-
第1二三丸
千葉県 山武市 片貝旧港84日前釣行日:2025年12月27日(土)小潮マダイ
ハナダイ 18~36cm 10~32匹 イシダイ マハタ スマガツオ ソウダガツオ カワハギ ウマヅラ サバ 釣行当日の潮汐
200 0 -40 0:00 6:00 12:00 18:00 24:00釣行当日の気象
-
日の出
06:45
日の入
16:32
-
月の出
11:00
月の入
23:30
-
天気
曇りのち時々晴れ
-
気温
8℃/0℃
-
気圧
1021.9hPa
-
風
北北西
2.5m/s -
波
東
1.2m/s -
水温
11.7℃
-
潮
小潮
-
月齢
7.1
-
BI
9.6
釣行当日の気象情報を表示 釣行当日の気象情報を隠す -
優光丸
千葉県 旭市 飯岡漁港84日前釣行日:2025年12月27日(土)小潮マダイ
0.40~1.70kg 1~9匹 ヒラメ イナダ カンダイ 午後船1つテンヤマダイ船。 前半戦から本命のアタリ多数あり!! バラシもありましたが皆様本命確保ッ! 良型揃いで絶好釣果!!ヤタ─ヽ(〃∀〃)ノ─♪ ゲストもデカヒラメ、イナダ、カンダイ等多種目(笑)
釣行当日の潮汐
200 0 -40 0:00 6:00 12:00 18:00 24:00釣行当日の気象
-
日の出
06:45
日の入
16:31
-
月の出
11:00
月の入
23:30
-
天気
曇りのち時々晴れ
-
気温
8℃/0℃
-
気圧
1021.8hPa
-
風
北北西
2.2m/s -
波
東
1.3m/s -
水温
16.1℃
-
潮
小潮
-
月齢
7.1
-
BI
9.4
釣行当日の気象情報を表示 釣行当日の気象情報を隠す -
優光丸
千葉県 旭市 飯岡漁港84日前釣行日:2025年12月27日(土)小潮マダイ
0.40~1.00kg 0~9匹 1つテンヤマダイ船。 本日極寒の中からスタート(´・ω・`) アタリあるも中々続かず苦戦しました!! オモリ10号使用、キャストしつつ広範囲の探りをかけるとヒット多めな具合! 潮の流れも緩かったのでワンアクションで大きく釣果が変わってきてましたね★ 活性も低く難しい状況でしたが、キロ超もポツポツ上がってきているので 腕の試し所(ᐛウデェ(笑) 明日はポイントずらしてアタックする予定です!!
釣行当日の潮汐
200 0 -40 0:00 6:00 12:00 18:00 24:00釣行当日の気象
-
日の出
06:45
日の入
16:31
-
月の出
11:00
月の入
23:30
-
天気
曇りのち時々晴れ
-
気温
8℃/0℃
-
気圧
1021.8hPa
-
風
北北西
2.2m/s -
波
東
1.3m/s -
水温
16.1℃
-
潮
小潮
-
月齢
7.1
-
BI
9.4
釣行当日の気象情報を表示 釣行当日の気象情報を隠す -
隆正丸
千葉県 旭市 飯岡漁港84日前釣行日:2025年12月27日(土)小潮マダイ
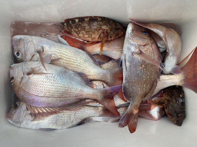
ハナダイ 20~38cm 20~50匹 ウマズラ アジ グレ コマセ船。 11号で出船。シケ後で心配でしたが、問題なく好調でした。次回も楽しみです。 水深:30M。 潮色と流れ:薄濁ゆるい。 風向きと強さ:北弱い。 波高:1.0-1.5M。
釣行当日の潮汐
200 0 -40 0:00 6:00 12:00 18:00 24:00釣行当日の気象
-
日の出
06:45
日の入
16:31
-
月の出
11:00
