-
芳丸
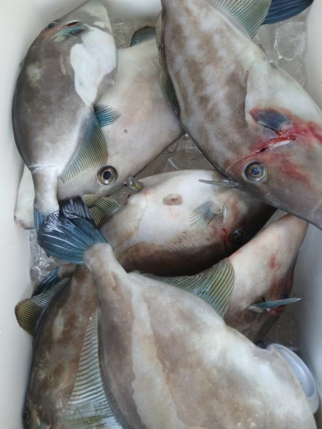
広島県 広島市 丹那漁港29日前釣行日:2026年2月21日(土)中潮ウマヅラ
(ウマヅラハギ)20~38cm 1~9匹 マダイ 25~47cm 0~3匹 釣行当日の潮汐
400 0 -80 0:00 6:00 12:00 18:00 24:00釣行当日の気象
-
日の出
06:49
日の入
17:58
-
月の出
08:35
月の入
22:01
-
天気
晴れ
-
気温
16℃/4℃
-
気圧
1020.0hPa
-
風
北北西
0.4m/s -
波
北北西
0.2m/s -
水温
12.1℃
-
潮
中潮
-
月齢
3.6
-
BI
8.4
釣行当日の気象情報を表示 釣行当日の気象情報を隠す -
芳丸
広島県 広島市 丹那漁港43日前釣行日:2026年2月7日(土)中潮ウマヅラ
(ウマヅラハギ)16~37cm 0~7匹 荒天続きにより久し振りの出船はウマヅラ釣り♪竿頭は同枚数で穂垣さんと是此田さんお二人ともお見事おめでとうございます♪ エサによりアタリがあったりなかったり等かなりテクニカルな時期になってますが何十枚もと言わなければまだまだ十分に楽しめる釣りです。本日のご乗船とリリースのご協力ありがとうございました。ウマヅラ他チダイや真鯛
釣行当日の潮汐
400 0 -80 0:00 6:00 12:00 18:00 24:00釣行当日の気象
-
日の出
07:03
日の入
17:45
-
月の出
23:15
月の入
09:40
-
天気
曇り
-
気温
11℃/4℃
-
気圧
1016.4hPa
-
風
北
1.8m/s -
波
北
0.2m/s -
水温
11.9℃
-
潮
中潮
-
月齢
19.3
-
BI
8.5
釣行当日の気象情報を表示 釣行当日の気象情報を隠す -
海逢
広島県 安芸郡坂町 マリーナ広島49日前釣行日:2026年2月1日(日)大潮ウマズラハギ
(ウマヅラハギ)合計1匹 カワハギ 合計2匹 2/1イカダカワハギ。 カワハギ2枚30㎝。 ウマズラ1枚。 寒波の影響で朝方は水温が10度を下回りもはやカワハギにとって活動限界領域。 釣れない事を前提の限界ギリギリ、変態的攻防戦の中で奇跡的キャッチに成功しました。 キャッチの要素は執念。 これこそ釣りって感じでこんな展開は楽しすぎます♪ ですが・・ イカダカワハギプランを一度終了します。 普通には釣れません。 また水温の上がる春以降に再開しますので興味がある方はお問い合わせ下さい。
釣行当日の潮汐
400 0 -80 0:00 6:00 12:00 18:00 24:00釣行当日の気象
-
日の出
07:07
日の入
17:39
-
月の出
16:51
月の入
06:40
-
天気
曇り時々晴れ
-
気温
9℃/2℃
-
気圧
1023.6hPa
-
風
西
3.0m/s -
波
西
0.2m/s -
水温
12.1℃
-
潮
大潮
-
月齢
13.3
-
BI
10.2
釣行当日の気象情報を表示 釣行当日の気象情報を隠す -
芳丸
広島県 広島市 丹那漁港64日前釣行日:2026年1月17日(土)大潮ウマヅラ
(ウマヅラハギ)20~39cm 2~11匹 デカウマ狙いで出船でした。相変わらず分厚くデカく体高もあるウマヅラが上がります!竿頭は松原さん!元々上手な方でしたが場数が増す度に獲れる数が増えてます♪写真は帰港後に数人のみ撮影協力していただきました。クーラーも2人分のみです!本日のご乗船とリリースのご協力ありがとうございました。 日曜日は荒天予報の為早目に中止とさせていただきました。
