-
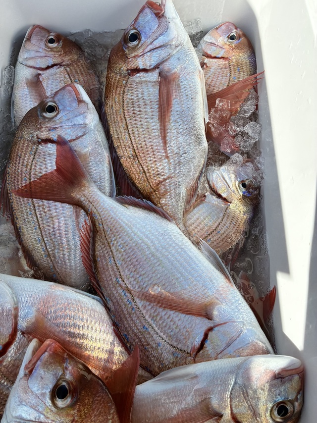
第三孝徳丸
千葉県 山武市 片貝旧港6日前釣行日:2026年4月29日(水)中潮ハナダイ
(チダイ)20~32cm 3~9匹 イサキ 25~36cm 25~40匹 カイワリ 19~28cm 0~4匹 釣行当日の潮汐
200 0 -40 0:00 6:00 12:00 18:00 24:00釣行当日の気象
-
日の出
04:48
日の入
18:22
-
月の出
16:07
月の入
03:12
-
天気
曇り
-
気温
23℃/15℃
-
気圧
1011.6hPa
-
風
北東
2.9m/s -
波
南南東
0.8m/s -
水温
17.3℃
-
潮
中潮
-
月齢
11.6
-
BI
9.5
釣行当日の気象情報を表示 釣行当日の気象情報を隠す -
長五郎丸
千葉県 旭市 飯岡漁港7日前釣行日:2026年4月28日(火)中潮ハナダイ
(チダイ)マダイ 0.30~0.80kg 0~7匹 カサゴ カンパチ アジ ハタ ホウボウ ガンゾウ ウマズラ 【乗合】今日は朝からアタリ多く、ハナダイを主体にゲスト混じりでお土産には十分なりましたがマダイが少なかったです。
釣行当日の潮汐
200 0 -40 0:00 6:00 12:00 18:00 24:00釣行当日の気象
-
日の出
04:48
日の入
18:21
-
月の出
15:07
月の入
02:47
-
天気
晴れ時々曇り
-
気温
23℃/14℃
-
気圧
1013.8hPa
-
風
南
4.3m/s -
波
南東
1.0m/s -
水温
17.0℃
-
潮
中潮
-
月齢
10.6
-
BI
10.0
釣行当日の気象情報を表示 釣行当日の気象情報を隠す -
第1二三丸
千葉県 山武市 片貝旧港7日前釣行日:2026年4月28日(火)中潮ハナダイ
(チダイ)イサキ 24~38cm 9~32匹 マダイ アジ カサゴ ウマヅラ サバ 太東沖のイサキのポイントの水温が19,8℃と高かったが、 潮は速い雰囲気ではなかったので、反応を見付けて釣り開始、 バタバタ入れ食いでは無いが、マズマズの滑り出しでした、 サイズも中型から良型混じりで、たまには多点掛けも有りました、 小さい潮目が来たらアタリが減ってきたのでポイントを移動、 アタリは出てイサキは釣れたが反応の付が悪くアタリが続かない、 数ヵ所のポイントを周ってみたが、長続きは無く、 後半に風も吹いて来たので、片貝沖まで移動しました、 始めはカタクチイワシが殆どでした、 数ヵ所移動してみたら、たまにアタリが拾える様に成り、 前半のイサキと後半のその他アジやタイ等でお土産十分に成りました。潮温19,8と18,4℃。
釣行当日の潮汐
200 0 -40 0:00 6:00 12:00 18:00 24:00釣行当日の気象
-
日の出
04:49
日の入
18:21
-
月の出
15:07
月の入
02:48
-
天気
晴れ時々曇り
-
気温
25℃/14℃
-
気圧
1013.7hPa
-
風
南
3.4m/s -
波
東南東
0.9m/s -
水温
17.0℃
-
潮
中潮
-
月齢
10.6
-
BI
9.8
釣行当日の気象情報を表示 釣行当日の気象情報を隠す -
長五郎丸
千葉県 旭市 飯岡漁港9日前釣行日:2026年4月26日(日)長潮ハナダイ
(チダイ)アジ 23~38cm 4~22匹 マダイ カサゴ ウマズラ サバ 水深:30m。【乗合】今日は朝から喰いが渋く転々と移動で苦戦。後半にアジとサバがメインで上がりお土産になりました!。
釣行当日の潮汐
100 0 -20 0:00 6:00 12:00 18:00 24:00釣行当日の気象
-
日の出
04:50
日の入
18:19
-
月の出
13:03
月の入
01:55
-
天気
晴れ後時々曇り
-
気温
20℃/13℃
-
気圧
1022.0hPa
-
風
東
1.9m/s -
波
東
1.4m/s -
水温
16.5℃
-
潮
長潮
-
月齢
8.6
-
BI
8.0
釣行当日の気象情報を表示 釣行当日の気象情報を隠す -
太幸丸
千葉県 旭市 飯岡漁港9日前釣行日:2026年4月26日(日)長潮ハナダイ
(チダイ)20~32cm 6~18匹 アジ マダイ イサキ カンパチ イナダ メバル カサゴ ウマヅラ コマセ五目。 ハナダイ! 他にアジ!マダイ!イサキ!カンパチ!イナダ!メバル!カサゴ!ウマヅラ! が釣れました。 ゲストも多彩に楽しい五目釣りになりました!
