-
LITTLE ONE
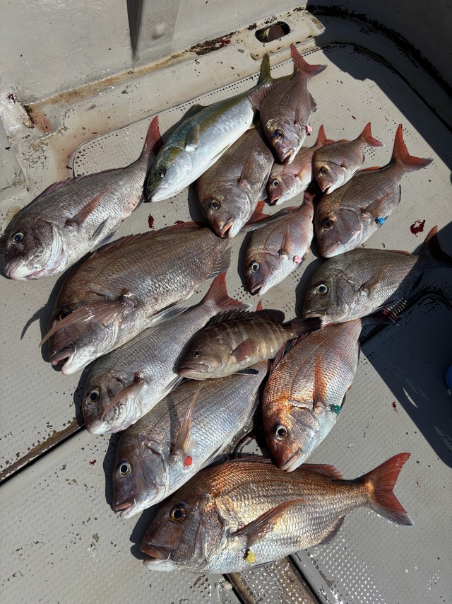
福岡県 大牟田市 三池港161日前釣行日:2025年7月1日(火)小潮マダイ
アジ アコウ アラカブ 釣行当日の潮汐
600 0 -120 0:00 6:00 12:00 18:00 24:00釣行当日の気象
-
日の出
05:13
日の入
19:31
-
月の出
10:54
月の入
23:27
-
天気
晴れ時々曇り
-
気温
37℃/26℃
-
気圧
1014.9hPa
-
風
南
1.4m/s -
波
南
0.2m/s -
水温
28.3℃
-
潮
小潮
-
月齢
5.7
-
BI
7.3
釣行当日の気象情報を表示 釣行当日の気象情報を隠す -
木鶏丸
福岡県 福岡市 姪浜漁港161日前釣行日:2025年7月1日(火)小潮マダイ
20~50cm 1~9匹 今日は真鯛ポイントへ出船しました。潮流のせいか、大鯛上がりませんでしたが、釣る人9枚でした。他にアラカブ、アコウ等でした。明日も出船!脂ののった真鯛釣りよろしくお願いします。
釣行当日の潮汐
200 0 -40 0:00 6:00 12:00 18:00 24:00釣行当日の気象
-
日の出
05:11
日の入
19:33
-
月の出
10:54
月の入
23:27
-
天気
晴れ
-
気温
32℃/26℃
-
気圧
1014.6hPa
-
風
南西
0.5m/s -
波
西北西
0.2m/s -
水温
25.4℃
-
潮
小潮
-
月齢
5.7
-
BI
7.3
釣行当日の気象情報を表示 釣行当日の気象情報を隠す -
FREEDOM
長崎県 長崎市 新長崎漁港162日前釣行日:2025年6月30日(月)中潮マダイ
イサキ オオモンハタ キジハタ 江ノ島SLJタイラバ便。
釣行当日の潮汐
400 0 -80 0:00 6:00 12:00 18:00 24:00釣行当日の気象
-
日の出
05:15
日の入
19:32
-
月の出
09:58
月の入
23:04
-
天気
晴れ
-
気温
33℃/24℃
-
気圧
1012.4hPa
-
風
南西
0.6m/s -
波
南西
0.2m/s -
水温
26.8℃
-
潮
中潮
-
月齢
4.7
-
BI
8.1
釣行当日の気象情報を表示 釣行当日の気象情報を隠す -
LITTLE ONE
福岡県 大牟田市 三池港162日前釣行日:2025年6月30日(月)中潮マダイ
アラカブ アコウ イラ 本日根魚真鯛で出船!朝からキャンセルの為、出船人数未達でしたがご家族ですごく楽しみにしてきてもらっていたので出船しました。色々釣れて楽しかったと喜んでもらえました♪
釣行当日の潮汐
600 0 -120 0:00 6:00 12:00 18:00 24:00釣行当日の気象
-
日の出
05:12
日の入
19:31
-
月の出
09:56
月の入
23:02
-
天気
晴れ後時々曇り
-
気温
36℃/25℃
-
気圧
1012.2hPa
-
風
南
1.2m/s -
波
南
0.2m/s -
水温
28.2℃
-
潮
中潮
-
月齢
4.7
-
BI
7.4
釣行当日の気象情報を表示 釣行当日の気象情報を隠す -
Gate
福岡県 福岡市 姪浜漁港163日前釣行日:2025年6月29日(日)中潮タイ