月の入
23:30
-
天気
曇りのち時々晴れ
-
気温
8℃/0℃
-
気圧
1021.8hPa
-
風
北北西
2.2m/s -
波
東
1.3m/s -
水温
16.1℃
-
潮
小潮
-
月齢
7.1
-
BI
9.4
釣行当日の気象情報を表示 釣行当日の気象情報を隠す -
梅花丸
千葉県 旭市 飯岡漁港84日前釣行日:2025年12月27日(土)小潮マダイ
0.30~1.20kg 1~14匹 マダイ 0.30~0.80kg 1~20匹 ★★★活きエビでの一つテンヤマダイ釣り♪★★★ (活き海老エサが準備できない場合は冷凍海老での釣行になります。) エサは、こちらで準備しております。 エサの追加料金は頂いておりません。 <午後マダイ船1> 一つテンヤでのマダイ釣りです。反応多くコンスタントにアタリも見られ、皆さん本命GETできました!マハタなど嬉しいゲストも釣れてお土産に。 外道:ハナダイ、カサゴ、ウマヅラ、タカノハダイ、マダコ、オオニベ、カワハギ、マハタ。 <午後マダイ船2> 一つテンヤでのマダイ釣りです。午前よりは真鯛の活性上がりTOP20匹。2番手10匹とオデコ無く好調!!小ぶりな物も交じったが食べ頃サイズの真鯛も多数上がり良かったです。明日また頑張ります。 外道:ハナダイ、カサゴ、カワハギ、イシダイ、マハタ。 ***キャビン内、店内はマスクの持参着用をご協力お願い致します*** <今後の予定>***集合時間まえにはお越しください。 午前船:4時30分船宿集合…マダイ船。 午後船:10時30分船宿集合…マダイ船。 定休日:第2火曜日(1/13) (土、日、祝日は、貸竿のお客様、貸竿の必要なグループ様は5分前集合でお願い致します。) (*状況により予定が変わることもございます。前日に確認のお電話をお願い致します。) <ご予約・お問い合わせはこちらへ> 090-2155-0500(午前9:00~午後8:00まで) キャンセルにより他のお客様へご迷惑をおかけしてしまう事もありますので、キャンセルの無いようご予約をお願い致します。 <乗船名簿について> ①お名前(フルネーム)、②住所、③緊急連絡先の電話番号、④年齢、⑤性別 ①~⑤まで記入し可能であれば、持参お願い致します。
釣行当日の潮汐
200 0 -40 0:00 6:00 12:00 18:00 24:00釣行当日の気象
-
日の出
06:45
日の入
16:31
-
月の出
11:00
月の入
23:30
-
天気
曇りのち時々晴れ
-
気温
8℃/0℃
-
気圧
1021.8hPa
-
風
北北西
2.2m/s -
波
東
1.3m/s -
水温
16.1℃
-
潮
小潮
-
月齢
7.1
-
BI
9.4
釣行当日の気象情報を表示 釣行当日の気象情報を隠す -
三次郎丸
千葉県 旭市 飯岡漁港84日前釣行日:2025年12月27日(土)小潮マダイ
0.30~0.80kg 0~5匹 活エビテンヤ、タイラバ。流れ悪く移動を繰り返しながら拾い釣り。ハナダイ、カサゴ、イシダイ、ウマズラ。
釣行当日の潮汐
200 0 -40 0:00 6:00 12:00 18:00 24:00釣行当日の気象
-
日の出
06:45
日の入
16:31
-
月の出
11:00
月の入
23:30
-
天気
曇りのち時々晴れ
-
気温
8℃/0℃
-
気圧
1021.8hPa
-
風
北北西
2.2m/s -
波
東
1.3m/s -
水温
16.1℃
-
潮
小潮
-
月齢
7.1
-
BI
9.4
釣行当日の気象情報を表示 釣行当日の気象情報を隠す -
