-
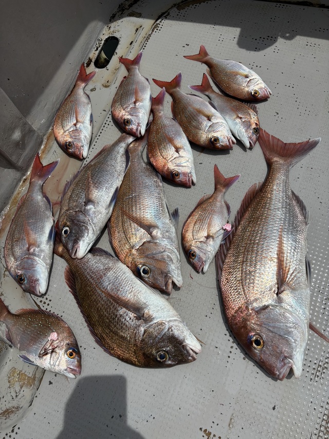
海正丸
福岡県 宗像市 神湊港165日前釣行日:2025年6月27日(金)中潮マダイ
アコウ イサキ カサゴ 釣行当日の潮汐
200 0 -40 0:00 6:00 12:00 18:00 24:00釣行当日の気象
-
日の出
05:09
日の入
19:32
-
月の出
06:35
月の入
21:27
-
天気
晴れ
-
気温
31℃/24℃
-
気圧
1010.1hPa
-
風
西南西
5.1m/s -
波
西北西
0.4m/s -
水温
24.3℃
-
潮
中潮
-
月齢
1.7
-
BI
7.5
釣行当日の気象情報を表示 釣行当日の気象情報を隠す -
FREEDOM
長崎県 長崎市 新長崎漁港165日前釣行日:2025年6月27日(金)中潮マダイ
アカハタ イサキ オオモンハタ メバル キジハタ 江ノ島SLJタイラバ便。
釣行当日の潮汐
400 0 -80 0:00 6:00 12:00 18:00 24:00釣行当日の気象
-
日の出
05:14
日の入
19:32
-
月の出
06:41
月の入
21:27
-
天気
晴れ
-
気温
29℃/23℃
-
気圧
1010.3hPa
-
風
西
1.7m/s -
波
南西
0.2m/s -
水温
25.7℃
-
潮
中潮
-
月齢
1.7
-
BI
9.5
釣行当日の気象情報を表示 釣行当日の気象情報を隠す -
木鶏丸
福岡県 福岡市 姪浜漁港165日前釣行日:2025年6月27日(金)中潮マダイ
25~65cm 2~12匹 沖ノ島出船予定でしたが、朝風が残っていたので、真鯛ポイントへ出船しました。先日同様潮が悪いため真鯛を釣るにはコツがいります。今日も釣り方をお客様に伝授すると、バラしは多いが、真鯛がポイントポイントで上がり途中4キロ、3キロと大鯛も顔を見せました。今日も釣り人により差が出ましたが、みなさん真鯛のお土産ゲットとなりました。来週火曜日、水曜日は今日のポイントへ出船しますので、とても美味しい夏の真鯛釣りよろしくお願いします。
釣行当日の潮汐
400 0 -80 0:00 6:00 12:00 18:00 24:00釣行当日の気象
-
日の出
05:10
日の入
19:33
-
月の出
06:36
月の入
21:27
-
天気
晴れ
-
気温
31℃/24℃
-
気圧
1009.9hPa
-
風
西南西
1.2m/s -
波
西北西
0.2m/s -
水温
24.3℃
-
潮
中潮
-
月齢
1.7
-
BI
8.0
釣行当日の気象情報を表示 釣行当日の気象情報を隠す -
木鶏丸
福岡県 福岡市 姪浜漁港168日前釣行日:2025年6月24日(火)大潮マダイ
20~65cm 1~8匹 今日は雨時化予報でしたので、真鯛ポイントへ出船しました。船長もビシヨマを出して1流し目先日までとは、潮流が違い釣り方をお客様に伝授すると、真鯛がポツポツ上がり始め3キロクラスの大鯛も上がりました。今日は釣り方が難しく船長もバラし多数でしたが、美味しい真鯛皆様、ゲットとなりました!
