-
WING
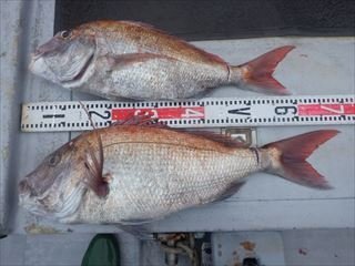
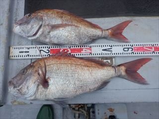
愛知県 知多郡南知多町 大井漁港28日前釣行日:2025年12月17日(水)中潮マダイ
ワラサ ハマチ トラフグ ホウボウ マゴチ 釣行当日の潮汐
200 0 -40 0:00 6:00 12:00 18:00 24:00釣行当日の気象
-
日の出
06:53
日の入
16:44
-
月の出
04:17
月の入
14:20
-
天気
晴れ後一時雨
-
気温
13℃/5℃
-
気圧
1021.7hPa
-
風
北西
2.2m/s -
波
南南東
0.2m/s -
水温
13.4℃
-
潮
中潮
-
月齢
26.8
-
BI
7.2
釣行当日の気象情報を表示 釣行当日の気象情報を隠す -
政宝丸
愛知県 知多郡南知多町 大井漁港28日前釣行日:2025年12月17日(水)中潮マダイ
ワラサ サワラ マゴチ 今日も頑張って来ました。 青物はちょいと苦戦。 ワラサとサワラ! あとはマダイとマゴチ。 全体的にも難しい感じだったような気がします。 ハマチがぼちぼち釣れてましたが、配当無し。 本日はありがとうございました☆ 明日も頑張って来ますね。 まだ空きありますので挑戦者お待ちしてます。
釣行当日の潮汐
200 0 -40 0:00 6:00 12:00 18:00 24:00釣行当日の気象
-
日の出
06:53
日の入
16:44
-
月の出
04:17
月の入
14:20
-
天気
晴れ後一時雨
-
気温
13℃/5℃
-
気圧
1021.7hPa
-
風
北西
2.2m/s -
波
南南東
0.2m/s -
水温
13.4℃
-
潮
中潮
-
月齢
26.8
-
BI
7.2
釣行当日の気象情報を表示 釣行当日の気象情報を隠す -
政宝丸
愛知県 知多郡南知多町 大井漁港37日前釣行日:2025年12月8日(月)中潮マダイ
サワラ ハマチ トラフグ 今日も頑張って来ました。 政宝丸、SORAチャーター便です。 なかなか難しい状況でしたが みなさん頑張って釣ってくれました。 サワラ、ハマチなどなど釣れましたよー! 本日はありがとうございました☆ 写真は政宝丸、SORA合わせた写真です。
釣行当日の潮汐
400 0 -80 0:00 6:00 12:00 18:00 24:00釣行当日の気象
-
日の出
06:46
日の入
16:41
-
月の出
20:10
月の入
10:01
-
天気
曇りのち時々晴れ
-
気温
17℃/5℃
-
気圧
1021.3hPa
-
風
西南西
1.4m/s -
波
南南東
0.2m/s -
水温
14.7℃
-
潮
中潮
-
月齢
17.8
-
BI
9.4
釣行当日の気象情報を表示 釣行当日の気象情報を隠す -
正将丸
愛知県 知多郡南知多町 大井漁港40日前釣行日:2025年12月5日(金)大潮マダイ
ワラサ 最大73cm 合計4匹 行って来ました。 潮が動くようになったよね。 それがイイのかワラサ仕留めてくれたよ。 かかりが浅いのか バレも多くて 困ったちゃんだがね。 こんな感じで ありがとうございました! ワラサ73センチまで4本。 マダイ60センチ。
釣行当日の潮汐
400 0 -80 0:00 6:00 12:00 18:00 24:00釣行当日の気象
-
日の出
06:44
日の入
16:41
-
月の出
16:37
月の入
06:59