(マダイ)イサキ アコウ イトヨリ ブリ ヨコスジフエダイ 2便目SLJ&鯛ラバ。 潮早く、ずっと2枚潮で釣りづらさはありましたが、色々とポイント回り何かしら釣れてました。
釣行当日の潮汐
200 0 -40 0:00 6:00 12:00 18:00 24:00釣行当日の気象
-
日の出
05:11
日の入
19:33
-
月の出
08:53
月の入
22:35
-
天気
晴れ
-
気温
32℃/25℃
-
気圧
1009.6hPa
-
風
北西
0.4m/s -
波
西北西
0.2m/s -
水温
25.0℃
-
潮
中潮
-
月齢
3.7
-
BI
7.9
釣行当日の気象情報を表示 釣行当日の気象情報を隠す -
FREEDOM
長崎県 長崎市 新長崎漁港163日前釣行日:2025年6月29日(日)中潮マダイ
アオハタ キジハタ オオモンハタ イサキ ウッカリカサゴ 江ノ島SLJタイラバ便。
釣行当日の潮汐
400 0 -80 0:00 6:00 12:00 18:00 24:00釣行当日の気象
-
日の出
05:15
日の入
19:32
-
月の出
08:56
月の入
22:36
-
天気
晴れ
-
気温
32℃/24℃
-
気圧
1009.9hPa
-
風
北西
0.5m/s -
波
南西
0.2m/s -
水温
26.5℃
-
潮
中潮
-
月齢
3.7
-
BI
9.0
釣行当日の気象情報を表示 釣行当日の気象情報を隠す -
昌富丸
福岡県 宗像市 鐘崎漁港163日前釣行日:2025年6月29日(日)中潮マダイ
イサキ イカ イサキ夜イカリレー。イサキ中大型20匹前後、今日も良い天気でした。
釣行当日の潮汐
200 0 -40 0:00 6:00 12:00 18:00 24:00釣行当日の気象
-
日の出
05:09
日の入
19:32
-
月の出
08:51
月の入
22:35
-
天気
晴れ
-
気温
32℃/25℃
-
気圧
1009.9hPa
-
風
西南西
1.5m/s -
波
北北西
0.2m/s -
水温
25.0℃
-
潮
中潮
-
月齢
3.7
-
BI
7.9
釣行当日の気象情報を表示 釣行当日の気象情報を隠す -
白鷹
福岡県 福津市 津屋崎漁港163日前釣行日:2025年6月29日(日)中潮マダイ
30~75cm 0~2匹 ヤリイカ 15~40cm 6~20匹 キジハタ 30~40cm 0~1匹 ヤリイカが不調タイラバはまあまあでした。
釣行当日の潮汐
200 0 -40 0:00 6:00 12:00 18:00 24:00釣行当日の気象
-
日の出
05:10
日の入
19:32
-
月の出
08:52
月の入
22:35
-
天気
晴れ
-
気温
32℃/25℃
-
気圧
1009.9hPa
-
風
西北西
1.1m/s -
波
西
0.2m/s -
水温
25.0℃
-
潮
中潮
-
月齢
3.7
-
BI
8.0
釣行当日の気象情報を表示 釣行当日の気象情報を隠す -
LITTLE ONE
福岡県 大牟田市 三池港163日前釣行日:2025年6月29日(日)中潮マダイ
アジ アコウ 本日2号はアジと根魚真鯛リレー、1号船は組合総会の為休船となりました。アジは相変わらずよく釣れてます!鯛も今日は良型アコウがよく上がった印象でした!
