-
Gate
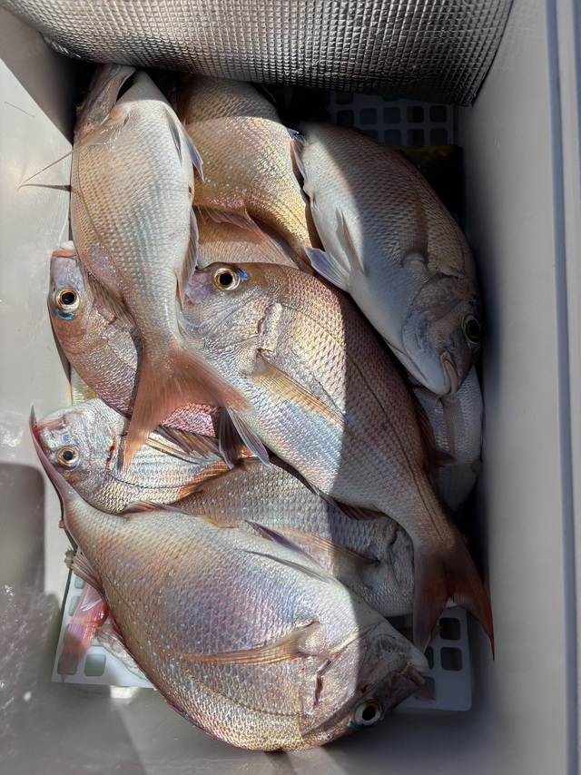
福岡県 福岡市 姪浜漁港125日前釣行日:2025年10月12日(日)中潮マダイ
釣行当日の潮汐
200 0 -40 0:00 6:00 12:00 18:00 24:00釣行当日の気象
-
日の出
06:21
日の入
17:49
-
月の出
21:46
月の入
12:09
-
天気
晴れ後時々曇り
-
気温
29℃/23℃
-
気圧
1011.7hPa
-
風
北
1.6m/s -
波
北
0.2m/s -
水温
26.1℃
-
潮
中潮
-
月齢
20.3
-
BI
7.8
釣行当日の気象情報を表示 釣行当日の気象情報を隠す -
LITTLE ONE
福岡県 大牟田市 三池港125日前釣行日:2025年10月12日(日)中潮マダイ
竿頭6匹 アコウ アラカブ イラ 二艘近場真鯛出船でした。シケ予報でしたが問題無しの天気で早上がりする事なく釣れました。サイズ揃いでしたが真鯛は数伸びず、トップで6枚程となりました。
釣行当日の潮汐
600 0 -120 0:00 6:00 12:00 18:00 24:00釣行当日の気象
-
日の出
06:20
日の入
17:49
-
月の出
21:48
月の入
12:07
-
天気
晴れ
-
気温
32℃/23℃
-
気圧
1011.3hPa
-
風
北
2.5m/s -
波
北北西
0.2m/s -
水温
26.5℃
-
潮
中潮
-
月齢
20.3
-
BI
8.0
釣行当日の気象情報を表示 釣行当日の気象情報を隠す -
holy boat ホーリーボート
福岡県 福岡市 博多港カモメ広場前125日前釣行日:2025年10月12日(日)中潮タイ
(マダイ)50~70cm 0~3匹 昼から風強く午前中での釣果です
釣行当日の潮汐
200 0 -40 0:00 6:00 12:00 18:00 24:00釣行当日の気象
-
日の出
06:20
日の入
17:49
-
月の出
21:46
月の入
12:09
-
天気
晴れ後時々曇り
-
気温
29℃/23℃
-
気圧
1011.7hPa
-
風
北
1.6m/s -
波
北
0.2m/s -
水温
26.1℃
-
潮
中潮
-
月齢
20.3
-
BI
7.8
釣行当日の気象情報を表示 釣行当日の気象情報を隠す -
Happiness Ⅵ
福岡県 宗像市 神湊港125日前釣行日:2025年10月12日(日)中潮マダイ
0.50~2.50kg 3~8匹 タイラバ出船!朝からコンスタントにつれ続けはやあがりでした!
