-
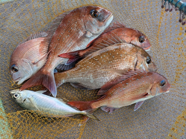
海斗丸
和歌山県 和歌山市 加太港5時間前釣行日:2025年12月7日(日)中潮マサバ
37~49cm 合計26匹 タイ 30~41cm 合計2匹 アジ 40~41cm 合計2匹 釣行当日の潮汐
200 0 -40 0:00 6:00 12:00 18:00 24:00釣行当日の気象
-
日の出
06:52
日の入
16:50
-
月の出
19:06
月の入
09:18
-
天気
晴れ
-
気温
17℃/5℃
-
気圧
1024.1hPa
-
風
西南西
0.8m/s -
波
南
0.2m/s -
水温
17.9℃
-
潮
中潮
-
月齢
16.8
-
BI
9.1
釣行当日の気象情報を表示 釣行当日の気象情報を隠す -
泊里丸
和歌山県 和歌山市 加太港5時間前釣行日:2025年12月7日(日)中潮サバ
(マサバ)36~45cm 合計10匹 マダイ 56cm 合計1匹 マアジ 26~26cm 合計2匹 乗船ありがとうございました
釣行当日の潮汐
200 0 -40 0:00 6:00 12:00 18:00 24:00釣行当日の気象
-
日の出
06:52
日の入
16:50
-
月の出
19:06
月の入
09:18
-
天気
晴れ
-
気温
17℃/5℃
-
気圧
1024.1hPa
-
風
西南西
0.8m/s -
波
南
0.2m/s -
水温
17.9℃
-
潮
中潮
-
月齢
16.8
-
BI
9.1
釣行当日の気象情報を表示 釣行当日の気象情報を隠す -
多部丸
和歌山県 和歌山市 加太港5時間前釣行日:2025年12月7日(日)中潮サバ
(マサバ)43~45cm 合計4匹 タイ 38~40cm 合計2匹 アジ 29~38cm 合計3匹 ありがとうございました!
釣行当日の潮汐
200 0 -40 0:00 6:00 12:00 18:00 24:00釣行当日の気象
-
日の出
06:52
日の入
16:50
-
月の出
19:06
月の入
09:18
-
天気
晴れ
-
気温
17℃/5℃
-
気圧
1024.1hPa
-
風
西南西
0.8m/s -
波
南
0.2m/s -
水温
17.9℃
-
潮
中潮
-
月齢
16.8
-
BI
9.1
釣行当日の気象情報を表示 釣行当日の気象情報を隠す -
多部丸
和歌山県 和歌山市 加太港6時間前釣行日:2025年12月7日(日)中潮サバ
(マサバ)43~47cm 合計7匹 タイ 52cm 合計1匹 アジ 38~44cm 合計4匹 ありがとうございました!
釣行当日の潮汐
200 0 -40 0:00 6:00 12:00 18:00 24:00釣行当日の気象
-
日の出
06:52
日の入
16:50
-
月の出
19:06
月の入
09:18
-
天気
晴れ
-
気温
17℃/5℃
-
気圧
1024.1hPa
-
風
西南西
0.8m/s -
波
南
0.2m/s -
水温
17.9℃
-
潮
中潮
-
月齢
16.8
-
BI
9.1
釣行当日の気象情報を表示 釣行当日の気象情報を隠す -
淡隆丸
和歌山県 和歌山市 加太港6時間前釣行日:2025年12月7日(日)中潮マサバ
45~49cm 1~1匹 マダイ 38~49cm 2~2匹 マアジ 28~42cm 4~6匹 ☆きょうも穏やかな凪の日和になりました。時間とともに気温があがり暖かかったです。 ★今朝は上り潮からのスタートです。朝マズメにアジとサバを、後半といっても終盤にマダイを釣っていただくことができました。 ☆天気がシケから好天への急変で魚が戸惑ったのか前日は渋い釣りでしたが、きょうは好天が連続したことで魚も警戒心を解いてくれたみたいです。 ★明日も今日みたいに穏やかで気温もあがるとの予報です。日に日に釣果も良くなってほしいところです。 ☆本日はどうもありがとうございました。
釣行当日の潮汐
200 0 -40 0:00 6:00 12:00 18:00 24:00釣行当日の気象
-
日の出
06:52
日の入
16:50
-
月の出
19:06
月の入
09:18
-
天気
晴れ
-
気温
17℃/5℃
-
気圧
1024.1hPa
-
風
西南西
0.8m/s -
波
南
0.2m/s -
水温
17.9℃
-
潮
中潮
-
月齢
16.8
-
BI
9.1
釣行当日の気象情報を表示 釣行当日の気象情報を隠す -
多部丸
和歌山県 和歌山市 加太港6時間前釣行日:2025年12月7日(日)中潮サバ
(マサバ)43~47cm 合計6匹 アジ 30~44cm 合計8匹 ありがとうございました!
