-
風
南南東
0.9m/s -
波
南
0.2m/s -
水温
15.0℃
-
潮
若潮
-
月齢
25.1
-
BI
8.4
釣行当日の気象情報を表示 釣行当日の気象情報を隠す -
航平
広島県 広島市 江波25日前釣行日:2026年4月11日(土)小潮ガシラ
(カサゴ)アコウ タイラバアコウの調査に出掛けました。 厳しい状況でしたが、ポツリポツリと釣れました。
釣行当日の潮汐
400 0 -80 0:00 6:00 12:00 18:00 24:00釣行当日の気象
-
日の出
05:44
日の入
18:38
-
月の出
02:03
月の入
12:03
-
天気
晴れ
-
気温
24℃/14℃
-
気圧
1011.6hPa
-
風
南西
1.4m/s -
波
西南西
0.2m/s -
水温
14.8℃
-
潮
小潮
-
月齢
23.1
-
BI
7.0
釣行当日の気象情報を表示 釣行当日の気象情報を隠す -
隆高丸
広島県 広島市 丹那漁港25日前釣行日:2026年4月11日(土)小潮カサゴ
18~23cm 15~30匹 【カサゴ、メバル便】 カサゴからのメバル狙いですが、メバルは活性が無く、納竿頃に少々でした。 カサゴ18~23cm、 1人15~30匹、 他、イサキ、タイ、メバル--- (近日予定) 18(土)カサゴ、タイ 19(日)タイ 090-7122-6133までお気軽にお問い合わせください。
釣行当日の潮汐
400 0 -80 0:00 6:00 12:00 18:00 24:00釣行当日の気象
-
日の出
05:44
日の入
18:38
-
月の出
02:03
月の入
12:03
-
天気
晴れ
-
気温
24℃/14℃
-
気圧
1011.6hPa
-
風
南西
1.4m/s -
波
西南西
0.2m/s -
水温
14.8℃
-
潮
小潮
-
月齢
23.1
-
BI
7.0
釣行当日の気象情報を表示 釣行当日の気象情報を隠す -
海逢
広島県 安芸郡坂町 マリーナ広島45日前釣行日:2026年3月22日(日)中潮カサゴ
マダイ 最大38cm クロダイ マゴチ 3/22豪華賞品鯛ラバ大会。 優勝真鯛38.0センチ。 エンゲツプレミアム150PG。 ※1番大きい真鯛 2位真鯛17.5センチ。 ゴメクサスハンドル120。 ※1番小さい真鯛 以下省略。 魚種、 真鯛・クロダイ・カサゴ・マゴチ。 ※写真は一部省略 今年1発目の鯛ラバ大会。 アベレージサイズはちょっと小さかったですが、白熱の戦いに。 優勝者はなんと初参加、フルレンタル、船長セッティング。信じるといい事あるかも。 4月も開催予定です。 初心者の方もご遠慮なくご相談ください。
釣行当日の潮汐
400 0 -80 0:00 6:00 12:00 18:00 24:00釣行当日の気象
-
日の出
06:11
日の入
18:23
-
月の出
07:41
月の入
22:11
-
天気
曇りのち一時雨
-
気温
15℃/7℃
-
気圧
1022.8hPa
-
風
東
1.8m/s -
波
北東
0.2m/s -
水温
12.4℃
-
潮
中潮
-
月齢
3.1
-
BI
8.2
釣行当日の気象情報を表示 釣行当日の気象情報を隠す -
航平
広島県 広島市 江波51日前釣行日:2026年3月16日(月)中潮カサゴ
チヌ 50cm 合計1匹 マダイ 30cm 合計1匹 一つテンヤの調査にて昼まで出掛けました 50㎝のチヌ、30㎝のマダイ、カサゴ等釣れました。
釣行当日の潮汐
400 0 -80 0:00 6:00 12:00 18:00 24:00釣行当日の気象
-
日の出
06:20
日の入
18:18
-
月の出
04:42
月の入
15:23
-
天気
晴れ後時々曇り
-
気温
15℃/4℃
-
気圧
1023.5hPa
-
風
北東
1.8m/s -
波
北北東
0.2m/s -
水温
12.0℃
-
潮
中潮
-
月齢
26.6
-
BI