梅花丸
千葉県 旭市 飯岡漁港84日前釣行日:2025年12月27日(土)小潮マダイ
0.30~1.20kg 0~15匹 マダイ 0.30~1.50kg 1~9匹 ★★★活きエビでの一つテンヤマダイ釣り♪★★★ (活き海老エサが準備できない場合は冷凍海老での釣行になります。) エサは、こちらで準備しております。 エサの追加料金は頂いておりません。 <マダイ船1> 一つテンヤでのマダイ釣りです。2~3巻きでバレてしまう事が多く、掛けるのが難しい釣行でしたが、手慣れた方はコンスタントに追加が見られました。可愛いサイズも目立ちましたが、ポイントによっては1.0kg前後の良型も混じり、外道と併せてお土産に! 外道:ハナダイ、カサゴ、ウマヅラ、イシダイ、ヒラメ、アイナメ、カワハギ。 <マダイ船2> 一つテンヤでのマダイ釣りです。前日からのウネリの為か真鯛の活性上がらず色々ポイントを変えて見たが大きな上がりは無くポツポツ程度でした。それでもオデコ無く良かったです。次回また頑張ります 外道:ハナダイ、カサゴ、ヒラメ、オオニベ、カワハギ、イシダイ、イナダ、メバル。 ***キャビン内、店内はマスクの持参着用をご協力お願い致します*** <今後の予定>***集合時間まえにはお越しください。 午前船:4時30分船宿集合…マダイ船。 午後船:10時30分船宿集合…マダイ船。 定休日:第2火曜日(1/13) (土、日、祝日は、貸竿のお客様、貸竿の必要なグループ様は5分前集合でお願い致します。) (*状況により予定が変わることもございます。前日に確認のお電話をお願い致します。) <ご予約・お問い合わせはこちらへ> 090-2155-0500(午前9:00~午後8:00まで) キャンセルにより他のお客様へご迷惑をおかけしてしまう事もありますので、キャンセルの無いようご予約をお願い致します。 <乗船名簿について> ①お名前(フルネーム)、②住所、③緊急連絡先の電話番号、④年齢、⑤性別 ①~⑤まで記入し可能であれば、持参お願い致します。
釣行当日の潮汐
200 0 -40 0:00 6:00 12:00 18:00 24:00釣行当日の気象
-
日の出
06:45
日の入
16:31
-
月の出
11:00
月の入
23:30
-
天気
曇りのち時々晴れ
-
気温
8℃/0℃
-
気圧
1021.8hPa
-
風
北北西
2.2m/s -
波
東
1.3m/s -
水温
16.1℃
-
潮
小潮
-
月齢
7.1
-
BI
9.4
釣行当日の気象情報を表示 釣行当日の気象情報を隠す -
長五郎丸
千葉県 旭市 飯岡漁港87日前釣行日:2025年12月24日(水)中潮マダイ
0.30~0.90kg 3~7匹 ハナダイ カサゴ イシダイ ウマズラ カワハギ テンヤマダイ。 【乗合】今日はアタリ多くゲスト混じりでお土産になりましたが、針がかり悪く苦戦でした。 他、イセエビ。
釣行当日の潮汐
200 0 -40 0:00 6:00 12:00 18:00 24:00釣行当日の気象
-
日の出
06:44
日の入
16:29
-
月の出
09:40
月の入
20:19
-
天気
雨
-
気温
14℃/6℃
-
気圧
1021.3hPa
-
風
北西
1.3m/s -
波
東南東
1.4m/s -
水温
15.9℃
-
潮
中潮
-
月齢
4.1
-
BI
7.9
釣行当日の気象情報を表示 釣行当日の気象情報を隠す -
梅花丸
千葉県 旭市 飯岡漁港87日前釣行日:2025年12月24日(水)中潮マダイ