釣行当日の潮汐
600 0 -120 0:00 6:00 12:00 18:00 24:00釣行当日の気象
-
日の出
05:12
日の入
19:31
-
月の出
08:54
月の入
22:34
-
天気
晴れ
-
気温
37℃/25℃
-
気圧
1009.8hPa
-
風
西南西
0.5m/s -
波
西
0.2m/s -
水温
27.8℃
-
潮
中潮
-
月齢
3.7
-
BI
7.9
釣行当日の気象情報を表示 釣行当日の気象情報を隠す -
木鶏丸
福岡県 福岡市 姪浜漁港163日前釣行日:2025年6月29日(日)中潮マダイ
30~75cm 0~3匹 夏の真鯛&大型底物絶好調!今日も沖ノ島ポイント出船しました。朝から大型の底物や大鯛も上がりました。昨日は最後の流しまで真鯛ポイント流しましたが、今日は後半アマダイポイントを流すと大型のアマダイがよく上がりました。7月の沖ノ島ポイント出船は7/19~7/27日曜日まで出船予定しています。真夏の大物釣りよろしくお願いします。
釣行当日の潮汐
200 0 -40 0:00 6:00 12:00 18:00 24:00釣行当日の気象
-
日の出
05:11
日の入
19:33
-
月の出
08:53
月の入
22:35
-
天気
晴れ
-
気温
32℃/25℃
-
気圧
1009.6hPa
-
風
北西
0.4m/s -
波
西北西
0.2m/s -
水温
25.0℃
-
潮
中潮
-
月齢
3.7
-
BI
7.9
釣行当日の気象情報を表示 釣行当日の気象情報を隠す -
広信丸
熊本県 天草市 佐伊津港164日前釣行日:2025年6月28日(土)中潮マダイ
最大1.80kg コロダイ 3.00kg イラ カサゴ 真鯛1.8キロから1キロ5枚、中小鯛30枚、コロ鯛3キロ1枚、イラ、カサゴなど多数などが釣れました。
釣行当日の潮汐
400 0 -80 0:00 6:00 12:00 18:00 24:00釣行当日の気象
-
日の出
05:14
日の入
19:31
-
月の出
07:49
月の入
22:03
-
天気
晴れ
-
気温
32℃/25℃
-
気圧
1009.8hPa
-
風
西
1.3m/s -
波
西南西
0.2m/s -
水温
26.1℃
-
潮
中潮
-
月齢
2.7
-
BI
8.8
釣行当日の気象情報を表示 釣行当日の気象情報を隠す -
LITTLE ONE
福岡県 大牟田市 三池港164日前釣行日:2025年6月28日(土)中潮マダイ
アコウ アラカブ 今日は根魚真鯛!真鯛が数釣りでよく釣れました。お客さんも良く当たりがあって楽しんでもらえました。。食べ頃サイズが多めですが、半数はお一人8-12枚程度と大漁でした。
釣行当日の潮汐
600 0 -120 0:00 6:00 12:00 18:00 24:00釣行当日の気象
-
日の出
05:12
日の入
19:31
-
月の出
07:47
月の入
22:03
-
天気
晴れ
-
気温
34℃/25℃
-
気圧
1009.6hPa
-
風
南南西
1.2m/s -
波
南
0.2m/s -
水温
27.3℃
-
潮
中潮
-
月齢
2.7
-
BI
8.3
釣行当日の気象情報を表示 釣行当日の気象情報を隠す -
FREEDOM