釣行当日の潮汐
400 0 -80 0:00 6:00 12:00 18:00 24:00釣行当日の気象
-
日の出
05:09
日の入
19:33
-
月の出
03:21
月の入
18:39
-
天気
雨時々止む
-
気温
28℃/25℃
-
気圧
1009.1hPa
-
風
南
3.1m/s -
波
南
0.2m/s -
水温
23.7℃
-
潮
大潮
-
月齢
28.0
-
BI
9.7
釣行当日の気象情報を表示 釣行当日の気象情報を隠す -
木鶏丸
福岡県 福岡市 姪浜漁港169日前釣行日:2025年6月23日(月)中潮マダイ
30~70cm 1~5匹 今日は沖ノ島出船しました!朝のうちはアコウやボッコ、アマダイ等の大型底物がよく上がりました。途中から4キロクラスの大鯛を頭に真鯛が、よく上がりました。今週は凪なら沖ノ島出船します。空いている日ありますので、よろしくお願いします。
釣行当日の潮汐
200 0 -40 0:00 6:00 12:00 18:00 24:00釣行当日の気象
-
日の出
05:09
日の入
19:33
-
月の出
02:32
月の入
17:26
-
天気
曇り一時雨
-
気温
28℃/22℃
-
気圧
1007.4hPa
-
風
東南東
0.3m/s -
波
西北西
0.2m/s -
水温
23.5℃
-
潮
中潮
-
月齢
27.0
-
BI
7.5
釣行当日の気象情報を表示 釣行当日の気象情報を隠す -
LITTLE ONE
福岡県 大牟田市 三池港170日前釣行日:2025年6月22日(日)中潮マダイ
アジ 【晴れ男・晴れ女に感謝!?】本日まさかの雨降らずに!1号&2号それぞれ白熱のリレー釣行!!ブレイク続出の悔しさもありつつ、アタリ連発の熱い一日に!「ヒット!」「また来た!」の声が止まらない!誰かの竿がずっと曲がっている“途切れない時間”が続き、まさに釣り人冥利に尽きる展開。しかも青物並みに100m近く走られる激アツのヒットも!だがしかし……水面目前でのリーダーブレイクによりキャッチならず。これには「うわぁああ!」と声を上げた悔しすぎる一幕も。
釣行当日の潮汐
600 0 -120 0:00 6:00 12:00 18:00 24:00釣行当日の気象
-
日の出
05:10
日の入
19:31
-
月の出
01:52
月の入
16:09
-
天気
曇りのち一時雨
-
気温
31℃/25℃
-
気圧
1008.0hPa
-
風
南南西
4.1m/s -
波
南
0.2m/s -
水温
25.8℃
-
潮
中潮
-
月齢
26.0
-
BI
7.0
釣行当日の気象情報を表示 釣行当日の気象情報を隠す -
LITTLE ONE
福岡県 大牟田市 三池港171日前釣行日:2025年6月21日(土)若潮マダイ
アコウ アラカブ イラ 今日は根魚真鯛、釣れましたが、なんと無く渋く感じてもう一息欲しいと思ってしまいました。クーラーはみなさん賑わっていたのですが良型が少ない印象でした。
釣行当日の潮汐
600 0 -120 0:00 6:00 12:00 18:00 24:00釣行当日の気象
-
日の出
05:10
日の入
19:31
-
月の出
01:17
月の入
14:56
-
天気
曇り
-
気温
32℃/26℃
-
気圧
1010.8hPa
-
風
南
3.5m/s -
波
南
0.2m/s -
水温
25.7℃
-
潮
若潮
-
月齢
25.0
-
BI
7.5
釣行当日の気象情報を表示 釣行当日の気象情報を隠す -
第二成幸丸
福岡県 宗像市 神湊港171日前釣行日:2025年6月21日(土)若潮マダイ
イカ イサキ イカが釣れました。
釣行当日の潮汐
200 0 -40 0:00 6:00 12:00 18:00 24:00釣行当日の気象
-
日の出
05:07
日の入
19:32
-
月の出
01:15
月の入
14:57
-
天気
曇り
-
気温
32℃/26℃