0.30~1.00kg 0~20匹 ★★★活きエビでの一つテンヤマダイ釣り♪★★★ (活き海老エサが準備できない場合は冷凍海老での釣行になります。) エサは、こちらで準備しております。 エサの追加料金は頂いておりません。 <マダイ船> 一つテンヤでのマダイ釣りです。本日は広範囲に反応高くTOP20匹、2番手17匹、次11匹、10匹と好調!!小ぶりな物も交じったが食べ頃サイズの良型真鯛も多数上がり良かったです。次回また頑張ります。 外道:ハナダイ、カサゴ、カワハギ、イシダイ、イシガキダイ。 ***キャビン内、店内はマスクの持参着用をご協力お願い致します*** <今後の予定>***集合時間まえにはお越しください。 午前船:4時30分船宿集合…マダイ船。 午後船:10時30分船宿集合…マダイ船。 定休日:第2火曜日(1/13) (土、日、祝日は、貸竿のお客様、貸竿の必要なグループ様は5分前集合でお願い致します。) (*状況により予定が変わることもございます。前日に確認のお電話をお願い致します。) <ご予約・お問い合わせはこちらへ> 090-2155-0500(午前9:00~午後8:00まで) キャンセルにより他のお客様へご迷惑をおかけしてしまう事もありますので、キャンセルの無いようご予約をお願い致します。 <乗船名簿について> ①お名前(フルネーム)、②住所、③緊急連絡先の電話番号、④年齢、⑤性別 ①~⑤まで記入し可能であれば、持参お願い致します。
釣行当日の潮汐
200 0 -40 0:00 6:00 12:00 18:00 24:00釣行当日の気象
-
日の出
06:44
日の入
16:29
-
月の出
09:40
月の入
20:19
-
天気
雨
-
気温
14℃/6℃
-
気圧
1021.3hPa
-
風
北西
1.3m/s -
波
東南東
1.4m/s -
水温
15.9℃
-
潮
中潮
-
月齢
4.1
-
BI
7.9
釣行当日の気象情報を表示 釣行当日の気象情報を隠す -
三次郎丸
千葉県 旭市 飯岡漁港88日前釣行日:2025年12月23日(火)中潮マダイ
0.30~1.20kg 0~6匹 タイラバ。前半、昨日までのシケの影響からか反応少なく苦戦。中盤からアタリも見られるようになりポツポツとあがりました。ヒラメ。
釣行当日の潮汐
200 0 -40 0:00 6:00 12:00 18:00 24:00釣行当日の気象
-
日の出
06:43
日の入
16:28
-
月の出
09:08
月の入
19:16
-
天気
晴れ後時々曇り
-
気温
11℃/6℃
-
気圧
1032.3hPa
-
風
北北東
3.4m/s -
波
東
1.4m/s -
水温
16.0℃
-
潮
中潮
-
月齢
3.1
-
BI
7.1
釣行当日の気象情報を表示 釣行当日の気象情報を隠す -
梅花丸
千葉県 旭市 飯岡漁港88日前釣行日:2025年12月23日(火)中潮マダイ
0.40~1.00kg 0~3匹 マダイ 0.30~1.00kg 0~11匹 ★★★活きエビでの一つテンヤマダイ釣り♪★★★ (活き海老エサが準備できない場合は冷凍海老での釣行になります。) エサは、こちらで準備しております。 エサの追加料金は頂いておりません。 <マダイ船1> 一つテンヤでのマダイ釣りです。前日からのウネリの影響か、真鯛の活性上がらず・・・。色々とポイントを変えてみましたが、当たらず今一つでした。それでも平均サイズは良かったです。明日に期待しましょう。 外道:ハナダイ、カサゴ、ハタ。 <マダイ船2> 一つテンヤでのマダイ釣りです。反応多く見られたが活性はいまひとつ…。そんな中でも、上手くパターンを探しポツポツ追加している方も。伸び悩んだ方も多彩な外道と併せてお土産に。型は出るので後は活性次第?次回に期待です! 外道:ハナダイ、カサゴ、ウマヅラ、イシダイ、イシガキダイ、イナダ、ショゴ、カワハギ。 ***キャビン内、店内はマスクの持参着用をご協力お願い致します*** <今後の予定>***集合時間まえにはお越しください。 午前船:4時30分船宿集合…マダイ船。 午後船:10時30分船宿集合…マダイ船。 定休日:第2火曜日(1/13) (土、日、祝日は、貸竿のお客様、貸竿の必要なグループ様は5分前集合でお願い致します。) (*状況により予定が変わることもございます。前日に確認のお電話をお願い致します。) <ご予約・お問い合わせはこちらへ> 090-2155-0500(午前9:00~午後8:00まで) キャンセルにより他のお客様へご迷惑をおかけしてしまう事もありますので、キャンセルの無いようご予約をお願い致します。 <乗船名簿について> ①お名前(フルネーム)、②住所、③緊急連絡先の電話番号、④年齢、⑤性別 ①~⑤まで記入し可能であれば、持参お願い致します。
釣行当日の潮汐
200 0 -40 0:00 6:00 12:00 18:00 24:00釣行当日の気象
-
日の出
06:43
日の入
16:28
-
月の出
09:08
月の入
19:16
-
天気
晴れ後時々曇り
-
気温
11℃/6℃
-
気圧
1032.3hPa
-
風
北北東
3.4m/s -
波
東
1.4m/s -
水温
16.0℃
-
潮
中潮
-
月齢
3.1
-
BI
7.1
釣行当日の気象情報を表示 釣行当日の気象情報を隠す -
優光丸
千葉県 旭市 飯岡漁港91日前釣行日:2025年12月20日(土)大潮マダイ
0.50~1.20kg 4~17匹 1つテンヤマダイ船。 朝のうち潮の流れ無く大苦戦! ポツリポツリと本命上がるがバラシも多数(泣) しかし徐々に活性上がり始め、サイズアップも!! 後半のほうが良型揃いましたね★ キロ超もポツポツ上がり良い調子(`-´)bイイネッ ゲストもマダコ、花鯛、カサゴ、カワハギと上がり 「クーラーボックスに氷が入らない(笑)」 なーんて嬉しいお声もいただきっ(★>U<★) 次回も楽しみですなぁ(・∀・)ニヤニヤ
釣行当日の潮汐
200 0 -40 0:00 6:00 12:00 18:00 24:00釣行当日の気象
-
日の出
06:42
日の入
16:27
-
月の出
06:57
月の入
16:14
-
天気
曇りのち一時雨
-
気温
17℃/10℃
-
気圧
1027.9hPa
-
風
南
4.8m/s -
波
南東
1.4m/s -
水温
16.3℃
-
潮
大潮
-
月齢
0.1
-
BI
9.0
釣行当日の気象情報を表示 釣行当日の気象情報を隠す -
梅花丸
千葉県 旭市 飯岡漁港91日前釣行日:2025年12月20日(土)大潮マダイ