長崎県 長崎市 新長崎漁港164日前釣行日:2025年6月28日(土)中潮マダイ
イサキ ヒラゴ オオモンハタ アオハタ キジハタ 江ノ島SLJタイラバ便。
釣行当日の潮汐
400 0 -80 0:00 6:00 12:00 18:00 24:00釣行当日の気象
-
日の出
05:15
日の入
19:32
-
月の出
07:50
月の入
22:05
-
天気
晴れ
-
気温
31℃/25℃
-
気圧
1009.7hPa
-
風
西南西
1.1m/s -
波
南西
0.2m/s -
水温
26.1℃
-
潮
中潮
-
月齢
2.7
-
BI
9.0
釣行当日の気象情報を表示 釣行当日の気象情報を隠す -
木鶏丸
福岡県 福岡市 姪浜漁港164日前釣行日:2025年6月28日(土)中潮マダイ
30~70cm 0~8匹 沖ノ島大漁!大漁!朝の1流し目から大型のアコウにボッコ、アオナ、アマダイ等が船上を賑あわせました。2流し目からは真鯛ポイントを流すと5キロ、4キロ、3キロと大鯛も顔を見せ大型のタカバも上がり、今日は釣る人クーラー2つに満タンほとんどの方もクーラー満タンとなりました!7月の沖ノ島ポイント出船は19~27日を予定していますので、夏の大鯛、大型底物釣りよろしくお願いします。
釣行当日の潮汐
400 0 -80 0:00 6:00 12:00 18:00 24:00釣行当日の気象
-
日の出
05:10
日の入
19:33
-
月の出
07:46
月の入
22:04
-
天気
晴れ
-
気温
32℃/25℃
-
気圧
1009.3hPa
-
風
西
0.9m/s -
波
北西
0.2m/s -
水温
24.7℃
-
潮
中潮
-
月齢
2.7
-
BI
7.4
釣行当日の気象情報を表示 釣行当日の気象情報を隠す -
白鷹
福岡県 福津市 津屋崎漁港164日前釣行日:2025年6月28日(土)中潮マダイ
25~75cm 1~3匹 ヤリイカ 15~30cm 10~25匹 キジハタ 35~45cm 0~2匹 昼イカは渋かったですが、残り1時間でのタイラバは爆釣でした。
釣行当日の潮汐
200 0 -40 0:00 6:00 12:00 18:00 24:00釣行当日の気象
-
日の出
05:09
日の入
19:32
-
月の出
07:45
月の入
22:04
-
天気
晴れ
-
気温
32℃/25℃
-
気圧
1009.4hPa
-
風
西
2.0m/s -
波
北西
0.2m/s -
水温
24.7℃
-
潮
中潮
-
月齢
2.7
-
BI
7.6
釣行当日の気象情報を表示 釣行当日の気象情報を隠す
九州・沖縄の人気魚種の釣果情報
- 九州・沖縄×マダイ
- 九州・沖縄×ブリ
- 九州・沖縄×マアジ
- 九州・沖縄×ヒラメ
- 九州・沖縄×アカアマダイ
- 九州・沖縄×カサゴ
- 九州・沖縄×カワハギ
- 九州・沖縄×タチウオ
- 九州・沖縄×ヒラマサ
- 九州・沖縄×ゴマサバ
- 九州・沖縄×サワラ
- 九州・沖縄×イサキ
- 九州・沖縄×カンパチ
- 九州・沖縄×スズキ
- 九州・沖縄×キジハタ
- 九州・沖縄×アオリイカ
- 九州・沖縄×マハタ
- 九州・沖縄×オニカサゴ
- 九州・沖縄×クロムツ
- 九州・沖縄×メバル
