乗船日:2025年8月NEW!
M様(大阪在住)- 釣割利用回数
- 13回
年末年始のご予約はお早めに!
12/27~1/6のご乗船予約は、
12/25(18:00)で受付終了です!
海斗丸
「海斗丸」のプラン検索条件
こだわり
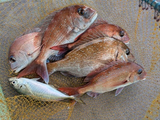
海斗丸は、大阪府と隣接する和歌山県の加太港から出船します。海斗丸の釣り船の歴史は長く、多くの釣り師に愛されてきました。主なターゲットは、一年を通じてマダイ。ブリやサワラなどの大型回遊魚もチャンスがあれば狙います。加太沖のマダイは、全国的にも知名度が高く、高値で取引されています。そんなマダイをぜひたくさん釣り上げてご賞味くださいね☆また釣り方や仕掛けは、マダイの性質を知り尽くした海斗丸船長のアドバイスをしっかりお聞きください!釣り初心者や女性も大歓迎でお待ちしています♪
続きを表示
口コミ・評判
お名前は名字のイニシャルです
乗船日:2025年8月NEW!
M様(大阪在住)乗船日:2025年7月NEW!
N様(大阪在住)船長が優しく、長い仕掛けでコツが必要でしたが、手伝ったり、アドバイスを逐一して頂きとても勉強になりました。 初心者にもオススメ出来る船宿さんです!
乗船日:2025年6月NEW!
O様(大阪在住)大阪近郊の船とは比べ物にならない。よく釣れる。サービスも素晴らしい。釣り方を丁寧に教えてくれる。ちょいと言葉は荒いけど。釣れたら、せんちょ~、って呼ぶとすぐ来てくれて取り込んでくれる。その後すぐに仕掛けを投入してくれるので時合を逃さない。他の船では、釣れたあともたもたして次が続かないことがよくあるが、この船はそれがない。舟を降りる寸前まで生簀に生かしといて最後に締めてくれる。
釣り船情報
地図
船着場
駐車場
集合場所和歌山県和歌山市加太 加太港
集合場所は船着場前になります。
お車でお越しの方
電車でお越しの方
海斗丸を予約した人は、
こんな釣り船も予約しています
海斗丸に
よくいただくご質問
いいえ、両軸リールです。スピニングリールは不可です。LINEは、PEラインです。
はい、海斗丸のオリジナル仕掛けをご用意しています。
はい、できます。人数により料金が変動しますので、事前に貸切される人数をお伝えください。
戻る
海斗丸(写真)
















戻る
海斗丸(地図)
船着場
駐車場
集合場所和歌山県和歌山市加太 加太港
集合場所は船着場前になります。
お車でお越しの方
電車でお越しの方
典型的な大名釣りをさせてもらえる場所。 仕掛けの説明も出船前に丁寧にしてくれるので、その通りにやれば坊主はほぼ無いかと思います。 釣れてからも魚の取り込みから、締めて血抜きまで船長が全てしてくれるので汚れる事もほとんどありません。 初心者の子を連れて行くならとてもオススメ出来る船宿です。