-
天気
晴れ時々曇り
-
気温
13℃/5℃
-
気圧
1020.0hPa
-
風
西南西
9.0m/s -
波
西
0.3m/s -
水温
15.1℃
-
潮
大潮
-
月齢
14.8
-
BI
8.3
釣行当日の気象情報を表示 釣行当日の気象情報を隠す -
WING
愛知県 知多郡南知多町 大井漁港46日前釣行日:2025年11月29日(土)長潮マダイ
ワラサ ハマチ トラフグ 今日は行ってきました~ 今日は難しかったです。m(__)m なんとかワラサ2本GETで~ 確認したバラシは2回。(>_<) エントリーマダイとトラフグ2本、ハマチでした~ 横でやってた泳がせは、青物釣れてたみたいなんで~ ルアーへの反応が悪かったみたいですね。 三輪田さんワラサ~ 久米さんもGET!! 山川さんはエントリーマダイGET!! こんな感じでした~ ありがとうございました。m(__)m 明日も頑張ります!!もちろんまだまだめっちゃ空いてます。応援、よろしくお願いします。m(__)m 来週平日も空いてる日しかないので、こちらも、よろしくお願いします。m(__)m
釣行当日の潮汐
200 0 -40 0:00 6:00 12:00 18:00 24:00釣行当日の気象
-
日の出
06:39
日の入
16:42
-
月の出
12:47
月の入
-
天気
晴れ
-
気温
16℃/7℃
-
気圧
1019.8hPa
-
風
北西
6.4m/s -
波
北西
0.2m/s -
水温
16.2℃
-
潮
長潮
-
月齢
8.8
-
BI
7.5
釣行当日の気象情報を表示 釣行当日の気象情報を隠す -
としかず釣船
愛知県 知多郡南知多町 新師崎港49日前釣行日:2025年11月26日(水)小潮マダイ
中西さんメンバーチャーター便・師崎前で一日コンスタントに当たりました。
釣行当日の潮汐
200 0 -40 0:00 6:00 12:00 18:00 24:00釣行当日の気象
-
日の出
06:36
日の入
16:43
-
月の出
11:20
月の入
21:41
-
天気
晴れ
-
気温
17℃/9℃
-
気圧
1016.7hPa
-
風
西北西
9.5m/s -
波
西南西
0.7m/s -
水温
16.4℃
-
潮
小潮
-
月齢
5.8
-
BI
8.8
釣行当日の気象情報を表示 釣行当日の気象情報を隠す -
政宝丸
愛知県 知多郡南知多町 大井漁港50日前釣行日:2025年11月25日(火)中潮マダイ
ワラサ 合計9匹 ブリ 合計1匹 今日も頑張って来ました。 朝は鳥山で青物〜。 バラシもありありでしたが、なんとか。 あとはマダイもね。 雨も降って寒い一日。 みなさん頑張って釣ってくれました。 ありがとうございます。 明日は風が強そうですね。
釣行当日の潮汐
200 0 -40 0:00 6:00 12:00 18:00 24:00釣行当日の気象
-
日の出
06:35
日の入
16:43
-
月の出
10:44
月の入
20:38
-
天気
雨時々止む
-
気温
14℃/10℃
-
気圧
1014.6hPa
-
風
北
3.5m/s -
波
南東
0.2m/s -
水温
16.6℃
-
潮
中潮
-
月齢
4.8
-
BI
9.9
釣行当日の気象情報を表示 釣行当日の気象情報を隠す -
としかず釣船
愛知県 知多郡南知多町 新師崎港51日前釣行日:2025年11月24日(月)中潮マダイ
ハマチ 最新釣果情報。
釣行当日の潮汐