- 九州・沖縄×ヤリイカ
- 九州・沖縄×アカムツ
- 九州・沖縄×チダイ
- 九州・沖縄×アオハタ
- 九州・沖縄×クロダイ
- 九州・沖縄×マダコ
- 九州・沖縄×アカハタ
- 九州・沖縄×シロギス
- 九州・沖縄×ショウサイフグ
- 九州・沖縄×キダイ
- 九州・沖縄×シロアマダイ
- 九州・沖縄×スルメイカ
- 九州・沖縄×キンメダイ
- 九州・沖縄×キハダ
- 九州・沖縄×マゴチ
- 九州・沖縄×ホウボウ
- 九州・沖縄×イトヨリダイ
- 九州・沖縄×メダイ
- 九州・沖縄×カツオ
- 九州・沖縄×アラ
- 九州・沖縄×オオモンハタ
- 九州・沖縄×クロソイ
- 九州・沖縄×メジナ
- 九州・沖縄×ケンサキイカ
- 九州・沖縄×チカメキントキ
- 九州・沖縄×シイラ
- 九州・沖縄×シマアジ
- 九州・沖縄×ウマヅラハギ
- 九州・沖縄×ウスメバル
- 九州・沖縄×ウッカリカサゴ
- 九州・沖縄×スジアラ
- 九州・沖縄×アイナメ
- 九州・沖縄×イシダイ
- 九州・沖縄×クエ
- 九州・沖縄×ユメカサゴ
- 九州・沖縄×アカイサキ
- 九州・沖縄×クロマグロ
- 九州・沖縄×フエフキダイ
- 九州・沖縄×メイチダイ
- 九州・沖縄×カミナリイカ
- 九州・沖縄×ハガツオ
- 九州・沖縄×ムツ
- 九州・沖縄×ロウニンアジ
- 九州・沖縄×アヤメカサゴ
- 九州・沖縄×ホウキハタ
- 九州・沖縄×ハマフエフキ
- 九州・沖縄×シロサバフグ
- 九州・沖縄×ハチビキ
- 九州・沖縄×クロメジナ
- 九州・沖縄×ヒメダイ
- 九州・沖縄×コロダイ
- 九州・沖縄×マサバ
- 九州・沖縄×アカカマス
- 九州・沖縄×アカヤガラ
- 九州・沖縄×カナガシラ
- 九州・沖縄×オニオコゼ
- 九州・沖縄×クロアナゴ
- 九州・沖縄×マトウダイ
- 九州・沖縄×スマ
- 九州・沖縄×ウメイロ
- 九州・沖縄×オオクチイシナギ
- 九州・沖縄×シマフグ
- 九州・沖縄×カマスサワラ
- 九州・沖縄×シロダイ
- 九州・沖縄×キュウセン
- 九州・沖縄×Array
各都道府県の人気魚種の釣果情報
- 岩手県×マダラ
- 岩手県×スルメイカ
- 岩手県×ケンサキイカ
- 岩手県×マコガレイ
- 岩手県×ブリ
- 宮城県×ヒラメ
- 宮城県×マアジ
- 宮城県×アイナメ
- 宮城県×マコガレイ
- 宮城県×メバル
- 福島県×マダイ
- 福島県×ヒラメ
- 福島県×メバル
- 福島県×チダイ
- 福島県×アイナメ
- 茨城県×マダイ
- 茨城県×ヒラメ
- 茨城県×ブリ
- 茨城県×マダコ
- 茨城県×カサゴ
- 埼玉県×サワラ
- 埼玉県×タチウオ
- 埼玉県×マダイ
- 埼玉県×ホウボウ
- 埼玉県×ブリ
- 千葉県×マダイ
- 千葉県×ヒラメ
- 千葉県×マアジ
- 千葉県×イサキ
- 千葉県×マハタ
- 東京都×マアジ
- 東京都×タチウオ
- 東京都×シロギス
- 東京都×マダコ
- 東京都×スズキ
- 神奈川県×マアジ
- 神奈川県×マダイ
- 神奈川県×タチウオ
- 神奈川県×アカアマダイ
- 神奈川県×ブリ
- 新潟県×マダイ
- 新潟県×マアジ
- 新潟県×ゴマサバ
- 新潟県×ブリ
- 新潟県×キダイ
- 富山県×アオリイカ