釣行当日の潮汐
200 0 -40 0:00 6:00 12:00 18:00 24:00釣行当日の気象
-
日の出
06:20
日の入
17:48
-
月の出
21:44
月の入
12:09
-
天気
曇り時々晴れ
-
気温
29℃/23℃
-
気圧
1011.9hPa
-
風
北北東
3.5m/s -
波
北北東
0.2m/s -
水温
26.4℃
-
潮
中潮
-
月齢
20.3
-
BI
7.0
釣行当日の気象情報を表示 釣行当日の気象情報を隠す -
遊漁船5050
熊本県 上天草市 鳩の釜漁港126日前釣行日:2025年10月11日(土)中潮マダイ
カツオ ネリゴ ヤズ この日はライトジギングでヤズやネリゴ狙いました。 海域に入るとポツポツからの入れ食いラッシュ。竿が5本曲がっててんやわんや。 慣れてる方はカツオの一本釣り状態。 それからの良型も当たってきてパツンパツン。スナップのびーの針曲がりーので良型が一本でした。 たまに来るズドンなんで心の準備が…。ハガツオが海面でバレて残念!ネリゴが少なくネリゴ狙いにいくもスカしちゃいました。すみません。 それでも40本〜50本ほど上がり良かった。ネリゴ狙いに行かなければ60本はこえてたかな 。船上で小さいヤズのリリースお持ち帰りも小さいサイズはリリースと半分位お持ち帰りで紳士的なお客様でした。 海を大切にして頂きありがとうございました♪ 御乗船ありがとうございました。またお会いできる日を楽しみにしております。 5050は締め氷サービス中〜。できるだけ新鮮に魚を持って帰って頂けるように締めた後は冷えっ冷えの海水氷で十分に冷やしてお持ち帰りして頂いております!魚を並べての撮影はこの時期ひかえておりますのでご了承下さい。※水温が下がり保冷できると判断できれば終了いたします。
釣行当日の潮汐
400 0 -80 0:00 6:00 12:00 18:00 24:00釣行当日の気象
-
日の出
06:19
日の入
17:50
-
月の出
20:47
月の入
10:57
-
天気
晴れ時々曇り
-
気温
34℃/21℃
-
気圧
1013.2hPa
-
風
北北東
1.6m/s -
波
北北東
0.2m/s -
水温
26.8℃
-
潮
中潮
-
月齢
19.3
-
BI
8.0
釣行当日の気象情報を表示 釣行当日の気象情報を隠す -
Jack
福岡県 北九州市 高浜港126日前釣行日:2025年10月11日(土)中潮マダイ
ヒラマサ ヨコスジフエダイ キジハタ 船長の岡本です。 手巻き落とし込み&ジギング。 ま〜走り回りまくり回り。 しんどい感じになりました。 めげずに頑張ります。 皆さんお疲れ様です。
釣行当日の潮汐
200 0 -40 0:00 6:00 12:00 18:00 24:00釣行当日の気象
-
日の出
06:18
日の入
17:48
-
月の出
20:41
月の入
11:00
-
天気
晴れ
-
気温
27℃/22℃
-
気圧
1014.4hPa
-
風
東南東
4.2m/s -
波
東
0.3m/s -
水温
26.5℃
-
潮
中潮
-
月齢
19.3
-
BI
7.3
釣行当日の気象情報を表示 釣行当日の気象情報を隠す -
松丸-岐志漁港-
福岡県 糸島市 岐志漁港126日前釣行日:2025年10月11日(土)中潮マダイ
ナイト鯛ラバ
釣行当日の潮汐
200 0 -40 0:00 6:00 12:00 18:00 24:00釣行当日の気象