-
気圧
1009.6hPa
-
風
南南西
6.8m/s -
波
南西
0.4m/s -
水温
23.1℃
-
潮
若潮
-
月齢
25.0
-
BI
7.5
釣行当日の気象情報を表示 釣行当日の気象情報を隠す -
FREEDOM
長崎県 長崎市 新長崎漁港171日前釣行日:2025年6月21日(土)若潮マダイ
クエ イサキ キジハタ オオモンハタ ヨコスジフエダイ 江ノ島SLJタイラバ便。
釣行当日の潮汐
400 0 -80 0:00 6:00 12:00 18:00 24:00釣行当日の気象
-
日の出
05:13
日の入
19:31
-
月の出
01:19
月の入
14:58
-
天気
曇り
-
気温
31℃/25℃
-
気圧
1010.6hPa
-
風
南南西
3.4m/s -
波
南南西
0.7m/s -
水温
24.7℃
-
潮
若潮
-
月齢
25.0
-
BI
8.2
釣行当日の気象情報を表示 釣行当日の気象情報を隠す -
第三蛭子丸
福岡県 宗像市 神湊港172日前釣行日:2025年6月20日(金)長潮マダイ
4.00kg 合計1匹 ヤリイカ 15~50cm 20~50匹 『夜炊イカ』 夕方の夜炊イカは上がりがありましたが、その後潮が止まった為、当たりが悪くなってしまいました(>_
釣行当日の潮汐
200 0 -40 0:00 6:00 12:00 18:00 24:00釣行当日の気象
-
日の出
05:07
日の入
19:31
-
月の出
00:45
月の入
13:47
-
天気
晴れ後時々曇り
-
気温
34℃/24℃
-
気圧
1013.4hPa
-
風
南西
1.8m/s -
波
西南西
0.2m/s -
水温
22.7℃
-
潮
長潮
-
月齢
24.0
-
BI
7.5
釣行当日の気象情報を表示 釣行当日の気象情報を隠す -
木鶏丸
福岡県 福岡市 姪浜漁港172日前釣行日:2025年6月20日(金)長潮マダイ
25~65cm 0~7匹 水曜日出船しましたが、2枚潮で真鯛は口を使わずアラカブやアコウでなんとかお土産確保となりました。今日は1流し目流してみると、潮流良好真鯛がよくあたって来ました。しかし日が昇るにつれあたりが遠くなりアラカブやアコウ等が上がりました。潮次第ですが、先週までの釣果期待しましょう。
釣行当日の潮汐
200 0 -40 0:00 6:00 12:00 18:00 24:00釣行当日の気象
-
日の出
05:08
日の入
19:32
-
月の出
00:46
月の入
13:47
-
天気
晴れ後時々曇り
-
気温
34℃/24℃
-
気圧
1013.2hPa
-
風
南南西
1.8m/s -
波
南西
0.2m/s -
水温
22.9℃
-
潮
長潮
-
月齢
24.0
-
BI
8.1
釣行当日の気象情報を表示 釣行当日の気象情報を隠す -
松丸-岐志漁港-
福岡県 糸島市 岐志漁港173日前釣行日:2025年6月19日(木)小潮マダイ
マハタ アオハタ 根魚は良く当たってますねー!
釣行当日の潮汐
200 0 -40 0:00 6:00 12:00 18:00 24:00釣行当日の気象
-
日の出
05:09
日の入
19:32
-
月の出
00:18
月の入
12:41
-
天気
晴れ後時々曇り
-
気温
32℃/19℃
-
気圧
1015.4hPa
-
風
南南東
0.8m/s -
波
西北西
0.2m/s -
水温
22.7℃
-
潮
小潮
-
月齢
23.0
-
BI
8.3
釣行当日の気象情報を表示 釣行当日の気象情報を隠す -
LITTLE ONE
福岡県 大牟田市 三池港174日前釣行日:2025年6月18日(水)小潮マダイ
アコウ イサキ 本日は根魚真鯛!雨の日から今日は晴天の夏日でした。 魚も夏のパターン、巻き巻きでよく真鯛がヒットしました!大物も混じって盛り上がりました。 サイズも数にも恵まれた1日で皆さん大漁で喜んでもらえました!