0.30~1.20kg 1~19匹 マダイ 0.30~1.00kg 1~13匹 ★★★活きエビでの一つテンヤマダイ釣り♪★★★ (活き海老エサが準備できない場合は冷凍海老での釣行になります。) エサは、こちらで準備しております。 エサの追加料金は頂いておりません。 <午後マダイ船1> 一つテンヤでのマダイ釣りです。TOP19匹、ついで15匹、11匹、10匹と絶好調!800g前後の良型も混じりで上がってくれました。パターン合わず伸び悩む方もいましたが、皆さん本命が釣れてお土産に♪ 外道:ハナダイ、カサゴ、ウマヅラ、オオニベ、ショゴ。 <午後マダイ船2> 一つテンヤでのマダイ釣りです。派手な上がりは無いがコンスタントに型が見られオデコ無く絶好調!入れ食いでも良い、大きな魚影反応があるがウネリを嫌ったのか素直に口を使わずにポツリポツリといった上がりでした。マダイは数多くいそうなのでウネリが取れ、口を使い出せば爆釣が期待出来そうです!!時化後の出船が楽しみです。 外道:ハナダイ、ヒラメ、ウマヅラ、マハタ。 ***キャビン内、店内はマスクの持参着用をご協力お願い致します*** <今後の予定>***集合時間まえにはお越しください。 午前船:4時30分船宿集合…マダイ船。 午後船:10時30分船宿集合…マダイ船。 定休日:第2火曜日(1/13) (土、日、祝日は、貸竿のお客様、貸竿の必要なグループ様は5分前集合でお願い致します。) (*状況により予定が変わることもございます。前日に確認のお電話をお願い致します。) <ご予約・お問い合わせはこちらへ> 090-2155-0500(午前9:00~午後8:00まで) キャンセルにより他のお客様へご迷惑をおかけしてしまう事もありますので、キャンセルの無いようご予約をお願い致します。 <乗船名簿について> ①お名前(フルネーム)、②住所、③緊急連絡先の電話番号、④年齢、⑤性別 ①~⑤まで記入し可能であれば、持参お願い致します。
釣行当日の潮汐
200 0 -40 0:00 6:00 12:00 18:00 24:00釣行当日の気象
-
日の出
06:42
日の入
16:27
-
月の出
06:57
月の入
16:14
-
天気
曇りのち一時雨
-
気温
17℃/10℃
-
気圧
1027.9hPa
-
風
南
4.8m/s -
波
南東
1.4m/s -
水温
16.3℃
-
潮
大潮
-
月齢
0.1
-
BI
9.0
釣行当日の気象情報を表示 釣行当日の気象情報を隠す -
梅花丸
千葉県 旭市 飯岡漁港91日前釣行日:2025年12月20日(土)大潮マダイ
0.30~3.00kg 0~13匹 マダイ 0.30~1.60kg 0~10匹 ★★★活きエビでの一つテンヤマダイ釣り♪★★★ (活き海老エサが準備できない場合は冷凍海老での釣行になります。) エサは、こちらで準備しております。 エサの追加料金は頂いておりません。 <マダイ船1> 一つテンヤでのマダイ釣りです。コンスタントに本命の追加が見られ、10匹オーバーが3名。大鯛3.0kgも姿を見せてくれました♪反応多く、活性上がればバタバタっと釣れそうな雰囲気。次回も期待です! 外道:ハナダイ、カサゴ、ウマヅラ、ヒラメ、オオニベ、イシダイ、キジハタ。 <マダイ船2> 一つテンヤでのマダイ釣りです。潮の流れが悪かった為か真鯛の活性上がらず色々とポイントを変えて見たが、当たらずポツポツ程度でした。次回また頑張ります。 外道:ハナダイ、カサゴ、ヒラメ、ハタ。 ***キャビン内、店内はマスクの持参着用をご協力お願い致します*** <今後の予定>***集合時間まえにはお越しください。 午前船:4時30分船宿集合…マダイ船。 午後船:10時30分船宿集合…マダイ船。 定休日:第2火曜日(1/13) (土、日、祝日は、貸竿のお客様、貸竿の必要なグループ様は5分前集合でお願い致します。) (*状況により予定が変わることもございます。前日に確認のお電話をお願い致します。) <ご予約・お問い合わせはこちらへ> 090-2155-0500(午前9:00~午後8:00まで) キャンセルにより他のお客様へご迷惑をおかけしてしまう事もありますので、キャンセルの無いようご予約をお願い致します。 <乗船名簿について> ①お名前(フルネーム)、②住所、③緊急連絡先の電話番号、④年齢、⑤性別 ①~⑤まで記入し可能であれば、持参お願い致します。