9.1
釣行当日の気象情報を表示 釣行当日の気象情報を隠す -
隆高丸
広島県 広島市 丹那漁港53日前釣行日:2026年3月14日(土)若潮カサゴ
18~24cm 15~30匹 【五目便】 今日は予報が悪かったため風裏ポイントで出船。波は少々で、どのポイントもそこまで荒れていませんでした。 メインはカサゴ狙いで良型多め 『カサゴ18~24cmを1人15~30匹』 他にメバル、小ダイ、アコウも混じり、五目釣りらしい釣果となりました。 次週は 28(土)タイラバ&メバル便募集中 29(日)タイラバ&メバル便募集中 ご予約お待ちしております。 【090-7122-6133】
釣行当日の潮汐
400 0 -80 0:00 6:00 12:00 18:00 24:00釣行当日の気象
-
日の出
06:22
日の入
18:16
-
月の出
03:29
月の入
13:16
-
天気
晴れ
-
気温
15℃/4℃
-
気圧
1027.1hPa
-
風
北北東
3.1m/s -
波
北北東
0.2m/s -
水温
12.0℃
-
潮
若潮
-
月齢
24.6
-
BI
7.5
釣行当日の気象情報を表示 釣行当日の気象情報を隠す -
武士(サムライ)
広島県 三原市 幸崎西漁港72日前釣行日:2026年2月23日(月)小潮ガシラ
(カサゴ)マダイ アコウ SLJでぷらっと。
釣行当日の潮汐
400 0 -80 0:00 6:00 12:00 18:00 24:00釣行当日の気象
-
日の出
06:44
日の入
17:57
-
月の出
09:39
月の入
-
天気
晴れ
-
気温
16℃/7℃
-
気圧
1023.9hPa
-
風
北北西
2.3m/s -
波
北北西
0.2m/s -
水温
11.6℃
-
潮
小潮
-
月齢
5.6
-
BI
8.3
釣行当日の気象情報を表示 釣行当日の気象情報を隠す -
隆高丸
広島県 広島市 丹那漁港88日前釣行日:2026年2月7日(土)中潮カサゴ
18~23cm 10~20匹 【カサゴ、メバル便】 本日は、後半の波風予報が悪い為、カサゴをメインに早目の納竿としました。 『カサゴ18~23cm1人10~20匹他、メバル、コダイ等』 【近日予定】 10(火)メバル便募集中 14(土)メバル他便募集中 15(日)当漁協の水産祭の為やすみ お問い合わせは090-7122-6133までお問い合わせお待ちしております。
釣行当日の潮汐
400 0 -80 0:00 6:00 12:00 18:00 24:00釣行当日の気象
-
日の出
07:03
日の入
17:45
-
月の出
23:15
月の入
09:40
-
天気
曇り
-
気温
11℃/4℃
-
気圧
1016.4hPa
-
風
北
1.8m/s -
波
北
0.2m/s -
水温
11.9℃
-
潮
中潮
-
月齢
19.3
-
BI
8.5
釣行当日の気象情報を表示 釣行当日の気象情報を隠す -
隆高丸
広島県 広島市 丹那漁港221日前釣行日:2025年9月27日(土)中潮カサゴ
18~25cm 25~35匹 【カサゴ、ウマズラ便】 前半にカサゴ狙いで、後半はウマヅラを狙ってみました。 今日は風も少々吹き、いい釣り日和でした。 【カサゴ18~24cm、1人25~35匹、 他.メバル.ウマヅラハゲ等】 『近日予定』 11(土)タイラバ便募集中!! 12(日)ウマヅラハギ便募集中!! 13(月)タイラバ他便募集中!! 090-7122-6133までお気軽にお問い合わせ下さい。
釣行当日の潮汐
400 0 -80 0:00 6:00 12:00 18:00 24:00釣行当日の気象
-
日の出
06:01
日の入
18:00
-
月の出
10:58
月の入
20:40
-
天気
曇りのち時々晴れ
-
気温
28℃/21℃
-
気圧
1018.6hPa
-
風
北東
3.0m/s -
波
北北東
0.2m/s -
水温
26.1℃
-
潮