200 0 -40 0:00 6:00 12:00 18:00 24:00釣行当日の気象
-
日の出
06:34
日の入
16:43
-
月の出
10:02
月の入
19:37
-
天気
晴れ時々曇り
-
気温
19℃/8℃
-
気圧
1021.2hPa
-
風
北西
2.8m/s -
波
南東
0.3m/s -
水温
16.7℃
-
潮
中潮
-
月齢
3.8
-
BI
9.1
釣行当日の気象情報を表示 釣行当日の気象情報を隠す -
優誠丸
愛知県 知多郡南知多町 片名漁港53日前釣行日:2025年11月22日(土)中潮マダイ
貯めておいたウタセエビをもって行ってきました! ウタセ真鯛釣り!!! 思いのほか風も吹いていませんでしたので沖のポイントめがけ向かって行きました。 ポイントに到着してぐるぐると反応をみるといい感じで出ていましたので、さっそく錨を下ろし準備をして釣りスタート! だがしかし…… 餌取り(チャリコ)はたくさんいるみたいで下でやるとあっという間に餌を取られてしまう、 だけど、タナを上げるとアタリが無くなる。 ここじゃないのかと思いポイントを変えたりしましたが、どこも同じような感じで反応は出ていて餌は取りは肝心の2才〜3才サイズの真鯛がなかなか釣れず難しい1日でした。
釣行当日の潮汐
200 0 -40 0:00 6:00 12:00 18:00 24:00釣行当日の気象
-
日の出
06:32
日の入
16:44
-
月の出
08:21
月の入
17:46
-
天気
晴れ
-
気温
17℃/8℃
-
気圧
1024.9hPa
-
風
北北西
5.6m/s -
波
北北西
0.2m/s -
水温
16.7℃
-
潮
中潮
-
月齢
1.8
-
BI
7.8
釣行当日の気象情報を表示 釣行当日の気象情報を隠す -
正将丸
愛知県 知多郡南知多町 大井漁港53日前釣行日:2025年11月22日(土)中潮マダイ
45cm ワラサ 70cm シーバス 60cm ヒラメ 60cm ハマチ 45cm ホウボウ なんだかハズしちゃった感ありだけど。 今日もいろいろ仕留めてくれました。 今まではハズシちゃってもタチウオが癒してくれたけど。 それも今は期待できなくてね。 だからこそ朝一のジアイに集中してね。 こんな感じで ありがとうございました! ワラサ70センチ。 マダイ45センチ。 シーバス60センチ。 ヒラメ60センチ。 ハマチ45センチ・ホウボウ。
釣行当日の潮汐
200 0 -40 0:00 6:00 12:00 18:00 24:00釣行当日の気象
-
日の出
06:32
日の入
16:44
-
月の出
08:21
月の入
17:46
-
天気
晴れ
-
気温
17℃/8℃
-
気圧
1024.9hPa
-
風
北北西
5.6m/s -
波
北北西
0.2m/s -
水温
16.7℃
-
潮
中潮
-
月齢
1.8
-
BI
7.9
釣行当日の気象情報を表示 釣行当日の気象情報を隠す -
優誠丸
愛知県 知多郡南知多町 片名漁港54日前釣行日:2025年11月21日(金)大潮マダイ
ヒラメ コチ ハマチ 活きイワシヒラメ・青物狙い。 元気な活きイワシを積んでからポイントへ。 潮がトロトロと流れている間はアタリもあってヒラメやコチにハマチがたまポツで釣れていました! そして今日は大きくて肉厚なヒラメも釣れましたよ!! ここ数日で一気に寒くなってきましたが、これから水温が下がっていくと寒さに耐えるために脂肪を蓄えるようにヒラメも肉厚になりワラサやブリも脂がのってきます!