釣行当日の潮汐
600 0 -120 0:00 6:00 12:00 18:00 24:00釣行当日の気象
-
日の出
05:09
日の入
19:30
-
月の出
月の入
11:35
-
天気
晴れ
-
気温
34℃/23℃
-
気圧
1013.3hPa
-
風
南
2.6m/s -
波
南
0.2m/s -
水温
24.3℃
-
潮
小潮
-
月齢
22.0
-
BI
7.3
釣行当日の気象情報を表示 釣行当日の気象情報を隠す -
新栄丸 -津屋崎-
福岡県 福津市 津屋崎漁港175日前釣行日:2025年6月17日(火)小潮マダイ
30cm 合計1匹 ヤリイカ 15~40cm 20~60匹 スルメイカ 15~25cm 0~5匹 マルアジ 30~35cm 合計2匹 モンゴウイカ 25~30cm 0~2匹 お疲れ様です! 前半からぱらぱらと釣れました! 後半からは鯖がつき当たりが少し 悪くなりましたがぼちぼちの釣果でした! 本日はありがとうございました! またの乗船お待ちしてます!
釣行当日の潮汐
200 0 -40 0:00 6:00 12:00 18:00 24:00釣行当日の気象
-
日の出
05:07
日の入
19:31
-
月の出
23:49
月の入
10:30
-
天気
晴れ時々曇り
-
気温
33℃/24℃
-
気圧
1008.9hPa
-
風
南
3.2m/s -
波
西
0.4m/s -
水温
22.2℃
-
潮
小潮
-
月齢
21.0
-
BI
7.3
釣行当日の気象情報を表示 釣行当日の気象情報を隠す -
海晃丸
福岡県 福岡市 博多港カモメ広場前176日前釣行日:2025年6月16日(月)中潮マダイ
ケンサキイカ マダイが釣れました。
釣行当日の潮汐
200 0 -40 0:00 6:00 12:00 18:00 24:00釣行当日の気象
-
日の出
05:07
日の入
19:31
-
月の出
23:21
月の入
09:26
-
天気
曇り一時雨
-
気温
31℃/26℃
-
気圧
1002.6hPa
-
風
南南西
4.9m/s -
波
西南西
0.3m/s -
水温
21.3℃
-
潮
中潮
-
月齢
20.0
-
BI
8.0
釣行当日の気象情報を表示 釣行当日の気象情報を隠す
九州・沖縄の人気魚種の釣果情報
- 九州・沖縄×マダイ
- 九州・沖縄×ブリ
- 九州・沖縄×マアジ
- 九州・沖縄×ヒラメ
- 九州・沖縄×アカアマダイ
- 九州・沖縄×カサゴ
- 九州・沖縄×カワハギ
- 九州・沖縄×タチウオ
- 九州・沖縄×ヒラマサ
- 九州・沖縄×ゴマサバ
- 九州・沖縄×サワラ
- 九州・沖縄×イサキ
- 九州・沖縄×カンパチ
- 九州・沖縄×スズキ
- 九州・沖縄×キジハタ
- 九州・沖縄×アオリイカ
- 九州・沖縄×マハタ
- 九州・沖縄×オニカサゴ
- 九州・沖縄×クロムツ
- 九州・沖縄×メバル
- 九州・沖縄×ヤリイカ
- 九州・沖縄×アカムツ
- 九州・沖縄×チダイ
- 九州・沖縄×アオハタ
- 九州・沖縄×クロダイ
- 九州・沖縄×マダコ
- 九州・沖縄×アカハタ
- 九州・沖縄×シロギス