釣行当日の潮汐
400 0 -80 0:00 6:00 12:00 18:00 24:00釣行当日の気象
-
日の出
07:15
日の入
17:24
-
月の出
06:12
月の入
15:42
-
天気
晴れ
-
気温
17℃/3℃
-
気圧
1019.3hPa
-
風
北
0.3m/s -
波
北
0.2m/s -
水温
13.4℃
-
潮
大潮
-
月齢
28.1
-
BI
10.3
釣行当日の気象情報を表示 釣行当日の気象情報を隠す -
芳丸
広島県 広島市 丹那漁港67日前釣行日:2026年1月14日(水)若潮ウマヅラ
(ウマヅラハギ)20~37cm 2~10匹 今日のウマヅラは良くバレてました。30以上掛けて途中や船縁でのバラシが25以上と言う方も。ポイントは10箇所ほど回り活性が良い箇所も長くは続かない状況! それでも皆さんうまーく釣ってくれてました。本日のご乗船とリリースのご協力ありがとうございました。他チダイ等 全員ではありませんが帰港後に一部撮影協力していただきました!感謝です!
釣行当日の潮汐
400 0 -80 0:00 6:00 12:00 18:00 24:00釣行当日の気象
-
日の出
07:16
日の入
17:21
-
月の出
03:25
月の入
13:15
-
天気
晴れ
-
気温
12℃/2℃
-
気圧
1023.7hPa
-
風
西南西
0.9m/s -
波
西南西
0.2m/s -
水温
13.8℃
-
潮
若潮
-
月齢
25.1
-
BI
7.5
釣行当日の気象情報を表示 釣行当日の気象情報を隠す -
芳丸
広島県 広島市 丹那漁港74日前釣行日:2026年1月7日(水)中潮ウマヅラ
(ウマヅラハギ)15~39cm 7~13匹 イサキ 45cm 合計1匹 本日はデカウマ狙い☆ 竿頭は出だしから絶好調の中野さん!今日イチは殆どの方がデカウマ!皆さんおめでとうございますね♪そしてオーストラリアから参戦のMr.Martinnよく釣ってました♪初挑戦で日本語もわからなくてGarcia姉さんカタコトの英語でサポート笑 皆さん最後まで楽しまれてたようで良かったです♪ 本日のご乗船とリリースのご協力ありがとうございました☆
釣行当日の潮汐
400 0 -80 0:00 6:00 12:00 18:00 24:00釣行当日の気象
-
日の出
07:17
日の入
17:15
-
月の出
21:31
月の入
09:57
-
天気
晴れ後時々曇り
-
気温
13℃/1℃
-
気圧
1019.2hPa
-
風
北西
1.1m/s -
波
北西
0.2m/s -
水温
15.0℃
-
潮
中潮
-
月齢
18.1
-
BI
8.7
釣行当日の気象情報を表示 釣行当日の気象情報を隠す -
武士(サムライ)
広島県 三原市 幸崎西漁港77日前釣行日:2026年1月4日(日)大潮ウマヅラハギ
カワハギ カワハギ。 目的地に行けず大変厳しい1日になってしまいました~。 ご乗船有り難うございました。
釣行当日の潮汐
400 0 -80 0:00 6:00 12:00 18:00 24:00釣行当日の気象
-
日の出
07:14
日の入
17:10
-
月の出
18:00
月の入
08:02
-
天気
曇り
-
気温
10℃/3℃
-
気圧
1024.1hPa
-
風
西南西
6.1m/s -
波
西
0.3m/s -
水温
14.1℃
-