釣行当日の潮汐
400 0 -80 0:00 6:00 12:00 18:00 24:00釣行当日の気象
-
日の出
06:31
日の入
16:44
-
月の出
07:24
月の入
17:00
-
天気
晴れ時々曇り
-
気温
18℃/7℃
-
気圧
1021.4hPa
-
風
西北西
6.0m/s -
波
南南東
0.2m/s -
水温
16.6℃
-
潮
大潮
-
月齢
0.8
-
BI
8.8
釣行当日の気象情報を表示 釣行当日の気象情報を隠す -
としかず釣船
愛知県 知多郡南知多町 新師崎港54日前釣行日:2025年11月21日(金)大潮マダイ
ハマチ 小宮さんメンバーチャーター便・写真は有ったんですけどデジカメトラブルで出せなくてすみませんでした。
釣行当日の潮汐
200 0 -40 0:00 6:00 12:00 18:00 24:00釣行当日の気象
-
日の出
06:31
日の入
16:45
-
月の出
07:24
月の入
17:00
-
天気
晴れ時々曇り
-
気温
18℃/7℃
-
気圧
1021.4hPa
-
風
西北西
6.0m/s -
波
西
0.4m/s -
水温
16.6℃
-
潮
大潮
-
月齢
0.8
-
BI
8.8
釣行当日の気象情報を表示 釣行当日の気象情報を隠す -
としかず釣船
愛知県 知多郡南知多町 新師崎港56日前釣行日:2025年11月19日(水)大潮マダイ
ハマチ ヒラメ 加藤さんメンバーチャーター便。
釣行当日の潮汐
200 0 -40 0:00 6:00 12:00 18:00 24:00釣行当日の気象
-
日の出
06:29
日の入
16:45
-
月の出
05:25
月の入
15:46
-
天気
晴れ
-
気温
13℃/7℃
-
気圧
1023.2hPa
-
風
北西
5.8m/s -
波
北西
0.4m/s -
水温
16.8℃
-
潮
大潮
-
月齢
28.6
-
BI
8.8
釣行当日の気象情報を表示 釣行当日の気象情報を隠す -
としかず釣船
愛知県 知多郡南知多町 新師崎港58日前釣行日:2025年11月17日(月)中潮マダイ
良型真鯛は入りましたが前日より数が出ませんでした。
釣行当日の潮汐
200 0 -40 0:00 6:00 12:00 18:00 24:00釣行当日の気象
-
日の出
06:27
日の入
16:47
-
月の出
03:29
月の入
14:50
-
天気
晴れ後時々曇り
-
気温
21℃/10℃
-
気圧
1021.9hPa
-
風
北西
2.4m/s -
波
南東
0.3m/s -
水温
17.3℃
-
潮
中潮
-
月齢
26.6
-
BI
7.9
釣行当日の気象情報を表示 釣行当日の気象情報を隠す -
WING
愛知県 知多郡南知多町 大井漁港59日前釣行日:2025年11月16日(日)中潮マダイ
ブリ ワラサ アオリイカ トラフグ キビレ 今日も行ってきました~ 今日は毎月恒例の㈱田牧さんの貸切り便でした~ 朝の青物はひと流しポツポツっと釣れましたが~ その後、船ばっかになったら やっぱり当たり遠のき…(>_<) バレちゃったのもありましたが、ブリ2本とワラサ4本で終了。 タチウオはやんなくていいって事だったんで~ マダイとアオリ狙ってみました。 マダイはなんとか2枚、アオリはなんとか1ハイでした。 大鹿さん、ブリ2本とタイ~ 忠さんはワラサにタイ~ 田牧さんもワラサGET!! 熊さんもワラサ~ 荒井さんもGET!! 兼岩さんアオリGET!! ㈱田牧さんでした~ こんな感じでした~ ありがとうございました。m(__)m 明日も頑張ります!! もちろんめっちゃ空いてます。 応援、よろしくお願いします。m(__)m