- 九州・沖縄×ショウサイフグ
- 九州・沖縄×キダイ
- 九州・沖縄×シロアマダイ
- 九州・沖縄×スルメイカ
- 九州・沖縄×キンメダイ
- 九州・沖縄×キハダ
- 九州・沖縄×マゴチ
- 九州・沖縄×ホウボウ
- 九州・沖縄×イトヨリダイ
- 九州・沖縄×メダイ
- 九州・沖縄×カツオ
- 九州・沖縄×アラ
- 九州・沖縄×オオモンハタ
- 九州・沖縄×クロソイ
- 九州・沖縄×メジナ
- 九州・沖縄×ケンサキイカ
- 九州・沖縄×チカメキントキ
- 九州・沖縄×シイラ
- 九州・沖縄×シマアジ
- 九州・沖縄×ウマヅラハギ
- 九州・沖縄×ウスメバル
- 九州・沖縄×ウッカリカサゴ
- 九州・沖縄×スジアラ
- 九州・沖縄×アイナメ
- 九州・沖縄×イシダイ
- 九州・沖縄×クエ
- 九州・沖縄×ユメカサゴ
- 九州・沖縄×アカイサキ
- 九州・沖縄×クロマグロ
- 九州・沖縄×フエフキダイ
- 九州・沖縄×メイチダイ
- 九州・沖縄×カミナリイカ
- 九州・沖縄×ハガツオ
- 九州・沖縄×ムツ
- 九州・沖縄×ロウニンアジ
- 九州・沖縄×アヤメカサゴ
- 九州・沖縄×ホウキハタ
- 九州・沖縄×ハマフエフキ
- 九州・沖縄×シロサバフグ
- 九州・沖縄×ハチビキ
- 九州・沖縄×クロメジナ
- 九州・沖縄×ヒメダイ
- 九州・沖縄×コロダイ
- 九州・沖縄×マサバ
- 九州・沖縄×アカカマス
- 九州・沖縄×アカヤガラ
- 九州・沖縄×カナガシラ
- 九州・沖縄×オニオコゼ
- 九州・沖縄×クロアナゴ
- 九州・沖縄×マトウダイ
- 九州・沖縄×スマ
- 九州・沖縄×ウメイロ
- 九州・沖縄×オオクチイシナギ
- 九州・沖縄×シマフグ
- 九州・沖縄×カマスサワラ
- 九州・沖縄×シロダイ
- 九州・沖縄×キュウセン
- 九州・沖縄×Array
各都道府県の人気魚種の釣果情報
- 岩手県×マダラ
- 岩手県×スルメイカ
- 岩手県×ケンサキイカ
- 岩手県×マコガレイ
- 岩手県×ブリ
- 宮城県×ヒラメ
- 宮城県×マアジ
- 宮城県×アイナメ
- 宮城県×マコガレイ
- 宮城県×メバル
- 福島県×マダイ
- 福島県×ヒラメ
- 福島県×メバル
- 福島県×チダイ
- 福島県×アイナメ
- 茨城県×マダイ
- 茨城県×ヒラメ
- 茨城県×ブリ
- 茨城県×マダコ
- 茨城県×カサゴ
- 埼玉県×サワラ
- 埼玉県×タチウオ
- 埼玉県×マダイ
- 埼玉県×ホウボウ
- 埼玉県×ブリ
- 千葉県×マダイ
- 千葉県×ヒラメ
- 千葉県×マアジ
- 千葉県×イサキ
- 千葉県×マハタ
- 東京都×マアジ
- 東京都×タチウオ
- 東京都×シロギス
- 東京都×マダコ
- 東京都×スズキ
- 神奈川県×マアジ
- 神奈川県×マダイ
- 神奈川県×タチウオ
- 神奈川県×アカアマダイ
- 神奈川県×ブリ
- 新潟県×マダイ
- 新潟県×マアジ
- 新潟県×ゴマサバ
- 新潟県×ブリ
- 新潟県×キダイ
- 富山県×アオリイカ
- 富山県×マダイ
- 富山県×キジハタ
- 富山県×カサゴ
- 富山県×アオハタ
- 石川県×ブリ
- 石川県×キジハタ