釣行当日の潮汐
200 0 -40 0:00 6:00 12:00 18:00 24:00釣行当日の気象
-
日の出
06:42
日の入
16:27
-
月の出
06:57
月の入
16:14
-
天気
曇りのち一時雨
-
気温
17℃/10℃
-
気圧
1027.9hPa
-
風
南
4.8m/s -
波
南東
1.4m/s -
水温
16.3℃
-
潮
大潮
-
月齢
0.1
-
BI
9.0
釣行当日の気象情報を表示 釣行当日の気象情報を隠す -
優光丸
千葉県 旭市 飯岡漁港92日前釣行日:2025年12月19日(金)大潮マダイ
0.50~1.50kg 6~13匹 1つテンヤマダイ船。 朝のうちから皆様本命確保!! 活性も高く前半はほぼエサ取り混じらず真鯛ラッシュ★ きたきた(((o(*゚▽゚*)o))) 中盤からはイナダ等の青物やカサゴ、花鯛の定番ゲストも入り始め お土産含めてゲットゲット(*˙ω˙*)وグッ! 初めてご来店された女性の方も良い調子で本命あげてくださいました♪ 明日も期待できそうですな(★>U<★)
釣行当日の潮汐
200 0 -40 0:00 6:00 12:00 18:00 24:00釣行当日の気象
-
日の出
06:41
日の入
16:26
-
月の出
06:02
月の入
15:23
-
天気
晴れ後時々曇り
-
気温
14℃/7℃
-
気圧
1030.5hPa
-
風
北東
2.7m/s -
波
東
0.8m/s -
水温
16.3℃
-
潮
大潮
-
月齢
28.8
-
BI
9.5
釣行当日の気象情報を表示 釣行当日の気象情報を隠す
九十九里・銚子(千葉県)の人気魚種の釣果情報
各都道府県の人気魚種の釣果情報
- 岩手県×スルメイカ
- 岩手県×マダラ
- 岩手県×マコガレイ
- 岩手県×ブリ
- 岩手県×アイナメ
- 宮城県×ヒラメ
- 宮城県×マアジ
- 宮城県×アイナメ
- 宮城県×マコガレイ
- 宮城県×ブリ
- 福島県×マダイ
- 福島県×ヒラメ
- 福島県×チダイ
- 福島県×メバル
- 福島県×アイナメ
- 茨城県×マダイ
- 茨城県×ヒラメ
- 茨城県×ブリ
- 茨城県×マダコ
- 茨城県×カサゴ
- 埼玉県×サワラ
- 埼玉県×タチウオ
- 埼玉県×マダイ
- 埼玉県×ブリ
- 埼玉県×ホウボウ
- 千葉県×マダイ
- 千葉県×ヒラメ
- 千葉県×マアジ
- 千葉県×イサキ
- 千葉県×カサゴ
- 東京都×マアジ
- 東京都×タチウオ
- 東京都×シロギス
- 東京都×マダコ
- 東京都×スズキ
- 神奈川県×マアジ
- 神奈川県×マダイ
- 神奈川県×タチウオ
- 神奈川県×ブリ
- 神奈川県×アカアマダイ
- 新潟県×マダイ
- 新潟県×ブリ
- 新潟県×マアジ
- 新潟県×ゴマサバ
- 新潟県×キダイ
- 富山県×アオリイカ
- 富山県×マダイ
- 富山県×ブリ
- 富山県×キジハタ
- 富山県×カサゴ
- 石川県×ブリ
- 石川県×マダイ
- 石川県×キジハタ
- 石川県×マアジ
- 石川県×ウッカリカサゴ
- 福井県×ケンサキイカ
- 福井県×マダイ
- 福井県×アオリイカ
- 福井県×スルメイカ
- 福井県×マアジ