-
日の出
06:20
日の入
17:51
-
月の出
20:45
月の入
11:01
-
天気
晴れ
-
気温
30℃/20℃
-
気圧
1013.6hPa
-
風
東北東
1.7m/s -
波
北
0.4m/s -
水温
26.2℃
-
潮
中潮
-
月齢
19.3
-
BI
7.3
釣行当日の気象情報を表示 釣行当日の気象情報を隠す -
松丸-伊崎漁港-
福岡県 福岡市 伊崎漁港126日前釣行日:2025年10月11日(土)中潮マダイ
アコウ アラカブ ヨコスジフエダイ イラ ネリコ 10月11日の釣果です。
釣行当日の潮汐
200 0 -40 0:00 6:00 12:00 18:00 24:00釣行当日の気象
-
日の出
06:20
日の入
17:50
-
月の出
20:44
月の入
11:01
-
天気
晴れ
-
気温
30℃/20℃
-
気圧
1013.8hPa
-
風
東北東
0.8m/s -
波
北
0.2m/s -
水温
26.2℃
-
潮
中潮
-
月齢
19.3
-
BI
8.0
釣行当日の気象情報を表示 釣行当日の気象情報を隠す -
FREEDOM
長崎県 長崎市 新長崎漁港126日前釣行日:2025年10月11日(土)中潮マダイ
ブリ ネリコ オオモンハタ ウッカリカサゴ 江島SLJタイラバ。 風も強く、アタリも少ない厳しい一日でした。
釣行当日の潮汐
400 0 -80 0:00 6:00 12:00 18:00 24:00釣行当日の気象
-
日の出
06:21
日の入
17:52
-
月の出
20:48
月の入
11:00
-
天気
晴れ
-
気温
31℃/21℃
-
気圧
1013.3hPa
-
風
北北東
0.8m/s -
波
南
0.2m/s -
水温
26.9℃
-
潮
中潮
-
月齢
19.3
-
BI
8.8
釣行当日の気象情報を表示 釣行当日の気象情報を隠す -
LITTLE ONE
福岡県 大牟田市 三池港126日前釣行日:2025年10月11日(土)中潮マダイ
近場真鯛で二艘出船でした。1号はほぼレンタルのチャーター。釣りになるまでは時間が掛かりましたがなんとか全員安打!楽しんでもらえました。
釣行当日の潮汐
600 0 -120 0:00 6:00 12:00 18:00 24:00釣行当日の気象
-
日の出
06:19
日の入
17:51
-
月の出
20:46
月の入
10:59
-
天気
晴れ
-
気温
34℃/20℃
-
気圧
1013.6hPa
-
風
北北東
0.6m/s -
波
北西
0.2m/s -
水温
26.6℃
-
潮
中潮
-
月齢
19.3
-
BI
8.0
釣行当日の気象情報を表示 釣行当日の気象情報を隠す -
新栄丸 -津屋崎-
福岡県 福津市 津屋崎漁港126日前釣行日:2025年10月11日(土)中潮マダイ
0.50~4.00kg 0~3匹 アコウ 30cm 合計1匹 ハガツオ 1.50~2.00kg 0~2匹 チカメキントキ 30~40cm 0~2匹 ヤリイカ 15~25cm 0~25匹 イサキ 30cm 合計1匹 レンコダイ 25~30cm 0~3匹 ハマイサキ 30cm 合計1匹 お疲れ様です! 前半はイカがぱらぱらと上がり 後半は失速してました 魚は中盤から後半にかけてあたりが ぽちぽちありました 本日はありがとうございました! またの乗船お待ちしてます!