釣行当日の潮汐
200 0 -40 0:00 6:00 12:00 18:00 24:00釣行当日の気象
-
日の出
06:52
日の入
16:50
-
月の出
19:06
月の入
09:18
-
天気
晴れ
-
気温
17℃/5℃
-
気圧
1024.1hPa
-
風
西南西
0.8m/s -
波
南
0.2m/s -
水温
17.9℃
-
潮
中潮
-
月齢
16.8
-
BI
9.1
釣行当日の気象情報を表示 釣行当日の気象情報を隠す -
第十八利蜂丸
和歌山県 和歌山市 市堀川沿い1日前釣行日:2025年12月6日(土)大潮サバ
(マサバ)38~50cm 合計11匹 アジ 28~45cm 合計9匹 マダイ 30cm 合計1匹 シロアマダイ 27~38cm 合計3匹 本日はアマダイ五目便にて出船しました。 お客さん初めての高仕掛け釣りで、最初は仕掛けの長さに苦戦していましたが、徐々に慣れて、50センチのサバ45センチの鯵が釣れて良かったです。 まだまだ良型のサバ鯵が釣れていますので、是非釣りに来てください。お待ちしております。本日はありがとうございました。
釣行当日の潮汐
200 0 -40 0:00 6:00 12:00 18:00 24:00釣行当日の気象
-
日の出
06:51
日の入
16:50
-
月の出
17:53
月の入
08:16
-
天気
晴れ
-
気温
14℃/3℃
-
気圧
1025.5hPa
-
風
南南東
0.9m/s -
波
南西
0.2m/s -
水温
18.3℃
-
潮
大潮
-
月齢
15.8
-
BI
9.0
釣行当日の気象情報を表示 釣行当日の気象情報を隠す -
海斗丸
和歌山県 和歌山市 加太港1日前釣行日:2025年12月6日(土)大潮マサバ
43~48cm 合計2匹 タイ 38~53cm 合計2匹 メジロ 70cm 合計1匹 アジ 37~42cm 合計4匹 ありがとうございました!
釣行当日の潮汐
200 0 -40 0:00 6:00 12:00 18:00 24:00釣行当日の気象
-
日の出
06:51
日の入
16:50
-
月の出
17:53
月の入
08:16
-
天気
晴れ
-
気温
14℃/3℃
-
気圧
1025.5hPa
-
風
南南東
0.9m/s -
波
南南西
0.2m/s -
水温
18.3℃
-
潮
大潮
-
月齢
15.8
-
BI
8.8
釣行当日の気象情報を表示 釣行当日の気象情報を隠す -
海斗丸
和歌山県 和歌山市 加太港1日前釣行日:2025年12月6日(土)大潮マサバ
39~44cm 合計4匹 タイ 39~40cm 合計2匹 ハマチ 48cm 合計1匹 アジ 38cm 合計1匹 ありがとうございました!
釣行当日の潮汐
200 0 -40 0:00 6:00 12:00 18:00 24:00釣行当日の気象
-
日の出
06:51
日の入
16:50
-
月の出
17:53
月の入
08:16
-
天気
晴れ
-
気温
14℃/3℃
-
気圧
1025.5hPa
-
風
南南東
0.9m/s -
波
南南西
0.2m/s -
水温
18.3℃
-
潮
大潮
-
月齢
15.8
-
BI
8.8
釣行当日の気象情報を表示 釣行当日の気象情報を隠す -
多部丸
和歌山県 和歌山市 加太港1日前釣行日:2025年12月6日(土)大潮サバ
(マサバ)41~43cm 合計2匹 タイ 44~45cm 合計2匹 アジ 27~38cm 合計11匹 ありがとうございました!