- 静岡県×マダイ
- 静岡県×マアジ
- 静岡県×イサキ
- 静岡県×タチウオ
- 静岡県×ブリ
- 愛知県×ブリ
- 愛知県×マダイ
- 愛知県×タチウオ
- 愛知県×ホウボウ
- 愛知県×ヒラメ
- 三重県×ブリ
- 三重県×マダイ
- 三重県×ヒラメ
- 三重県×カサゴ
- 三重県×アカアマダイ
- 京都府×ケンサキイカ
- 京都府×ブリ
- 京都府×マダイ
- 京都府×スルメイカ
- 京都府×アオリイカ
- 大阪府×マダイ
- 大阪府×ブリ
- 大阪府×サワラ
- 大阪府×スズキ
- 大阪府×タチウオ
- 兵庫県×ブリ
- 兵庫県×マダイ
- 兵庫県×マダコ
- 兵庫県×サワラ
- 兵庫県×タチウオ
- 和歌山県×マダイ
- 和歌山県×ブリ
- 和歌山県×マアジ
- 和歌山県×イサキ
- 和歌山県×シロアマダイ
- 鳥取県×ケンサキイカ
- 鳥取県×アオリイカ
- 鳥取県×スルメイカ
- 鳥取県×マダイ
- 鳥取県×アオハタ
- 島根県×ケンサキイカ
- 島根県×スルメイカ
- 島根県×ゴマサバ
- 島根県×マアジ
- 島根県×コウイカ
- 岡山県×スズキ
- 岡山県×ヒラメ
- 岡山県×マダイ
- 岡山県×キジハタ
- 岡山県×クロダイ
- 広島県×マダイ
- 広島県×キジハタ
- 広島県×ブリ
- 広島県×サワラ
- 広島県×シロギス
- 山口県×ケンサキイカ
- 山口県×アオリイカ
- 山口県×キジハタ
- 山口県×マダイ
- 山口県×ブリ
- 徳島県×ブリ
- 徳島県×マアジ
- 徳島県×イサキ
- 徳島県×チダイ
- 徳島県×キダイ
- 香川県×マダイ
- 香川県×アオリイカ
- 香川県×キジハタ
- 香川県×クロダイ
- 香川県×ヒラメ
- 愛媛県×マダイ
- 愛媛県×ブリ
- 愛媛県×キジハタ
- 愛媛県×タチウオ
- 愛媛県×サワラ
- 高知県×カンパチ
- 高知県×イサキ
- 高知県×マアジ
- 高知県×マダイ
- 高知県×アカアマダイ
- 福岡県×マダイ
- 福岡県×ヤリイカ
- 福岡県×ケンサキイカ
- 福岡県×ヒラマサ
- 福岡県×ブリ
- 佐賀県×ヒラマサ
- 佐賀県×アカアマダイ
- 佐賀県×マダイ
- 佐賀県×サワラ
- 佐賀県×アオリイカ
- 長崎県×マダイ
- 長崎県×キジハタ
- 長崎県×オオモンハタ
- 長崎県×アオハタ
- 長崎県×ブリ
- 熊本県×マダイ
- 熊本県×キジハタ
- 熊本県×ヒラメ
- 熊本県×カサゴ
- 熊本県×メバル
- 鹿児島県×カンパチ
- 鹿児島県×アカハタ
- 鹿児島県×マダイ
- 鹿児島県×オオモンハタ
- 鹿児島県×カワハギ
- 沖縄県×スジアラ
- 沖縄県×キハダ
- 沖縄県×バラハタ
- 沖縄県×タカサゴ
- 沖縄県×ハマフエフキ

































今日もLTハナダイで出船しました、 24日に良かったポイントで始めました、 前回よりも反応は小さく潮の流れの問題か、 船下に安定せず、アタリは出るものの居なくなる、 また船下に戻ってくるとアタリが出る感じの繰り返し、 ポイントを少し移動してみても同じ様な感じでした、 前回はエサを付けないカラーフックのみでも釣れていたが、 今日はあきらかにエサの付いた針の方が良かったみたい、 中型や良型の混じりも多く、たまには35㎝級の大型も釣れました、 皆さんお正月用のハナダイは十分に確保できたと思いました。 24日にデュエルの川島氏がYouTubeの撮影していたので、 近々UPされると思うので楽しみにしていて下さい。