潮
大潮
-
月齢
15.1
-
BI
10.0
釣行当日の気象情報を表示 釣行当日の気象情報を隠す -
芳丸
広島県 広島市 丹那漁港78日前釣行日:2026年1月3日(土)大潮ウマヅラ
(ウマヅラハギ)15~37cm 4~20匹 今日は少人数でしたが貸切でウマヅラ釣行でした。初挑戦の方々ばかりでしたが飲み込みが早くしかも掛け方も上手い!皆さんお見事でした☆竿頭は唯一経験のある中山さん!おめでとうございます♪ 小さめのも混ざりますが35cmからがメインとなり皆さん楽しまれてました。申告して頂いてウマヅラ60枚届かずくらいだと思います。他チダイが多数 本日のご乗船ありがとうございました。
釣行当日の潮汐
400 0 -80 0:00 6:00 12:00 18:00 24:00釣行当日の気象
-
日の出
07:16
日の入
17:12
-
月の出
16:49
月の入
07:09
-
天気
曇り時々晴れ
-
気温
8℃/0℃
-
気圧
1022.7hPa
-
風
西南西
3.5m/s -
波
西南西
0.2m/s -
水温
15.2℃
-
潮
大潮
-
月齢
14.1
-
BI
10.0
釣行当日の気象情報を表示 釣行当日の気象情報を隠す -
隆高丸
広島県 広島市 丹那漁港80日前釣行日:2026年1月1日(木)中潮ウマヅラハギ
40cm 合計1匹 【募集】 ・31(土)メバル他募集中 ・1(日)メバル他募集中 ご予約・お問い合わせお待ちしております。 090-7122-6133までお問い合わせください。 amebloでも釣果や予定カレンダーを投稿してます。 【隆高丸アメブロ】で検索!!
釣行当日の潮汐
400 0 -80 0:00 6:00 12:00 18:00 24:00釣行当日の気象
-
日の出
07:16
日の入
17:10
-
月の出
14:37
月の入
04:48
-
天気
晴れ後時々曇り
-
気温
9℃/2℃
-
気圧
1020.1hPa
-
風
北北西
1.1m/s -
波
北
0.2m/s -
水温
15.5℃
-
潮
中潮
-
月齢
12.1
-
BI
7.4
釣行当日の気象情報を表示 釣行当日の気象情報を隠す -
芳丸
広島県 広島市 丹那漁港81日前釣行日:2025年12月31日(水)中潮ウマヅラ
(ウマヅラハギ)15~37cm 6~36匹 本年最終日はウマヅラ出船! 竿頭は30枚オーバーでGarcia姉さん!次席の方は初乗船の正岡さん30枚ギリ届かず?くらいでした。他にチダイ、真鯛、イサキが邪魔して大変でしたね笑 帰港後に1枚ずつ撮影協力していただきました!感謝です。お客様を見送り後、最後の仕事で相棒を綺麗にし撥水コーティングまで完了です。2025年も沢山のお客様に遊びに来ていただき感謝しています。今年も事故なく無事に1年を終える事が出来ました。皆様良いお年をお迎えください。 最後に本日も沢山のリリースをありがとうございました。
釣行当日の潮汐
400 0 -80 0:00 6:00 12:00 18:00 24:00釣行当日の気象
-
日の出
07:16
日の入
17:10
-
月の出
13:46
月の入
03:33
-
天気
晴れ時々曇り
-
気温
11℃/3℃
-
気圧
1022.2hPa
-
風
北北西
1.6m/s -
波
北北西
0.2m/s -
水温
15.8℃
-
潮
中潮
-
月齢
11.1
-
BI
6.5
釣行当日の気象情報を表示 釣行当日の気象情報を隠す -
芳丸