釣行当日の潮汐
100 0 -20 0:00 6:00 12:00 18:00 24:00釣行当日の気象
-
日の出
04:50
日の入
18:19
-
月の出
13:03
月の入
01:55
-
天気
晴れ後時々曇り
-
気温
20℃/13℃
-
気圧
1022.0hPa
-
風
東
1.9m/s -
波
東
1.4m/s -
水温
16.5℃
-
潮
長潮
-
月齢
8.6
-
BI
8.0
釣行当日の気象情報を表示 釣行当日の気象情報を隠す -
隆正丸
千葉県 旭市 飯岡漁港10日前釣行日:2026年4月25日(土)小潮ハナダイ
(チダイ)25~35cm 0~6匹 アジ メバル サバ コマセ船。11号で出船。なかなか活性上がらず苦戦でした。海も大分落ち着いてきたので今後期待です。 水深:30M。
釣行当日の潮汐
100 0 -20 0:00 6:00 12:00 18:00 24:00釣行当日の気象
-
日の出
04:52
日の入
18:18
-
月の出
11:57
月の入
01:23
-
天気
晴れ時々曇り
-
気温
17℃/13℃
-
気圧
1023.1hPa
-
風
北東
3.9m/s -
波
東
1.5m/s -
水温
16.3℃
-
潮
小潮
-
月齢
7.6
-
BI
6.8
釣行当日の気象情報を表示 釣行当日の気象情報を隠す -
太幸丸
千葉県 旭市 飯岡漁港10日前釣行日:2026年4月25日(土)小潮ハナダイ
(チダイ)20~35cm 3~17匹 アジ マダイ シマアジ カサゴ ウマヅラ サバ コマセ五目。 ハナダイ! 他にアジ!マダイ!シマアジ!カサゴ!ウマヅラ!サバ! が釣れました。 反応は日に日に良くなってきているんですが、潮が速くチョイ廻りでした。 少し潮がゆるんでくれればじっくり狙えるんですがねー。 良型マダイや小さいながらもシマアジも混じりましたね!
釣行当日の潮汐
100 0 -20 0:00 6:00 12:00 18:00 24:00釣行当日の気象
-
日の出
04:52
日の入
18:18
-
月の出
11:57
月の入
01:23
-
天気
晴れ時々曇り
-
気温
17℃/13℃
-
気圧
1023.1hPa
-
風
北東
3.9m/s -
波
東
1.5m/s -
水温
16.3℃
-
潮
小潮
-
月齢
7.6
-
BI
6.8
釣行当日の気象情報を表示 釣行当日の気象情報を隠す -
長五郎丸
千葉県 旭市 飯岡漁港10日前釣行日:2026年4月25日(土)小潮ハナダイ
(チダイ)マダイ 0.30~0.90kg 2~8匹 カサゴ トラフグ 水深:24m。 【乗合】今日は朝からコンスタントにアタリがありゲスト混じりでお土産になりました!。
釣行当日の潮汐
100 0 -20 0:00 6:00 12:00 18:00 24:00釣行当日の気象
-
日の出
04:52
日の入
18:18
-
月の出
11:57
月の入
01:23
-
天気
晴れ時々曇り
-
気温
17℃/13℃
-
気圧
1023.1hPa
-
風
北東
3.9m/s -
波
東
1.5m/s -
水温
16.3℃
-
潮
小潮
-
月齢
7.6
-
BI
6.8
釣行当日の気象情報を表示 釣行当日の気象情報を隠す -
第1二三丸
千葉県 山武市 片貝旧港10日前釣行日:2026年4月25日(土)小潮ハナダイ