- 石川県×マダイ
- 石川県×マアジ
- 石川県×ウッカリカサゴ
- 福井県×ケンサキイカ
- 福井県×マダイ
- 福井県×アオリイカ
- 福井県×スルメイカ
- 福井県×マアジ
- 静岡県×マダイ
- 静岡県×マアジ
- 静岡県×イサキ
- 静岡県×タチウオ
- 静岡県×アカアマダイ
- 愛知県×ブリ
- 愛知県×マダイ
- 愛知県×タチウオ
- 愛知県×ヒラメ
- 愛知県×シロサバフグ
- 三重県×ブリ
- 三重県×マダイ
- 三重県×ヒラメ
- 三重県×カサゴ
- 三重県×サワラ
- 京都府×ケンサキイカ
- 京都府×ブリ
- 京都府×マダイ
- 京都府×スルメイカ
- 京都府×アオリイカ
- 大阪府×ブリ
- 大阪府×マダイ
- 大阪府×スズキ
- 大阪府×サワラ
- 大阪府×カサゴ
- 兵庫県×ブリ
- 兵庫県×マダイ
- 兵庫県×マダコ
- 兵庫県×サワラ
- 兵庫県×タチウオ
- 和歌山県×マダイ
- 和歌山県×ブリ
- 和歌山県×マアジ
- 和歌山県×イサキ
- 和歌山県×シロアマダイ
- 鳥取県×ケンサキイカ
- 鳥取県×アオリイカ
- 鳥取県×スルメイカ
- 鳥取県×アオハタ
- 鳥取県×カサゴ
- 島根県×ケンサキイカ
- 島根県×スルメイカ
- 島根県×ゴマサバ
- 島根県×マアジ
- 島根県×コウイカ
- 岡山県×スズキ
- 岡山県×マダイ
- 岡山県×クロダイ
- 岡山県×キジハタ
- 岡山県×ヒラメ
- 広島県×マダイ
- 広島県×ブリ
- 広島県×キジハタ
- 広島県×サワラ
- 広島県×シロギス
- 山口県×ケンサキイカ
- 山口県×キジハタ
- 山口県×アオリイカ
- 山口県×マダイ
- 山口県×ヒラマサ
- 徳島県×ブリ
- 徳島県×マアジ
- 徳島県×カンパチ
- 徳島県×チダイ
- 徳島県×イサキ
- 香川県×マダイ
- 香川県×アオリイカ
- 香川県×シロギス
- 香川県×ヒラメ
- 香川県×クロダイ
- 愛媛県×マダイ
- 愛媛県×ブリ
- 愛媛県×キジハタ
- 愛媛県×カサゴ
- 愛媛県×マアジ
- 高知県×カンパチ
- 高知県×イサキ
- 高知県×マアジ
- 高知県×マダイ
- 高知県×チダイ
- 福岡県×マダイ
- 福岡県×ヤリイカ
- 福岡県×ケンサキイカ
- 福岡県×ブリ
- 福岡県×ヒラマサ
- 佐賀県×サワラ
- 佐賀県×ブリ
- 佐賀県×アオリイカ
- 佐賀県×アカアマダイ
- 佐賀県×マアジ
- 長崎県×マダイ
- 長崎県×キジハタ
- 長崎県×オオモンハタ
- 長崎県×ブリ
- 長崎県×ヒラマサ
- 熊本県×マダイ
- 熊本県×タチウオ
- 熊本県×キジハタ
- 熊本県×カサゴ
- 熊本県×ヒラメ
- 鹿児島県×カンパチ
- 鹿児島県×オオモンハタ
- 鹿児島県×アカハタ
- 鹿児島県×マダイ
- 鹿児島県×カワハギ
- 沖縄県×スジアラ
- 沖縄県×キハダ
- 沖縄県×タカサゴ
- 沖縄県×バラハタ
- 沖縄県×クエ








































タイラバに出港しマダイ、アコウ、イサキ他 いろいろ釣れた。 ありがとうございます。