釣行当日の潮汐
200 0 -40 0:00 6:00 12:00 18:00 24:00釣行当日の気象
-
日の出
06:51
日の入
16:50
-
月の出
17:53
月の入
08:16
-
天気
晴れ
-
気温
14℃/3℃
-
気圧
1025.5hPa
-
風
南南東
0.9m/s -
波
南南西
0.2m/s -
水温
18.3℃
-
潮
大潮
-
月齢
15.8
-
BI
8.8
釣行当日の気象情報を表示 釣行当日の気象情報を隠す -
多部丸
和歌山県 和歌山市 加太港1日前釣行日:2025年12月6日(土)大潮サバ
(マサバ)43~45cm 合計2匹 タイ 38~51cm 合計2匹 サワラ 64cm 合計1匹 アジ 33~44cm 合計3匹 ありがとうございました!
釣行当日の潮汐
200 0 -40 0:00 6:00 12:00 18:00 24:00釣行当日の気象
-
日の出
06:51
日の入
16:50
-
月の出
17:53
月の入
08:16
-
天気
晴れ
-
気温
14℃/3℃
-
気圧
1025.5hPa
-
風
南南東
0.9m/s -
波
南南西
0.2m/s -
水温
18.3℃
-
潮
大潮
-
月齢
15.8
-
BI
8.8
釣行当日の気象情報を表示 釣行当日の気象情報を隠す -
角漁丸
和歌山県 和歌山市 加太港2日前釣行日:2025年12月5日(金)大潮マサバ
マダイ マアジ 今日もお一人での乗船。真鯛真鯵真鯖風の釣りでした。
釣行当日の潮汐
200 0 -40 0:00 6:00 12:00 18:00 24:00釣行当日の気象
-
日の出
06:50
日の入
16:50
-
月の出
16:46
月の入
07:05
-
天気
晴れ時々曇り
-
気温
11℃/3℃
-
気圧
1022.2hPa
-
風
西北西
5.1m/s -
波
西南西
0.4m/s -
水温
18.5℃
-
潮
大潮
-
月齢
14.8
-
BI
7.9
釣行当日の気象情報を表示 釣行当日の気象情報を隠す -
角漁丸
和歌山県 和歌山市 加太港4日前釣行日:2025年12月3日(水)大潮マサバ
マダイ マアジ 本日は小物釣り。真鯛真鯵真鯖ご乗船ありがとうございました。
釣行当日の潮汐
200 0 -40 0:00 6:00 12:00 18:00 24:00釣行当日の気象
-
日の出
06:48
日の入
16:50
-
月の出
15:02
月の入
04:30
-
天気
曇り
-
気温
14℃/4℃
-
気圧
1015.1hPa
-
風
北西
5.7m/s -
波
北西
0.3m/s -
水温
19.0℃
-
潮
大潮
-
月齢
12.8
-
BI
7.5
釣行当日の気象情報を表示 釣行当日の気象情報を隠す -
一栄丸
和歌山県 和歌山市 加太港4日前釣行日:2025年12月3日(水)大潮マサバ
37~45cm 合計8匹 マアジ 25~45cm 合計21匹 ブリ 84cm 合計1匹 友成様、本日はありがとうございました。
釣行当日の潮汐
200 0 -40 0:00 6:00 12:00 18:00 24:00釣行当日の気象
-
日の出
06:48
日の入
16:50
-
月の出
15:02
月の入
04:30
-
天気
曇り
-
気温
14℃/4℃
-
気圧
1015.1hPa
-
風
北西
5.7m/s -
波
北西
0.3m/s -
水温
19.0℃
-
潮
大潮
-
月齢
12.8
-
BI
7.5
釣行当日の気象情報を表示 釣行当日の気象情報を隠す -
海斗丸
和歌山県 和歌山市 加太港4日前釣行日:2025年12月3日(水)大潮マサバ
40~44cm 合計9匹 アジ 28~43cm 合計8匹 ありがとうございました!