広島県 広島市 丹那漁港82日前釣行日:2025年12月30日(火)若潮ウマヅラ
(ウマヅラハギ)17~37cm 2~15匹 ウマヅラ出船!今日はアタリも多くエサも良く取られてました。竿頭は2度目の挑戦の山際さん!お見事です♪ 殆どの方が大満足の釣果になったようで良かったです☆皆さん最後まで楽しまれてました!本日のご乗船とリリースのご協力ありがとうございました。写真は帰港後に1枚ずつ撮影協力していただきました。 則武さんいつも差し入れありがとうございます。
釣行当日の潮汐
400 0 -80 0:00 6:00 12:00 18:00 24:00釣行当日の気象
-
日の出
07:15
日の入
17:09
-
月の出
13:04
月の入
02:20
-
天気
曇りのち時々晴れ
-
気温
15℃/5℃
-
気圧
1020.9hPa
-
風
北北西
1.7m/s -
波
北北西
0.2m/s -
水温
16.1℃
-
潮
若潮
-
月齢
10.1
-
BI
8.5
釣行当日の気象情報を表示 釣行当日の気象情報を隠す -
武士(サムライ)
広島県 三原市 幸崎西漁港84日前釣行日:2025年12月28日(日)小潮ウマヅラハギ
カワハギ カワハギ。 ご乗船有り難うございました。
釣行当日の潮汐
400 0 -80 0:00 6:00 12:00 18:00 24:00釣行当日の気象
-
日の出
07:12
日の入
17:05
-
月の出
11:58
月の入
00:02
-
天気
晴れ
-
気温
11℃/3℃
-
気圧
1025.2hPa
-
風
南南西
0.9m/s -
波
南南西
0.2m/s -
水温
15.2℃
-
潮
小潮
-
月齢
8.1
-
BI
7.3
釣行当日の気象情報を表示 釣行当日の気象情報を隠す -
隆高丸
広島県 広島市 丹那漁港84日前釣行日:2025年12月28日(日)小潮ウマヅラハギ
28~40cm 5~15匹 【ウマヅラ便】 今日の早朝はサッパリで、その内にポツポツと釣れだしました。初ウマヅラハゲ釣りの方4名様、苦戦し乍らも、楽しんでおられました。 『ウマヅラ28cm~40cm1人5~15匹他、コダイ、チダイ』
釣行当日の潮汐
400 0 -80 0:00 6:00 12:00 18:00 24:00釣行当日の気象
-
日の出
07:15
日の入
17:07
-
月の出
12:00
月の入
00:04
-
天気
晴れ時々曇り
-
気温
10℃/1℃
-
気圧
1025.5hPa
-
風
北北西
0.8m/s -
波
北
0.2m/s -
水温
16.2℃
-
潮
小潮
-
月齢
8.1
-
BI
8.4
釣行当日の気象情報を表示 釣行当日の気象情報を隠す -
武士(サムライ)
広島県 三原市 幸崎西漁港92日前釣行日:2025年12月20日(土)大潮ウマヅラハギ
カワハギ キス マダイ ホウボウ カワハギ。 ご乗船有り難うございました。
釣行当日の潮汐
400 0 -80 0:00 6:00 12:00 18:00 24:00釣行当日の気象
-
日の出
07:09
日の入
17:00
-
月の出
07:24
月の入
16:51
-
天気
曇りのち一時雨
-
気温
17℃/9℃
-
気圧
1024.0hPa
-
風
北東
2.3m/s -
波
北東
0.2m/s -
水温
16.0℃
-
潮
大潮
-
月齢
0.1
-
BI
10.5
釣行当日の気象情報を表示 釣行当日の気象情報を隠す -
芳丸
広島県 広島市 丹那漁港92日前釣行日:2025年12月20日(土)大潮ウマヅラ
