【2025年12月最新】
長岡丸(茨城県)の最新釣果情報
-
長岡丸
茨城県 鹿嶋市 鹿嶋旧港6時間前釣行当日の潮汐
200 0 -40 0:00 6:00 12:00 18:00 24:00釣行当日の気象
-
日の出
06:42
日の入
16:26
-
月の出
06:04
月の入
15:23
-
天気
曇り時々晴れ
-
気温
14℃/7℃
-
気圧
1030.8hPa
-
風
北北東
2.0m/s -
波
東北東
1.2m/s -
水温
15.9℃
-
潮
大潮
-
月齢
28.8
-
BI
9.5
釣行当日の気象情報を表示 釣行当日の気象情報を隠す -
長岡丸
茨城県 鹿嶋市 鹿嶋旧港1日前釣行日:2025年12月18日(木)大潮マダコ
0.30~4.50kg 1~8匹 ◆マダコ船 サイズ0.3~4.6kg1~8杯 竿頭、坂本さん、木村さん マダコ船は朝から風強く波高くもポツポツ乗り、好調でした。 東京湾タックルのお客さんがいます。リールはPE3号、オモリは80号です。流れにより100号も使用します。大きな飾りは必要有りません。潮に流され乗りが分からなくなります。
釣行当日の潮汐
200 0 -40 0:00 6:00 12:00 18:00 24:00釣行当日の気象
-
日の出
06:42
日の入
16:26
-
月の出
05:05
月の入
14:39
-
天気
晴れ後時々曇り
-
気温
13℃/7℃
-
気圧
1023.7hPa
-
風
北
3.6m/s -
波
北東
1.6m/s -
水温
16.0℃
-
潮
大潮
-
月齢
27.8
-
BI
10.0
釣行当日の気象情報を表示 釣行当日の気象情報を隠す -
長岡丸
茨城県 鹿嶋市 鹿嶋旧港2日前釣行日:2025年12月17日(水)中潮ヒラメ
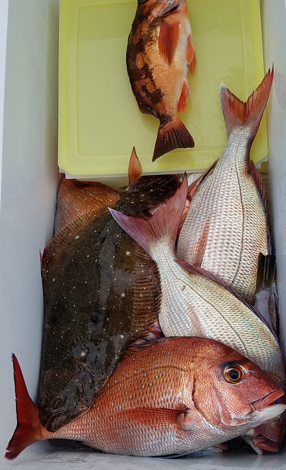
0.40~3.00kg 0~7匹 マダコ 0.30~5.40kg 1~9匹 ◆ヒラメ、マダコのリレー船 ・ヒラメ サイズ0.4~2.0kg0~6枚 ・マダコ サイズ0.5~3.0kg0~3杯 その他カサゴ、イナダ ◆マダコ船 サイズ0.3~5.4kg1~9杯 竿頭田中さん(マル勝商店店主) 2番手8杯3人7杯6人 ◆ヒラメ船 サイズ0.5~3.0kg1~6枚 その他カサゴ、イナダ 今日のリレー船はヒラメ、マダコ共にアタリ多く数が上がりました。 マダコ船は朝からポツポツ乗り好調も中盤からは乗り悪くなりましたがお土産充分でした。現在根掛かり多数の場所をやっていますのでオモリは多く持って来て下さい。基本80号です。 ヒラメ船は良型交じりでアタリ多く数が上がりました。 ご乗船の皆さん、大変お疲れ様でした。ありがとうございました。またのお越しをお待ちしております。
釣行当日の潮汐
200 0 -40 0:00 6:00 12:00 18:00 24:00釣行当日の気象
-
日の出
06:41
日の入
16:26
-
月の出
04:05
月の入
14:01
-
天気
曇り時々晴れ
-
気温
15℃/6℃
-
気圧
1020.2hPa
-
風
北東
2.3m/s -
波
東北東
1.3m/s -
水温
16.3℃
-
潮
中潮
-
月齢
26.8
-
BI
9.1
釣行当日の気象情報を表示 釣行当日の気象情報を隠す -
長岡丸
茨城県 鹿嶋市 鹿嶋旧港3日前釣行日:2025年12月16日(火)中潮マダコ
0.30~3.60kg 1~13匹 ヒラメ 0.40~2.50kg 1~8匹 ◆マダコ船2隻の高低差 サイズ0.3~3.6kg1~13杯 その他トラフグ 竿頭、金澤美穂さん ◆ヒラメ船 サイズ0.42.5kg1~8枚 その他カサゴ、マハタ、イナダ、ガンゾウビラメ 竿頭鈴木さん 今日のマダコ船は型は小さ目でしだがポツポツ乗りでした。 ヒラメ船は良型交じりでアタリ多く数が上がりました。 ご乗船の皆さん、大変お疲れ様でした。ありがとうございました。またのお越しをお待ちしております。
釣行当日の潮汐
200 0 -40 0:00 6:00 12:00 18:00 24:00釣行当日の気象
-
日の出
06:41
日の入
16:25
-
月の出
03:06
月の入
13:30
-
天気
曇りのち時々晴れ
-
気温
13℃/5℃
-
気圧
1022.7hPa
-
風
北
1.4m/s -
波
北東
1.7m/s -
水温
16.4℃
-
潮
中潮
-
月齢
25.8
-
BI
8.5
釣行当日の気象情報を表示 釣行当日の気象情報を隠す -
長岡丸
茨城県 鹿嶋市 鹿嶋旧港6日前釣行日:2025年12月13日(土)小潮ヒラメ
0.40~3.00kg 3~9匹 マダコ 0.30~4.50kg 0~13匹 ◆ヒラメ船 サイズ0.4~3.0kg3~9枚 その他カサゴ、マハタ、イナダ、ガンゾウビラメ 竿頭馬場さん ◆マダコ船2隻の高低差 サイズ0.3~4.5kg0~13杯 竿頭井上さん2番手10杯北村さん 7杯6人 今日のヒラメ船は型が良くアタリ多く数が上がりました。 マダコ船は朝からポツポツ乗り好調でした。 ご乗船の皆さん、大変お疲れ様でした。ありがとうございました。またのお越しをお待ちしております。 明日は、はまぐり祭りの為鹿島全船休業です。 16日はヒラメ船、マダコ船が出船します。宜しくお願い致します。
釣行当日の潮汐
200 0 -40 0:00 6:00 12:00 18:00 24:00釣行当日の気象
-
日の出
06:39
日の入
16:24
-
月の出
00:11
月の入
12:14
-
天気
曇りのち一時雨
-
気温
10℃/2℃
-
気圧
1029.8hPa
-
風
北
3.7m/s -
波
北東
1.6m/s -
水温
17.0℃
-
潮
小潮
-
月齢
22.8
-
BI
8.8
釣行当日の気象情報を表示 釣行当日の気象情報を隠す




















◆マダコ船2隻の高低差 良型、大型主体 サイズ0.3~5.4kg0~11杯 竿頭萩原さん ◆ヒラメ船 サイズ0.4~2.5kg1~5枚 その他カサゴ マダコ船は朝はポツポツ乗り好調でしたが中盤からは乗り悪くなりましたが終盤また乗り良くなりました。 ヒラメ船は潮の流れが悪い中何とか数が上がりました。 ご乗船の皆さん、大変お疲れ様でした。ありがとうございました。またのお越しをお待ちしております。