釣行当日の潮汐
200 0 -40 0:00 6:00 12:00 18:00 24:00釣行当日の気象
-
日の出
06:48
日の入
16:50
-
月の出
15:02
月の入
04:30
-
天気
曇り
-
気温
14℃/4℃
-
気圧
1015.1hPa
-
風
北西
5.7m/s -
波
北西
0.3m/s -
水温
19.0℃
-
潮
大潮
-
月齢
12.8
-
BI
7.5
釣行当日の気象情報を表示 釣行当日の気象情報を隠す
関西の人気魚種の釣果情報
- 関西×マダイ
- 関西×ブリ
- 関西×マアジ
- 関西×ヒラメ
- 関西×アカアマダイ
- 関西×カサゴ
- 関西×タチウオ
- 関西×カワハギ
- 関西×ヒラマサ
- 関西×ゴマサバ
- 関西×サワラ
- 関西×イサキ
- 関西×カンパチ
- 関西×スズキ
- 関西×キジハタ
- 関西×アオリイカ
- 関西×マハタ
- 関西×オニカサゴ
- 関西×メバル
- 関西×ヤリイカ
- 関西×アカムツ
- 関西×チダイ
- 関西×アオハタ
- 関西×クロダイ
- 関西×マダコ
- 関西×アカハタ
- 関西×シロギス
- 関西×キダイ
- 関西×シロアマダイ
- 関西×ショウサイフグ
- 関西×スルメイカ
- 関西×キンメダイ
- 関西×キハダ
- 関西×マゴチ
- 関西×イトヨリダイ
- 関西×ホウボウ
- 関西×メダイ
- 関西×シログチ
- 関西×カツオ
- 関西×アラ
- 関西×オオモンハタ
- 関西×クロソイ
- 関西×メジナ
- 関西×カイワリ
- 関西×ケンサキイカ
- 関西×チカメキントキ
- 関西×シイラ
- 関西×シマアジ
- 関西×ウマヅラハギ
- 関西×ビンナガ
- 関西×ウスメバル
- 関西×アコウダイ
- 関西×ウッカリカサゴ
- 関西×マコガレイ
- 関西×イシダイ
- 関西×クエ
- 関西×コウイカ
- 関西×アカイサキ
- 関西×クロマグロ
- 関西×フエフキダイ
- 関西×メイチダイ
- 関西×ハガツオ
- 関西×アヤメカサゴ
- 関西×ホウキハタ
- 関西×ヒラソウダ
- 関西×ロウニンアジ
- 関西×クログチ
- 関西×カミナリイカ
- 関西×ハマフエフキ
- 関西×シロサバフグ
- 関西×キチヌ
- 関西×マサバ
- 関西×アカカマス
- 関西×ヒメコダイ
- 関西×アカヤガラ
- 関西×コロダイ
- 関西×ヘダイ
- 関西×キツネメバル
- 関西×マトウダイ
- 関西×ウメイロ
- 関西×スマ
- 関西×オオクチイシナギ
- 関西×タケノコメバル
- 関西×オニオコゼ
- 関西×カナガシラ
- 関西×シロダイ
- 関西×シマフグ
- 関西×オキアジ
- 関西×キュウセン
- 関西×カマスサワラ
各都道府県の人気魚種の釣果情報
- 岩手県×マダラ
- 岩手県×スルメイカ
- 岩手県×ケンサキイカ
- 岩手県×マコガレイ
- 岩手県×ブリ
- 宮城県×ヒラメ
- 宮城県×マアジ
- 宮城県×アイナメ
- 宮城県×マコガレイ
- 宮城県×メバル
- 福島県×マダイ
- 福島県×ヒラメ
- 福島県×メバル
- 福島県×チダイ
- 福島県×アイナメ
- 茨城県×マダイ
- 茨城県×ヒラメ
- 茨城県×ブリ
- 茨城県×マダコ
- 茨城県×カサゴ
- 埼玉県×サワラ
- 埼玉県×タチウオ
- 埼玉県×マダイ
- 埼玉県×ホウボウ
- 埼玉県×ブリ
- 千葉県×マダイ
- 千葉県×ヒラメ
- 千葉県×マアジ
- 千葉県×イサキ
- 千葉県×マハタ
- 東京都×マアジ
- 東京都×タチウオ
- 東京都×シロギス