(ウマヅラハギ)15~37cm 3~13匹 ウマヅラ初挑戦の方7名他常連様で出船!朝イチ結構な風と波でうーん…もう少し早目に判断するべきでした!すみません。その後ポイントへ入るとウマヅラのご機嫌は斜めのようです。活性の良さそうな所では粘り渋い所は少し釣って離れるの繰り返しになりました。 初挑戦の方々にもちゃんと複数安打出来て良かったです♪帰港が少し遅くなり申し訳なかったです。皆さんまたウマヅラ是非チャレンジしてみて下さい♪本日のご乗船とリリースのご協力ありがとうございました。沖上がり時に皆さん船とバケツ等を綺麗にしていただき感謝です!明日の日曜日は荒天予報の為中止とさせていただきました。
釣行当日の潮汐
400 0 -80 0:00 6:00 12:00 18:00 24:00釣行当日の気象
-
日の出
07:11
日の入
17:03
-
月の出
07:26
月の入
16:54
-
天気
曇りのち一時雨
-
気温
16℃/9℃
-
気圧
1023.6hPa
-
風
北北東
0.5m/s -
波
南南西
0.2m/s -
水温
17.1℃
-
潮
大潮
-
月齢
0.1
-
BI
11.1
釣行当日の気象情報を表示 釣行当日の気象情報を隠す
広島県の人気魚種の釣果情報
- 広島県×マダイ
- 広島県×ブリ
- 広島県×マアジ
- 広島県×カサゴ
- 広島県×イサキ
- 広島県×ヒラメ
- 広島県×ヒラマサ
- 広島県×メバル
- 広島県×スズキ
- 広島県×サワラ
- 広島県×キジハタ
- 広島県×カンパチ
- 広島県×アオリイカ
- 広島県×タチウオ
- 広島県×マハタ
- 広島県×クロダイ
- 広島県×カワハギ
- 広島県×シロギス
- 広島県×マダコ
- 広島県×ショウサイフグ
- 広島県×マゴチ
- 広島県×ホウボウ
- 広島県×アラ
- 広島県×メジナ
- 広島県×シイラ
- 広島県×メバチ
- 広島県×ウッカリカサゴ
- 広島県×ウマヅラハギ
- 広島県×クログチ
- 広島県×クエ
- 広島県×トラフグ
- 広島県×コウイカ
- 広島県×マサバ
- 広島県×アカカマス
- 広島県×オニオコゼ
各都道府県の人気魚種の釣果情報
- 岩手県×スルメイカ
- 岩手県×マダラ
- 岩手県×マコガレイ
- 岩手県×ブリ
- 岩手県×アイナメ
- 宮城県×ヒラメ
- 宮城県×マアジ
- 宮城県×アイナメ
- 宮城県×マコガレイ
- 宮城県×ブリ
- 福島県×マダイ
- 福島県×ヒラメ
- 福島県×チダイ
- 福島県×メバル
- 福島県×アイナメ
- 茨城県×マダイ
- 茨城県×ヒラメ
- 茨城県×ブリ
- 茨城県×マダコ
- 茨城県×カサゴ
- 埼玉県×サワラ
- 埼玉県×タチウオ
- 埼玉県×マダイ
- 埼玉県×ブリ
- 埼玉県×マアジ
- 千葉県×マダイ
- 千葉県×ヒラメ
- 千葉県×マアジ
- 千葉県×イサキ
- 千葉県×カサゴ
- 東京都×マアジ
- 東京都×タチウオ
- 東京都×シロギス
- 東京都×マダコ
- 東京都×スズキ
- 神奈川県×マアジ
- 神奈川県×マダイ
- 神奈川県×タチウオ
- 神奈川県×ブリ
- 神奈川県×アカアマダイ
- 新潟県×マダイ
- 新潟県×ブリ
- 新潟県×マアジ
- 新潟県×ゴマサバ
- 新潟県×キダイ
- 富山県×アオリイカ
- 富山県×マダイ
- 富山県×ブリ
- 富山県×キジハタ
- 富山県×カサゴ
- 石川県×ブリ
- 石川県×マダイ
- 石川県×キジハタ
- 石川県×マアジ