釣行当日の潮汐
200 0 -40 0:00 6:00 12:00 18:00 24:00釣行当日の気象
-
日の出
06:19
日の入
17:49
-
月の出
20:42
月の入
11:01
-
天気
晴れ
-
気温
30℃/20℃
-
気圧
1013.9hPa
-
風
東
2.8m/s -
波
北
0.3m/s -
水温
26.2℃
-
潮
中潮
-
月齢
19.3
-
BI
7.2
釣行当日の気象情報を表示 釣行当日の気象情報を隠す -
木鶏丸
福岡県 福岡市 姪浜漁港126日前釣行日:2025年10月11日(土)中潮マダイ
20~45cm 4~15匹 今日もお客様に釣り方を伝授すると、朝から足の裏サイズから1キロ前後の彼岸鯛が、よく上がりました。まだまだ続く秋の脂ののった、彼岸鯛釣り、平日も3~4名様揃いましたら、出船していますので、よろしくお願いします。
釣行当日の潮汐
200 0 -40 0:00 6:00 12:00 18:00 24:00釣行当日の気象
-
日の出
06:20
日の入
17:50
-
月の出
20:44
月の入
11:01
-
天気
晴れ
-
気温
30℃/20℃
-
気圧
1013.8hPa
-
風
東北東
0.8m/s -
波
北
0.2m/s -
水温
26.2℃
-
潮
中潮
-
月齢
19.3
-
BI
8.0
釣行当日の気象情報を表示 釣行当日の気象情報を隠す -
FREEDOM
長崎県 長崎市 新長崎漁港127日前釣行日:2025年10月10日(金)中潮マダイ
オオモンハタ アオハタ アコウ 近海SLJタイラバ。
釣行当日の潮汐
400 0 -80 0:00 6:00 12:00 18:00 24:00釣行当日の気象
-
日の出
06:20
日の入
17:54
-
月の出
19:53
月の入
09:46
-
天気
晴れ
-
気温
31℃/21℃
-
気圧
1016.6hPa
-
風
北東
1.4m/s -
波
南
0.2m/s -
水温
26.9℃
-
潮
中潮
-
月齢
18.3
-
BI
9.5
釣行当日の気象情報を表示 釣行当日の気象情報を隠す -
共栄丸
熊本県 玉名市 滑石漁港127日前釣行日:2025年10月10日(金)中潮タイ
(マダイ)少人数で出船しました。今日は小ぶりが多く頭で2㎏弱でした。
釣行当日の潮汐
600 0 -120 0:00 6:00 12:00 18:00 24:00釣行当日の気象
-
日の出
06:18
日の入
17:51
-
月の出
19:51
月の入
09:44
-
天気
晴れ
-
気温
33℃/19℃
-
気圧
1016.8hPa
-
風
北北西
0.9m/s -
波
北北西
0.2m/s -
水温
26.9℃
-
潮
中潮
-
月齢
18.3
-
BI
8.3
釣行当日の気象情報を表示 釣行当日の気象情報を隠す -
共栄丸
熊本県 玉名市 滑石漁港128日前釣行日:2025年10月9日(木)中潮タイ
(マダイ)ヒラメ マゴチ 数は結構あがっていて頭で3㎏でした。
釣行当日の潮汐
600 0 -120 0:00 6:00 12:00 18:00 24:00釣行当日の気象
-
日の出
06:17
日の入
17:53
-
月の出
19:04
月の入
08:28
-
天気
晴れ
-
気温
32℃/21℃
-
気圧
1015.3hPa
-
風
北
2.6m/s -
波
北
0.2m/s -
水温
27.1℃
-
潮
中潮
-
月齢
17.3
-
BI
9.3
釣行当日の気象情報を表示 釣行当日の気象情報を隠す
九州・沖縄の人気魚種の釣果情報