- 東京都×マダコ
- 東京都×スズキ
- 神奈川県×マアジ
- 神奈川県×マダイ
- 神奈川県×タチウオ
- 神奈川県×アカアマダイ
- 神奈川県×ブリ
- 新潟県×マダイ
- 新潟県×マアジ
- 新潟県×ゴマサバ
- 新潟県×ブリ
- 新潟県×キダイ
- 富山県×アオリイカ
- 富山県×マダイ
- 富山県×キジハタ
- 富山県×カサゴ
- 富山県×マアジ
- 石川県×ブリ
- 石川県×キジハタ
- 石川県×マダイ
- 石川県×マアジ
- 石川県×カサゴ
- 福井県×ケンサキイカ
- 福井県×マダイ
- 福井県×アオリイカ
- 福井県×スルメイカ
- 福井県×マアジ
- 静岡県×マダイ
- 静岡県×マアジ
- 静岡県×イサキ
- 静岡県×タチウオ
- 静岡県×アカアマダイ
- 愛知県×ブリ
- 愛知県×マダイ
- 愛知県×タチウオ
- 愛知県×ヒラメ
- 愛知県×シロサバフグ
- 三重県×ブリ
- 三重県×マダイ
- 三重県×ヒラメ
- 三重県×カサゴ
- 三重県×サワラ
- 京都府×ケンサキイカ
- 京都府×ブリ
- 京都府×マダイ
- 京都府×スルメイカ
- 京都府×アオリイカ
- 大阪府×ブリ
- 大阪府×マダイ
- 大阪府×スズキ
- 大阪府×サワラ
- 大阪府×カサゴ
- 兵庫県×ブリ
- 兵庫県×マダイ
- 兵庫県×マダコ
- 兵庫県×サワラ
- 兵庫県×タチウオ
- 和歌山県×マダイ
- 和歌山県×ブリ
- 和歌山県×マアジ
- 和歌山県×イサキ
- 和歌山県×シロアマダイ
- 鳥取県×ケンサキイカ
- 鳥取県×アオリイカ
- 鳥取県×スルメイカ
- 鳥取県×アオハタ
- 鳥取県×カサゴ
- 島根県×ケンサキイカ
- 島根県×スルメイカ
- 島根県×ゴマサバ
- 島根県×マアジ
- 島根県×コウイカ
- 岡山県×スズキ
- 岡山県×マダイ
- 岡山県×クロダイ
- 岡山県×キジハタ
- 岡山県×ヒラメ
- 広島県×マダイ
- 広島県×ブリ
- 広島県×キジハタ
- 広島県×サワラ
- 広島県×シロギス
- 山口県×ケンサキイカ
- 山口県×キジハタ
- 山口県×アオリイカ
- 山口県×マダイ
- 山口県×ヒラマサ
- 徳島県×ブリ
- 徳島県×マアジ
- 徳島県×カンパチ
- 徳島県×チダイ
- 徳島県×イサキ
- 香川県×マダイ
- 香川県×アオリイカ
- 香川県×シロギス
- 香川県×ヒラメ
- 香川県×クロダイ
- 愛媛県×マダイ
- 愛媛県×ブリ
- 愛媛県×キジハタ
- 愛媛県×タチウオ
- 愛媛県×マダコ
- 高知県×カンパチ
- 高知県×イサキ
- 高知県×マアジ
- 高知県×マダイ
- 高知県×チダイ
- 福岡県×マダイ
- 福岡県×ヤリイカ
- 福岡県×ケンサキイカ
- 福岡県×ブリ
- 福岡県×ヒラマサ
- 佐賀県×ブリ
- 佐賀県×サワラ
- 佐賀県×アオリイカ
- 佐賀県×マダイ
- 佐賀県×アカアマダイ
- 長崎県×マダイ
- 長崎県×キジハタ
- 長崎県×オオモンハタ
- 長崎県×ブリ
- 長崎県×ヒラマサ
- 熊本県×マダイ
- 熊本県×タチウオ
- 熊本県×キジハタ
- 熊本県×カサゴ
- 熊本県×ヒラメ
- 鹿児島県×カンパチ
- 鹿児島県×オオモンハタ
- 鹿児島県×アカハタ
- 鹿児島県×マダイ
- 鹿児島県×バラハタ
- 沖縄県×スジアラ
- 沖縄県×キハダ
- 沖縄県×タカサゴ
- 沖縄県×バラハタ
- 沖縄県×クエ













































ありがとうございました!