中潮
-
月齢
5.3
-
BI
7.7
釣行当日の気象情報を表示 釣行当日の気象情報を隠す -
隆高丸
広島県 広島市 丹那漁港227日前釣行日:2025年9月21日(日)大潮カサゴ
18~24cm 15~25匹 カサゴ、タイラバ便*** 猛暑が終わり、徐々にいい気候になりつつ有ります。 ---カサゴ18~24cm.1人15~25匹. 他、マダイ、コチ ***近日予定** 23(火)悪天候のため中止 27(土)タイラバ、他カサゴ、ウマヅラ 28(日)タイラバ他 090-7122-6133まで
釣行当日の潮汐
400 0 -80 0:00 6:00 12:00 18:00 24:00釣行当日の気象
-
日の出
05:57
日の入
18:08
-
月の出
05:07
月の入
17:48
-
天気
晴れ時々曇り
-
気温
31℃/24℃
-
気圧
1013.4hPa
-
風
北北東
2.2m/s -
波
北北東
0.2m/s -
水温
26.8℃
-
潮
大潮
-
月齢
28.9
-
BI
9.5
釣行当日の気象情報を表示 釣行当日の気象情報を隠す -
隆高丸
広島県 広島市 丹那漁港255日前釣行日:2025年8月24日(日)大潮カサゴ
20~23cm 10~20匹 【カサゴ便】 今日は今までの様には、釣れませんでした。 後半のタイラバは、昨日に続き悪かったです~ カサゴ---20~23cm 1人10~20匹、 他、マダイ、タチウオ、イサキ ***近日予定*** 30(土)タイラバ便募集中 31(日)未定 090-7122-6133までお気軽にお問い合わせください。
釣行当日の潮汐
400 0 -80 0:00 6:00 12:00 18:00 24:00釣行当日の気象
-
日の出
05:37
日の入
18:46
-
月の出
06:17
月の入
19:21
-
天気
晴れ後時々曇り
-
気温
35℃/28℃
-
気圧
1013.7hPa
-
風
東南東
0.9m/s -
波
東南東
0.2m/s -
水温
29.0℃
-
潮
大潮
-
月齢
0.9
-
BI
10.0
釣行当日の気象情報を表示 釣行当日の気象情報を隠す
広島県の人気魚種の釣果情報
- 広島県×マダイ
- 広島県×ブリ
- 広島県×マアジ
- 広島県×イサキ
- 広島県×カサゴ
- 広島県×ヒラメ
- 広島県×ヒラマサ
- 広島県×マダコ
- 広島県×キジハタ
- 広島県×アオリイカ
- 広島県×スズキ
- 広島県×サワラ
- 広島県×カンパチ
- 広島県×メバル
- 広島県×シロギス
- 広島県×タチウオ
- 広島県×マハタ
- 広島県×クロダイ
- 広島県×チダイ
- 広島県×マゴチ
- 広島県×アラ
- 広島県×カワハギ
- 広島県×ホウボウ
- 広島県×メジナ
- 広島県×ショウサイフグ
- 広島県×シイラ
- 広島県×ウッカリカサゴ
- 広島県×メバチ
- 広島県×クログチ
- 広島県×イシダイ
- 広島県×ウマヅラハギ
- 広島県×クエ
- 広島県×トラフグ
- 広島県×マサバ
- 広島県×シロサバフグ
- 広島県×カナガシラ
- 広島県×コウイカ
- 広島県×オニオコゼ
各都道府県の人気魚種の釣果情報
- 岩手県×スルメイカ
- 岩手県×マダラ
- 岩手県×ブリ
- 岩手県×マコガレイ
- 岩手県×ヒラメ
- 宮城県×ヒラメ
- 宮城県×マアジ
- 宮城県×アイナメ
- 宮城県×マコガレイ
- 宮城県×メバル
- 福島県×マダイ
- 福島県×ヒラメ
- 福島県×チダイ
- 福島県×キツネメバル
- 福島県×アイナメ
- 茨城県×マダイ
- 茨城県×ブリ
- 茨城県×ヒラメ
- 茨城県×マダコ
- 茨城県×カサゴ
- 埼玉県×サワラ
- 埼玉県×タチウオ
- 埼玉県×マダイ
- 埼玉県×マアジ
- 埼玉県×ホウボウ
- 千葉県×マダイ
- 千葉県×ヒラメ
- 千葉県×マアジ
- 千葉県×イサキ
- 千葉県×マハタ
- 東京都×マアジ