(チダイ)イサキ 24~36cm 18~34匹 マダイ ウマヅラ ソウダガツオ 朝のポイントは水温16,7℃であまり反応は無かったが、 何時も反応の付く所で釣りしたら直ぐにアタリが出ました、 最初の流しでみんな型は見たが、少し出しの有る逆潮で、 ポイントから直ぐに外れてしまい続かない、 数回流し替えてみたが段々アタリも無くなったのでポイント移動、 水温が17,4℃に成って反応を捕まえていられる様になった、 バリバリ釣れる状況ではないが、ポツポツ続く様になった、 後半は水温の高い所で反応を捜して釣りをした、 極たまにだが外道も釣れる様に成りお土産十分に成りました。潮温16~17℃。
釣行当日の潮汐
200 0 -40 0:00 6:00 12:00 18:00 24:00釣行当日の気象
-
日の出
04:53
日の入
18:18
-
月の出
11:58
月の入
01:23
-
天気
晴れ時々曇り
-
気温
19℃/13℃
-
気圧
1022.9hPa
-
風
東北東
3.6m/s -
波
東
1.5m/s -
水温
16.1℃
-
潮
小潮
-
月齢
7.6
-
BI
7.0
釣行当日の気象情報を表示 釣行当日の気象情報を隠す -
第二新亀丸
千葉県 山武市 新片貝港10日前釣行日:2026年4月25日(土)小潮ハナダイ
(チダイ)18~28cm 4~7匹 アジ 20~38cm 7~8匹 潮濁り水温高く食い渋り後半ポツリ釣れアジ混じって釣れました
釣行当日の潮汐
200 0 -40 0:00 6:00 12:00 18:00 24:00釣行当日の気象
-
日の出
04:53
日の入
18:18
-
月の出
11:58
月の入
01:23
-
天気
晴れ時々曇り
-
気温
19℃/13℃
-
気圧
1022.9hPa
-
風
東北東
3.6m/s -
波
東
1.5m/s -
水温
16.1℃
-
潮
小潮
-
月齢
7.6
-
BI
7.0
釣行当日の気象情報を表示 釣行当日の気象情報を隠す -
太幸丸
千葉県 旭市 飯岡漁港12日前釣行日:2026年4月23日(木)小潮ハナダイ
(チダイ)20~30cm 2~10匹 アジ メバル ウマヅラ マダイ コマセ五目。 ハナダイ! 他にアジ!マダイ!メバル!ウマヅラ! が釣れました。 今日も活性はイマイチ低かったですが、ハナダイの方が多く釣れました。 アジは朝のうち数匹程度でしたね。 潮もやや速くチョイ廻りの繰り返しで厳しい状況ながらトップはハナダイ10枚と健闘でした!
釣行当日の潮汐
200 0 -40 0:00 6:00 12:00 18:00 24:00釣行当日の気象
-
日の出
04:54
日の入
18:17
-
月の出
09:36
月の入
-
天気
曇りのち一時雨
-
気温
19℃/14℃
-
気圧
1011.9hPa
-
風
北北西
0.5m/s -
波
南東
1.3m/s -
水温
16.4℃
-
潮
小潮
-
月齢
5.6
-
BI
7.6
釣行当日の気象情報を表示 釣行当日の気象情報を隠す -
太幸丸
千葉県 旭市 飯岡漁港13日前釣行日:2026年4月22日(水)中潮ハナダイ
(チダイ)アジ 28~43cm 2~8匹 メバル サバ イワシ コマセ五目。 アジ! 他にハナダイ!メバル!サバ!イワシ! が釣れました。 やっと台風のウネリもとれてきましたが、まだ状況はイマイチでした。 底がもめてるのかな? だんだん反応も落ち着いてくると思うのでまた次回に期待です!