- 九州・沖縄×マダイ
- 九州・沖縄×ブリ
- 九州・沖縄×マアジ
- 九州・沖縄×アカアマダイ
- 九州・沖縄×カサゴ
- 九州・沖縄×ヒラメ
- 九州・沖縄×ゴマサバ
- 九州・沖縄×イサキ
- 九州・沖縄×カワハギ
- 九州・沖縄×タチウオ
- 九州・沖縄×サワラ
- 九州・沖縄×ヒラマサ
- 九州・沖縄×スズキ
- 九州・沖縄×メバル
- 九州・沖縄×キジハタ
- 九州・沖縄×オニカサゴ
- 九州・沖縄×カンパチ
- 九州・沖縄×マハタ
- 九州・沖縄×ヤリイカ
- 九州・沖縄×クロムツ
- 九州・沖縄×アオリイカ
- 九州・沖縄×アカムツ
- 九州・沖縄×チダイ
- 九州・沖縄×クロダイ
- 九州・沖縄×アオハタ
- 九州・沖縄×シロギス
- 九州・沖縄×シロアマダイ
- 九州・沖縄×キンメダイ
- 九州・沖縄×ショウサイフグ
- 九州・沖縄×アカハタ
- 九州・沖縄×キダイ
- 九州・沖縄×マゴチ
- 九州・沖縄×スルメイカ
- 九州・沖縄×ホウボウ
- 九州・沖縄×イトヨリダイ
- 九州・沖縄×メダイ
- 九州・沖縄×ケンサキイカ
- 九州・沖縄×マダコ
- 九州・沖縄×アラ
- 九州・沖縄×クロソイ
- 九州・沖縄×オオモンハタ
- 九州・沖縄×メジナ
- 九州・沖縄×チカメキントキ
- 九州・沖縄×ウスメバル
- 九州・沖縄×ウッカリカサゴ
- 九州・沖縄×ウマヅラハギ
- 九州・沖縄×アイナメ
- 九州・沖縄×シマアジ
- 九州・沖縄×クロマグロ
- 九州・沖縄×イシダイ
- 九州・沖縄×クエ
- 九州・沖縄×メイチダイ
- 九州・沖縄×ユメカサゴ
- 九州・沖縄×アカイサキ
- 九州・沖縄×ハガツオ
- 九州・沖縄×アヤメカサゴ
- 九州・沖縄×ロウニンアジ
- 九州・沖縄×ムツ
- 九州・沖縄×ホウキハタ
- 九州・沖縄×シロサバフグ
- 九州・沖縄×マサバ
- 九州・沖縄×ハマフエフキ
- 九州・沖縄×カミナリイカ
- 九州・沖縄×コロダイ
- 九州・沖縄×アカヤガラ
- 九州・沖縄×オニオコゼ
- 九州・沖縄×マトウダイ
- 九州・沖縄×オオクチイシナギ
- 九州・沖縄×クロメジナ
- 九州・沖縄×カマスサワラ
- 九州・沖縄×キュウセン
- 九州・沖縄×ハチビキ
各都道府県の人気魚種の釣果情報
- 岩手県×マダラ
- 岩手県×スルメイカ
- 岩手県×マコガレイ
- 岩手県×ブリ
- 岩手県×ウスメバル
- 宮城県×ヒラメ
- 宮城県×マアジ
- 宮城県×アイナメ
- 宮城県×マコガレイ
- 宮城県×マダラ
- 福島県×マダイ
- 福島県×ヒラメ
- 福島県×チダイ
- 福島県×メバル
- 福島県×アイナメ
- 茨城県×マダイ
- 茨城県×ヒラメ
- 茨城県×ブリ
- 茨城県×マダコ
- 茨城県×カサゴ
- 埼玉県×サワラ
- 埼玉県×タチウオ
- 埼玉県×マダイ
- 埼玉県×ブリ
- 埼玉県×ホウボウ
- 千葉県×マダイ
- 千葉県×ヒラメ
- 千葉県×マアジ
- 千葉県×イサキ
- 千葉県×カサゴ
- 東京都×マアジ
- 東京都×タチウオ
- 東京都×シロギス
- 東京都×マダコ
- 東京都×スズキ
- 神奈川県×マアジ
- 神奈川県×マダイ
- 神奈川県×タチウオ
- 神奈川県×アカアマダイ
- 神奈川県×ブリ
- 新潟県×マダイ
- 新潟県×マアジ
- 新潟県×ブリ
- 新潟県×ゴマサバ
- 新潟県×キダイ
- 富山県×アオリイカ
- 富山県×マダイ
- 富山県×カサゴ
- 富山県×キジハタ
- 富山県×アオハタ
- 石川県×ブリ
- 石川県×キジハタ
- 石川県×マダイ
