【2025年12月最新】
つり滝(千葉県)の最新釣果情報
-
つり滝
千葉県 船橋市 船橋港9日前釣行日:2025年12月10日(水)中潮アジ
16~25cm 29~110匹 釣行当日の潮汐
200 0 -40 0:00 6:00 12:00 18:00 24:00釣行当日の気象
-
日の出
06:39
日の入
16:27
-
月の出
22:12
月の入
11:03
-
天気
晴れ後時々曇り
-
気温
14℃/5℃
-
気圧
1023.4hPa
-
風
北北西
2.1m/s -
波
北
0.2m/s -
水温
13.9℃
-
潮
中潮
-
月齢
19.8
-
BI
10.1
釣行当日の気象情報を表示 釣行当日の気象情報を隠す -
つり滝
千葉県 船橋市 船橋港12日前釣行日:2025年12月7日(日)中潮アジ
18~25cm 36~85匹 12〜23m。 穏やかに晴れてぽかぽか陽気でしたね。 なるべく良型狙いで転々と探り、20cm絡みのサイズ主体にお土産確保出来ました。
釣行当日の潮汐
200 0 -40 0:00 6:00 12:00 18:00 24:00釣行当日の気象
-
日の出
06:36
日の入
16:27
-
月の出
18:41
月の入
09:03
-
天気
晴れ
-
気温
15℃/7℃
-
気圧
1020.7hPa
-
風
北西
0.5m/s -
波
南南西
0.2m/s -
水温
13.8℃
-
潮
中潮
-
月齢
16.8
-
BI
7.5
釣行当日の気象情報を表示 釣行当日の気象情報を隠す -
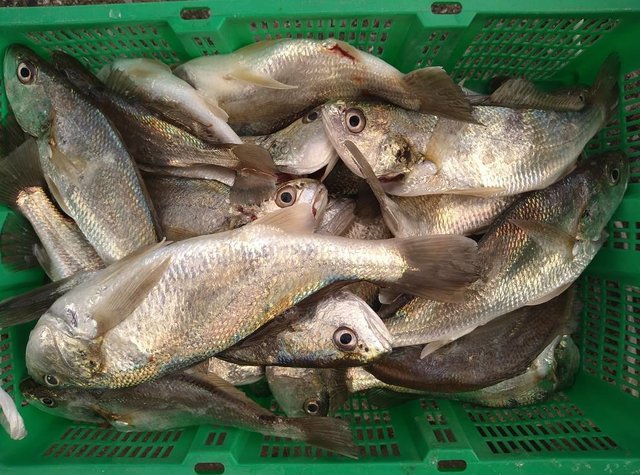
つり滝
千葉県 船橋市 船橋港13日前釣行日:2025年12月6日(土)大潮イシモチ
仕立船。
釣行当日の潮汐
400 0 -80 0:00 6:00 12:00 18:00 24:00釣行当日の気象
-
日の出
06:35
日の入
16:27
-
月の出
17:28
月の入
08:01
-
天気
曇り時々晴れ
-
気温
13℃/5℃
-
気圧
1025.7hPa
-
風
北北東
1.9m/s -
波
南南西
0.2m/s -
水温
13.8℃
-
潮
大潮
-
月齢
15.8
-
BI
7.9
釣行当日の気象情報を表示 釣行当日の気象情報を隠す -
つり滝
千葉県 船橋市 船橋港15日前釣行日:2025年12月4日(木)大潮アジ
15~25cm 竿頭128匹 25〜37m。 50以上〜128匹。 日中は陽射しがあり、暖かかったですね。 朝の一投目から活性高くダブル連発でしたね。 ある程度お土産確保してから良型狙いで転々と探り好ポイントを見つける事が出来、単発ですが中型主体に最後までやり切りました。
釣行当日の潮汐
200 0 -40 0:00 6:00 12:00 18:00 24:00釣行当日の気象
-
日の出
06:34
日の入
16:27
-
月の出
15:25
月の入
05:31
-
天気
晴れ
-
気温
12℃/5℃
-
気圧
1016.6hPa
-
風
北西
6.4m/s -
波
北西
0.2m/s -
水温
14.0℃
-
潮
大潮
-
月齢
13.8
-
BI
8.2
釣行当日の気象情報を表示 釣行当日の気象情報を隠す -
つり滝
千葉県 船橋市 船橋港20日前釣行日:2025年11月29日(土)長潮アジ
16~28cm 30~250匹 サバ 24〜28m。 陽射し弱めで肌寒い一日でしたね。 朝一投目から活性高く好釣果になりました。 数カ所周りましたが何処も同じ様なアタリ方でしたね。
釣行当日の潮汐
200 0 -40 0:00 6:00 12:00 18:00 24:00釣行当日の気象
-
日の出
06:29
日の入
16:28
-
月の出
12:35
月の入
-
天気
曇り時々晴れ
-
気温
16℃/9℃
-
気圧
1019.6hPa
-
風
北北東
4.6m/s -
波
北北東
0.2m/s -
水温
14.8℃
-
潮
長潮
-
月齢
8.8
-
BI
7.5
釣行当日の気象情報を表示 釣行当日の気象情報を隠す

































7〜13m。 朝のうちは少し肌寒かったですが日中は良く晴れて暖かかったですね。 一投目から活性高く釣れ続いてくれてある程度数がまとまったので、後半は良型狙いで何とかお土産追加出来ましたね。