- 富山県×マダイ
- 富山県×キジハタ
- 富山県×カサゴ
- 富山県×アオハタ
- 石川県×ブリ
- 石川県×キジハタ
- 石川県×マダイ
- 石川県×マアジ
- 石川県×ウッカリカサゴ
- 福井県×ケンサキイカ
- 福井県×マダイ
- 福井県×アオリイカ
- 福井県×スルメイカ
- 福井県×マアジ
- 静岡県×マダイ
- 静岡県×マアジ
- 静岡県×イサキ
- 静岡県×タチウオ
- 静岡県×アカアマダイ
- 愛知県×ブリ
- 愛知県×マダイ
- 愛知県×タチウオ
- 愛知県×ヒラメ
- 愛知県×シロサバフグ
- 三重県×ブリ
- 三重県×マダイ
- 三重県×ヒラメ
- 三重県×カサゴ
- 三重県×サワラ
- 京都府×ケンサキイカ
- 京都府×ブリ
- 京都府×マダイ
- 京都府×スルメイカ
- 京都府×アオリイカ
- 大阪府×ブリ
- 大阪府×マダイ
- 大阪府×スズキ
- 大阪府×サワラ
- 大阪府×カサゴ
- 兵庫県×ブリ
- 兵庫県×マダイ
- 兵庫県×マダコ
- 兵庫県×サワラ
- 兵庫県×タチウオ
- 和歌山県×マダイ
- 和歌山県×ブリ
- 和歌山県×マアジ
- 和歌山県×イサキ
- 和歌山県×シロアマダイ
- 鳥取県×ケンサキイカ
- 鳥取県×アオリイカ
- 鳥取県×スルメイカ
- 鳥取県×アオハタ
- 鳥取県×カサゴ
- 島根県×ケンサキイカ
- 島根県×スルメイカ
- 島根県×ゴマサバ
- 島根県×マアジ
- 島根県×コウイカ
- 岡山県×スズキ
- 岡山県×マダイ
- 岡山県×クロダイ
- 岡山県×キジハタ
- 岡山県×ヒラメ
- 広島県×マダイ
- 広島県×ブリ
- 広島県×キジハタ
- 広島県×サワラ
- 広島県×シロギス
- 山口県×ケンサキイカ
- 山口県×キジハタ
- 山口県×アオリイカ
- 山口県×マダイ
- 山口県×ヒラマサ
- 徳島県×ブリ
- 徳島県×マアジ
- 徳島県×カンパチ
- 徳島県×チダイ
- 徳島県×イサキ
- 香川県×マダイ
- 香川県×アオリイカ
- 香川県×シロギス
- 香川県×ヒラメ
- 香川県×クロダイ
- 愛媛県×マダイ
- 愛媛県×ブリ
- 愛媛県×キジハタ
- 愛媛県×カサゴ
- 愛媛県×マアジ
- 高知県×カンパチ
- 高知県×イサキ
- 高知県×マアジ
- 高知県×マダイ
- 高知県×チダイ
- 福岡県×マダイ
- 福岡県×ヤリイカ
- 福岡県×ケンサキイカ
- 福岡県×ブリ
- 福岡県×ヒラマサ
- 佐賀県×サワラ
- 佐賀県×ブリ
- 佐賀県×アオリイカ
- 佐賀県×アカアマダイ
- 佐賀県×マアジ
- 長崎県×マダイ
- 長崎県×キジハタ
- 長崎県×オオモンハタ
- 長崎県×ブリ
- 長崎県×ヒラマサ
- 熊本県×マダイ
- 熊本県×タチウオ
- 熊本県×キジハタ
- 熊本県×カサゴ
- 熊本県×ヒラメ
- 鹿児島県×カンパチ
- 鹿児島県×オオモンハタ
- 鹿児島県×アカハタ
- 鹿児島県×マダイ
- 鹿児島県×カワハギ
- 沖縄県×スジアラ
- 沖縄県×キハダ
- 沖縄県×タカサゴ
- 沖縄県×バラハタ
- 沖縄県×クエ









































アジと根魚真鯛のリレーで出船、アジは笑える程釣れました(笑)