- 石川県×マアジ
- 石川県×カサゴ
- 福井県×ケンサキイカ
- 福井県×マダイ
- 福井県×アオリイカ
- 福井県×スルメイカ
- 福井県×マアジ
- 静岡県×マダイ
- 静岡県×マアジ
- 静岡県×イサキ
- 静岡県×タチウオ
- 静岡県×アカアマダイ
- 愛知県×ブリ
- 愛知県×マダイ
- 愛知県×タチウオ
- 愛知県×ヒラメ
- 愛知県×シロサバフグ
- 三重県×ブリ
- 三重県×マダイ
- 三重県×ヒラメ
- 三重県×カサゴ
- 三重県×サワラ
- 京都府×ケンサキイカ
- 京都府×ブリ
- 京都府×マダイ
- 京都府×スルメイカ
- 京都府×アオリイカ
- 大阪府×マダイ
- 大阪府×ブリ
- 大阪府×サワラ
- 大阪府×スズキ
- 大阪府×タチウオ
- 兵庫県×ブリ
- 兵庫県×マダイ
- 兵庫県×マダコ
- 兵庫県×サワラ
- 兵庫県×タチウオ
- 和歌山県×マダイ
- 和歌山県×ブリ
- 和歌山県×マアジ
- 和歌山県×イサキ
- 和歌山県×シロアマダイ
- 鳥取県×ケンサキイカ
- 鳥取県×アオリイカ
- 鳥取県×スルメイカ
- 鳥取県×カサゴ
- 鳥取県×アオハタ
- 島根県×ケンサキイカ
- 島根県×スルメイカ
- 島根県×ゴマサバ
- 島根県×マアジ
- 島根県×コウイカ
- 岡山県×スズキ
- 岡山県×マダイ
- 岡山県×ヒラメ
- 岡山県×クロダイ
- 岡山県×キジハタ
- 広島県×マダイ
- 広島県×ブリ
- 広島県×キジハタ
- 広島県×サワラ
- 広島県×シロギス
- 山口県×ケンサキイカ
- 山口県×アオリイカ
- 山口県×キジハタ
- 山口県×マダイ
- 山口県×ヒラマサ
- 徳島県×ブリ
- 徳島県×マアジ
- 徳島県×イサキ
- 徳島県×カンパチ
- 徳島県×チダイ
- 香川県×マダイ
- 香川県×アオリイカ
- 香川県×キジハタ
- 香川県×シロギス
- 香川県×ヒラメ
- 愛媛県×マダイ
- 愛媛県×ブリ
- 愛媛県×キジハタ
- 愛媛県×タチウオ
- 愛媛県×サワラ
- 高知県×カンパチ
- 高知県×イサキ
- 高知県×マアジ
- 高知県×マダイ
- 高知県×チダイ
- 福岡県×マダイ
- 福岡県×ヤリイカ
- 福岡県×ケンサキイカ
- 福岡県×ヒラマサ
- 福岡県×ブリ
- 佐賀県×ヒラマサ
- 佐賀県×アカアマダイ
- 佐賀県×マダイ
- 佐賀県×サワラ
- 佐賀県×アオリイカ
- 長崎県×マダイ
- 長崎県×キジハタ
- 長崎県×オオモンハタ
- 長崎県×ブリ
- 長崎県×ヒラマサ
- 熊本県×マダイ
- 熊本県×ヒラメ
- 熊本県×キジハタ
- 熊本県×カサゴ
- 熊本県×タチウオ
- 鹿児島県×アカハタ
- 鹿児島県×カンパチ
- 鹿児島県×マダイ
- 鹿児島県×オオモンハタ
- 鹿児島県×ケンサキイカ
- 沖縄県×スジアラ
- 沖縄県×キハダ
- 沖縄県×タカサゴ
- 沖縄県×バラハタ
- 沖縄県×クエ










































久々に凪出船‼ 鯛ラバ&SLJ行ってきました。 暑さは少々残ってましたが、海の中は すっかり秋色に染まってました。 真鯛、根魚中心に良型混じりで、数も 大漁でした。 持ち帰り分以外は、良型でもリリースして 頂きました、有難う御座います。 途中青物、サワラ、コシナガ等も掛り、 ブレイクするなどのシーンも有りましたが、 今回はキャッチならずと、残念な場面も 有りましたが、鯛ラバ&SLJ楽しめる 季節に突入しましたよ。 挑戦者募集中です。 本日は、ご乗船有難うございます。