- 東京都×タチウオ
- 東京都×シロギス
- 東京都×マダコ
- 東京都×スズキ
- 神奈川県×マアジ
- 神奈川県×マダイ
- 神奈川県×ブリ
- 神奈川県×アカアマダイ
- 神奈川県×タチウオ
- 新潟県×マダイ
- 新潟県×ブリ
- 新潟県×マアジ
- 新潟県×ゴマサバ
- 新潟県×キダイ
- 富山県×アオリイカ
- 富山県×マダイ
- 富山県×ブリ
- 富山県×キジハタ
- 富山県×アオハタ
- 石川県×ブリ
- 石川県×キジハタ
- 石川県×マダイ
- 石川県×カサゴ
- 石川県×ウッカリカサゴ
- 福井県×ケンサキイカ
- 福井県×マダイ
- 福井県×アオリイカ
- 福井県×スルメイカ
- 福井県×マアジ
- 静岡県×マダイ
- 静岡県×イサキ
- 静岡県×マアジ
- 静岡県×ブリ
- 静岡県×タチウオ
- 愛知県×ブリ
- 愛知県×マダイ
- 愛知県×タチウオ
- 愛知県×ホウボウ
- 愛知県×ヒラメ
- 三重県×ブリ
- 三重県×マダイ
- 三重県×ヒラメ
- 三重県×カサゴ
- 三重県×マアジ
- 京都府×ケンサキイカ
- 京都府×ブリ
- 京都府×マダイ
- 京都府×スルメイカ
- 京都府×アオリイカ
- 大阪府×マダイ
- 大阪府×サワラ
- 大阪府×ブリ
- 大阪府×スズキ
- 大阪府×タチウオ
- 兵庫県×ブリ
- 兵庫県×マダイ
- 兵庫県×マダコ
- 兵庫県×サワラ
- 兵庫県×タチウオ
- 和歌山県×マダイ
- 和歌山県×ブリ
- 和歌山県×マアジ
- 和歌山県×イサキ
- 和歌山県×シロアマダイ
- 鳥取県×ケンサキイカ
- 鳥取県×アオリイカ
- 鳥取県×マダイ
- 鳥取県×スルメイカ
- 鳥取県×アオハタ
- 島根県×ケンサキイカ
- 島根県×スルメイカ
- 島根県×ゴマサバ
- 島根県×マアジ
- 島根県×コウイカ
- 岡山県×スズキ
- 岡山県×マダイ
- 岡山県×ヒラメ
- 岡山県×キジハタ
- 岡山県×クロダイ
- 広島県×マダイ
- 広島県×ブリ
- 広島県×キジハタ
- 広島県×サワラ
- 広島県×シロギス
- 山口県×ケンサキイカ
- 山口県×アオリイカ
- 山口県×キジハタ
- 山口県×ブリ
- 山口県×マダイ
- 徳島県×ブリ
- 徳島県×マアジ
- 徳島県×チダイ
- 徳島県×イサキ
- 徳島県×キダイ
- 香川県×マダイ
- 香川県×アオリイカ
- 香川県×キジハタ
- 香川県×シロギス
- 香川県×クロダイ
- 愛媛県×マダイ
- 愛媛県×ブリ
- 愛媛県×キジハタ
- 愛媛県×タチウオ
- 愛媛県×マダコ
- 高知県×カンパチ
- 高知県×イサキ
- 高知県×アカアマダイ
- 高知県×マダイ
- 高知県×マアジ
- 福岡県×マダイ
- 福岡県×ヤリイカ
- 福岡県×ケンサキイカ
- 福岡県×ヒラマサ
- 福岡県×ブリ
- 佐賀県×ヒラマサ
- 佐賀県×マダイ
- 佐賀県×アカアマダイ
- 佐賀県×キダイ
- 佐賀県×キジハタ
- 長崎県×マダイ
- 長崎県×キジハタ
- 長崎県×オオモンハタ
- 長崎県×アオハタ
- 長崎県×ブリ
- 熊本県×マダイ
- 熊本県×ヒラメ
- 熊本県×キジハタ
- 熊本県×メバル
- 熊本県×カサゴ
- 鹿児島県×カンパチ
- 鹿児島県×オオモンハタ
- 鹿児島県×マダイ
- 鹿児島県×ケンサキイカ
- 鹿児島県×バラハタ
- 沖縄県×スジアラ
- 沖縄県×キハダ
- 沖縄県×バラハタ
- 沖縄県×ハマフエフキ
- 沖縄県×クエ










































【カサゴ五目便】 波の高い日が続いていましたが、今日は好天に恵まれました☀️ カサゴ18〜23cm 1人10〜25匹 そのほか、良型メバル・アジ・コダイも釣れています🎣 ▼近日予定 9日(土)タイ予定 10日(日)タイラバ便募集中 ご予約・お問い合わせお待ちしております! 090-7122-6133まで