釣行当日の潮汐
200 0 -40 0:00 6:00 12:00 18:00 24:00釣行当日の気象
-
日の出
06:26
日の入
16:47
-
月の出
02:33
月の入
14:26
-
天気
晴れ
-
気温
17℃/9℃
-
気圧
1029.0hPa
-
風
北北西
2.9m/s -
波
南東
0.2m/s -
水温
17.4℃
-
潮
中潮
-
月齢
25.6
-
BI
7.5
釣行当日の気象情報を表示 釣行当日の気象情報を隠す
愛知県の人気魚種の釣果情報
- 愛知県×マダイ
- 愛知県×ブリ
- 愛知県×マアジ
- 愛知県×アカアマダイ
- 愛知県×カサゴ
- 愛知県×ヒラメ
- 愛知県×カワハギ
- 愛知県×ゴマサバ
- 愛知県×タチウオ
- 愛知県×ヒラマサ
- 愛知県×イサキ
- 愛知県×サワラ
- 愛知県×スズキ
- 愛知県×キジハタ
- 愛知県×カンパチ
- 愛知県×メバル
- 愛知県×オニカサゴ
- 愛知県×マハタ
- 愛知県×クロムツ
- 愛知県×アオリイカ
- 愛知県×アカムツ
- 愛知県×クロダイ
- 愛知県×チダイ
- 愛知県×アオハタ
- 愛知県×シロギス
- 愛知県×ショウサイフグ
- 愛知県×アカハタ
- 愛知県×シロアマダイ
- 愛知県×マダコ
- 愛知県×キダイ
- 愛知県×マゴチ
- 愛知県×スルメイカ
- 愛知県×ホウボウ
- 愛知県×シログチ
- 愛知県×アラ
- 愛知県×カイワリ
- 愛知県×カツオ
- 愛知県×ケンサキイカ
- 愛知県×メジナ
- 愛知県×クロソイ
- 愛知県×オオモンハタ
- 愛知県×ビンナガ
- 愛知県×ウマヅラハギ
- 愛知県×ウッカリカサゴ
- 愛知県×イシダイ
- 愛知県×クエ
- 愛知県×コウイカ
- 愛知県×フエフキダイ
- 愛知県×アヤメカサゴ
- 愛知県×ホウキハタ
- 愛知県×ムツ
- 愛知県×マサバ
- 愛知県×キチヌ
- 愛知県×ヒラソウダ
- 愛知県×シロサバフグ
- 愛知県×ハマフエフキ
- 愛知県×ヘダイ
- 愛知県×アカヤガラ
- 愛知県×アカカマス
- 愛知県×ヒガンフグ
- 愛知県×キュウセン
- 愛知県×トラフグ
- 愛知県×Array
各都道府県の人気魚種の釣果情報
- 岩手県×スルメイカ
- 岩手県×マダラ
- 岩手県×マコガレイ
- 岩手県×ブリ
- 岩手県×アイナメ
- 宮城県×ヒラメ
- 宮城県×マアジ
- 宮城県×アイナメ
- 宮城県×マコガレイ
- 宮城県×メバル
- 福島県×マダイ
- 福島県×ヒラメ
- 福島県×メバル
- 福島県×チダイ
- 福島県×アイナメ
- 茨城県×マダイ
- 茨城県×ヒラメ
- 茨城県×ブリ
- 茨城県×マダコ
- 茨城県×カサゴ
- 埼玉県×サワラ
- 埼玉県×タチウオ
- 埼玉県×マダイ
- 埼玉県×ホウボウ
- 埼玉県×ブリ
- 千葉県×マダイ
- 千葉県×ヒラメ
- 千葉県×マアジ
- 千葉県×イサキ
- 千葉県×カサゴ
- 東京都×マアジ
- 東京都×タチウオ
- 東京都×シロギス
- 東京都×マダコ
- 東京都×スズキ
- 神奈川県×マアジ
- 神奈川県×マダイ
- 神奈川県×タチウオ
- 神奈川県×アカアマダイ
- 神奈川県×ブリ
- 新潟県×マダイ
- 新潟県×ブリ
- 新潟県×マアジ
- 新潟県×ゴマサバ
- 新潟県×キダイ
- 富山県×アオリイカ
- 富山県×マダイ
- 富山県×キジハタ
- 富山県×カサゴ
- 富山県×アオハタ
- 石川県×ブリ
- 石川県×キジハタ
- 石川県×マダイ
- 石川県×マアジ
- 石川県×ウッカリカサゴ
- 福井県×ケンサキイカ
- 福井県×マダイ
- 福井県×アオリイカ
- 福井県×スルメイカ
- 福井県×マアジ