釣行当日の潮汐
200 0 -40 0:00 6:00 12:00 18:00 24:00釣行当日の気象
-
日の出
04:55
日の入
18:16
-
月の出
08:25
月の入
23:58
-
天気
晴れ後時々曇り
-
気温
23℃/13℃
-
気圧
1017.4hPa
-
風
南南東
3.6m/s -
波
東南東
1.3m/s -
水温
16.4℃
-
潮
中潮
-
月齢
4.6
-
BI
8.4
釣行当日の気象情報を表示 釣行当日の気象情報を隠す -
優光丸
千葉県 旭市 飯岡漁港13日前釣行日:2026年4月22日(水)中潮ハナダイ
(チダイ)マダイ 0.40~0.70kg 0~5匹 カサゴ カンダイ ベラ ショウサイフグ ヒラメ カワハギ ホウボウ カナガシラ マハタ テンヤマダイ船。前半はアタリ少なく撃沈(泣)。 その後ポイント大きく移動。 ぶーーーーーーんと走り続けてアタック!アタリは増えたが、ゲストの猛攻ッ!!!花鯛、カサゴ、カンダイ、ベラ、ショウサイフグ、ヒラメ、カワハギ、ホウボウ、カナガシラ、マハタと多彩過ぎるゲスト達(笑)。 皆様お土産は確保ッ!しかし本命の真鯛ちゃんはイマイチ数伸び悩み…チクショォォォォォォォォォォォォォォォォォォォォ!!!次回はもっとポイント絞って頑張ります!。
釣行当日の潮汐
200 0 -40 0:00 6:00 12:00 18:00 24:00釣行当日の気象
-
日の出
04:55
日の入
18:16
-
月の出
08:25
月の入
23:58
-
天気
晴れ後時々曇り
-
気温
23℃/13℃
-
気圧
1017.4hPa
-
風
南南東
3.6m/s -
波
東南東
1.3m/s -
水温
16.4℃
-
潮
中潮
-
月齢
4.6
-
BI
8.4
釣行当日の気象情報を表示 釣行当日の気象情報を隠す -
長五郎丸
千葉県 旭市 飯岡漁港16日前釣行日:2026年4月19日(日)中潮ハナダイ
(チダイ)マダイ 0.40~2.70kg 0~4匹 カサゴ アジ メバル イナダ テンヤマダイ。水深:34m。
釣行当日の潮汐
200 0 -40 0:00 6:00 12:00 18:00 24:00釣行当日の気象
-
日の出
04:59
日の入
18:13
-
月の出
05:38
月の入
20:35
-
天気
晴れ時々曇り
-
気温
21℃/13℃
-
気圧
1016.5hPa
-
風
北東
2.2m/s -
波
南東
1.9m/s -
水温
15.9℃
-
潮
中潮
-
月齢
1.6
-
BI
7.6
釣行当日の気象情報を表示 釣行当日の気象情報を隠す -
長五郎丸
千葉県 旭市 飯岡漁港17日前釣行日:2026年4月18日(土)大潮ハナダイ
(チダイ)マダイ 0.40~2.50kg 2~5匹 カサゴ アジ ホウボウ 水深:24m。【乗合】今日は前半アタリがなく激渋でしたが、後半から良型多くポツポツ上がりゲスト混じりでお土産でした。
釣行当日の潮汐
200 0 -40 0:00 6:00 12:00 18:00 24:00釣行当日の気象
-
日の出
05:00
日の入
18:12
-
月の出
05:00
月の入
19:18
-
天気
晴れ時々曇り
-
気温
20℃/12℃
-
気圧
1019.8hPa
-
風
北北東
0.6m/s -
波
東南東
2.1m/s -
水温
15.6℃
-
潮
大潮
-
月齢
0.6
-
BI
10.6
釣行当日の気象情報を表示 釣行当日の気象情報を隠す
九十九里・銚子(千葉県)の人気魚種の釣果情報
各都道府県の人気魚種の釣果情報
- 岩手県×スルメイカ
- 岩手県×マダラ
- 岩手県×ブリ
- 岩手県×マコガレイ
- 岩手県×ヒラメ
- 宮城県×ヒラメ
- 宮城県×マアジ
- 宮城県×アイナメ
- 宮城県×マコガレイ
- 宮城県×メバル
- 福島県×マダイ
- 福島県×ヒラメ
- 福島県×チダイ
- 福島県×キツネメバル
- 福島県×アイナメ
- 茨城県×マダイ
- 茨城県×ブリ
- 茨城県×ヒラメ
- 茨城県×マダコ
- 茨城県×カサゴ
- 埼玉県×サワラ
- 埼玉県×タチウオ
- 埼玉県×マダイ
- 埼玉県×マアジ
- 埼玉県×ブリ
- 千葉県×マダイ
- 千葉県×ヒラメ
- 千葉県×マアジ
- 千葉県×イサキ
- 千葉県×マハタ
- 東京都×マアジ
- 東京都×タチウオ