- 石川県×ウッカリカサゴ
- 福井県×ケンサキイカ
- 福井県×マダイ
- 福井県×アオリイカ
- 福井県×スルメイカ
- 福井県×マアジ
- 静岡県×マダイ
- 静岡県×マアジ
- 静岡県×イサキ
- 静岡県×タチウオ
- 静岡県×アカアマダイ
- 愛知県×ブリ
- 愛知県×マダイ
- 愛知県×タチウオ
- 愛知県×ホウボウ
- 愛知県×ヒラメ
- 三重県×ブリ
- 三重県×マダイ
- 三重県×ヒラメ
- 三重県×カサゴ
- 三重県×アカアマダイ
- 京都府×ケンサキイカ
- 京都府×ブリ
- 京都府×マダイ
- 京都府×スルメイカ
- 京都府×アオリイカ
- 大阪府×マダイ
- 大阪府×ブリ
- 大阪府×サワラ
- 大阪府×スズキ
- 大阪府×タチウオ
- 兵庫県×ブリ
- 兵庫県×マダイ
- 兵庫県×マダコ
- 兵庫県×サワラ
- 兵庫県×タチウオ
- 和歌山県×マダイ
- 和歌山県×ブリ
- 和歌山県×マアジ
- 和歌山県×イサキ
- 和歌山県×シロアマダイ
- 鳥取県×ケンサキイカ
- 鳥取県×アオリイカ
- 鳥取県×スルメイカ
- 鳥取県×アオハタ
- 鳥取県×マダイ
- 島根県×ケンサキイカ
- 島根県×スルメイカ
- 島根県×ゴマサバ
- 島根県×マアジ
- 島根県×コウイカ
- 岡山県×スズキ
- 岡山県×ヒラメ
- 岡山県×マダイ
- 岡山県×キジハタ
- 岡山県×クロダイ
- 広島県×マダイ
- 広島県×キジハタ
- 広島県×ブリ
- 広島県×サワラ
- 広島県×シロギス
- 山口県×ケンサキイカ
- 山口県×アオリイカ
- 山口県×キジハタ
- 山口県×マダイ
- 山口県×ブリ
- 徳島県×ブリ
- 徳島県×マアジ
- 徳島県×イサキ
- 徳島県×チダイ
- 徳島県×キダイ
- 香川県×マダイ
- 香川県×アオリイカ
- 香川県×キジハタ
- 香川県×クロダイ
- 香川県×シロギス
- 愛媛県×マダイ
- 愛媛県×ブリ
- 愛媛県×キジハタ
- 愛媛県×タチウオ
- 愛媛県×サワラ
- 高知県×カンパチ
- 高知県×イサキ
- 高知県×マアジ
- 高知県×マダイ
- 高知県×アカアマダイ
- 福岡県×マダイ
- 福岡県×ヤリイカ
- 福岡県×ケンサキイカ
- 福岡県×ヒラマサ
- 福岡県×ブリ
- 佐賀県×ヒラマサ
- 佐賀県×アカアマダイ
- 佐賀県×マダイ
- 佐賀県×サワラ
- 佐賀県×アオリイカ
- 長崎県×マダイ
- 長崎県×キジハタ
- 長崎県×オオモンハタ
- 長崎県×アオハタ
- 長崎県×ブリ
- 熊本県×マダイ
- 熊本県×キジハタ
- 熊本県×ヒラメ
- 熊本県×カサゴ
- 熊本県×メバル
- 鹿児島県×カンパチ
- 鹿児島県×アカハタ
- 鹿児島県×オオモンハタ
- 鹿児島県×マダイ
- 鹿児島県×ケンサキイカ
- 沖縄県×スジアラ
- 沖縄県×キハダ
- 沖縄県×バラハタ
- 沖縄県×タカサゴ
- 沖縄県×ハマフエフキ








































ウマヅラ出船! 高活性のポイントもありました。アタリがない(アタリはあったはずですが笑)ので上げるとエサが全てなくなってる!なんて事が多くあったようです。竿頭はウマヅラ釣りを始めて2シーズン目の高橋さん!更に良型の真鯛も追加!腕を上げましたね♪枚数も自己記録更新!おめでとうございます☆ウマヅラはまだ楽しめるようです。本日のご乗船ありがとうございました。写真は帰港後にお二人だけ協力していただきました!感謝