- 静岡県×マダイ
- 静岡県×マアジ
- 静岡県×イサキ
- 静岡県×タチウオ
- 静岡県×アカアマダイ
- 愛知県×ブリ
- 愛知県×マダイ
- 愛知県×タチウオ
- 愛知県×ヒラメ
- 愛知県×シロサバフグ
- 三重県×ブリ
- 三重県×マダイ
- 三重県×ヒラメ
- 三重県×カサゴ
- 三重県×サワラ
- 京都府×ケンサキイカ
- 京都府×ブリ
- 京都府×マダイ
- 京都府×スルメイカ
- 京都府×アオリイカ
- 大阪府×ブリ
- 大阪府×マダイ
- 大阪府×サワラ
- 大阪府×スズキ
- 大阪府×カサゴ
- 兵庫県×ブリ
- 兵庫県×マダイ
- 兵庫県×マダコ
- 兵庫県×サワラ
- 兵庫県×タチウオ
- 和歌山県×マダイ
- 和歌山県×ブリ
- 和歌山県×マアジ
- 和歌山県×イサキ
- 和歌山県×シロアマダイ
- 鳥取県×ケンサキイカ
- 鳥取県×アオリイカ
- 鳥取県×スルメイカ
- 鳥取県×アオハタ
- 鳥取県×カサゴ
- 島根県×ケンサキイカ
- 島根県×スルメイカ
- 島根県×ゴマサバ
- 島根県×マアジ
- 島根県×コウイカ
- 岡山県×スズキ
- 岡山県×マダイ
- 岡山県×クロダイ
- 岡山県×キジハタ
- 岡山県×ヒラメ
- 広島県×マダイ
- 広島県×ブリ
- 広島県×キジハタ
- 広島県×サワラ
- 広島県×シロギス
- 山口県×ケンサキイカ
- 山口県×アオリイカ
- 山口県×キジハタ
- 山口県×マダイ
- 山口県×ヒラマサ
- 徳島県×ブリ
- 徳島県×マアジ
- 徳島県×カンパチ
- 徳島県×イサキ
- 徳島県×チダイ
- 香川県×マダイ
- 香川県×アオリイカ
- 香川県×シロギス
- 香川県×ヒラメ
- 香川県×クロダイ
- 愛媛県×マダイ
- 愛媛県×ブリ
- 愛媛県×キジハタ
- 愛媛県×タチウオ
- 愛媛県×サワラ
- 高知県×カンパチ
- 高知県×イサキ
- 高知県×マアジ
- 高知県×マダイ
- 高知県×チダイ
- 福岡県×マダイ
- 福岡県×ヤリイカ
- 福岡県×ケンサキイカ
- 福岡県×ブリ
- 福岡県×ヒラマサ
- 佐賀県×ヒラマサ
- 佐賀県×サワラ
- 佐賀県×マダイ
- 佐賀県×アオリイカ
- 佐賀県×アカアマダイ
- 長崎県×マダイ
- 長崎県×キジハタ
- 長崎県×オオモンハタ
- 長崎県×ブリ
- 長崎県×ヒラマサ
- 熊本県×マダイ
- 熊本県×タチウオ
- 熊本県×キジハタ
- 熊本県×ヒラメ
- 熊本県×カサゴ
- 鹿児島県×カンパチ
- 鹿児島県×オオモンハタ
- 鹿児島県×アカハタ
- 鹿児島県×マダイ
- 鹿児島県×カワハギ
- 沖縄県×スジアラ
- 沖縄県×タカサゴ
- 沖縄県×キハダ
- 沖縄県×バラハタ
- 沖縄県×クエ











































今日も行ってきました~ 今日は朝のポツっとジアイにのれず…(T_T) その後、ポツポツっと拾ってもらえ~ 合計5本になりました!! ハマチは今日も顔が見れただけでした。 ホウボウとマゴチはポツらポツらと釣れてくれました!! トラフグは4本、マダイも1枚釣れました!! って事で~ ホウボウやコチに助けられ、完全ボーズは無かったと思います。m(__)m 大澤さん、ワラサ3本GET!! 中野さんもワラサ~ 高木さんもワラサGET!! 本美さんはタイGET!! こんな感じでした~ ありがとうございました。m(__)m 明日も頑張ります!!もちろんまだまだ空いてます。応援、よろしくお願いします。m(__)m 明後日の金曜日も、キャンセル出まして1名空きになりましたので、再募集させていただきます。 応援、よろしくお願いします。m(__)m