- 東京都×シロギス
- 東京都×マダコ
- 東京都×スズキ
- 神奈川県×マアジ
- 神奈川県×マダイ
- 神奈川県×ブリ
- 神奈川県×アカアマダイ
- 神奈川県×タチウオ
- 新潟県×マダイ
- 新潟県×ブリ
- 新潟県×マアジ
- 新潟県×ゴマサバ
- 新潟県×キダイ
- 富山県×アオリイカ
- 富山県×マダイ
- 富山県×ブリ
- 富山県×キジハタ
- 富山県×カサゴ
- 石川県×ブリ
- 石川県×キジハタ
- 石川県×マダイ
- 石川県×カサゴ
- 石川県×ウッカリカサゴ
- 福井県×ケンサキイカ
- 福井県×マダイ
- 福井県×アオリイカ
- 福井県×スルメイカ
- 福井県×マアジ
- 静岡県×マダイ
- 静岡県×イサキ
- 静岡県×マアジ
- 静岡県×ブリ
- 静岡県×タチウオ
- 愛知県×ブリ
- 愛知県×マダイ
- 愛知県×タチウオ
- 愛知県×ホウボウ
- 愛知県×ヒラメ
- 三重県×ブリ
- 三重県×マダイ
- 三重県×ヒラメ
- 三重県×カサゴ
- 三重県×アカアマダイ
- 京都府×ケンサキイカ
- 京都府×ブリ
- 京都府×マダイ
- 京都府×スルメイカ
- 京都府×アオリイカ
- 大阪府×マダイ
- 大阪府×サワラ
- 大阪府×ブリ
- 大阪府×スズキ
- 大阪府×タチウオ
- 兵庫県×ブリ
- 兵庫県×マダイ
- 兵庫県×マダコ
- 兵庫県×サワラ
- 兵庫県×タチウオ
- 和歌山県×マダイ
- 和歌山県×ブリ
- 和歌山県×マアジ
- 和歌山県×イサキ
- 和歌山県×シロアマダイ
- 鳥取県×ケンサキイカ
- 鳥取県×アオリイカ
- 鳥取県×スルメイカ
- 鳥取県×マダイ
- 鳥取県×アオハタ
- 島根県×ケンサキイカ
- 島根県×スルメイカ
- 島根県×ゴマサバ
- 島根県×マアジ
- 島根県×コウイカ
- 岡山県×スズキ
- 岡山県×マダイ
- 岡山県×ヒラメ
- 岡山県×キジハタ
- 岡山県×クロダイ
- 広島県×マダイ
- 広島県×ブリ
- 広島県×キジハタ
- 広島県×サワラ
- 広島県×シロギス
- 山口県×ケンサキイカ
- 山口県×アオリイカ
- 山口県×キジハタ
- 山口県×ブリ
- 山口県×マダイ
- 徳島県×ブリ
- 徳島県×マアジ
- 徳島県×チダイ
- 徳島県×イサキ
- 徳島県×キダイ
- 香川県×マダイ
- 香川県×アオリイカ
- 香川県×キジハタ
- 香川県×クロダイ
- 香川県×シロギス
- 愛媛県×マダイ
- 愛媛県×ブリ
- 愛媛県×キジハタ
- 愛媛県×タチウオ
- 愛媛県×サワラ
- 高知県×カンパチ
- 高知県×イサキ
- 高知県×アカアマダイ
- 高知県×マダイ
- 高知県×マアジ
- 福岡県×マダイ
- 福岡県×ヤリイカ
- 福岡県×ケンサキイカ
- 福岡県×ヒラマサ
- 福岡県×ブリ
- 佐賀県×マダイ
- 佐賀県×ヒラマサ
- 佐賀県×アカアマダイ
- 佐賀県×キダイ
- 佐賀県×キジハタ
- 長崎県×マダイ
- 長崎県×キジハタ
- 長崎県×オオモンハタ
- 長崎県×アオハタ
- 長崎県×ブリ
- 熊本県×マダイ
- 熊本県×ヒラメ
- 熊本県×メバル
- 熊本県×キジハタ
- 熊本県×カサゴ
- 鹿児島県×カンパチ
- 鹿児島県×マダイ
- 鹿児島県×ケンサキイカ
- 鹿児島県×オオモンハタ
- 鹿児島県×バラハタ
- 沖縄県×スジアラ
- 沖縄県×バラハタ
- 沖縄県×キハダ
- 沖縄県×ハマフエフキ
- 沖縄県×クエ












































今日もイサキ花鯛リレー釣りで出船、朝から北東の風の吹く中ポイントまで時間をかけてポイントに到着しすぐに始め一投目からイサキの型が出始めポツリポツリ釣れていて3時間余りで竿頭40匹釣れて他の人もお土産十分で片貝沖に移動、残りの時間を花鯛釣りを頑張って頂いてお土産十分になり帰港しました、皆さんどうも有り難う御座いましたまた宜しくお願いします。・5月2日(土)イサキ花鯛で出船予定。・3日(日)イサキ花鯛で出船予定。・4日(月)イサキ花鯛で出船予定。・5日(火)イサキ花鯛で出船予定。・6日(水)イサキ花鯛で出船予定。・15日(金)イサキ花鯛で出船予定。・16日(土)イサキ花鯛で出船予定で他の曜日も予約が入ればイサキ・花鯛またはリレー釣りで出船しますので問い合わせお願いします。